Boundary Survey Cost Ireland . For home buyers and property sellers in ireland, understanding the actual condition of a property is essential. Our chartered surveyor will examine your boundary issue and discuss with you the best approach required to resolve the issue. It brings modern international best practice and mediation expertise to irish. How much does a topographical survey cost in ireland? Are surveyors in ireland expensive? Read on and learn a little more… Our blog ‘how much does a house survey cost?’ will give you an indication of the starting survey costs for properties based on their size. This advice can be from either a chartered geomatics surveyor or a chartered surveyor specialising in boundary disputes. Pbi is a land surveying company that focuses specifically on property boundaries and land registration. For example a 110 m² 3 bedroomed house and so on. If you just want to know exactly how much your survey will cost just click here for an instant quote.
from www.tffn.net
If you just want to know exactly how much your survey will cost just click here for an instant quote. Are surveyors in ireland expensive? For home buyers and property sellers in ireland, understanding the actual condition of a property is essential. It brings modern international best practice and mediation expertise to irish. How much does a topographical survey cost in ireland? Our blog ‘how much does a house survey cost?’ will give you an indication of the starting survey costs for properties based on their size. Read on and learn a little more… Our chartered surveyor will examine your boundary issue and discuss with you the best approach required to resolve the issue. Pbi is a land surveying company that focuses specifically on property boundaries and land registration. For example a 110 m² 3 bedroomed house and so on.
How Much Does a Boundary Survey Cost? A Comprehensive Guide The
Boundary Survey Cost Ireland For example a 110 m² 3 bedroomed house and so on. Our chartered surveyor will examine your boundary issue and discuss with you the best approach required to resolve the issue. Read on and learn a little more… Are surveyors in ireland expensive? For home buyers and property sellers in ireland, understanding the actual condition of a property is essential. How much does a topographical survey cost in ireland? Pbi is a land surveying company that focuses specifically on property boundaries and land registration. This advice can be from either a chartered geomatics surveyor or a chartered surveyor specialising in boundary disputes. Our blog ‘how much does a house survey cost?’ will give you an indication of the starting survey costs for properties based on their size. It brings modern international best practice and mediation expertise to irish. For example a 110 m² 3 bedroomed house and so on. If you just want to know exactly how much your survey will cost just click here for an instant quote.
From www.realserve.com.au
Boundary Surveys precise and detailed. Free Quotations. Boundary Survey Cost Ireland For example a 110 m² 3 bedroomed house and so on. If you just want to know exactly how much your survey will cost just click here for an instant quote. How much does a topographical survey cost in ireland? This advice can be from either a chartered geomatics surveyor or a chartered surveyor specialising in boundary disputes. Read on. Boundary Survey Cost Ireland.
From www.tffn.net
How Much Does a Boundary Survey Cost? A Comprehensive Guide The Boundary Survey Cost Ireland This advice can be from either a chartered geomatics surveyor or a chartered surveyor specialising in boundary disputes. Pbi is a land surveying company that focuses specifically on property boundaries and land registration. Our blog ‘how much does a house survey cost?’ will give you an indication of the starting survey costs for properties based on their size. How much. Boundary Survey Cost Ireland.
From cssolutions.ie
Boundary Disputes and Property Line Survey service Ireland Boundary Survey Cost Ireland If you just want to know exactly how much your survey will cost just click here for an instant quote. Read on and learn a little more… It brings modern international best practice and mediation expertise to irish. For home buyers and property sellers in ireland, understanding the actual condition of a property is essential. This advice can be from. Boundary Survey Cost Ireland.
From www.statesurveys.com.au
Boundary Survey Cost Simplifying The Art Of Land Surveying Boundary Survey Cost Ireland If you just want to know exactly how much your survey will cost just click here for an instant quote. Pbi is a land surveying company that focuses specifically on property boundaries and land registration. Are surveyors in ireland expensive? Our chartered surveyor will examine your boundary issue and discuss with you the best approach required to resolve the issue.. Boundary Survey Cost Ireland.
From cssolutions.ie
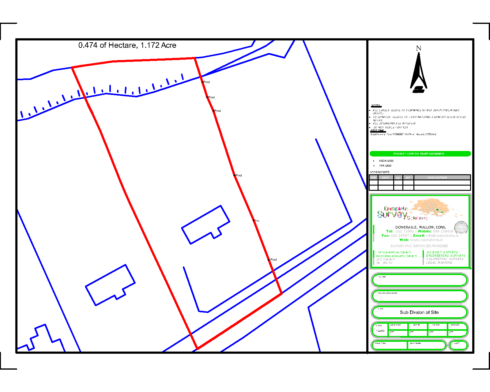
Land Subdivsion Complete Survey Solutions Boundary Survey Cost Ireland If you just want to know exactly how much your survey will cost just click here for an instant quote. Our chartered surveyor will examine your boundary issue and discuss with you the best approach required to resolve the issue. This advice can be from either a chartered geomatics surveyor or a chartered surveyor specialising in boundary disputes. Are surveyors. Boundary Survey Cost Ireland.
From www.statesurveys.com.au
Boundary Survey Cost 6 Simple Ways To Make It Cheaper Boundary Survey Cost Ireland If you just want to know exactly how much your survey will cost just click here for an instant quote. Pbi is a land surveying company that focuses specifically on property boundaries and land registration. This advice can be from either a chartered geomatics surveyor or a chartered surveyor specialising in boundary disputes. Read on and learn a little more…. Boundary Survey Cost Ireland.
From www.checkatrade.com
How Much Does a Land Survey Cost in 2024? Checkatrade Boundary Survey Cost Ireland How much does a topographical survey cost in ireland? It brings modern international best practice and mediation expertise to irish. Are surveyors in ireland expensive? Pbi is a land surveying company that focuses specifically on property boundaries and land registration. For example a 110 m² 3 bedroomed house and so on. This advice can be from either a chartered geomatics. Boundary Survey Cost Ireland.
From www.esriuk.com
Categories Content Esri UK & Ireland Boundary Survey Cost Ireland If you just want to know exactly how much your survey will cost just click here for an instant quote. Read on and learn a little more… Are surveyors in ireland expensive? Our chartered surveyor will examine your boundary issue and discuss with you the best approach required to resolve the issue. How much does a topographical survey cost in. Boundary Survey Cost Ireland.
From exorbctly.blob.core.windows.net
How Much Should A Boundary Survey Cost at Luella Martin blog Boundary Survey Cost Ireland Pbi is a land surveying company that focuses specifically on property boundaries and land registration. Are surveyors in ireland expensive? If you just want to know exactly how much your survey will cost just click here for an instant quote. It brings modern international best practice and mediation expertise to irish. Our chartered surveyor will examine your boundary issue and. Boundary Survey Cost Ireland.
From exorbctly.blob.core.windows.net
How Much Should A Boundary Survey Cost at Luella Martin blog Boundary Survey Cost Ireland Read on and learn a little more… Are surveyors in ireland expensive? For example a 110 m² 3 bedroomed house and so on. Pbi is a land surveying company that focuses specifically on property boundaries and land registration. If you just want to know exactly how much your survey will cost just click here for an instant quote. How much. Boundary Survey Cost Ireland.
From wilmac.co.uk
3d Land surveys • Wilmac • Cost effective surveying. Boundary Survey Cost Ireland For home buyers and property sellers in ireland, understanding the actual condition of a property is essential. This advice can be from either a chartered geomatics surveyor or a chartered surveyor specialising in boundary disputes. If you just want to know exactly how much your survey will cost just click here for an instant quote. Our chartered surveyor will examine. Boundary Survey Cost Ireland.
From www.statesurveys.com.au
Boundary Survey Cost 6 Simple Ways To Make It Cheaper Boundary Survey Cost Ireland How much does a topographical survey cost in ireland? For home buyers and property sellers in ireland, understanding the actual condition of a property is essential. For example a 110 m² 3 bedroomed house and so on. Our chartered surveyor will examine your boundary issue and discuss with you the best approach required to resolve the issue. It brings modern. Boundary Survey Cost Ireland.
From www.accuratesurveyors.com
Boundary Surveys Accurate Surveying & Mapping Boundary Survey Cost Ireland Pbi is a land surveying company that focuses specifically on property boundaries and land registration. Read on and learn a little more… For home buyers and property sellers in ireland, understanding the actual condition of a property is essential. Our blog ‘how much does a house survey cost?’ will give you an indication of the starting survey costs for properties. Boundary Survey Cost Ireland.
From zhinengguizi.com
2022 Land Survey Cost Land Survey Prices (2022) Boundary Survey Cost Ireland Pbi is a land surveying company that focuses specifically on property boundaries and land registration. Are surveyors in ireland expensive? How much does a topographical survey cost in ireland? Our blog ‘how much does a house survey cost?’ will give you an indication of the starting survey costs for properties based on their size. For home buyers and property sellers. Boundary Survey Cost Ireland.
From www.lynchsurvey.com
Boundary Survey Lynch Surveys, LLC Boundary Survey Cost Ireland Read on and learn a little more… If you just want to know exactly how much your survey will cost just click here for an instant quote. Our blog ‘how much does a house survey cost?’ will give you an indication of the starting survey costs for properties based on their size. Our chartered surveyor will examine your boundary issue. Boundary Survey Cost Ireland.
From exorbctly.blob.core.windows.net
How Much Should A Boundary Survey Cost at Luella Martin blog Boundary Survey Cost Ireland It brings modern international best practice and mediation expertise to irish. Our blog ‘how much does a house survey cost?’ will give you an indication of the starting survey costs for properties based on their size. Are surveyors in ireland expensive? Read on and learn a little more… If you just want to know exactly how much your survey will. Boundary Survey Cost Ireland.
From www.tffn.net
How Much Does a Boundary Survey Cost? A Comprehensive Guide The Boundary Survey Cost Ireland It brings modern international best practice and mediation expertise to irish. How much does a topographical survey cost in ireland? This advice can be from either a chartered geomatics surveyor or a chartered surveyor specialising in boundary disputes. For example a 110 m² 3 bedroomed house and so on. If you just want to know exactly how much your survey. Boundary Survey Cost Ireland.
From brigenconsulting.com
ALTA Survey vs Boundary Survey 5 Key Differences with Brigen Consulting Boundary Survey Cost Ireland Are surveyors in ireland expensive? For example a 110 m² 3 bedroomed house and so on. Our blog ‘how much does a house survey cost?’ will give you an indication of the starting survey costs for properties based on their size. For home buyers and property sellers in ireland, understanding the actual condition of a property is essential. This advice. Boundary Survey Cost Ireland.
From www.realserve.com.au
Boundary Surveys precise and detailed. Free Quotations. Boundary Survey Cost Ireland This advice can be from either a chartered geomatics surveyor or a chartered surveyor specialising in boundary disputes. It brings modern international best practice and mediation expertise to irish. Are surveyors in ireland expensive? Read on and learn a little more… Our chartered surveyor will examine your boundary issue and discuss with you the best approach required to resolve the. Boundary Survey Cost Ireland.
From www.statesurveys.com.au
How To Easily Read Your Boundary Survey Pegging Plan State Surveys Boundary Survey Cost Ireland This advice can be from either a chartered geomatics surveyor or a chartered surveyor specialising in boundary disputes. Are surveyors in ireland expensive? How much does a topographical survey cost in ireland? Our chartered surveyor will examine your boundary issue and discuss with you the best approach required to resolve the issue. If you just want to know exactly how. Boundary Survey Cost Ireland.
From www.realserve.com.au
Boundary Surveys precise and detailed. Free Quotations. Boundary Survey Cost Ireland For home buyers and property sellers in ireland, understanding the actual condition of a property is essential. For example a 110 m² 3 bedroomed house and so on. It brings modern international best practice and mediation expertise to irish. Pbi is a land surveying company that focuses specifically on property boundaries and land registration. Our blog ‘how much does a. Boundary Survey Cost Ireland.
From dominioejemplo.com
2022 Land Survey Cost Land Survey Prices (2022) Boundary Survey Cost Ireland Pbi is a land surveying company that focuses specifically on property boundaries and land registration. Our blog ‘how much does a house survey cost?’ will give you an indication of the starting survey costs for properties based on their size. For example a 110 m² 3 bedroomed house and so on. How much does a topographical survey cost in ireland?. Boundary Survey Cost Ireland.
From www.statesurveys.com.au
Boundary Survey Cost 6 simple ways to make it cheaper State Surveys Boundary Survey Cost Ireland Read on and learn a little more… For home buyers and property sellers in ireland, understanding the actual condition of a property is essential. Our blog ‘how much does a house survey cost?’ will give you an indication of the starting survey costs for properties based on their size. Our chartered surveyor will examine your boundary issue and discuss with. Boundary Survey Cost Ireland.
From hermannlondon.com
What's a Survey and Are They Required to Buy a Property? Boundary Survey Cost Ireland For example a 110 m² 3 bedroomed house and so on. Our chartered surveyor will examine your boundary issue and discuss with you the best approach required to resolve the issue. Pbi is a land surveying company that focuses specifically on property boundaries and land registration. Our blog ‘how much does a house survey cost?’ will give you an indication. Boundary Survey Cost Ireland.
From www.homeadvisor.com
What Does the Average Land Survey Cost? Boundary Survey Cost Ireland Pbi is a land surveying company that focuses specifically on property boundaries and land registration. If you just want to know exactly how much your survey will cost just click here for an instant quote. Our chartered surveyor will examine your boundary issue and discuss with you the best approach required to resolve the issue. Are surveyors in ireland expensive?. Boundary Survey Cost Ireland.
From www.alteals.com
Boundary Survey — ALTEA LAND SURVEYORS Boundary Survey Cost Ireland For example a 110 m² 3 bedroomed house and so on. How much does a topographical survey cost in ireland? Our chartered surveyor will examine your boundary issue and discuss with you the best approach required to resolve the issue. Our blog ‘how much does a house survey cost?’ will give you an indication of the starting survey costs for. Boundary Survey Cost Ireland.
From www.sesurveying.co.uk
Boundary Surveys SeSurveying Boundary Survey Cost Ireland This advice can be from either a chartered geomatics surveyor or a chartered surveyor specialising in boundary disputes. It brings modern international best practice and mediation expertise to irish. Pbi is a land surveying company that focuses specifically on property boundaries and land registration. Are surveyors in ireland expensive? If you just want to know exactly how much your survey. Boundary Survey Cost Ireland.
From cssolutions.ie
Boundary Disputes and Property Line Survey service Ireland Boundary Survey Cost Ireland Our chartered surveyor will examine your boundary issue and discuss with you the best approach required to resolve the issue. This advice can be from either a chartered geomatics surveyor or a chartered surveyor specialising in boundary disputes. Are surveyors in ireland expensive? It brings modern international best practice and mediation expertise to irish. Read on and learn a little. Boundary Survey Cost Ireland.
From maineboundaryconsultants.com
Top Quality typical Land Surveys Boundary Surveys for all Types of Boundary Survey Cost Ireland If you just want to know exactly how much your survey will cost just click here for an instant quote. For home buyers and property sellers in ireland, understanding the actual condition of a property is essential. How much does a topographical survey cost in ireland? Our blog ‘how much does a house survey cost?’ will give you an indication. Boundary Survey Cost Ireland.
From cssolutions.ie
boundary pic Complete Survey Solutions Boundary Survey Cost Ireland It brings modern international best practice and mediation expertise to irish. How much does a topographical survey cost in ireland? For home buyers and property sellers in ireland, understanding the actual condition of a property is essential. Are surveyors in ireland expensive? If you just want to know exactly how much your survey will cost just click here for an. Boundary Survey Cost Ireland.
From dsiohio.com
Boundary Surveys Deibel Surveying Inc. Boundary Survey Cost Ireland Read on and learn a little more… Our chartered surveyor will examine your boundary issue and discuss with you the best approach required to resolve the issue. Pbi is a land surveying company that focuses specifically on property boundaries and land registration. This advice can be from either a chartered geomatics surveyor or a chartered surveyor specialising in boundary disputes.. Boundary Survey Cost Ireland.
From perthboundarysurveys.com.au
Perth Boundary Surveys What it costs and how can you save Boundary Survey Cost Ireland For example a 110 m² 3 bedroomed house and so on. Our chartered surveyor will examine your boundary issue and discuss with you the best approach required to resolve the issue. Are surveyors in ireland expensive? If you just want to know exactly how much your survey will cost just click here for an instant quote. Pbi is a land. Boundary Survey Cost Ireland.
From www.fixr.com
2022 Land Survey Cost Land Survey Prices Boundary Survey Cost Ireland Read on and learn a little more… How much does a topographical survey cost in ireland? It brings modern international best practice and mediation expertise to irish. For example a 110 m² 3 bedroomed house and so on. If you just want to know exactly how much your survey will cost just click here for an instant quote. Are surveyors. Boundary Survey Cost Ireland.
From www.realserve.com.au
Explained What Is A Boundary Survey? Boundary Survey Cost Ireland Read on and learn a little more… This advice can be from either a chartered geomatics surveyor or a chartered surveyor specialising in boundary disputes. For example a 110 m² 3 bedroomed house and so on. It brings modern international best practice and mediation expertise to irish. Are surveyors in ireland expensive? How much does a topographical survey cost in. Boundary Survey Cost Ireland.
From venezialandsurvey.com
Boundary Survey Venezia & Associates Boundary Survey Cost Ireland This advice can be from either a chartered geomatics surveyor or a chartered surveyor specialising in boundary disputes. It brings modern international best practice and mediation expertise to irish. Pbi is a land surveying company that focuses specifically on property boundaries and land registration. Our chartered surveyor will examine your boundary issue and discuss with you the best approach required. Boundary Survey Cost Ireland.