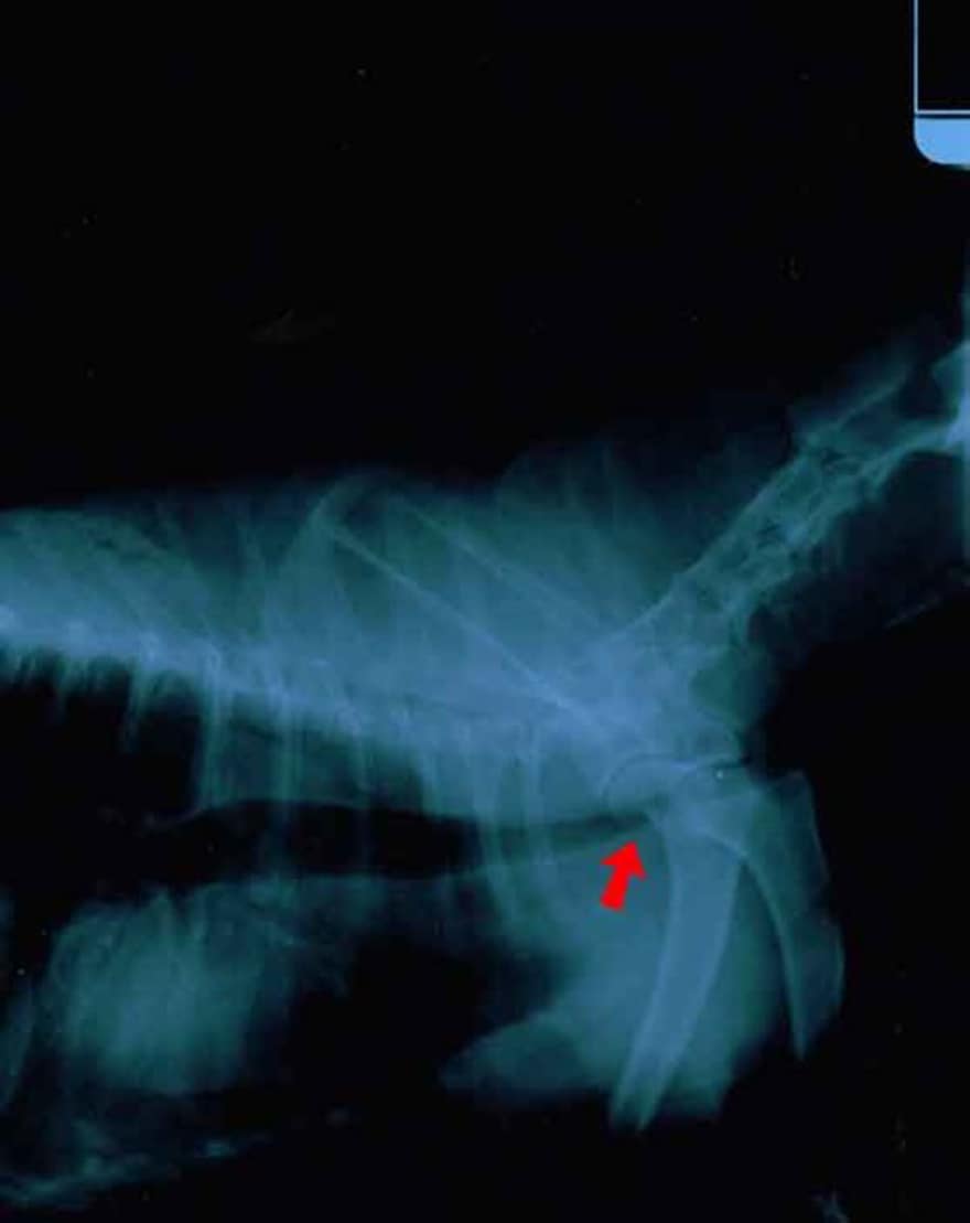
What To Feed A Dog With A Collapsed Trachea . Collapsing trachea is a common cause of coughing in small and toy breed dogs, especially in the yorkshire terrier, toy poodle, chihuahua, pomeranian and shih tzu. Dogs need about 500 mg of glucosamine per day per 25 lbs of body weight. Dogs with tracheal collapse may also experience loss of appetite or weight loss. Coughing when you pick your dog up or apply pressure to their neck. While a collapsed trachea is a progressive condition, your veterinarian can help with recommendations, medications, and weight control measures to make your dog. Or, even better, feed beef trachea to support your dog’s own trachea. The cartilage in beef trachea is loaded with chondroitin and glucosamine. The compromised ability to breathe due to tracheal collapse can result in reduced energy.
from iheartdogs.com
Coughing when you pick your dog up or apply pressure to their neck. The cartilage in beef trachea is loaded with chondroitin and glucosamine. Or, even better, feed beef trachea to support your dog’s own trachea. Dogs need about 500 mg of glucosamine per day per 25 lbs of body weight. Dogs with tracheal collapse may also experience loss of appetite or weight loss. Collapsing trachea is a common cause of coughing in small and toy breed dogs, especially in the yorkshire terrier, toy poodle, chihuahua, pomeranian and shih tzu. While a collapsed trachea is a progressive condition, your veterinarian can help with recommendations, medications, and weight control measures to make your dog. The compromised ability to breathe due to tracheal collapse can result in reduced energy.
4 Best Collapsed Trachea Supplements for Dogs
What To Feed A Dog With A Collapsed Trachea Coughing when you pick your dog up or apply pressure to their neck. Dogs need about 500 mg of glucosamine per day per 25 lbs of body weight. Dogs with tracheal collapse may also experience loss of appetite or weight loss. The cartilage in beef trachea is loaded with chondroitin and glucosamine. The compromised ability to breathe due to tracheal collapse can result in reduced energy. Collapsing trachea is a common cause of coughing in small and toy breed dogs, especially in the yorkshire terrier, toy poodle, chihuahua, pomeranian and shih tzu. Or, even better, feed beef trachea to support your dog’s own trachea. Coughing when you pick your dog up or apply pressure to their neck. While a collapsed trachea is a progressive condition, your veterinarian can help with recommendations, medications, and weight control measures to make your dog.
From petshun.com
Dangerous Collapse Can A Tracheal Collapse Be Fatal For Dogs? PetShun What To Feed A Dog With A Collapsed Trachea Or, even better, feed beef trachea to support your dog’s own trachea. The compromised ability to breathe due to tracheal collapse can result in reduced energy. Dogs with tracheal collapse may also experience loss of appetite or weight loss. While a collapsed trachea is a progressive condition, your veterinarian can help with recommendations, medications, and weight control measures to make. What To Feed A Dog With A Collapsed Trachea.
From animalia-life.club
How Is A Collapsed Trachea Treated In Dogs What To Feed A Dog With A Collapsed Trachea While a collapsed trachea is a progressive condition, your veterinarian can help with recommendations, medications, and weight control measures to make your dog. Dogs need about 500 mg of glucosamine per day per 25 lbs of body weight. Or, even better, feed beef trachea to support your dog’s own trachea. Dogs with tracheal collapse may also experience loss of appetite. What To Feed A Dog With A Collapsed Trachea.
From iheartdogs.com
4 Best Collapsed Trachea Supplements for Dogs What To Feed A Dog With A Collapsed Trachea While a collapsed trachea is a progressive condition, your veterinarian can help with recommendations, medications, and weight control measures to make your dog. The compromised ability to breathe due to tracheal collapse can result in reduced energy. Or, even better, feed beef trachea to support your dog’s own trachea. Dogs with tracheal collapse may also experience loss of appetite or. What To Feed A Dog With A Collapsed Trachea.
From puppysimply.com
Understand the Lifespan of Dogs With Collapsed Trachea What To Feed A Dog With A Collapsed Trachea Collapsing trachea is a common cause of coughing in small and toy breed dogs, especially in the yorkshire terrier, toy poodle, chihuahua, pomeranian and shih tzu. The compromised ability to breathe due to tracheal collapse can result in reduced energy. Dogs need about 500 mg of glucosamine per day per 25 lbs of body weight. While a collapsed trachea is. What To Feed A Dog With A Collapsed Trachea.
From www.dutch.com
Tracheal Collapse In Dogs Signs, Causes, Treatment, And More Dutch What To Feed A Dog With A Collapsed Trachea Or, even better, feed beef trachea to support your dog’s own trachea. Dogs with tracheal collapse may also experience loss of appetite or weight loss. Collapsing trachea is a common cause of coughing in small and toy breed dogs, especially in the yorkshire terrier, toy poodle, chihuahua, pomeranian and shih tzu. Dogs need about 500 mg of glucosamine per day. What To Feed A Dog With A Collapsed Trachea.
From animalia-life.club
How Serious Is A Collapsed Trachea In Dogs What To Feed A Dog With A Collapsed Trachea The cartilage in beef trachea is loaded with chondroitin and glucosamine. While a collapsed trachea is a progressive condition, your veterinarian can help with recommendations, medications, and weight control measures to make your dog. Dogs with tracheal collapse may also experience loss of appetite or weight loss. Coughing when you pick your dog up or apply pressure to their neck.. What To Feed A Dog With A Collapsed Trachea.
From www.pinterest.com
Natural Remedies For Collapsed Trachea in Dogs Dog coughing, Dog What To Feed A Dog With A Collapsed Trachea Or, even better, feed beef trachea to support your dog’s own trachea. The cartilage in beef trachea is loaded with chondroitin and glucosamine. Collapsing trachea is a common cause of coughing in small and toy breed dogs, especially in the yorkshire terrier, toy poodle, chihuahua, pomeranian and shih tzu. Dogs with tracheal collapse may also experience loss of appetite or. What To Feed A Dog With A Collapsed Trachea.
From learnaboutpet.com
When To Euthanize A Dog With Tracheal Collapse? 4 Conclusive Canine What To Feed A Dog With A Collapsed Trachea Dogs need about 500 mg of glucosamine per day per 25 lbs of body weight. Collapsing trachea is a common cause of coughing in small and toy breed dogs, especially in the yorkshire terrier, toy poodle, chihuahua, pomeranian and shih tzu. Coughing when you pick your dog up or apply pressure to their neck. The cartilage in beef trachea is. What To Feed A Dog With A Collapsed Trachea.
From animalia-life.club
Can A Dog Recover From A Collapsed Trachea What To Feed A Dog With A Collapsed Trachea Dogs with tracheal collapse may also experience loss of appetite or weight loss. Dogs need about 500 mg of glucosamine per day per 25 lbs of body weight. The compromised ability to breathe due to tracheal collapse can result in reduced energy. Or, even better, feed beef trachea to support your dog’s own trachea. The cartilage in beef trachea is. What To Feed A Dog With A Collapsed Trachea.
From animalia-life.club
Is A Collapsed Trachea In Dogs Painful What To Feed A Dog With A Collapsed Trachea While a collapsed trachea is a progressive condition, your veterinarian can help with recommendations, medications, and weight control measures to make your dog. Or, even better, feed beef trachea to support your dog’s own trachea. The cartilage in beef trachea is loaded with chondroitin and glucosamine. Dogs need about 500 mg of glucosamine per day per 25 lbs of body. What To Feed A Dog With A Collapsed Trachea.
From animalia-life.club
How Serious Is A Collapsed Trachea In Dogs What To Feed A Dog With A Collapsed Trachea Or, even better, feed beef trachea to support your dog’s own trachea. While a collapsed trachea is a progressive condition, your veterinarian can help with recommendations, medications, and weight control measures to make your dog. Dogs with tracheal collapse may also experience loss of appetite or weight loss. Dogs need about 500 mg of glucosamine per day per 25 lbs. What To Feed A Dog With A Collapsed Trachea.
From animalia-life.club
How Serious Is A Collapsed Trachea In Dogs What To Feed A Dog With A Collapsed Trachea Collapsing trachea is a common cause of coughing in small and toy breed dogs, especially in the yorkshire terrier, toy poodle, chihuahua, pomeranian and shih tzu. The cartilage in beef trachea is loaded with chondroitin and glucosamine. Or, even better, feed beef trachea to support your dog’s own trachea. Dogs with tracheal collapse may also experience loss of appetite or. What To Feed A Dog With A Collapsed Trachea.
From animalia-life.club
How Serious Is A Collapsed Trachea In Dogs What To Feed A Dog With A Collapsed Trachea Dogs need about 500 mg of glucosamine per day per 25 lbs of body weight. The compromised ability to breathe due to tracheal collapse can result in reduced energy. Or, even better, feed beef trachea to support your dog’s own trachea. The cartilage in beef trachea is loaded with chondroitin and glucosamine. Collapsing trachea is a common cause of coughing. What To Feed A Dog With A Collapsed Trachea.
From petsynse.com
Collapsed Trachea In Dogs Causes, Symptoms & Treatment Petsynse What To Feed A Dog With A Collapsed Trachea Or, even better, feed beef trachea to support your dog’s own trachea. Dogs with tracheal collapse may also experience loss of appetite or weight loss. Dogs need about 500 mg of glucosamine per day per 25 lbs of body weight. The compromised ability to breathe due to tracheal collapse can result in reduced energy. The cartilage in beef trachea is. What To Feed A Dog With A Collapsed Trachea.
From www.thehouseofanimals.com
Collapsed Trachea in Dogs Living With A Dog With A Collapsed Trachea What To Feed A Dog With A Collapsed Trachea Dogs need about 500 mg of glucosamine per day per 25 lbs of body weight. Or, even better, feed beef trachea to support your dog’s own trachea. The compromised ability to breathe due to tracheal collapse can result in reduced energy. The cartilage in beef trachea is loaded with chondroitin and glucosamine. While a collapsed trachea is a progressive condition,. What To Feed A Dog With A Collapsed Trachea.
From animalia-life.club
How Is A Collapsed Trachea Treated In Dogs What To Feed A Dog With A Collapsed Trachea Dogs with tracheal collapse may also experience loss of appetite or weight loss. Dogs need about 500 mg of glucosamine per day per 25 lbs of body weight. The compromised ability to breathe due to tracheal collapse can result in reduced energy. Or, even better, feed beef trachea to support your dog’s own trachea. Collapsing trachea is a common cause. What To Feed A Dog With A Collapsed Trachea.
From itsallaboutpetslife.com
Dealing with Tracheal Collapse in Dogs Symptoms, Affects and What To Feed A Dog With A Collapsed Trachea Dogs with tracheal collapse may also experience loss of appetite or weight loss. Collapsing trachea is a common cause of coughing in small and toy breed dogs, especially in the yorkshire terrier, toy poodle, chihuahua, pomeranian and shih tzu. While a collapsed trachea is a progressive condition, your veterinarian can help with recommendations, medications, and weight control measures to make. What To Feed A Dog With A Collapsed Trachea.
From k9.rocks
19 Facts About Dogs with Collapsed Tracheas K9 Rocks What To Feed A Dog With A Collapsed Trachea Coughing when you pick your dog up or apply pressure to their neck. Or, even better, feed beef trachea to support your dog’s own trachea. Dogs need about 500 mg of glucosamine per day per 25 lbs of body weight. Dogs with tracheal collapse may also experience loss of appetite or weight loss. The compromised ability to breathe due to. What To Feed A Dog With A Collapsed Trachea.
From animalia-life.club
What To Feed Dog With Collapsed Trachea What To Feed A Dog With A Collapsed Trachea The cartilage in beef trachea is loaded with chondroitin and glucosamine. Dogs with tracheal collapse may also experience loss of appetite or weight loss. Dogs need about 500 mg of glucosamine per day per 25 lbs of body weight. Collapsing trachea is a common cause of coughing in small and toy breed dogs, especially in the yorkshire terrier, toy poodle,. What To Feed A Dog With A Collapsed Trachea.
From franklintnvet.com
Tracheal Collapse in Dogs Holistic Vets in Nashville TN What To Feed A Dog With A Collapsed Trachea Dogs need about 500 mg of glucosamine per day per 25 lbs of body weight. The cartilage in beef trachea is loaded with chondroitin and glucosamine. While a collapsed trachea is a progressive condition, your veterinarian can help with recommendations, medications, and weight control measures to make your dog. Coughing when you pick your dog up or apply pressure to. What To Feed A Dog With A Collapsed Trachea.
From www.amazon.com
collapsed trachea medicine for dogs What To Feed A Dog With A Collapsed Trachea Collapsing trachea is a common cause of coughing in small and toy breed dogs, especially in the yorkshire terrier, toy poodle, chihuahua, pomeranian and shih tzu. Dogs with tracheal collapse may also experience loss of appetite or weight loss. Or, even better, feed beef trachea to support your dog’s own trachea. The cartilage in beef trachea is loaded with chondroitin. What To Feed A Dog With A Collapsed Trachea.
From animalia-life.club
Can A Dog With Collapsed Trachea Bark What To Feed A Dog With A Collapsed Trachea Collapsing trachea is a common cause of coughing in small and toy breed dogs, especially in the yorkshire terrier, toy poodle, chihuahua, pomeranian and shih tzu. While a collapsed trachea is a progressive condition, your veterinarian can help with recommendations, medications, and weight control measures to make your dog. Dogs with tracheal collapse may also experience loss of appetite or. What To Feed A Dog With A Collapsed Trachea.
From br.pinterest.com
Collapsed Trachea In Dogs Medication for dogs, Dog treatment, Animal What To Feed A Dog With A Collapsed Trachea Dogs with tracheal collapse may also experience loss of appetite or weight loss. While a collapsed trachea is a progressive condition, your veterinarian can help with recommendations, medications, and weight control measures to make your dog. Or, even better, feed beef trachea to support your dog’s own trachea. Coughing when you pick your dog up or apply pressure to their. What To Feed A Dog With A Collapsed Trachea.
From animalia-life.club
What Does A Dog With A Collapsed Trachea Sound Like What To Feed A Dog With A Collapsed Trachea Dogs need about 500 mg of glucosamine per day per 25 lbs of body weight. While a collapsed trachea is a progressive condition, your veterinarian can help with recommendations, medications, and weight control measures to make your dog. Collapsing trachea is a common cause of coughing in small and toy breed dogs, especially in the yorkshire terrier, toy poodle, chihuahua,. What To Feed A Dog With A Collapsed Trachea.
From animalia-life.club
What Can Cause A Collapsed Trachea In Dogs What To Feed A Dog With A Collapsed Trachea Dogs need about 500 mg of glucosamine per day per 25 lbs of body weight. The cartilage in beef trachea is loaded with chondroitin and glucosamine. The compromised ability to breathe due to tracheal collapse can result in reduced energy. Dogs with tracheal collapse may also experience loss of appetite or weight loss. While a collapsed trachea is a progressive. What To Feed A Dog With A Collapsed Trachea.
From exotdaqog.blob.core.windows.net
What Can You Do For A Dog With A Collapsed Trachea at James Gibson blog What To Feed A Dog With A Collapsed Trachea Coughing when you pick your dog up or apply pressure to their neck. While a collapsed trachea is a progressive condition, your veterinarian can help with recommendations, medications, and weight control measures to make your dog. Dogs with tracheal collapse may also experience loss of appetite or weight loss. Dogs need about 500 mg of glucosamine per day per 25. What To Feed A Dog With A Collapsed Trachea.
From www.superbdog.com
When to Euthanize a Dog with Tracheal Collapse — How to Make the What To Feed A Dog With A Collapsed Trachea Collapsing trachea is a common cause of coughing in small and toy breed dogs, especially in the yorkshire terrier, toy poodle, chihuahua, pomeranian and shih tzu. Dogs need about 500 mg of glucosamine per day per 25 lbs of body weight. The cartilage in beef trachea is loaded with chondroitin and glucosamine. Coughing when you pick your dog up or. What To Feed A Dog With A Collapsed Trachea.
From animalia-life.club
Can A Dog Recover From A Collapsed Trachea What To Feed A Dog With A Collapsed Trachea Or, even better, feed beef trachea to support your dog’s own trachea. Dogs need about 500 mg of glucosamine per day per 25 lbs of body weight. Dogs with tracheal collapse may also experience loss of appetite or weight loss. While a collapsed trachea is a progressive condition, your veterinarian can help with recommendations, medications, and weight control measures to. What To Feed A Dog With A Collapsed Trachea.
From animalia-life.club
Do Dogs With Collapsed Trachea Suffer What To Feed A Dog With A Collapsed Trachea Dogs with tracheal collapse may also experience loss of appetite or weight loss. Or, even better, feed beef trachea to support your dog’s own trachea. The cartilage in beef trachea is loaded with chondroitin and glucosamine. Collapsing trachea is a common cause of coughing in small and toy breed dogs, especially in the yorkshire terrier, toy poodle, chihuahua, pomeranian and. What To Feed A Dog With A Collapsed Trachea.
From ecurrencythailand.com
Can A Dog Survive A Collapsed Trachea? Quick Answer What To Feed A Dog With A Collapsed Trachea While a collapsed trachea is a progressive condition, your veterinarian can help with recommendations, medications, and weight control measures to make your dog. Dogs with tracheal collapse may also experience loss of appetite or weight loss. Or, even better, feed beef trachea to support your dog’s own trachea. The cartilage in beef trachea is loaded with chondroitin and glucosamine. The. What To Feed A Dog With A Collapsed Trachea.
From animalia-life.club
Do Dogs With Collapsed Trachea Suffer What To Feed A Dog With A Collapsed Trachea Collapsing trachea is a common cause of coughing in small and toy breed dogs, especially in the yorkshire terrier, toy poodle, chihuahua, pomeranian and shih tzu. Or, even better, feed beef trachea to support your dog’s own trachea. While a collapsed trachea is a progressive condition, your veterinarian can help with recommendations, medications, and weight control measures to make your. What To Feed A Dog With A Collapsed Trachea.
From iheartdogs.com
4 Best Collapsed Trachea Supplements for Dogs What To Feed A Dog With A Collapsed Trachea Or, even better, feed beef trachea to support your dog’s own trachea. Dogs with tracheal collapse may also experience loss of appetite or weight loss. While a collapsed trachea is a progressive condition, your veterinarian can help with recommendations, medications, and weight control measures to make your dog. The cartilage in beef trachea is loaded with chondroitin and glucosamine. Collapsing. What To Feed A Dog With A Collapsed Trachea.
From animalia-life.club
How To Help My Dog With A Collapsed Trachea What To Feed A Dog With A Collapsed Trachea Dogs need about 500 mg of glucosamine per day per 25 lbs of body weight. Coughing when you pick your dog up or apply pressure to their neck. Collapsing trachea is a common cause of coughing in small and toy breed dogs, especially in the yorkshire terrier, toy poodle, chihuahua, pomeranian and shih tzu. Or, even better, feed beef trachea. What To Feed A Dog With A Collapsed Trachea.
From animalia-life.club
How Is A Collapsed Trachea Treated In Dogs What To Feed A Dog With A Collapsed Trachea The compromised ability to breathe due to tracheal collapse can result in reduced energy. Or, even better, feed beef trachea to support your dog’s own trachea. Dogs with tracheal collapse may also experience loss of appetite or weight loss. Collapsing trachea is a common cause of coughing in small and toy breed dogs, especially in the yorkshire terrier, toy poodle,. What To Feed A Dog With A Collapsed Trachea.
From contempo3.blogspot.com
Tracheal Collapse Dog With Collapsed Trachea What To Feed A Dog With A Collapsed Trachea Collapsing trachea is a common cause of coughing in small and toy breed dogs, especially in the yorkshire terrier, toy poodle, chihuahua, pomeranian and shih tzu. Dogs with tracheal collapse may also experience loss of appetite or weight loss. Dogs need about 500 mg of glucosamine per day per 25 lbs of body weight. The compromised ability to breathe due. What To Feed A Dog With A Collapsed Trachea.