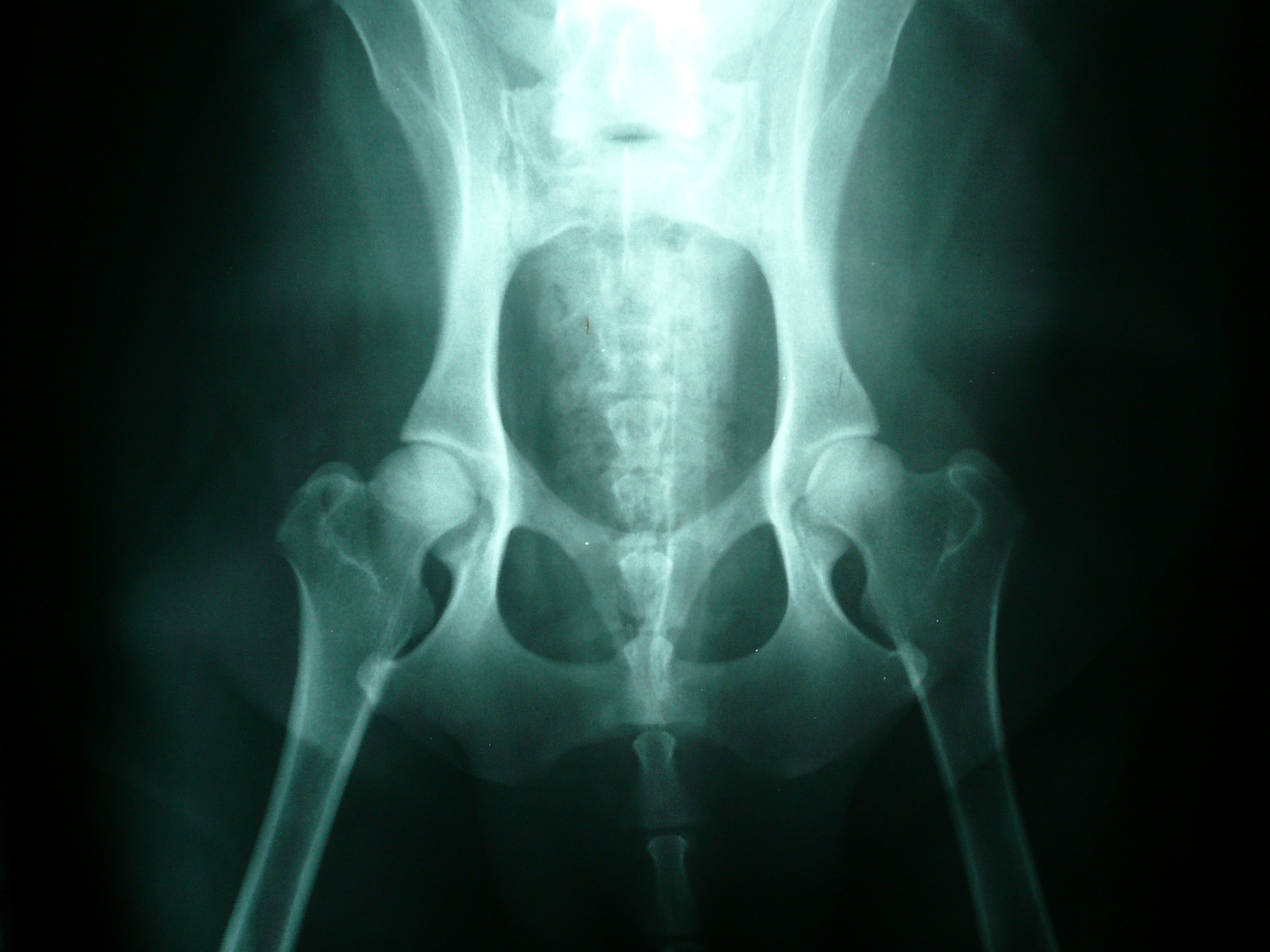
Normal Hip Joint In Dogs . Dogs with hip dysplasia usually begin showing. Hip dysplasia is when the hip joints don’t fit together properly and become unstable. Hip dysplasia causes pain, swelling, stiffness and eventually arthritis. 2 hip dysplasia in dogs h ip dysplasia (hd) is a common inherited orthopaedic problem of dogs and a wide number of other mammals. Plus, an introduction to responsible breeding practices for canine health and how to safeguard dogs from this condition. All you need to know about hip dysplasia in dogs, from early warning signs to treatment strategies and preventive measures. At birth, canine hip joints are normal, 112, 153 and they are thought to continue normal development if complete congruity between the femoral head and the acetabulum is maintained.
from www.azpetscan.com
Hip dysplasia is when the hip joints don’t fit together properly and become unstable. Hip dysplasia causes pain, swelling, stiffness and eventually arthritis. All you need to know about hip dysplasia in dogs, from early warning signs to treatment strategies and preventive measures. Plus, an introduction to responsible breeding practices for canine health and how to safeguard dogs from this condition. Dogs with hip dysplasia usually begin showing. 2 hip dysplasia in dogs h ip dysplasia (hd) is a common inherited orthopaedic problem of dogs and a wide number of other mammals. At birth, canine hip joints are normal, 112, 153 and they are thought to continue normal development if complete congruity between the femoral head and the acetabulum is maintained.
Patellar Luxation Kneecap Dislocation in Dogs Pet Scan Mobile
Normal Hip Joint In Dogs Plus, an introduction to responsible breeding practices for canine health and how to safeguard dogs from this condition. 2 hip dysplasia in dogs h ip dysplasia (hd) is a common inherited orthopaedic problem of dogs and a wide number of other mammals. All you need to know about hip dysplasia in dogs, from early warning signs to treatment strategies and preventive measures. At birth, canine hip joints are normal, 112, 153 and they are thought to continue normal development if complete congruity between the femoral head and the acetabulum is maintained. Hip dysplasia is when the hip joints don’t fit together properly and become unstable. Plus, an introduction to responsible breeding practices for canine health and how to safeguard dogs from this condition. Dogs with hip dysplasia usually begin showing. Hip dysplasia causes pain, swelling, stiffness and eventually arthritis.
From www.mdpi.com
Veterinary Sciences Free FullText A Canine Gait Analysis Protocol Normal Hip Joint In Dogs Dogs with hip dysplasia usually begin showing. Hip dysplasia is when the hip joints don’t fit together properly and become unstable. 2 hip dysplasia in dogs h ip dysplasia (hd) is a common inherited orthopaedic problem of dogs and a wide number of other mammals. All you need to know about hip dysplasia in dogs, from early warning signs to. Normal Hip Joint In Dogs.
From www.cliniciansbrief.com
Arthrocentesis in Dogs Clinician's Brief Normal Hip Joint In Dogs All you need to know about hip dysplasia in dogs, from early warning signs to treatment strategies and preventive measures. 2 hip dysplasia in dogs h ip dysplasia (hd) is a common inherited orthopaedic problem of dogs and a wide number of other mammals. Hip dysplasia is when the hip joints don’t fit together properly and become unstable. Hip dysplasia. Normal Hip Joint In Dogs.
From www.vetcheck.it
Hills Pet Nutrition Dog Stifle Diagram patella, quadriceps, tibia Normal Hip Joint In Dogs Hip dysplasia causes pain, swelling, stiffness and eventually arthritis. 2 hip dysplasia in dogs h ip dysplasia (hd) is a common inherited orthopaedic problem of dogs and a wide number of other mammals. At birth, canine hip joints are normal, 112, 153 and they are thought to continue normal development if complete congruity between the femoral head and the acetabulum. Normal Hip Joint In Dogs.
From www.doppelherz.com
The joints of the dog Doppelherz Normal Hip Joint In Dogs All you need to know about hip dysplasia in dogs, from early warning signs to treatment strategies and preventive measures. Hip dysplasia is when the hip joints don’t fit together properly and become unstable. At birth, canine hip joints are normal, 112, 153 and they are thought to continue normal development if complete congruity between the femoral head and the. Normal Hip Joint In Dogs.
From www.elwoodvet.net
Hip dysplasia — Elwood vet Normal Hip Joint In Dogs 2 hip dysplasia in dogs h ip dysplasia (hd) is a common inherited orthopaedic problem of dogs and a wide number of other mammals. Plus, an introduction to responsible breeding practices for canine health and how to safeguard dogs from this condition. Hip dysplasia causes pain, swelling, stiffness and eventually arthritis. All you need to know about hip dysplasia in. Normal Hip Joint In Dogs.
From www.youtube.com
Dog Hip Anatomy Bones, Muscles, and Vessels (Canine Hip Joint Anatomy Normal Hip Joint In Dogs Dogs with hip dysplasia usually begin showing. 2 hip dysplasia in dogs h ip dysplasia (hd) is a common inherited orthopaedic problem of dogs and a wide number of other mammals. All you need to know about hip dysplasia in dogs, from early warning signs to treatment strategies and preventive measures. Plus, an introduction to responsible breeding practices for canine. Normal Hip Joint In Dogs.
From gofundme.com
Fundraiser by Courtney Greene Gracie's Hip Replacement Surgery Normal Hip Joint In Dogs 2 hip dysplasia in dogs h ip dysplasia (hd) is a common inherited orthopaedic problem of dogs and a wide number of other mammals. Plus, an introduction to responsible breeding practices for canine health and how to safeguard dogs from this condition. Hip dysplasia causes pain, swelling, stiffness and eventually arthritis. Hip dysplasia is when the hip joints don’t fit. Normal Hip Joint In Dogs.
From pethelpful.com
A Simple Guide to Hip Dysplasia in Dogs PetHelpful Normal Hip Joint In Dogs All you need to know about hip dysplasia in dogs, from early warning signs to treatment strategies and preventive measures. At birth, canine hip joints are normal, 112, 153 and they are thought to continue normal development if complete congruity between the femoral head and the acetabulum is maintained. 2 hip dysplasia in dogs h ip dysplasia (hd) is a. Normal Hip Joint In Dogs.
From www.dreamstime.com
DOG HIP XRAY , PANOSTEITIS Stock Photo Image of closeup, health Normal Hip Joint In Dogs At birth, canine hip joints are normal, 112, 153 and they are thought to continue normal development if complete congruity between the femoral head and the acetabulum is maintained. Hip dysplasia causes pain, swelling, stiffness and eventually arthritis. Hip dysplasia is when the hip joints don’t fit together properly and become unstable. All you need to know about hip dysplasia. Normal Hip Joint In Dogs.
From animalhackers.com
Complete guide to Dog joint anatomy Animal Hackers Normal Hip Joint In Dogs 2 hip dysplasia in dogs h ip dysplasia (hd) is a common inherited orthopaedic problem of dogs and a wide number of other mammals. All you need to know about hip dysplasia in dogs, from early warning signs to treatment strategies and preventive measures. Dogs with hip dysplasia usually begin showing. Hip dysplasia causes pain, swelling, stiffness and eventually arthritis.. Normal Hip Joint In Dogs.
From www.sickchirpse.com
What You Need To Know About Hip And Joint Health For Dogs Normal Hip Joint In Dogs Dogs with hip dysplasia usually begin showing. At birth, canine hip joints are normal, 112, 153 and they are thought to continue normal development if complete congruity between the femoral head and the acetabulum is maintained. Hip dysplasia is when the hip joints don’t fit together properly and become unstable. 2 hip dysplasia in dogs h ip dysplasia (hd) is. Normal Hip Joint In Dogs.
From myvetanimalhospital.com.au
Hip Dysplasia What You Need To Know My Vet Animal Hospital Normal Hip Joint In Dogs At birth, canine hip joints are normal, 112, 153 and they are thought to continue normal development if complete congruity between the femoral head and the acetabulum is maintained. All you need to know about hip dysplasia in dogs, from early warning signs to treatment strategies and preventive measures. 2 hip dysplasia in dogs h ip dysplasia (hd) is a. Normal Hip Joint In Dogs.
From www.veterinary-practice.com
What’s hip in orthopaedics? Unilateral total hip replacement in a dog Normal Hip Joint In Dogs 2 hip dysplasia in dogs h ip dysplasia (hd) is a common inherited orthopaedic problem of dogs and a wide number of other mammals. Hip dysplasia causes pain, swelling, stiffness and eventually arthritis. Plus, an introduction to responsible breeding practices for canine health and how to safeguard dogs from this condition. Hip dysplasia is when the hip joints don’t fit. Normal Hip Joint In Dogs.
From mavink.com
Canine Hip Joint Normal Hip Joint In Dogs At birth, canine hip joints are normal, 112, 153 and they are thought to continue normal development if complete congruity between the femoral head and the acetabulum is maintained. Plus, an introduction to responsible breeding practices for canine health and how to safeguard dogs from this condition. Hip dysplasia is when the hip joints don’t fit together properly and become. Normal Hip Joint In Dogs.
From symbiosisonlinepublishing.com
Hip Joint Laxity in Small Dog Breeds A Radiological Study Normal Hip Joint In Dogs All you need to know about hip dysplasia in dogs, from early warning signs to treatment strategies and preventive measures. Hip dysplasia causes pain, swelling, stiffness and eventually arthritis. 2 hip dysplasia in dogs h ip dysplasia (hd) is a common inherited orthopaedic problem of dogs and a wide number of other mammals. Plus, an introduction to responsible breeding practices. Normal Hip Joint In Dogs.
From mungfali.com
Canine Hip Radiographs Normal Hip Joint In Dogs All you need to know about hip dysplasia in dogs, from early warning signs to treatment strategies and preventive measures. Dogs with hip dysplasia usually begin showing. Hip dysplasia causes pain, swelling, stiffness and eventually arthritis. 2 hip dysplasia in dogs h ip dysplasia (hd) is a common inherited orthopaedic problem of dogs and a wide number of other mammals.. Normal Hip Joint In Dogs.
From commons.wikimedia.org
FileNormal canine hips.JPG Wikimedia Commons Normal Hip Joint In Dogs Plus, an introduction to responsible breeding practices for canine health and how to safeguard dogs from this condition. Hip dysplasia causes pain, swelling, stiffness and eventually arthritis. Dogs with hip dysplasia usually begin showing. Hip dysplasia is when the hip joints don’t fit together properly and become unstable. At birth, canine hip joints are normal, 112, 153 and they are. Normal Hip Joint In Dogs.
From www.cliniciansbrief.com
Tips & Techniques for Pelvic Radiography Clinician's Brief Normal Hip Joint In Dogs Hip dysplasia causes pain, swelling, stiffness and eventually arthritis. Dogs with hip dysplasia usually begin showing. 2 hip dysplasia in dogs h ip dysplasia (hd) is a common inherited orthopaedic problem of dogs and a wide number of other mammals. Hip dysplasia is when the hip joints don’t fit together properly and become unstable. At birth, canine hip joints are. Normal Hip Joint In Dogs.
From www.lakeforestanatomicals.com
Canine Pelvis Hip Anatomical Model Normal Hip Joint In Dogs Plus, an introduction to responsible breeding practices for canine health and how to safeguard dogs from this condition. All you need to know about hip dysplasia in dogs, from early warning signs to treatment strategies and preventive measures. Dogs with hip dysplasia usually begin showing. Hip dysplasia causes pain, swelling, stiffness and eventually arthritis. Hip dysplasia is when the hip. Normal Hip Joint In Dogs.
From www.pinterest.co.uk
animal anatomy hip Google Search Dog anatomy, Dog leg, Anatomy Normal Hip Joint In Dogs All you need to know about hip dysplasia in dogs, from early warning signs to treatment strategies and preventive measures. Plus, an introduction to responsible breeding practices for canine health and how to safeguard dogs from this condition. Dogs with hip dysplasia usually begin showing. Hip dysplasia causes pain, swelling, stiffness and eventually arthritis. 2 hip dysplasia in dogs h. Normal Hip Joint In Dogs.
From pethelpful.com
Causes and Treatments of Hindlimb Lameness in Dogs PetHelpful Normal Hip Joint In Dogs Plus, an introduction to responsible breeding practices for canine health and how to safeguard dogs from this condition. All you need to know about hip dysplasia in dogs, from early warning signs to treatment strategies and preventive measures. Dogs with hip dysplasia usually begin showing. Hip dysplasia causes pain, swelling, stiffness and eventually arthritis. Hip dysplasia is when the hip. Normal Hip Joint In Dogs.
From www.greencrossvets.com.au
Total hip replacements for dogs Greencross Vets Normal Hip Joint In Dogs All you need to know about hip dysplasia in dogs, from early warning signs to treatment strategies and preventive measures. Hip dysplasia is when the hip joints don’t fit together properly and become unstable. 2 hip dysplasia in dogs h ip dysplasia (hd) is a common inherited orthopaedic problem of dogs and a wide number of other mammals. Hip dysplasia. Normal Hip Joint In Dogs.
From www.arosystems.com.au
VET DR systems Radmedix Normal Hip Joint In Dogs 2 hip dysplasia in dogs h ip dysplasia (hd) is a common inherited orthopaedic problem of dogs and a wide number of other mammals. Hip dysplasia is when the hip joints don’t fit together properly and become unstable. At birth, canine hip joints are normal, 112, 153 and they are thought to continue normal development if complete congruity between the. Normal Hip Joint In Dogs.
From bfah.net
Billings Dog & Hip Xrays PennHIP Radiographs Normal Hip Joint In Dogs Hip dysplasia causes pain, swelling, stiffness and eventually arthritis. Plus, an introduction to responsible breeding practices for canine health and how to safeguard dogs from this condition. 2 hip dysplasia in dogs h ip dysplasia (hd) is a common inherited orthopaedic problem of dogs and a wide number of other mammals. Dogs with hip dysplasia usually begin showing. All you. Normal Hip Joint In Dogs.
From thebayexclusivehotelphuket.com
Hofteleddsdysplasi hos Hunder Tegn, Behandling, Kirurgi The Bay Normal Hip Joint In Dogs 2 hip dysplasia in dogs h ip dysplasia (hd) is a common inherited orthopaedic problem of dogs and a wide number of other mammals. Plus, an introduction to responsible breeding practices for canine health and how to safeguard dogs from this condition. At birth, canine hip joints are normal, 112, 153 and they are thought to continue normal development if. Normal Hip Joint In Dogs.
From klavcumex.blob.core.windows.net
Hip Dysplasia In Dogs Veterinary Partner at Bonnie Johnson blog Normal Hip Joint In Dogs Hip dysplasia causes pain, swelling, stiffness and eventually arthritis. 2 hip dysplasia in dogs h ip dysplasia (hd) is a common inherited orthopaedic problem of dogs and a wide number of other mammals. All you need to know about hip dysplasia in dogs, from early warning signs to treatment strategies and preventive measures. Plus, an introduction to responsible breeding practices. Normal Hip Joint In Dogs.
From loankas.blogspot.com
Dog Anatomy Hip Joints LOANKAS Normal Hip Joint In Dogs At birth, canine hip joints are normal, 112, 153 and they are thought to continue normal development if complete congruity between the femoral head and the acetabulum is maintained. 2 hip dysplasia in dogs h ip dysplasia (hd) is a common inherited orthopaedic problem of dogs and a wide number of other mammals. All you need to know about hip. Normal Hip Joint In Dogs.
From www.pinterest.co.uk
Hip dysplasia is an orthopedic disease that affects the dog's hip or Normal Hip Joint In Dogs At birth, canine hip joints are normal, 112, 153 and they are thought to continue normal development if complete congruity between the femoral head and the acetabulum is maintained. Hip dysplasia causes pain, swelling, stiffness and eventually arthritis. Hip dysplasia is when the hip joints don’t fit together properly and become unstable. Plus, an introduction to responsible breeding practices for. Normal Hip Joint In Dogs.
From animalia-life.club
What Is The Average Cost Of Hip Replacement In Dogs Normal Hip Joint In Dogs All you need to know about hip dysplasia in dogs, from early warning signs to treatment strategies and preventive measures. Hip dysplasia is when the hip joints don’t fit together properly and become unstable. Hip dysplasia causes pain, swelling, stiffness and eventually arthritis. Plus, an introduction to responsible breeding practices for canine health and how to safeguard dogs from this. Normal Hip Joint In Dogs.
From animalhackers.com
Complete guide to Dog joint anatomy Animal Hackers Normal Hip Joint In Dogs Hip dysplasia causes pain, swelling, stiffness and eventually arthritis. Hip dysplasia is when the hip joints don’t fit together properly and become unstable. Dogs with hip dysplasia usually begin showing. Plus, an introduction to responsible breeding practices for canine health and how to safeguard dogs from this condition. At birth, canine hip joints are normal, 112, 153 and they are. Normal Hip Joint In Dogs.
From germanshepherdk9.com
Normal Hips Canine xray image Normal German Shepherd Xray Image Normal Hip Joint In Dogs 2 hip dysplasia in dogs h ip dysplasia (hd) is a common inherited orthopaedic problem of dogs and a wide number of other mammals. Hip dysplasia causes pain, swelling, stiffness and eventually arthritis. At birth, canine hip joints are normal, 112, 153 and they are thought to continue normal development if complete congruity between the femoral head and the acetabulum. Normal Hip Joint In Dogs.
From ar.inspiredpencil.com
Dog Joints Normal Hip Joint In Dogs Dogs with hip dysplasia usually begin showing. 2 hip dysplasia in dogs h ip dysplasia (hd) is a common inherited orthopaedic problem of dogs and a wide number of other mammals. Hip dysplasia is when the hip joints don’t fit together properly and become unstable. At birth, canine hip joints are normal, 112, 153 and they are thought to continue. Normal Hip Joint In Dogs.
From rolftrac.weebly.com
Normal hip xray dog rolftrac Normal Hip Joint In Dogs All you need to know about hip dysplasia in dogs, from early warning signs to treatment strategies and preventive measures. Plus, an introduction to responsible breeding practices for canine health and how to safeguard dogs from this condition. Hip dysplasia causes pain, swelling, stiffness and eventually arthritis. At birth, canine hip joints are normal, 112, 153 and they are thought. Normal Hip Joint In Dogs.
From www.allthingsdogs.com
A Visual Guide to Dog Anatomy (Muscle, Organ & Skeletal Drawings) All Normal Hip Joint In Dogs Hip dysplasia causes pain, swelling, stiffness and eventually arthritis. All you need to know about hip dysplasia in dogs, from early warning signs to treatment strategies and preventive measures. Hip dysplasia is when the hip joints don’t fit together properly and become unstable. Plus, an introduction to responsible breeding practices for canine health and how to safeguard dogs from this. Normal Hip Joint In Dogs.
From www.azpetscan.com
Patellar Luxation Kneecap Dislocation in Dogs Pet Scan Mobile Normal Hip Joint In Dogs Plus, an introduction to responsible breeding practices for canine health and how to safeguard dogs from this condition. Hip dysplasia causes pain, swelling, stiffness and eventually arthritis. 2 hip dysplasia in dogs h ip dysplasia (hd) is a common inherited orthopaedic problem of dogs and a wide number of other mammals. At birth, canine hip joints are normal, 112, 153. Normal Hip Joint In Dogs.