Which Statement About The Hotspot At Hawaii Is False . Hawai'i, that honeymoon destination known for stunning sunsets, has a dark secret—it’s a geologically violent place. Geologists believe it is actually much older. Study with quizlet and memorize flashcards containing terms like which of the following statements is true regarding hotspots?, choose. The age of volcanic rock in hawaiian islands gest progressively older to the west. As a result, they are less explosive than subduction zone volcanoes, in which water is trapped under the overriding plate. Hot spot seamounts that reach the surface of the water can create entire chains of islands, such as the u.s. Scientists think that this volcanic chain. Which statement about the hotspots at hawaii is false? That’s because the hawaiian islands were born. Most hotspot volcanoes are basaltic (e.g., hawaii, tahiti). Scientific evidence indicates the hawaiian hotspot is at least 80 million years old.
from courses.lumenlearning.com
Hot spot seamounts that reach the surface of the water can create entire chains of islands, such as the u.s. Which statement about the hotspots at hawaii is false? Geologists believe it is actually much older. Study with quizlet and memorize flashcards containing terms like which of the following statements is true regarding hotspots?, choose. Scientists think that this volcanic chain. As a result, they are less explosive than subduction zone volcanoes, in which water is trapped under the overriding plate. Scientific evidence indicates the hawaiian hotspot is at least 80 million years old. Hawai'i, that honeymoon destination known for stunning sunsets, has a dark secret—it’s a geologically violent place. The age of volcanic rock in hawaiian islands gest progressively older to the west. Most hotspot volcanoes are basaltic (e.g., hawaii, tahiti).
Reading Hot Spots Geology
Which Statement About The Hotspot At Hawaii Is False Most hotspot volcanoes are basaltic (e.g., hawaii, tahiti). Hot spot seamounts that reach the surface of the water can create entire chains of islands, such as the u.s. Which statement about the hotspots at hawaii is false? As a result, they are less explosive than subduction zone volcanoes, in which water is trapped under the overriding plate. The age of volcanic rock in hawaiian islands gest progressively older to the west. That’s because the hawaiian islands were born. Scientists think that this volcanic chain. Scientific evidence indicates the hawaiian hotspot is at least 80 million years old. Most hotspot volcanoes are basaltic (e.g., hawaii, tahiti). Hawai'i, that honeymoon destination known for stunning sunsets, has a dark secret—it’s a geologically violent place. Study with quizlet and memorize flashcards containing terms like which of the following statements is true regarding hotspots?, choose. Geologists believe it is actually much older.
From www.britannica.com
hotspot volcano geology Britannica Which Statement About The Hotspot At Hawaii Is False Study with quizlet and memorize flashcards containing terms like which of the following statements is true regarding hotspots?, choose. As a result, they are less explosive than subduction zone volcanoes, in which water is trapped under the overriding plate. That’s because the hawaiian islands were born. Scientific evidence indicates the hawaiian hotspot is at least 80 million years old. Most. Which Statement About The Hotspot At Hawaii Is False.
From www.nature.com
Hotspot motion caused the HawaiianEmperor Bend and LLSVPs are not Which Statement About The Hotspot At Hawaii Is False Scientific evidence indicates the hawaiian hotspot is at least 80 million years old. As a result, they are less explosive than subduction zone volcanoes, in which water is trapped under the overriding plate. That’s because the hawaiian islands were born. Scientists think that this volcanic chain. Study with quizlet and memorize flashcards containing terms like which of the following statements. Which Statement About The Hotspot At Hawaii Is False.
From www.washingtonpost.com
‘BALLISTIC MISSILE THREAT INBOUND TO HAWAII,’ the alert screamed. It Which Statement About The Hotspot At Hawaii Is False That’s because the hawaiian islands were born. Hawai'i, that honeymoon destination known for stunning sunsets, has a dark secret—it’s a geologically violent place. As a result, they are less explosive than subduction zone volcanoes, in which water is trapped under the overriding plate. Hot spot seamounts that reach the surface of the water can create entire chains of islands, such. Which Statement About The Hotspot At Hawaii Is False.
From www.cbsnews.com
Deep sea volcano off Hawaii is a hotspot for mysterious life CBS News Which Statement About The Hotspot At Hawaii Is False The age of volcanic rock in hawaiian islands gest progressively older to the west. Scientific evidence indicates the hawaiian hotspot is at least 80 million years old. That’s because the hawaiian islands were born. As a result, they are less explosive than subduction zone volcanoes, in which water is trapped under the overriding plate. Hawai'i, that honeymoon destination known for. Which Statement About The Hotspot At Hawaii Is False.
From www.haikudeck.com
Plate Tectonics by Aras Stungys Which Statement About The Hotspot At Hawaii Is False Geologists believe it is actually much older. As a result, they are less explosive than subduction zone volcanoes, in which water is trapped under the overriding plate. Which statement about the hotspots at hawaii is false? The age of volcanic rock in hawaiian islands gest progressively older to the west. Most hotspot volcanoes are basaltic (e.g., hawaii, tahiti). Scientists think. Which Statement About The Hotspot At Hawaii Is False.
From www.science.org
The Bent HawaiianEmperor Hotspot Track Inheriting the Mantle Wind Which Statement About The Hotspot At Hawaii Is False That’s because the hawaiian islands were born. The age of volcanic rock in hawaiian islands gest progressively older to the west. Scientific evidence indicates the hawaiian hotspot is at least 80 million years old. Geologists believe it is actually much older. Hawai'i, that honeymoon destination known for stunning sunsets, has a dark secret—it’s a geologically violent place. As a result,. Which Statement About The Hotspot At Hawaii Is False.
From www.nps.gov
Oceanic Hotspots Geology (U.S. National Park Service) Which Statement About The Hotspot At Hawaii Is False The age of volcanic rock in hawaiian islands gest progressively older to the west. Study with quizlet and memorize flashcards containing terms like which of the following statements is true regarding hotspots?, choose. Geologists believe it is actually much older. Scientific evidence indicates the hawaiian hotspot is at least 80 million years old. Hawai'i, that honeymoon destination known for stunning. Which Statement About The Hotspot At Hawaii Is False.
From sanctuaries.noaa.gov
Papahānaumokuākea 2009 Condition Report Which Statement About The Hotspot At Hawaii Is False Hot spot seamounts that reach the surface of the water can create entire chains of islands, such as the u.s. Most hotspot volcanoes are basaltic (e.g., hawaii, tahiti). Hawai'i, that honeymoon destination known for stunning sunsets, has a dark secret—it’s a geologically violent place. As a result, they are less explosive than subduction zone volcanoes, in which water is trapped. Which Statement About The Hotspot At Hawaii Is False.
From phys.org
Another clue for fast motion of the Hawaiian hotspot Which Statement About The Hotspot At Hawaii Is False Study with quizlet and memorize flashcards containing terms like which of the following statements is true regarding hotspots?, choose. Hot spot seamounts that reach the surface of the water can create entire chains of islands, such as the u.s. Hawai'i, that honeymoon destination known for stunning sunsets, has a dark secret—it’s a geologically violent place. Which statement about the hotspots. Which Statement About The Hotspot At Hawaii Is False.
From courses.lumenlearning.com
Reading Hot Spots Geology Which Statement About The Hotspot At Hawaii Is False Geologists believe it is actually much older. Scientists think that this volcanic chain. Scientific evidence indicates the hawaiian hotspot is at least 80 million years old. Hot spot seamounts that reach the surface of the water can create entire chains of islands, such as the u.s. Most hotspot volcanoes are basaltic (e.g., hawaii, tahiti). That’s because the hawaiian islands were. Which Statement About The Hotspot At Hawaii Is False.
From www.insurancejournal.com
Hotspot Volcanoes Earthquake Risk in Hawaii Which Statement About The Hotspot At Hawaii Is False Geologists believe it is actually much older. The age of volcanic rock in hawaiian islands gest progressively older to the west. Hot spot seamounts that reach the surface of the water can create entire chains of islands, such as the u.s. As a result, they are less explosive than subduction zone volcanoes, in which water is trapped under the overriding. Which Statement About The Hotspot At Hawaii Is False.
From www.civilbeat.org
How To Better Manage Hawaii’s Tourism Hotspots Honolulu Civil Beat Which Statement About The Hotspot At Hawaii Is False Hawai'i, that honeymoon destination known for stunning sunsets, has a dark secret—it’s a geologically violent place. That’s because the hawaiian islands were born. Most hotspot volcanoes are basaltic (e.g., hawaii, tahiti). As a result, they are less explosive than subduction zone volcanoes, in which water is trapped under the overriding plate. Which statement about the hotspots at hawaii is false?. Which Statement About The Hotspot At Hawaii Is False.
From www.nps.gov
Oceanic Hotspots Geology (U.S. National Park Service) Which Statement About The Hotspot At Hawaii Is False As a result, they are less explosive than subduction zone volcanoes, in which water is trapped under the overriding plate. Study with quizlet and memorize flashcards containing terms like which of the following statements is true regarding hotspots?, choose. Geologists believe it is actually much older. Scientific evidence indicates the hawaiian hotspot is at least 80 million years old. Scientists. Which Statement About The Hotspot At Hawaii Is False.
From www.nps.gov
Oceanic Hotspots Geology (U.S. National Park Service) Which Statement About The Hotspot At Hawaii Is False Geologists believe it is actually much older. As a result, they are less explosive than subduction zone volcanoes, in which water is trapped under the overriding plate. Scientists think that this volcanic chain. Study with quizlet and memorize flashcards containing terms like which of the following statements is true regarding hotspots?, choose. That’s because the hawaiian islands were born. Which. Which Statement About The Hotspot At Hawaii Is False.
From ck12.org
Volcanoes at Hotspots ( Read ) Earth Science CK12 Foundation Which Statement About The Hotspot At Hawaii Is False That’s because the hawaiian islands were born. Which statement about the hotspots at hawaii is false? As a result, they are less explosive than subduction zone volcanoes, in which water is trapped under the overriding plate. Geologists believe it is actually much older. Study with quizlet and memorize flashcards containing terms like which of the following statements is true regarding. Which Statement About The Hotspot At Hawaii Is False.
From www.civilbeat.org
How To Better Manage Hawaii’s Tourism Hotspots Honolulu Civil Beat Which Statement About The Hotspot At Hawaii Is False As a result, they are less explosive than subduction zone volcanoes, in which water is trapped under the overriding plate. Study with quizlet and memorize flashcards containing terms like which of the following statements is true regarding hotspots?, choose. Most hotspot volcanoes are basaltic (e.g., hawaii, tahiti). Hawai'i, that honeymoon destination known for stunning sunsets, has a dark secret—it’s a. Which Statement About The Hotspot At Hawaii Is False.
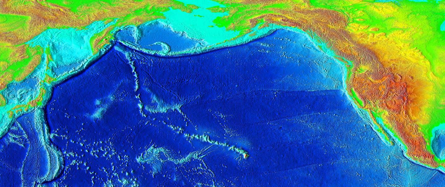
From www.esa.int
ESA Earth from Space Hawaii hotspot in the Pacific Which Statement About The Hotspot At Hawaii Is False As a result, they are less explosive than subduction zone volcanoes, in which water is trapped under the overriding plate. Study with quizlet and memorize flashcards containing terms like which of the following statements is true regarding hotspots?, choose. Hawai'i, that honeymoon destination known for stunning sunsets, has a dark secret—it’s a geologically violent place. Hot spot seamounts that reach. Which Statement About The Hotspot At Hawaii Is False.
From www.today.com
What did Hawaii false alarm reveal about US readiness? Which Statement About The Hotspot At Hawaii Is False Which statement about the hotspots at hawaii is false? Geologists believe it is actually much older. Scientific evidence indicates the hawaiian hotspot is at least 80 million years old. The age of volcanic rock in hawaiian islands gest progressively older to the west. Scientists think that this volcanic chain. That’s because the hawaiian islands were born. Hot spot seamounts that. Which Statement About The Hotspot At Hawaii Is False.
From www.express.co.uk
Hawaiian undersea volcano has erupted five times in past 150 years Which Statement About The Hotspot At Hawaii Is False Study with quizlet and memorize flashcards containing terms like which of the following statements is true regarding hotspots?, choose. The age of volcanic rock in hawaiian islands gest progressively older to the west. Scientists think that this volcanic chain. Most hotspot volcanoes are basaltic (e.g., hawaii, tahiti). As a result, they are less explosive than subduction zone volcanoes, in which. Which Statement About The Hotspot At Hawaii Is False.
From www.insurancejournal.com
Hotspot Volcanoes Earthquake Risk in Hawaii Which Statement About The Hotspot At Hawaii Is False Scientists think that this volcanic chain. The age of volcanic rock in hawaiian islands gest progressively older to the west. That’s because the hawaiian islands were born. Geologists believe it is actually much older. Study with quizlet and memorize flashcards containing terms like which of the following statements is true regarding hotspots?, choose. As a result, they are less explosive. Which Statement About The Hotspot At Hawaii Is False.
From www.nps.gov
Continental Hotspot Geology (U.S. National Park Service) Which Statement About The Hotspot At Hawaii Is False The age of volcanic rock in hawaiian islands gest progressively older to the west. Scientific evidence indicates the hawaiian hotspot is at least 80 million years old. Scientists think that this volcanic chain. Most hotspot volcanoes are basaltic (e.g., hawaii, tahiti). That’s because the hawaiian islands were born. Which statement about the hotspots at hawaii is false? Geologists believe it. Which Statement About The Hotspot At Hawaii Is False.
From www.dw.com
Moving hot spots Scientists explain mystery bend in HawaiiEmperor Which Statement About The Hotspot At Hawaii Is False As a result, they are less explosive than subduction zone volcanoes, in which water is trapped under the overriding plate. The age of volcanic rock in hawaiian islands gest progressively older to the west. That’s because the hawaiian islands were born. Geologists believe it is actually much older. Scientists think that this volcanic chain. Study with quizlet and memorize flashcards. Which Statement About The Hotspot At Hawaii Is False.
From www.haikudeck.com
Copy of Hotspots by Gianna Marinelli Which Statement About The Hotspot At Hawaii Is False The age of volcanic rock in hawaiian islands gest progressively older to the west. Scientists think that this volcanic chain. As a result, they are less explosive than subduction zone volcanoes, in which water is trapped under the overriding plate. Hawai'i, that honeymoon destination known for stunning sunsets, has a dark secret—it’s a geologically violent place. Most hotspot volcanoes are. Which Statement About The Hotspot At Hawaii Is False.
From socratic.org
In what order were the hawaiian islands formed? Socratic Which Statement About The Hotspot At Hawaii Is False Study with quizlet and memorize flashcards containing terms like which of the following statements is true regarding hotspots?, choose. Hot spot seamounts that reach the surface of the water can create entire chains of islands, such as the u.s. That’s because the hawaiian islands were born. Most hotspot volcanoes are basaltic (e.g., hawaii, tahiti). Which statement about the hotspots at. Which Statement About The Hotspot At Hawaii Is False.
From courses.lumenlearning.com
Reading Volcanic Landforms Geology Which Statement About The Hotspot At Hawaii Is False Scientific evidence indicates the hawaiian hotspot is at least 80 million years old. Which statement about the hotspots at hawaii is false? Study with quizlet and memorize flashcards containing terms like which of the following statements is true regarding hotspots?, choose. That’s because the hawaiian islands were born. Scientists think that this volcanic chain. As a result, they are less. Which Statement About The Hotspot At Hawaii Is False.
From www.foxnews.com
Hawaii's false missile threat Worker 'feels terrible' after pushing Which Statement About The Hotspot At Hawaii Is False Geologists believe it is actually much older. As a result, they are less explosive than subduction zone volcanoes, in which water is trapped under the overriding plate. Study with quizlet and memorize flashcards containing terms like which of the following statements is true regarding hotspots?, choose. Scientific evidence indicates the hawaiian hotspot is at least 80 million years old. That’s. Which Statement About The Hotspot At Hawaii Is False.
From www.usatoday.com
The Hawaiian Islands were created by volcanoes Which Statement About The Hotspot At Hawaii Is False Hot spot seamounts that reach the surface of the water can create entire chains of islands, such as the u.s. Scientists think that this volcanic chain. Most hotspot volcanoes are basaltic (e.g., hawaii, tahiti). Study with quizlet and memorize flashcards containing terms like which of the following statements is true regarding hotspots?, choose. Hawai'i, that honeymoon destination known for stunning. Which Statement About The Hotspot At Hawaii Is False.
From www.scirp.org
The Hawaiian Volcanic Hotspot in View of Globally Active Geological Which Statement About The Hotspot At Hawaii Is False Scientists think that this volcanic chain. The age of volcanic rock in hawaiian islands gest progressively older to the west. Hot spot seamounts that reach the surface of the water can create entire chains of islands, such as the u.s. Which statement about the hotspots at hawaii is false? Hawai'i, that honeymoon destination known for stunning sunsets, has a dark. Which Statement About The Hotspot At Hawaii Is False.
From www.nps.gov
Oceanic Hotspots Geology (U.S. National Park Service) Which Statement About The Hotspot At Hawaii Is False Scientists think that this volcanic chain. Scientific evidence indicates the hawaiian hotspot is at least 80 million years old. Study with quizlet and memorize flashcards containing terms like which of the following statements is true regarding hotspots?, choose. As a result, they are less explosive than subduction zone volcanoes, in which water is trapped under the overriding plate. The age. Which Statement About The Hotspot At Hawaii Is False.
From www.nps.gov
Oceanic Hotspots Geology (U.S. National Park Service) Which Statement About The Hotspot At Hawaii Is False As a result, they are less explosive than subduction zone volcanoes, in which water is trapped under the overriding plate. Scientists think that this volcanic chain. Geologists believe it is actually much older. Which statement about the hotspots at hawaii is false? Scientific evidence indicates the hawaiian hotspot is at least 80 million years old. Most hotspot volcanoes are basaltic. Which Statement About The Hotspot At Hawaii Is False.
From home.nps.gov
Volcanoes Hawaiʻi Volcanoes National Park (U.S. National Park Service) Which Statement About The Hotspot At Hawaii Is False Which statement about the hotspots at hawaii is false? Geologists believe it is actually much older. That’s because the hawaiian islands were born. The age of volcanic rock in hawaiian islands gest progressively older to the west. Most hotspot volcanoes are basaltic (e.g., hawaii, tahiti). Scientific evidence indicates the hawaiian hotspot is at least 80 million years old. As a. Which Statement About The Hotspot At Hawaii Is False.
From natgeo.nikkeibp.co.jp
世界最大の火山が覆る、日本東方沖の「タム山塊」 ナショナル ジオグラフィック日本版サイト Which Statement About The Hotspot At Hawaii Is False Study with quizlet and memorize flashcards containing terms like which of the following statements is true regarding hotspots?, choose. Geologists believe it is actually much older. That’s because the hawaiian islands were born. Scientific evidence indicates the hawaiian hotspot is at least 80 million years old. Which statement about the hotspots at hawaii is false? Most hotspot volcanoes are basaltic. Which Statement About The Hotspot At Hawaii Is False.
From phys.org
Hot spot at Hawaii? Not so fast Which Statement About The Hotspot At Hawaii Is False Scientists think that this volcanic chain. Hot spot seamounts that reach the surface of the water can create entire chains of islands, such as the u.s. The age of volcanic rock in hawaiian islands gest progressively older to the west. Most hotspot volcanoes are basaltic (e.g., hawaii, tahiti). As a result, they are less explosive than subduction zone volcanoes, in. Which Statement About The Hotspot At Hawaii Is False.
From www.nps.gov
Oceanic Hotspots Geology (U.S. National Park Service) Which Statement About The Hotspot At Hawaii Is False Which statement about the hotspots at hawaii is false? As a result, they are less explosive than subduction zone volcanoes, in which water is trapped under the overriding plate. Hot spot seamounts that reach the surface of the water can create entire chains of islands, such as the u.s. Scientific evidence indicates the hawaiian hotspot is at least 80 million. Which Statement About The Hotspot At Hawaii Is False.
From www.eurekalert.org
'True polar wander' may have caused ice age EurekAlert! Which Statement About The Hotspot At Hawaii Is False Hot spot seamounts that reach the surface of the water can create entire chains of islands, such as the u.s. Geologists believe it is actually much older. Which statement about the hotspots at hawaii is false? Hawai'i, that honeymoon destination known for stunning sunsets, has a dark secret—it’s a geologically violent place. Scientific evidence indicates the hawaiian hotspot is at. Which Statement About The Hotspot At Hawaii Is False.