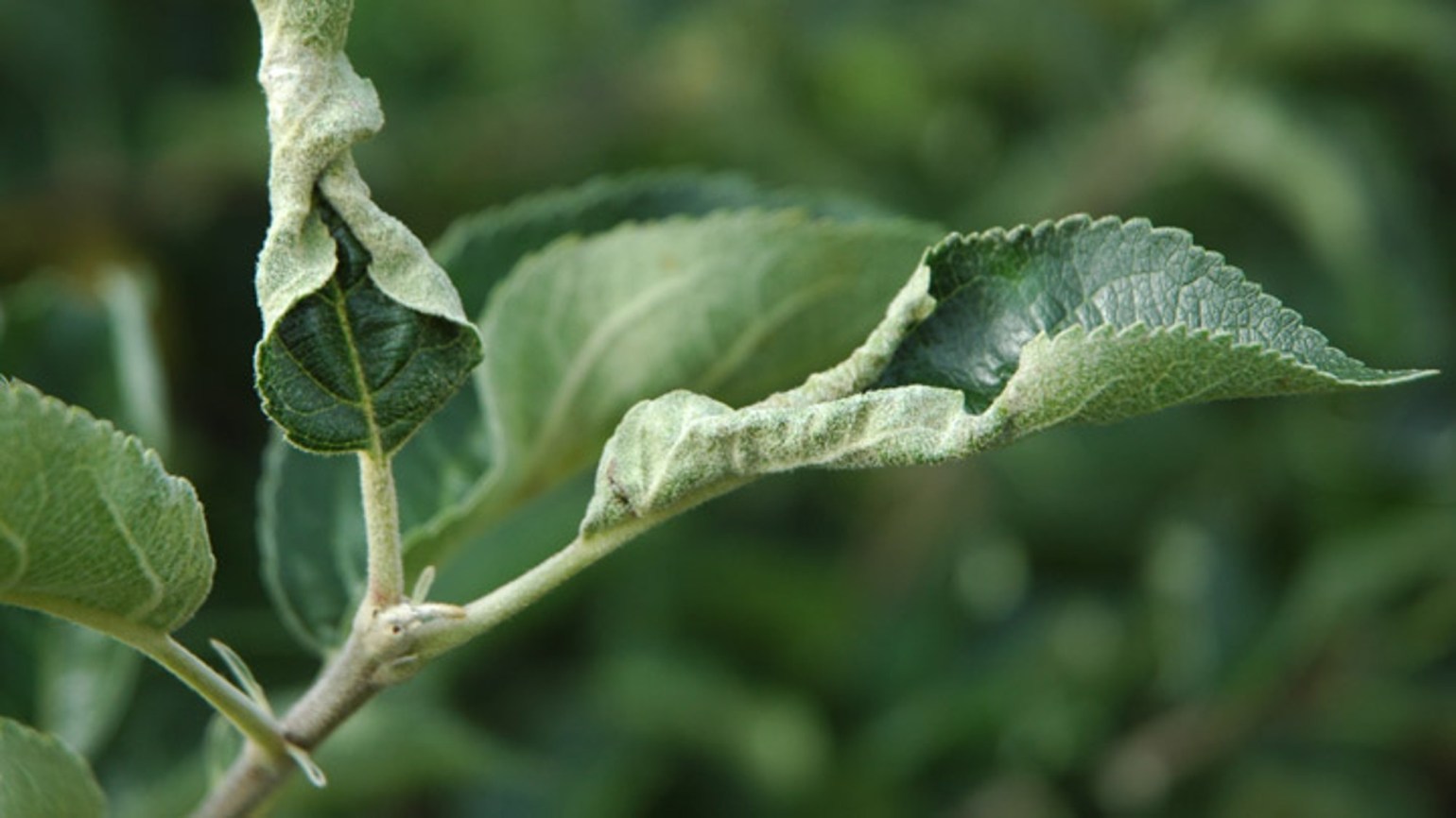
Apple Tree Diseases Powdery Mildew . Apple trees that lack resistance may contract a wide range of diseases, especially via fungal pathogens. Powdery mildew, caused by the fungus podosphaera leucotricha, is a fungal disease that affects apple and pear trees. Powdery mildew is a disease caused by a fungus. Planting cultivars that have some level of resistance to several common apple diseases (apple scab, powdery mildew, fireblight, and cedar apple rust) can reduce the number of fungicide. The disease forms a dense white fungal growth on the host tissue and stunts the growth of trees. Learn how to identify, treat, and prevent them now. Powdery mildew is caused by ascomycete fungus called “podosphaera leucotricha” primarily in apples and pear and is found in all apple producing regions worldwide. Powdery mildew interferes with the proper functioning of leaves, reduces shoot growth, reduces fruit set, and produces a netlike.
from plantura.garden
Apple trees that lack resistance may contract a wide range of diseases, especially via fungal pathogens. Powdery mildew is caused by ascomycete fungus called “podosphaera leucotricha” primarily in apples and pear and is found in all apple producing regions worldwide. Powdery mildew interferes with the proper functioning of leaves, reduces shoot growth, reduces fruit set, and produces a netlike. Learn how to identify, treat, and prevent them now. Powdery mildew, caused by the fungus podosphaera leucotricha, is a fungal disease that affects apple and pear trees. Planting cultivars that have some level of resistance to several common apple diseases (apple scab, powdery mildew, fireblight, and cedar apple rust) can reduce the number of fungicide. The disease forms a dense white fungal growth on the host tissue and stunts the growth of trees. Powdery mildew is a disease caused by a fungus.
Apple tree diseases & common pests Plantura
Apple Tree Diseases Powdery Mildew Powdery mildew is a disease caused by a fungus. Apple trees that lack resistance may contract a wide range of diseases, especially via fungal pathogens. Powdery mildew is a disease caused by a fungus. Powdery mildew, caused by the fungus podosphaera leucotricha, is a fungal disease that affects apple and pear trees. Learn how to identify, treat, and prevent them now. Planting cultivars that have some level of resistance to several common apple diseases (apple scab, powdery mildew, fireblight, and cedar apple rust) can reduce the number of fungicide. Powdery mildew interferes with the proper functioning of leaves, reduces shoot growth, reduces fruit set, and produces a netlike. The disease forms a dense white fungal growth on the host tissue and stunts the growth of trees. Powdery mildew is caused by ascomycete fungus called “podosphaera leucotricha” primarily in apples and pear and is found in all apple producing regions worldwide.
From www.dreamstime.com
Powdery Mildew, Podoshpaera Leucotricha on an Apple Tree Stock Photo Apple Tree Diseases Powdery Mildew Apple trees that lack resistance may contract a wide range of diseases, especially via fungal pathogens. Planting cultivars that have some level of resistance to several common apple diseases (apple scab, powdery mildew, fireblight, and cedar apple rust) can reduce the number of fungicide. Powdery mildew interferes with the proper functioning of leaves, reduces shoot growth, reduces fruit set, and. Apple Tree Diseases Powdery Mildew.
From www.thespruce.com
4 Common Apple Tree Diseases Apple Tree Diseases Powdery Mildew Powdery mildew, caused by the fungus podosphaera leucotricha, is a fungal disease that affects apple and pear trees. Learn how to identify, treat, and prevent them now. Planting cultivars that have some level of resistance to several common apple diseases (apple scab, powdery mildew, fireblight, and cedar apple rust) can reduce the number of fungicide. Powdery mildew is caused by. Apple Tree Diseases Powdery Mildew.
From www.alamy.com
Powdery Mildew on apple tree, image of a Stock Photo Alamy Apple Tree Diseases Powdery Mildew Powdery mildew interferes with the proper functioning of leaves, reduces shoot growth, reduces fruit set, and produces a netlike. Apple trees that lack resistance may contract a wide range of diseases, especially via fungal pathogens. Learn how to identify, treat, and prevent them now. The disease forms a dense white fungal growth on the host tissue and stunts the growth. Apple Tree Diseases Powdery Mildew.
From www.alamy.com
Primary powdery mildew ( Podosphaera leucotricha) white mycelium and Apple Tree Diseases Powdery Mildew Planting cultivars that have some level of resistance to several common apple diseases (apple scab, powdery mildew, fireblight, and cedar apple rust) can reduce the number of fungicide. Learn how to identify, treat, and prevent them now. Powdery mildew is caused by ascomycete fungus called “podosphaera leucotricha” primarily in apples and pear and is found in all apple producing regions. Apple Tree Diseases Powdery Mildew.
From www.dreamstime.com
Powdery Mildew, Podoshpaera Leucotricha on an Apple Tree Stock Image Apple Tree Diseases Powdery Mildew Planting cultivars that have some level of resistance to several common apple diseases (apple scab, powdery mildew, fireblight, and cedar apple rust) can reduce the number of fungicide. The disease forms a dense white fungal growth on the host tissue and stunts the growth of trees. Powdery mildew interferes with the proper functioning of leaves, reduces shoot growth, reduces fruit. Apple Tree Diseases Powdery Mildew.
From www.omafra.gov.on.ca
Powdery Mildew Ontario AppleIPM Apple Tree Diseases Powdery Mildew The disease forms a dense white fungal growth on the host tissue and stunts the growth of trees. Learn how to identify, treat, and prevent them now. Planting cultivars that have some level of resistance to several common apple diseases (apple scab, powdery mildew, fireblight, and cedar apple rust) can reduce the number of fungicide. Powdery mildew, caused by the. Apple Tree Diseases Powdery Mildew.
From www.alamy.com
Powdery mildew, podoshpaera leucotricha on an apple tree. Apple leaves Apple Tree Diseases Powdery Mildew Learn how to identify, treat, and prevent them now. Apple trees that lack resistance may contract a wide range of diseases, especially via fungal pathogens. Powdery mildew is a disease caused by a fungus. The disease forms a dense white fungal growth on the host tissue and stunts the growth of trees. Powdery mildew interferes with the proper functioning of. Apple Tree Diseases Powdery Mildew.
From www.cropscience.bayer.co.nz
Powdery Mildew Apples Disease Treatment Bayer Crop Science New Apple Tree Diseases Powdery Mildew Apple trees that lack resistance may contract a wide range of diseases, especially via fungal pathogens. Powdery mildew is a disease caused by a fungus. Powdery mildew is caused by ascomycete fungus called “podosphaera leucotricha” primarily in apples and pear and is found in all apple producing regions worldwide. Powdery mildew, caused by the fungus podosphaera leucotricha, is a fungal. Apple Tree Diseases Powdery Mildew.
From www.freepik.com
Premium Photo Powdery mildew of apples apple tree caused by the Apple Tree Diseases Powdery Mildew Powdery mildew interferes with the proper functioning of leaves, reduces shoot growth, reduces fruit set, and produces a netlike. The disease forms a dense white fungal growth on the host tissue and stunts the growth of trees. Apple trees that lack resistance may contract a wide range of diseases, especially via fungal pathogens. Powdery mildew is a disease caused by. Apple Tree Diseases Powdery Mildew.
From creativemarket.com
Apple tree leaves damaged by fungal disease. Powdery mildew of apple Apple Tree Diseases Powdery Mildew Powdery mildew is a disease caused by a fungus. Planting cultivars that have some level of resistance to several common apple diseases (apple scab, powdery mildew, fireblight, and cedar apple rust) can reduce the number of fungicide. Powdery mildew interferes with the proper functioning of leaves, reduces shoot growth, reduces fruit set, and produces a netlike. Learn how to identify,. Apple Tree Diseases Powdery Mildew.
From www.freepik.com
Premium Photo Powdery mildew podoshpaera leucotricha on an apple tree Apple Tree Diseases Powdery Mildew The disease forms a dense white fungal growth on the host tissue and stunts the growth of trees. Powdery mildew, caused by the fungus podosphaera leucotricha, is a fungal disease that affects apple and pear trees. Powdery mildew interferes with the proper functioning of leaves, reduces shoot growth, reduces fruit set, and produces a netlike. Learn how to identify, treat,. Apple Tree Diseases Powdery Mildew.
From www.alamy.com
Powdery mildew apple tree hires stock photography and images Alamy Apple Tree Diseases Powdery Mildew Powdery mildew, caused by the fungus podosphaera leucotricha, is a fungal disease that affects apple and pear trees. Powdery mildew interferes with the proper functioning of leaves, reduces shoot growth, reduces fruit set, and produces a netlike. The disease forms a dense white fungal growth on the host tissue and stunts the growth of trees. Planting cultivars that have some. Apple Tree Diseases Powdery Mildew.
From www.dreamstime.com
Powdery Mildew ,Podoshpaera Leucotricha on an Apple Tree Stock Image Apple Tree Diseases Powdery Mildew Powdery mildew is caused by ascomycete fungus called “podosphaera leucotricha” primarily in apples and pear and is found in all apple producing regions worldwide. Apple trees that lack resistance may contract a wide range of diseases, especially via fungal pathogens. Powdery mildew, caused by the fungus podosphaera leucotricha, is a fungal disease that affects apple and pear trees. Learn how. Apple Tree Diseases Powdery Mildew.
From www.cropscience.bayer.co.nz
Powdery Mildew Apples Disease Control Bayer Crop Science New Zealand Apple Tree Diseases Powdery Mildew Apple trees that lack resistance may contract a wide range of diseases, especially via fungal pathogens. Powdery mildew interferes with the proper functioning of leaves, reduces shoot growth, reduces fruit set, and produces a netlike. Powdery mildew is caused by ascomycete fungus called “podosphaera leucotricha” primarily in apples and pear and is found in all apple producing regions worldwide. Powdery. Apple Tree Diseases Powdery Mildew.
From www.dreamstime.com
Powdery Mildew, Podoshpaera Leucotricha on an Apple Tree Stock Image Apple Tree Diseases Powdery Mildew Planting cultivars that have some level of resistance to several common apple diseases (apple scab, powdery mildew, fireblight, and cedar apple rust) can reduce the number of fungicide. The disease forms a dense white fungal growth on the host tissue and stunts the growth of trees. Learn how to identify, treat, and prevent them now. Powdery mildew is a disease. Apple Tree Diseases Powdery Mildew.
From www.gardeningknowhow.com
Treating Powdery Mildew On Trees What To Do For Trees With Powdery Mildew Apple Tree Diseases Powdery Mildew Learn how to identify, treat, and prevent them now. Planting cultivars that have some level of resistance to several common apple diseases (apple scab, powdery mildew, fireblight, and cedar apple rust) can reduce the number of fungicide. Powdery mildew is caused by ascomycete fungus called “podosphaera leucotricha” primarily in apples and pear and is found in all apple producing regions. Apple Tree Diseases Powdery Mildew.
From www.omafra.gov.on.ca
Powdery Mildew Ontario AppleIPM Apple Tree Diseases Powdery Mildew Planting cultivars that have some level of resistance to several common apple diseases (apple scab, powdery mildew, fireblight, and cedar apple rust) can reduce the number of fungicide. Apple trees that lack resistance may contract a wide range of diseases, especially via fungal pathogens. The disease forms a dense white fungal growth on the host tissue and stunts the growth. Apple Tree Diseases Powdery Mildew.
From www.agricentre.basf.co.uk
Powdery Mildew of Apple BASF Agricultural Solutions UK Apple Tree Diseases Powdery Mildew Planting cultivars that have some level of resistance to several common apple diseases (apple scab, powdery mildew, fireblight, and cedar apple rust) can reduce the number of fungicide. Learn how to identify, treat, and prevent them now. Apple trees that lack resistance may contract a wide range of diseases, especially via fungal pathogens. Powdery mildew interferes with the proper functioning. Apple Tree Diseases Powdery Mildew.
From gardenerspath.com
How to Prevent and Control Powdery Mildew on Apples Apple Tree Diseases Powdery Mildew Powdery mildew is a disease caused by a fungus. Learn how to identify, treat, and prevent them now. The disease forms a dense white fungal growth on the host tissue and stunts the growth of trees. Powdery mildew, caused by the fungus podosphaera leucotricha, is a fungal disease that affects apple and pear trees. Powdery mildew interferes with the proper. Apple Tree Diseases Powdery Mildew.
From plantpathology.ces.ncsu.edu
Apple Disease Update Tight Cluster and Pink Bud NC State Extension Apple Tree Diseases Powdery Mildew Apple trees that lack resistance may contract a wide range of diseases, especially via fungal pathogens. Planting cultivars that have some level of resistance to several common apple diseases (apple scab, powdery mildew, fireblight, and cedar apple rust) can reduce the number of fungicide. Powdery mildew is a disease caused by a fungus. Powdery mildew is caused by ascomycete fungus. Apple Tree Diseases Powdery Mildew.
From treefruit.wsu.edu
Apple Powdery Mildew WSU Tree Fruit Washington State University Apple Tree Diseases Powdery Mildew The disease forms a dense white fungal growth on the host tissue and stunts the growth of trees. Powdery mildew is a disease caused by a fungus. Powdery mildew is caused by ascomycete fungus called “podosphaera leucotricha” primarily in apples and pear and is found in all apple producing regions worldwide. Apple trees that lack resistance may contract a wide. Apple Tree Diseases Powdery Mildew.
From gardenerspath.com
How to Identify and Treat Common Apple Diseases Gardener's Path Apple Tree Diseases Powdery Mildew Powdery mildew is caused by ascomycete fungus called “podosphaera leucotricha” primarily in apples and pear and is found in all apple producing regions worldwide. Learn how to identify, treat, and prevent them now. Apple trees that lack resistance may contract a wide range of diseases, especially via fungal pathogens. Powdery mildew is a disease caused by a fungus. Planting cultivars. Apple Tree Diseases Powdery Mildew.
From blogs.cornell.edu
Fact Sheet Powdery Mildew Database of Apple Diseases Apple Tree Diseases Powdery Mildew Powdery mildew is a disease caused by a fungus. Powdery mildew is caused by ascomycete fungus called “podosphaera leucotricha” primarily in apples and pear and is found in all apple producing regions worldwide. Learn how to identify, treat, and prevent them now. The disease forms a dense white fungal growth on the host tissue and stunts the growth of trees.. Apple Tree Diseases Powdery Mildew.
From www.omafra.gov.on.ca
Powdery Mildew Ontario AppleIPM Apple Tree Diseases Powdery Mildew Learn how to identify, treat, and prevent them now. Planting cultivars that have some level of resistance to several common apple diseases (apple scab, powdery mildew, fireblight, and cedar apple rust) can reduce the number of fungicide. Powdery mildew is a disease caused by a fungus. Powdery mildew is caused by ascomycete fungus called “podosphaera leucotricha” primarily in apples and. Apple Tree Diseases Powdery Mildew.
From www.gardeningknowhow.com
Powdery Mildew Apple Control How To Treat Apple Trees With Powdery Mildew Apple Tree Diseases Powdery Mildew The disease forms a dense white fungal growth on the host tissue and stunts the growth of trees. Powdery mildew is caused by ascomycete fungus called “podosphaera leucotricha” primarily in apples and pear and is found in all apple producing regions worldwide. Learn how to identify, treat, and prevent them now. Powdery mildew is a disease caused by a fungus.. Apple Tree Diseases Powdery Mildew.
From www.agricentre.basf.co.uk
Powdery Mildew of Apple BASF Agricultural Solutions UK Apple Tree Diseases Powdery Mildew Learn how to identify, treat, and prevent them now. Apple trees that lack resistance may contract a wide range of diseases, especially via fungal pathogens. Powdery mildew is a disease caused by a fungus. Powdery mildew interferes with the proper functioning of leaves, reduces shoot growth, reduces fruit set, and produces a netlike. Powdery mildew, caused by the fungus podosphaera. Apple Tree Diseases Powdery Mildew.
From gardenerspath.com
How to Prevent and Control Powdery Mildew on Apples Apple Tree Diseases Powdery Mildew Apple trees that lack resistance may contract a wide range of diseases, especially via fungal pathogens. Planting cultivars that have some level of resistance to several common apple diseases (apple scab, powdery mildew, fireblight, and cedar apple rust) can reduce the number of fungicide. Powdery mildew interferes with the proper functioning of leaves, reduces shoot growth, reduces fruit set, and. Apple Tree Diseases Powdery Mildew.
From www.apsnet.org
Apple powdery mildew Apple Tree Diseases Powdery Mildew Learn how to identify, treat, and prevent them now. The disease forms a dense white fungal growth on the host tissue and stunts the growth of trees. Powdery mildew is caused by ascomycete fungus called “podosphaera leucotricha” primarily in apples and pear and is found in all apple producing regions worldwide. Planting cultivars that have some level of resistance to. Apple Tree Diseases Powdery Mildew.
From stock.adobe.com
Powdery mildew of apples, apple tree, caused by the fungus Podosphaera Apple Tree Diseases Powdery Mildew Powdery mildew is a disease caused by a fungus. Learn how to identify, treat, and prevent them now. Planting cultivars that have some level of resistance to several common apple diseases (apple scab, powdery mildew, fireblight, and cedar apple rust) can reduce the number of fungicide. The disease forms a dense white fungal growth on the host tissue and stunts. Apple Tree Diseases Powdery Mildew.
From www.bhg.com
The 6 Most Common Apple Tree Diseases and How to Prevent Them Apple Tree Diseases Powdery Mildew Planting cultivars that have some level of resistance to several common apple diseases (apple scab, powdery mildew, fireblight, and cedar apple rust) can reduce the number of fungicide. Powdery mildew, caused by the fungus podosphaera leucotricha, is a fungal disease that affects apple and pear trees. Powdery mildew is a disease caused by a fungus. The disease forms a dense. Apple Tree Diseases Powdery Mildew.
From www.dreamstime.com
Powdery Mildew, Podoshpaera Leucotricha on an Apple Tree. Apple Leaves Apple Tree Diseases Powdery Mildew Powdery mildew is a disease caused by a fungus. Planting cultivars that have some level of resistance to several common apple diseases (apple scab, powdery mildew, fireblight, and cedar apple rust) can reduce the number of fungicide. Apple trees that lack resistance may contract a wide range of diseases, especially via fungal pathogens. Learn how to identify, treat, and prevent. Apple Tree Diseases Powdery Mildew.
From www.goodfruit.com
Good to Know Is apple powdery mildew on a surge? Good Fruit Grower Apple Tree Diseases Powdery Mildew The disease forms a dense white fungal growth on the host tissue and stunts the growth of trees. Powdery mildew is a disease caused by a fungus. Learn how to identify, treat, and prevent them now. Powdery mildew is caused by ascomycete fungus called “podosphaera leucotricha” primarily in apples and pear and is found in all apple producing regions worldwide.. Apple Tree Diseases Powdery Mildew.
From plantura.garden
Apple tree diseases & common pests Plantura Apple Tree Diseases Powdery Mildew Planting cultivars that have some level of resistance to several common apple diseases (apple scab, powdery mildew, fireblight, and cedar apple rust) can reduce the number of fungicide. The disease forms a dense white fungal growth on the host tissue and stunts the growth of trees. Apple trees that lack resistance may contract a wide range of diseases, especially via. Apple Tree Diseases Powdery Mildew.
From www.freepik.com
Premium Photo Powdery mildew of apples apple tree caused by the Apple Tree Diseases Powdery Mildew Apple trees that lack resistance may contract a wide range of diseases, especially via fungal pathogens. Learn how to identify, treat, and prevent them now. Planting cultivars that have some level of resistance to several common apple diseases (apple scab, powdery mildew, fireblight, and cedar apple rust) can reduce the number of fungicide. Powdery mildew, caused by the fungus podosphaera. Apple Tree Diseases Powdery Mildew.
From www.alamy.com
Powdery mildew, podoshpaera leucotricha on an apple tree. Apple leaves Apple Tree Diseases Powdery Mildew Powdery mildew is caused by ascomycete fungus called “podosphaera leucotricha” primarily in apples and pear and is found in all apple producing regions worldwide. Powdery mildew interferes with the proper functioning of leaves, reduces shoot growth, reduces fruit set, and produces a netlike. Planting cultivars that have some level of resistance to several common apple diseases (apple scab, powdery mildew,. Apple Tree Diseases Powdery Mildew.