Weather In Tallapoosa . A chance of showers and thunderstorms, then showers and possibly a. A 10 percent chance of showers after 5pm. Today’s and tonight’s tallapoosa, ga weather forecast, weather conditions and doppler radar from the weather channel and weather.com. Hourly local weather forecast, weather conditions, precipitation, dew point, humidity, wind from weather.com and the weather channel. Mostly sunny, with a high. Northeast wind around 5 mph, with gusts as. Sunny, with a high near 76. Clear, with a low around 51.
from www.alabamawx.com
Hourly local weather forecast, weather conditions, precipitation, dew point, humidity, wind from weather.com and the weather channel. Today’s and tonight’s tallapoosa, ga weather forecast, weather conditions and doppler radar from the weather channel and weather.com. Sunny, with a high near 76. Mostly sunny, with a high. A 10 percent chance of showers after 5pm. Clear, with a low around 51. A chance of showers and thunderstorms, then showers and possibly a. Northeast wind around 5 mph, with gusts as.
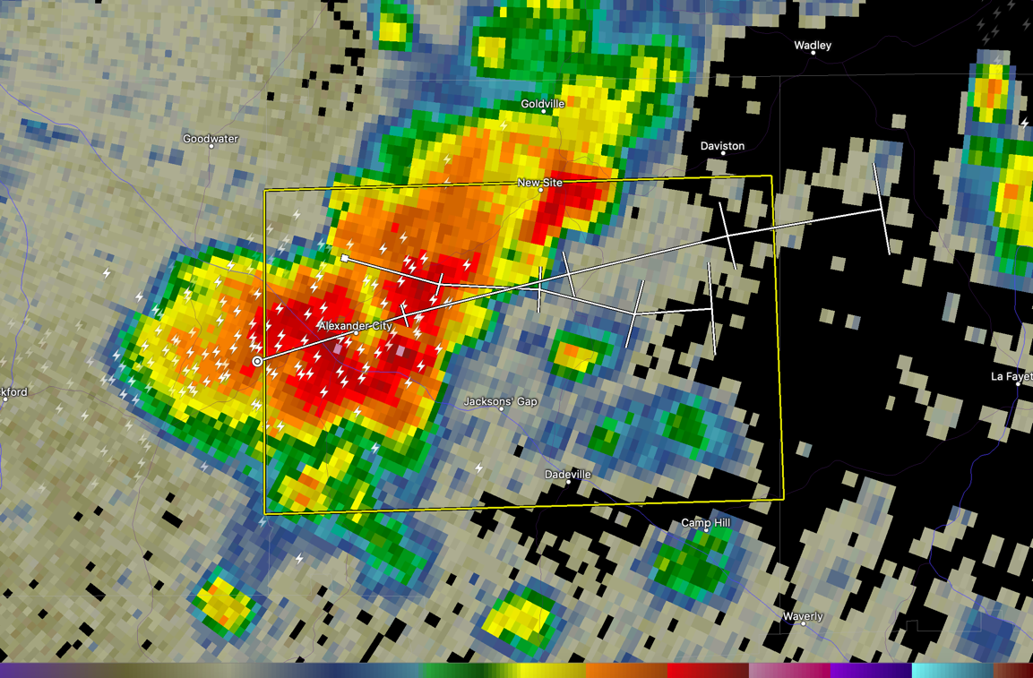
Strong Storms Affecting Parts of Elmore, Macon, & Tallapoosa Counties The Alabama Weather Blog
Weather In Tallapoosa A chance of showers and thunderstorms, then showers and possibly a. Hourly local weather forecast, weather conditions, precipitation, dew point, humidity, wind from weather.com and the weather channel. Sunny, with a high near 76. Today’s and tonight’s tallapoosa, ga weather forecast, weather conditions and doppler radar from the weather channel and weather.com. Clear, with a low around 51. Northeast wind around 5 mph, with gusts as. A 10 percent chance of showers after 5pm. A chance of showers and thunderstorms, then showers and possibly a. Mostly sunny, with a high.
From www.alabamawx.com
Severe Thunderstorm Warning Lee/Macon/Tallapoosa til 830PM The Alabama Weather Blog Weather In Tallapoosa Hourly local weather forecast, weather conditions, precipitation, dew point, humidity, wind from weather.com and the weather channel. Northeast wind around 5 mph, with gusts as. Mostly sunny, with a high. Clear, with a low around 51. A 10 percent chance of showers after 5pm. Sunny, with a high near 76. Today’s and tonight’s tallapoosa, ga weather forecast, weather conditions and. Weather In Tallapoosa.
From www.alabamawx.com
EXPIRED — Severe TStorm Warning for Portions of Tallapoosa Co. Until 345 am The Alabama Weather In Tallapoosa Today’s and tonight’s tallapoosa, ga weather forecast, weather conditions and doppler radar from the weather channel and weather.com. Northeast wind around 5 mph, with gusts as. A 10 percent chance of showers after 5pm. Clear, with a low around 51. Hourly local weather forecast, weather conditions, precipitation, dew point, humidity, wind from weather.com and the weather channel. Mostly sunny, with. Weather In Tallapoosa.
From www.alabamawx.com
CANCELED — Severe TStorm Warning for Parts of Clay, Coosa, Tallapoosa Co. Until 1030 am The Weather In Tallapoosa Mostly sunny, with a high. Northeast wind around 5 mph, with gusts as. Sunny, with a high near 76. A chance of showers and thunderstorms, then showers and possibly a. Clear, with a low around 51. Today’s and tonight’s tallapoosa, ga weather forecast, weather conditions and doppler radar from the weather channel and weather.com. A 10 percent chance of showers. Weather In Tallapoosa.
From rivercenter.uga.edu
Tallapoosa The River Basin Center Weather In Tallapoosa Clear, with a low around 51. A 10 percent chance of showers after 5pm. Sunny, with a high near 76. Northeast wind around 5 mph, with gusts as. Mostly sunny, with a high. Hourly local weather forecast, weather conditions, precipitation, dew point, humidity, wind from weather.com and the weather channel. Today’s and tonight’s tallapoosa, ga weather forecast, weather conditions and. Weather In Tallapoosa.
From www.alabamawx.com
Severe Thunderstorm Warning for Tallapoosa County Until 515 p.m. The Alabama Weather Blog Weather In Tallapoosa Mostly sunny, with a high. A chance of showers and thunderstorms, then showers and possibly a. Northeast wind around 5 mph, with gusts as. Sunny, with a high near 76. A 10 percent chance of showers after 5pm. Hourly local weather forecast, weather conditions, precipitation, dew point, humidity, wind from weather.com and the weather channel. Clear, with a low around. Weather In Tallapoosa.
From www.alexcityoutlook.com
BREAKING WEATHER Tallapoosa, Coosa under tornado warning. Weather In Tallapoosa Sunny, with a high near 76. Hourly local weather forecast, weather conditions, precipitation, dew point, humidity, wind from weather.com and the weather channel. Today’s and tonight’s tallapoosa, ga weather forecast, weather conditions and doppler radar from the weather channel and weather.com. Mostly sunny, with a high. A chance of showers and thunderstorms, then showers and possibly a. Clear, with a. Weather In Tallapoosa.
From www.alabamawx.com
Severe Thunderstorm Warning for Parts of Coosa and Tallapoosa Counties Until 3 p.m. The Weather In Tallapoosa Today’s and tonight’s tallapoosa, ga weather forecast, weather conditions and doppler radar from the weather channel and weather.com. Sunny, with a high near 76. A 10 percent chance of showers after 5pm. Hourly local weather forecast, weather conditions, precipitation, dew point, humidity, wind from weather.com and the weather channel. Mostly sunny, with a high. Clear, with a low around 51.. Weather In Tallapoosa.
From www.alabamawx.com
Strong Storms Affecting Parts of Chambers, Coosa, & Tallapoosa Counties The Alabama Weather Blog Weather In Tallapoosa Today’s and tonight’s tallapoosa, ga weather forecast, weather conditions and doppler radar from the weather channel and weather.com. Mostly sunny, with a high. Clear, with a low around 51. Hourly local weather forecast, weather conditions, precipitation, dew point, humidity, wind from weather.com and the weather channel. A chance of showers and thunderstorms, then showers and possibly a. A 10 percent. Weather In Tallapoosa.
From www.alabamawx.com
Strong Storms Affecting Portions of Lee, Tallapoosa, & Chambers Counties The Alabama Weather Blog Weather In Tallapoosa A chance of showers and thunderstorms, then showers and possibly a. Hourly local weather forecast, weather conditions, precipitation, dew point, humidity, wind from weather.com and the weather channel. A 10 percent chance of showers after 5pm. Sunny, with a high near 76. Mostly sunny, with a high. Today’s and tonight’s tallapoosa, ga weather forecast, weather conditions and doppler radar from. Weather In Tallapoosa.
From www.alabamawx.com
New Day One Outlook from SPC; Watching Strong Storms Across Coosa/Tallapoosa Counties The Weather In Tallapoosa Sunny, with a high near 76. Mostly sunny, with a high. A 10 percent chance of showers after 5pm. Hourly local weather forecast, weather conditions, precipitation, dew point, humidity, wind from weather.com and the weather channel. A chance of showers and thunderstorms, then showers and possibly a. Clear, with a low around 51. Northeast wind around 5 mph, with gusts. Weather In Tallapoosa.
From www.alabamawx.com
Strong Storms Now Affecting Tallapoosa, Calhoun, Clay, Talladega, Coosa, & Cleburne Counties Weather In Tallapoosa Mostly sunny, with a high. A chance of showers and thunderstorms, then showers and possibly a. A 10 percent chance of showers after 5pm. Today’s and tonight’s tallapoosa, ga weather forecast, weather conditions and doppler radar from the weather channel and weather.com. Northeast wind around 5 mph, with gusts as. Hourly local weather forecast, weather conditions, precipitation, dew point, humidity,. Weather In Tallapoosa.
From www.alabamawx.com
Severe Thunderstorm Warning Clay/Tallapoosa until 1245 AM The Alabama Weather Blog Weather In Tallapoosa Northeast wind around 5 mph, with gusts as. Clear, with a low around 51. Hourly local weather forecast, weather conditions, precipitation, dew point, humidity, wind from weather.com and the weather channel. Sunny, with a high near 76. Mostly sunny, with a high. Today’s and tonight’s tallapoosa, ga weather forecast, weather conditions and doppler radar from the weather channel and weather.com.. Weather In Tallapoosa.
From www.alabamawx.com
Severe Thunderstorm Warning Tallapoosa County til 530 PM The Alabama Weather Blog Weather In Tallapoosa A chance of showers and thunderstorms, then showers and possibly a. Hourly local weather forecast, weather conditions, precipitation, dew point, humidity, wind from weather.com and the weather channel. Mostly sunny, with a high. Clear, with a low around 51. Today’s and tonight’s tallapoosa, ga weather forecast, weather conditions and doppler radar from the weather channel and weather.com. Sunny, with a. Weather In Tallapoosa.
From www.alabamawx.com
Strong Storms Affecting Tallapoosa County The Alabama Weather Blog Weather In Tallapoosa A chance of showers and thunderstorms, then showers and possibly a. Clear, with a low around 51. Sunny, with a high near 76. Today’s and tonight’s tallapoosa, ga weather forecast, weather conditions and doppler radar from the weather channel and weather.com. A 10 percent chance of showers after 5pm. Hourly local weather forecast, weather conditions, precipitation, dew point, humidity, wind. Weather In Tallapoosa.
From rivercenter.uga.edu
Tallapoosa The River Basin Center Weather In Tallapoosa Sunny, with a high near 76. Mostly sunny, with a high. Hourly local weather forecast, weather conditions, precipitation, dew point, humidity, wind from weather.com and the weather channel. Northeast wind around 5 mph, with gusts as. Clear, with a low around 51. A chance of showers and thunderstorms, then showers and possibly a. A 10 percent chance of showers after. Weather In Tallapoosa.
From www.alabamawx.com
EXPIRED Severe Thunderstorm Warning for Parts of Tallapoosa County Until 6 p.m. The Alabama Weather In Tallapoosa Clear, with a low around 51. A chance of showers and thunderstorms, then showers and possibly a. Hourly local weather forecast, weather conditions, precipitation, dew point, humidity, wind from weather.com and the weather channel. Northeast wind around 5 mph, with gusts as. Mostly sunny, with a high. Today’s and tonight’s tallapoosa, ga weather forecast, weather conditions and doppler radar from. Weather In Tallapoosa.
From www.alabamawx.com
Severe TStorm Warning — Parts of Coosa, Tallapoosa Co. Until 745 am The Alabama Weather Blog Weather In Tallapoosa Today’s and tonight’s tallapoosa, ga weather forecast, weather conditions and doppler radar from the weather channel and weather.com. A chance of showers and thunderstorms, then showers and possibly a. Mostly sunny, with a high. Northeast wind around 5 mph, with gusts as. Sunny, with a high near 76. Clear, with a low around 51. A 10 percent chance of showers. Weather In Tallapoosa.
From www.alabamawx.com
Severe Thunderstorm Warning Bullock/Macon/Montgomery/Pike/Tallapoosa til 515 PM The Alabama Weather In Tallapoosa Mostly sunny, with a high. A chance of showers and thunderstorms, then showers and possibly a. Sunny, with a high near 76. Northeast wind around 5 mph, with gusts as. A 10 percent chance of showers after 5pm. Today’s and tonight’s tallapoosa, ga weather forecast, weather conditions and doppler radar from the weather channel and weather.com. Clear, with a low. Weather In Tallapoosa.
From www.alabamawx.com
Significant weather Advisory Elmore & Tallapoosa Counties Until 1115 PM CDT The Alabama Weather In Tallapoosa A 10 percent chance of showers after 5pm. Northeast wind around 5 mph, with gusts as. Sunny, with a high near 76. Today’s and tonight’s tallapoosa, ga weather forecast, weather conditions and doppler radar from the weather channel and weather.com. A chance of showers and thunderstorms, then showers and possibly a. Hourly local weather forecast, weather conditions, precipitation, dew point,. Weather In Tallapoosa.
From www.alabamawx.com
EXPIRED — Severe TStorm Warning for Portions of Chambers, Tallapoosa Co. Until 4 pm The Weather In Tallapoosa Hourly local weather forecast, weather conditions, precipitation, dew point, humidity, wind from weather.com and the weather channel. A chance of showers and thunderstorms, then showers and possibly a. A 10 percent chance of showers after 5pm. Clear, with a low around 51. Today’s and tonight’s tallapoosa, ga weather forecast, weather conditions and doppler radar from the weather channel and weather.com.. Weather In Tallapoosa.
From drdonwx.com
Tallapoosa River Flood Warning Dr.Don's Weather Weather In Tallapoosa Northeast wind around 5 mph, with gusts as. Today’s and tonight’s tallapoosa, ga weather forecast, weather conditions and doppler radar from the weather channel and weather.com. A chance of showers and thunderstorms, then showers and possibly a. Mostly sunny, with a high. Clear, with a low around 51. Hourly local weather forecast, weather conditions, precipitation, dew point, humidity, wind from. Weather In Tallapoosa.
From www.alabamawx.com
Severe Thunderstorm Warning Coosa/Tallapoosa The Alabama Weather Blog Weather In Tallapoosa A chance of showers and thunderstorms, then showers and possibly a. A 10 percent chance of showers after 5pm. Hourly local weather forecast, weather conditions, precipitation, dew point, humidity, wind from weather.com and the weather channel. Northeast wind around 5 mph, with gusts as. Mostly sunny, with a high. Sunny, with a high near 76. Today’s and tonight’s tallapoosa, ga. Weather In Tallapoosa.
From www.alabamawx.com
Severe Thunderstorm Warning Continues For Parts Of Tallapoosa County Expired (Expired) The Weather In Tallapoosa Northeast wind around 5 mph, with gusts as. Hourly local weather forecast, weather conditions, precipitation, dew point, humidity, wind from weather.com and the weather channel. Today’s and tonight’s tallapoosa, ga weather forecast, weather conditions and doppler radar from the weather channel and weather.com. A 10 percent chance of showers after 5pm. Clear, with a low around 51. Mostly sunny, with. Weather In Tallapoosa.
From www.alabamawx.com
EXPIRED Severe TStorm Warning — Parts of Chambers, Tallapoosa Co. Until 545 am The Alabama Weather In Tallapoosa Sunny, with a high near 76. Hourly local weather forecast, weather conditions, precipitation, dew point, humidity, wind from weather.com and the weather channel. A 10 percent chance of showers after 5pm. Clear, with a low around 51. A chance of showers and thunderstorms, then showers and possibly a. Today’s and tonight’s tallapoosa, ga weather forecast, weather conditions and doppler radar. Weather In Tallapoosa.
From www.alabamawx.com
Severe Thunderstorm Warning Clay/Tallapoosa until 1130 AM The Alabama Weather Blog Weather In Tallapoosa A 10 percent chance of showers after 5pm. Today’s and tonight’s tallapoosa, ga weather forecast, weather conditions and doppler radar from the weather channel and weather.com. Clear, with a low around 51. Northeast wind around 5 mph, with gusts as. A chance of showers and thunderstorms, then showers and possibly a. Sunny, with a high near 76. Mostly sunny, with. Weather In Tallapoosa.
From drdonwx.com
Tallapoosa River Flood Warning Dr.Don's Weather Weather In Tallapoosa A chance of showers and thunderstorms, then showers and possibly a. Today’s and tonight’s tallapoosa, ga weather forecast, weather conditions and doppler radar from the weather channel and weather.com. Sunny, with a high near 76. Hourly local weather forecast, weather conditions, precipitation, dew point, humidity, wind from weather.com and the weather channel. Northeast wind around 5 mph, with gusts as.. Weather In Tallapoosa.
From www.alabamawx.com
EXPIRED — Tornado Warning for Portions of Tallapoosa Co. Until 330 The Alabama Weather Blog Weather In Tallapoosa A 10 percent chance of showers after 5pm. Today’s and tonight’s tallapoosa, ga weather forecast, weather conditions and doppler radar from the weather channel and weather.com. Hourly local weather forecast, weather conditions, precipitation, dew point, humidity, wind from weather.com and the weather channel. Sunny, with a high near 76. Mostly sunny, with a high. Northeast wind around 5 mph, with. Weather In Tallapoosa.
From www.alabamawx.com
Severe TStorm Warning Parts of Tallapoosa Co. Until 215 pm The Alabama Weather Blog Weather In Tallapoosa A chance of showers and thunderstorms, then showers and possibly a. Mostly sunny, with a high. Northeast wind around 5 mph, with gusts as. Today’s and tonight’s tallapoosa, ga weather forecast, weather conditions and doppler radar from the weather channel and weather.com. A 10 percent chance of showers after 5pm. Sunny, with a high near 76. Hourly local weather forecast,. Weather In Tallapoosa.
From drdonwx.com
Tallapoosa County Dr.Don's Weather Weather In Tallapoosa Sunny, with a high near 76. Clear, with a low around 51. Today’s and tonight’s tallapoosa, ga weather forecast, weather conditions and doppler radar from the weather channel and weather.com. Northeast wind around 5 mph, with gusts as. A chance of showers and thunderstorms, then showers and possibly a. A 10 percent chance of showers after 5pm. Mostly sunny, with. Weather In Tallapoosa.
From www.alabamawx.com
Strong Storms Affecting Parts of Elmore, Macon, & Tallapoosa Counties The Alabama Weather Blog Weather In Tallapoosa Mostly sunny, with a high. Today’s and tonight’s tallapoosa, ga weather forecast, weather conditions and doppler radar from the weather channel and weather.com. A chance of showers and thunderstorms, then showers and possibly a. A 10 percent chance of showers after 5pm. Northeast wind around 5 mph, with gusts as. Clear, with a low around 51. Hourly local weather forecast,. Weather In Tallapoosa.
From www.alabamawx.com
Severe Thunderstorm Warning Tallapoosa Co. The Alabama Weather Blog Weather In Tallapoosa Sunny, with a high near 76. Today’s and tonight’s tallapoosa, ga weather forecast, weather conditions and doppler radar from the weather channel and weather.com. Hourly local weather forecast, weather conditions, precipitation, dew point, humidity, wind from weather.com and the weather channel. A 10 percent chance of showers after 5pm. A chance of showers and thunderstorms, then showers and possibly a.. Weather In Tallapoosa.
From www.alabamawx.com
Strong Storms Affecting Elmore, Tallapoosa, Coosa, & Clay Counties The Alabama Weather Blog Weather In Tallapoosa Today’s and tonight’s tallapoosa, ga weather forecast, weather conditions and doppler radar from the weather channel and weather.com. Northeast wind around 5 mph, with gusts as. A chance of showers and thunderstorms, then showers and possibly a. Mostly sunny, with a high. A 10 percent chance of showers after 5pm. Clear, with a low around 51. Sunny, with a high. Weather In Tallapoosa.
From www.alabamawx.com
Severe Thunderstorm Warning Macon, Elmore, Montgomery & Tallapoosa Counties Until 1200 AM CDT Weather In Tallapoosa Today’s and tonight’s tallapoosa, ga weather forecast, weather conditions and doppler radar from the weather channel and weather.com. A 10 percent chance of showers after 5pm. Clear, with a low around 51. Hourly local weather forecast, weather conditions, precipitation, dew point, humidity, wind from weather.com and the weather channel. Northeast wind around 5 mph, with gusts as. A chance of. Weather In Tallapoosa.
From store.anythingweather.com
Hail Report for Oak GroveLawrence, MSTallapoosa, AL April 19, 2020 HailWATCH Weather In Tallapoosa Northeast wind around 5 mph, with gusts as. Sunny, with a high near 76. A 10 percent chance of showers after 5pm. Hourly local weather forecast, weather conditions, precipitation, dew point, humidity, wind from weather.com and the weather channel. Today’s and tonight’s tallapoosa, ga weather forecast, weather conditions and doppler radar from the weather channel and weather.com. A chance of. Weather In Tallapoosa.
From www.alabamawx.com
Severe Thunderstorm Warning Elmore/Tallapoosa The Alabama Weather Blog Weather In Tallapoosa A 10 percent chance of showers after 5pm. Mostly sunny, with a high. A chance of showers and thunderstorms, then showers and possibly a. Clear, with a low around 51. Sunny, with a high near 76. Today’s and tonight’s tallapoosa, ga weather forecast, weather conditions and doppler radar from the weather channel and weather.com. Hourly local weather forecast, weather conditions,. Weather In Tallapoosa.