Boundary Survey American Land Title Association . Optional survey responsibilities and specifications. Whether any of the nineteen (19) items of table a are to be. Read on for several frequently asked questions about the new 2016 minimum standard detail requirements for alta/nsps. An alta/nsps survey is a land title survey that conforms to rules set by the american land title association. Alta surveys are boundary surveys created pursuant to a set of minimum standards adopted jointly by the american land title. Alta/nsps land title surveys are the next version of the former minimum standard detail requirements for alta/acsm land title. Nsps adopted the new 2021 minimum standard detail requirements for alta/nsps land title surveys on friday. Hundred surveyors, the american land title association and the national society of professional surveyors adopted the new 2021.
from www.stothardlandsurveying.com
Alta/nsps land title surveys are the next version of the former minimum standard detail requirements for alta/acsm land title. An alta/nsps survey is a land title survey that conforms to rules set by the american land title association. Optional survey responsibilities and specifications. Nsps adopted the new 2021 minimum standard detail requirements for alta/nsps land title surveys on friday. Alta surveys are boundary surveys created pursuant to a set of minimum standards adopted jointly by the american land title. Whether any of the nineteen (19) items of table a are to be. Hundred surveyors, the american land title association and the national society of professional surveyors adopted the new 2021. Read on for several frequently asked questions about the new 2016 minimum standard detail requirements for alta/nsps.
BOUNDARY SURVEY Stothard Land Surveying
Boundary Survey American Land Title Association Read on for several frequently asked questions about the new 2016 minimum standard detail requirements for alta/nsps. Nsps adopted the new 2021 minimum standard detail requirements for alta/nsps land title surveys on friday. Whether any of the nineteen (19) items of table a are to be. Optional survey responsibilities and specifications. An alta/nsps survey is a land title survey that conforms to rules set by the american land title association. Hundred surveyors, the american land title association and the national society of professional surveyors adopted the new 2021. Alta/nsps land title surveys are the next version of the former minimum standard detail requirements for alta/acsm land title. Read on for several frequently asked questions about the new 2016 minimum standard detail requirements for alta/nsps. Alta surveys are boundary surveys created pursuant to a set of minimum standards adopted jointly by the american land title.
From www.oregonsurveyor.net
ALTA/NSPS Land Title Surveys Pacific Crest Surveying Central California Boundary Survey American Land Title Association Whether any of the nineteen (19) items of table a are to be. Nsps adopted the new 2021 minimum standard detail requirements for alta/nsps land title surveys on friday. Read on for several frequently asked questions about the new 2016 minimum standard detail requirements for alta/nsps. Alta surveys are boundary surveys created pursuant to a set of minimum standards adopted. Boundary Survey American Land Title Association.
From www.statesboroherald.com
What is an ALTA Land Title Survey, and when do you need one Boundary Survey American Land Title Association Nsps adopted the new 2021 minimum standard detail requirements for alta/nsps land title surveys on friday. Hundred surveyors, the american land title association and the national society of professional surveyors adopted the new 2021. Whether any of the nineteen (19) items of table a are to be. Read on for several frequently asked questions about the new 2016 minimum standard. Boundary Survey American Land Title Association.
From www.mjslandsurvey.com
Boundary Survey Title Survey Scalice Land Surveying P.C. Land Boundary Survey American Land Title Association Alta/nsps land title surveys are the next version of the former minimum standard detail requirements for alta/acsm land title. Nsps adopted the new 2021 minimum standard detail requirements for alta/nsps land title surveys on friday. Alta surveys are boundary surveys created pursuant to a set of minimum standards adopted jointly by the american land title. Read on for several frequently. Boundary Survey American Land Title Association.
From www.cincinnatilandsurveyor.com
ALTA/NSPS Land Title Surveys Cincinnati > ster Land Surveying Boundary Survey American Land Title Association Alta/nsps land title surveys are the next version of the former minimum standard detail requirements for alta/acsm land title. Alta surveys are boundary surveys created pursuant to a set of minimum standards adopted jointly by the american land title. Whether any of the nineteen (19) items of table a are to be. Hundred surveyors, the american land title association and. Boundary Survey American Land Title Association.
From dsiohio.com
ALTA/NSPS Surveys Deibel Surveying Inc. Boundary Survey American Land Title Association Optional survey responsibilities and specifications. Nsps adopted the new 2021 minimum standard detail requirements for alta/nsps land title surveys on friday. An alta/nsps survey is a land title survey that conforms to rules set by the american land title association. Whether any of the nineteen (19) items of table a are to be. Read on for several frequently asked questions. Boundary Survey American Land Title Association.
From slideplayer.com
August 20, 2008 Land Surveying Presented By Ronald W. Flanagan, PLS Boundary Survey American Land Title Association Alta surveys are boundary surveys created pursuant to a set of minimum standards adopted jointly by the american land title. Hundred surveyors, the american land title association and the national society of professional surveyors adopted the new 2021. Optional survey responsibilities and specifications. An alta/nsps survey is a land title survey that conforms to rules set by the american land. Boundary Survey American Land Title Association.
From favpng.com
Surveyor Photography Silhouette, PNG, 605x857px, Surveyor, American Boundary Survey American Land Title Association Whether any of the nineteen (19) items of table a are to be. An alta/nsps survey is a land title survey that conforms to rules set by the american land title association. Read on for several frequently asked questions about the new 2016 minimum standard detail requirements for alta/nsps. Alta/nsps land title surveys are the next version of the former. Boundary Survey American Land Title Association.
From www.oregonsurveyor.net
ALTA/NSPS Land Title Surveys Pacific Crest Surveying Central California Boundary Survey American Land Title Association Read on for several frequently asked questions about the new 2016 minimum standard detail requirements for alta/nsps. An alta/nsps survey is a land title survey that conforms to rules set by the american land title association. Optional survey responsibilities and specifications. Whether any of the nineteen (19) items of table a are to be. Alta/nsps land title surveys are the. Boundary Survey American Land Title Association.
From www.cretelligent.com
Understanding the Difference between Boundary Surveys vs ALTA/NSPS Land Boundary Survey American Land Title Association Nsps adopted the new 2021 minimum standard detail requirements for alta/nsps land title surveys on friday. Hundred surveyors, the american land title association and the national society of professional surveyors adopted the new 2021. Alta/nsps land title surveys are the next version of the former minimum standard detail requirements for alta/acsm land title. Alta surveys are boundary surveys created pursuant. Boundary Survey American Land Title Association.
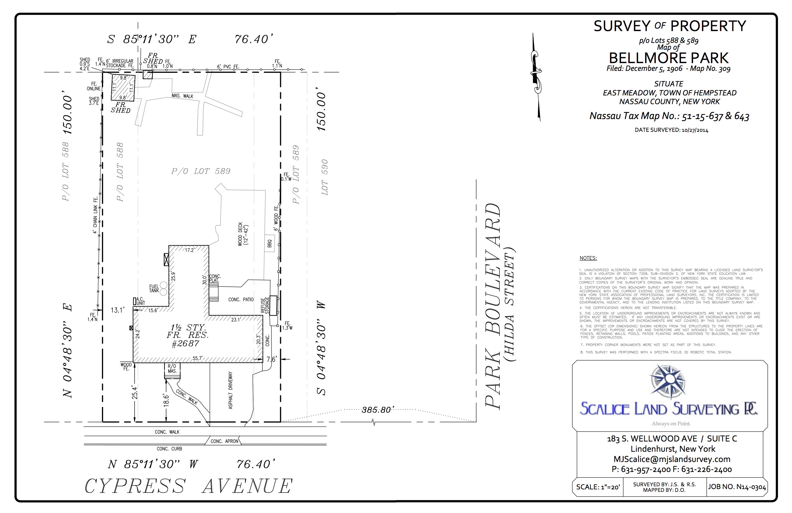
From www.mjslandsurvey.com
Boundary Survey Title Survey Scalice Land Surveying P.C. Land Boundary Survey American Land Title Association Optional survey responsibilities and specifications. Alta/nsps land title surveys are the next version of the former minimum standard detail requirements for alta/acsm land title. Alta surveys are boundary surveys created pursuant to a set of minimum standards adopted jointly by the american land title. Whether any of the nineteen (19) items of table a are to be. Read on for. Boundary Survey American Land Title Association.
From ctmale.com
New York State Boundary Survey Services Residential & Commercial Boundary Survey American Land Title Association Hundred surveyors, the american land title association and the national society of professional surveyors adopted the new 2021. Nsps adopted the new 2021 minimum standard detail requirements for alta/nsps land title surveys on friday. Alta surveys are boundary surveys created pursuant to a set of minimum standards adopted jointly by the american land title. Optional survey responsibilities and specifications. Whether. Boundary Survey American Land Title Association.
From hawthornesurvey.com
Boundary Surveys Hawthorne Land Surveying Services, Inc. Boundary Survey American Land Title Association Nsps adopted the new 2021 minimum standard detail requirements for alta/nsps land title surveys on friday. Whether any of the nineteen (19) items of table a are to be. Optional survey responsibilities and specifications. An alta/nsps survey is a land title survey that conforms to rules set by the american land title association. Read on for several frequently asked questions. Boundary Survey American Land Title Association.
From www.terratechsurveying.com
ALTA Survey TerraTech Land Surveying Eagle Pass, Texas Boundary Survey American Land Title Association Read on for several frequently asked questions about the new 2016 minimum standard detail requirements for alta/nsps. Optional survey responsibilities and specifications. Whether any of the nineteen (19) items of table a are to be. Hundred surveyors, the american land title association and the national society of professional surveyors adopted the new 2021. Alta/nsps land title surveys are the next. Boundary Survey American Land Title Association.
From pittsburghlandsurveying.com
Boundary_Survey_Example Pittsburgh Land Surveying Boundary Survey American Land Title Association Read on for several frequently asked questions about the new 2016 minimum standard detail requirements for alta/nsps. Whether any of the nineteen (19) items of table a are to be. Alta/nsps land title surveys are the next version of the former minimum standard detail requirements for alta/acsm land title. Optional survey responsibilities and specifications. An alta/nsps survey is a land. Boundary Survey American Land Title Association.
From www.slideshare.net
ALTAACSM Land Title Survey versus Boundary Survey Boundary Survey American Land Title Association Alta/nsps land title surveys are the next version of the former minimum standard detail requirements for alta/acsm land title. An alta/nsps survey is a land title survey that conforms to rules set by the american land title association. Read on for several frequently asked questions about the new 2016 minimum standard detail requirements for alta/nsps. Whether any of the nineteen. Boundary Survey American Land Title Association.
From www.pressrelease.com
American Land Title Association Announces Winners Of Title bie Boundary Survey American Land Title Association An alta/nsps survey is a land title survey that conforms to rules set by the american land title association. Hundred surveyors, the american land title association and the national society of professional surveyors adopted the new 2021. Optional survey responsibilities and specifications. Alta surveys are boundary surveys created pursuant to a set of minimum standards adopted jointly by the american. Boundary Survey American Land Title Association.
From www.omega-surveying.com
ALTA/NSPS Land Title Surveys Omega Land Surveying, Inc. Boundary Survey American Land Title Association Alta surveys are boundary surveys created pursuant to a set of minimum standards adopted jointly by the american land title. Read on for several frequently asked questions about the new 2016 minimum standard detail requirements for alta/nsps. Nsps adopted the new 2021 minimum standard detail requirements for alta/nsps land title surveys on friday. Whether any of the nineteen (19) items. Boundary Survey American Land Title Association.
From land.engineering
Land Title Surveys Land Title Surveying McDonough, GA Land Boundary Survey American Land Title Association Read on for several frequently asked questions about the new 2016 minimum standard detail requirements for alta/nsps. Whether any of the nineteen (19) items of table a are to be. Nsps adopted the new 2021 minimum standard detail requirements for alta/nsps land title surveys on friday. Optional survey responsibilities and specifications. Alta/nsps land title surveys are the next version of. Boundary Survey American Land Title Association.
From amerisurveyors.com
Boundary Survey Boundary Survey American Land Title Association An alta/nsps survey is a land title survey that conforms to rules set by the american land title association. Optional survey responsibilities and specifications. Whether any of the nineteen (19) items of table a are to be. Alta surveys are boundary surveys created pursuant to a set of minimum standards adopted jointly by the american land title. Hundred surveyors, the. Boundary Survey American Land Title Association.
From www.anyrgb.com
American Congress On Surveying And Mapping, topo survey, american Land Boundary Survey American Land Title Association Optional survey responsibilities and specifications. Hundred surveyors, the american land title association and the national society of professional surveyors adopted the new 2021. Whether any of the nineteen (19) items of table a are to be. Read on for several frequently asked questions about the new 2016 minimum standard detail requirements for alta/nsps. Alta surveys are boundary surveys created pursuant. Boundary Survey American Land Title Association.
From mjslandsurvey.com
Boundary / Title Surveys Scalice Land Surveying P.C. Boundary Survey American Land Title Association Read on for several frequently asked questions about the new 2016 minimum standard detail requirements for alta/nsps. Hundred surveyors, the american land title association and the national society of professional surveyors adopted the new 2021. Whether any of the nineteen (19) items of table a are to be. Nsps adopted the new 2021 minimum standard detail requirements for alta/nsps land. Boundary Survey American Land Title Association.
From boundarylinesurveys.com
Boundaryline Surveys Boundary Survey American Land Title Association Alta surveys are boundary surveys created pursuant to a set of minimum standards adopted jointly by the american land title. Nsps adopted the new 2021 minimum standard detail requirements for alta/nsps land title surveys on friday. An alta/nsps survey is a land title survey that conforms to rules set by the american land title association. Optional survey responsibilities and specifications.. Boundary Survey American Land Title Association.
From sisuland.com
Services Sisu Land Surveying Boundary Survey American Land Title Association Whether any of the nineteen (19) items of table a are to be. Alta/nsps land title surveys are the next version of the former minimum standard detail requirements for alta/acsm land title. Hundred surveyors, the american land title association and the national society of professional surveyors adopted the new 2021. Optional survey responsibilities and specifications. Nsps adopted the new 2021. Boundary Survey American Land Title Association.
From ellissurvey.com
ALTA/ACSM Land Title Surveys Houston Surveyor, Ellis Survey is the Boundary Survey American Land Title Association Nsps adopted the new 2021 minimum standard detail requirements for alta/nsps land title surveys on friday. Read on for several frequently asked questions about the new 2016 minimum standard detail requirements for alta/nsps. Optional survey responsibilities and specifications. Alta surveys are boundary surveys created pursuant to a set of minimum standards adopted jointly by the american land title. Alta/nsps land. Boundary Survey American Land Title Association.
From baxtersurveying.com
Below are examples of ALTA Surveys done by Baxter Land Surveying. Boundary Survey American Land Title Association Alta/nsps land title surveys are the next version of the former minimum standard detail requirements for alta/acsm land title. An alta/nsps survey is a land title survey that conforms to rules set by the american land title association. Nsps adopted the new 2021 minimum standard detail requirements for alta/nsps land title surveys on friday. Optional survey responsibilities and specifications. Whether. Boundary Survey American Land Title Association.
From lausterlandsurvey.com
ALTA/NSPS Land Title Surveys Lauster Land Survey Boundary Survey American Land Title Association Read on for several frequently asked questions about the new 2016 minimum standard detail requirements for alta/nsps. Optional survey responsibilities and specifications. Hundred surveyors, the american land title association and the national society of professional surveyors adopted the new 2021. Nsps adopted the new 2021 minimum standard detail requirements for alta/nsps land title surveys on friday. Whether any of the. Boundary Survey American Land Title Association.
From www.stothardlandsurveying.com
BOUNDARY SURVEY Stothard Land Surveying Boundary Survey American Land Title Association Alta/nsps land title surveys are the next version of the former minimum standard detail requirements for alta/acsm land title. Nsps adopted the new 2021 minimum standard detail requirements for alta/nsps land title surveys on friday. Optional survey responsibilities and specifications. Whether any of the nineteen (19) items of table a are to be. An alta/nsps survey is a land title. Boundary Survey American Land Title Association.
From www.ssctx.net
Texas Land Surveyor Sands Surveying Corporation Boundary Survey American Land Title Association Read on for several frequently asked questions about the new 2016 minimum standard detail requirements for alta/nsps. Whether any of the nineteen (19) items of table a are to be. Hundred surveyors, the american land title association and the national society of professional surveyors adopted the new 2021. Alta surveys are boundary surveys created pursuant to a set of minimum. Boundary Survey American Land Title Association.
From www.alteals.com
Boundary Survey — ALTEA LAND SURVEYORS Boundary Survey American Land Title Association Alta surveys are boundary surveys created pursuant to a set of minimum standards adopted jointly by the american land title. Optional survey responsibilities and specifications. Hundred surveyors, the american land title association and the national society of professional surveyors adopted the new 2021. Read on for several frequently asked questions about the new 2016 minimum standard detail requirements for alta/nsps.. Boundary Survey American Land Title Association.
From mjslandsurvey.com
Boundary Survey Title Survey Scalice Land Surveying P.C. Land Boundary Survey American Land Title Association Nsps adopted the new 2021 minimum standard detail requirements for alta/nsps land title surveys on friday. An alta/nsps survey is a land title survey that conforms to rules set by the american land title association. Whether any of the nineteen (19) items of table a are to be. Optional survey responsibilities and specifications. Alta/nsps land title surveys are the next. Boundary Survey American Land Title Association.
From mjslandsurvey.com
Boundary / Title Surveys Scalice Land Surveying P.C. Boundary Survey American Land Title Association Nsps adopted the new 2021 minimum standard detail requirements for alta/nsps land title surveys on friday. Whether any of the nineteen (19) items of table a are to be. Alta/nsps land title surveys are the next version of the former minimum standard detail requirements for alta/acsm land title. Optional survey responsibilities and specifications. Hundred surveyors, the american land title association. Boundary Survey American Land Title Association.
From www.kempengineeringsurvey.co.uk
Land Registry Boundary Survey Book your Survey — Kemp Engineering Boundary Survey American Land Title Association Whether any of the nineteen (19) items of table a are to be. Nsps adopted the new 2021 minimum standard detail requirements for alta/nsps land title surveys on friday. Hundred surveyors, the american land title association and the national society of professional surveyors adopted the new 2021. Optional survey responsibilities and specifications. Alta surveys are boundary surveys created pursuant to. Boundary Survey American Land Title Association.
From www.land-marksurvey.com
Why the American Land Title Association Created the Survey LandMark Boundary Survey American Land Title Association Nsps adopted the new 2021 minimum standard detail requirements for alta/nsps land title surveys on friday. Whether any of the nineteen (19) items of table a are to be. Optional survey responsibilities and specifications. Alta surveys are boundary surveys created pursuant to a set of minimum standards adopted jointly by the american land title. Alta/nsps land title surveys are the. Boundary Survey American Land Title Association.
From www.slideshare.net
ALTAACSM Land Title Survey versus Boundary Survey Boundary Survey American Land Title Association Read on for several frequently asked questions about the new 2016 minimum standard detail requirements for alta/nsps. Nsps adopted the new 2021 minimum standard detail requirements for alta/nsps land title surveys on friday. An alta/nsps survey is a land title survey that conforms to rules set by the american land title association. Whether any of the nineteen (19) items of. Boundary Survey American Land Title Association.
From midlandsurvey.com
United States Army Reserve ALTA/NSPS Land Title Survey Midland Surveying Boundary Survey American Land Title Association Alta surveys are boundary surveys created pursuant to a set of minimum standards adopted jointly by the american land title. Optional survey responsibilities and specifications. Alta/nsps land title surveys are the next version of the former minimum standard detail requirements for alta/acsm land title. Nsps adopted the new 2021 minimum standard detail requirements for alta/nsps land title surveys on friday.. Boundary Survey American Land Title Association.