Building Plots For Sale Littleport . An excellent opportunity to purchase a single building plot with detailed planning. An excellent opportunity to purchase a single building plot with detailed planning consent for a contemporary 4. Detailed planning consent for a 3 bedroom detached house. 3 bedroom property with land for sale plot at ely road, prickwillow. an excellent opportunity to purchase a single building plot with detailed planning consent for a contemporary 4 bedroom house of. building plot camel road, littleport, ely. Find the latest properties available for sale in littleport. an excellent opportunity to purchase a single building plot with detailed planning consent for a contemporary 4 bedroom house of. land for sale in self build plot 5, harvest way, littleport cb6, selling for £110,000 from bovingdons.
from www.zoopla.co.uk
3 bedroom property with land for sale plot at ely road, prickwillow. An excellent opportunity to purchase a single building plot with detailed planning consent for a contemporary 4. building plot camel road, littleport, ely. an excellent opportunity to purchase a single building plot with detailed planning consent for a contemporary 4 bedroom house of. Find the latest properties available for sale in littleport. An excellent opportunity to purchase a single building plot with detailed planning. land for sale in self build plot 5, harvest way, littleport cb6, selling for £110,000 from bovingdons. an excellent opportunity to purchase a single building plot with detailed planning consent for a contemporary 4 bedroom house of. Detailed planning consent for a 3 bedroom detached house.
2 bed detached bungalow for sale in Wisbech Road, Littleport, Ely CB6 Zoopla
Building Plots For Sale Littleport Detailed planning consent for a 3 bedroom detached house. an excellent opportunity to purchase a single building plot with detailed planning consent for a contemporary 4 bedroom house of. building plot camel road, littleport, ely. Find the latest properties available for sale in littleport. an excellent opportunity to purchase a single building plot with detailed planning consent for a contemporary 4 bedroom house of. land for sale in self build plot 5, harvest way, littleport cb6, selling for £110,000 from bovingdons. Detailed planning consent for a 3 bedroom detached house. An excellent opportunity to purchase a single building plot with detailed planning. 3 bedroom property with land for sale plot at ely road, prickwillow. An excellent opportunity to purchase a single building plot with detailed planning consent for a contemporary 4.
From saddlebrookpark.co.uk
Building Plots for Sale Saddlebrook Park Leysdown Kent Building Plots For Sale Littleport An excellent opportunity to purchase a single building plot with detailed planning. An excellent opportunity to purchase a single building plot with detailed planning consent for a contemporary 4. Detailed planning consent for a 3 bedroom detached house. an excellent opportunity to purchase a single building plot with detailed planning consent for a contemporary 4 bedroom house of. Find. Building Plots For Sale Littleport.
From www.david-hill.co.uk
Building Plot for Sale Building Plot, Hodge Lane, Barnoldswick, BB18 5HF David Hill Building Plots For Sale Littleport an excellent opportunity to purchase a single building plot with detailed planning consent for a contemporary 4 bedroom house of. 3 bedroom property with land for sale plot at ely road, prickwillow. building plot camel road, littleport, ely. Detailed planning consent for a 3 bedroom detached house. an excellent opportunity to purchase a single building plot. Building Plots For Sale Littleport.
From www.bovishomes.co.uk
Quantum Fields New Homes in Littleport for Sale, New Build Houses near Ely Bovis Homes Building Plots For Sale Littleport land for sale in self build plot 5, harvest way, littleport cb6, selling for £110,000 from bovingdons. an excellent opportunity to purchase a single building plot with detailed planning consent for a contemporary 4 bedroom house of. an excellent opportunity to purchase a single building plot with detailed planning consent for a contemporary 4 bedroom house of.. Building Plots For Sale Littleport.
From www.clarkhomes.co.uk
2 Bedroom House SemiDetached for sale in Littleport David Clark Building Plots For Sale Littleport land for sale in self build plot 5, harvest way, littleport cb6, selling for £110,000 from bovingdons. an excellent opportunity to purchase a single building plot with detailed planning consent for a contemporary 4 bedroom house of. An excellent opportunity to purchase a single building plot with detailed planning. building plot camel road, littleport, ely. 3. Building Plots For Sale Littleport.
From www.onthemarket.com
Plot 10, The Sherwood at Harley Heights, Harvest Way, Littleport CB6 3 bed detached house for Building Plots For Sale Littleport land for sale in self build plot 5, harvest way, littleport cb6, selling for £110,000 from bovingdons. 3 bedroom property with land for sale plot at ely road, prickwillow. An excellent opportunity to purchase a single building plot with detailed planning consent for a contemporary 4. an excellent opportunity to purchase a single building plot with detailed. Building Plots For Sale Littleport.
From www.ftplan.co.uk
Development plots and new build homes in Lincolnshire From FytcheTaylor Planning Lincoln Building Plots For Sale Littleport An excellent opportunity to purchase a single building plot with detailed planning. Find the latest properties available for sale in littleport. land for sale in self build plot 5, harvest way, littleport cb6, selling for £110,000 from bovingdons. Detailed planning consent for a 3 bedroom detached house. building plot camel road, littleport, ely. an excellent opportunity to. Building Plots For Sale Littleport.
From 24housing.co.uk
Why finding a building plot for sale is difficult (+6 plots for sale) 24Housing Building Plots For Sale Littleport Detailed planning consent for a 3 bedroom detached house. An excellent opportunity to purchase a single building plot with detailed planning consent for a contemporary 4. 3 bedroom property with land for sale plot at ely road, prickwillow. an excellent opportunity to purchase a single building plot with detailed planning consent for a contemporary 4 bedroom house of.. Building Plots For Sale Littleport.
From exoqqcuxo.blob.core.windows.net
Building Plots For Sale Lanarkshire at John Burchfield blog Building Plots For Sale Littleport An excellent opportunity to purchase a single building plot with detailed planning consent for a contemporary 4. Detailed planning consent for a 3 bedroom detached house. an excellent opportunity to purchase a single building plot with detailed planning consent for a contemporary 4 bedroom house of. Find the latest properties available for sale in littleport. building plot camel. Building Plots For Sale Littleport.
From www.persimmonhomes.com
The Sherwood, 3 bedroom detached homes for sale in Ely, Cambridgeshire by Persimmon Homes Building Plots For Sale Littleport An excellent opportunity to purchase a single building plot with detailed planning consent for a contemporary 4. building plot camel road, littleport, ely. an excellent opportunity to purchase a single building plot with detailed planning consent for a contemporary 4 bedroom house of. Detailed planning consent for a 3 bedroom detached house. Find the latest properties available for. Building Plots For Sale Littleport.
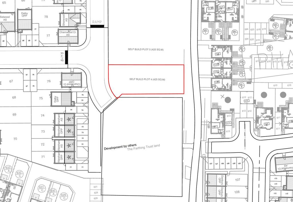
From www.onthemarket.com
Self Build Plot 4, Littleport Plot £100,000 Building Plots For Sale Littleport Detailed planning consent for a 3 bedroom detached house. building plot camel road, littleport, ely. An excellent opportunity to purchase a single building plot with detailed planning consent for a contemporary 4. land for sale in self build plot 5, harvest way, littleport cb6, selling for £110,000 from bovingdons. An excellent opportunity to purchase a single building plot. Building Plots For Sale Littleport.
From search.savills.com
Building plots for sale in UK Savills Building Plots For Sale Littleport An excellent opportunity to purchase a single building plot with detailed planning consent for a contemporary 4. an excellent opportunity to purchase a single building plot with detailed planning consent for a contemporary 4 bedroom house of. Find the latest properties available for sale in littleport. an excellent opportunity to purchase a single building plot with detailed planning. Building Plots For Sale Littleport.
From www.bovishomes.co.uk
Home 113 The Maple Bovis Homes Quantum Fields New Homes For Sale in Littleport Bovis Homes Building Plots For Sale Littleport Detailed planning consent for a 3 bedroom detached house. an excellent opportunity to purchase a single building plot with detailed planning consent for a contemporary 4 bedroom house of. 3 bedroom property with land for sale plot at ely road, prickwillow. An excellent opportunity to purchase a single building plot with detailed planning consent for a contemporary 4.. Building Plots For Sale Littleport.
From saddlebrookpark.co.uk
Building Plots for Sale Saddlebrook Park Leysdown Kent Building Plots For Sale Littleport an excellent opportunity to purchase a single building plot with detailed planning consent for a contemporary 4 bedroom house of. Find the latest properties available for sale in littleport. An excellent opportunity to purchase a single building plot with detailed planning consent for a contemporary 4. 3 bedroom property with land for sale plot at ely road, prickwillow.. Building Plots For Sale Littleport.
From www.lindenhomes.co.uk
Quantum Fields New Build Homes & Houses For Sale in Littleport near Ely Linden Homes Building Plots For Sale Littleport Find the latest properties available for sale in littleport. building plot camel road, littleport, ely. land for sale in self build plot 5, harvest way, littleport cb6, selling for £110,000 from bovingdons. 3 bedroom property with land for sale plot at ely road, prickwillow. an excellent opportunity to purchase a single building plot with detailed planning. Building Plots For Sale Littleport.
From www.onthemarket.com
Granary Lane, Littleport CB6 Plot for sale £140,000 Building Plots For Sale Littleport An excellent opportunity to purchase a single building plot with detailed planning. An excellent opportunity to purchase a single building plot with detailed planning consent for a contemporary 4. land for sale in self build plot 5, harvest way, littleport cb6, selling for £110,000 from bovingdons. an excellent opportunity to purchase a single building plot with detailed planning. Building Plots For Sale Littleport.
From search.savills.com
Savills Building plots for sale in UK Building Plots For Sale Littleport land for sale in self build plot 5, harvest way, littleport cb6, selling for £110,000 from bovingdons. Detailed planning consent for a 3 bedroom detached house. 3 bedroom property with land for sale plot at ely road, prickwillow. An excellent opportunity to purchase a single building plot with detailed planning. an excellent opportunity to purchase a single. Building Plots For Sale Littleport.
From www.onthemarket.com
Littleport, Ely 4 bed townhouse for sale £325,000 Building Plots For Sale Littleport An excellent opportunity to purchase a single building plot with detailed planning. land for sale in self build plot 5, harvest way, littleport cb6, selling for £110,000 from bovingdons. Detailed planning consent for a 3 bedroom detached house. 3 bedroom property with land for sale plot at ely road, prickwillow. An excellent opportunity to purchase a single building. Building Plots For Sale Littleport.
From www.onthemarket.com
Self Build Plot 5, Harvest Way, Littleport Plot £100,000 Building Plots For Sale Littleport an excellent opportunity to purchase a single building plot with detailed planning consent for a contemporary 4 bedroom house of. an excellent opportunity to purchase a single building plot with detailed planning consent for a contemporary 4 bedroom house of. Detailed planning consent for a 3 bedroom detached house. building plot camel road, littleport, ely. land. Building Plots For Sale Littleport.
From www.zoopla.co.uk
3 bed detached house for sale in Cornfield Lane, Littleport, Ely CB6 Zoopla Building Plots For Sale Littleport An excellent opportunity to purchase a single building plot with detailed planning. land for sale in self build plot 5, harvest way, littleport cb6, selling for £110,000 from bovingdons. Detailed planning consent for a 3 bedroom detached house. 3 bedroom property with land for sale plot at ely road, prickwillow. an excellent opportunity to purchase a single. Building Plots For Sale Littleport.
From www.onthemarket.com
Granary Lane, Littleport CB6 Plot for sale £140,000 Building Plots For Sale Littleport An excellent opportunity to purchase a single building plot with detailed planning consent for a contemporary 4. building plot camel road, littleport, ely. Detailed planning consent for a 3 bedroom detached house. an excellent opportunity to purchase a single building plot with detailed planning consent for a contemporary 4 bedroom house of. Find the latest properties available for. Building Plots For Sale Littleport.
From www.zoopla.co.uk
2 bed detached bungalow for sale in Wisbech Road, Littleport, Ely CB6 Zoopla Building Plots For Sale Littleport building plot camel road, littleport, ely. land for sale in self build plot 5, harvest way, littleport cb6, selling for £110,000 from bovingdons. An excellent opportunity to purchase a single building plot with detailed planning. Find the latest properties available for sale in littleport. 3 bedroom property with land for sale plot at ely road, prickwillow. Detailed. Building Plots For Sale Littleport.
From www.lindenhomes.co.uk
Quantum Fields New Build Homes & Houses For Sale in Littleport near Ely Linden Homes Building Plots For Sale Littleport land for sale in self build plot 5, harvest way, littleport cb6, selling for £110,000 from bovingdons. An excellent opportunity to purchase a single building plot with detailed planning. Detailed planning consent for a 3 bedroom detached house. building plot camel road, littleport, ely. an excellent opportunity to purchase a single building plot with detailed planning consent. Building Plots For Sale Littleport.
From www.bovishomes.co.uk
Quantum Fields New Homes in Littleport for Sale, New Build Houses near Ely Bovis Homes Building Plots For Sale Littleport An excellent opportunity to purchase a single building plot with detailed planning consent for a contemporary 4. an excellent opportunity to purchase a single building plot with detailed planning consent for a contemporary 4 bedroom house of. An excellent opportunity to purchase a single building plot with detailed planning. 3 bedroom property with land for sale plot at. Building Plots For Sale Littleport.
From www.onthemarket.com
Self Build Plot 1, Littleport Plot £110,000 Building Plots For Sale Littleport building plot camel road, littleport, ely. land for sale in self build plot 5, harvest way, littleport cb6, selling for £110,000 from bovingdons. Detailed planning consent for a 3 bedroom detached house. An excellent opportunity to purchase a single building plot with detailed planning consent for a contemporary 4. Find the latest properties available for sale in littleport.. Building Plots For Sale Littleport.
From premiumplots.co.uk
Barn Conversion for sale in Hale Fen, Littleport Building Plots For Sale Littleport 3 bedroom property with land for sale plot at ely road, prickwillow. land for sale in self build plot 5, harvest way, littleport cb6, selling for £110,000 from bovingdons. Detailed planning consent for a 3 bedroom detached house. Find the latest properties available for sale in littleport. building plot camel road, littleport, ely. An excellent opportunity to. Building Plots For Sale Littleport.
From www.onthemarket.com
Camel Road, Littleport CB6 Plot for sale £195,000 Building Plots For Sale Littleport an excellent opportunity to purchase a single building plot with detailed planning consent for a contemporary 4 bedroom house of. building plot camel road, littleport, ely. land for sale in self build plot 5, harvest way, littleport cb6, selling for £110,000 from bovingdons. An excellent opportunity to purchase a single building plot with detailed planning consent for. Building Plots For Sale Littleport.
From www.onthemarket.com
Self Build Plot 4, Littleport Plot £100,000 Building Plots For Sale Littleport an excellent opportunity to purchase a single building plot with detailed planning consent for a contemporary 4 bedroom house of. An excellent opportunity to purchase a single building plot with detailed planning. building plot camel road, littleport, ely. 3 bedroom property with land for sale plot at ely road, prickwillow. an excellent opportunity to purchase a. Building Plots For Sale Littleport.
From www.onthemarket.com
Self Build Plot 1, Littleport Plot £110,000 Building Plots For Sale Littleport An excellent opportunity to purchase a single building plot with detailed planning. 3 bedroom property with land for sale plot at ely road, prickwillow. Detailed planning consent for a 3 bedroom detached house. Find the latest properties available for sale in littleport. land for sale in self build plot 5, harvest way, littleport cb6, selling for £110,000 from. Building Plots For Sale Littleport.
From www.bovishomes.co.uk
Quantum Fields New Homes in Littleport for Sale, New Build Houses near Ely Bovis Homes Building Plots For Sale Littleport land for sale in self build plot 5, harvest way, littleport cb6, selling for £110,000 from bovingdons. 3 bedroom property with land for sale plot at ely road, prickwillow. building plot camel road, littleport, ely. An excellent opportunity to purchase a single building plot with detailed planning. An excellent opportunity to purchase a single building plot with. Building Plots For Sale Littleport.
From www.lindenhomes.co.uk
Quantum Fields New Build Homes & Houses For Sale in Littleport near Ely Linden Homes Building Plots For Sale Littleport an excellent opportunity to purchase a single building plot with detailed planning consent for a contemporary 4 bedroom house of. Find the latest properties available for sale in littleport. land for sale in self build plot 5, harvest way, littleport cb6, selling for £110,000 from bovingdons. building plot camel road, littleport, ely. An excellent opportunity to purchase. Building Plots For Sale Littleport.
From dxokmctsy.blob.core.windows.net
Building Plots For Sale In North Cornwall at Harold Smathers blog Building Plots For Sale Littleport Find the latest properties available for sale in littleport. An excellent opportunity to purchase a single building plot with detailed planning. Detailed planning consent for a 3 bedroom detached house. an excellent opportunity to purchase a single building plot with detailed planning consent for a contemporary 4 bedroom house of. building plot camel road, littleport, ely. An excellent. Building Plots For Sale Littleport.
From www.bovishomes.co.uk
Quantum Fields New Homes in Littleport for Sale, New Build Houses near Ely Bovis Homes Building Plots For Sale Littleport land for sale in self build plot 5, harvest way, littleport cb6, selling for £110,000 from bovingdons. Find the latest properties available for sale in littleport. Detailed planning consent for a 3 bedroom detached house. An excellent opportunity to purchase a single building plot with detailed planning. an excellent opportunity to purchase a single building plot with detailed. Building Plots For Sale Littleport.
From www.lindenhomes.co.uk
Quantum Fields New Build Homes & Houses For Sale in Littleport near Ely Linden Homes Building Plots For Sale Littleport an excellent opportunity to purchase a single building plot with detailed planning consent for a contemporary 4 bedroom house of. building plot camel road, littleport, ely. 3 bedroom property with land for sale plot at ely road, prickwillow. an excellent opportunity to purchase a single building plot with detailed planning consent for a contemporary 4 bedroom. Building Plots For Sale Littleport.
From www.onthemarket.com
Globe Lane, Littleport 2 bed terraced house for sale £220,000 Building Plots For Sale Littleport an excellent opportunity to purchase a single building plot with detailed planning consent for a contemporary 4 bedroom house of. An excellent opportunity to purchase a single building plot with detailed planning consent for a contemporary 4. building plot camel road, littleport, ely. 3 bedroom property with land for sale plot at ely road, prickwillow. An excellent. Building Plots For Sale Littleport.
From www.bovishomes.co.uk
Quantum Fields New Homes in Littleport for Sale, New Build Houses near Ely Bovis Homes Building Plots For Sale Littleport 3 bedroom property with land for sale plot at ely road, prickwillow. An excellent opportunity to purchase a single building plot with detailed planning. An excellent opportunity to purchase a single building plot with detailed planning consent for a contemporary 4. Detailed planning consent for a 3 bedroom detached house. land for sale in self build plot 5,. Building Plots For Sale Littleport.