Can A Cat Walk On A Dislocated Hip . Subluxation refers to dislocation with no damage to these surrounding parts. Your veterinarian will be able to do testing to assess the extent of the dislocation and then should start treatment so that your cat regains its mobility. While some cats may spontaneously heal from a dislocated hip without medical intervention, there are several potential risks and complications associated with this approach. When the round ligament of the hip joint in a cat ruptures or stretches out, the top of the femur can dislocate from the socket of the pelvis. Hip dislocation, from hip dysplasia or from injury,. Learn more about dislocated hips in cats and whether they have the ability to heal on their own. If you suspect your cat has a dislocated joint, it is important to seek veterinary care immediately to prevent further damage and ensure proper. If your cat has a dislocated joint, it needs to be looked by a veterinarian in order to get a proper diagnosis and treatment.
from www.marydebono.com
If your cat has a dislocated joint, it needs to be looked by a veterinarian in order to get a proper diagnosis and treatment. While some cats may spontaneously heal from a dislocated hip without medical intervention, there are several potential risks and complications associated with this approach. Your veterinarian will be able to do testing to assess the extent of the dislocation and then should start treatment so that your cat regains its mobility. Hip dislocation, from hip dysplasia or from injury,. Subluxation refers to dislocation with no damage to these surrounding parts. Learn more about dislocated hips in cats and whether they have the ability to heal on their own. When the round ligament of the hip joint in a cat ruptures or stretches out, the top of the femur can dislocate from the socket of the pelvis. If you suspect your cat has a dislocated joint, it is important to seek veterinary care immediately to prevent further damage and ensure proper.
Elf the Cat's Recovery From a Dislocated Hip
Can A Cat Walk On A Dislocated Hip When the round ligament of the hip joint in a cat ruptures or stretches out, the top of the femur can dislocate from the socket of the pelvis. Your veterinarian will be able to do testing to assess the extent of the dislocation and then should start treatment so that your cat regains its mobility. When the round ligament of the hip joint in a cat ruptures or stretches out, the top of the femur can dislocate from the socket of the pelvis. If you suspect your cat has a dislocated joint, it is important to seek veterinary care immediately to prevent further damage and ensure proper. Hip dislocation, from hip dysplasia or from injury,. Learn more about dislocated hips in cats and whether they have the ability to heal on their own. If your cat has a dislocated joint, it needs to be looked by a veterinarian in order to get a proper diagnosis and treatment. While some cats may spontaneously heal from a dislocated hip without medical intervention, there are several potential risks and complications associated with this approach. Subluxation refers to dislocation with no damage to these surrounding parts.
From 2010vets.blogspot.com
Veterinary, Photography and Travel Stories for vet students and pet Can A Cat Walk On A Dislocated Hip If your cat has a dislocated joint, it needs to be looked by a veterinarian in order to get a proper diagnosis and treatment. Hip dislocation, from hip dysplasia or from injury,. If you suspect your cat has a dislocated joint, it is important to seek veterinary care immediately to prevent further damage and ensure proper. When the round ligament. Can A Cat Walk On A Dislocated Hip.
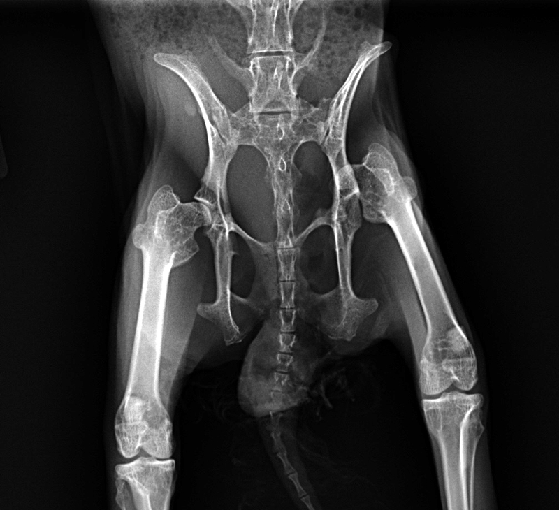
From dreamstime.com
CAT HIP DISLOCATION XRAY Stock Image Image 30050431 Can A Cat Walk On A Dislocated Hip Your veterinarian will be able to do testing to assess the extent of the dislocation and then should start treatment so that your cat regains its mobility. Subluxation refers to dislocation with no damage to these surrounding parts. Learn more about dislocated hips in cats and whether they have the ability to heal on their own. If you suspect your. Can A Cat Walk On A Dislocated Hip.
From www.youtube.com
Cat with Dislocated Hip YouTube Can A Cat Walk On A Dislocated Hip While some cats may spontaneously heal from a dislocated hip without medical intervention, there are several potential risks and complications associated with this approach. Subluxation refers to dislocation with no damage to these surrounding parts. If you suspect your cat has a dislocated joint, it is important to seek veterinary care immediately to prevent further damage and ensure proper. Hip. Can A Cat Walk On A Dislocated Hip.
From www.msdvetmanual.com
ImageDislocated hip sling, catMSD Veterinary Manual Can A Cat Walk On A Dislocated Hip Your veterinarian will be able to do testing to assess the extent of the dislocation and then should start treatment so that your cat regains its mobility. If your cat has a dislocated joint, it needs to be looked by a veterinarian in order to get a proper diagnosis and treatment. Subluxation refers to dislocation with no damage to these. Can A Cat Walk On A Dislocated Hip.
From journals.sagepub.com
Traumatic joint luxations in cats Reduce, repair, replace, remove Can A Cat Walk On A Dislocated Hip When the round ligament of the hip joint in a cat ruptures or stretches out, the top of the femur can dislocate from the socket of the pelvis. Learn more about dislocated hips in cats and whether they have the ability to heal on their own. If your cat has a dislocated joint, it needs to be looked by a. Can A Cat Walk On A Dislocated Hip.
From www.youtube.com
A cat is Xrayed to confirm hip dislocation YouTube Can A Cat Walk On A Dislocated Hip Your veterinarian will be able to do testing to assess the extent of the dislocation and then should start treatment so that your cat regains its mobility. Subluxation refers to dislocation with no damage to these surrounding parts. Learn more about dislocated hips in cats and whether they have the ability to heal on their own. While some cats may. Can A Cat Walk On A Dislocated Hip.
From 2010vets.blogspot.com
Be Kind To Pets, Vet case studies, Photography tips, Travel Stories Can A Cat Walk On A Dislocated Hip While some cats may spontaneously heal from a dislocated hip without medical intervention, there are several potential risks and complications associated with this approach. If you suspect your cat has a dislocated joint, it is important to seek veterinary care immediately to prevent further damage and ensure proper. Subluxation refers to dislocation with no damage to these surrounding parts. When. Can A Cat Walk On A Dislocated Hip.
From www.marydebono.com
Elf the Cat's Recovery From a Dislocated Hip Can A Cat Walk On A Dislocated Hip If your cat has a dislocated joint, it needs to be looked by a veterinarian in order to get a proper diagnosis and treatment. While some cats may spontaneously heal from a dislocated hip without medical intervention, there are several potential risks and complications associated with this approach. If you suspect your cat has a dislocated joint, it is important. Can A Cat Walk On A Dislocated Hip.
From www.petmd.com
Hip Dysplasia in Cats PetMD Can A Cat Walk On A Dislocated Hip If your cat has a dislocated joint, it needs to be looked by a veterinarian in order to get a proper diagnosis and treatment. Learn more about dislocated hips in cats and whether they have the ability to heal on their own. Hip dislocation, from hip dysplasia or from injury,. When the round ligament of the hip joint in a. Can A Cat Walk On A Dislocated Hip.
From www.wikihow.com
3 Ways to Help a Cat Recover from Hip Dislocation Surgery Can A Cat Walk On A Dislocated Hip If you suspect your cat has a dislocated joint, it is important to seek veterinary care immediately to prevent further damage and ensure proper. While some cats may spontaneously heal from a dislocated hip without medical intervention, there are several potential risks and complications associated with this approach. Hip dislocation, from hip dysplasia or from injury,. Learn more about dislocated. Can A Cat Walk On A Dislocated Hip.
From www.catwatchnewsletter.com
Cats Hide Signs of Hip Dysplasia Catwatch Newsletter Can A Cat Walk On A Dislocated Hip Hip dislocation, from hip dysplasia or from injury,. Your veterinarian will be able to do testing to assess the extent of the dislocation and then should start treatment so that your cat regains its mobility. Subluxation refers to dislocation with no damage to these surrounding parts. While some cats may spontaneously heal from a dislocated hip without medical intervention, there. Can A Cat Walk On A Dislocated Hip.
From 2010vets.blogspot.com
Veterinary, Photography and Travel Stories for vet students and pet Can A Cat Walk On A Dislocated Hip If your cat has a dislocated joint, it needs to be looked by a veterinarian in order to get a proper diagnosis and treatment. When the round ligament of the hip joint in a cat ruptures or stretches out, the top of the femur can dislocate from the socket of the pelvis. While some cats may spontaneously heal from a. Can A Cat Walk On A Dislocated Hip.
From www.sinpets.com
veterinary medicine, surgery, singapore, toa payoh vets, dogs, cats Can A Cat Walk On A Dislocated Hip Your veterinarian will be able to do testing to assess the extent of the dislocation and then should start treatment so that your cat regains its mobility. Subluxation refers to dislocation with no damage to these surrounding parts. When the round ligament of the hip joint in a cat ruptures or stretches out, the top of the femur can dislocate. Can A Cat Walk On A Dislocated Hip.
From zoonerdy.com
Can A Cat Heal A Dislocated Hip On Their Own Can A Cat Walk On A Dislocated Hip Your veterinarian will be able to do testing to assess the extent of the dislocation and then should start treatment so that your cat regains its mobility. While some cats may spontaneously heal from a dislocated hip without medical intervention, there are several potential risks and complications associated with this approach. Learn more about dislocated hips in cats and whether. Can A Cat Walk On A Dislocated Hip.
From petshun.com
Can A Cat Heal A Dislocated Hip Without Medical Intervention? PetShun Can A Cat Walk On A Dislocated Hip Subluxation refers to dislocation with no damage to these surrounding parts. While some cats may spontaneously heal from a dislocated hip without medical intervention, there are several potential risks and complications associated with this approach. Hip dislocation, from hip dysplasia or from injury,. Learn more about dislocated hips in cats and whether they have the ability to heal on their. Can A Cat Walk On A Dislocated Hip.
From www.wikihow.pet
How to Diagnose and Treat Dislocated Joints in Cats 11 Steps Can A Cat Walk On A Dislocated Hip Subluxation refers to dislocation with no damage to these surrounding parts. Hip dislocation, from hip dysplasia or from injury,. When the round ligament of the hip joint in a cat ruptures or stretches out, the top of the femur can dislocate from the socket of the pelvis. If your cat has a dislocated joint, it needs to be looked by. Can A Cat Walk On A Dislocated Hip.
From 2010vets.blogspot.com
Veterinary, Photography and Travel Stories for vet students and pet Can A Cat Walk On A Dislocated Hip While some cats may spontaneously heal from a dislocated hip without medical intervention, there are several potential risks and complications associated with this approach. Your veterinarian will be able to do testing to assess the extent of the dislocation and then should start treatment so that your cat regains its mobility. Hip dislocation, from hip dysplasia or from injury,. If. Can A Cat Walk On A Dislocated Hip.
From armstrongpethospital.com
Hip Surgery Armstrong Pet Hospital for cats, dogs, pets, animals Can A Cat Walk On A Dislocated Hip While some cats may spontaneously heal from a dislocated hip without medical intervention, there are several potential risks and complications associated with this approach. Learn more about dislocated hips in cats and whether they have the ability to heal on their own. Hip dislocation, from hip dysplasia or from injury,. Subluxation refers to dislocation with no damage to these surrounding. Can A Cat Walk On A Dislocated Hip.
From 2010vets.blogspot.com
2010vets 2978. A cat has dislocated left hip Can A Cat Walk On A Dislocated Hip If your cat has a dislocated joint, it needs to be looked by a veterinarian in order to get a proper diagnosis and treatment. Your veterinarian will be able to do testing to assess the extent of the dislocation and then should start treatment so that your cat regains its mobility. Subluxation refers to dislocation with no damage to these. Can A Cat Walk On A Dislocated Hip.
From 2010vets.blogspot.com
Veterinary, Photography and Travel Stories for vet students and pet Can A Cat Walk On A Dislocated Hip Your veterinarian will be able to do testing to assess the extent of the dislocation and then should start treatment so that your cat regains its mobility. While some cats may spontaneously heal from a dislocated hip without medical intervention, there are several potential risks and complications associated with this approach. When the round ligament of the hip joint in. Can A Cat Walk On A Dislocated Hip.
From www.justanswer.com
Looks like my cat dislocated his hip or back legs can't walk he sways Can A Cat Walk On A Dislocated Hip Your veterinarian will be able to do testing to assess the extent of the dislocation and then should start treatment so that your cat regains its mobility. Subluxation refers to dislocation with no damage to these surrounding parts. Learn more about dislocated hips in cats and whether they have the ability to heal on their own. While some cats may. Can A Cat Walk On A Dislocated Hip.
From www.semanticscholar.org
Figure 2 from Feline hip dysplasia Semantic Scholar Can A Cat Walk On A Dislocated Hip If your cat has a dislocated joint, it needs to be looked by a veterinarian in order to get a proper diagnosis and treatment. While some cats may spontaneously heal from a dislocated hip without medical intervention, there are several potential risks and complications associated with this approach. If you suspect your cat has a dislocated joint, it is important. Can A Cat Walk On A Dislocated Hip.
From www.justanswer.com
Looks like my cat dislocated his hip or back legs can't walk he sways Can A Cat Walk On A Dislocated Hip Your veterinarian will be able to do testing to assess the extent of the dislocation and then should start treatment so that your cat regains its mobility. If you suspect your cat has a dislocated joint, it is important to seek veterinary care immediately to prevent further damage and ensure proper. When the round ligament of the hip joint in. Can A Cat Walk On A Dislocated Hip.
From www.youtube.com
A cat is limping on her hind leg. What to do? Hip dislocation YouTube Can A Cat Walk On A Dislocated Hip Hip dislocation, from hip dysplasia or from injury,. Learn more about dislocated hips in cats and whether they have the ability to heal on their own. Subluxation refers to dislocation with no damage to these surrounding parts. While some cats may spontaneously heal from a dislocated hip without medical intervention, there are several potential risks and complications associated with this. Can A Cat Walk On A Dislocated Hip.
From www.wikihow.pet
How to Diagnose and Treat Dislocated Joints in Cats 11 Steps Can A Cat Walk On A Dislocated Hip Learn more about dislocated hips in cats and whether they have the ability to heal on their own. Subluxation refers to dislocation with no damage to these surrounding parts. When the round ligament of the hip joint in a cat ruptures or stretches out, the top of the femur can dislocate from the socket of the pelvis. While some cats. Can A Cat Walk On A Dislocated Hip.
From 2010vets.blogspot.com
Veterinary, Photography and Travel Stories for vet students and pet Can A Cat Walk On A Dislocated Hip Learn more about dislocated hips in cats and whether they have the ability to heal on their own. Your veterinarian will be able to do testing to assess the extent of the dislocation and then should start treatment so that your cat regains its mobility. When the round ligament of the hip joint in a cat ruptures or stretches out,. Can A Cat Walk On A Dislocated Hip.
From www.youtube.com
Cat Dislocated Elbow Repaired with Circumferential Suture Technique Can A Cat Walk On A Dislocated Hip If you suspect your cat has a dislocated joint, it is important to seek veterinary care immediately to prevent further damage and ensure proper. When the round ligament of the hip joint in a cat ruptures or stretches out, the top of the femur can dislocate from the socket of the pelvis. Learn more about dislocated hips in cats and. Can A Cat Walk On A Dislocated Hip.
From krebbeling75642mgl.blogspot.com
28 HQ Photos Cat Dislocated Hip Symptoms / Hip dislocation Wikipedia Can A Cat Walk On A Dislocated Hip Hip dislocation, from hip dysplasia or from injury,. If your cat has a dislocated joint, it needs to be looked by a veterinarian in order to get a proper diagnosis and treatment. Your veterinarian will be able to do testing to assess the extent of the dislocation and then should start treatment so that your cat regains its mobility. When. Can A Cat Walk On A Dislocated Hip.
From www.youtube.com
Cat's recovery from a dislocated hip YouTube Can A Cat Walk On A Dislocated Hip If you suspect your cat has a dislocated joint, it is important to seek veterinary care immediately to prevent further damage and ensure proper. Subluxation refers to dislocation with no damage to these surrounding parts. Learn more about dislocated hips in cats and whether they have the ability to heal on their own. When the round ligament of the hip. Can A Cat Walk On A Dislocated Hip.
From www.meowlovers.com
Joint Dislocation In Cats What Do You Need To Know About It? Cat Lovers Can A Cat Walk On A Dislocated Hip While some cats may spontaneously heal from a dislocated hip without medical intervention, there are several potential risks and complications associated with this approach. Learn more about dislocated hips in cats and whether they have the ability to heal on their own. Subluxation refers to dislocation with no damage to these surrounding parts. If you suspect your cat has a. Can A Cat Walk On A Dislocated Hip.
From www.brisbanepetsurgery.com.au
Ziggy 4 year old Rag Doll cat with right hind dislocated hip surgery Can A Cat Walk On A Dislocated Hip Hip dislocation, from hip dysplasia or from injury,. When the round ligament of the hip joint in a cat ruptures or stretches out, the top of the femur can dislocate from the socket of the pelvis. While some cats may spontaneously heal from a dislocated hip without medical intervention, there are several potential risks and complications associated with this approach.. Can A Cat Walk On A Dislocated Hip.
From journals.sagepub.com
Traumatic joint luxations in cats Reduce, repair, replace, remove Can A Cat Walk On A Dislocated Hip Subluxation refers to dislocation with no damage to these surrounding parts. If you suspect your cat has a dislocated joint, it is important to seek veterinary care immediately to prevent further damage and ensure proper. While some cats may spontaneously heal from a dislocated hip without medical intervention, there are several potential risks and complications associated with this approach. When. Can A Cat Walk On A Dislocated Hip.
From allspetsanimal.netlify.app
42 Cat Dislocated Hip Recovery Time Collection Animal lovers love to Can A Cat Walk On A Dislocated Hip Your veterinarian will be able to do testing to assess the extent of the dislocation and then should start treatment so that your cat regains its mobility. If you suspect your cat has a dislocated joint, it is important to seek veterinary care immediately to prevent further damage and ensure proper. While some cats may spontaneously heal from a dislocated. Can A Cat Walk On A Dislocated Hip.
From raulmailoseugrupodeinvestigacion.blogspot.com
48 HQ Photos Cat Hip Dislocation Surgery / Joint Dislocation In Cats Can A Cat Walk On A Dislocated Hip Subluxation refers to dislocation with no damage to these surrounding parts. If you suspect your cat has a dislocated joint, it is important to seek veterinary care immediately to prevent further damage and ensure proper. Hip dislocation, from hip dysplasia or from injury,. Your veterinarian will be able to do testing to assess the extent of the dislocation and then. Can A Cat Walk On A Dislocated Hip.
From healingpicks.com
Can Cats SelfHeal a Dislocated Hip? Find Out! Healing Picks Can A Cat Walk On A Dislocated Hip Hip dislocation, from hip dysplasia or from injury,. If your cat has a dislocated joint, it needs to be looked by a veterinarian in order to get a proper diagnosis and treatment. If you suspect your cat has a dislocated joint, it is important to seek veterinary care immediately to prevent further damage and ensure proper. When the round ligament. Can A Cat Walk On A Dislocated Hip.