Eastman Ga Tornado . Tornado warning including mcrae ga, eastman ga and helena ga until 9:15 am edt. Two people, a man and a woman, died when a tornado picked up and flipped their mobile home during hurricane helene, county. Keith stellman, meteorologist in charge at the national weather service declared. They say the tornado stretched from eastman to alamo, and it had max winds of 90 miles per hour. Don't forget to subscribe and hit the bell. #eastman #georgia #tornado #shorts on december 30th, 2021. Telfair county battles through 'fires, gas leaks (and) car wrecks' in attempts to recover after.
from www.cnn.com
Telfair county battles through 'fires, gas leaks (and) car wrecks' in attempts to recover after. Tornado warning including mcrae ga, eastman ga and helena ga until 9:15 am edt. Keith stellman, meteorologist in charge at the national weather service declared. #eastman #georgia #tornado #shorts on december 30th, 2021. Two people, a man and a woman, died when a tornado picked up and flipped their mobile home during hurricane helene, county. They say the tornado stretched from eastman to alamo, and it had max winds of 90 miles per hour. Don't forget to subscribe and hit the bell.
Overhead photos show tornado destruction in this town
Eastman Ga Tornado They say the tornado stretched from eastman to alamo, and it had max winds of 90 miles per hour. Don't forget to subscribe and hit the bell. They say the tornado stretched from eastman to alamo, and it had max winds of 90 miles per hour. Tornado warning including mcrae ga, eastman ga and helena ga until 9:15 am edt. Two people, a man and a woman, died when a tornado picked up and flipped their mobile home during hurricane helene, county. #eastman #georgia #tornado #shorts on december 30th, 2021. Keith stellman, meteorologist in charge at the national weather service declared. Telfair county battles through 'fires, gas leaks (and) car wrecks' in attempts to recover after.
From usa.liveuamap.com
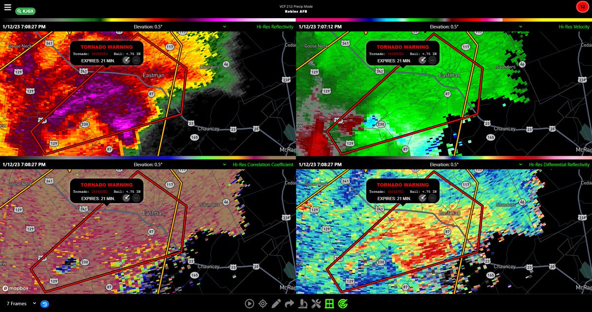
Tornado Warning including Eastman GA and Godwinsville GA until 730 PM Eastman Ga Tornado Don't forget to subscribe and hit the bell. Keith stellman, meteorologist in charge at the national weather service declared. Two people, a man and a woman, died when a tornado picked up and flipped their mobile home during hurricane helene, county. Telfair county battles through 'fires, gas leaks (and) car wrecks' in attempts to recover after. They say the tornado. Eastman Ga Tornado.
From www.wsbtv.com
tornado strongest of the year in US with winds up to 185 mph Eastman Ga Tornado Tornado warning including mcrae ga, eastman ga and helena ga until 9:15 am edt. Two people, a man and a woman, died when a tornado picked up and flipped their mobile home during hurricane helene, county. #eastman #georgia #tornado #shorts on december 30th, 2021. Telfair county battles through 'fires, gas leaks (and) car wrecks' in attempts to recover after. They. Eastman Ga Tornado.
From www.weather.gov
May 15, 2014 tornadoes Eastman Ga Tornado Don't forget to subscribe and hit the bell. #eastman #georgia #tornado #shorts on december 30th, 2021. Telfair county battles through 'fires, gas leaks (and) car wrecks' in attempts to recover after. They say the tornado stretched from eastman to alamo, and it had max winds of 90 miles per hour. Tornado warning including mcrae ga, eastman ga and helena ga. Eastman Ga Tornado.
From weather.com
Tornado Outbreak Three Deaths Blamed on Storms; State of Emergency in Eastman Ga Tornado Two people, a man and a woman, died when a tornado picked up and flipped their mobile home during hurricane helene, county. #eastman #georgia #tornado #shorts on december 30th, 2021. Don't forget to subscribe and hit the bell. They say the tornado stretched from eastman to alamo, and it had max winds of 90 miles per hour. Telfair county battles. Eastman Ga Tornado.
From www.youtube.com
03262021 Newnan, GA Intense tornado damage, huge swath of damaged Eastman Ga Tornado Keith stellman, meteorologist in charge at the national weather service declared. Don't forget to subscribe and hit the bell. #eastman #georgia #tornado #shorts on december 30th, 2021. Two people, a man and a woman, died when a tornado picked up and flipped their mobile home during hurricane helene, county. Telfair county battles through 'fires, gas leaks (and) car wrecks' in. Eastman Ga Tornado.
From www.ajc.com
40 tornadoes confirmed in National Weather Service says Eastman Ga Tornado Don't forget to subscribe and hit the bell. Tornado warning including mcrae ga, eastman ga and helena ga until 9:15 am edt. Keith stellman, meteorologist in charge at the national weather service declared. #eastman #georgia #tornado #shorts on december 30th, 2021. They say the tornado stretched from eastman to alamo, and it had max winds of 90 miles per hour.. Eastman Ga Tornado.
From patch.com
Tornadoes Cause 75 Million in Damage Smyrna, GA Patch Eastman Ga Tornado Keith stellman, meteorologist in charge at the national weather service declared. Telfair county battles through 'fires, gas leaks (and) car wrecks' in attempts to recover after. Two people, a man and a woman, died when a tornado picked up and flipped their mobile home during hurricane helene, county. #eastman #georgia #tornado #shorts on december 30th, 2021. Don't forget to subscribe. Eastman Ga Tornado.
From www.11alive.com
18 tornadoes tore across Sunday Eastman Ga Tornado Telfair county battles through 'fires, gas leaks (and) car wrecks' in attempts to recover after. Two people, a man and a woman, died when a tornado picked up and flipped their mobile home during hurricane helene, county. Don't forget to subscribe and hit the bell. They say the tornado stretched from eastman to alamo, and it had max winds of. Eastman Ga Tornado.
From www.ksdk.com
Newnan tornado damage after storm Eastman Ga Tornado They say the tornado stretched from eastman to alamo, and it had max winds of 90 miles per hour. Don't forget to subscribe and hit the bell. Keith stellman, meteorologist in charge at the national weather service declared. #eastman #georgia #tornado #shorts on december 30th, 2021. Tornado warning including mcrae ga, eastman ga and helena ga until 9:15 am edt.. Eastman Ga Tornado.
From www.youtube.com
Tornado Footage, March 3 2019 YouTube Eastman Ga Tornado Telfair county battles through 'fires, gas leaks (and) car wrecks' in attempts to recover after. Tornado warning including mcrae ga, eastman ga and helena ga until 9:15 am edt. Don't forget to subscribe and hit the bell. Two people, a man and a woman, died when a tornado picked up and flipped their mobile home during hurricane helene, county. Keith. Eastman Ga Tornado.
From patch.com
Tornadoes Cause 75 Million in Damage Smyrna, GA Patch Eastman Ga Tornado Two people, a man and a woman, died when a tornado picked up and flipped their mobile home during hurricane helene, county. They say the tornado stretched from eastman to alamo, and it had max winds of 90 miles per hour. Keith stellman, meteorologist in charge at the national weather service declared. #eastman #georgia #tornado #shorts on december 30th, 2021.. Eastman Ga Tornado.
From www.washingtonpost.com
‘Nothing was left.’ At least 14 people killed in amid string of Eastman Ga Tornado #eastman #georgia #tornado #shorts on december 30th, 2021. Keith stellman, meteorologist in charge at the national weather service declared. Telfair county battles through 'fires, gas leaks (and) car wrecks' in attempts to recover after. They say the tornado stretched from eastman to alamo, and it had max winds of 90 miles per hour. Don't forget to subscribe and hit the. Eastman Ga Tornado.
From www.11alive.com
tornadoes Areas confirmed by National Weather Service Eastman Ga Tornado Don't forget to subscribe and hit the bell. #eastman #georgia #tornado #shorts on december 30th, 2021. Tornado warning including mcrae ga, eastman ga and helena ga until 9:15 am edt. Two people, a man and a woman, died when a tornado picked up and flipped their mobile home during hurricane helene, county. Telfair county battles through 'fires, gas leaks (and). Eastman Ga Tornado.
From www.foxnews.com
Tornado in lifts house, drops it on middle of road as deadly Eastman Ga Tornado Don't forget to subscribe and hit the bell. #eastman #georgia #tornado #shorts on december 30th, 2021. Telfair county battles through 'fires, gas leaks (and) car wrecks' in attempts to recover after. They say the tornado stretched from eastman to alamo, and it had max winds of 90 miles per hour. Keith stellman, meteorologist in charge at the national weather service. Eastman Ga Tornado.
From wgxa.tv
Eastman nursing home reopens after 2014 tornado WGXA Eastman Ga Tornado Telfair county battles through 'fires, gas leaks (and) car wrecks' in attempts to recover after. #eastman #georgia #tornado #shorts on december 30th, 2021. They say the tornado stretched from eastman to alamo, and it had max winds of 90 miles per hour. Tornado warning including mcrae ga, eastman ga and helena ga until 9:15 am edt. Keith stellman, meteorologist in. Eastman Ga Tornado.
From www.cnn.com
Tornado from rare supercell causes damage in CNN Eastman Ga Tornado Keith stellman, meteorologist in charge at the national weather service declared. Don't forget to subscribe and hit the bell. Two people, a man and a woman, died when a tornado picked up and flipped their mobile home during hurricane helene, county. They say the tornado stretched from eastman to alamo, and it had max winds of 90 miles per hour.. Eastman Ga Tornado.
From twitter.com
RadarOmega on Twitter "CONFIRMED TORNADO Tornado Warning including Eastman Ga Tornado Two people, a man and a woman, died when a tornado picked up and flipped their mobile home during hurricane helene, county. Tornado warning including mcrae ga, eastman ga and helena ga until 9:15 am edt. Keith stellman, meteorologist in charge at the national weather service declared. They say the tornado stretched from eastman to alamo, and it had max. Eastman Ga Tornado.
From www.wsbtv.com
NWS confirms at least 3 tornadoes touched down across on Eastman Ga Tornado Tornado warning including mcrae ga, eastman ga and helena ga until 9:15 am edt. #eastman #georgia #tornado #shorts on december 30th, 2021. Don't forget to subscribe and hit the bell. Telfair county battles through 'fires, gas leaks (and) car wrecks' in attempts to recover after. Keith stellman, meteorologist in charge at the national weather service declared. They say the tornado. Eastman Ga Tornado.
From www.11alive.com
Tornado damage in metro Atlanta North weather Eastman Ga Tornado #eastman #georgia #tornado #shorts on december 30th, 2021. Keith stellman, meteorologist in charge at the national weather service declared. Don't forget to subscribe and hit the bell. Tornado warning including mcrae ga, eastman ga and helena ga until 9:15 am edt. They say the tornado stretched from eastman to alamo, and it had max winds of 90 miles per hour.. Eastman Ga Tornado.
From news.wgbh.org
Storm Barrels Through Death Toll Rises WGBH News Eastman Ga Tornado Don't forget to subscribe and hit the bell. They say the tornado stretched from eastman to alamo, and it had max winds of 90 miles per hour. Telfair county battles through 'fires, gas leaks (and) car wrecks' in attempts to recover after. #eastman #georgia #tornado #shorts on december 30th, 2021. Tornado warning including mcrae ga, eastman ga and helena ga. Eastman Ga Tornado.
From www.fox5atlanta.com
Cleanup continues after deadly tornado in North Eastman Ga Tornado They say the tornado stretched from eastman to alamo, and it had max winds of 90 miles per hour. Tornado warning including mcrae ga, eastman ga and helena ga until 9:15 am edt. Telfair county battles through 'fires, gas leaks (and) car wrecks' in attempts to recover after. Keith stellman, meteorologist in charge at the national weather service declared. Two. Eastman Ga Tornado.
From www.11alive.com
Officials Up to 20 tornadoes hit north on Monday Eastman Ga Tornado Tornado warning including mcrae ga, eastman ga and helena ga until 9:15 am edt. Telfair county battles through 'fires, gas leaks (and) car wrecks' in attempts to recover after. Two people, a man and a woman, died when a tornado picked up and flipped their mobile home during hurricane helene, county. Keith stellman, meteorologist in charge at the national weather. Eastman Ga Tornado.
From www.wsbtv.com
NWS confirms at least 3 tornadoes touched down across on Eastman Ga Tornado Two people, a man and a woman, died when a tornado picked up and flipped their mobile home during hurricane helene, county. Keith stellman, meteorologist in charge at the national weather service declared. They say the tornado stretched from eastman to alamo, and it had max winds of 90 miles per hour. Don't forget to subscribe and hit the bell.. Eastman Ga Tornado.
From www.cbsnews.com
Large tornado touches down in as storms batter Deep South CBS Eastman Ga Tornado They say the tornado stretched from eastman to alamo, and it had max winds of 90 miles per hour. Don't forget to subscribe and hit the bell. Telfair county battles through 'fires, gas leaks (and) car wrecks' in attempts to recover after. Tornado warning including mcrae ga, eastman ga and helena ga until 9:15 am edt. #eastman #georgia #tornado #shorts. Eastman Ga Tornado.
From www.cnn.com
Overhead photos show tornado destruction in this town Eastman Ga Tornado Don't forget to subscribe and hit the bell. Telfair county battles through 'fires, gas leaks (and) car wrecks' in attempts to recover after. They say the tornado stretched from eastman to alamo, and it had max winds of 90 miles per hour. Two people, a man and a woman, died when a tornado picked up and flipped their mobile home. Eastman Ga Tornado.
From www.nbcnews.com
Watch Tornado Touch Down in Neighborhood NBC News Eastman Ga Tornado #eastman #georgia #tornado #shorts on december 30th, 2021. They say the tornado stretched from eastman to alamo, and it had max winds of 90 miles per hour. Keith stellman, meteorologist in charge at the national weather service declared. Don't forget to subscribe and hit the bell. Tornado warning including mcrae ga, eastman ga and helena ga until 9:15 am edt.. Eastman Ga Tornado.
From www.weather.gov
May 15, 2014 tornadoes Eastman Ga Tornado Tornado warning including mcrae ga, eastman ga and helena ga until 9:15 am edt. They say the tornado stretched from eastman to alamo, and it had max winds of 90 miles per hour. Telfair county battles through 'fires, gas leaks (and) car wrecks' in attempts to recover after. Keith stellman, meteorologist in charge at the national weather service declared. Two. Eastman Ga Tornado.
From wgxa.tv
Three tornadoes confirmed in south after Tuesday's storms WGXA Eastman Ga Tornado Keith stellman, meteorologist in charge at the national weather service declared. They say the tornado stretched from eastman to alamo, and it had max winds of 90 miles per hour. Don't forget to subscribe and hit the bell. Two people, a man and a woman, died when a tornado picked up and flipped their mobile home during hurricane helene, county.. Eastman Ga Tornado.
From www.nbcnews.com
Catastrophic damage after tornado strikes overnight in Eastman Ga Tornado Telfair county battles through 'fires, gas leaks (and) car wrecks' in attempts to recover after. Don't forget to subscribe and hit the bell. They say the tornado stretched from eastman to alamo, and it had max winds of 90 miles per hour. Keith stellman, meteorologist in charge at the national weather service declared. Two people, a man and a woman,. Eastman Ga Tornado.
From www.youtube.com
Eastman, Tornado 11223 YouTube Eastman Ga Tornado Don't forget to subscribe and hit the bell. Telfair county battles through 'fires, gas leaks (and) car wrecks' in attempts to recover after. #eastman #georgia #tornado #shorts on december 30th, 2021. Keith stellman, meteorologist in charge at the national weather service declared. Two people, a man and a woman, died when a tornado picked up and flipped their mobile home. Eastman Ga Tornado.
From www.smalljoys.tv
Drone Footage Shows Perfectly Intact Home Surviving Deadly Eastman Ga Tornado Two people, a man and a woman, died when a tornado picked up and flipped their mobile home during hurricane helene, county. #eastman #georgia #tornado #shorts on december 30th, 2021. They say the tornado stretched from eastman to alamo, and it had max winds of 90 miles per hour. Don't forget to subscribe and hit the bell. Keith stellman, meteorologist. Eastman Ga Tornado.
From www.wsj.com
Violent Tornado in Destroys One Side of a Street, Spares the Eastman Ga Tornado Telfair county battles through 'fires, gas leaks (and) car wrecks' in attempts to recover after. Two people, a man and a woman, died when a tornado picked up and flipped their mobile home during hurricane helene, county. Keith stellman, meteorologist in charge at the national weather service declared. #eastman #georgia #tornado #shorts on december 30th, 2021. Don't forget to subscribe. Eastman Ga Tornado.
From www.foxweather.com
Tornado damage, power outages reported across North and metro Eastman Ga Tornado Keith stellman, meteorologist in charge at the national weather service declared. Two people, a man and a woman, died when a tornado picked up and flipped their mobile home during hurricane helene, county. They say the tornado stretched from eastman to alamo, and it had max winds of 90 miles per hour. Tornado warning including mcrae ga, eastman ga and. Eastman Ga Tornado.
From www.smalljoys.tv
Drone Footage Shows Perfectly Intact Home Surviving Deadly Eastman Ga Tornado Two people, a man and a woman, died when a tornado picked up and flipped their mobile home during hurricane helene, county. Telfair county battles through 'fires, gas leaks (and) car wrecks' in attempts to recover after. Keith stellman, meteorologist in charge at the national weather service declared. Tornado warning including mcrae ga, eastman ga and helena ga until 9:15. Eastman Ga Tornado.
From www.newsbreak.com
Tornado produces ‘significant damage,’ leaves people injured and Eastman Ga Tornado They say the tornado stretched from eastman to alamo, and it had max winds of 90 miles per hour. Keith stellman, meteorologist in charge at the national weather service declared. Telfair county battles through 'fires, gas leaks (and) car wrecks' in attempts to recover after. #eastman #georgia #tornado #shorts on december 30th, 2021. Don't forget to subscribe and hit the. Eastman Ga Tornado.