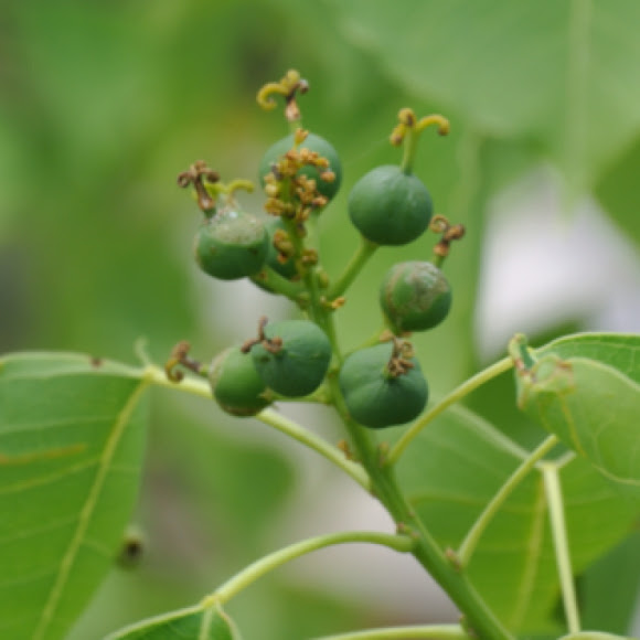
What Does A Tallow Tree Look Like . chinese tallow tree (triadica sebifera) is a nonnative, invasive tree whose decaying leaf litter alters water quality and the microbial community in. the common name comes from the waxy tallow derived from the white covering of the seed that has been used historically to. The first of its kind were introduced from china to georgia and south. Before the leaves drop in fall, they turn from green to beautiful shades of red, gold, orange, and purple. This monoecious plant produces male. the chinese tallow tree is often called a “popcorn tree” because of its seeds. Yes, the chinese tallow tree is a serious invader that can displace. Although chinese tallow trees (triadica sebifera) are becoming more popular in this country, not everyone has heard of them or seen them. the chinese tallow tree, or triadica sebifera, has two origins in the us. This deciduous tree puts on a magnificent autumn display. what is a chinese tallow tree?
from www.booyongconservation.com
The first of its kind were introduced from china to georgia and south. the chinese tallow tree, or triadica sebifera, has two origins in the us. Yes, the chinese tallow tree is a serious invader that can displace. the common name comes from the waxy tallow derived from the white covering of the seed that has been used historically to. This deciduous tree puts on a magnificent autumn display. This monoecious plant produces male. Before the leaves drop in fall, they turn from green to beautiful shades of red, gold, orange, and purple. the chinese tallow tree is often called a “popcorn tree” because of its seeds. what is a chinese tallow tree? chinese tallow tree (triadica sebifera) is a nonnative, invasive tree whose decaying leaf litter alters water quality and the microbial community in.
Tallowwood Tree
What Does A Tallow Tree Look Like Before the leaves drop in fall, they turn from green to beautiful shades of red, gold, orange, and purple. Yes, the chinese tallow tree is a serious invader that can displace. the chinese tallow tree, or triadica sebifera, has two origins in the us. what is a chinese tallow tree? The first of its kind were introduced from china to georgia and south. chinese tallow tree (triadica sebifera) is a nonnative, invasive tree whose decaying leaf litter alters water quality and the microbial community in. Before the leaves drop in fall, they turn from green to beautiful shades of red, gold, orange, and purple. Although chinese tallow trees (triadica sebifera) are becoming more popular in this country, not everyone has heard of them or seen them. the chinese tallow tree is often called a “popcorn tree” because of its seeds. This monoecious plant produces male. This deciduous tree puts on a magnificent autumn display. the common name comes from the waxy tallow derived from the white covering of the seed that has been used historically to.
From www.flowerpower.com.au
Chinese Tallow Tree What Does A Tallow Tree Look Like This monoecious plant produces male. Although chinese tallow trees (triadica sebifera) are becoming more popular in this country, not everyone has heard of them or seen them. what is a chinese tallow tree? The first of its kind were introduced from china to georgia and south. the common name comes from the waxy tallow derived from the white. What Does A Tallow Tree Look Like.
From www.gardeningknowhow.com
Chinese Tallow Tree Information Tips On Chinese Tallow Care In The What Does A Tallow Tree Look Like what is a chinese tallow tree? the chinese tallow tree, or triadica sebifera, has two origins in the us. chinese tallow tree (triadica sebifera) is a nonnative, invasive tree whose decaying leaf litter alters water quality and the microbial community in. Before the leaves drop in fall, they turn from green to beautiful shades of red, gold,. What Does A Tallow Tree Look Like.
From www.projectnoah.org
Chinese Tallow tree Project Noah What Does A Tallow Tree Look Like Yes, the chinese tallow tree is a serious invader that can displace. Although chinese tallow trees (triadica sebifera) are becoming more popular in this country, not everyone has heard of them or seen them. the common name comes from the waxy tallow derived from the white covering of the seed that has been used historically to. the chinese. What Does A Tallow Tree Look Like.
From www.aces.edu
Management Options for Chinese Tallowtree Alabama Cooperative What Does A Tallow Tree Look Like Although chinese tallow trees (triadica sebifera) are becoming more popular in this country, not everyone has heard of them or seen them. Before the leaves drop in fall, they turn from green to beautiful shades of red, gold, orange, and purple. the chinese tallow tree, or triadica sebifera, has two origins in the us. the common name comes. What Does A Tallow Tree Look Like.
From www.arborwest.com.au
Chinese Tallow Deciduous Trees Mature Perth WA What Does A Tallow Tree Look Like This deciduous tree puts on a magnificent autumn display. chinese tallow tree (triadica sebifera) is a nonnative, invasive tree whose decaying leaf litter alters water quality and the microbial community in. the common name comes from the waxy tallow derived from the white covering of the seed that has been used historically to. This monoecious plant produces male.. What Does A Tallow Tree Look Like.
From stardustenglishwriting.blogspot.com
Stardust Talk Spectral colors of 南京櫨, Chinese Tallow Tree What Does A Tallow Tree Look Like what is a chinese tallow tree? The first of its kind were introduced from china to georgia and south. the common name comes from the waxy tallow derived from the white covering of the seed that has been used historically to. Before the leaves drop in fall, they turn from green to beautiful shades of red, gold, orange,. What Does A Tallow Tree Look Like.
From rangeplants.tamu.edu
Plants of Texas Rangelands » Chinese tallow tree What Does A Tallow Tree Look Like the common name comes from the waxy tallow derived from the white covering of the seed that has been used historically to. This deciduous tree puts on a magnificent autumn display. Although chinese tallow trees (triadica sebifera) are becoming more popular in this country, not everyone has heard of them or seen them. Before the leaves drop in fall,. What Does A Tallow Tree Look Like.
From treesofsantacruzcounty.blogspot.com
Trees of Santa Cruz County Triadica sebifera Chinese Tallow Tree What Does A Tallow Tree Look Like what is a chinese tallow tree? the chinese tallow tree, or triadica sebifera, has two origins in the us. This deciduous tree puts on a magnificent autumn display. chinese tallow tree (triadica sebifera) is a nonnative, invasive tree whose decaying leaf litter alters water quality and the microbial community in. The first of its kind were introduced. What Does A Tallow Tree Look Like.
From www.britannica.com
Tallow tree Chinese Tallow, Chinese Poplar, FastGrowing Britannica What Does A Tallow Tree Look Like This monoecious plant produces male. chinese tallow tree (triadica sebifera) is a nonnative, invasive tree whose decaying leaf litter alters water quality and the microbial community in. Although chinese tallow trees (triadica sebifera) are becoming more popular in this country, not everyone has heard of them or seen them. the chinese tallow tree, or triadica sebifera, has two. What Does A Tallow Tree Look Like.
From lh2treeid.blogspot.com
Tree Identification Sapium sebiferum Chinese Tallow Tree What Does A Tallow Tree Look Like Before the leaves drop in fall, they turn from green to beautiful shades of red, gold, orange, and purple. The first of its kind were introduced from china to georgia and south. Yes, the chinese tallow tree is a serious invader that can displace. the chinese tallow tree is often called a “popcorn tree” because of its seeds. This. What Does A Tallow Tree Look Like.
From www.invasive.org
Chinese tallowtree (Triadica sebifera) What Does A Tallow Tree Look Like the common name comes from the waxy tallow derived from the white covering of the seed that has been used historically to. This monoecious plant produces male. The first of its kind were introduced from china to georgia and south. This deciduous tree puts on a magnificent autumn display. Although chinese tallow trees (triadica sebifera) are becoming more popular. What Does A Tallow Tree Look Like.
From www.alamy.com
Sapium sebiferum,Chinese tallow tree, popcorn tree Stock Photo Alamy What Does A Tallow Tree Look Like Although chinese tallow trees (triadica sebifera) are becoming more popular in this country, not everyone has heard of them or seen them. the chinese tallow tree is often called a “popcorn tree” because of its seeds. This monoecious plant produces male. the chinese tallow tree, or triadica sebifera, has two origins in the us. chinese tallow tree. What Does A Tallow Tree Look Like.
From rangeplants.tamu.edu
Plants of Texas Rangelands » Chinese tallow tree What Does A Tallow Tree Look Like The first of its kind were introduced from china to georgia and south. Before the leaves drop in fall, they turn from green to beautiful shades of red, gold, orange, and purple. the chinese tallow tree, or triadica sebifera, has two origins in the us. what is a chinese tallow tree? Yes, the chinese tallow tree is a. What Does A Tallow Tree Look Like.
From www.aces.edu
Management Options for Chinese Tallowtree Alabama Cooperative What Does A Tallow Tree Look Like This deciduous tree puts on a magnificent autumn display. Before the leaves drop in fall, they turn from green to beautiful shades of red, gold, orange, and purple. chinese tallow tree (triadica sebifera) is a nonnative, invasive tree whose decaying leaf litter alters water quality and the microbial community in. Although chinese tallow trees (triadica sebifera) are becoming more. What Does A Tallow Tree Look Like.
From www.dreamstime.com
Chinese Tallow Tree Triadica Sebifera Blooms, Blossom, Flowers in What Does A Tallow Tree Look Like chinese tallow tree (triadica sebifera) is a nonnative, invasive tree whose decaying leaf litter alters water quality and the microbial community in. This deciduous tree puts on a magnificent autumn display. The first of its kind were introduced from china to georgia and south. Although chinese tallow trees (triadica sebifera) are becoming more popular in this country, not everyone. What Does A Tallow Tree Look Like.
From www.inaturalist.org
Chinese tallowtree (Plants of Overton Park's Old Forest, Memphis, TN What Does A Tallow Tree Look Like Although chinese tallow trees (triadica sebifera) are becoming more popular in this country, not everyone has heard of them or seen them. the common name comes from the waxy tallow derived from the white covering of the seed that has been used historically to. The first of its kind were introduced from china to georgia and south. chinese. What Does A Tallow Tree Look Like.
From kidadl.com
31 Chinese Tallow Tree Facts Identification And Lifespan Revealed Kidadl What Does A Tallow Tree Look Like the chinese tallow tree, or triadica sebifera, has two origins in the us. This deciduous tree puts on a magnificent autumn display. the common name comes from the waxy tallow derived from the white covering of the seed that has been used historically to. Although chinese tallow trees (triadica sebifera) are becoming more popular in this country, not. What Does A Tallow Tree Look Like.
From garden.org
Photo of the entire plant of Chinese Tallow Tree (Triadica sebifera What Does A Tallow Tree Look Like This deciduous tree puts on a magnificent autumn display. Before the leaves drop in fall, they turn from green to beautiful shades of red, gold, orange, and purple. the chinese tallow tree, or triadica sebifera, has two origins in the us. Yes, the chinese tallow tree is a serious invader that can displace. chinese tallow tree (triadica sebifera). What Does A Tallow Tree Look Like.
From rangeplants.tamu.edu
Plants of Texas Rangelands » Chinese tallow tree What Does A Tallow Tree Look Like This monoecious plant produces male. The first of its kind were introduced from china to georgia and south. what is a chinese tallow tree? the chinese tallow tree, or triadica sebifera, has two origins in the us. Yes, the chinese tallow tree is a serious invader that can displace. the chinese tallow tree is often called a. What Does A Tallow Tree Look Like.
From treesofsantacruzcounty.blogspot.com
Trees of Santa Cruz County Triadica sebifera Chinese Tallow Tree What Does A Tallow Tree Look Like the chinese tallow tree, or triadica sebifera, has two origins in the us. what is a chinese tallow tree? Yes, the chinese tallow tree is a serious invader that can displace. This deciduous tree puts on a magnificent autumn display. the common name comes from the waxy tallow derived from the white covering of the seed that. What Does A Tallow Tree Look Like.
From www.alamy.com
The Chinese tallow tree has beautiful fall foliage and delicate green What Does A Tallow Tree Look Like This monoecious plant produces male. Before the leaves drop in fall, they turn from green to beautiful shades of red, gold, orange, and purple. the chinese tallow tree, or triadica sebifera, has two origins in the us. the common name comes from the waxy tallow derived from the white covering of the seed that has been used historically. What Does A Tallow Tree Look Like.
From www.projectnoah.org
Popcorn tree, Chinese tallow Project Noah What Does A Tallow Tree Look Like the chinese tallow tree is often called a “popcorn tree” because of its seeds. Although chinese tallow trees (triadica sebifera) are becoming more popular in this country, not everyone has heard of them or seen them. the chinese tallow tree, or triadica sebifera, has two origins in the us. chinese tallow tree (triadica sebifera) is a nonnative,. What Does A Tallow Tree Look Like.
From www.uaex.uada.edu
Chinese Tallow Tree What Does A Tallow Tree Look Like Although chinese tallow trees (triadica sebifera) are becoming more popular in this country, not everyone has heard of them or seen them. the common name comes from the waxy tallow derived from the white covering of the seed that has been used historically to. Yes, the chinese tallow tree is a serious invader that can displace. The first of. What Does A Tallow Tree Look Like.
From www.haufc.org
Chinese Tallow — Houston Area Urban Forestry Council What Does A Tallow Tree Look Like Although chinese tallow trees (triadica sebifera) are becoming more popular in this country, not everyone has heard of them or seen them. the chinese tallow tree, or triadica sebifera, has two origins in the us. The first of its kind were introduced from china to georgia and south. This deciduous tree puts on a magnificent autumn display. what. What Does A Tallow Tree Look Like.
From myplantin.com
Chinese Tallow Tree Plant Care & Growing Basics Water, Light, Soil What Does A Tallow Tree Look Like the chinese tallow tree, or triadica sebifera, has two origins in the us. Yes, the chinese tallow tree is a serious invader that can displace. This monoecious plant produces male. Before the leaves drop in fall, they turn from green to beautiful shades of red, gold, orange, and purple. This deciduous tree puts on a magnificent autumn display. . What Does A Tallow Tree Look Like.
From treesofsantacruzcounty.blogspot.com
Trees of Santa Cruz County Triadica sebifera Chinese Tallow Tree What Does A Tallow Tree Look Like The first of its kind were introduced from china to georgia and south. the chinese tallow tree is often called a “popcorn tree” because of its seeds. chinese tallow tree (triadica sebifera) is a nonnative, invasive tree whose decaying leaf litter alters water quality and the microbial community in. Although chinese tallow trees (triadica sebifera) are becoming more. What Does A Tallow Tree Look Like.
From www.gointhewilderness.com
Is the Chinese Tallow Tree Good for Firewood? Go In The Wilderness What Does A Tallow Tree Look Like chinese tallow tree (triadica sebifera) is a nonnative, invasive tree whose decaying leaf litter alters water quality and the microbial community in. Before the leaves drop in fall, they turn from green to beautiful shades of red, gold, orange, and purple. the common name comes from the waxy tallow derived from the white covering of the seed that. What Does A Tallow Tree Look Like.
From www.arborwest.com.au
Chinese Tallow Deciduous Trees Mature Perth WA What Does A Tallow Tree Look Like Yes, the chinese tallow tree is a serious invader that can displace. The first of its kind were introduced from china to georgia and south. This deciduous tree puts on a magnificent autumn display. the chinese tallow tree, or triadica sebifera, has two origins in the us. the common name comes from the waxy tallow derived from the. What Does A Tallow Tree Look Like.
From www.flickr.com
Chinese tallow tree Taxon Triadica sebifera Synonym Sapi… Flickr What Does A Tallow Tree Look Like Before the leaves drop in fall, they turn from green to beautiful shades of red, gold, orange, and purple. This deciduous tree puts on a magnificent autumn display. The first of its kind were introduced from china to georgia and south. This monoecious plant produces male. the common name comes from the waxy tallow derived from the white covering. What Does A Tallow Tree Look Like.
From www.booyongconservation.com
Tallowwood Tree What Does A Tallow Tree Look Like the chinese tallow tree, or triadica sebifera, has two origins in the us. Although chinese tallow trees (triadica sebifera) are becoming more popular in this country, not everyone has heard of them or seen them. chinese tallow tree (triadica sebifera) is a nonnative, invasive tree whose decaying leaf litter alters water quality and the microbial community in. Yes,. What Does A Tallow Tree Look Like.
From treesofsantacruzcounty.blogspot.com
Trees of Santa Cruz County Triadica sebifera Chinese Tallow Tree What Does A Tallow Tree Look Like This deciduous tree puts on a magnificent autumn display. the common name comes from the waxy tallow derived from the white covering of the seed that has been used historically to. chinese tallow tree (triadica sebifera) is a nonnative, invasive tree whose decaying leaf litter alters water quality and the microbial community in. the chinese tallow tree. What Does A Tallow Tree Look Like.
From treesofsantacruzcounty.blogspot.com
Trees of Santa Cruz County Triadica sebifera Chinese Tallow Tree What Does A Tallow Tree Look Like The first of its kind were introduced from china to georgia and south. the chinese tallow tree, or triadica sebifera, has two origins in the us. what is a chinese tallow tree? This deciduous tree puts on a magnificent autumn display. This monoecious plant produces male. Before the leaves drop in fall, they turn from green to beautiful. What Does A Tallow Tree Look Like.
From www.potplantheavenperth.com
Chinese Tallow Tree potplantheavenperth What Does A Tallow Tree Look Like the chinese tallow tree, or triadica sebifera, has two origins in the us. Yes, the chinese tallow tree is a serious invader that can displace. the common name comes from the waxy tallow derived from the white covering of the seed that has been used historically to. Before the leaves drop in fall, they turn from green to. What Does A Tallow Tree Look Like.
From www.alamy.com
The leaves of the chinese tallow tree are red when they first appear in What Does A Tallow Tree Look Like the common name comes from the waxy tallow derived from the white covering of the seed that has been used historically to. Yes, the chinese tallow tree is a serious invader that can displace. the chinese tallow tree is often called a “popcorn tree” because of its seeds. This deciduous tree puts on a magnificent autumn display. The. What Does A Tallow Tree Look Like.
From www.walterreeves.com
Chinese Tallow Tree Identification Walter Reeves The Gardener What Does A Tallow Tree Look Like Yes, the chinese tallow tree is a serious invader that can displace. the common name comes from the waxy tallow derived from the white covering of the seed that has been used historically to. This deciduous tree puts on a magnificent autumn display. This monoecious plant produces male. the chinese tallow tree, or triadica sebifera, has two origins. What Does A Tallow Tree Look Like.