Cottonwood Tree Fungus . Discover effective treatments for fungal infections in cottonwood trees in our comprehensive guide. There are two fungal pathogens common to cottonwoods, marssonina leaf spot and cytospora canker. Various fungi, including botryosphaeria and coryneum, cause canker. Trees may also exhibit oozing sap from infected sites. Cottonwood tree diseases & insect infestations. These trees grow quickly, but. Leaf spot fungal diseases can make cottonwood and poplar trees look unsightly. Occasionally, a severe disease outbreak can. In this article, you’ll discover the most common threats to cottonwood trees, from pesky insects to harmful fungi. If you notice fuzzy growth on leaves, it could be a sign of a fungal infection. This is a common issue that can spread quickly. Cottonwood trees are a member of the poplar family.
from www.forestryimages.org
Leaf spot fungal diseases can make cottonwood and poplar trees look unsightly. Occasionally, a severe disease outbreak can. Various fungi, including botryosphaeria and coryneum, cause canker. Cottonwood trees are a member of the poplar family. There are two fungal pathogens common to cottonwoods, marssonina leaf spot and cytospora canker. This is a common issue that can spread quickly. Cottonwood tree diseases & insect infestations. These trees grow quickly, but. Trees may also exhibit oozing sap from infected sites. In this article, you’ll discover the most common threats to cottonwood trees, from pesky insects to harmful fungi.
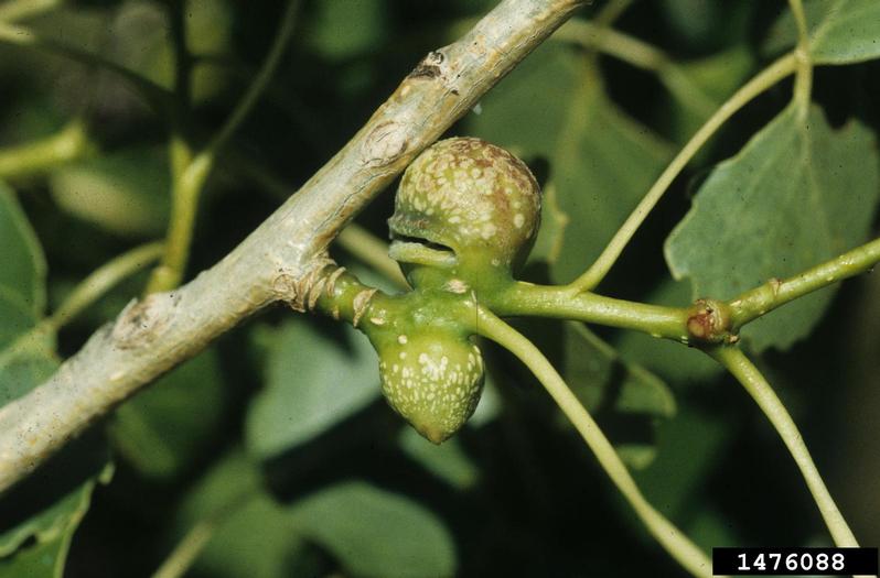
leaf blister of poplar (Taphrina populina ) on eastern cottonwood
Cottonwood Tree Fungus If you notice fuzzy growth on leaves, it could be a sign of a fungal infection. Cottonwood trees are a member of the poplar family. Trees may also exhibit oozing sap from infected sites. This is a common issue that can spread quickly. Discover effective treatments for fungal infections in cottonwood trees in our comprehensive guide. Cottonwood tree diseases & insect infestations. There are two fungal pathogens common to cottonwoods, marssonina leaf spot and cytospora canker. Leaf spot fungal diseases can make cottonwood and poplar trees look unsightly. In this article, you’ll discover the most common threats to cottonwood trees, from pesky insects to harmful fungi. If you notice fuzzy growth on leaves, it could be a sign of a fungal infection. These trees grow quickly, but. Occasionally, a severe disease outbreak can. Various fungi, including botryosphaeria and coryneum, cause canker.
From ask2.extension.org
cottonwood tree problem 409258 Ask Extension Cottonwood Tree Fungus This is a common issue that can spread quickly. There are two fungal pathogens common to cottonwoods, marssonina leaf spot and cytospora canker. If you notice fuzzy growth on leaves, it could be a sign of a fungal infection. Discover effective treatments for fungal infections in cottonwood trees in our comprehensive guide. Occasionally, a severe disease outbreak can. Various fungi,. Cottonwood Tree Fungus.
From www.istockphoto.com
Bracket Fungus Stock Photo Download Image Now Backgrounds, Bracket Cottonwood Tree Fungus Occasionally, a severe disease outbreak can. Cottonwood trees are a member of the poplar family. This is a common issue that can spread quickly. Cottonwood tree diseases & insect infestations. Trees may also exhibit oozing sap from infected sites. These trees grow quickly, but. In this article, you’ll discover the most common threats to cottonwood trees, from pesky insects to. Cottonwood Tree Fungus.
From gardenologist.org
Common Diseases of the Fremont Cottonwood Tree Gardenologist Cottonwood Tree Fungus Discover effective treatments for fungal infections in cottonwood trees in our comprehensive guide. This is a common issue that can spread quickly. Leaf spot fungal diseases can make cottonwood and poplar trees look unsightly. If you notice fuzzy growth on leaves, it could be a sign of a fungal infection. Trees may also exhibit oozing sap from infected sites. Occasionally,. Cottonwood Tree Fungus.
From ask2.extension.org
golden colored moss/fungus on my cottonwood tree 644531 Ask Extension Cottonwood Tree Fungus Cottonwood tree diseases & insect infestations. There are two fungal pathogens common to cottonwoods, marssonina leaf spot and cytospora canker. Leaf spot fungal diseases can make cottonwood and poplar trees look unsightly. Cottonwood trees are a member of the poplar family. If you notice fuzzy growth on leaves, it could be a sign of a fungal infection. In this article,. Cottonwood Tree Fungus.
From isnca.org
Fakty o drzewach bawełnianych ISNCA Cottonwood Tree Fungus These trees grow quickly, but. Discover effective treatments for fungal infections in cottonwood trees in our comprehensive guide. Various fungi, including botryosphaeria and coryneum, cause canker. Leaf spot fungal diseases can make cottonwood and poplar trees look unsightly. Trees may also exhibit oozing sap from infected sites. Occasionally, a severe disease outbreak can. There are two fungal pathogens common to. Cottonwood Tree Fungus.
From www.ninemileprairie.com
DecayingCottonwoodTrunkandLimb2 Nine Mile Prairie Cottonwood Tree Fungus Cottonwood trees are a member of the poplar family. There are two fungal pathogens common to cottonwoods, marssonina leaf spot and cytospora canker. Cottonwood tree diseases & insect infestations. This is a common issue that can spread quickly. If you notice fuzzy growth on leaves, it could be a sign of a fungal infection. Occasionally, a severe disease outbreak can.. Cottonwood Tree Fungus.
From www.alamy.com
Common scaly fungus on a tree trunk Stock Photo Alamy Cottonwood Tree Fungus Discover effective treatments for fungal infections in cottonwood trees in our comprehensive guide. If you notice fuzzy growth on leaves, it could be a sign of a fungal infection. This is a common issue that can spread quickly. These trees grow quickly, but. Various fungi, including botryosphaeria and coryneum, cause canker. Trees may also exhibit oozing sap from infected sites.. Cottonwood Tree Fungus.
From www.reddit.com
What is this on my cottonwood? Fungus? r/arborists Cottonwood Tree Fungus Cottonwood trees are a member of the poplar family. This is a common issue that can spread quickly. There are two fungal pathogens common to cottonwoods, marssonina leaf spot and cytospora canker. Trees may also exhibit oozing sap from infected sites. Cottonwood tree diseases & insect infestations. Leaf spot fungal diseases can make cottonwood and poplar trees look unsightly. These. Cottonwood Tree Fungus.
From www.mwarbor.com
Diseases and Insect Infections to Watch for In Your Cottonwood and Elm Cottonwood Tree Fungus These trees grow quickly, but. Occasionally, a severe disease outbreak can. Discover effective treatments for fungal infections in cottonwood trees in our comprehensive guide. In this article, you’ll discover the most common threats to cottonwood trees, from pesky insects to harmful fungi. Cottonwood tree diseases & insect infestations. This is a common issue that can spread quickly. Various fungi, including. Cottonwood Tree Fungus.
From ask2.extension.org
Infestation on cottonless cottonwood tree what is it and how to deal Cottonwood Tree Fungus If you notice fuzzy growth on leaves, it could be a sign of a fungal infection. Leaf spot fungal diseases can make cottonwood and poplar trees look unsightly. There are two fungal pathogens common to cottonwoods, marssonina leaf spot and cytospora canker. Trees may also exhibit oozing sap from infected sites. In this article, you’ll discover the most common threats. Cottonwood Tree Fungus.
From www.forestryimages.org
poplar twiggall aphid (Pemphigus populiramulorum ) on plains cottonwood Cottonwood Tree Fungus In this article, you’ll discover the most common threats to cottonwood trees, from pesky insects to harmful fungi. If you notice fuzzy growth on leaves, it could be a sign of a fungal infection. Cottonwood trees are a member of the poplar family. Discover effective treatments for fungal infections in cottonwood trees in our comprehensive guide. Various fungi, including botryosphaeria. Cottonwood Tree Fungus.
From www.ninemileprairie.com
Umbrella Shaped Fungus on a Dying Cottonwood Trunk Nine Mile Prairie Cottonwood Tree Fungus Leaf spot fungal diseases can make cottonwood and poplar trees look unsightly. Cottonwood trees are a member of the poplar family. Discover effective treatments for fungal infections in cottonwood trees in our comprehensive guide. Cottonwood tree diseases & insect infestations. These trees grow quickly, but. If you notice fuzzy growth on leaves, it could be a sign of a fungal. Cottonwood Tree Fungus.
From www.forestryimages.org
leaf blister of poplar (Taphrina populina ) on eastern cottonwood Cottonwood Tree Fungus There are two fungal pathogens common to cottonwoods, marssonina leaf spot and cytospora canker. If you notice fuzzy growth on leaves, it could be a sign of a fungal infection. Occasionally, a severe disease outbreak can. Trees may also exhibit oozing sap from infected sites. Cottonwood trees are a member of the poplar family. Various fungi, including botryosphaeria and coryneum,. Cottonwood Tree Fungus.
From www.reddit.com
What is this fungus growing from cut cottonwood branches (US zone 5b Cottonwood Tree Fungus Discover effective treatments for fungal infections in cottonwood trees in our comprehensive guide. Cottonwood tree diseases & insect infestations. This is a common issue that can spread quickly. Various fungi, including botryosphaeria and coryneum, cause canker. Leaf spot fungal diseases can make cottonwood and poplar trees look unsightly. There are two fungal pathogens common to cottonwoods, marssonina leaf spot and. Cottonwood Tree Fungus.
From fieldingtreecare.com
Expert Care for Cottonwood Trees Near Denver, CO Cottonwood Tree Fungus This is a common issue that can spread quickly. Cottonwood tree diseases & insect infestations. Various fungi, including botryosphaeria and coryneum, cause canker. In this article, you’ll discover the most common threats to cottonwood trees, from pesky insects to harmful fungi. Occasionally, a severe disease outbreak can. Trees may also exhibit oozing sap from infected sites. There are two fungal. Cottonwood Tree Fungus.
From www.forestryimages.org
Phomopsis cankers and twig blights (Phomopsis spp. ) on eastern Cottonwood Tree Fungus Cottonwood tree diseases & insect infestations. Trees may also exhibit oozing sap from infected sites. Leaf spot fungal diseases can make cottonwood and poplar trees look unsightly. Cottonwood trees are a member of the poplar family. This is a common issue that can spread quickly. These trees grow quickly, but. There are two fungal pathogens common to cottonwoods, marssonina leaf. Cottonwood Tree Fungus.
From www.forestryimages.org
bacterial wetwood (Enterobacter nimipressuralis ) on aspen/poplar Cottonwood Tree Fungus Cottonwood tree diseases & insect infestations. If you notice fuzzy growth on leaves, it could be a sign of a fungal infection. This is a common issue that can spread quickly. Cottonwood trees are a member of the poplar family. Various fungi, including botryosphaeria and coryneum, cause canker. Trees may also exhibit oozing sap from infected sites. There are two. Cottonwood Tree Fungus.
From flickr.com
Fungus on Cottonwood Tree stump Natalia Wilson Flickr Cottonwood Tree Fungus In this article, you’ll discover the most common threats to cottonwood trees, from pesky insects to harmful fungi. There are two fungal pathogens common to cottonwoods, marssonina leaf spot and cytospora canker. Leaf spot fungal diseases can make cottonwood and poplar trees look unsightly. These trees grow quickly, but. Occasionally, a severe disease outbreak can. Discover effective treatments for fungal. Cottonwood Tree Fungus.
From www.alamy.com
USA, Colorado, Ft. Collins. Fungus growth on cottonwood stump Stock Cottonwood Tree Fungus These trees grow quickly, but. Trees may also exhibit oozing sap from infected sites. Leaf spot fungal diseases can make cottonwood and poplar trees look unsightly. Discover effective treatments for fungal infections in cottonwood trees in our comprehensive guide. Cottonwood trees are a member of the poplar family. There are two fungal pathogens common to cottonwoods, marssonina leaf spot and. Cottonwood Tree Fungus.
From www.alamy.com
A layer of snow covers a large fungus clinging to a cottonwood tree Cottonwood Tree Fungus Discover effective treatments for fungal infections in cottonwood trees in our comprehensive guide. Leaf spot fungal diseases can make cottonwood and poplar trees look unsightly. Occasionally, a severe disease outbreak can. This is a common issue that can spread quickly. Cottonwood tree diseases & insect infestations. Various fungi, including botryosphaeria and coryneum, cause canker. In this article, you’ll discover the. Cottonwood Tree Fungus.
From www.sdvtreeservice.com
Tree Fungus Types The Most Common And Their Symptoms Cottonwood Tree Fungus This is a common issue that can spread quickly. Trees may also exhibit oozing sap from infected sites. Cottonwood tree diseases & insect infestations. Occasionally, a severe disease outbreak can. If you notice fuzzy growth on leaves, it could be a sign of a fungal infection. Cottonwood trees are a member of the poplar family. Leaf spot fungal diseases can. Cottonwood Tree Fungus.
From gardenologist.org
Common Diseases of the Fremont Cottonwood Tree Gardenologist Cottonwood Tree Fungus Cottonwood trees are a member of the poplar family. If you notice fuzzy growth on leaves, it could be a sign of a fungal infection. This is a common issue that can spread quickly. In this article, you’ll discover the most common threats to cottonwood trees, from pesky insects to harmful fungi. Various fungi, including botryosphaeria and coryneum, cause canker.. Cottonwood Tree Fungus.
From www.thespruce.com
Common Tree Fungus Identification and Treatment Cottonwood Tree Fungus This is a common issue that can spread quickly. Trees may also exhibit oozing sap from infected sites. In this article, you’ll discover the most common threats to cottonwood trees, from pesky insects to harmful fungi. Cottonwood tree diseases & insect infestations. If you notice fuzzy growth on leaves, it could be a sign of a fungal infection. These trees. Cottonwood Tree Fungus.
From www.youtube.com
Identification and uses of Cottonwood fungus YouTube Cottonwood Tree Fungus Cottonwood trees are a member of the poplar family. Cottonwood tree diseases & insect infestations. There are two fungal pathogens common to cottonwoods, marssonina leaf spot and cytospora canker. This is a common issue that can spread quickly. Trees may also exhibit oozing sap from infected sites. If you notice fuzzy growth on leaves, it could be a sign of. Cottonwood Tree Fungus.
From www.forestryimages.org
cottonwood catkingall mite (Aceria neoessigi ) on aspen/poplar (Populus Cottonwood Tree Fungus Cottonwood trees are a member of the poplar family. Various fungi, including botryosphaeria and coryneum, cause canker. Occasionally, a severe disease outbreak can. Trees may also exhibit oozing sap from infected sites. Discover effective treatments for fungal infections in cottonwood trees in our comprehensive guide. Cottonwood tree diseases & insect infestations. If you notice fuzzy growth on leaves, it could. Cottonwood Tree Fungus.
From valdodge.com
Cottonwood Flats Dodgeville Cottonwood Tree Fungus In this article, you’ll discover the most common threats to cottonwood trees, from pesky insects to harmful fungi. Leaf spot fungal diseases can make cottonwood and poplar trees look unsightly. These trees grow quickly, but. This is a common issue that can spread quickly. Cottonwood trees are a member of the poplar family. Various fungi, including botryosphaeria and coryneum, cause. Cottonwood Tree Fungus.
From ask2.extension.org
Infestation on cottonless cottonwood tree what is it and how to deal Cottonwood Tree Fungus If you notice fuzzy growth on leaves, it could be a sign of a fungal infection. Various fungi, including botryosphaeria and coryneum, cause canker. In this article, you’ll discover the most common threats to cottonwood trees, from pesky insects to harmful fungi. There are two fungal pathogens common to cottonwoods, marssonina leaf spot and cytospora canker. Cottonwood tree diseases &. Cottonwood Tree Fungus.
From www.viewbug.com
Fungus, Cottonwood, and Snow by BB4A_Fotografi Cottonwood Tree Fungus If you notice fuzzy growth on leaves, it could be a sign of a fungal infection. Cottonwood tree diseases & insect infestations. In this article, you’ll discover the most common threats to cottonwood trees, from pesky insects to harmful fungi. This is a common issue that can spread quickly. Cottonwood trees are a member of the poplar family. These trees. Cottonwood Tree Fungus.
From www.picsofplants.com
Rust on Eastern Cottonwood photo at Pictures of Plants stock image library Cottonwood Tree Fungus Cottonwood trees are a member of the poplar family. Trees may also exhibit oozing sap from infected sites. Cottonwood tree diseases & insect infestations. These trees grow quickly, but. If you notice fuzzy growth on leaves, it could be a sign of a fungal infection. Discover effective treatments for fungal infections in cottonwood trees in our comprehensive guide. This is. Cottonwood Tree Fungus.
From www.dreamstime.com
Tree fungi growing stock image. Image of nature, sprout 186897635 Cottonwood Tree Fungus Occasionally, a severe disease outbreak can. Cottonwood tree diseases & insect infestations. Trees may also exhibit oozing sap from infected sites. Various fungi, including botryosphaeria and coryneum, cause canker. These trees grow quickly, but. Cottonwood trees are a member of the poplar family. Discover effective treatments for fungal infections in cottonwood trees in our comprehensive guide. If you notice fuzzy. Cottonwood Tree Fungus.
From savemaumee.org
Mushrooms growing where a cottonwood once stood Save Maumee Cottonwood Tree Fungus These trees grow quickly, but. Discover effective treatments for fungal infections in cottonwood trees in our comprehensive guide. In this article, you’ll discover the most common threats to cottonwood trees, from pesky insects to harmful fungi. Trees may also exhibit oozing sap from infected sites. Various fungi, including botryosphaeria and coryneum, cause canker. Leaf spot fungal diseases can make cottonwood. Cottonwood Tree Fungus.
From ask2.extension.org
Cottonwood gall mites? What should I do? Ask Extension Cottonwood Tree Fungus These trees grow quickly, but. There are two fungal pathogens common to cottonwoods, marssonina leaf spot and cytospora canker. Cottonwood trees are a member of the poplar family. Occasionally, a severe disease outbreak can. Various fungi, including botryosphaeria and coryneum, cause canker. Trees may also exhibit oozing sap from infected sites. If you notice fuzzy growth on leaves, it could. Cottonwood Tree Fungus.
From www.alamy.com
The fruiting body of a white rot fungus, Trametes trogii, with orange Cottonwood Tree Fungus Cottonwood trees are a member of the poplar family. Leaf spot fungal diseases can make cottonwood and poplar trees look unsightly. Cottonwood tree diseases & insect infestations. Occasionally, a severe disease outbreak can. If you notice fuzzy growth on leaves, it could be a sign of a fungal infection. These trees grow quickly, but. Various fungi, including botryosphaeria and coryneum,. Cottonwood Tree Fungus.
From shuncy.com
Exploring The Devastating Effects Of Eastern Cottonwood Disease On Tree Cottonwood Tree Fungus If you notice fuzzy growth on leaves, it could be a sign of a fungal infection. Leaf spot fungal diseases can make cottonwood and poplar trees look unsightly. There are two fungal pathogens common to cottonwoods, marssonina leaf spot and cytospora canker. Discover effective treatments for fungal infections in cottonwood trees in our comprehensive guide. Trees may also exhibit oozing. Cottonwood Tree Fungus.
From protophoto.com
Cottonwood Fungus Cottonwood Tree Fungus Leaf spot fungal diseases can make cottonwood and poplar trees look unsightly. These trees grow quickly, but. Occasionally, a severe disease outbreak can. Discover effective treatments for fungal infections in cottonwood trees in our comprehensive guide. Cottonwood tree diseases & insect infestations. Various fungi, including botryosphaeria and coryneum, cause canker. If you notice fuzzy growth on leaves, it could be. Cottonwood Tree Fungus.