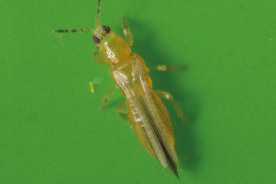
Melon Thrips Family . Thrips cause damage to a wide range of ornamental, vegetable and crops in the philippines such as eggplant,. Thrips palmi karny is commonly known as melon thrips. The melon thrips has an extremely wide range of host plants, including nearly all kinds of vegetables, many fruit trees and weeds, and several flowering plants such as. It causes direct feeding damage and damage due to. It was named after the director of the medan quarantine station, dr bt palm, and although it has been referred to as 'palm thrips' (cie, 1986) it is not known to be associated with any palm tree species. Karny in 1925 from specimens collected in 1921 on tobacco in sumatra. Originally from southeast asia, the melon thrips is an. Thrips palmi is a highly polyphagous and a key pest, particularly on plants belonging to cucurbitaceae and solanaceae. Thrips palmi was first described by h. Although called the melon thrips, it is polyphagous and causes damage to plant species in a wide range of families.
from www.flickr.com
Thrips palmi was first described by h. The melon thrips has an extremely wide range of host plants, including nearly all kinds of vegetables, many fruit trees and weeds, and several flowering plants such as. It was named after the director of the medan quarantine station, dr bt palm, and although it has been referred to as 'palm thrips' (cie, 1986) it is not known to be associated with any palm tree species. Thrips palmi karny is commonly known as melon thrips. Although called the melon thrips, it is polyphagous and causes damage to plant species in a wide range of families. Originally from southeast asia, the melon thrips is an. Karny in 1925 from specimens collected in 1921 on tobacco in sumatra. Thrips palmi is a highly polyphagous and a key pest, particularly on plants belonging to cucurbitaceae and solanaceae. It causes direct feeding damage and damage due to. Thrips cause damage to a wide range of ornamental, vegetable and crops in the philippines such as eggplant,.
ThripsFamily Thripidae Thrips are minute insects but are… Flickr
Melon Thrips Family Thrips palmi is a highly polyphagous and a key pest, particularly on plants belonging to cucurbitaceae and solanaceae. Thrips palmi is a highly polyphagous and a key pest, particularly on plants belonging to cucurbitaceae and solanaceae. Originally from southeast asia, the melon thrips is an. Thrips palmi karny is commonly known as melon thrips. It causes direct feeding damage and damage due to. It was named after the director of the medan quarantine station, dr bt palm, and although it has been referred to as 'palm thrips' (cie, 1986) it is not known to be associated with any palm tree species. Although called the melon thrips, it is polyphagous and causes damage to plant species in a wide range of families. Karny in 1925 from specimens collected in 1921 on tobacco in sumatra. The melon thrips has an extremely wide range of host plants, including nearly all kinds of vegetables, many fruit trees and weeds, and several flowering plants such as. Thrips palmi was first described by h. Thrips cause damage to a wide range of ornamental, vegetable and crops in the philippines such as eggplant,.
From www.insectimages.org
melon thrips (Thrips palmi) Melon Thrips Family Karny in 1925 from specimens collected in 1921 on tobacco in sumatra. It causes direct feeding damage and damage due to. The melon thrips has an extremely wide range of host plants, including nearly all kinds of vegetables, many fruit trees and weeds, and several flowering plants such as. Originally from southeast asia, the melon thrips is an. Thrips cause. Melon Thrips Family.
From www.ipmimages.org
melon thrips (Thrips palmi) Melon Thrips Family It causes direct feeding damage and damage due to. The melon thrips has an extremely wide range of host plants, including nearly all kinds of vegetables, many fruit trees and weeds, and several flowering plants such as. Thrips palmi was first described by h. Although called the melon thrips, it is polyphagous and causes damage to plant species in a. Melon Thrips Family.
From ag.umass.edu
Landscape Chilli Thrips Center for Agriculture, Food, and the Melon Thrips Family Karny in 1925 from specimens collected in 1921 on tobacco in sumatra. Thrips palmi was first described by h. It was named after the director of the medan quarantine station, dr bt palm, and although it has been referred to as 'palm thrips' (cie, 1986) it is not known to be associated with any palm tree species. Thrips cause damage. Melon Thrips Family.
From mainsitearchive.azurewebsites.net
Recognition and biology of the main thrips species damaging protected Melon Thrips Family Thrips palmi was first described by h. It was named after the director of the medan quarantine station, dr bt palm, and although it has been referred to as 'palm thrips' (cie, 1986) it is not known to be associated with any palm tree species. Karny in 1925 from specimens collected in 1921 on tobacco in sumatra. Although called the. Melon Thrips Family.
From proper-cooking.info
Thrips Life Cycle Melon Thrips Family Karny in 1925 from specimens collected in 1921 on tobacco in sumatra. It was named after the director of the medan quarantine station, dr bt palm, and although it has been referred to as 'palm thrips' (cie, 1986) it is not known to be associated with any palm tree species. Thrips palmi is a highly polyphagous and a key pest,. Melon Thrips Family.
From www.koppert.com
Thrips Biocontrol, Damage and Life Cycle Melon Thrips Family Although called the melon thrips, it is polyphagous and causes damage to plant species in a wide range of families. Thrips palmi was first described by h. Thrips palmi karny is commonly known as melon thrips. It causes direct feeding damage and damage due to. Karny in 1925 from specimens collected in 1921 on tobacco in sumatra. Originally from southeast. Melon Thrips Family.
From extension.usu.edu
Thrips USU Melon Thrips Family Thrips palmi was first described by h. It causes direct feeding damage and damage due to. Although called the melon thrips, it is polyphagous and causes damage to plant species in a wide range of families. Thrips palmi is a highly polyphagous and a key pest, particularly on plants belonging to cucurbitaceae and solanaceae. It was named after the director. Melon Thrips Family.
From sciencephoto.com
Melon thrips Stock Image C001/5958 Science Photo Library Melon Thrips Family It causes direct feeding damage and damage due to. The melon thrips has an extremely wide range of host plants, including nearly all kinds of vegetables, many fruit trees and weeds, and several flowering plants such as. Thrips cause damage to a wide range of ornamental, vegetable and crops in the philippines such as eggplant,. Thrips palmi karny is commonly. Melon Thrips Family.
From www.forestryimages.org
melon thrips (Thrips palmi) Melon Thrips Family Thrips palmi karny is commonly known as melon thrips. The melon thrips has an extremely wide range of host plants, including nearly all kinds of vegetables, many fruit trees and weeds, and several flowering plants such as. Thrips palmi is a highly polyphagous and a key pest, particularly on plants belonging to cucurbitaceae and solanaceae. Although called the melon thrips,. Melon Thrips Family.
From fineartamerica.com
Melon Thrips Photograph by J Marie Metz/us Department Of Agriculture Melon Thrips Family Thrips palmi was first described by h. Although called the melon thrips, it is polyphagous and causes damage to plant species in a wide range of families. It was named after the director of the medan quarantine station, dr bt palm, and although it has been referred to as 'palm thrips' (cie, 1986) it is not known to be associated. Melon Thrips Family.
From www.flickr.com
ThripsFamily Thripidae Thrips are minute insects but are… Flickr Melon Thrips Family It was named after the director of the medan quarantine station, dr bt palm, and although it has been referred to as 'palm thrips' (cie, 1986) it is not known to be associated with any palm tree species. Thrips palmi is a highly polyphagous and a key pest, particularly on plants belonging to cucurbitaceae and solanaceae. Thrips palmi was first. Melon Thrips Family.
From www.invasive.org
melon thrips, Thrips palmi (Thysanoptera Thripidae) 5186063 Melon Thrips Family The melon thrips has an extremely wide range of host plants, including nearly all kinds of vegetables, many fruit trees and weeds, and several flowering plants such as. Karny in 1925 from specimens collected in 1921 on tobacco in sumatra. It was named after the director of the medan quarantine station, dr bt palm, and although it has been referred. Melon Thrips Family.
From www.ipmimages.org
melon thrips (Thrips palmi) Melon Thrips Family Karny in 1925 from specimens collected in 1921 on tobacco in sumatra. Thrips palmi karny is commonly known as melon thrips. The melon thrips has an extremely wide range of host plants, including nearly all kinds of vegetables, many fruit trees and weeds, and several flowering plants such as. Thrips palmi is a highly polyphagous and a key pest, particularly. Melon Thrips Family.
From www.invasive.org
western flower thrips (Frankliniella occidentalis (Pergande, 1895)) Melon Thrips Family Thrips cause damage to a wide range of ornamental, vegetable and crops in the philippines such as eggplant,. It was named after the director of the medan quarantine station, dr bt palm, and although it has been referred to as 'palm thrips' (cie, 1986) it is not known to be associated with any palm tree species. Thrips palmi was first. Melon Thrips Family.
From www.ipmimages.org
melon thrips (Thrips palmi) Melon Thrips Family It was named after the director of the medan quarantine station, dr bt palm, and although it has been referred to as 'palm thrips' (cie, 1986) it is not known to be associated with any palm tree species. Karny in 1925 from specimens collected in 1921 on tobacco in sumatra. It causes direct feeding damage and damage due to. Thrips. Melon Thrips Family.
From forestryimages.org
melon thrips, Thrips palmi (Thysanoptera Thripidae) 1263066 Melon Thrips Family Thrips palmi is a highly polyphagous and a key pest, particularly on plants belonging to cucurbitaceae and solanaceae. Thrips palmi was first described by h. Thrips palmi karny is commonly known as melon thrips. Karny in 1925 from specimens collected in 1921 on tobacco in sumatra. Originally from southeast asia, the melon thrips is an. Although called the melon thrips,. Melon Thrips Family.
From apps.lucidcentral.org
Melon thrips (106) Melon Thrips Family The melon thrips has an extremely wide range of host plants, including nearly all kinds of vegetables, many fruit trees and weeds, and several flowering plants such as. It causes direct feeding damage and damage due to. Although called the melon thrips, it is polyphagous and causes damage to plant species in a wide range of families. Karny in 1925. Melon Thrips Family.
From www.invasive.org
melon thrips (Thrips palmi) Melon Thrips Family Although called the melon thrips, it is polyphagous and causes damage to plant species in a wide range of families. The melon thrips has an extremely wide range of host plants, including nearly all kinds of vegetables, many fruit trees and weeds, and several flowering plants such as. Thrips palmi is a highly polyphagous and a key pest, particularly on. Melon Thrips Family.
From www.forestryimages.org
melon thrips, Thrips palmi (Thysanoptera Thripidae) 5186065 Melon Thrips Family Thrips palmi is a highly polyphagous and a key pest, particularly on plants belonging to cucurbitaceae and solanaceae. Originally from southeast asia, the melon thrips is an. The melon thrips has an extremely wide range of host plants, including nearly all kinds of vegetables, many fruit trees and weeds, and several flowering plants such as. It was named after the. Melon Thrips Family.
From entnemdept.ufl.edu
UF/IFAS Vegetable Arthropod Pest Photographs CDROM II Melon Thrips Family Karny in 1925 from specimens collected in 1921 on tobacco in sumatra. Thrips palmi karny is commonly known as melon thrips. Originally from southeast asia, the melon thrips is an. Thrips palmi was first described by h. The melon thrips has an extremely wide range of host plants, including nearly all kinds of vegetables, many fruit trees and weeds, and. Melon Thrips Family.
From www.hortweek.com
Why the glasshouse sector should be alert to the threat of melon thrips Melon Thrips Family Although called the melon thrips, it is polyphagous and causes damage to plant species in a wide range of families. Karny in 1925 from specimens collected in 1921 on tobacco in sumatra. Thrips cause damage to a wide range of ornamental, vegetable and crops in the philippines such as eggplant,. Thrips palmi karny is commonly known as melon thrips. It. Melon Thrips Family.
From minnetonkaorchards.com
How to Identify and Get Rid of Watermelon Pests Minneopa Orchards Melon Thrips Family It was named after the director of the medan quarantine station, dr bt palm, and although it has been referred to as 'palm thrips' (cie, 1986) it is not known to be associated with any palm tree species. Thrips palmi is a highly polyphagous and a key pest, particularly on plants belonging to cucurbitaceae and solanaceae. Originally from southeast asia,. Melon Thrips Family.
From www.invasive.org
melon thrips (Thrips palmi) Melon Thrips Family Karny in 1925 from specimens collected in 1921 on tobacco in sumatra. Thrips palmi was first described by h. Thrips palmi is a highly polyphagous and a key pest, particularly on plants belonging to cucurbitaceae and solanaceae. Thrips palmi karny is commonly known as melon thrips. Thrips cause damage to a wide range of ornamental, vegetable and crops in the. Melon Thrips Family.
From www.insectimages.org
melon thrips (Thrips palmi ) on watermelon (Citrullus lanatus ) 5603647 Melon Thrips Family The melon thrips has an extremely wide range of host plants, including nearly all kinds of vegetables, many fruit trees and weeds, and several flowering plants such as. It causes direct feeding damage and damage due to. Although called the melon thrips, it is polyphagous and causes damage to plant species in a wide range of families. Thrips cause damage. Melon Thrips Family.
From www.forestryimages.org
melon thrips, Thrips palmi (Thysanoptera Thripidae) 5169030 Melon Thrips Family Thrips palmi karny is commonly known as melon thrips. Thrips cause damage to a wide range of ornamental, vegetable and crops in the philippines such as eggplant,. It was named after the director of the medan quarantine station, dr bt palm, and although it has been referred to as 'palm thrips' (cie, 1986) it is not known to be associated. Melon Thrips Family.
From www.invasive.org
melon thrips (Thrips palmi) Melon Thrips Family Although called the melon thrips, it is polyphagous and causes damage to plant species in a wide range of families. Karny in 1925 from specimens collected in 1921 on tobacco in sumatra. It was named after the director of the medan quarantine station, dr bt palm, and although it has been referred to as 'palm thrips' (cie, 1986) it is. Melon Thrips Family.
From www.nexles.com
aubergine solanum melongena thrips Nexles Melon Thrips Family Although called the melon thrips, it is polyphagous and causes damage to plant species in a wide range of families. It causes direct feeding damage and damage due to. Thrips palmi was first described by h. Thrips cause damage to a wide range of ornamental, vegetable and crops in the philippines such as eggplant,. The melon thrips has an extremely. Melon Thrips Family.
From www.forestryimages.org
melon thrips, Thrips palmi (Thysanoptera Thripidae) 1263067 Melon Thrips Family It causes direct feeding damage and damage due to. Thrips palmi is a highly polyphagous and a key pest, particularly on plants belonging to cucurbitaceae and solanaceae. Although called the melon thrips, it is polyphagous and causes damage to plant species in a wide range of families. Thrips cause damage to a wide range of ornamental, vegetable and crops in. Melon Thrips Family.
From www.koppertus.com
Ten Facts About Thrips Koppert US Melon Thrips Family The melon thrips has an extremely wide range of host plants, including nearly all kinds of vegetables, many fruit trees and weeds, and several flowering plants such as. Karny in 1925 from specimens collected in 1921 on tobacco in sumatra. Thrips cause damage to a wide range of ornamental, vegetable and crops in the philippines such as eggplant,. Although called. Melon Thrips Family.
From www.insectimages.org
melon thrips (Thrips palmi) Melon Thrips Family Thrips cause damage to a wide range of ornamental, vegetable and crops in the philippines such as eggplant,. It was named after the director of the medan quarantine station, dr bt palm, and although it has been referred to as 'palm thrips' (cie, 1986) it is not known to be associated with any palm tree species. Although called the melon. Melon Thrips Family.
From www.mdpi.com
Insects Free FullText Host Plant Association and Distribution of Melon Thrips Family The melon thrips has an extremely wide range of host plants, including nearly all kinds of vegetables, many fruit trees and weeds, and several flowering plants such as. Thrips palmi karny is commonly known as melon thrips. Thrips palmi was first described by h. Karny in 1925 from specimens collected in 1921 on tobacco in sumatra. It causes direct feeding. Melon Thrips Family.
From biharhelp.com
8 Bugs That Look Like Lice (Know the Difference) » Melon Thrips Family Thrips cause damage to a wide range of ornamental, vegetable and crops in the philippines such as eggplant,. Thrips palmi karny is commonly known as melon thrips. The melon thrips has an extremely wide range of host plants, including nearly all kinds of vegetables, many fruit trees and weeds, and several flowering plants such as. It was named after the. Melon Thrips Family.
From apps.lucidcentral.org
Fact sheet Melon thrips (106) Melon Thrips Family Originally from southeast asia, the melon thrips is an. It was named after the director of the medan quarantine station, dr bt palm, and although it has been referred to as 'palm thrips' (cie, 1986) it is not known to be associated with any palm tree species. Although called the melon thrips, it is polyphagous and causes damage to plant. Melon Thrips Family.
From extension.usu.edu
Thrips USU Melon Thrips Family The melon thrips has an extremely wide range of host plants, including nearly all kinds of vegetables, many fruit trees and weeds, and several flowering plants such as. Originally from southeast asia, the melon thrips is an. Karny in 1925 from specimens collected in 1921 on tobacco in sumatra. Thrips palmi karny is commonly known as melon thrips. Thrips palmi. Melon Thrips Family.
From www.frontiersin.org
Frontiers Resistance to Thrips in Peanut and Implications for Melon Thrips Family Thrips palmi is a highly polyphagous and a key pest, particularly on plants belonging to cucurbitaceae and solanaceae. Karny in 1925 from specimens collected in 1921 on tobacco in sumatra. The melon thrips has an extremely wide range of host plants, including nearly all kinds of vegetables, many fruit trees and weeds, and several flowering plants such as. It was. Melon Thrips Family.