Halliday 7 Functions Of Language Examples . Seven functions of language according to halliday instrumental function. Halliday's significant contribution to linguistics includes his delineation of seven functions of language that illustrate the diverse ways in which children use language to grow and. The chosen texts, and the language within those texts, is the way they share their world view, their motivations, their values and social goals. Language used to fulfill human needs like communication. Halliday (1978) proposed that there are 7 stages or functions of a child's speech. The use of language to. Language is used to tell stories and jokes, and to create an imaginary environment.
from www.scribd.com
The use of language to. Halliday (1978) proposed that there are 7 stages or functions of a child's speech. The chosen texts, and the language within those texts, is the way they share their world view, their motivations, their values and social goals. Language used to fulfill human needs like communication. Seven functions of language according to halliday instrumental function. Halliday's significant contribution to linguistics includes his delineation of seven functions of language that illustrate the diverse ways in which children use language to grow and. Language is used to tell stories and jokes, and to create an imaginary environment.
HALLIDAY 7 Functions of Language
Halliday 7 Functions Of Language Examples The chosen texts, and the language within those texts, is the way they share their world view, their motivations, their values and social goals. Seven functions of language according to halliday instrumental function. Language used to fulfill human needs like communication. Halliday (1978) proposed that there are 7 stages or functions of a child's speech. The use of language to. Halliday's significant contribution to linguistics includes his delineation of seven functions of language that illustrate the diverse ways in which children use language to grow and. The chosen texts, and the language within those texts, is the way they share their world view, their motivations, their values and social goals. Language is used to tell stories and jokes, and to create an imaginary environment.
From mungfali.com
Function Of Language Examples Halliday 7 Functions Of Language Examples The chosen texts, and the language within those texts, is the way they share their world view, their motivations, their values and social goals. Seven functions of language according to halliday instrumental function. The use of language to. Halliday's significant contribution to linguistics includes his delineation of seven functions of language that illustrate the diverse ways in which children use. Halliday 7 Functions Of Language Examples.
From www.slideserve.com
PPT Communicative Competence PowerPoint Presentation, free download ID2073954 Halliday 7 Functions Of Language Examples Language is used to tell stories and jokes, and to create an imaginary environment. The use of language to. Halliday's significant contribution to linguistics includes his delineation of seven functions of language that illustrate the diverse ways in which children use language to grow and. Seven functions of language according to halliday instrumental function. The chosen texts, and the language. Halliday 7 Functions Of Language Examples.
From www.scribd.com
Understanding Halliday's Seven Functions of Language Through Classroom Examples PDF Human Halliday 7 Functions Of Language Examples Seven functions of language according to halliday instrumental function. Halliday (1978) proposed that there are 7 stages or functions of a child's speech. Halliday's significant contribution to linguistics includes his delineation of seven functions of language that illustrate the diverse ways in which children use language to grow and. Language is used to tell stories and jokes, and to create. Halliday 7 Functions Of Language Examples.
From www.youtube.com
Halliday and Functions of Language and Stylistics YouTube Halliday 7 Functions Of Language Examples Halliday (1978) proposed that there are 7 stages or functions of a child's speech. Halliday's significant contribution to linguistics includes his delineation of seven functions of language that illustrate the diverse ways in which children use language to grow and. Language is used to tell stories and jokes, and to create an imaginary environment. Seven functions of language according to. Halliday 7 Functions Of Language Examples.
From www.scribd.com
Halliday Functions of Language PDF Halliday 7 Functions Of Language Examples The chosen texts, and the language within those texts, is the way they share their world view, their motivations, their values and social goals. Language used to fulfill human needs like communication. Halliday (1978) proposed that there are 7 stages or functions of a child's speech. Language is used to tell stories and jokes, and to create an imaginary environment.. Halliday 7 Functions Of Language Examples.
From www.slideserve.com
PPT FIVE FUNCTIONS OF LANGUAGE PowerPoint Presentation ID158415 Halliday 7 Functions Of Language Examples Seven functions of language according to halliday instrumental function. Language used to fulfill human needs like communication. Halliday (1978) proposed that there are 7 stages or functions of a child's speech. Language is used to tell stories and jokes, and to create an imaginary environment. The chosen texts, and the language within those texts, is the way they share their. Halliday 7 Functions Of Language Examples.
From www.studocu.com
AEL 1201 Functions OF Language FUNCTIONS OF LANGUAGE In 1975, Halliday published his 'seven Halliday 7 Functions Of Language Examples Language is used to tell stories and jokes, and to create an imaginary environment. The use of language to. The chosen texts, and the language within those texts, is the way they share their world view, their motivations, their values and social goals. Halliday's significant contribution to linguistics includes his delineation of seven functions of language that illustrate the diverse. Halliday 7 Functions Of Language Examples.
From cupsoguepictures.com
😊 Halliday 7 functions of language pdf. Michael Halliday's 7 functions of language by meg holtom Halliday 7 Functions Of Language Examples Language used to fulfill human needs like communication. The use of language to. Halliday's significant contribution to linguistics includes his delineation of seven functions of language that illustrate the diverse ways in which children use language to grow and. The chosen texts, and the language within those texts, is the way they share their world view, their motivations, their values. Halliday 7 Functions Of Language Examples.
From www.studocu.com
Language functions and examples by Michael Halliday Hannah Hazel V. Dullar BSED III English Halliday 7 Functions Of Language Examples Halliday (1978) proposed that there are 7 stages or functions of a child's speech. The chosen texts, and the language within those texts, is the way they share their world view, their motivations, their values and social goals. The use of language to. Halliday's significant contribution to linguistics includes his delineation of seven functions of language that illustrate the diverse. Halliday 7 Functions Of Language Examples.
From www.slideserve.com
PPT Main criticisms (and alternatives) to Piaget’s Theory PowerPoint Presentation ID4184849 Halliday 7 Functions Of Language Examples Halliday's significant contribution to linguistics includes his delineation of seven functions of language that illustrate the diverse ways in which children use language to grow and. Language used to fulfill human needs like communication. The use of language to. Halliday (1978) proposed that there are 7 stages or functions of a child's speech. The chosen texts, and the language within. Halliday 7 Functions Of Language Examples.
From www.researchgate.net
The three metafunctions of language (Halliday, 1970). Download Scientific Diagram Halliday 7 Functions Of Language Examples Halliday's significant contribution to linguistics includes his delineation of seven functions of language that illustrate the diverse ways in which children use language to grow and. The chosen texts, and the language within those texts, is the way they share their world view, their motivations, their values and social goals. The use of language to. Language is used to tell. Halliday 7 Functions Of Language Examples.
From www.slideserve.com
PPT Conversational Theory PowerPoint Presentation, free download ID5750223 Halliday 7 Functions Of Language Examples Halliday's significant contribution to linguistics includes his delineation of seven functions of language that illustrate the diverse ways in which children use language to grow and. Language is used to tell stories and jokes, and to create an imaginary environment. The use of language to. Language used to fulfill human needs like communication. The chosen texts, and the language within. Halliday 7 Functions Of Language Examples.
From www.studocu.com
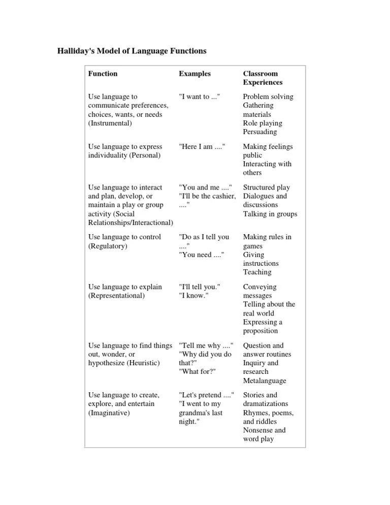
Halliday Functions of language Halliday’s Functions of Language Function Examples Classroom Halliday 7 Functions Of Language Examples Halliday (1978) proposed that there are 7 stages or functions of a child's speech. Language is used to tell stories and jokes, and to create an imaginary environment. Halliday's significant contribution to linguistics includes his delineation of seven functions of language that illustrate the diverse ways in which children use language to grow and. Language used to fulfill human needs. Halliday 7 Functions Of Language Examples.
From www.youtube.com
The Seven Function of Language by Michael Halliday YouTube Halliday 7 Functions Of Language Examples Language is used to tell stories and jokes, and to create an imaginary environment. Language used to fulfill human needs like communication. Halliday (1978) proposed that there are 7 stages or functions of a child's speech. The use of language to. Halliday's significant contribution to linguistics includes his delineation of seven functions of language that illustrate the diverse ways in. Halliday 7 Functions Of Language Examples.
From slidetodoc.com
The Communicative Approaches Topics What is CLT What Halliday 7 Functions Of Language Examples Halliday's significant contribution to linguistics includes his delineation of seven functions of language that illustrate the diverse ways in which children use language to grow and. Language is used to tell stories and jokes, and to create an imaginary environment. The chosen texts, and the language within those texts, is the way they share their world view, their motivations, their. Halliday 7 Functions Of Language Examples.
From ebvnotes.blogspot.com
Functions of Language Halliday 7 Functions Of Language Examples The chosen texts, and the language within those texts, is the way they share their world view, their motivations, their values and social goals. Language used to fulfill human needs like communication. Halliday (1978) proposed that there are 7 stages or functions of a child's speech. The use of language to. Seven functions of language according to halliday instrumental function.. Halliday 7 Functions Of Language Examples.
From www.slideshare.net
Communicative competence Halliday 7 Functions Of Language Examples The chosen texts, and the language within those texts, is the way they share their world view, their motivations, their values and social goals. Language is used to tell stories and jokes, and to create an imaginary environment. Language used to fulfill human needs like communication. Seven functions of language according to halliday instrumental function. Halliday's significant contribution to linguistics. Halliday 7 Functions Of Language Examples.
From www.pinterest.ph
Michael Halliday has developed seven functions of oral language utilised by young children Halliday 7 Functions Of Language Examples Seven functions of language according to halliday instrumental function. Halliday's significant contribution to linguistics includes his delineation of seven functions of language that illustrate the diverse ways in which children use language to grow and. Language is used to tell stories and jokes, and to create an imaginary environment. The chosen texts, and the language within those texts, is the. Halliday 7 Functions Of Language Examples.
From languageandlearningresource.weebly.com
The Functions of Language Learning Language at Home Halliday 7 Functions Of Language Examples Halliday's significant contribution to linguistics includes his delineation of seven functions of language that illustrate the diverse ways in which children use language to grow and. Language used to fulfill human needs like communication. Language is used to tell stories and jokes, and to create an imaginary environment. Halliday (1978) proposed that there are 7 stages or functions of a. Halliday 7 Functions Of Language Examples.
From www.youtube.com
Function of Language By Michael Halliday YouTube Halliday 7 Functions Of Language Examples The use of language to. Language used to fulfill human needs like communication. Halliday's significant contribution to linguistics includes his delineation of seven functions of language that illustrate the diverse ways in which children use language to grow and. Halliday (1978) proposed that there are 7 stages or functions of a child's speech. The chosen texts, and the language within. Halliday 7 Functions Of Language Examples.
From www.slideserve.com
PPT Language and Education PowerPoint Presentation, free download ID2555269 Halliday 7 Functions Of Language Examples Halliday (1978) proposed that there are 7 stages or functions of a child's speech. Halliday's significant contribution to linguistics includes his delineation of seven functions of language that illustrate the diverse ways in which children use language to grow and. The use of language to. The chosen texts, and the language within those texts, is the way they share their. Halliday 7 Functions Of Language Examples.
From www.pinterest.com
Basic break down on Halliday's idea of Language as a Functional Resource Language functions Halliday 7 Functions Of Language Examples Language is used to tell stories and jokes, and to create an imaginary environment. The chosen texts, and the language within those texts, is the way they share their world view, their motivations, their values and social goals. The use of language to. Seven functions of language according to halliday instrumental function. Halliday (1978) proposed that there are 7 stages. Halliday 7 Functions Of Language Examples.
From slidetodoc.com
The Functions of Language Jakobsons functions Hallidays Metafunctions Halliday 7 Functions Of Language Examples Language is used to tell stories and jokes, and to create an imaginary environment. Seven functions of language according to halliday instrumental function. Language used to fulfill human needs like communication. The use of language to. Halliday (1978) proposed that there are 7 stages or functions of a child's speech. Halliday's significant contribution to linguistics includes his delineation of seven. Halliday 7 Functions Of Language Examples.
From www.slideshare.net
Functional approach Halliday 7 Functions Of Language Examples The use of language to. Language used to fulfill human needs like communication. Halliday (1978) proposed that there are 7 stages or functions of a child's speech. Seven functions of language according to halliday instrumental function. Halliday's significant contribution to linguistics includes his delineation of seven functions of language that illustrate the diverse ways in which children use language to. Halliday 7 Functions Of Language Examples.
From www.scribd.com
A Compilation of the 7 Functions of Language Human Communication Communication Halliday 7 Functions Of Language Examples Language used to fulfill human needs like communication. Halliday's significant contribution to linguistics includes his delineation of seven functions of language that illustrate the diverse ways in which children use language to grow and. The chosen texts, and the language within those texts, is the way they share their world view, their motivations, their values and social goals. Language is. Halliday 7 Functions Of Language Examples.
From slidetodoc.com
The Functions of Language Jakobsons functions Hallidays Metafunctions Halliday 7 Functions Of Language Examples Seven functions of language according to halliday instrumental function. Language is used to tell stories and jokes, and to create an imaginary environment. The chosen texts, and the language within those texts, is the way they share their world view, their motivations, their values and social goals. Halliday (1978) proposed that there are 7 stages or functions of a child's. Halliday 7 Functions Of Language Examples.
From www.youtube.com
Functions of language What is language and its functions YouTube Halliday 7 Functions Of Language Examples Halliday's significant contribution to linguistics includes his delineation of seven functions of language that illustrate the diverse ways in which children use language to grow and. The chosen texts, and the language within those texts, is the way they share their world view, their motivations, their values and social goals. Seven functions of language according to halliday instrumental function. The. Halliday 7 Functions Of Language Examples.
From www.studocu.com
Halliday's 7 function of Language Name Bagsit, Angelique Khryztelle Course BSEd English 2nd Halliday 7 Functions Of Language Examples Language is used to tell stories and jokes, and to create an imaginary environment. Seven functions of language according to halliday instrumental function. Halliday's significant contribution to linguistics includes his delineation of seven functions of language that illustrate the diverse ways in which children use language to grow and. Halliday (1978) proposed that there are 7 stages or functions of. Halliday 7 Functions Of Language Examples.
From www.scribd.com
HALLIDAY 7 Functions of Language Halliday 7 Functions Of Language Examples Seven functions of language according to halliday instrumental function. The use of language to. Halliday's significant contribution to linguistics includes his delineation of seven functions of language that illustrate the diverse ways in which children use language to grow and. Language used to fulfill human needs like communication. Halliday (1978) proposed that there are 7 stages or functions of a. Halliday 7 Functions Of Language Examples.
From www.youtube.com
Halliday's functions of Language functions of language in sociolinguistics Halliday'sfunction Halliday 7 Functions Of Language Examples The chosen texts, and the language within those texts, is the way they share their world view, their motivations, their values and social goals. Language used to fulfill human needs like communication. Seven functions of language according to halliday instrumental function. Halliday (1978) proposed that there are 7 stages or functions of a child's speech. Halliday's significant contribution to linguistics. Halliday 7 Functions Of Language Examples.
From www.slideserve.com
PPT Linguistics PowerPoint Presentation ID421795 Halliday 7 Functions Of Language Examples Seven functions of language according to halliday instrumental function. The chosen texts, and the language within those texts, is the way they share their world view, their motivations, their values and social goals. Language used to fulfill human needs like communication. The use of language to. Language is used to tell stories and jokes, and to create an imaginary environment.. Halliday 7 Functions Of Language Examples.
From trending.su
What are the 7 functions of language with examples? — Trending Halliday 7 Functions Of Language Examples Halliday's significant contribution to linguistics includes his delineation of seven functions of language that illustrate the diverse ways in which children use language to grow and. Language is used to tell stories and jokes, and to create an imaginary environment. The chosen texts, and the language within those texts, is the way they share their world view, their motivations, their. Halliday 7 Functions Of Language Examples.
From www.youtube.com
Halliday Seven Functions of Language YouTube Halliday 7 Functions Of Language Examples Seven functions of language according to halliday instrumental function. Halliday (1978) proposed that there are 7 stages or functions of a child's speech. Language used to fulfill human needs like communication. Halliday's significant contribution to linguistics includes his delineation of seven functions of language that illustrate the diverse ways in which children use language to grow and. Language is used. Halliday 7 Functions Of Language Examples.
From www.slideshare.net
Ctel module1 fall09 Halliday 7 Functions Of Language Examples Language is used to tell stories and jokes, and to create an imaginary environment. Language used to fulfill human needs like communication. Halliday's significant contribution to linguistics includes his delineation of seven functions of language that illustrate the diverse ways in which children use language to grow and. Halliday (1978) proposed that there are 7 stages or functions of a. Halliday 7 Functions Of Language Examples.
From slidetodoc.com
The Functions of Language Jakobsons functions Hallidays Metafunctions Halliday 7 Functions Of Language Examples Language is used to tell stories and jokes, and to create an imaginary environment. The use of language to. Seven functions of language according to halliday instrumental function. Language used to fulfill human needs like communication. Halliday (1978) proposed that there are 7 stages or functions of a child's speech. Halliday's significant contribution to linguistics includes his delineation of seven. Halliday 7 Functions Of Language Examples.