From www.interactivehailmaps.com
Interactive Hail Maps Hail Map for Caledonia, OH Weather For Caledonia Mississippi Hourly local weather forecast, weather conditions, precipitation, dew point, humidity, wind from weather.com and the weather channel. Max uv index 0 low. Clear, with a low around 56. Today’s and tonight’s caledonia, ms weather forecast, weather conditions and doppler radar from the weather channel and weather.com. Southwest wind around 5 mph becoming calm in the evening. Weather For Caledonia Mississippi.
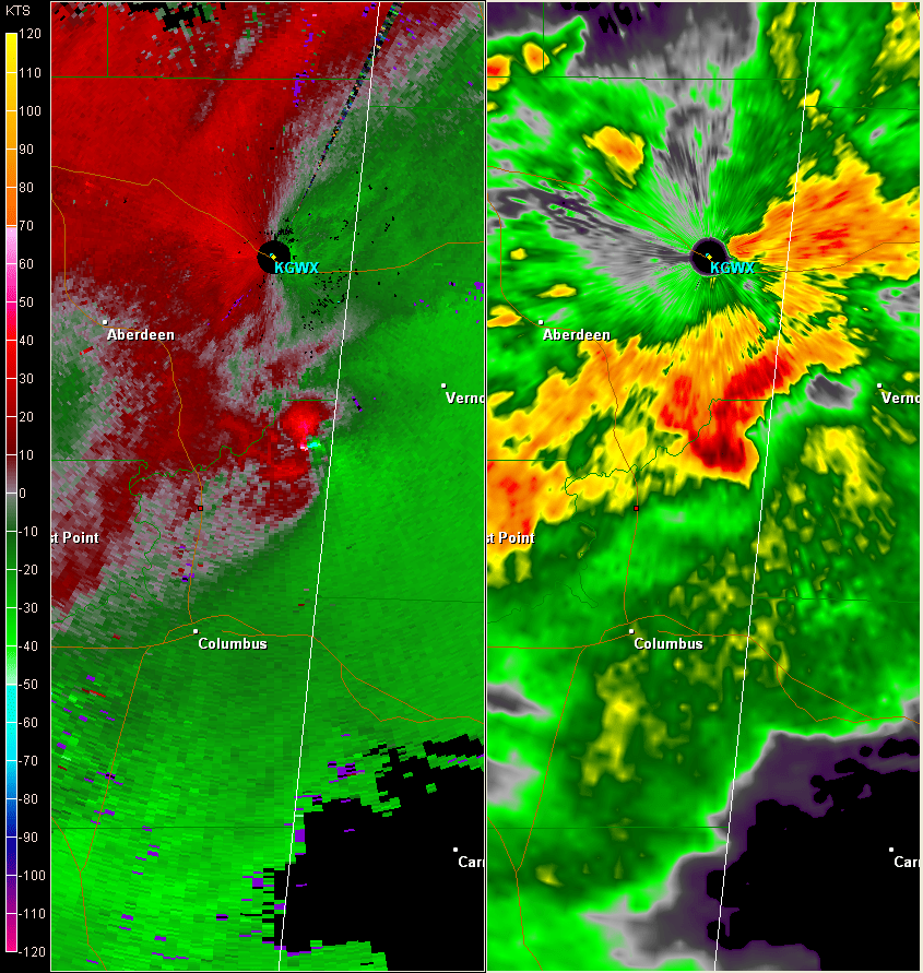
From www.tornadotalk.com
Caledonia, MS EF3 Tornado January 10, 2008 Tornado Talk Weather For Caledonia Mississippi Max uv index 0 low. Southwest wind around 5 mph becoming calm in the evening. Today’s and tonight’s caledonia, ms weather forecast, weather conditions and doppler radar from the weather channel and weather.com. Hourly local weather forecast, weather conditions, precipitation, dew point, humidity, wind from weather.com and the weather channel. Clear, with a low around 56. Weather For Caledonia Mississippi.
From www.landsat.com
Aerial Photography Map of Caledonia, MS Mississippi Weather For Caledonia Mississippi Southwest wind around 5 mph becoming calm in the evening. Clear, with a low around 56. Max uv index 0 low. Today’s and tonight’s caledonia, ms weather forecast, weather conditions and doppler radar from the weather channel and weather.com. Hourly local weather forecast, weather conditions, precipitation, dew point, humidity, wind from weather.com and the weather channel. Weather For Caledonia Mississippi.
From www.wisn.com
Weather Blog Epic Hail Storm And Tough Friday Forecast Weather For Caledonia Mississippi Today’s and tonight’s caledonia, ms weather forecast, weather conditions and doppler radar from the weather channel and weather.com. Clear, with a low around 56. Southwest wind around 5 mph becoming calm in the evening. Max uv index 0 low. Hourly local weather forecast, weather conditions, precipitation, dew point, humidity, wind from weather.com and the weather channel. Weather For Caledonia Mississippi.
From www.tornadotalk.com
Caledonia, MS EF3 Tornado January 10, 2008 Tornado Talk Weather For Caledonia Mississippi Southwest wind around 5 mph becoming calm in the evening. Clear, with a low around 56. Max uv index 0 low. Today’s and tonight’s caledonia, ms weather forecast, weather conditions and doppler radar from the weather channel and weather.com. Hourly local weather forecast, weather conditions, precipitation, dew point, humidity, wind from weather.com and the weather channel. Weather For Caledonia Mississippi.
From twitter.com
NWS Tornado on Twitter "Tornado Warning continues for Caledonia MS, Kolola Springs MS and Weather For Caledonia Mississippi Max uv index 0 low. Clear, with a low around 56. Hourly local weather forecast, weather conditions, precipitation, dew point, humidity, wind from weather.com and the weather channel. Southwest wind around 5 mph becoming calm in the evening. Today’s and tonight’s caledonia, ms weather forecast, weather conditions and doppler radar from the weather channel and weather.com. Weather For Caledonia Mississippi.
From www.flickr.com
Downtown Caledonia This picture captures about 75 of down… Flickr Weather For Caledonia Mississippi Southwest wind around 5 mph becoming calm in the evening. Max uv index 0 low. Today’s and tonight’s caledonia, ms weather forecast, weather conditions and doppler radar from the weather channel and weather.com. Hourly local weather forecast, weather conditions, precipitation, dew point, humidity, wind from weather.com and the weather channel. Clear, with a low around 56. Weather For Caledonia Mississippi.
From www.timeanddate.com
Weather for Néméara, New Caledonia, New Caledonia Weather For Caledonia Mississippi Today’s and tonight’s caledonia, ms weather forecast, weather conditions and doppler radar from the weather channel and weather.com. Max uv index 0 low. Hourly local weather forecast, weather conditions, precipitation, dew point, humidity, wind from weather.com and the weather channel. Clear, with a low around 56. Southwest wind around 5 mph becoming calm in the evening. Weather For Caledonia Mississippi.
From patch.com
🌱 Weekend Events + Holiday Weather Caledonia, WI Patch Weather For Caledonia Mississippi Clear, with a low around 56. Max uv index 0 low. Hourly local weather forecast, weather conditions, precipitation, dew point, humidity, wind from weather.com and the weather channel. Today’s and tonight’s caledonia, ms weather forecast, weather conditions and doppler radar from the weather channel and weather.com. Southwest wind around 5 mph becoming calm in the evening. Weather For Caledonia Mississippi.
From talkweather.com
Severe Weather 12/29/19 TalkWeather Weather For Caledonia Mississippi Max uv index 0 low. Southwest wind around 5 mph becoming calm in the evening. Today’s and tonight’s caledonia, ms weather forecast, weather conditions and doppler radar from the weather channel and weather.com. Hourly local weather forecast, weather conditions, precipitation, dew point, humidity, wind from weather.com and the weather channel. Clear, with a low around 56. Weather For Caledonia Mississippi.
From www.tornadotalk.com
Caledonia, MS EF3 Tornado January 10, 2008 Tornado Talk Weather For Caledonia Mississippi Clear, with a low around 56. Today’s and tonight’s caledonia, ms weather forecast, weather conditions and doppler radar from the weather channel and weather.com. Southwest wind around 5 mph becoming calm in the evening. Hourly local weather forecast, weather conditions, precipitation, dew point, humidity, wind from weather.com and the weather channel. Max uv index 0 low. Weather For Caledonia Mississippi.
From weatherspark.com
Caledonia Climate, Weather By Month, Average Temperature (Minnesota, United States) Weather Spark Weather For Caledonia Mississippi Southwest wind around 5 mph becoming calm in the evening. Max uv index 0 low. Today’s and tonight’s caledonia, ms weather forecast, weather conditions and doppler radar from the weather channel and weather.com. Hourly local weather forecast, weather conditions, precipitation, dew point, humidity, wind from weather.com and the weather channel. Clear, with a low around 56. Weather For Caledonia Mississippi.
From elevation.maplogs.com
Elevation of Caledonia, MS, USA Topographic Map Altitude Map Weather For Caledonia Mississippi Max uv index 0 low. Hourly local weather forecast, weather conditions, precipitation, dew point, humidity, wind from weather.com and the weather channel. Southwest wind around 5 mph becoming calm in the evening. Clear, with a low around 56. Today’s and tonight’s caledonia, ms weather forecast, weather conditions and doppler radar from the weather channel and weather.com. Weather For Caledonia Mississippi.
From www.tornadotalk.com
Caledonia, MS EF3 Tornado January 10, 2008 Tornado Talk Weather For Caledonia Mississippi Max uv index 0 low. Southwest wind around 5 mph becoming calm in the evening. Today’s and tonight’s caledonia, ms weather forecast, weather conditions and doppler radar from the weather channel and weather.com. Hourly local weather forecast, weather conditions, precipitation, dew point, humidity, wind from weather.com and the weather channel. Clear, with a low around 56. Weather For Caledonia Mississippi.
From www.foxweather.com
Daylight reveals devastation in Mississippi communities hit hard by tornado outbreak Fox Weather Weather For Caledonia Mississippi Southwest wind around 5 mph becoming calm in the evening. Clear, with a low around 56. Hourly local weather forecast, weather conditions, precipitation, dew point, humidity, wind from weather.com and the weather channel. Today’s and tonight’s caledonia, ms weather forecast, weather conditions and doppler radar from the weather channel and weather.com. Max uv index 0 low. Weather For Caledonia Mississippi.
From hikersbay.com
New Caledonia weather 2023 Climate and weather in New Caledonia The best time and weather to Weather For Caledonia Mississippi Hourly local weather forecast, weather conditions, precipitation, dew point, humidity, wind from weather.com and the weather channel. Clear, with a low around 56. Southwest wind around 5 mph becoming calm in the evening. Today’s and tonight’s caledonia, ms weather forecast, weather conditions and doppler radar from the weather channel and weather.com. Max uv index 0 low. Weather For Caledonia Mississippi.
From www.foxweather.com
Caledonia, Mississippi residents wake up to tornado damage Latest Weather Clips FOX Weather Weather For Caledonia Mississippi Clear, with a low around 56. Southwest wind around 5 mph becoming calm in the evening. Today’s and tonight’s caledonia, ms weather forecast, weather conditions and doppler radar from the weather channel and weather.com. Max uv index 0 low. Hourly local weather forecast, weather conditions, precipitation, dew point, humidity, wind from weather.com and the weather channel. Weather For Caledonia Mississippi.
From blog.weathertap.com
Oh Hail No! After a week of large hail each day, more is expected this week. weatherTAP Blog Weather For Caledonia Mississippi Southwest wind around 5 mph becoming calm in the evening. Max uv index 0 low. Hourly local weather forecast, weather conditions, precipitation, dew point, humidity, wind from weather.com and the weather channel. Today’s and tonight’s caledonia, ms weather forecast, weather conditions and doppler radar from the weather channel and weather.com. Clear, with a low around 56. Weather For Caledonia Mississippi.
From elevation.maplogs.com
Elevation of Caledonia, MS, USA Topographic Map Altitude Map Weather For Caledonia Mississippi Clear, with a low around 56. Max uv index 0 low. Today’s and tonight’s caledonia, ms weather forecast, weather conditions and doppler radar from the weather channel and weather.com. Southwest wind around 5 mph becoming calm in the evening. Hourly local weather forecast, weather conditions, precipitation, dew point, humidity, wind from weather.com and the weather channel. Weather For Caledonia Mississippi.
From www.timeanddate.com
Caledonia, Minnesota, USA 14 day weather forecast Weather For Caledonia Mississippi Southwest wind around 5 mph becoming calm in the evening. Hourly local weather forecast, weather conditions, precipitation, dew point, humidity, wind from weather.com and the weather channel. Max uv index 0 low. Clear, with a low around 56. Today’s and tonight’s caledonia, ms weather forecast, weather conditions and doppler radar from the weather channel and weather.com. Weather For Caledonia Mississippi.
From www.youtube.com
Daylight Reveals Significant Damage From Tornado In Caledonia, Mississippi YouTube Weather For Caledonia Mississippi Max uv index 0 low. Clear, with a low around 56. Southwest wind around 5 mph becoming calm in the evening. Today’s and tonight’s caledonia, ms weather forecast, weather conditions and doppler radar from the weather channel and weather.com. Hourly local weather forecast, weather conditions, precipitation, dew point, humidity, wind from weather.com and the weather channel. Weather For Caledonia Mississippi.
From twitter.com
WeatherNation on Twitter "A likely tornado tore through Caledonia, MS late Tuesday. Here's what Weather For Caledonia Mississippi Southwest wind around 5 mph becoming calm in the evening. Max uv index 0 low. Hourly local weather forecast, weather conditions, precipitation, dew point, humidity, wind from weather.com and the weather channel. Clear, with a low around 56. Today’s and tonight’s caledonia, ms weather forecast, weather conditions and doppler radar from the weather channel and weather.com. Weather For Caledonia Mississippi.
From www.sunheron.com
New Caledonia climate Sunheron Weather For Caledonia Mississippi Hourly local weather forecast, weather conditions, precipitation, dew point, humidity, wind from weather.com and the weather channel. Clear, with a low around 56. Today’s and tonight’s caledonia, ms weather forecast, weather conditions and doppler radar from the weather channel and weather.com. Max uv index 0 low. Southwest wind around 5 mph becoming calm in the evening. Weather For Caledonia Mississippi.
From www.landsat.com
Aerial Photography Map of Caledonia, MS Mississippi Weather For Caledonia Mississippi Hourly local weather forecast, weather conditions, precipitation, dew point, humidity, wind from weather.com and the weather channel. Today’s and tonight’s caledonia, ms weather forecast, weather conditions and doppler radar from the weather channel and weather.com. Clear, with a low around 56. Southwest wind around 5 mph becoming calm in the evening. Max uv index 0 low. Weather For Caledonia Mississippi.
From www.timeanddate.com
Weather for Caaoua, New Caledonia, New Caledonia Weather For Caledonia Mississippi Today’s and tonight’s caledonia, ms weather forecast, weather conditions and doppler radar from the weather channel and weather.com. Southwest wind around 5 mph becoming calm in the evening. Hourly local weather forecast, weather conditions, precipitation, dew point, humidity, wind from weather.com and the weather channel. Clear, with a low around 56. Max uv index 0 low. Weather For Caledonia Mississippi.
From www.foxweather.com
Daylight reveals devastation in Mississippi communities hit hard by tornado outbreak Fox Weather Weather For Caledonia Mississippi Southwest wind around 5 mph becoming calm in the evening. Clear, with a low around 56. Hourly local weather forecast, weather conditions, precipitation, dew point, humidity, wind from weather.com and the weather channel. Max uv index 0 low. Today’s and tonight’s caledonia, ms weather forecast, weather conditions and doppler radar from the weather channel and weather.com. Weather For Caledonia Mississippi.
From elevation.maplogs.com
Elevation of Caledonia, MS, USA Topographic Map Altitude Map Weather For Caledonia Mississippi Hourly local weather forecast, weather conditions, precipitation, dew point, humidity, wind from weather.com and the weather channel. Southwest wind around 5 mph becoming calm in the evening. Clear, with a low around 56. Today’s and tonight’s caledonia, ms weather forecast, weather conditions and doppler radar from the weather channel and weather.com. Max uv index 0 low. Weather For Caledonia Mississippi.
From www.youtube.com
12022022 Caledonia, MS 4K Stock Footage Mississippi Tornado damage & Cleanup YouTube Weather For Caledonia Mississippi Southwest wind around 5 mph becoming calm in the evening. Today’s and tonight’s caledonia, ms weather forecast, weather conditions and doppler radar from the weather channel and weather.com. Hourly local weather forecast, weather conditions, precipitation, dew point, humidity, wind from weather.com and the weather channel. Max uv index 0 low. Clear, with a low around 56. Weather For Caledonia Mississippi.
From caledoniawx.weebly.com
Caledonia Weather Blog Weather For Caledonia Mississippi Today’s and tonight’s caledonia, ms weather forecast, weather conditions and doppler radar from the weather channel and weather.com. Max uv index 0 low. Hourly local weather forecast, weather conditions, precipitation, dew point, humidity, wind from weather.com and the weather channel. Southwest wind around 5 mph becoming calm in the evening. Clear, with a low around 56. Weather For Caledonia Mississippi.
From www.tornadotalk.com
Caledonia, MS EF3 Tornado January 10, 2008 Tornado Talk Weather For Caledonia Mississippi Southwest wind around 5 mph becoming calm in the evening. Clear, with a low around 56. Today’s and tonight’s caledonia, ms weather forecast, weather conditions and doppler radar from the weather channel and weather.com. Hourly local weather forecast, weather conditions, precipitation, dew point, humidity, wind from weather.com and the weather channel. Max uv index 0 low. Weather For Caledonia Mississippi.
From www.facebook.com
Facebook Weather For Caledonia Mississippi Today’s and tonight’s caledonia, ms weather forecast, weather conditions and doppler radar from the weather channel and weather.com. Southwest wind around 5 mph becoming calm in the evening. Clear, with a low around 56. Max uv index 0 low. Hourly local weather forecast, weather conditions, precipitation, dew point, humidity, wind from weather.com and the weather channel. Weather For Caledonia Mississippi.
From bceweb.org
New Caledonia Climate Chart A Visual Reference of Charts Chart Master Weather For Caledonia Mississippi Southwest wind around 5 mph becoming calm in the evening. Clear, with a low around 56. Hourly local weather forecast, weather conditions, precipitation, dew point, humidity, wind from weather.com and the weather channel. Max uv index 0 low. Today’s and tonight’s caledonia, ms weather forecast, weather conditions and doppler radar from the weather channel and weather.com. Weather For Caledonia Mississippi.
From www.worlddata.info
Climate and temperature development in New Caledonia Weather For Caledonia Mississippi Max uv index 0 low. Clear, with a low around 56. Hourly local weather forecast, weather conditions, precipitation, dew point, humidity, wind from weather.com and the weather channel. Today’s and tonight’s caledonia, ms weather forecast, weather conditions and doppler radar from the weather channel and weather.com. Southwest wind around 5 mph becoming calm in the evening. Weather For Caledonia Mississippi.
From www.landsat.com
Aerial Photography Map of Caledonia, MS Mississippi Weather For Caledonia Mississippi Southwest wind around 5 mph becoming calm in the evening. Clear, with a low around 56. Hourly local weather forecast, weather conditions, precipitation, dew point, humidity, wind from weather.com and the weather channel. Max uv index 0 low. Today’s and tonight’s caledonia, ms weather forecast, weather conditions and doppler radar from the weather channel and weather.com. Weather For Caledonia Mississippi.
From www.youtube.com
Raw Footage of Caledonia Mississippi Tornado Damage 2022 YouTube Weather For Caledonia Mississippi Southwest wind around 5 mph becoming calm in the evening. Clear, with a low around 56. Today’s and tonight’s caledonia, ms weather forecast, weather conditions and doppler radar from the weather channel and weather.com. Max uv index 0 low. Hourly local weather forecast, weather conditions, precipitation, dew point, humidity, wind from weather.com and the weather channel. Weather For Caledonia Mississippi.