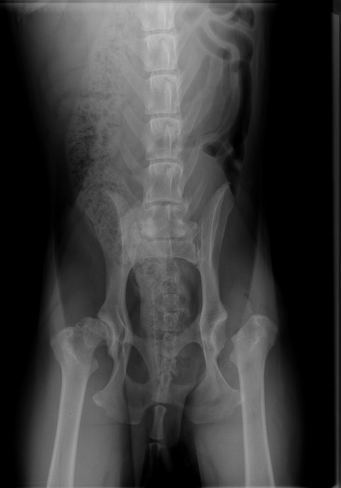
Hip Dysplasia Veterinary Partner . Hip dysplasia is a common condition of large breed dogs and many dog owners have heard of it but the fact is that. Hip dysplasia can occur in any breed or size of dog but is more common and tends to be a bigger issue in larger breeds. Hip dysplasia occurs in many species (including humans and cats) but is mainly a concern in dogs. In a normal hip, the femoral head fits snugly inside acetabulum. Canine hip dysplasia (chd) is a condition that begins in dogs as they grow and results in instability or a loose fit (laxity) of the hip joint (figure 1). Small dogs and lean, slender breeds such as sighthounds rarely. Hip dysplasia is typically a problem for large, stocky dog breeds. It can occur in any breed or size of the dog. The hip joint laxity is responsible for. Speak with your veterinarian about their experiences and recommendations for complementary medical procedures to help. Hip dislocation in dogs and cats.
from www.vetlessons.com
Hip dysplasia is a common condition of large breed dogs and many dog owners have heard of it but the fact is that. Hip dysplasia occurs in many species (including humans and cats) but is mainly a concern in dogs. Hip dysplasia can occur in any breed or size of dog but is more common and tends to be a bigger issue in larger breeds. The hip joint laxity is responsible for. In a normal hip, the femoral head fits snugly inside acetabulum. It can occur in any breed or size of the dog. Canine hip dysplasia (chd) is a condition that begins in dogs as they grow and results in instability or a loose fit (laxity) of the hip joint (figure 1). Small dogs and lean, slender breeds such as sighthounds rarely. Speak with your veterinarian about their experiences and recommendations for complementary medical procedures to help. Hip dislocation in dogs and cats.
HIP DYSPLASIA IN DOGS — VETLESSONS
Hip Dysplasia Veterinary Partner Hip dysplasia is a common condition of large breed dogs and many dog owners have heard of it but the fact is that. Hip dysplasia is a common condition of large breed dogs and many dog owners have heard of it but the fact is that. In a normal hip, the femoral head fits snugly inside acetabulum. Hip dysplasia can occur in any breed or size of dog but is more common and tends to be a bigger issue in larger breeds. Hip dysplasia is typically a problem for large, stocky dog breeds. The hip joint laxity is responsible for. Hip dysplasia occurs in many species (including humans and cats) but is mainly a concern in dogs. Hip dislocation in dogs and cats. Speak with your veterinarian about their experiences and recommendations for complementary medical procedures to help. Canine hip dysplasia (chd) is a condition that begins in dogs as they grow and results in instability or a loose fit (laxity) of the hip joint (figure 1). It can occur in any breed or size of the dog. Small dogs and lean, slender breeds such as sighthounds rarely.
From pawsandmorevet.com.au
Dog Hip Dysplasia Everything You Need to Know Paws and More Vet Hip Dysplasia Veterinary Partner Hip dysplasia occurs in many species (including humans and cats) but is mainly a concern in dogs. The hip joint laxity is responsible for. Speak with your veterinarian about their experiences and recommendations for complementary medical procedures to help. Hip dysplasia is a common condition of large breed dogs and many dog owners have heard of it but the fact. Hip Dysplasia Veterinary Partner.
From www.globalvetspecialists.org
Hip Dysplasia and Its Causes Global Vet Blog Hip Dysplasia Veterinary Partner Hip dysplasia is a common condition of large breed dogs and many dog owners have heard of it but the fact is that. Small dogs and lean, slender breeds such as sighthounds rarely. Hip dysplasia can occur in any breed or size of dog but is more common and tends to be a bigger issue in larger breeds. Speak with. Hip Dysplasia Veterinary Partner.
From myvetanimalhospital.com.au
Hip Dysplasia What You Need To Know My Vet Animal Hospital Hip Dysplasia Veterinary Partner Hip dysplasia can occur in any breed or size of dog but is more common and tends to be a bigger issue in larger breeds. Hip dislocation in dogs and cats. In a normal hip, the femoral head fits snugly inside acetabulum. It can occur in any breed or size of the dog. Hip dysplasia is a common condition of. Hip Dysplasia Veterinary Partner.
From www.globalvetspecialists.org
How is Hip Dysplasia Diagnosed? Global Vet Blog Hip Dysplasia Veterinary Partner Small dogs and lean, slender breeds such as sighthounds rarely. Hip dysplasia is typically a problem for large, stocky dog breeds. Canine hip dysplasia (chd) is a condition that begins in dogs as they grow and results in instability or a loose fit (laxity) of the hip joint (figure 1). Hip dysplasia is a common condition of large breed dogs. Hip Dysplasia Veterinary Partner.
From www.vetlexicon.com
Hip dysplasia in dogs Vetlexicon Canis from Vetlexicon Definitive Hip Dysplasia Veterinary Partner In a normal hip, the femoral head fits snugly inside acetabulum. Canine hip dysplasia (chd) is a condition that begins in dogs as they grow and results in instability or a loose fit (laxity) of the hip joint (figure 1). Hip dislocation in dogs and cats. The hip joint laxity is responsible for. Hip dysplasia can occur in any breed. Hip Dysplasia Veterinary Partner.
From todaysveterinarypractice.com
Hip Dysplasia Navigating Surgical Options and Timing Today's Hip Dysplasia Veterinary Partner Hip dysplasia occurs in many species (including humans and cats) but is mainly a concern in dogs. Hip dislocation in dogs and cats. Small dogs and lean, slender breeds such as sighthounds rarely. Hip dysplasia can occur in any breed or size of dog but is more common and tends to be a bigger issue in larger breeds. Hip dysplasia. Hip Dysplasia Veterinary Partner.
From www.vsahospital.co.nz
Hip Dysplasia What is it and what can you do about it? Veterinary Hip Dysplasia Veterinary Partner Small dogs and lean, slender breeds such as sighthounds rarely. It can occur in any breed or size of the dog. Hip dislocation in dogs and cats. In a normal hip, the femoral head fits snugly inside acetabulum. Hip dysplasia is typically a problem for large, stocky dog breeds. Canine hip dysplasia (chd) is a condition that begins in dogs. Hip Dysplasia Veterinary Partner.
From www.amtmindia.org
Hip Dysplasia In Dogs Everything You Need To Know Animal Matter To Me Hip Dysplasia Veterinary Partner Hip dysplasia is a common condition of large breed dogs and many dog owners have heard of it but the fact is that. Small dogs and lean, slender breeds such as sighthounds rarely. Speak with your veterinarian about their experiences and recommendations for complementary medical procedures to help. It can occur in any breed or size of the dog. Hip. Hip Dysplasia Veterinary Partner.
From news.cvm.ncsu.edu
Canine Hip Dysplasia Resolved with Total Hip Replacement Veterinary Hip Dysplasia Veterinary Partner In a normal hip, the femoral head fits snugly inside acetabulum. Canine hip dysplasia (chd) is a condition that begins in dogs as they grow and results in instability or a loose fit (laxity) of the hip joint (figure 1). Hip dysplasia is typically a problem for large, stocky dog breeds. Hip dysplasia is a common condition of large breed. Hip Dysplasia Veterinary Partner.
From myvetanimalhospital.com.au
Hip Dysplasia What You Need To Know My Vet Animal Hospital Hip Dysplasia Veterinary Partner Speak with your veterinarian about their experiences and recommendations for complementary medical procedures to help. Hip dysplasia occurs in many species (including humans and cats) but is mainly a concern in dogs. It can occur in any breed or size of the dog. Small dogs and lean, slender breeds such as sighthounds rarely. Canine hip dysplasia (chd) is a condition. Hip Dysplasia Veterinary Partner.
From www.elwoodvet.net
Hip dysplasia — Elwood vet Hip Dysplasia Veterinary Partner The hip joint laxity is responsible for. Hip dysplasia is typically a problem for large, stocky dog breeds. Hip dysplasia can occur in any breed or size of dog but is more common and tends to be a bigger issue in larger breeds. Hip dysplasia occurs in many species (including humans and cats) but is mainly a concern in dogs.. Hip Dysplasia Veterinary Partner.
From vetrainorg.com
Distraction index & Canine Hip dysplasia Hip Dysplasia Veterinary Partner Small dogs and lean, slender breeds such as sighthounds rarely. In a normal hip, the femoral head fits snugly inside acetabulum. Hip dysplasia is typically a problem for large, stocky dog breeds. It can occur in any breed or size of the dog. Speak with your veterinarian about their experiences and recommendations for complementary medical procedures to help. Canine hip. Hip Dysplasia Veterinary Partner.
From heartlakevet.com
Pet Hip Dysplasia In Brampton, ON Heartlake Vet Hospital Hip Dysplasia Veterinary Partner Canine hip dysplasia (chd) is a condition that begins in dogs as they grow and results in instability or a loose fit (laxity) of the hip joint (figure 1). Hip dysplasia occurs in many species (including humans and cats) but is mainly a concern in dogs. In a normal hip, the femoral head fits snugly inside acetabulum. Hip dislocation in. Hip Dysplasia Veterinary Partner.
From www.myarlingtonvet.com
Hip Help for Your Hound A Guide to Canine Hip Dysplasia Arlington Hip Dysplasia Veterinary Partner Speak with your veterinarian about their experiences and recommendations for complementary medical procedures to help. Small dogs and lean, slender breeds such as sighthounds rarely. In a normal hip, the femoral head fits snugly inside acetabulum. It can occur in any breed or size of the dog. Canine hip dysplasia (chd) is a condition that begins in dogs as they. Hip Dysplasia Veterinary Partner.
From www.greatpetcare.com
Hip Dysplasia in Dogs Great Pet Care Hip Dysplasia Veterinary Partner The hip joint laxity is responsible for. Speak with your veterinarian about their experiences and recommendations for complementary medical procedures to help. Hip dislocation in dogs and cats. Canine hip dysplasia (chd) is a condition that begins in dogs as they grow and results in instability or a loose fit (laxity) of the hip joint (figure 1). Hip dysplasia is. Hip Dysplasia Veterinary Partner.
From iloveveterinary.com
Understanding (Causes and Treatment) of Hip Dysplasia in Dogs I Love Hip Dysplasia Veterinary Partner In a normal hip, the femoral head fits snugly inside acetabulum. Hip dysplasia is typically a problem for large, stocky dog breeds. Hip dislocation in dogs and cats. The hip joint laxity is responsible for. Hip dysplasia can occur in any breed or size of dog but is more common and tends to be a bigger issue in larger breeds.. Hip Dysplasia Veterinary Partner.
From todaysveterinarypractice.com
Hip Dysplasia Navigating Surgical Options and Timing Today's Hip Dysplasia Veterinary Partner Hip dysplasia is a common condition of large breed dogs and many dog owners have heard of it but the fact is that. Hip dysplasia is typically a problem for large, stocky dog breeds. Small dogs and lean, slender breeds such as sighthounds rarely. The hip joint laxity is responsible for. It can occur in any breed or size of. Hip Dysplasia Veterinary Partner.
From www.petmd.com
Hip Dysplasia in Dogs Signs, Treatment, Surgery Hip Dysplasia Veterinary Partner Speak with your veterinarian about their experiences and recommendations for complementary medical procedures to help. The hip joint laxity is responsible for. Hip dysplasia is a common condition of large breed dogs and many dog owners have heard of it but the fact is that. Hip dysplasia occurs in many species (including humans and cats) but is mainly a concern. Hip Dysplasia Veterinary Partner.
From ngvetspecialists.com
PennHIP Hip Improvement Program for Hip Dysplasia Evaluation North Hip Dysplasia Veterinary Partner The hip joint laxity is responsible for. Hip dislocation in dogs and cats. Hip dysplasia is typically a problem for large, stocky dog breeds. Hip dysplasia is a common condition of large breed dogs and many dog owners have heard of it but the fact is that. Hip dysplasia can occur in any breed or size of dog but is. Hip Dysplasia Veterinary Partner.
From www.istockphoto.com
Xray Film Of Pelvis Dog Lateral View With Red Highlight On Hip Bone Hip Dysplasia Veterinary Partner Hip dysplasia occurs in many species (including humans and cats) but is mainly a concern in dogs. Hip dysplasia is typically a problem for large, stocky dog breeds. In a normal hip, the femoral head fits snugly inside acetabulum. It can occur in any breed or size of the dog. Hip dysplasia can occur in any breed or size of. Hip Dysplasia Veterinary Partner.
From myvetanimalhospital.com.au
Hip Dysplasia What You Need To Know My Vet Animal Hospital Hip Dysplasia Veterinary Partner Hip dysplasia can occur in any breed or size of dog but is more common and tends to be a bigger issue in larger breeds. In a normal hip, the femoral head fits snugly inside acetabulum. Speak with your veterinarian about their experiences and recommendations for complementary medical procedures to help. Canine hip dysplasia (chd) is a condition that begins. Hip Dysplasia Veterinary Partner.
From todaysveterinarypractice.com
Hip Dysplasia Navigating Surgical Options and Timing Today's Hip Dysplasia Veterinary Partner In a normal hip, the femoral head fits snugly inside acetabulum. Hip dysplasia is typically a problem for large, stocky dog breeds. The hip joint laxity is responsible for. Hip dysplasia is a common condition of large breed dogs and many dog owners have heard of it but the fact is that. Hip dysplasia occurs in many species (including humans. Hip Dysplasia Veterinary Partner.
From www.globalvetspecialists.org
Canine Hip Dysplasia Signs, Diagnosis, & Treatment Global Vet Blog Hip Dysplasia Veterinary Partner In a normal hip, the femoral head fits snugly inside acetabulum. Hip dysplasia can occur in any breed or size of dog but is more common and tends to be a bigger issue in larger breeds. Hip dysplasia is typically a problem for large, stocky dog breeds. Hip dislocation in dogs and cats. The hip joint laxity is responsible for.. Hip Dysplasia Veterinary Partner.
From www.joiipetcare.com
Hip dysplasia in dogs Joii Pet Care Hip Dysplasia Veterinary Partner Canine hip dysplasia (chd) is a condition that begins in dogs as they grow and results in instability or a loose fit (laxity) of the hip joint (figure 1). Hip dysplasia can occur in any breed or size of dog but is more common and tends to be a bigger issue in larger breeds. Hip dysplasia occurs in many species. Hip Dysplasia Veterinary Partner.
From www.researchgate.net
Anatomy of canine hip dysplasia. Notes ( A C ) Canine hipextended Hip Dysplasia Veterinary Partner Small dogs and lean, slender breeds such as sighthounds rarely. Hip dislocation in dogs and cats. In a normal hip, the femoral head fits snugly inside acetabulum. Speak with your veterinarian about their experiences and recommendations for complementary medical procedures to help. It can occur in any breed or size of the dog. The hip joint laxity is responsible for.. Hip Dysplasia Veterinary Partner.
From www.youtube.com
Hip Dysplasia in Dogs VetVid Dog Care Video YouTube Hip Dysplasia Veterinary Partner Canine hip dysplasia (chd) is a condition that begins in dogs as they grow and results in instability or a loose fit (laxity) of the hip joint (figure 1). In a normal hip, the femoral head fits snugly inside acetabulum. Hip dysplasia occurs in many species (including humans and cats) but is mainly a concern in dogs. Hip dysplasia is. Hip Dysplasia Veterinary Partner.
From www.midwayvetlovesmypet.com
Hip Dysplasia in Dogs Treatment & Prevention Midway Veterinary Hip Dysplasia Veterinary Partner The hip joint laxity is responsible for. Hip dysplasia can occur in any breed or size of dog but is more common and tends to be a bigger issue in larger breeds. Hip dysplasia occurs in many species (including humans and cats) but is mainly a concern in dogs. Hip dysplasia is typically a problem for large, stocky dog breeds.. Hip Dysplasia Veterinary Partner.
From embarkvet.com
Canine Hip Dysplasia Testing Explained Embarkvet Hip Dysplasia Veterinary Partner Hip dislocation in dogs and cats. Hip dysplasia can occur in any breed or size of dog but is more common and tends to be a bigger issue in larger breeds. Hip dysplasia occurs in many species (including humans and cats) but is mainly a concern in dogs. Canine hip dysplasia (chd) is a condition that begins in dogs as. Hip Dysplasia Veterinary Partner.
From www.vetlessons.com
HIP DYSPLASIA IN DOGS — VETLESSONS Hip Dysplasia Veterinary Partner Speak with your veterinarian about their experiences and recommendations for complementary medical procedures to help. Small dogs and lean, slender breeds such as sighthounds rarely. Hip dysplasia is a common condition of large breed dogs and many dog owners have heard of it but the fact is that. Hip dysplasia is typically a problem for large, stocky dog breeds. Hip. Hip Dysplasia Veterinary Partner.
From verandahpethospital.blogspot.com
Verandah Pet Vet Hip Dysplasia Diagnosis Hip Dysplasia Veterinary Partner Small dogs and lean, slender breeds such as sighthounds rarely. Hip dysplasia is a common condition of large breed dogs and many dog owners have heard of it but the fact is that. Hip dysplasia can occur in any breed or size of dog but is more common and tends to be a bigger issue in larger breeds. It can. Hip Dysplasia Veterinary Partner.
From gatewayvetsurgery.com
Hip Dysplasia In Adult Dogsoptions And Nutraceuticals (Proceedings Hip Dysplasia Veterinary Partner The hip joint laxity is responsible for. Small dogs and lean, slender breeds such as sighthounds rarely. Hip dysplasia is a common condition of large breed dogs and many dog owners have heard of it but the fact is that. Hip dysplasia occurs in many species (including humans and cats) but is mainly a concern in dogs. Hip dislocation in. Hip Dysplasia Veterinary Partner.
From ponderosavetclinic.com
Hip Dysplasia in Dogs Ponderosa Veterinary Clinic Hip Dysplasia Veterinary Partner Hip dysplasia is typically a problem for large, stocky dog breeds. Speak with your veterinarian about their experiences and recommendations for complementary medical procedures to help. It can occur in any breed or size of the dog. Hip dysplasia can occur in any breed or size of dog but is more common and tends to be a bigger issue in. Hip Dysplasia Veterinary Partner.
From www.walkervillevet.com.au
Hip Dysplasia What To Do & How To Prevent Walkerville Vet Hip Dysplasia Veterinary Partner Small dogs and lean, slender breeds such as sighthounds rarely. Speak with your veterinarian about their experiences and recommendations for complementary medical procedures to help. Hip dysplasia is a common condition of large breed dogs and many dog owners have heard of it but the fact is that. Hip dislocation in dogs and cats. It can occur in any breed. Hip Dysplasia Veterinary Partner.
From verandahpethospital.blogspot.com
Verandah Pet Vet Hip Dysplasia Diagnosis Hip Dysplasia Veterinary Partner The hip joint laxity is responsible for. Hip dysplasia is typically a problem for large, stocky dog breeds. Speak with your veterinarian about their experiences and recommendations for complementary medical procedures to help. In a normal hip, the femoral head fits snugly inside acetabulum. It can occur in any breed or size of the dog. Canine hip dysplasia (chd) is. Hip Dysplasia Veterinary Partner.
From www.vss.net.au
Hip Dysplasia Veterinary Specialist Services Hip Dysplasia Veterinary Partner Hip dysplasia is a common condition of large breed dogs and many dog owners have heard of it but the fact is that. Canine hip dysplasia (chd) is a condition that begins in dogs as they grow and results in instability or a loose fit (laxity) of the hip joint (figure 1). It can occur in any breed or size. Hip Dysplasia Veterinary Partner.