Marengo In Weather Radar . Want to know what the weather is now? Latest weather radar map with temperature, wind chill, heat index, dew point, humidity and wind speed for marengo, indiana Easy to use weather radar at your fingertips! Check current conditions in marengo, in with radar, hourly, and more. Interactive weather map allows you to pan and zoom to get unmatched weather details in your local neighborhood or half a world away from. Prepare for weather by tracking rain, storms on this animated radar map for marengo, in. Hourly weather forecast in marengo, in. Check out our current live radar and weather forecasts for marengo, indiana to help plan your.
from www.alabamawx.com
Easy to use weather radar at your fingertips! Prepare for weather by tracking rain, storms on this animated radar map for marengo, in. Hourly weather forecast in marengo, in. Check current conditions in marengo, in with radar, hourly, and more. Check out our current live radar and weather forecasts for marengo, indiana to help plan your. Interactive weather map allows you to pan and zoom to get unmatched weather details in your local neighborhood or half a world away from. Latest weather radar map with temperature, wind chill, heat index, dew point, humidity and wind speed for marengo, indiana Want to know what the weather is now?
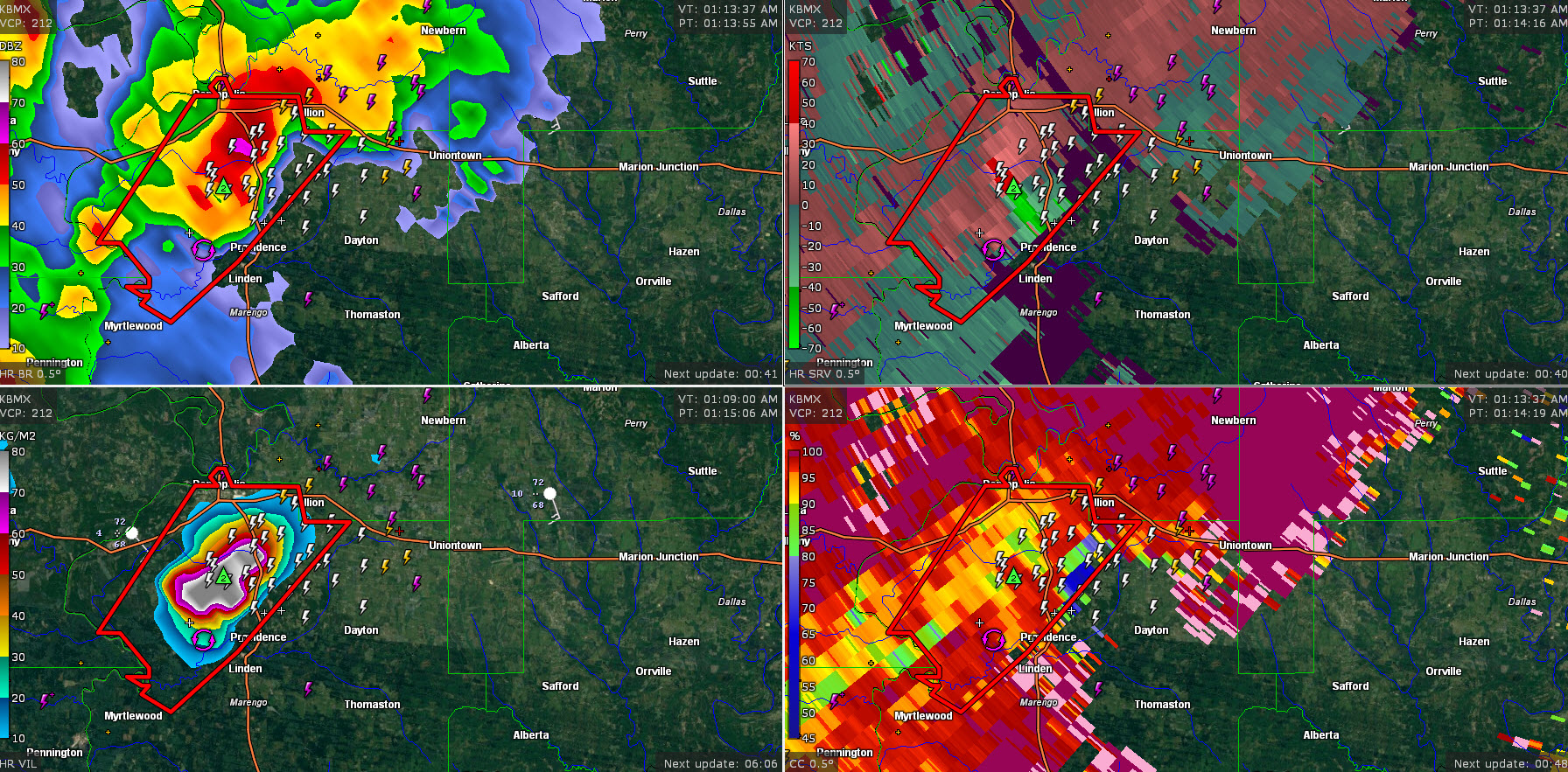
Cofirmed Tornado Near Thomaston…May Move Between Marion/Selma The Alabama Weather Blog
Marengo In Weather Radar Want to know what the weather is now? Prepare for weather by tracking rain, storms on this animated radar map for marengo, in. Easy to use weather radar at your fingertips! Hourly weather forecast in marengo, in. Interactive weather map allows you to pan and zoom to get unmatched weather details in your local neighborhood or half a world away from. Check current conditions in marengo, in with radar, hourly, and more. Check out our current live radar and weather forecasts for marengo, indiana to help plan your. Latest weather radar map with temperature, wind chill, heat index, dew point, humidity and wind speed for marengo, indiana Want to know what the weather is now?
From www.alabamawx.com
Tornado Warning for Southeastern Marengo County Until 615 AM CST Has Expired The Alabama Marengo In Weather Radar Latest weather radar map with temperature, wind chill, heat index, dew point, humidity and wind speed for marengo, indiana Check out our current live radar and weather forecasts for marengo, indiana to help plan your. Prepare for weather by tracking rain, storms on this animated radar map for marengo, in. Interactive weather map allows you to pan and zoom to. Marengo In Weather Radar.
From www.alabamawx.com
Severe Thunderstorm Warning Marengo County until 730 PM CDT The Alabama Weather Blog Marengo In Weather Radar Check out our current live radar and weather forecasts for marengo, indiana to help plan your. Prepare for weather by tracking rain, storms on this animated radar map for marengo, in. Hourly weather forecast in marengo, in. Check current conditions in marengo, in with radar, hourly, and more. Latest weather radar map with temperature, wind chill, heat index, dew point,. Marengo In Weather Radar.
From www.alabamawx.com
Pickens Removed While Tuscaloosa, Sumter, Marengo, Hale Continue Thunderstorm Warning until 300 Marengo In Weather Radar Easy to use weather radar at your fingertips! Want to know what the weather is now? Check out our current live radar and weather forecasts for marengo, indiana to help plan your. Interactive weather map allows you to pan and zoom to get unmatched weather details in your local neighborhood or half a world away from. Check current conditions in. Marengo In Weather Radar.
From www.alabamawx.com
EXPIRED Tornado Warning — Parts of Marengo Co. Until 145 am The Alabama Weather Blog Marengo In Weather Radar Check current conditions in marengo, in with radar, hourly, and more. Want to know what the weather is now? Latest weather radar map with temperature, wind chill, heat index, dew point, humidity and wind speed for marengo, indiana Easy to use weather radar at your fingertips! Check out our current live radar and weather forecasts for marengo, indiana to help. Marengo In Weather Radar.
From www.alabamawx.com
Severe TStorm Warning For Parts Of Marengo County Is Canceled The Alabama Weather Blog Marengo In Weather Radar Check out our current live radar and weather forecasts for marengo, indiana to help plan your. Easy to use weather radar at your fingertips! Want to know what the weather is now? Prepare for weather by tracking rain, storms on this animated radar map for marengo, in. Check current conditions in marengo, in with radar, hourly, and more. Latest weather. Marengo In Weather Radar.
From www.alabamawx.com
EXPIRED Severe TStorm Warning — Parts of Greene, Hale, Marengo, Sumter Co. Until 8 pm The Marengo In Weather Radar Want to know what the weather is now? Interactive weather map allows you to pan and zoom to get unmatched weather details in your local neighborhood or half a world away from. Easy to use weather radar at your fingertips! Prepare for weather by tracking rain, storms on this animated radar map for marengo, in. Hourly weather forecast in marengo,. Marengo In Weather Radar.
From www.alabamawx.com
Severe Thunderstorm Warning; Sumter/Marengo The Alabama Weather Blog Marengo In Weather Radar Easy to use weather radar at your fingertips! Prepare for weather by tracking rain, storms on this animated radar map for marengo, in. Hourly weather forecast in marengo, in. Latest weather radar map with temperature, wind chill, heat index, dew point, humidity and wind speed for marengo, indiana Want to know what the weather is now? Check out our current. Marengo In Weather Radar.
From www.alabamawx.com
Severe TStorm Warning for Parts of Marengo Co. Until 1215 pm The Alabama Weather Blog Marengo In Weather Radar Latest weather radar map with temperature, wind chill, heat index, dew point, humidity and wind speed for marengo, indiana Want to know what the weather is now? Check out our current live radar and weather forecasts for marengo, indiana to help plan your. Hourly weather forecast in marengo, in. Check current conditions in marengo, in with radar, hourly, and more.. Marengo In Weather Radar.
From www.alabamawx.com
Marengo County Storm is Very Dangerous The Alabama Weather Blog Marengo In Weather Radar Latest weather radar map with temperature, wind chill, heat index, dew point, humidity and wind speed for marengo, indiana Easy to use weather radar at your fingertips! Prepare for weather by tracking rain, storms on this animated radar map for marengo, in. Check out our current live radar and weather forecasts for marengo, indiana to help plan your. Want to. Marengo In Weather Radar.
From www.alabamawx.com
Severe Thunderstorm Warning Greene/Hale/Marengo/Sumter until 1030 PM The Alabama Weather Blog Marengo In Weather Radar Latest weather radar map with temperature, wind chill, heat index, dew point, humidity and wind speed for marengo, indiana Check current conditions in marengo, in with radar, hourly, and more. Prepare for weather by tracking rain, storms on this animated radar map for marengo, in. Interactive weather map allows you to pan and zoom to get unmatched weather details in. Marengo In Weather Radar.
From www.alabamawx.com
Strong Storms Affecting Marengo County The Alabama Weather Blog Marengo In Weather Radar Check current conditions in marengo, in with radar, hourly, and more. Want to know what the weather is now? Latest weather radar map with temperature, wind chill, heat index, dew point, humidity and wind speed for marengo, indiana Easy to use weather radar at your fingertips! Check out our current live radar and weather forecasts for marengo, indiana to help. Marengo In Weather Radar.
From www.alabamawx.com
Severe Thunderstorm Warning Southern Marengo County The Alabama Weather Blog Marengo In Weather Radar Latest weather radar map with temperature, wind chill, heat index, dew point, humidity and wind speed for marengo, indiana Interactive weather map allows you to pan and zoom to get unmatched weather details in your local neighborhood or half a world away from. Hourly weather forecast in marengo, in. Easy to use weather radar at your fingertips! Check out our. Marengo In Weather Radar.
From www.alabamawx.com
Tornado Warning for Marengo Co. Until 415 pm The Alabama Weather Blog Marengo In Weather Radar Easy to use weather radar at your fingertips! Prepare for weather by tracking rain, storms on this animated radar map for marengo, in. Check out our current live radar and weather forecasts for marengo, indiana to help plan your. Want to know what the weather is now? Interactive weather map allows you to pan and zoom to get unmatched weather. Marengo In Weather Radar.
From www.alabamawx.com
Strong Storms Affecting Marengo & Hale Co. The Alabama Weather Blog Marengo In Weather Radar Latest weather radar map with temperature, wind chill, heat index, dew point, humidity and wind speed for marengo, indiana Check current conditions in marengo, in with radar, hourly, and more. Interactive weather map allows you to pan and zoom to get unmatched weather details in your local neighborhood or half a world away from. Prepare for weather by tracking rain,. Marengo In Weather Radar.
From www.timeanddate.com
Weather for Marengo, Wisconsin, USA Marengo In Weather Radar Latest weather radar map with temperature, wind chill, heat index, dew point, humidity and wind speed for marengo, indiana Easy to use weather radar at your fingertips! Check out our current live radar and weather forecasts for marengo, indiana to help plan your. Want to know what the weather is now? Interactive weather map allows you to pan and zoom. Marengo In Weather Radar.
From www.interactivehailmaps.com
Interactive Hail Maps Hail Map for Marengo, IL Marengo In Weather Radar Prepare for weather by tracking rain, storms on this animated radar map for marengo, in. Interactive weather map allows you to pan and zoom to get unmatched weather details in your local neighborhood or half a world away from. Hourly weather forecast in marengo, in. Latest weather radar map with temperature, wind chill, heat index, dew point, humidity and wind. Marengo In Weather Radar.
From www.alabamawx.com
Strong Storm Affecting Marengo, Perry, Dallas, & Hale Counties The Alabama Weather Blog Marengo In Weather Radar Check current conditions in marengo, in with radar, hourly, and more. Want to know what the weather is now? Latest weather radar map with temperature, wind chill, heat index, dew point, humidity and wind speed for marengo, indiana Interactive weather map allows you to pan and zoom to get unmatched weather details in your local neighborhood or half a world. Marengo In Weather Radar.
From www.alabamawx.com
EXPIRED Severe TStorm Warning for Parts of Marengo Co. Until 630 pm The Alabama Weather Blog Marengo In Weather Radar Check out our current live radar and weather forecasts for marengo, indiana to help plan your. Want to know what the weather is now? Check current conditions in marengo, in with radar, hourly, and more. Prepare for weather by tracking rain, storms on this animated radar map for marengo, in. Interactive weather map allows you to pan and zoom to. Marengo In Weather Radar.
From www.interactivehailmaps.com
Interactive Hail Maps Hail Map for Marengo, OH Marengo In Weather Radar Want to know what the weather is now? Easy to use weather radar at your fingertips! Check current conditions in marengo, in with radar, hourly, and more. Prepare for weather by tracking rain, storms on this animated radar map for marengo, in. Check out our current live radar and weather forecasts for marengo, indiana to help plan your. Hourly weather. Marengo In Weather Radar.
From www.alabamawx.com
Cofirmed Tornado Near Thomaston…May Move Between Marion/Selma The Alabama Weather Blog Marengo In Weather Radar Interactive weather map allows you to pan and zoom to get unmatched weather details in your local neighborhood or half a world away from. Want to know what the weather is now? Check out our current live radar and weather forecasts for marengo, indiana to help plan your. Check current conditions in marengo, in with radar, hourly, and more. Hourly. Marengo In Weather Radar.
From www.alabamawx.com
Tornado Warning Sumter/Marengo The Alabama Weather Blog Marengo In Weather Radar Check out our current live radar and weather forecasts for marengo, indiana to help plan your. Want to know what the weather is now? Prepare for weather by tracking rain, storms on this animated radar map for marengo, in. Interactive weather map allows you to pan and zoom to get unmatched weather details in your local neighborhood or half a. Marengo In Weather Radar.
From www.alabamawx.com
Marengo County Warning Continues The Alabama Weather Blog Marengo In Weather Radar Check out our current live radar and weather forecasts for marengo, indiana to help plan your. Want to know what the weather is now? Prepare for weather by tracking rain, storms on this animated radar map for marengo, in. Latest weather radar map with temperature, wind chill, heat index, dew point, humidity and wind speed for marengo, indiana Check current. Marengo In Weather Radar.
From www.alabamawx.com
Significant Weather Advisory For Parts Of Marengo, Greene, Hale, & Sumter Counties Until 630 PM Marengo In Weather Radar Want to know what the weather is now? Prepare for weather by tracking rain, storms on this animated radar map for marengo, in. Check current conditions in marengo, in with radar, hourly, and more. Latest weather radar map with temperature, wind chill, heat index, dew point, humidity and wind speed for marengo, indiana Hourly weather forecast in marengo, in. Easy. Marengo In Weather Radar.
From www.weather.gov
April 12, 2014 Hail and Wind Event Across Northern Illinois Marengo In Weather Radar Check out our current live radar and weather forecasts for marengo, indiana to help plan your. Interactive weather map allows you to pan and zoom to get unmatched weather details in your local neighborhood or half a world away from. Easy to use weather radar at your fingertips! Hourly weather forecast in marengo, in. Latest weather radar map with temperature,. Marengo In Weather Radar.
From twitter.com
Weather Track US on Twitter "Another tornado may be about to occur near Marengo, IN. inwx Marengo In Weather Radar Check out our current live radar and weather forecasts for marengo, indiana to help plan your. Latest weather radar map with temperature, wind chill, heat index, dew point, humidity and wind speed for marengo, indiana Hourly weather forecast in marengo, in. Want to know what the weather is now? Prepare for weather by tracking rain, storms on this animated radar. Marengo In Weather Radar.
From www.alabamawx.com
Severe Thunderstorm Warning Greene/Marengo and Sumter Counties The Alabama Weather Blog Marengo In Weather Radar Prepare for weather by tracking rain, storms on this animated radar map for marengo, in. Check out our current live radar and weather forecasts for marengo, indiana to help plan your. Want to know what the weather is now? Easy to use weather radar at your fingertips! Interactive weather map allows you to pan and zoom to get unmatched weather. Marengo In Weather Radar.
From www.alabamawx.com
Severe TStorm Warning for Parts of Marengo, Greene, Hale, Sumter Co. Until 500 pm The Marengo In Weather Radar Latest weather radar map with temperature, wind chill, heat index, dew point, humidity and wind speed for marengo, indiana Want to know what the weather is now? Prepare for weather by tracking rain, storms on this animated radar map for marengo, in. Check current conditions in marengo, in with radar, hourly, and more. Easy to use weather radar at your. Marengo In Weather Radar.
From www.weather.gov
Marengo County Tornado February 15, 2003 Marengo In Weather Radar Want to know what the weather is now? Check out our current live radar and weather forecasts for marengo, indiana to help plan your. Easy to use weather radar at your fingertips! Check current conditions in marengo, in with radar, hourly, and more. Prepare for weather by tracking rain, storms on this animated radar map for marengo, in. Interactive weather. Marengo In Weather Radar.
From www.alabamawx.com
Heads Up Perry, Dallas, & Marengo Counties The Alabama Weather Blog Marengo In Weather Radar Want to know what the weather is now? Hourly weather forecast in marengo, in. Interactive weather map allows you to pan and zoom to get unmatched weather details in your local neighborhood or half a world away from. Check out our current live radar and weather forecasts for marengo, indiana to help plan your. Latest weather radar map with temperature,. Marengo In Weather Radar.
From www.alabamawx.com
Tornado Warning Parts of Marengo Co. Until 12 pm The Alabama Weather Blog Marengo In Weather Radar Prepare for weather by tracking rain, storms on this animated radar map for marengo, in. Latest weather radar map with temperature, wind chill, heat index, dew point, humidity and wind speed for marengo, indiana Check out our current live radar and weather forecasts for marengo, indiana to help plan your. Hourly weather forecast in marengo, in. Interactive weather map allows. Marengo In Weather Radar.
From www.alabamawx.com
Tornado Warning for Marengo County Until 530 p.m. The Alabama Weather Blog Marengo In Weather Radar Check out our current live radar and weather forecasts for marengo, indiana to help plan your. Hourly weather forecast in marengo, in. Easy to use weather radar at your fingertips! Check current conditions in marengo, in with radar, hourly, and more. Interactive weather map allows you to pan and zoom to get unmatched weather details in your local neighborhood or. Marengo In Weather Radar.
From www.threads.net
FIRST ALERT A Severe Thunderstorm Watch is active for Marengo, Perry, Dallas, Autauga, Chilton Marengo In Weather Radar Latest weather radar map with temperature, wind chill, heat index, dew point, humidity and wind speed for marengo, indiana Check out our current live radar and weather forecasts for marengo, indiana to help plan your. Interactive weather map allows you to pan and zoom to get unmatched weather details in your local neighborhood or half a world away from. Easy. Marengo In Weather Radar.
From www.alabamawx.com
A Severe Thunderstorm Warning Remains In Effect Until 1100 AM CDT For Southeastern Marengo Marengo In Weather Radar Want to know what the weather is now? Check out our current live radar and weather forecasts for marengo, indiana to help plan your. Check current conditions in marengo, in with radar, hourly, and more. Hourly weather forecast in marengo, in. Prepare for weather by tracking rain, storms on this animated radar map for marengo, in. Interactive weather map allows. Marengo In Weather Radar.
From www.theweather.com
Marengo, OH Weather 14 days Meteored Marengo In Weather Radar Latest weather radar map with temperature, wind chill, heat index, dew point, humidity and wind speed for marengo, indiana Prepare for weather by tracking rain, storms on this animated radar map for marengo, in. Check out our current live radar and weather forecasts for marengo, indiana to help plan your. Want to know what the weather is now? Check current. Marengo In Weather Radar.
From www.interactivehailmaps.com
Interactive Hail Maps Hail Map for Marengo, OH Marengo In Weather Radar Latest weather radar map with temperature, wind chill, heat index, dew point, humidity and wind speed for marengo, indiana Want to know what the weather is now? Prepare for weather by tracking rain, storms on this animated radar map for marengo, in. Easy to use weather radar at your fingertips! Interactive weather map allows you to pan and zoom to. Marengo In Weather Radar.