Weather Radar West Baden Springs Indiana . weather overview for west baden springs (orange county, indiana, united states): west baden springs, in weather forecast, with current conditions, wind, air quality, and what to expect for the next 3 days. interactive weather map allows you to pan and zoom to get unmatched weather details in your local neighborhood or half a world. prepare for weather by tracking rain, storms on this animated radar map for west baden springs, in. today’s and tonight’s west baden springs, in weather forecast, weather conditions and doppler radar from the weather channel. interactive weather map allows you to pan and zoom to get unmatched weather details in your local neighborhood or half a world. latest weather radar map with temperature, wind chill, heat index, dew point, humidity and wind speed for west baden. Easy to use weather radar at your fingertips! Detailed weather forecasts, 14 days trend,.
from www.fox16.com
prepare for weather by tracking rain, storms on this animated radar map for west baden springs, in. Easy to use weather radar at your fingertips! latest weather radar map with temperature, wind chill, heat index, dew point, humidity and wind speed for west baden. today’s and tonight’s west baden springs, in weather forecast, weather conditions and doppler radar from the weather channel. weather overview for west baden springs (orange county, indiana, united states): interactive weather map allows you to pan and zoom to get unmatched weather details in your local neighborhood or half a world. west baden springs, in weather forecast, with current conditions, wind, air quality, and what to expect for the next 3 days. Detailed weather forecasts, 14 days trend,. interactive weather map allows you to pan and zoom to get unmatched weather details in your local neighborhood or half a world.
arkansas weather storms
Weather Radar West Baden Springs Indiana interactive weather map allows you to pan and zoom to get unmatched weather details in your local neighborhood or half a world. west baden springs, in weather forecast, with current conditions, wind, air quality, and what to expect for the next 3 days. interactive weather map allows you to pan and zoom to get unmatched weather details in your local neighborhood or half a world. interactive weather map allows you to pan and zoom to get unmatched weather details in your local neighborhood or half a world. today’s and tonight’s west baden springs, in weather forecast, weather conditions and doppler radar from the weather channel. Detailed weather forecasts, 14 days trend,. prepare for weather by tracking rain, storms on this animated radar map for west baden springs, in. weather overview for west baden springs (orange county, indiana, united states): Easy to use weather radar at your fingertips! latest weather radar map with temperature, wind chill, heat index, dew point, humidity and wind speed for west baden.
From www.wrtv.com
West Baden Springs Hotel atrium reopens after hail damage Weather Radar West Baden Springs Indiana today’s and tonight’s west baden springs, in weather forecast, weather conditions and doppler radar from the weather channel. west baden springs, in weather forecast, with current conditions, wind, air quality, and what to expect for the next 3 days. latest weather radar map with temperature, wind chill, heat index, dew point, humidity and wind speed for west. Weather Radar West Baden Springs Indiana.
From www.historic-structures.com
Pictures 1 West Baden Springs Hotel, West Baden Indiana Weather Radar West Baden Springs Indiana west baden springs, in weather forecast, with current conditions, wind, air quality, and what to expect for the next 3 days. interactive weather map allows you to pan and zoom to get unmatched weather details in your local neighborhood or half a world. prepare for weather by tracking rain, storms on this animated radar map for west. Weather Radar West Baden Springs Indiana.
From www.wthr.com
Live Doppler 13 Radar Weather Blog Stormy at times with a few severe Weather Radar West Baden Springs Indiana interactive weather map allows you to pan and zoom to get unmatched weather details in your local neighborhood or half a world. interactive weather map allows you to pan and zoom to get unmatched weather details in your local neighborhood or half a world. Detailed weather forecasts, 14 days trend,. west baden springs, in weather forecast, with. Weather Radar West Baden Springs Indiana.
From twitter.com
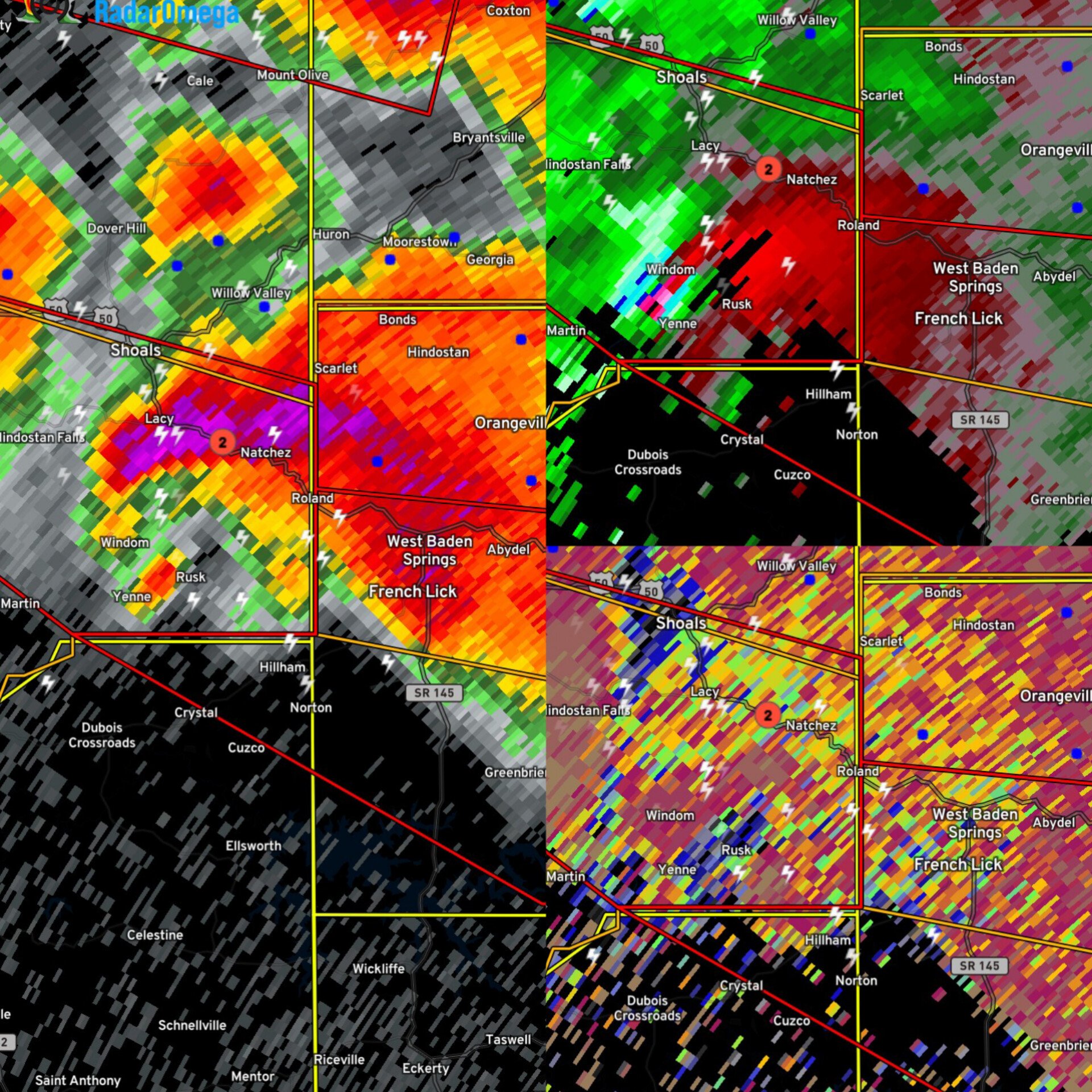
StormHQ on Twitter "Likely tornado OTG west of West Baden Springs, IN Weather Radar West Baden Springs Indiana today’s and tonight’s west baden springs, in weather forecast, weather conditions and doppler radar from the weather channel. Detailed weather forecasts, 14 days trend,. prepare for weather by tracking rain, storms on this animated radar map for west baden springs, in. interactive weather map allows you to pan and zoom to get unmatched weather details in your. Weather Radar West Baden Springs Indiana.
From www.youtube.com
WEST BADEN SPRINGS HOTEL French Lick, Indiana Resort YouTube Weather Radar West Baden Springs Indiana today’s and tonight’s west baden springs, in weather forecast, weather conditions and doppler radar from the weather channel. latest weather radar map with temperature, wind chill, heat index, dew point, humidity and wind speed for west baden. prepare for weather by tracking rain, storms on this animated radar map for west baden springs, in. weather overview. Weather Radar West Baden Springs Indiana.
From www.indianapolismonthly.com
So Cold The River Stars West Baden Springs Hotel Indianapolis Monthly Weather Radar West Baden Springs Indiana interactive weather map allows you to pan and zoom to get unmatched weather details in your local neighborhood or half a world. weather overview for west baden springs (orange county, indiana, united states): today’s and tonight’s west baden springs, in weather forecast, weather conditions and doppler radar from the weather channel. latest weather radar map with. Weather Radar West Baden Springs Indiana.
From www.worldpropertyjournal.com
French Lick Resort's 600 Million Restoration Completed WORLD Weather Radar West Baden Springs Indiana prepare for weather by tracking rain, storms on this animated radar map for west baden springs, in. interactive weather map allows you to pan and zoom to get unmatched weather details in your local neighborhood or half a world. interactive weather map allows you to pan and zoom to get unmatched weather details in your local neighborhood. Weather Radar West Baden Springs Indiana.
From www.weather.gov
NWS Tulsa Significant Weather Events Weather Radar West Baden Springs Indiana west baden springs, in weather forecast, with current conditions, wind, air quality, and what to expect for the next 3 days. Detailed weather forecasts, 14 days trend,. weather overview for west baden springs (orange county, indiana, united states): interactive weather map allows you to pan and zoom to get unmatched weather details in your local neighborhood or. Weather Radar West Baden Springs Indiana.
From www.wishtv.com
Hail damage closes atrium at West Baden Springs Hotel Indianapolis Weather Radar West Baden Springs Indiana west baden springs, in weather forecast, with current conditions, wind, air quality, and what to expect for the next 3 days. weather overview for west baden springs (orange county, indiana, united states): Detailed weather forecasts, 14 days trend,. interactive weather map allows you to pan and zoom to get unmatched weather details in your local neighborhood or. Weather Radar West Baden Springs Indiana.
From www.timeanddate.com
Town of West Baden Springs, Indiana, USA 14 day weather forecast Weather Radar West Baden Springs Indiana prepare for weather by tracking rain, storms on this animated radar map for west baden springs, in. Easy to use weather radar at your fingertips! latest weather radar map with temperature, wind chill, heat index, dew point, humidity and wind speed for west baden. Detailed weather forecasts, 14 days trend,. weather overview for west baden springs (orange. Weather Radar West Baden Springs Indiana.
From www.reddit.com
statue behind west baden springs hotel r/Indiana Weather Radar West Baden Springs Indiana Easy to use weather radar at your fingertips! weather overview for west baden springs (orange county, indiana, united states): Detailed weather forecasts, 14 days trend,. today’s and tonight’s west baden springs, in weather forecast, weather conditions and doppler radar from the weather channel. latest weather radar map with temperature, wind chill, heat index, dew point, humidity and. Weather Radar West Baden Springs Indiana.
From www.weather.gov
Radar Advancement Weather Radar West Baden Springs Indiana weather overview for west baden springs (orange county, indiana, united states): Detailed weather forecasts, 14 days trend,. Easy to use weather radar at your fingertips! prepare for weather by tracking rain, storms on this animated radar map for west baden springs, in. today’s and tonight’s west baden springs, in weather forecast, weather conditions and doppler radar from. Weather Radar West Baden Springs Indiana.
From fyomoqnxl.blob.core.windows.net
Grover Hill Ohio Weather Radar at Lucille Spivey blog Weather Radar West Baden Springs Indiana latest weather radar map with temperature, wind chill, heat index, dew point, humidity and wind speed for west baden. today’s and tonight’s west baden springs, in weather forecast, weather conditions and doppler radar from the weather channel. Easy to use weather radar at your fingertips! interactive weather map allows you to pan and zoom to get unmatched. Weather Radar West Baden Springs Indiana.
From www.wrtv.com
West Baden Springs Hotel named one of 5 best resorts in U.S. Weather Radar West Baden Springs Indiana weather overview for west baden springs (orange county, indiana, united states): latest weather radar map with temperature, wind chill, heat index, dew point, humidity and wind speed for west baden. Detailed weather forecasts, 14 days trend,. west baden springs, in weather forecast, with current conditions, wind, air quality, and what to expect for the next 3 days.. Weather Radar West Baden Springs Indiana.
From www.wthr.com
Indianapolis Interactive Radar Weather 13 WTHR Indianapolis Weather Radar West Baden Springs Indiana weather overview for west baden springs (orange county, indiana, united states): Easy to use weather radar at your fingertips! interactive weather map allows you to pan and zoom to get unmatched weather details in your local neighborhood or half a world. Detailed weather forecasts, 14 days trend,. interactive weather map allows you to pan and zoom to. Weather Radar West Baden Springs Indiana.
From www.vrogue.co
Indiana Weather Radar Map vrogue.co Weather Radar West Baden Springs Indiana Detailed weather forecasts, 14 days trend,. interactive weather map allows you to pan and zoom to get unmatched weather details in your local neighborhood or half a world. interactive weather map allows you to pan and zoom to get unmatched weather details in your local neighborhood or half a world. Easy to use weather radar at your fingertips!. Weather Radar West Baden Springs Indiana.
From www.stltoday.com
French Lick is a weatherproof Indiana getaway Travel Weather Radar West Baden Springs Indiana Easy to use weather radar at your fingertips! latest weather radar map with temperature, wind chill, heat index, dew point, humidity and wind speed for west baden. interactive weather map allows you to pan and zoom to get unmatched weather details in your local neighborhood or half a world. Detailed weather forecasts, 14 days trend,. today’s and. Weather Radar West Baden Springs Indiana.
From www.wishtv.com
Hail damage closes atrium at West Baden Springs Hotel Indianapolis Weather Radar West Baden Springs Indiana prepare for weather by tracking rain, storms on this animated radar map for west baden springs, in. interactive weather map allows you to pan and zoom to get unmatched weather details in your local neighborhood or half a world. latest weather radar map with temperature, wind chill, heat index, dew point, humidity and wind speed for west. Weather Radar West Baden Springs Indiana.
From www.interactivehailmaps.com
Interactive Hail Maps Hail Map for New Baden, IL Weather Radar West Baden Springs Indiana Easy to use weather radar at your fingertips! today’s and tonight’s west baden springs, in weather forecast, weather conditions and doppler radar from the weather channel. latest weather radar map with temperature, wind chill, heat index, dew point, humidity and wind speed for west baden. interactive weather map allows you to pan and zoom to get unmatched. Weather Radar West Baden Springs Indiana.
From www.victoriana.com
Duft Bewertung Kind west baden hotel Wachs Schullehrer Spucke Weather Radar West Baden Springs Indiana interactive weather map allows you to pan and zoom to get unmatched weather details in your local neighborhood or half a world. weather overview for west baden springs (orange county, indiana, united states): west baden springs, in weather forecast, with current conditions, wind, air quality, and what to expect for the next 3 days. prepare for. Weather Radar West Baden Springs Indiana.
From www.wishtv.com
French Lick Resort outlines historic West Baden Springs storm damage Weather Radar West Baden Springs Indiana Easy to use weather radar at your fingertips! prepare for weather by tracking rain, storms on this animated radar map for west baden springs, in. latest weather radar map with temperature, wind chill, heat index, dew point, humidity and wind speed for west baden. today’s and tonight’s west baden springs, in weather forecast, weather conditions and doppler. Weather Radar West Baden Springs Indiana.
From kfor.com
RADAR Follow rain, storms across the state on live radar Weather Radar West Baden Springs Indiana weather overview for west baden springs (orange county, indiana, united states): prepare for weather by tracking rain, storms on this animated radar map for west baden springs, in. west baden springs, in weather forecast, with current conditions, wind, air quality, and what to expect for the next 3 days. interactive weather map allows you to pan. Weather Radar West Baden Springs Indiana.
From abc7chicago.com
Chicago West Suburbs Weather Radar Live ABC7 Chicago Weather Radar West Baden Springs Indiana west baden springs, in weather forecast, with current conditions, wind, air quality, and what to expect for the next 3 days. Detailed weather forecasts, 14 days trend,. interactive weather map allows you to pan and zoom to get unmatched weather details in your local neighborhood or half a world. latest weather radar map with temperature, wind chill,. Weather Radar West Baden Springs Indiana.
From www.weather.gov
Severe Storms Hit Central and EastCentral Wisconsin on June 2nd Weather Radar West Baden Springs Indiana today’s and tonight’s west baden springs, in weather forecast, weather conditions and doppler radar from the weather channel. Detailed weather forecasts, 14 days trend,. interactive weather map allows you to pan and zoom to get unmatched weather details in your local neighborhood or half a world. west baden springs, in weather forecast, with current conditions, wind, air. Weather Radar West Baden Springs Indiana.
From indianapublicmedia.org
Renovation project at West Baden Springs uncovers a piece of the hotel Weather Radar West Baden Springs Indiana latest weather radar map with temperature, wind chill, heat index, dew point, humidity and wind speed for west baden. interactive weather map allows you to pan and zoom to get unmatched weather details in your local neighborhood or half a world. today’s and tonight’s west baden springs, in weather forecast, weather conditions and doppler radar from the. Weather Radar West Baden Springs Indiana.
From www.wthr.com
Historic southern Indiana hotel damaged during Sunday storm Weather Radar West Baden Springs Indiana interactive weather map allows you to pan and zoom to get unmatched weather details in your local neighborhood or half a world. Detailed weather forecasts, 14 days trend,. interactive weather map allows you to pan and zoom to get unmatched weather details in your local neighborhood or half a world. Easy to use weather radar at your fingertips!. Weather Radar West Baden Springs Indiana.
From www.timeanddate.com
Nordrach, BadenWürttemberg, Germany 14 day weather forecast Weather Radar West Baden Springs Indiana interactive weather map allows you to pan and zoom to get unmatched weather details in your local neighborhood or half a world. interactive weather map allows you to pan and zoom to get unmatched weather details in your local neighborhood or half a world. weather overview for west baden springs (orange county, indiana, united states): Easy to. Weather Radar West Baden Springs Indiana.
From www.fox16.com
arkansas weather storms Weather Radar West Baden Springs Indiana Easy to use weather radar at your fingertips! west baden springs, in weather forecast, with current conditions, wind, air quality, and what to expect for the next 3 days. Detailed weather forecasts, 14 days trend,. interactive weather map allows you to pan and zoom to get unmatched weather details in your local neighborhood or half a world. . Weather Radar West Baden Springs Indiana.
From lafayette.in.gov
West Baden Springs Lafayette, IN Official site Weather Radar West Baden Springs Indiana interactive weather map allows you to pan and zoom to get unmatched weather details in your local neighborhood or half a world. Detailed weather forecasts, 14 days trend,. Easy to use weather radar at your fingertips! interactive weather map allows you to pan and zoom to get unmatched weather details in your local neighborhood or half a world.. Weather Radar West Baden Springs Indiana.
From exohgokle.blob.core.windows.net
Town Of West Baden Springs Indiana at Inez Fink blog Weather Radar West Baden Springs Indiana interactive weather map allows you to pan and zoom to get unmatched weather details in your local neighborhood or half a world. interactive weather map allows you to pan and zoom to get unmatched weather details in your local neighborhood or half a world. weather overview for west baden springs (orange county, indiana, united states): prepare. Weather Radar West Baden Springs Indiana.
From www.wthr.com
Did you know Indiana rests near 2 of the largest fault lines in the Weather Radar West Baden Springs Indiana west baden springs, in weather forecast, with current conditions, wind, air quality, and what to expect for the next 3 days. prepare for weather by tracking rain, storms on this animated radar map for west baden springs, in. today’s and tonight’s west baden springs, in weather forecast, weather conditions and doppler radar from the weather channel. . Weather Radar West Baden Springs Indiana.
From exohgokle.blob.core.windows.net
Town Of West Baden Springs Indiana at Inez Fink blog Weather Radar West Baden Springs Indiana Easy to use weather radar at your fingertips! weather overview for west baden springs (orange county, indiana, united states): interactive weather map allows you to pan and zoom to get unmatched weather details in your local neighborhood or half a world. Detailed weather forecasts, 14 days trend,. west baden springs, in weather forecast, with current conditions, wind,. Weather Radar West Baden Springs Indiana.
From abc7chicago.com
Chicago Weather LIVE Radar Severe Thunderstorm Watch, Warnings in Weather Radar West Baden Springs Indiana latest weather radar map with temperature, wind chill, heat index, dew point, humidity and wind speed for west baden. west baden springs, in weather forecast, with current conditions, wind, air quality, and what to expect for the next 3 days. prepare for weather by tracking rain, storms on this animated radar map for west baden springs, in.. Weather Radar West Baden Springs Indiana.
From www.visitindiana.com
This Historic Hotel in Indiana Was Just Named America's Best Weather Radar West Baden Springs Indiana latest weather radar map with temperature, wind chill, heat index, dew point, humidity and wind speed for west baden. Easy to use weather radar at your fingertips! prepare for weather by tracking rain, storms on this animated radar map for west baden springs, in. weather overview for west baden springs (orange county, indiana, united states): interactive. Weather Radar West Baden Springs Indiana.
From www.weather.gov
Severe Weather Outbreak April 30, 2005 Weather Radar West Baden Springs Indiana latest weather radar map with temperature, wind chill, heat index, dew point, humidity and wind speed for west baden. today’s and tonight’s west baden springs, in weather forecast, weather conditions and doppler radar from the weather channel. west baden springs, in weather forecast, with current conditions, wind, air quality, and what to expect for the next 3. Weather Radar West Baden Springs Indiana.