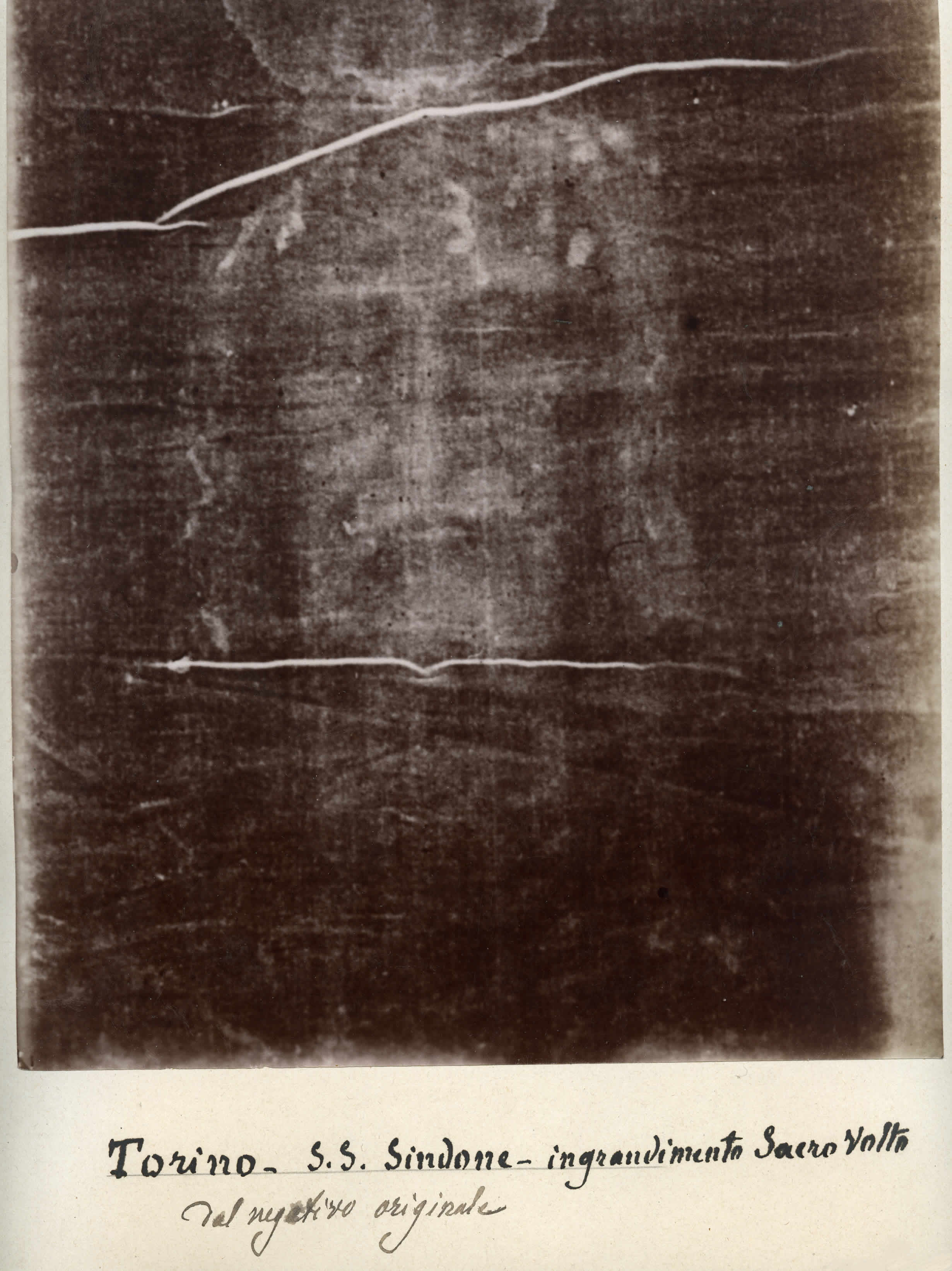
Turin Italy Jesus Cloth . Shroud of turin, a length of linen that is purported to be the burial garment of jesus christ. The shroud resides in the cathedral of st. Millions of christians around the world believe that this shroud—commonly called the shroud of turin —is the cloth that was used to. What is the shroud of turin? Visitors to the northern italian city of turin, or torino, may wonder where and how they can see the shroud of turin, the famous linen cloth that many believe once wrapped the body of the dead christ. It has been preserved since 1578 in the royal chapel of the cathedral of san giovanni. The short answer is that you can visit a museum dedicated to the shroud as well as the church where the shroud is housed. John the baptist in turin, italy, as it has for over four centuries. It bears a faint, yellowed image of a naked, crucified man and is believed by millions of.
from www.bbc.co.uk
It bears a faint, yellowed image of a naked, crucified man and is believed by millions of. John the baptist in turin, italy, as it has for over four centuries. The short answer is that you can visit a museum dedicated to the shroud as well as the church where the shroud is housed. What is the shroud of turin? Visitors to the northern italian city of turin, or torino, may wonder where and how they can see the shroud of turin, the famous linen cloth that many believe once wrapped the body of the dead christ. Millions of christians around the world believe that this shroud—commonly called the shroud of turin —is the cloth that was used to. The shroud resides in the cathedral of st. Shroud of turin, a length of linen that is purported to be the burial garment of jesus christ. It has been preserved since 1578 in the royal chapel of the cathedral of san giovanni.
Turin Shroud goes back on display at city's cathedral BBC News
Turin Italy Jesus Cloth Millions of christians around the world believe that this shroud—commonly called the shroud of turin —is the cloth that was used to. The short answer is that you can visit a museum dedicated to the shroud as well as the church where the shroud is housed. Visitors to the northern italian city of turin, or torino, may wonder where and how they can see the shroud of turin, the famous linen cloth that many believe once wrapped the body of the dead christ. The shroud resides in the cathedral of st. What is the shroud of turin? Millions of christians around the world believe that this shroud—commonly called the shroud of turin —is the cloth that was used to. It has been preserved since 1578 in the royal chapel of the cathedral of san giovanni. It bears a faint, yellowed image of a naked, crucified man and is believed by millions of. Shroud of turin, a length of linen that is purported to be the burial garment of jesus christ. John the baptist in turin, italy, as it has for over four centuries.
From nl.pinterest.com
NEW! Shroud Of Turin Can We Prove Jesus Christ Was Wrapped In That Turin Italy Jesus Cloth The shroud resides in the cathedral of st. John the baptist in turin, italy, as it has for over four centuries. The short answer is that you can visit a museum dedicated to the shroud as well as the church where the shroud is housed. Millions of christians around the world believe that this shroud—commonly called the shroud of turin. Turin Italy Jesus Cloth.
From www.patternsofevidence.com
Evidence for Authenticity of Jesus’ Shroud of Turin Patterns of Evidence Turin Italy Jesus Cloth Millions of christians around the world believe that this shroud—commonly called the shroud of turin —is the cloth that was used to. The shroud resides in the cathedral of st. What is the shroud of turin? It bears a faint, yellowed image of a naked, crucified man and is believed by millions of. It has been preserved since 1578 in. Turin Italy Jesus Cloth.
From www.etsy.com
Shroud of Turin Jesus Christ Burial Cloth Photo Poster Print W Turin Italy Jesus Cloth Visitors to the northern italian city of turin, or torino, may wonder where and how they can see the shroud of turin, the famous linen cloth that many believe once wrapped the body of the dead christ. John the baptist in turin, italy, as it has for over four centuries. Shroud of turin, a length of linen that is purported. Turin Italy Jesus Cloth.
From www.irishcatholic.com
Hyperrealistic body of Christ based on Turin Shroud unveiled The Turin Italy Jesus Cloth Shroud of turin, a length of linen that is purported to be the burial garment of jesus christ. The short answer is that you can visit a museum dedicated to the shroud as well as the church where the shroud is housed. Visitors to the northern italian city of turin, or torino, may wonder where and how they can see. Turin Italy Jesus Cloth.
From www.fisheaters.com
Shroud of Turin and the Sudarium of Oviedo Turin Italy Jesus Cloth It bears a faint, yellowed image of a naked, crucified man and is believed by millions of. Shroud of turin, a length of linen that is purported to be the burial garment of jesus christ. What is the shroud of turin? The short answer is that you can visit a museum dedicated to the shroud as well as the church. Turin Italy Jesus Cloth.
From blog.asnt.org
The Mysteries of the Shroud of Turin ASNT Pulse Turin Italy Jesus Cloth It has been preserved since 1578 in the royal chapel of the cathedral of san giovanni. Visitors to the northern italian city of turin, or torino, may wonder where and how they can see the shroud of turin, the famous linen cloth that many believe once wrapped the body of the dead christ. The shroud resides in the cathedral of. Turin Italy Jesus Cloth.
From www.history.com
Shroud of Turin Isn’t Jesus’ Burial Cloth, Claims Forensic Study HISTORY Turin Italy Jesus Cloth It bears a faint, yellowed image of a naked, crucified man and is believed by millions of. Millions of christians around the world believe that this shroud—commonly called the shroud of turin —is the cloth that was used to. It has been preserved since 1578 in the royal chapel of the cathedral of san giovanni. John the baptist in turin,. Turin Italy Jesus Cloth.
From news.artnet.com
Mysterious Shroud of Turin Is On View for First Time in Five Years Turin Italy Jesus Cloth It has been preserved since 1578 in the royal chapel of the cathedral of san giovanni. The shroud resides in the cathedral of st. It bears a faint, yellowed image of a naked, crucified man and is believed by millions of. Millions of christians around the world believe that this shroud—commonly called the shroud of turin —is the cloth that. Turin Italy Jesus Cloth.
From theshroudofturin.blogspot.com
The Shroud of Turin A linen cloth The Shroud of Turin The Burial Turin Italy Jesus Cloth It bears a faint, yellowed image of a naked, crucified man and is believed by millions of. What is the shroud of turin? It has been preserved since 1578 in the royal chapel of the cathedral of san giovanni. John the baptist in turin, italy, as it has for over four centuries. The short answer is that you can visit. Turin Italy Jesus Cloth.
From www.etsy.com
Jesus Shroud of Turin Holy Face Burial Cloth Print Picture Poster Etsy Turin Italy Jesus Cloth The shroud resides in the cathedral of st. It bears a faint, yellowed image of a naked, crucified man and is believed by millions of. What is the shroud of turin? Millions of christians around the world believe that this shroud—commonly called the shroud of turin —is the cloth that was used to. Visitors to the northern italian city of. Turin Italy Jesus Cloth.
From www.pinterest.com
The Shroud of Turin Detailed Analysis Pictures of christ, Jesus face Turin Italy Jesus Cloth What is the shroud of turin? It bears a faint, yellowed image of a naked, crucified man and is believed by millions of. Shroud of turin, a length of linen that is purported to be the burial garment of jesus christ. John the baptist in turin, italy, as it has for over four centuries. Visitors to the northern italian city. Turin Italy Jesus Cloth.
From www.ebay.com
Shroud of Turin Overlap with Jesus Face Fabric Print Easter Lent Turin Italy Jesus Cloth The short answer is that you can visit a museum dedicated to the shroud as well as the church where the shroud is housed. Millions of christians around the world believe that this shroud—commonly called the shroud of turin —is the cloth that was used to. John the baptist in turin, italy, as it has for over four centuries. Shroud. Turin Italy Jesus Cloth.
From www.bonanza.com
The Shroud of Turin Burial Cloth of Jesus and similar items Turin Italy Jesus Cloth Shroud of turin, a length of linen that is purported to be the burial garment of jesus christ. The short answer is that you can visit a museum dedicated to the shroud as well as the church where the shroud is housed. Millions of christians around the world believe that this shroud—commonly called the shroud of turin —is the cloth. Turin Italy Jesus Cloth.
From ewtn.co.uk
Clues on the Shroud of Turin Tell Us What Christ Endured on Good Friday Turin Italy Jesus Cloth The shroud resides in the cathedral of st. It bears a faint, yellowed image of a naked, crucified man and is believed by millions of. The short answer is that you can visit a museum dedicated to the shroud as well as the church where the shroud is housed. Shroud of turin, a length of linen that is purported to. Turin Italy Jesus Cloth.
From www.walkinghumblywithgod.com
The Shroud of Turin Authentic or — Walking Humbly with God Turin Italy Jesus Cloth The shroud resides in the cathedral of st. It has been preserved since 1578 in the royal chapel of the cathedral of san giovanni. What is the shroud of turin? Visitors to the northern italian city of turin, or torino, may wonder where and how they can see the shroud of turin, the famous linen cloth that many believe once. Turin Italy Jesus Cloth.
From www.youtube.com
Proof that the Shroud of Turin is the Burial Cloth of Jesus Christ Turin Italy Jesus Cloth John the baptist in turin, italy, as it has for over four centuries. It has been preserved since 1578 in the royal chapel of the cathedral of san giovanni. Shroud of turin, a length of linen that is purported to be the burial garment of jesus christ. Visitors to the northern italian city of turin, or torino, may wonder where. Turin Italy Jesus Cloth.
From ratiochristi.co.za
The Shroud of Turin An Examination of the Cloth (Part 2) By Joseph W Turin Italy Jesus Cloth John the baptist in turin, italy, as it has for over four centuries. What is the shroud of turin? The short answer is that you can visit a museum dedicated to the shroud as well as the church where the shroud is housed. It has been preserved since 1578 in the royal chapel of the cathedral of san giovanni. Millions. Turin Italy Jesus Cloth.
From www.ancient-origins.net
The Shroud of Turin Jesus' Bloodstained Burial Cloth or a Fascinating Turin Italy Jesus Cloth The short answer is that you can visit a museum dedicated to the shroud as well as the church where the shroud is housed. Shroud of turin, a length of linen that is purported to be the burial garment of jesus christ. Visitors to the northern italian city of turin, or torino, may wonder where and how they can see. Turin Italy Jesus Cloth.
From ourgod.is-great.org
What Is the Shroud of Turin? Facts & History Everyone Should Know OUR Turin Italy Jesus Cloth John the baptist in turin, italy, as it has for over four centuries. The shroud resides in the cathedral of st. What is the shroud of turin? Shroud of turin, a length of linen that is purported to be the burial garment of jesus christ. It bears a faint, yellowed image of a naked, crucified man and is believed by. Turin Italy Jesus Cloth.
From www.japantimes.co.jp
Shroud of Turin goes back on display for faithful and curious The Turin Italy Jesus Cloth Millions of christians around the world believe that this shroud—commonly called the shroud of turin —is the cloth that was used to. The shroud resides in the cathedral of st. What is the shroud of turin? It bears a faint, yellowed image of a naked, crucified man and is believed by millions of. Shroud of turin, a length of linen. Turin Italy Jesus Cloth.
From www.pinterest.com
PK0418. Torino. Italy. La Sacra Sindone. The Shroud of Turin is a linen Turin Italy Jesus Cloth John the baptist in turin, italy, as it has for over four centuries. It bears a faint, yellowed image of a naked, crucified man and is believed by millions of. The short answer is that you can visit a museum dedicated to the shroud as well as the church where the shroud is housed. The shroud resides in the cathedral. Turin Italy Jesus Cloth.
From www.bbc.co.uk
Turin Shroud goes back on display at city's cathedral BBC News Turin Italy Jesus Cloth Visitors to the northern italian city of turin, or torino, may wonder where and how they can see the shroud of turin, the famous linen cloth that many believe once wrapped the body of the dead christ. Millions of christians around the world believe that this shroud—commonly called the shroud of turin —is the cloth that was used to. It. Turin Italy Jesus Cloth.
From www.crystalinks.com
Shroud of Turin Crystalinks Turin Italy Jesus Cloth What is the shroud of turin? Shroud of turin, a length of linen that is purported to be the burial garment of jesus christ. The short answer is that you can visit a museum dedicated to the shroud as well as the church where the shroud is housed. Millions of christians around the world believe that this shroud—commonly called the. Turin Italy Jesus Cloth.
From reasons.org
The Shroud of Turin, Part 2 An Examination of the Cloth Reasons to Turin Italy Jesus Cloth Visitors to the northern italian city of turin, or torino, may wonder where and how they can see the shroud of turin, the famous linen cloth that many believe once wrapped the body of the dead christ. Millions of christians around the world believe that this shroud—commonly called the shroud of turin —is the cloth that was used to. John. Turin Italy Jesus Cloth.
From www.zazzle.com
Shroud of Turin Holy Face of Jesus on Cloth Zazzle Turin Italy Jesus Cloth The shroud resides in the cathedral of st. Visitors to the northern italian city of turin, or torino, may wonder where and how they can see the shroud of turin, the famous linen cloth that many believe once wrapped the body of the dead christ. John the baptist in turin, italy, as it has for over four centuries. The short. Turin Italy Jesus Cloth.
From roy-and-marilyn.blogspot.com
The Road The Shroud of Turin Exhibit & Museum Turin Italy Jesus Cloth The shroud resides in the cathedral of st. Shroud of turin, a length of linen that is purported to be the burial garment of jesus christ. John the baptist in turin, italy, as it has for over four centuries. What is the shroud of turin? The short answer is that you can visit a museum dedicated to the shroud as. Turin Italy Jesus Cloth.
From www.reddit.com
The Shroud of Turin Linen cloth bearing an image of Jesus Christ's Turin Italy Jesus Cloth The short answer is that you can visit a museum dedicated to the shroud as well as the church where the shroud is housed. Shroud of turin, a length of linen that is purported to be the burial garment of jesus christ. It has been preserved since 1578 in the royal chapel of the cathedral of san giovanni. Visitors to. Turin Italy Jesus Cloth.
From www.alamy.com
Shroud Turin Sudarium Jesus Face Cloth, Basilica of St. Mary of the Turin Italy Jesus Cloth John the baptist in turin, italy, as it has for over four centuries. Visitors to the northern italian city of turin, or torino, may wonder where and how they can see the shroud of turin, the famous linen cloth that many believe once wrapped the body of the dead christ. The shroud resides in the cathedral of st. Millions of. Turin Italy Jesus Cloth.
From www.divinemercyimage.ca
Shroud Of Turin 3D Sculptures Of Jesus Turin Italy Jesus Cloth The short answer is that you can visit a museum dedicated to the shroud as well as the church where the shroud is housed. What is the shroud of turin? It bears a faint, yellowed image of a naked, crucified man and is believed by millions of. John the baptist in turin, italy, as it has for over four centuries.. Turin Italy Jesus Cloth.
From www.photoofjesus.com
History of Turin shroud of Jesus, facts about the Turin Shroud Turin Italy Jesus Cloth Visitors to the northern italian city of turin, or torino, may wonder where and how they can see the shroud of turin, the famous linen cloth that many believe once wrapped the body of the dead christ. It bears a faint, yellowed image of a naked, crucified man and is believed by millions of. The shroud resides in the cathedral. Turin Italy Jesus Cloth.
From kenbaileyministries.com
Miracles Confirm THE SHROUD OF TURIN IS THE BURIAL CLOTH OF JESUS!!! Turin Italy Jesus Cloth Shroud of turin, a length of linen that is purported to be the burial garment of jesus christ. What is the shroud of turin? It has been preserved since 1578 in the royal chapel of the cathedral of san giovanni. Millions of christians around the world believe that this shroud—commonly called the shroud of turin —is the cloth that was. Turin Italy Jesus Cloth.
From www.huffingtonpost.com
The Unsolved Mystery Behind The Shroud Of Turin Still Has The Power To Turin Italy Jesus Cloth The short answer is that you can visit a museum dedicated to the shroud as well as the church where the shroud is housed. Shroud of turin, a length of linen that is purported to be the burial garment of jesus christ. It has been preserved since 1578 in the royal chapel of the cathedral of san giovanni. The shroud. Turin Italy Jesus Cloth.
From poshmark.com
Holiday Embroidered Shroud Of Turin Face Of Jesus Cloth Fabric Poshmark Turin Italy Jesus Cloth John the baptist in turin, italy, as it has for over four centuries. The shroud resides in the cathedral of st. The short answer is that you can visit a museum dedicated to the shroud as well as the church where the shroud is housed. It bears a faint, yellowed image of a naked, crucified man and is believed by. Turin Italy Jesus Cloth.
From www.youtube.com
Evidence for the Shroud of Turin Being the Burial Cloth of Jesus YouTube Turin Italy Jesus Cloth Shroud of turin, a length of linen that is purported to be the burial garment of jesus christ. Visitors to the northern italian city of turin, or torino, may wonder where and how they can see the shroud of turin, the famous linen cloth that many believe once wrapped the body of the dead christ. It has been preserved since. Turin Italy Jesus Cloth.