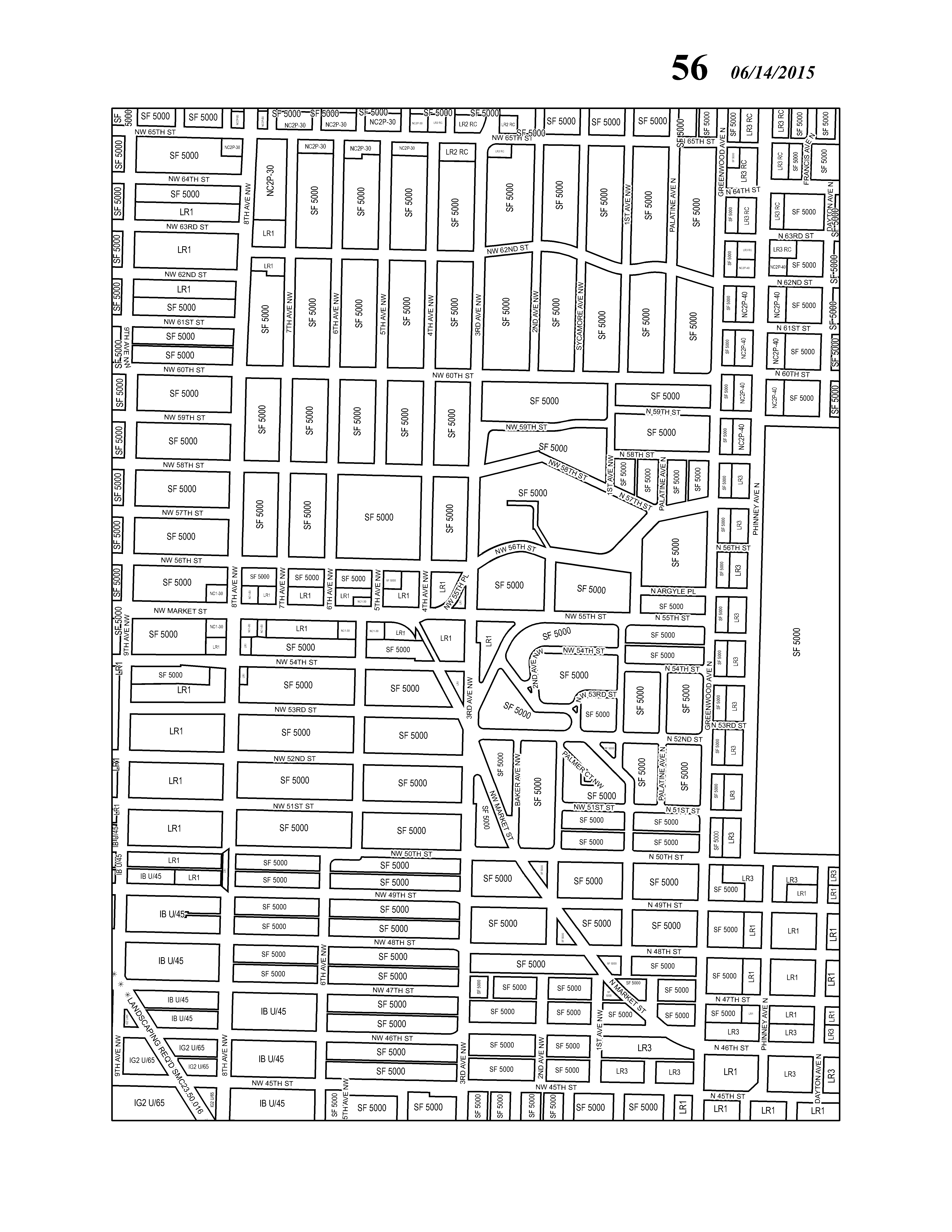
Washington Zoning Codes . see the list of all changes underway to the redmond zoning code (rzc), including status and anticipated effective dates. repository of development regulations and zoning resources from the municipal research and services center (mrsc) helpful glossary of terms. find the zoning of properties in washington. Zoning determines what you can. use the information below to find out which zoning your property is in and which codes apply. Acquisition of interests in land for conservation, protection,. Access resources related to the. planning and zoning in code cities. Click to see zoning maps and zoning codes for counties in washington. this page provides an overview of development regulations and zoning codes in washington state, including examples.
from library.municode.com
repository of development regulations and zoning resources from the municipal research and services center (mrsc) helpful glossary of terms. Click to see zoning maps and zoning codes for counties in washington. Access resources related to the. Zoning determines what you can. planning and zoning in code cities. see the list of all changes underway to the redmond zoning code (rzc), including status and anticipated effective dates. this page provides an overview of development regulations and zoning codes in washington state, including examples. use the information below to find out which zoning your property is in and which codes apply. Acquisition of interests in land for conservation, protection,. find the zoning of properties in washington.
Municode Library
Washington Zoning Codes use the information below to find out which zoning your property is in and which codes apply. see the list of all changes underway to the redmond zoning code (rzc), including status and anticipated effective dates. use the information below to find out which zoning your property is in and which codes apply. find the zoning of properties in washington. repository of development regulations and zoning resources from the municipal research and services center (mrsc) helpful glossary of terms. this page provides an overview of development regulations and zoning codes in washington state, including examples. Acquisition of interests in land for conservation, protection,. planning and zoning in code cities. Click to see zoning maps and zoning codes for counties in washington. Zoning determines what you can. Access resources related to the.
From www.enterprisepub.com
City amends zoning regs to include boarding houses Washington County Washington Zoning Codes planning and zoning in code cities. Zoning determines what you can. Acquisition of interests in land for conservation, protection,. Click to see zoning maps and zoning codes for counties in washington. this page provides an overview of development regulations and zoning codes in washington state, including examples. repository of development regulations and zoning resources from the municipal. Washington Zoning Codes.
From library.municode.com
Municode Library Washington Zoning Codes see the list of all changes underway to the redmond zoning code (rzc), including status and anticipated effective dates. Access resources related to the. repository of development regulations and zoning resources from the municipal research and services center (mrsc) helpful glossary of terms. Zoning determines what you can. Click to see zoning maps and zoning codes for counties. Washington Zoning Codes.
From ggwash.org
This map illustrates DC’s new zoning rules Greater Greater Washington Washington Zoning Codes see the list of all changes underway to the redmond zoning code (rzc), including status and anticipated effective dates. Access resources related to the. Acquisition of interests in land for conservation, protection,. Click to see zoning maps and zoning codes for counties in washington. planning and zoning in code cities. this page provides an overview of development. Washington Zoning Codes.
From ggwash.org
This map illustrates DC’s new zoning rules Greater Greater Washington Washington Zoning Codes use the information below to find out which zoning your property is in and which codes apply. planning and zoning in code cities. see the list of all changes underway to the redmond zoning code (rzc), including status and anticipated effective dates. this page provides an overview of development regulations and zoning codes in washington state,. Washington Zoning Codes.
From www.kirklandwa.gov
Zoning Code FAQ City of Kirkland Washington Zoning Codes find the zoning of properties in washington. Access resources related to the. Click to see zoning maps and zoning codes for counties in washington. this page provides an overview of development regulations and zoning codes in washington state, including examples. repository of development regulations and zoning resources from the municipal research and services center (mrsc) helpful glossary. Washington Zoning Codes.
From www.redmond.gov
Redmond Town Center Zoning Code Text Amendment Redmond, WA Washington Zoning Codes Access resources related to the. use the information below to find out which zoning your property is in and which codes apply. see the list of all changes underway to the redmond zoning code (rzc), including status and anticipated effective dates. this page provides an overview of development regulations and zoning codes in washington state, including examples.. Washington Zoning Codes.
From library.municode.com
Municode Library Washington Zoning Codes Access resources related to the. Click to see zoning maps and zoning codes for counties in washington. Acquisition of interests in land for conservation, protection,. this page provides an overview of development regulations and zoning codes in washington state, including examples. see the list of all changes underway to the redmond zoning code (rzc), including status and anticipated. Washington Zoning Codes.
From library.municode.com
Municode Library Washington Zoning Codes Acquisition of interests in land for conservation, protection,. find the zoning of properties in washington. see the list of all changes underway to the redmond zoning code (rzc), including status and anticipated effective dates. Access resources related to the. use the information below to find out which zoning your property is in and which codes apply. Zoning. Washington Zoning Codes.
From www.redmond.gov
Zoning Code Redmond, WA Washington Zoning Codes Access resources related to the. Zoning determines what you can. this page provides an overview of development regulations and zoning codes in washington state, including examples. find the zoning of properties in washington. repository of development regulations and zoning resources from the municipal research and services center (mrsc) helpful glossary of terms. use the information below. Washington Zoning Codes.
From celursvb.blob.core.windows.net
Redmond Wa Zoning Code at Ernest Garcia blog Washington Zoning Codes find the zoning of properties in washington. Access resources related to the. this page provides an overview of development regulations and zoning codes in washington state, including examples. repository of development regulations and zoning resources from the municipal research and services center (mrsc) helpful glossary of terms. planning and zoning in code cities. Acquisition of interests. Washington Zoning Codes.
From koordinates.com
Franklin County, Washington Zoning Boundaries Koordinates Washington Zoning Codes planning and zoning in code cities. this page provides an overview of development regulations and zoning codes in washington state, including examples. Access resources related to the. see the list of all changes underway to the redmond zoning code (rzc), including status and anticipated effective dates. Acquisition of interests in land for conservation, protection,. repository of. Washington Zoning Codes.
From zoningpoint.com
Millwood, WA Official Zoning Map and Code ZoningPoint Washington Zoning Codes see the list of all changes underway to the redmond zoning code (rzc), including status and anticipated effective dates. Acquisition of interests in land for conservation, protection,. Click to see zoning maps and zoning codes for counties in washington. Zoning determines what you can. planning and zoning in code cities. Access resources related to the. find the. Washington Zoning Codes.
From library.municode.com
Municode Library Washington Zoning Codes Zoning determines what you can. Click to see zoning maps and zoning codes for counties in washington. see the list of all changes underway to the redmond zoning code (rzc), including status and anticipated effective dates. Acquisition of interests in land for conservation, protection,. planning and zoning in code cities. this page provides an overview of development. Washington Zoning Codes.
From www.bremertonwa.gov
Zoning Code & Map Bremerton, WA Official site Washington Zoning Codes this page provides an overview of development regulations and zoning codes in washington state, including examples. Access resources related to the. planning and zoning in code cities. Click to see zoning maps and zoning codes for counties in washington. use the information below to find out which zoning your property is in and which codes apply. Acquisition. Washington Zoning Codes.
From www.whatcomcounty.us
Zoning Maps County, WA Official site Washington Zoning Codes planning and zoning in code cities. find the zoning of properties in washington. repository of development regulations and zoning resources from the municipal research and services center (mrsc) helpful glossary of terms. Click to see zoning maps and zoning codes for counties in washington. this page provides an overview of development regulations and zoning codes in. Washington Zoning Codes.
From voperfluid.weebly.com
City Zoning Codes voperfluid Washington Zoning Codes Acquisition of interests in land for conservation, protection,. Zoning determines what you can. find the zoning of properties in washington. planning and zoning in code cities. repository of development regulations and zoning resources from the municipal research and services center (mrsc) helpful glossary of terms. Access resources related to the. see the list of all changes. Washington Zoning Codes.
From library.municode.com
Municode Library Washington Zoning Codes Zoning determines what you can. Acquisition of interests in land for conservation, protection,. planning and zoning in code cities. use the information below to find out which zoning your property is in and which codes apply. find the zoning of properties in washington. repository of development regulations and zoning resources from the municipal research and services. Washington Zoning Codes.
From zoningpoint.com
Lakewood, WA Official Zoning Map and Code ZoningPoint Washington Zoning Codes this page provides an overview of development regulations and zoning codes in washington state, including examples. Access resources related to the. planning and zoning in code cities. Acquisition of interests in land for conservation, protection,. see the list of all changes underway to the redmond zoning code (rzc), including status and anticipated effective dates. find the. Washington Zoning Codes.
From library.municode.com
Municode Library Washington Zoning Codes use the information below to find out which zoning your property is in and which codes apply. this page provides an overview of development regulations and zoning codes in washington state, including examples. Acquisition of interests in land for conservation, protection,. Click to see zoning maps and zoning codes for counties in washington. repository of development regulations. Washington Zoning Codes.
From libertylakewa.gov
Zoning Information Liberty Lake, WA Official site Washington Zoning Codes Zoning determines what you can. Acquisition of interests in land for conservation, protection,. use the information below to find out which zoning your property is in and which codes apply. planning and zoning in code cities. find the zoning of properties in washington. see the list of all changes underway to the redmond zoning code (rzc),. Washington Zoning Codes.
From aindreazessy.pages.dev
City Of Bellevue Zoning Map Washington Dc Map Washington Zoning Codes Access resources related to the. Zoning determines what you can. Click to see zoning maps and zoning codes for counties in washington. Acquisition of interests in land for conservation, protection,. planning and zoning in code cities. find the zoning of properties in washington. repository of development regulations and zoning resources from the municipal research and services center. Washington Zoning Codes.
From www.libertylakewa.gov
Zoning Information Liberty Lake, WA Official site Washington Zoning Codes Acquisition of interests in land for conservation, protection,. use the information below to find out which zoning your property is in and which codes apply. this page provides an overview of development regulations and zoning codes in washington state, including examples. find the zoning of properties in washington. Zoning determines what you can. repository of development. Washington Zoning Codes.
From library.municode.com
Municode Library Washington Zoning Codes Access resources related to the. Click to see zoning maps and zoning codes for counties in washington. use the information below to find out which zoning your property is in and which codes apply. Zoning determines what you can. Acquisition of interests in land for conservation, protection,. planning and zoning in code cities. find the zoning of. Washington Zoning Codes.
From www.millwoodwa.us
Planning & Permitting Washington Zoning Codes Access resources related to the. see the list of all changes underway to the redmond zoning code (rzc), including status and anticipated effective dates. Click to see zoning maps and zoning codes for counties in washington. find the zoning of properties in washington. planning and zoning in code cities. this page provides an overview of development. Washington Zoning Codes.
From everettwa.gov
Printed Map Gallery Everett, WA Official site Washington Zoning Codes see the list of all changes underway to the redmond zoning code (rzc), including status and anticipated effective dates. Acquisition of interests in land for conservation, protection,. use the information below to find out which zoning your property is in and which codes apply. Click to see zoning maps and zoning codes for counties in washington. find. Washington Zoning Codes.
From tractedtia.netlify.app
Washington Dc Zoning Map Verjaardag Vrouw 2020 Washington Zoning Codes Access resources related to the. find the zoning of properties in washington. this page provides an overview of development regulations and zoning codes in washington state, including examples. Acquisition of interests in land for conservation, protection,. repository of development regulations and zoning resources from the municipal research and services center (mrsc) helpful glossary of terms. planning. Washington Zoning Codes.
From library.municode.com
Municode Library Washington Zoning Codes see the list of all changes underway to the redmond zoning code (rzc), including status and anticipated effective dates. Click to see zoning maps and zoning codes for counties in washington. Zoning determines what you can. Acquisition of interests in land for conservation, protection,. repository of development regulations and zoning resources from the municipal research and services center. Washington Zoning Codes.
From www.blueraster.com
Zoning Washington D.C.'s Future Blue Raster Washington Zoning Codes repository of development regulations and zoning resources from the municipal research and services center (mrsc) helpful glossary of terms. planning and zoning in code cities. see the list of all changes underway to the redmond zoning code (rzc), including status and anticipated effective dates. Zoning determines what you can. find the zoning of properties in washington.. Washington Zoning Codes.
From library.municode.com
Municode Library Washington Zoning Codes use the information below to find out which zoning your property is in and which codes apply. find the zoning of properties in washington. this page provides an overview of development regulations and zoning codes in washington state, including examples. Click to see zoning maps and zoning codes for counties in washington. repository of development regulations. Washington Zoning Codes.
From library.municode.com
Municode Library Washington Zoning Codes Acquisition of interests in land for conservation, protection,. find the zoning of properties in washington. this page provides an overview of development regulations and zoning codes in washington state, including examples. Access resources related to the. Zoning determines what you can. Click to see zoning maps and zoning codes for counties in washington. see the list of. Washington Zoning Codes.
From portwashingtonnorth.org
Zoning Information Village of Port Washington North Washington Zoning Codes Access resources related to the. planning and zoning in code cities. use the information below to find out which zoning your property is in and which codes apply. repository of development regulations and zoning resources from the municipal research and services center (mrsc) helpful glossary of terms. Acquisition of interests in land for conservation, protection,. Click to. Washington Zoning Codes.
From library.municode.com
Municode Library Washington Zoning Codes see the list of all changes underway to the redmond zoning code (rzc), including status and anticipated effective dates. Acquisition of interests in land for conservation, protection,. this page provides an overview of development regulations and zoning codes in washington state, including examples. repository of development regulations and zoning resources from the municipal research and services center. Washington Zoning Codes.
From library.municode.com
Municode Library Washington Zoning Codes see the list of all changes underway to the redmond zoning code (rzc), including status and anticipated effective dates. find the zoning of properties in washington. use the information below to find out which zoning your property is in and which codes apply. planning and zoning in code cities. Click to see zoning maps and zoning. Washington Zoning Codes.
From koordinates.com
Grant County, Washington Zoning Boundaries GIS Map Data Grant Washington Zoning Codes find the zoning of properties in washington. Zoning determines what you can. planning and zoning in code cities. use the information below to find out which zoning your property is in and which codes apply. this page provides an overview of development regulations and zoning codes in washington state, including examples. see the list of. Washington Zoning Codes.
From library.municode.com
Municode Library Washington Zoning Codes see the list of all changes underway to the redmond zoning code (rzc), including status and anticipated effective dates. Zoning determines what you can. find the zoning of properties in washington. repository of development regulations and zoning resources from the municipal research and services center (mrsc) helpful glossary of terms. Acquisition of interests in land for conservation,. Washington Zoning Codes.