Oakdale La Map . Avoid traffic with optimized routes. Get directions, find nearby businesses and places, and much more. Oakdale has about 6,690 residents. Oakdale is a city in allen parish in south louisiana, united states. Learn more about our mobile apps. The population was 8,137 at the 2000 census. Oakdale was founded as dunnsville by. Oakdale is a small city in allen parish, louisiana, united states. Map of oakdale and suburbs. Find local businesses, view maps and get driving directions in google maps. Discover places to visit and explore on bing maps, like oakdale, louisiana. Oakdale, louisiana map with satellite view.
from www.freecountrymaps.com
Oakdale is a city in allen parish in south louisiana, united states. Discover places to visit and explore on bing maps, like oakdale, louisiana. Find local businesses, view maps and get driving directions in google maps. Avoid traffic with optimized routes. Get directions, find nearby businesses and places, and much more. Oakdale was founded as dunnsville by. Oakdale has about 6,690 residents. Oakdale, louisiana map with satellite view. Map of oakdale and suburbs. The population was 8,137 at the 2000 census.
Oakdale Map United States Latitude & Longitude Free Maps
Oakdale La Map Oakdale is a small city in allen parish, louisiana, united states. The population was 8,137 at the 2000 census. Map of oakdale and suburbs. Learn more about our mobile apps. Get directions, find nearby businesses and places, and much more. Find local businesses, view maps and get driving directions in google maps. Oakdale, louisiana map with satellite view. Oakdale is a small city in allen parish, louisiana, united states. Oakdale is a city in allen parish in south louisiana, united states. Oakdale has about 6,690 residents. Discover places to visit and explore on bing maps, like oakdale, louisiana. Oakdale was founded as dunnsville by. Avoid traffic with optimized routes.
From ttarchive.com
Oakdale & Gulf Railway Company (La.), Map Showing Route in 1922. Oakdale La Map Oakdale is a city in allen parish in south louisiana, united states. Get directions, find nearby businesses and places, and much more. Map of oakdale and suburbs. The population was 8,137 at the 2000 census. Oakdale is a small city in allen parish, louisiana, united states. Learn more about our mobile apps. Oakdale, louisiana map with satellite view. Oakdale has. Oakdale La Map.
From www.alamy.com
Map of oakdale louisiana hires stock photography and images Alamy Oakdale La Map Oakdale, louisiana map with satellite view. Learn more about our mobile apps. Map of oakdale and suburbs. Find local businesses, view maps and get driving directions in google maps. Get directions, find nearby businesses and places, and much more. Oakdale was founded as dunnsville by. The population was 8,137 at the 2000 census. Discover places to visit and explore on. Oakdale La Map.
From diaocthongthai.com
Map of Oakdale city, Louisiana Thong Thai Real Oakdale La Map Oakdale has about 6,690 residents. Learn more about our mobile apps. Oakdale, louisiana map with satellite view. Oakdale was founded as dunnsville by. Find local businesses, view maps and get driving directions in google maps. Oakdale is a city in allen parish in south louisiana, united states. Get directions, find nearby businesses and places, and much more. Oakdale is a. Oakdale La Map.
From diaocthongthai.com
Map of Oakdale city, Louisiana Thong Thai Real Oakdale La Map Oakdale is a small city in allen parish, louisiana, united states. Learn more about our mobile apps. Avoid traffic with optimized routes. Discover places to visit and explore on bing maps, like oakdale, louisiana. Oakdale is a city in allen parish in south louisiana, united states. Find local businesses, view maps and get driving directions in google maps. Oakdale was. Oakdale La Map.
From townmapsusa.com
Map of Oakdale, LA, Louisiana Oakdale La Map Oakdale is a city in allen parish in south louisiana, united states. Discover places to visit and explore on bing maps, like oakdale, louisiana. Learn more about our mobile apps. The population was 8,137 at the 2000 census. Oakdale is a small city in allen parish, louisiana, united states. Map of oakdale and suburbs. Oakdale was founded as dunnsville by.. Oakdale La Map.
From www.landsat.com
Aerial Photography Map of Oakdale, LA Louisiana Oakdale La Map The population was 8,137 at the 2000 census. Learn more about our mobile apps. Discover places to visit and explore on bing maps, like oakdale, louisiana. Map of oakdale and suburbs. Get directions, find nearby businesses and places, and much more. Avoid traffic with optimized routes. Oakdale has about 6,690 residents. Oakdale was founded as dunnsville by. Oakdale, louisiana map. Oakdale La Map.
From www.alamy.com
Oakdale on a map hires stock photography and images Alamy Oakdale La Map Oakdale is a small city in allen parish, louisiana, united states. Get directions, find nearby businesses and places, and much more. Oakdale was founded as dunnsville by. Map of oakdale and suburbs. Oakdale, louisiana map with satellite view. Find local businesses, view maps and get driving directions in google maps. The population was 8,137 at the 2000 census. Avoid traffic. Oakdale La Map.
From www.alamy.com
Map of oakdale louisiana Cut Out Stock Images & Pictures Alamy Oakdale La Map Get directions, find nearby businesses and places, and much more. The population was 8,137 at the 2000 census. Discover places to visit and explore on bing maps, like oakdale, louisiana. Map of oakdale and suburbs. Oakdale has about 6,690 residents. Learn more about our mobile apps. Find local businesses, view maps and get driving directions in google maps. Avoid traffic. Oakdale La Map.
From bestneighborhood.org
Race, Diversity, and Ethnicity in Oakdale, LA Oakdale La Map Oakdale, louisiana map with satellite view. Oakdale has about 6,690 residents. Oakdale was founded as dunnsville by. Discover places to visit and explore on bing maps, like oakdale, louisiana. The population was 8,137 at the 2000 census. Learn more about our mobile apps. Oakdale is a small city in allen parish, louisiana, united states. Oakdale is a city in allen. Oakdale La Map.
From www.yellowmaps.com
Oakdale topographic map, CA USGS Topo Quad 37120g7 Oakdale La Map Avoid traffic with optimized routes. Discover places to visit and explore on bing maps, like oakdale, louisiana. Oakdale is a small city in allen parish, louisiana, united states. The population was 8,137 at the 2000 census. Oakdale, louisiana map with satellite view. Oakdale has about 6,690 residents. Map of oakdale and suburbs. Learn more about our mobile apps. Find local. Oakdale La Map.
From diaocthongthai.com
Map of Oakdale city, Louisiana Thong Thai Real Oakdale La Map Oakdale was founded as dunnsville by. Oakdale is a small city in allen parish, louisiana, united states. Discover places to visit and explore on bing maps, like oakdale, louisiana. Find local businesses, view maps and get driving directions in google maps. Get directions, find nearby businesses and places, and much more. Oakdale has about 6,690 residents. Oakdale, louisiana map with. Oakdale La Map.
From www.landsat.com
Oakdale Louisiana Street Map 2256540 Oakdale La Map Oakdale was founded as dunnsville by. Avoid traffic with optimized routes. Learn more about our mobile apps. Oakdale, louisiana map with satellite view. Map of oakdale and suburbs. Get directions, find nearby businesses and places, and much more. Oakdale is a small city in allen parish, louisiana, united states. Oakdale has about 6,690 residents. Discover places to visit and explore. Oakdale La Map.
From bestneighborhood.com
DSL in Oakdale, LA with Speeds, Providers, and Coverage Oakdale La Map Avoid traffic with optimized routes. Oakdale was founded as dunnsville by. Find local businesses, view maps and get driving directions in google maps. Discover places to visit and explore on bing maps, like oakdale, louisiana. Map of oakdale and suburbs. Oakdale is a small city in allen parish, louisiana, united states. Oakdale, louisiana map with satellite view. Oakdale is a. Oakdale La Map.
From www.slideshare.net
Ward Precinct map Oakdale La Map Oakdale was founded as dunnsville by. Map of oakdale and suburbs. Oakdale is a city in allen parish in south louisiana, united states. Avoid traffic with optimized routes. Oakdale has about 6,690 residents. Oakdale is a small city in allen parish, louisiana, united states. The population was 8,137 at the 2000 census. Oakdale, louisiana map with satellite view. Discover places. Oakdale La Map.
From www.alamy.com
Map of Oakdale. 1870 Stock Photo Alamy Oakdale La Map Avoid traffic with optimized routes. Find local businesses, view maps and get driving directions in google maps. Oakdale was founded as dunnsville by. The population was 8,137 at the 2000 census. Learn more about our mobile apps. Map of oakdale and suburbs. Oakdale has about 6,690 residents. Get directions, find nearby businesses and places, and much more. Oakdale, louisiana map. Oakdale La Map.
From www.mytopo.com
MyTopo Oakdale, Louisiana USGS Quad Topo Map Oakdale La Map Oakdale, louisiana map with satellite view. Discover places to visit and explore on bing maps, like oakdale, louisiana. Get directions, find nearby businesses and places, and much more. Oakdale was founded as dunnsville by. Learn more about our mobile apps. Oakdale has about 6,690 residents. Oakdale is a small city in allen parish, louisiana, united states. Oakdale is a city. Oakdale La Map.
From www.facebook.com
Oakville Residents Unite (uncensored) Oakdale La Map Map of oakdale and suburbs. Oakdale has about 6,690 residents. Avoid traffic with optimized routes. The population was 8,137 at the 2000 census. Get directions, find nearby businesses and places, and much more. Oakdale, louisiana map with satellite view. Oakdale was founded as dunnsville by. Oakdale is a small city in allen parish, louisiana, united states. Discover places to visit. Oakdale La Map.
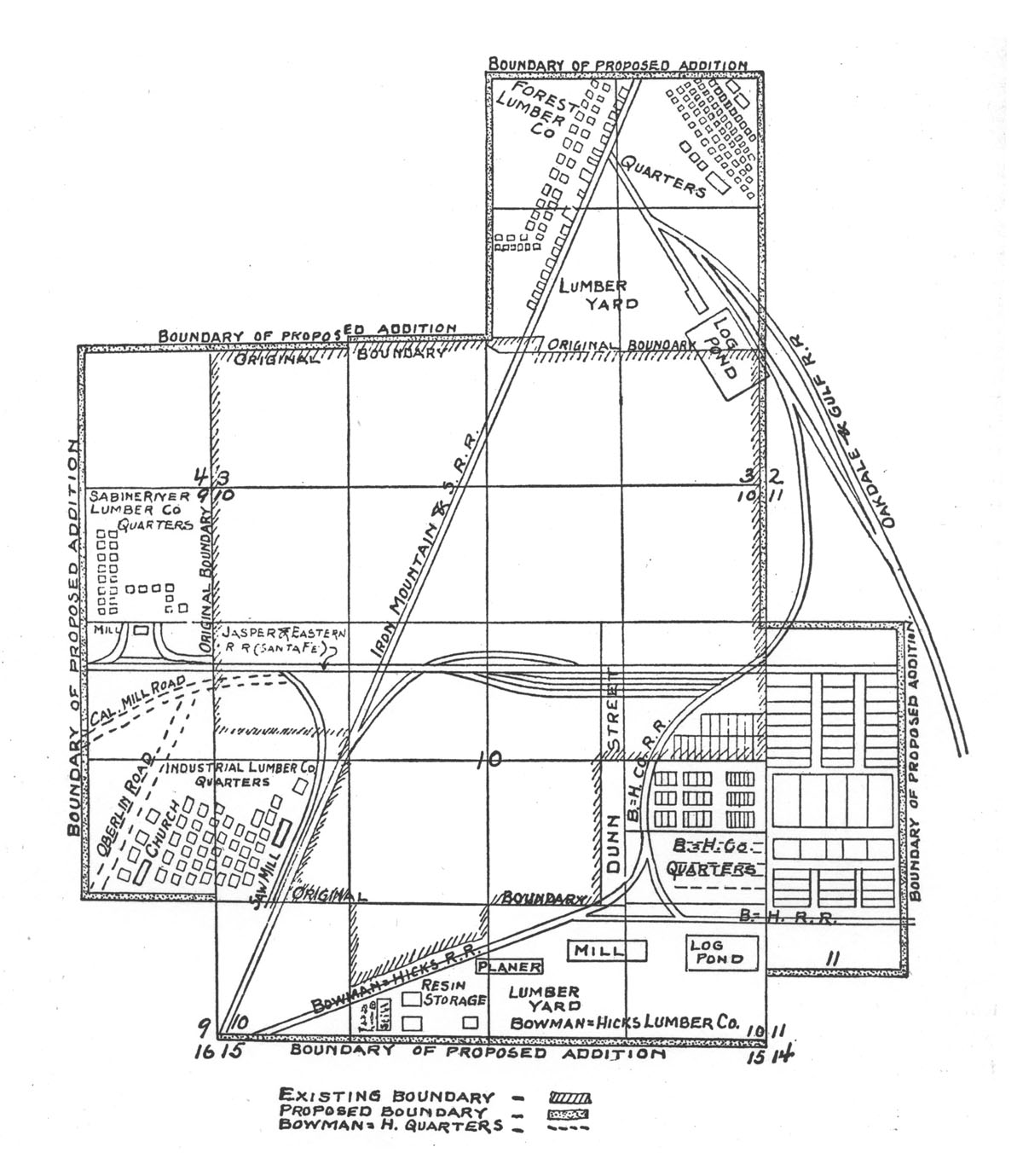
From www.ttarchive.com
Oakdale & Gulf Railway Company (La.), Map Showing Mill Layout at Oakdale La Map Oakdale is a city in allen parish in south louisiana, united states. Learn more about our mobile apps. Oakdale, louisiana map with satellite view. Find local businesses, view maps and get driving directions in google maps. Discover places to visit and explore on bing maps, like oakdale, louisiana. Oakdale has about 6,690 residents. Oakdale is a small city in allen. Oakdale La Map.
From www.landsat.com
Oakdale Louisiana Street Map 2256540 Oakdale La Map Get directions, find nearby businesses and places, and much more. The population was 8,137 at the 2000 census. Oakdale is a city in allen parish in south louisiana, united states. Oakdale is a small city in allen parish, louisiana, united states. Avoid traffic with optimized routes. Oakdale was founded as dunnsville by. Learn more about our mobile apps. Map of. Oakdale La Map.
From www.yellowmaps.com
Oakdale topographic map, FL USGS Topo Quad 30085f2 Oakdale La Map Oakdale has about 6,690 residents. Learn more about our mobile apps. Get directions, find nearby businesses and places, and much more. Oakdale is a small city in allen parish, louisiana, united states. The population was 8,137 at the 2000 census. Oakdale is a city in allen parish in south louisiana, united states. Map of oakdale and suburbs. Discover places to. Oakdale La Map.
From bestneighborhood.com
DSL in Oakdale, LA with Speeds, Providers, and Coverage Oakdale La Map Avoid traffic with optimized routes. Learn more about our mobile apps. Find local businesses, view maps and get driving directions in google maps. Get directions, find nearby businesses and places, and much more. Discover places to visit and explore on bing maps, like oakdale, louisiana. Oakdale is a small city in allen parish, louisiana, united states. Oakdale, louisiana map with. Oakdale La Map.
From www.freecountrymaps.com
Oakdale Map United States Latitude & Longitude Free Maps Oakdale La Map Avoid traffic with optimized routes. Oakdale is a city in allen parish in south louisiana, united states. The population was 8,137 at the 2000 census. Discover places to visit and explore on bing maps, like oakdale, louisiana. Oakdale is a small city in allen parish, louisiana, united states. Oakdale was founded as dunnsville by. Learn more about our mobile apps.. Oakdale La Map.
From crimegrade.org
Oakdale, LA Violent Crime Rates and Maps Oakdale La Map Learn more about our mobile apps. Oakdale is a city in allen parish in south louisiana, united states. Map of oakdale and suburbs. Oakdale was founded as dunnsville by. Find local businesses, view maps and get driving directions in google maps. The population was 8,137 at the 2000 census. Discover places to visit and explore on bing maps, like oakdale,. Oakdale La Map.
From crimegrade.org
The Safest and Most Dangerous Places in Oakdale, LA Crime Maps and Oakdale La Map Oakdale is a city in allen parish in south louisiana, united states. Find local businesses, view maps and get driving directions in google maps. The population was 8,137 at the 2000 census. Map of oakdale and suburbs. Learn more about our mobile apps. Oakdale was founded as dunnsville by. Oakdale has about 6,690 residents. Oakdale is a small city in. Oakdale La Map.
From www.alamy.com
Oakdale louisiana map hires stock photography and images Alamy Oakdale La Map Oakdale, louisiana map with satellite view. Learn more about our mobile apps. Oakdale was founded as dunnsville by. Find local businesses, view maps and get driving directions in google maps. The population was 8,137 at the 2000 census. Oakdale is a small city in allen parish, louisiana, united states. Get directions, find nearby businesses and places, and much more. Map. Oakdale La Map.
From crimegrade.org
The Safest and Most Dangerous Places in Oakdale, LA Crime Maps and Oakdale La Map Oakdale, louisiana map with satellite view. Map of oakdale and suburbs. Oakdale is a city in allen parish in south louisiana, united states. Avoid traffic with optimized routes. Find local businesses, view maps and get driving directions in google maps. Learn more about our mobile apps. Oakdale was founded as dunnsville by. Discover places to visit and explore on bing. Oakdale La Map.
From www.landsat.com
Aerial Photography Map of Oakdale, LA Louisiana Oakdale La Map Discover places to visit and explore on bing maps, like oakdale, louisiana. Map of oakdale and suburbs. The population was 8,137 at the 2000 census. Get directions, find nearby businesses and places, and much more. Avoid traffic with optimized routes. Find local businesses, view maps and get driving directions in google maps. Learn more about our mobile apps. Oakdale is. Oakdale La Map.
From www.zazzle.co.uk
Oakdale California Vintage Map Zazzle.co.uk Oakdale La Map Oakdale is a small city in allen parish, louisiana, united states. Learn more about our mobile apps. Avoid traffic with optimized routes. Oakdale was founded as dunnsville by. Oakdale is a city in allen parish in south louisiana, united states. The population was 8,137 at the 2000 census. Discover places to visit and explore on bing maps, like oakdale, louisiana.. Oakdale La Map.
From bestneighborhood.org
Oakdale, LA Political Map Democrat & Republican Areas in Oakdale Oakdale La Map Discover places to visit and explore on bing maps, like oakdale, louisiana. Avoid traffic with optimized routes. Oakdale was founded as dunnsville by. Oakdale is a city in allen parish in south louisiana, united states. Oakdale, louisiana map with satellite view. Learn more about our mobile apps. Find local businesses, view maps and get driving directions in google maps. Get. Oakdale La Map.
From www.freecountrymaps.com
Oakdale Map United States Latitude & Longitude Free Maps Oakdale La Map Oakdale is a small city in allen parish, louisiana, united states. Oakdale, louisiana map with satellite view. Oakdale was founded as dunnsville by. Discover places to visit and explore on bing maps, like oakdale, louisiana. Get directions, find nearby businesses and places, and much more. Oakdale has about 6,690 residents. The population was 8,137 at the 2000 census. Oakdale is. Oakdale La Map.
From www.floodmap.net
Elevation of Oakdale,US Elevation Map, Topography, Contour Oakdale La Map Oakdale is a small city in allen parish, louisiana, united states. Oakdale is a city in allen parish in south louisiana, united states. Find local businesses, view maps and get driving directions in google maps. Learn more about our mobile apps. Avoid traffic with optimized routes. Oakdale, louisiana map with satellite view. The population was 8,137 at the 2000 census.. Oakdale La Map.
From www.ttarchive.com
Oakdale & Gulf Railway Company (La.), Map Showing Route in 1920. Oakdale La Map Oakdale, louisiana map with satellite view. Learn more about our mobile apps. Oakdale is a small city in allen parish, louisiana, united states. Find local businesses, view maps and get driving directions in google maps. Get directions, find nearby businesses and places, and much more. The population was 8,137 at the 2000 census. Oakdale is a city in allen parish. Oakdale La Map.
From diaocthongthai.com
Map of Oakdale city, Louisiana Thong Thai Real Oakdale La Map Oakdale was founded as dunnsville by. Oakdale has about 6,690 residents. Find local businesses, view maps and get driving directions in google maps. Get directions, find nearby businesses and places, and much more. Avoid traffic with optimized routes. Learn more about our mobile apps. Discover places to visit and explore on bing maps, like oakdale, louisiana. Oakdale is a small. Oakdale La Map.
From www.mytopo.com
MyTopo Oakdale, Louisiana USGS Quad Topo Map Oakdale La Map The population was 8,137 at the 2000 census. Oakdale has about 6,690 residents. Map of oakdale and suburbs. Avoid traffic with optimized routes. Oakdale was founded as dunnsville by. Learn more about our mobile apps. Oakdale, louisiana map with satellite view. Discover places to visit and explore on bing maps, like oakdale, louisiana. Oakdale is a city in allen parish. Oakdale La Map.
From diaocthongthai.com
Map of Oakdale city, Louisiana Thong Thai Real Oakdale La Map Find local businesses, view maps and get driving directions in google maps. Oakdale was founded as dunnsville by. Learn more about our mobile apps. Get directions, find nearby businesses and places, and much more. Discover places to visit and explore on bing maps, like oakdale, louisiana. The population was 8,137 at the 2000 census. Map of oakdale and suburbs. Oakdale,. Oakdale La Map.