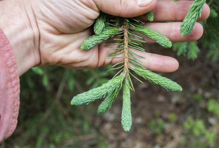
Which Spruce Tips Are Edible . Spruce tip tea (just dry the spruce tips) has long been used by indigenous peoples to soothe coughs and sore throats, and to alleviate lung congestion. Spruce tips have a bright, citrus flavor that works well in both savory and sweet dishes. Spruce tips are the young tips of any species of. For us here in zone 7b the best harvesting window. Spruce tips are rich in vitamin c. Conifer trees are among the most surprising because so few of us have been taught they’re edible, yet they provide so many edible parts, whether it’s the needles in tea, flour made from inner bark, pollen, or in this case, the tender tips of new growth. Most types of evergreens such as spruce, fir, and pine are edible. Learn how to harvest, cook,. Harvest spruce tips from late winter through spring, depending on your climate zone. When do you harvest spruce tips? Almost all conifer tips are edible, and.
from themeaningofwater.com
Spruce tip tea (just dry the spruce tips) has long been used by indigenous peoples to soothe coughs and sore throats, and to alleviate lung congestion. Almost all conifer tips are edible, and. Spruce tips have a bright, citrus flavor that works well in both savory and sweet dishes. Conifer trees are among the most surprising because so few of us have been taught they’re edible, yet they provide so many edible parts, whether it’s the needles in tea, flour made from inner bark, pollen, or in this case, the tender tips of new growth. When do you harvest spruce tips? Spruce tips are rich in vitamin c. Spruce tips are the young tips of any species of. For us here in zone 7b the best harvesting window. Harvest spruce tips from late winter through spring, depending on your climate zone. Most types of evergreens such as spruce, fir, and pine are edible.
Edible Spruce Cones and Spring Tips—Foraging The Meaning of Water
Which Spruce Tips Are Edible Spruce tips are the young tips of any species of. Spruce tips are the young tips of any species of. Almost all conifer tips are edible, and. Spruce tips have a bright, citrus flavor that works well in both savory and sweet dishes. Most types of evergreens such as spruce, fir, and pine are edible. Harvest spruce tips from late winter through spring, depending on your climate zone. Spruce tip tea (just dry the spruce tips) has long been used by indigenous peoples to soothe coughs and sore throats, and to alleviate lung congestion. Conifer trees are among the most surprising because so few of us have been taught they’re edible, yet they provide so many edible parts, whether it’s the needles in tea, flour made from inner bark, pollen, or in this case, the tender tips of new growth. Learn how to harvest, cook,. When do you harvest spruce tips? Spruce tips are rich in vitamin c. For us here in zone 7b the best harvesting window.
From foragerchef.com
Spruce Tips Harvesting, Cooking and Recipes Forager Chef Which Spruce Tips Are Edible Spruce tips have a bright, citrus flavor that works well in both savory and sweet dishes. Spruce tips are the young tips of any species of. For us here in zone 7b the best harvesting window. Spruce tips are rich in vitamin c. Most types of evergreens such as spruce, fir, and pine are edible. When do you harvest spruce. Which Spruce Tips Are Edible.
From www.pinterest.com
Foraging Spruce Tips (and Other Conifer Tips) Back to nature Which Spruce Tips Are Edible Spruce tips are rich in vitamin c. Learn how to harvest, cook,. Spruce tips have a bright, citrus flavor that works well in both savory and sweet dishes. Spruce tip tea (just dry the spruce tips) has long been used by indigenous peoples to soothe coughs and sore throats, and to alleviate lung congestion. Spruce tips are the young tips. Which Spruce Tips Are Edible.
From edibleherbsandflowers.blogspot.com
Edible Herbs, Flowers & Other Edibles Grow Your Own Dinner! Around Which Spruce Tips Are Edible Spruce tips have a bright, citrus flavor that works well in both savory and sweet dishes. Harvest spruce tips from late winter through spring, depending on your climate zone. Learn how to harvest, cook,. Spruce tip tea (just dry the spruce tips) has long been used by indigenous peoples to soothe coughs and sore throats, and to alleviate lung congestion.. Which Spruce Tips Are Edible.
From forestfordinner.ca
Spruce Tip Jelly Forest For Dinner Wild Food Specialist on Which Spruce Tips Are Edible When do you harvest spruce tips? Almost all conifer tips are edible, and. Spruce tips have a bright, citrus flavor that works well in both savory and sweet dishes. Most types of evergreens such as spruce, fir, and pine are edible. Conifer trees are among the most surprising because so few of us have been taught they’re edible, yet they. Which Spruce Tips Are Edible.
From foragerchef.com
Spruce Tips Harvesting, Cooking and Recipes Which Spruce Tips Are Edible Spruce tip tea (just dry the spruce tips) has long been used by indigenous peoples to soothe coughs and sore throats, and to alleviate lung congestion. Learn how to harvest, cook,. When do you harvest spruce tips? Most types of evergreens such as spruce, fir, and pine are edible. Conifer trees are among the most surprising because so few of. Which Spruce Tips Are Edible.
From themeaningofwater.com
Edible Spruce Cones and Spring Tips—Foraging The Meaning of Water Which Spruce Tips Are Edible Harvest spruce tips from late winter through spring, depending on your climate zone. When do you harvest spruce tips? Learn how to harvest, cook,. Almost all conifer tips are edible, and. Conifer trees are among the most surprising because so few of us have been taught they’re edible, yet they provide so many edible parts, whether it’s the needles in. Which Spruce Tips Are Edible.
From www.dreamstime.com
Spruce Tip, Alaska stock photo. Image of food, states 14593916 Which Spruce Tips Are Edible Spruce tip tea (just dry the spruce tips) has long been used by indigenous peoples to soothe coughs and sore throats, and to alleviate lung congestion. When do you harvest spruce tips? Spruce tips have a bright, citrus flavor that works well in both savory and sweet dishes. Conifer trees are among the most surprising because so few of us. Which Spruce Tips Are Edible.
From www.dreamstime.com
Spruce Tips, Spruce Photo Jar Natural Herbal Tea, Canadian Wild Edible Which Spruce Tips Are Edible Spruce tips have a bright, citrus flavor that works well in both savory and sweet dishes. Almost all conifer tips are edible, and. Conifer trees are among the most surprising because so few of us have been taught they’re edible, yet they provide so many edible parts, whether it’s the needles in tea, flour made from inner bark, pollen, or. Which Spruce Tips Are Edible.
From www.healthygreensavvy.com
Spruce Tips How to Forage & Use a Delicious Spring Edible Which Spruce Tips Are Edible Most types of evergreens such as spruce, fir, and pine are edible. Spruce tip tea (just dry the spruce tips) has long been used by indigenous peoples to soothe coughs and sore throats, and to alleviate lung congestion. Learn how to harvest, cook,. Spruce tips have a bright, citrus flavor that works well in both savory and sweet dishes. Almost. Which Spruce Tips Are Edible.
From themeaningofwater.com
Edible Spruce Cones and Spring Tips—Foraging The Meaning of Water Which Spruce Tips Are Edible Conifer trees are among the most surprising because so few of us have been taught they’re edible, yet they provide so many edible parts, whether it’s the needles in tea, flour made from inner bark, pollen, or in this case, the tender tips of new growth. Harvest spruce tips from late winter through spring, depending on your climate zone. Most. Which Spruce Tips Are Edible.
From www.gardenista.com
Recipes Fir Tips Are Edible and So Are Spruce and Hemlock Which Spruce Tips Are Edible For us here in zone 7b the best harvesting window. Spruce tips are the young tips of any species of. Spruce tip tea (just dry the spruce tips) has long been used by indigenous peoples to soothe coughs and sore throats, and to alleviate lung congestion. Spruce tips are rich in vitamin c. Most types of evergreens such as spruce,. Which Spruce Tips Are Edible.
From themeaningofwater.com
Edible Spruce Cones and Spring Tips—Foraging The Meaning of Water Which Spruce Tips Are Edible For us here in zone 7b the best harvesting window. Spruce tips have a bright, citrus flavor that works well in both savory and sweet dishes. Spruce tip tea (just dry the spruce tips) has long been used by indigenous peoples to soothe coughs and sore throats, and to alleviate lung congestion. Harvest spruce tips from late winter through spring,. Which Spruce Tips Are Edible.
From www.pinterest.com
Spruce Tips How to Forage & Use a Delicious Spring Edible in 2021 Which Spruce Tips Are Edible Harvest spruce tips from late winter through spring, depending on your climate zone. For us here in zone 7b the best harvesting window. Almost all conifer tips are edible, and. Conifer trees are among the most surprising because so few of us have been taught they’re edible, yet they provide so many edible parts, whether it’s the needles in tea,. Which Spruce Tips Are Edible.
From magicalchildhood.com
How to forage and cook with spruce tips (with video for spruce tip Which Spruce Tips Are Edible Conifer trees are among the most surprising because so few of us have been taught they’re edible, yet they provide so many edible parts, whether it’s the needles in tea, flour made from inner bark, pollen, or in this case, the tender tips of new growth. Almost all conifer tips are edible, and. Spruce tips are the young tips of. Which Spruce Tips Are Edible.
From www.healthygreensavvy.com
Spruce Tip Recipes 25 Inspiring Ways to Use Foraged Spruce Tips Which Spruce Tips Are Edible Most types of evergreens such as spruce, fir, and pine are edible. For us here in zone 7b the best harvesting window. Conifer trees are among the most surprising because so few of us have been taught they’re edible, yet they provide so many edible parts, whether it’s the needles in tea, flour made from inner bark, pollen, or in. Which Spruce Tips Are Edible.
From themeaningofwater.com
Edible Spruce Cones and Spring Tips—Foraging The Meaning of Water Which Spruce Tips Are Edible Conifer trees are among the most surprising because so few of us have been taught they’re edible, yet they provide so many edible parts, whether it’s the needles in tea, flour made from inner bark, pollen, or in this case, the tender tips of new growth. Spruce tips are rich in vitamin c. Spruce tips have a bright, citrus flavor. Which Spruce Tips Are Edible.
From www.pinterest.com
Pin on SURVIVAL Which Spruce Tips Are Edible Harvest spruce tips from late winter through spring, depending on your climate zone. Learn how to harvest, cook,. Most types of evergreens such as spruce, fir, and pine are edible. For us here in zone 7b the best harvesting window. Almost all conifer tips are edible, and. Spruce tips are rich in vitamin c. Spruce tip tea (just dry the. Which Spruce Tips Are Edible.
From www.reddit.com
How do you tell spruce trees apart, and how do you figure out which Which Spruce Tips Are Edible Most types of evergreens such as spruce, fir, and pine are edible. For us here in zone 7b the best harvesting window. Conifer trees are among the most surprising because so few of us have been taught they’re edible, yet they provide so many edible parts, whether it’s the needles in tea, flour made from inner bark, pollen, or in. Which Spruce Tips Are Edible.
From simplybeyondherbs.com
Spruce tip syrup recipe (2 methods) and its uses SimplyBeyondHerbs Which Spruce Tips Are Edible For us here in zone 7b the best harvesting window. Spruce tip tea (just dry the spruce tips) has long been used by indigenous peoples to soothe coughs and sore throats, and to alleviate lung congestion. Almost all conifer tips are edible, and. Spruce tips are rich in vitamin c. Learn how to harvest, cook,. Conifer trees are among the. Which Spruce Tips Are Edible.
From foragerchef.com
Foraging and Cooking with Spruce Tips Which Spruce Tips Are Edible Learn how to harvest, cook,. Conifer trees are among the most surprising because so few of us have been taught they’re edible, yet they provide so many edible parts, whether it’s the needles in tea, flour made from inner bark, pollen, or in this case, the tender tips of new growth. Spruce tip tea (just dry the spruce tips) has. Which Spruce Tips Are Edible.
From themeaningofwater.com
Edible Spruce Cones and Spring Tips—Foraging The Meaning of Water Which Spruce Tips Are Edible Most types of evergreens such as spruce, fir, and pine are edible. Harvest spruce tips from late winter through spring, depending on your climate zone. Learn how to harvest, cook,. When do you harvest spruce tips? For us here in zone 7b the best harvesting window. Spruce tips are rich in vitamin c. Spruce tip tea (just dry the spruce. Which Spruce Tips Are Edible.
From za.pinterest.com
Foraging Spruce Tips (and Other Conifer Tips) Spruce tips, Wild food Which Spruce Tips Are Edible Spruce tips are rich in vitamin c. Learn how to harvest, cook,. Harvest spruce tips from late winter through spring, depending on your climate zone. Spruce tip tea (just dry the spruce tips) has long been used by indigenous peoples to soothe coughs and sore throats, and to alleviate lung congestion. Almost all conifer tips are edible, and. Spruce tips. Which Spruce Tips Are Edible.
From www.pinterest.com
Foraging Spruce Tips (and Other Conifer Tips) in 2020 Spruce tips Which Spruce Tips Are Edible Most types of evergreens such as spruce, fir, and pine are edible. Spruce tips are rich in vitamin c. Spruce tips are the young tips of any species of. Almost all conifer tips are edible, and. For us here in zone 7b the best harvesting window. Spruce tip tea (just dry the spruce tips) has long been used by indigenous. Which Spruce Tips Are Edible.
From themeaningofwater.com
Edible Spruce Cones and Spring Tips—Foraging The Meaning of Water Which Spruce Tips Are Edible When do you harvest spruce tips? For us here in zone 7b the best harvesting window. Spruce tips have a bright, citrus flavor that works well in both savory and sweet dishes. Conifer trees are among the most surprising because so few of us have been taught they’re edible, yet they provide so many edible parts, whether it’s the needles. Which Spruce Tips Are Edible.
From www.alamy.com
Freshly harvested spruce tips, a wild edible Stock Photo Alamy Which Spruce Tips Are Edible Spruce tips are rich in vitamin c. Spruce tips are the young tips of any species of. Harvest spruce tips from late winter through spring, depending on your climate zone. Spruce tips have a bright, citrus flavor that works well in both savory and sweet dishes. Spruce tip tea (just dry the spruce tips) has long been used by indigenous. Which Spruce Tips Are Edible.
From www.artofit.org
Foraging using spruce tips a delicious spring edible Artofit Which Spruce Tips Are Edible Spruce tip tea (just dry the spruce tips) has long been used by indigenous peoples to soothe coughs and sore throats, and to alleviate lung congestion. Spruce tips are rich in vitamin c. Spruce tips have a bright, citrus flavor that works well in both savory and sweet dishes. Spruce tips are the young tips of any species of. Almost. Which Spruce Tips Are Edible.
From upstatedispatch.com
Wild Edibles Spruce Tips UPSTATE DISPATCH Which Spruce Tips Are Edible For us here in zone 7b the best harvesting window. Most types of evergreens such as spruce, fir, and pine are edible. Spruce tips are rich in vitamin c. When do you harvest spruce tips? Harvest spruce tips from late winter through spring, depending on your climate zone. Almost all conifer tips are edible, and. Spruce tips have a bright,. Which Spruce Tips Are Edible.
From www.nutriplanet.org
5 Reasons To Eat Spruce Tips & 8 Ways To Use Them Which Spruce Tips Are Edible Spruce tip tea (just dry the spruce tips) has long been used by indigenous peoples to soothe coughs and sore throats, and to alleviate lung congestion. Spruce tips have a bright, citrus flavor that works well in both savory and sweet dishes. Almost all conifer tips are edible, and. Most types of evergreens such as spruce, fir, and pine are. Which Spruce Tips Are Edible.
From www.pinterest.com
Foraging Spruce Tips (and Other Conifer Tips) Spruce tips, Foraging Which Spruce Tips Are Edible Learn how to harvest, cook,. Harvest spruce tips from late winter through spring, depending on your climate zone. When do you harvest spruce tips? Spruce tips have a bright, citrus flavor that works well in both savory and sweet dishes. Almost all conifer tips are edible, and. Spruce tips are the young tips of any species of. For us here. Which Spruce Tips Are Edible.
From themeaningofwater.com
Edible Spruce Cones and Spring Tips—Foraging The Meaning of Water Which Spruce Tips Are Edible Learn how to harvest, cook,. Almost all conifer tips are edible, and. Spruce tips are rich in vitamin c. Harvest spruce tips from late winter through spring, depending on your climate zone. Spruce tips are the young tips of any species of. Conifer trees are among the most surprising because so few of us have been taught they’re edible, yet. Which Spruce Tips Are Edible.
From www.pinterest.com
Foraging & Using Spruce Tips, a Delicious Spring Edible Wild food Which Spruce Tips Are Edible Spruce tip tea (just dry the spruce tips) has long been used by indigenous peoples to soothe coughs and sore throats, and to alleviate lung congestion. Spruce tips are the young tips of any species of. Harvest spruce tips from late winter through spring, depending on your climate zone. Learn how to harvest, cook,. Almost all conifer tips are edible,. Which Spruce Tips Are Edible.
From www.artofit.org
Foraging using spruce tips a delicious spring edible Artofit Which Spruce Tips Are Edible Spruce tip tea (just dry the spruce tips) has long been used by indigenous peoples to soothe coughs and sore throats, and to alleviate lung congestion. Spruce tips have a bright, citrus flavor that works well in both savory and sweet dishes. Almost all conifer tips are edible, and. When do you harvest spruce tips? For us here in zone. Which Spruce Tips Are Edible.
From foragerchef.com
Foraging and Cooking with Spruce Tips Which Spruce Tips Are Edible Spruce tips are rich in vitamin c. Harvest spruce tips from late winter through spring, depending on your climate zone. Spruce tip tea (just dry the spruce tips) has long been used by indigenous peoples to soothe coughs and sore throats, and to alleviate lung congestion. Almost all conifer tips are edible, and. For us here in zone 7b the. Which Spruce Tips Are Edible.
From www.shutterstock.com
Spruce Tips Spring Forage Harvest Edible Stock Photo (Edit Now) 433530736 Which Spruce Tips Are Edible Spruce tips are rich in vitamin c. Conifer trees are among the most surprising because so few of us have been taught they’re edible, yet they provide so many edible parts, whether it’s the needles in tea, flour made from inner bark, pollen, or in this case, the tender tips of new growth. When do you harvest spruce tips? Most. Which Spruce Tips Are Edible.
From www.pinterest.com
Caramelized Spruce Tip SyrupSo Delicious and Simple To Make Recipe Which Spruce Tips Are Edible When do you harvest spruce tips? Conifer trees are among the most surprising because so few of us have been taught they’re edible, yet they provide so many edible parts, whether it’s the needles in tea, flour made from inner bark, pollen, or in this case, the tender tips of new growth. For us here in zone 7b the best. Which Spruce Tips Are Edible.