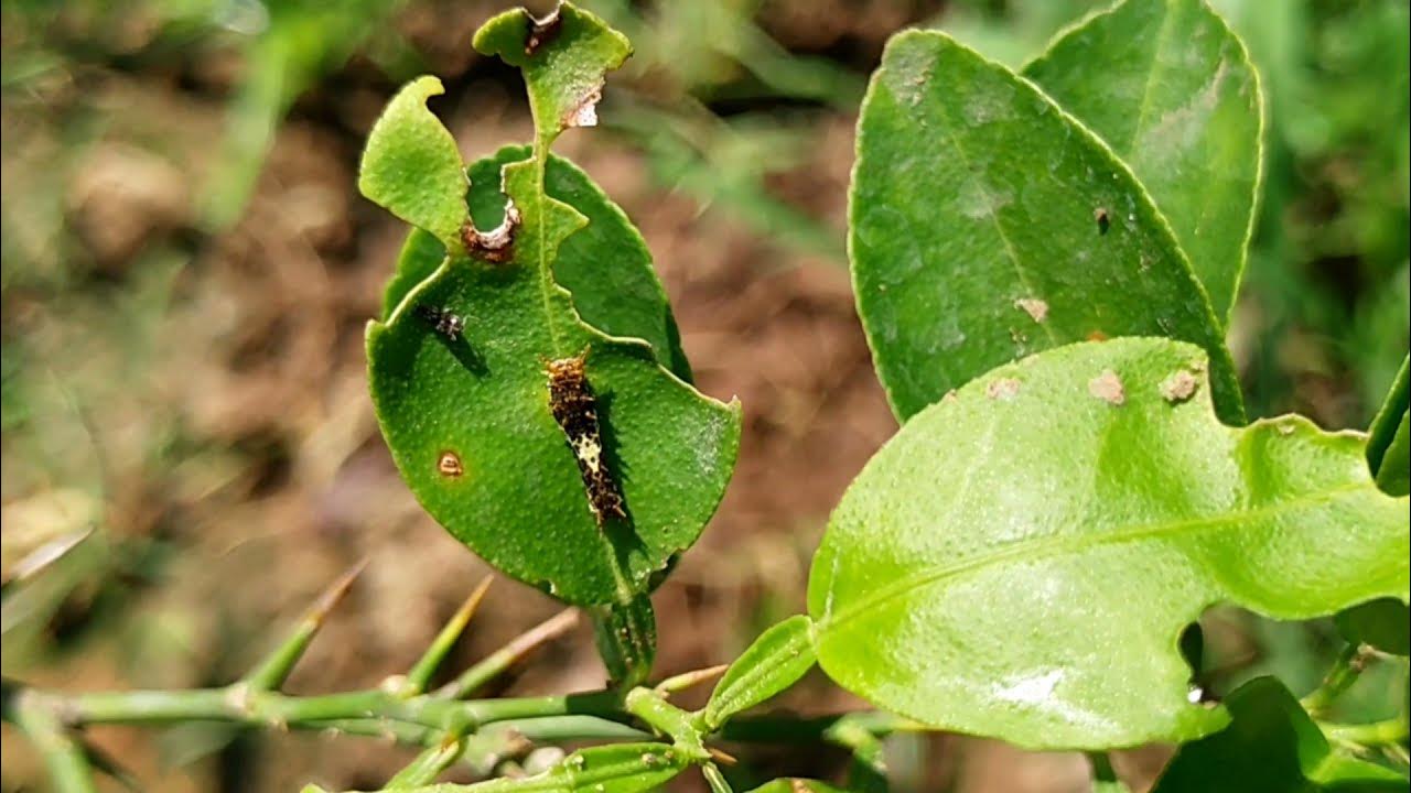
Worms That Eat Lemon Trees . They also have attractive foliage and come in a variety of. Many common garden pests might be attracted to your lemon tree. This is a tiny insect that will tunnel through the leaves of a lemon tree and the only evidence you’ll see. These include relatively harmless bugs, like aphids, and more serious pests, like citrus rust mite, one of the insects that affect lemons rather than foliage. Identifying the exact insects that are attacking. there are a number of lemon tree insect pests. so, let’s dive into an overview of the most common pests and diseases that could potentially affect your lemon tree. Read on for more information about how to get rid of insects on lemon trees. Most likely you will notice these all summer long when the weather is hot and humid. citrus pests can ruin your lemon crop and compromise the lemon tree’s overall health and vitality. if you have citrus trees in your yard sooner or later you are going to notice a few damaged leaves and maybe even some “worms” on your tree. there are several types of worms that commonly attack lemon trees, including citrus leafminer, citrus.
from www.reddit.com
there are several types of worms that commonly attack lemon trees, including citrus leafminer, citrus. there are a number of lemon tree insect pests. They also have attractive foliage and come in a variety of. so, let’s dive into an overview of the most common pests and diseases that could potentially affect your lemon tree. if you have citrus trees in your yard sooner or later you are going to notice a few damaged leaves and maybe even some “worms” on your tree. Read on for more information about how to get rid of insects on lemon trees. citrus pests can ruin your lemon crop and compromise the lemon tree’s overall health and vitality. Identifying the exact insects that are attacking. This is a tiny insect that will tunnel through the leaves of a lemon tree and the only evidence you’ll see. Many common garden pests might be attracted to your lemon tree.
What is this caterpillar that looks like bird poop? Southern California
Worms That Eat Lemon Trees if you have citrus trees in your yard sooner or later you are going to notice a few damaged leaves and maybe even some “worms” on your tree. so, let’s dive into an overview of the most common pests and diseases that could potentially affect your lemon tree. if you have citrus trees in your yard sooner or later you are going to notice a few damaged leaves and maybe even some “worms” on your tree. Read on for more information about how to get rid of insects on lemon trees. This is a tiny insect that will tunnel through the leaves of a lemon tree and the only evidence you’ll see. citrus pests can ruin your lemon crop and compromise the lemon tree’s overall health and vitality. They also have attractive foliage and come in a variety of. Many common garden pests might be attracted to your lemon tree. Identifying the exact insects that are attacking. there are several types of worms that commonly attack lemon trees, including citrus leafminer, citrus. These include relatively harmless bugs, like aphids, and more serious pests, like citrus rust mite, one of the insects that affect lemons rather than foliage. there are a number of lemon tree insect pests. Most likely you will notice these all summer long when the weather is hot and humid.
From morningchores.com
11 Citrus Tree Pests and Diseases That Can Destroy Your Grove Worms That Eat Lemon Trees Most likely you will notice these all summer long when the weather is hot and humid. so, let’s dive into an overview of the most common pests and diseases that could potentially affect your lemon tree. there are several types of worms that commonly attack lemon trees, including citrus leafminer, citrus. Read on for more information about how. Worms That Eat Lemon Trees.
From www.gardeningknowhow.com
Common Lemon Tree Insect Pests How To Get Rid Of Insects On Lemon Trees Worms That Eat Lemon Trees if you have citrus trees in your yard sooner or later you are going to notice a few damaged leaves and maybe even some “worms” on your tree. Read on for more information about how to get rid of insects on lemon trees. They also have attractive foliage and come in a variety of. Many common garden pests might. Worms That Eat Lemon Trees.
From garden.org
Meyers lemon issues and worms. in the Ask a Question forum Worms That Eat Lemon Trees so, let’s dive into an overview of the most common pests and diseases that could potentially affect your lemon tree. there are a number of lemon tree insect pests. This is a tiny insect that will tunnel through the leaves of a lemon tree and the only evidence you’ll see. citrus pests can ruin your lemon crop. Worms That Eat Lemon Trees.
From www.youtube.com
My Meyer Lemon Tree has GREASY SPOT DISEASE 2 /13/ 18 YouTube Worms That Eat Lemon Trees This is a tiny insect that will tunnel through the leaves of a lemon tree and the only evidence you’ll see. there are a number of lemon tree insect pests. so, let’s dive into an overview of the most common pests and diseases that could potentially affect your lemon tree. if you have citrus trees in your. Worms That Eat Lemon Trees.
From www.dreamstime.com
Green worm on lemon leaves stock image. Image of plant 91055623 Worms That Eat Lemon Trees These include relatively harmless bugs, like aphids, and more serious pests, like citrus rust mite, one of the insects that affect lemons rather than foliage. Most likely you will notice these all summer long when the weather is hot and humid. This is a tiny insect that will tunnel through the leaves of a lemon tree and the only evidence. Worms That Eat Lemon Trees.
From www.reddit.com
Identify this Meyer Lemon Tree disease r/gardening Worms That Eat Lemon Trees This is a tiny insect that will tunnel through the leaves of a lemon tree and the only evidence you’ll see. Most likely you will notice these all summer long when the weather is hot and humid. if you have citrus trees in your yard sooner or later you are going to notice a few damaged leaves and maybe. Worms That Eat Lemon Trees.
From vineyardgazette.com
The Vineyard Gazette Martha's Vineyard News Ecologists See a Worms That Eat Lemon Trees Many common garden pests might be attracted to your lemon tree. Most likely you will notice these all summer long when the weather is hot and humid. if you have citrus trees in your yard sooner or later you are going to notice a few damaged leaves and maybe even some “worms” on your tree. citrus pests can. Worms That Eat Lemon Trees.
From www.reddit.com
Help! Worms are devouring my lemon tree! How can I get rid of them Worms That Eat Lemon Trees This is a tiny insect that will tunnel through the leaves of a lemon tree and the only evidence you’ll see. Many common garden pests might be attracted to your lemon tree. They also have attractive foliage and come in a variety of. Identifying the exact insects that are attacking. Most likely you will notice these all summer long when. Worms That Eat Lemon Trees.
From www.youtube.com
My caterpillar on the lemon tree YouTube Worms That Eat Lemon Trees there are several types of worms that commonly attack lemon trees, including citrus leafminer, citrus. if you have citrus trees in your yard sooner or later you are going to notice a few damaged leaves and maybe even some “worms” on your tree. Read on for more information about how to get rid of insects on lemon trees.. Worms That Eat Lemon Trees.
From gardenerspath.com
How to Identify and Control Cutworms Gardener’s Path Worms That Eat Lemon Trees citrus pests can ruin your lemon crop and compromise the lemon tree’s overall health and vitality. Most likely you will notice these all summer long when the weather is hot and humid. They also have attractive foliage and come in a variety of. if you have citrus trees in your yard sooner or later you are going to. Worms That Eat Lemon Trees.
From www.houzz.com
How do I get rid of these worms in my lemon/orange trees? Worms That Eat Lemon Trees if you have citrus trees in your yard sooner or later you are going to notice a few damaged leaves and maybe even some “worms” on your tree. This is a tiny insect that will tunnel through the leaves of a lemon tree and the only evidence you’ll see. Read on for more information about how to get rid. Worms That Eat Lemon Trees.
From morningchores.com
11 Citrus Tree Pests and Diseases That Can Destroy Your Grove Worms That Eat Lemon Trees so, let’s dive into an overview of the most common pests and diseases that could potentially affect your lemon tree. citrus pests can ruin your lemon crop and compromise the lemon tree’s overall health and vitality. These include relatively harmless bugs, like aphids, and more serious pests, like citrus rust mite, one of the insects that affect lemons. Worms That Eat Lemon Trees.
From www.dreamstime.com
Green worm on lemon leaves stock photo. Image of worm 91063454 Worms That Eat Lemon Trees Most likely you will notice these all summer long when the weather is hot and humid. citrus pests can ruin your lemon crop and compromise the lemon tree’s overall health and vitality. so, let’s dive into an overview of the most common pests and diseases that could potentially affect your lemon tree. Many common garden pests might be. Worms That Eat Lemon Trees.
From www.agric.wa.gov.au
Citrus pests Agriculture and Food Worms That Eat Lemon Trees there are a number of lemon tree insect pests. there are several types of worms that commonly attack lemon trees, including citrus leafminer, citrus. This is a tiny insect that will tunnel through the leaves of a lemon tree and the only evidence you’ll see. These include relatively harmless bugs, like aphids, and more serious pests, like citrus. Worms That Eat Lemon Trees.
From www.houzz.com
How do I get rid of these worms in my lemon/orange trees? Worms That Eat Lemon Trees there are several types of worms that commonly attack lemon trees, including citrus leafminer, citrus. there are a number of lemon tree insect pests. Many common garden pests might be attracted to your lemon tree. Identifying the exact insects that are attacking. They also have attractive foliage and come in a variety of. Read on for more information. Worms That Eat Lemon Trees.
From www.pinterest.com
What Will Kill Worms on Lemon Trees? Garden Guides Lemon tree Worms That Eat Lemon Trees there are several types of worms that commonly attack lemon trees, including citrus leafminer, citrus. Many common garden pests might be attracted to your lemon tree. Most likely you will notice these all summer long when the weather is hot and humid. there are a number of lemon tree insect pests. if you have citrus trees in. Worms That Eat Lemon Trees.
From www.dreamstime.com
A Green Worm is Eating Lemon Leaves Stock Image Image of branch Worms That Eat Lemon Trees Identifying the exact insects that are attacking. This is a tiny insect that will tunnel through the leaves of a lemon tree and the only evidence you’ll see. if you have citrus trees in your yard sooner or later you are going to notice a few damaged leaves and maybe even some “worms” on your tree. citrus pests. Worms That Eat Lemon Trees.
From www.dreamstime.com
Citrus Swallowtail Caterpillar Eating a Lemon Tree Leaf. Stock Photo Worms That Eat Lemon Trees Most likely you will notice these all summer long when the weather is hot and humid. so, let’s dive into an overview of the most common pests and diseases that could potentially affect your lemon tree. Read on for more information about how to get rid of insects on lemon trees. if you have citrus trees in your. Worms That Eat Lemon Trees.
From www.flickr.com
Giant Swallowtail caterpillar on lemon tree. I found a swa… Flickr Worms That Eat Lemon Trees Identifying the exact insects that are attacking. there are several types of worms that commonly attack lemon trees, including citrus leafminer, citrus. Many common garden pests might be attracted to your lemon tree. These include relatively harmless bugs, like aphids, and more serious pests, like citrus rust mite, one of the insects that affect lemons rather than foliage. . Worms That Eat Lemon Trees.
From www.reddit.com
Worms/grubs in soil of lemon tree? Most of these are dead but some are Worms That Eat Lemon Trees there are several types of worms that commonly attack lemon trees, including citrus leafminer, citrus. Read on for more information about how to get rid of insects on lemon trees. This is a tiny insect that will tunnel through the leaves of a lemon tree and the only evidence you’ll see. there are a number of lemon tree. Worms That Eat Lemon Trees.
From blog.wfsu.org
Giant swallowtail caterpillar eats a Meyer lemon leaf. The WFSU Worms That Eat Lemon Trees Many common garden pests might be attracted to your lemon tree. there are a number of lemon tree insect pests. Read on for more information about how to get rid of insects on lemon trees. there are several types of worms that commonly attack lemon trees, including citrus leafminer, citrus. Identifying the exact insects that are attacking. These. Worms That Eat Lemon Trees.
From www.houzz.com
Springtails? Worms? need help with my Meyer Lemon Tree Worms That Eat Lemon Trees They also have attractive foliage and come in a variety of. Identifying the exact insects that are attacking. Many common garden pests might be attracted to your lemon tree. Read on for more information about how to get rid of insects on lemon trees. This is a tiny insect that will tunnel through the leaves of a lemon tree and. Worms That Eat Lemon Trees.
From bugwiz.com
Get Rid of Meyer Lemon Tree Pests (What's Eating My Leaves?) BugWiz Worms That Eat Lemon Trees Many common garden pests might be attracted to your lemon tree. This is a tiny insect that will tunnel through the leaves of a lemon tree and the only evidence you’ll see. Identifying the exact insects that are attacking. Read on for more information about how to get rid of insects on lemon trees. there are a number of. Worms That Eat Lemon Trees.
From www.pinterest.com
LemonCitrusTree Citrus Pest & Disease Meyer lemon tree, Pests Worms That Eat Lemon Trees Most likely you will notice these all summer long when the weather is hot and humid. These include relatively harmless bugs, like aphids, and more serious pests, like citrus rust mite, one of the insects that affect lemons rather than foliage. citrus pests can ruin your lemon crop and compromise the lemon tree’s overall health and vitality. there. Worms That Eat Lemon Trees.
From www.youtube.com
Control Citrus Worms in Lemon Plant by using Organophosphorus Worms That Eat Lemon Trees These include relatively harmless bugs, like aphids, and more serious pests, like citrus rust mite, one of the insects that affect lemons rather than foliage. Identifying the exact insects that are attacking. there are several types of worms that commonly attack lemon trees, including citrus leafminer, citrus. This is a tiny insect that will tunnel through the leaves of. Worms That Eat Lemon Trees.
From growingfruit.org
Lemon tree disease How to treat? (pictures inside) General Fruit Worms That Eat Lemon Trees there are a number of lemon tree insect pests. They also have attractive foliage and come in a variety of. Many common garden pests might be attracted to your lemon tree. Identifying the exact insects that are attacking. This is a tiny insect that will tunnel through the leaves of a lemon tree and the only evidence you’ll see.. Worms That Eat Lemon Trees.
From www.youtube.com
BE CAREFUL DRINKING LEMONADE, WORMS iNSIDE LEMONS!!!!( original ) YouTube Worms That Eat Lemon Trees so, let’s dive into an overview of the most common pests and diseases that could potentially affect your lemon tree. Many common garden pests might be attracted to your lemon tree. Read on for more information about how to get rid of insects on lemon trees. there are a number of lemon tree insect pests. Identifying the exact. Worms That Eat Lemon Trees.
From www.walterreeves.com
Small Worms Near Meyer Lemons Walter Reeves The Gardener Worms That Eat Lemon Trees Read on for more information about how to get rid of insects on lemon trees. there are several types of worms that commonly attack lemon trees, including citrus leafminer, citrus. so, let’s dive into an overview of the most common pests and diseases that could potentially affect your lemon tree. if you have citrus trees in your. Worms That Eat Lemon Trees.
From paul-wagaman.blogspot.com
14+ Lemon Tree Diseases And Pests Pictures Pics Paul B. Wagaman Worms That Eat Lemon Trees Most likely you will notice these all summer long when the weather is hot and humid. Read on for more information about how to get rid of insects on lemon trees. Many common garden pests might be attracted to your lemon tree. there are several types of worms that commonly attack lemon trees, including citrus leafminer, citrus. there. Worms That Eat Lemon Trees.
From www.reddit.com
What is this caterpillar that looks like bird poop? Southern California Worms That Eat Lemon Trees Identifying the exact insects that are attacking. Many common garden pests might be attracted to your lemon tree. Read on for more information about how to get rid of insects on lemon trees. there are several types of worms that commonly attack lemon trees, including citrus leafminer, citrus. They also have attractive foliage and come in a variety of.. Worms That Eat Lemon Trees.
From www.bigstockphoto.com
Black Worm On Leaves Lemon Tree Image & Photo Bigstock Worms That Eat Lemon Trees These include relatively harmless bugs, like aphids, and more serious pests, like citrus rust mite, one of the insects that affect lemons rather than foliage. Many common garden pests might be attracted to your lemon tree. if you have citrus trees in your yard sooner or later you are going to notice a few damaged leaves and maybe even. Worms That Eat Lemon Trees.
From forum.gardenersworld.com
Pest or disease on lemon tree — BBC Gardeners' World Magazine Worms That Eat Lemon Trees Read on for more information about how to get rid of insects on lemon trees. citrus pests can ruin your lemon crop and compromise the lemon tree’s overall health and vitality. Identifying the exact insects that are attacking. there are a number of lemon tree insect pests. These include relatively harmless bugs, like aphids, and more serious pests,. Worms That Eat Lemon Trees.
From www.youtube.com
The Caterpillar That Eats Up All Our Curry Leaves And Citrus Leaves Worms That Eat Lemon Trees citrus pests can ruin your lemon crop and compromise the lemon tree’s overall health and vitality. These include relatively harmless bugs, like aphids, and more serious pests, like citrus rust mite, one of the insects that affect lemons rather than foliage. Identifying the exact insects that are attacking. if you have citrus trees in your yard sooner or. Worms That Eat Lemon Trees.
From plantophiles.com
What Is Eating My Lemon Tree Leaves? 5 Enemies Revealed Worms That Eat Lemon Trees Read on for more information about how to get rid of insects on lemon trees. Many common garden pests might be attracted to your lemon tree. so, let’s dive into an overview of the most common pests and diseases that could potentially affect your lemon tree. This is a tiny insect that will tunnel through the leaves of a. Worms That Eat Lemon Trees.
From foodgardening.mequoda.com
Dealing with Lemon Pests Food Gardening Network Worms That Eat Lemon Trees They also have attractive foliage and come in a variety of. there are a number of lemon tree insect pests. These include relatively harmless bugs, like aphids, and more serious pests, like citrus rust mite, one of the insects that affect lemons rather than foliage. there are several types of worms that commonly attack lemon trees, including citrus. Worms That Eat Lemon Trees.