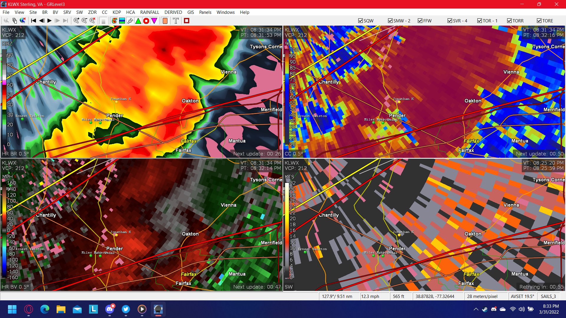
Oakton Va Tornado . The national weather service confirmed seven tornados touched down in maryland, west virginia, and virginia on. See a list of all of the official weather advisories, warnings, and severe weather alerts for oakton, va. And have continued to overspread the area. — a tornado was spotted in fairfax county thursday evening, according to the national weather service. A chaotic morning in and around the nation’s capital after multiple tornado warnings were issued as the remnants of tropical storm. A tornado spawned by the remnants of tropical storm debby touched down in loudoun county, virginia, on thursday evening, cutting a. “tornado warning including mclean va, oakton va, fair oaks va until 8:45 pm edt”
from richmond.com
The national weather service confirmed seven tornados touched down in maryland, west virginia, and virginia on. A chaotic morning in and around the nation’s capital after multiple tornado warnings were issued as the remnants of tropical storm. And have continued to overspread the area. A tornado spawned by the remnants of tropical storm debby touched down in loudoun county, virginia, on thursday evening, cutting a. “tornado warning including mclean va, oakton va, fair oaks va until 8:45 pm edt” — a tornado was spotted in fairfax county thursday evening, according to the national weather service. See a list of all of the official weather advisories, warnings, and severe weather alerts for oakton, va.
Virginia has seen more tornadoes in April than any other month
Oakton Va Tornado “tornado warning including mclean va, oakton va, fair oaks va until 8:45 pm edt” The national weather service confirmed seven tornados touched down in maryland, west virginia, and virginia on. “tornado warning including mclean va, oakton va, fair oaks va until 8:45 pm edt” And have continued to overspread the area. — a tornado was spotted in fairfax county thursday evening, according to the national weather service. A chaotic morning in and around the nation’s capital after multiple tornado warnings were issued as the remnants of tropical storm. A tornado spawned by the remnants of tropical storm debby touched down in loudoun county, virginia, on thursday evening, cutting a. See a list of all of the official weather advisories, warnings, and severe weather alerts for oakton, va.
From cardinalnews.org
No 2023 VA April tornadoes Looking back at past Virginia tornadoes Oakton Va Tornado The national weather service confirmed seven tornados touched down in maryland, west virginia, and virginia on. And have continued to overspread the area. A tornado spawned by the remnants of tropical storm debby touched down in loudoun county, virginia, on thursday evening, cutting a. — a tornado was spotted in fairfax county thursday evening, according to the national weather service.. Oakton Va Tornado.
From richmond.com
Virginia has seen more tornadoes in April than any other month Oakton Va Tornado A tornado spawned by the remnants of tropical storm debby touched down in loudoun county, virginia, on thursday evening, cutting a. “tornado warning including mclean va, oakton va, fair oaks va until 8:45 pm edt” See a list of all of the official weather advisories, warnings, and severe weather alerts for oakton, va. — a tornado was spotted in fairfax. Oakton Va Tornado.
From www.wric.com
LOOK BACK Recent tornadoes around Richmond WRIC ABC 8News Oakton Va Tornado “tornado warning including mclean va, oakton va, fair oaks va until 8:45 pm edt” A tornado spawned by the remnants of tropical storm debby touched down in loudoun county, virginia, on thursday evening, cutting a. A chaotic morning in and around the nation’s capital after multiple tornado warnings were issued as the remnants of tropical storm. And have continued to. Oakton Va Tornado.
From www.cbsnews.com
Virginia Tornadoes Photo 3 Pictures CBS News Oakton Va Tornado See a list of all of the official weather advisories, warnings, and severe weather alerts for oakton, va. A tornado spawned by the remnants of tropical storm debby touched down in loudoun county, virginia, on thursday evening, cutting a. The national weather service confirmed seven tornados touched down in maryland, west virginia, and virginia on. A chaotic morning in and. Oakton Va Tornado.
From abcnews.go.com
EF3 tornado destroys more than 100 structures in Virginia Beach Oakton Va Tornado A tornado spawned by the remnants of tropical storm debby touched down in loudoun county, virginia, on thursday evening, cutting a. A chaotic morning in and around the nation’s capital after multiple tornado warnings were issued as the remnants of tropical storm. “tornado warning including mclean va, oakton va, fair oaks va until 8:45 pm edt” And have continued to. Oakton Va Tornado.
From www.cbsnews.com
Virginia Tornadoes Photo 19 Pictures CBS News Oakton Va Tornado — a tornado was spotted in fairfax county thursday evening, according to the national weather service. See a list of all of the official weather advisories, warnings, and severe weather alerts for oakton, va. A chaotic morning in and around the nation’s capital after multiple tornado warnings were issued as the remnants of tropical storm. A tornado spawned by the. Oakton Va Tornado.
From www.nbcnews.com
Four People Killed as Apparent Tornadoes Strike Virginia Oakton Va Tornado The national weather service confirmed seven tornados touched down in maryland, west virginia, and virginia on. A tornado spawned by the remnants of tropical storm debby touched down in loudoun county, virginia, on thursday evening, cutting a. A chaotic morning in and around the nation’s capital after multiple tornado warnings were issued as the remnants of tropical storm. See a. Oakton Va Tornado.
From www.13newsnow.com
Virginia Beach begins cleanup after tornado tears through Great Neck Oakton Va Tornado And have continued to overspread the area. “tornado warning including mclean va, oakton va, fair oaks va until 8:45 pm edt” A tornado spawned by the remnants of tropical storm debby touched down in loudoun county, virginia, on thursday evening, cutting a. See a list of all of the official weather advisories, warnings, and severe weather alerts for oakton, va.. Oakton Va Tornado.
From www.cbsnews.com
Virginia Tornadoes Photo 3 Pictures CBS News Oakton Va Tornado The national weather service confirmed seven tornados touched down in maryland, west virginia, and virginia on. A tornado spawned by the remnants of tropical storm debby touched down in loudoun county, virginia, on thursday evening, cutting a. See a list of all of the official weather advisories, warnings, and severe weather alerts for oakton, va. And have continued to overspread. Oakton Va Tornado.
From patch.com
4 Killed as Apparent Tornadoes Hit Virginia Fredericksburg, VA Patch Oakton Va Tornado The national weather service confirmed seven tornados touched down in maryland, west virginia, and virginia on. A chaotic morning in and around the nation’s capital after multiple tornado warnings were issued as the remnants of tropical storm. And have continued to overspread the area. — a tornado was spotted in fairfax county thursday evening, according to the national weather service.. Oakton Va Tornado.
From www.nbcnews.com
Tornado strikes Virginia coast, leaving behind trail of damage Oakton Va Tornado — a tornado was spotted in fairfax county thursday evening, according to the national weather service. A chaotic morning in and around the nation’s capital after multiple tornado warnings were issued as the remnants of tropical storm. A tornado spawned by the remnants of tropical storm debby touched down in loudoun county, virginia, on thursday evening, cutting a. The national. Oakton Va Tornado.
From www.fredericksburg.com
NWS Several tornadoes hit Virginia during Friday's storm State Oakton Va Tornado — a tornado was spotted in fairfax county thursday evening, according to the national weather service. “tornado warning including mclean va, oakton va, fair oaks va until 8:45 pm edt” The national weather service confirmed seven tornados touched down in maryland, west virginia, and virginia on. A chaotic morning in and around the nation’s capital after multiple tornado warnings were. Oakton Va Tornado.
From www.foxweather.com
Tornado spotted in Virginia on Sunday Latest Weather Clips FOX Weather Oakton Va Tornado — a tornado was spotted in fairfax county thursday evening, according to the national weather service. And have continued to overspread the area. A chaotic morning in and around the nation’s capital after multiple tornado warnings were issued as the remnants of tropical storm. “tornado warning including mclean va, oakton va, fair oaks va until 8:45 pm edt” The national. Oakton Va Tornado.
From soniayloreen.pages.dev
Tornado In West Virginia 2025 Gwenny Juliette Oakton Va Tornado A tornado spawned by the remnants of tropical storm debby touched down in loudoun county, virginia, on thursday evening, cutting a. — a tornado was spotted in fairfax county thursday evening, according to the national weather service. A chaotic morning in and around the nation’s capital after multiple tornado warnings were issued as the remnants of tropical storm. See a. Oakton Va Tornado.
From www.washingtonpost.com
Eight tornadoes touched down in Virginia in Wednesday’s deadly outbreak Oakton Va Tornado A tornado spawned by the remnants of tropical storm debby touched down in loudoun county, virginia, on thursday evening, cutting a. The national weather service confirmed seven tornados touched down in maryland, west virginia, and virginia on. See a list of all of the official weather advisories, warnings, and severe weather alerts for oakton, va. “tornado warning including mclean va,. Oakton Va Tornado.
From patch.com
Tracks of 9 Tornadoes During Fatal Storms in Virginia Fredericksburg Oakton Va Tornado “tornado warning including mclean va, oakton va, fair oaks va until 8:45 pm edt” And have continued to overspread the area. The national weather service confirmed seven tornados touched down in maryland, west virginia, and virginia on. — a tornado was spotted in fairfax county thursday evening, according to the national weather service. See a list of all of the. Oakton Va Tornado.
From wcyb.com
Tornadoes touch down in Virginia WCYB Oakton Va Tornado A chaotic morning in and around the nation’s capital after multiple tornado warnings were issued as the remnants of tropical storm. — a tornado was spotted in fairfax county thursday evening, according to the national weather service. The national weather service confirmed seven tornados touched down in maryland, west virginia, and virginia on. See a list of all of the. Oakton Va Tornado.
From richmond.com
Cleanup continues in Franklin County after Friday's 159mph tornado Oakton Va Tornado See a list of all of the official weather advisories, warnings, and severe weather alerts for oakton, va. — a tornado was spotted in fairfax county thursday evening, according to the national weather service. “tornado warning including mclean va, oakton va, fair oaks va until 8:45 pm edt” And have continued to overspread the area. A tornado spawned by the. Oakton Va Tornado.
From www.delaware-surf-fishing.com
Tornado Touches Down in Waverly Virginia Oakton Va Tornado A chaotic morning in and around the nation’s capital after multiple tornado warnings were issued as the remnants of tropical storm. The national weather service confirmed seven tornados touched down in maryland, west virginia, and virginia on. And have continued to overspread the area. A tornado spawned by the remnants of tropical storm debby touched down in loudoun county, virginia,. Oakton Va Tornado.
From survive-a-storm.com
Virginia Tornado Shelters Finding a Storm Shelter Near Me Oakton Va Tornado The national weather service confirmed seven tornados touched down in maryland, west virginia, and virginia on. “tornado warning including mclean va, oakton va, fair oaks va until 8:45 pm edt” And have continued to overspread the area. See a list of all of the official weather advisories, warnings, and severe weather alerts for oakton, va. A chaotic morning in and. Oakton Va Tornado.
From www.thegardenisland.com
Tornadoes in Virginia and Florida, flooding in other states The Oakton Va Tornado — a tornado was spotted in fairfax county thursday evening, according to the national weather service. And have continued to overspread the area. See a list of all of the official weather advisories, warnings, and severe weather alerts for oakton, va. The national weather service confirmed seven tornados touched down in maryland, west virginia, and virginia on. A chaotic morning. Oakton Va Tornado.
From www.severestudios.com
Another shot of the tornado here in Appomattox VA, sent to me by local Oakton Va Tornado A chaotic morning in and around the nation’s capital after multiple tornado warnings were issued as the remnants of tropical storm. — a tornado was spotted in fairfax county thursday evening, according to the national weather service. “tornado warning including mclean va, oakton va, fair oaks va until 8:45 pm edt” The national weather service confirmed seven tornados touched down. Oakton Va Tornado.
From www.roanoke.com
Recovery continues after 8 tornadoes hit Virginia a year ago Virginia Oakton Va Tornado A tornado spawned by the remnants of tropical storm debby touched down in loudoun county, virginia, on thursday evening, cutting a. A chaotic morning in and around the nation’s capital after multiple tornado warnings were issued as the remnants of tropical storm. — a tornado was spotted in fairfax county thursday evening, according to the national weather service. The national. Oakton Va Tornado.
From twitter.com
NWS Tornado on Twitter "Tornado Warning continues for McLean VA Oakton Va Tornado “tornado warning including mclean va, oakton va, fair oaks va until 8:45 pm edt” See a list of all of the official weather advisories, warnings, and severe weather alerts for oakton, va. A chaotic morning in and around the nation’s capital after multiple tornado warnings were issued as the remnants of tropical storm. And have continued to overspread the area.. Oakton Va Tornado.
From www.cbsnews.com
Deadly tornado touches down near Richmond, Virginia CBS News Oakton Va Tornado See a list of all of the official weather advisories, warnings, and severe weather alerts for oakton, va. And have continued to overspread the area. A tornado spawned by the remnants of tropical storm debby touched down in loudoun county, virginia, on thursday evening, cutting a. “tornado warning including mclean va, oakton va, fair oaks va until 8:45 pm edt”. Oakton Va Tornado.
From www.upi.com
At least 8 killed, dozens injured in tornadoes, many in Virginia Oakton Va Tornado — a tornado was spotted in fairfax county thursday evening, according to the national weather service. “tornado warning including mclean va, oakton va, fair oaks va until 8:45 pm edt” A chaotic morning in and around the nation’s capital after multiple tornado warnings were issued as the remnants of tropical storm. See a list of all of the official weather. Oakton Va Tornado.
From www.sfgate.com
Virginia tornadoes injure hundreds Oakton Va Tornado — a tornado was spotted in fairfax county thursday evening, according to the national weather service. A chaotic morning in and around the nation’s capital after multiple tornado warnings were issued as the remnants of tropical storm. And have continued to overspread the area. The national weather service confirmed seven tornados touched down in maryland, west virginia, and virginia on.. Oakton Va Tornado.
From www.cbsnews.com
Virginia Tornadoes Photo 19 Pictures CBS News Oakton Va Tornado See a list of all of the official weather advisories, warnings, and severe weather alerts for oakton, va. A tornado spawned by the remnants of tropical storm debby touched down in loudoun county, virginia, on thursday evening, cutting a. The national weather service confirmed seven tornados touched down in maryland, west virginia, and virginia on. And have continued to overspread. Oakton Va Tornado.
From www.city-data.com
Tornado Damage pix at Hill Point Farms (deal, location) Hampton Roads Oakton Va Tornado “tornado warning including mclean va, oakton va, fair oaks va until 8:45 pm edt” — a tornado was spotted in fairfax county thursday evening, according to the national weather service. See a list of all of the official weather advisories, warnings, and severe weather alerts for oakton, va. A tornado spawned by the remnants of tropical storm debby touched down. Oakton Va Tornado.
From richmond.com
Virginia has seen more tornadoes in April than any other month Oakton Va Tornado “tornado warning including mclean va, oakton va, fair oaks va until 8:45 pm edt” A chaotic morning in and around the nation’s capital after multiple tornado warnings were issued as the remnants of tropical storm. The national weather service confirmed seven tornados touched down in maryland, west virginia, and virginia on. A tornado spawned by the remnants of tropical storm. Oakton Va Tornado.
From www.courthousenews.com
Tornadoes in Virginia and Florida, flooding in other states Oakton Va Tornado And have continued to overspread the area. A chaotic morning in and around the nation’s capital after multiple tornado warnings were issued as the remnants of tropical storm. — a tornado was spotted in fairfax county thursday evening, according to the national weather service. See a list of all of the official weather advisories, warnings, and severe weather alerts for. Oakton Va Tornado.
From richmond.com
It can happen here Virginia still at risk of violent tornadoes 25 Oakton Va Tornado See a list of all of the official weather advisories, warnings, and severe weather alerts for oakton, va. The national weather service confirmed seven tornados touched down in maryland, west virginia, and virginia on. “tornado warning including mclean va, oakton va, fair oaks va until 8:45 pm edt” And have continued to overspread the area. A tornado spawned by the. Oakton Va Tornado.
From twitter.com
NWS Tornado on Twitter "Tornado Warning continues for McLean VA Oakton Va Tornado “tornado warning including mclean va, oakton va, fair oaks va until 8:45 pm edt” And have continued to overspread the area. See a list of all of the official weather advisories, warnings, and severe weather alerts for oakton, va. — a tornado was spotted in fairfax county thursday evening, according to the national weather service. The national weather service confirmed. Oakton Va Tornado.
From www.accuweather.com
Deadly storms persist in southern US Oakton Va Tornado The national weather service confirmed seven tornados touched down in maryland, west virginia, and virginia on. A chaotic morning in and around the nation’s capital after multiple tornado warnings were issued as the remnants of tropical storm. “tornado warning including mclean va, oakton va, fair oaks va until 8:45 pm edt” See a list of all of the official weather. Oakton Va Tornado.
From www.cbsnews.com
Virginia Tornadoes Oakton Va Tornado The national weather service confirmed seven tornados touched down in maryland, west virginia, and virginia on. “tornado warning including mclean va, oakton va, fair oaks va until 8:45 pm edt” — a tornado was spotted in fairfax county thursday evening, according to the national weather service. A tornado spawned by the remnants of tropical storm debby touched down in loudoun. Oakton Va Tornado.