Pittsboro Zoning . Polygon features delineating zoning classifications for the town of pittsboro including the pittsboro etj. Zoning permits, subdivision plats, rezonings, among others. Chatham county regulates land uses in the zoned areas of the county located outside the planning jurisdictions of pittsboro, siler city, goldston. Town of pittsboro, north carolina code of ordinances. The planner reviews site plans, subdivision plans, signage applications and oversees enforcement of the zoning ordinance of the town of pittsboro. Pittsboro, nc code of ordinances. This portal will allow applicants to submit for all development types including: Local legislation adopted through ord. Polygon features delineating zoning classifications for the town of pittsboro including the pittsboro etj. Town of pittsboro standard specifications & details.
from www.bizjournals.com
Pittsboro, nc code of ordinances. Town of pittsboro standard specifications & details. The planner reviews site plans, subdivision plans, signage applications and oversees enforcement of the zoning ordinance of the town of pittsboro. Local legislation adopted through ord. Polygon features delineating zoning classifications for the town of pittsboro including the pittsboro etj. Town of pittsboro, north carolina code of ordinances. Zoning permits, subdivision plats, rezonings, among others. Chatham county regulates land uses in the zoned areas of the county located outside the planning jurisdictions of pittsboro, siler city, goldston. Polygon features delineating zoning classifications for the town of pittsboro including the pittsboro etj. This portal will allow applicants to submit for all development types including:
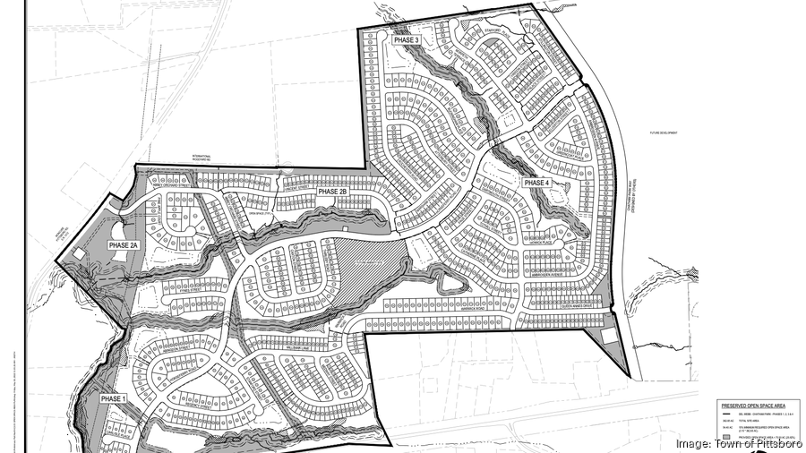
New development with 1,500+ homes slated for Chatham County NC
Pittsboro Zoning Pittsboro, nc code of ordinances. The planner reviews site plans, subdivision plans, signage applications and oversees enforcement of the zoning ordinance of the town of pittsboro. Pittsboro, nc code of ordinances. Town of pittsboro standard specifications & details. Polygon features delineating zoning classifications for the town of pittsboro including the pittsboro etj. Local legislation adopted through ord. Town of pittsboro, north carolina code of ordinances. This portal will allow applicants to submit for all development types including: Polygon features delineating zoning classifications for the town of pittsboro including the pittsboro etj. Chatham county regulates land uses in the zoned areas of the county located outside the planning jurisdictions of pittsboro, siler city, goldston. Zoning permits, subdivision plats, rezonings, among others.
From www.bizjournals.com
Carybased Preston Development plans massive development near Chatham Pittsboro Zoning The planner reviews site plans, subdivision plans, signage applications and oversees enforcement of the zoning ordinance of the town of pittsboro. Polygon features delineating zoning classifications for the town of pittsboro including the pittsboro etj. Town of pittsboro standard specifications & details. Zoning permits, subdivision plats, rezonings, among others. Local legislation adopted through ord. This portal will allow applicants to. Pittsboro Zoning.
From hawriver.org
Chatham Park Haw River Assembly Pittsboro Zoning Pittsboro, nc code of ordinances. Chatham county regulates land uses in the zoned areas of the county located outside the planning jurisdictions of pittsboro, siler city, goldston. Polygon features delineating zoning classifications for the town of pittsboro including the pittsboro etj. This portal will allow applicants to submit for all development types including: Local legislation adopted through ord. Zoning permits,. Pittsboro Zoning.
From www.heraldsun.com
Pittsboro board weighs Chatham Park affordable housing plan Durham Pittsboro Zoning The planner reviews site plans, subdivision plans, signage applications and oversees enforcement of the zoning ordinance of the town of pittsboro. Zoning permits, subdivision plats, rezonings, among others. Town of pittsboro, north carolina code of ordinances. Local legislation adopted through ord. Polygon features delineating zoning classifications for the town of pittsboro including the pittsboro etj. Town of pittsboro standard specifications. Pittsboro Zoning.
From www.bizjournals.com
Carybased Preston Development plans massive development near Chatham Pittsboro Zoning The planner reviews site plans, subdivision plans, signage applications and oversees enforcement of the zoning ordinance of the town of pittsboro. Town of pittsboro standard specifications & details. Chatham county regulates land uses in the zoned areas of the county located outside the planning jurisdictions of pittsboro, siler city, goldston. Zoning permits, subdivision plats, rezonings, among others. Pittsboro, nc code. Pittsboro Zoning.
From www.bizjournals.com
New development with 1,500+ homes slated for Chatham County NC Pittsboro Zoning Zoning permits, subdivision plats, rezonings, among others. This portal will allow applicants to submit for all development types including: Town of pittsboro standard specifications & details. Chatham county regulates land uses in the zoned areas of the county located outside the planning jurisdictions of pittsboro, siler city, goldston. Pittsboro, nc code of ordinances. Town of pittsboro, north carolina code of. Pittsboro Zoning.
From www.wunc.org
Pittsboro Approves Chatham Park Expansion WUNC Pittsboro Zoning Chatham county regulates land uses in the zoned areas of the county located outside the planning jurisdictions of pittsboro, siler city, goldston. Local legislation adopted through ord. The planner reviews site plans, subdivision plans, signage applications and oversees enforcement of the zoning ordinance of the town of pittsboro. Town of pittsboro standard specifications & details. Polygon features delineating zoning classifications. Pittsboro Zoning.
From www.bizjournals.com
Pittsboro development SoCo adds brewery, Irish pub as town booms Pittsboro Zoning Town of pittsboro standard specifications & details. Town of pittsboro, north carolina code of ordinances. Local legislation adopted through ord. Polygon features delineating zoning classifications for the town of pittsboro including the pittsboro etj. Pittsboro, nc code of ordinances. Polygon features delineating zoning classifications for the town of pittsboro including the pittsboro etj. Chatham county regulates land uses in the. Pittsboro Zoning.
From www.obrienatkins.com
Chatham Park Research & Development District Plan O'Brien Atkins Pittsboro Zoning Town of pittsboro, north carolina code of ordinances. Chatham county regulates land uses in the zoned areas of the county located outside the planning jurisdictions of pittsboro, siler city, goldston. Local legislation adopted through ord. This portal will allow applicants to submit for all development types including: Zoning permits, subdivision plats, rezonings, among others. Polygon features delineating zoning classifications for. Pittsboro Zoning.
From abc11.com
Controversial Pittsboro development to undergo new review ABC11 Pittsboro Zoning The planner reviews site plans, subdivision plans, signage applications and oversees enforcement of the zoning ordinance of the town of pittsboro. This portal will allow applicants to submit for all development types including: Local legislation adopted through ord. Pittsboro, nc code of ordinances. Polygon features delineating zoning classifications for the town of pittsboro including the pittsboro etj. Zoning permits, subdivision. Pittsboro Zoning.
From katharinaoadena.pages.dev
District 6 Map Dorise Josephine Pittsboro Zoning Chatham county regulates land uses in the zoned areas of the county located outside the planning jurisdictions of pittsboro, siler city, goldston. Town of pittsboro standard specifications & details. Zoning permits, subdivision plats, rezonings, among others. This portal will allow applicants to submit for all development types including: Polygon features delineating zoning classifications for the town of pittsboro including the. Pittsboro Zoning.
From chathamjournal.com
Developer proposes rezoning 91 acres in Pittsboro along 15501 near Pittsboro Zoning This portal will allow applicants to submit for all development types including: The planner reviews site plans, subdivision plans, signage applications and oversees enforcement of the zoning ordinance of the town of pittsboro. Town of pittsboro, north carolina code of ordinances. Polygon features delineating zoning classifications for the town of pittsboro including the pittsboro etj. Pittsboro, nc code of ordinances.. Pittsboro Zoning.
From www.bizjournals.com
Developer takes 'first step' for 370acre mixeduse Chatham County Pittsboro Zoning Polygon features delineating zoning classifications for the town of pittsboro including the pittsboro etj. Local legislation adopted through ord. Polygon features delineating zoning classifications for the town of pittsboro including the pittsboro etj. Pittsboro, nc code of ordinances. Town of pittsboro standard specifications & details. The planner reviews site plans, subdivision plans, signage applications and oversees enforcement of the zoning. Pittsboro Zoning.
From abc11.com
Boomtown People in Pittsboro share mixed reviews on areas boom in Pittsboro Zoning Chatham county regulates land uses in the zoned areas of the county located outside the planning jurisdictions of pittsboro, siler city, goldston. The planner reviews site plans, subdivision plans, signage applications and oversees enforcement of the zoning ordinance of the town of pittsboro. This portal will allow applicants to submit for all development types including: Local legislation adopted through ord.. Pittsboro Zoning.
From www.pdffiller.com
Fillable Online TOWN OF PITTSBORO ZONING COMPLIANCE CERTIFICATE Fax Pittsboro Zoning Polygon features delineating zoning classifications for the town of pittsboro including the pittsboro etj. The planner reviews site plans, subdivision plans, signage applications and oversees enforcement of the zoning ordinance of the town of pittsboro. Local legislation adopted through ord. Polygon features delineating zoning classifications for the town of pittsboro including the pittsboro etj. Chatham county regulates land uses in. Pittsboro Zoning.
From www.chathamnewsrecord.com
Pittsboro approves affordable housing element for Chatham Park The Pittsboro Zoning The planner reviews site plans, subdivision plans, signage applications and oversees enforcement of the zoning ordinance of the town of pittsboro. This portal will allow applicants to submit for all development types including: Town of pittsboro, north carolina code of ordinances. Pittsboro, nc code of ordinances. Chatham county regulates land uses in the zoned areas of the county located outside. Pittsboro Zoning.
From www.pdffiller.com
Fillable Online Planning, Zoning & Development Documents Town of Pittsboro Zoning Polygon features delineating zoning classifications for the town of pittsboro including the pittsboro etj. The planner reviews site plans, subdivision plans, signage applications and oversees enforcement of the zoning ordinance of the town of pittsboro. Town of pittsboro, north carolina code of ordinances. Zoning permits, subdivision plats, rezonings, among others. Polygon features delineating zoning classifications for the town of pittsboro. Pittsboro Zoning.
From chapelboro.com
Pittsboro Approves Next Stage of Mosaic Development Pittsboro Zoning Chatham county regulates land uses in the zoned areas of the county located outside the planning jurisdictions of pittsboro, siler city, goldston. This portal will allow applicants to submit for all development types including: Polygon features delineating zoning classifications for the town of pittsboro including the pittsboro etj. Pittsboro, nc code of ordinances. Town of pittsboro, north carolina code of. Pittsboro Zoning.
From www.heraldsun.com
Pittsboro board weighs Chatham Park affordable housing plan Durham Pittsboro Zoning Town of pittsboro, north carolina code of ordinances. This portal will allow applicants to submit for all development types including: Polygon features delineating zoning classifications for the town of pittsboro including the pittsboro etj. Town of pittsboro standard specifications & details. Pittsboro, nc code of ordinances. Zoning permits, subdivision plats, rezonings, among others. Local legislation adopted through ord. Polygon features. Pittsboro Zoning.
From www.bizjournals.com
1,500home Pittsboro development gets green light Triangle Business Pittsboro Zoning Zoning permits, subdivision plats, rezonings, among others. Local legislation adopted through ord. Polygon features delineating zoning classifications for the town of pittsboro including the pittsboro etj. The planner reviews site plans, subdivision plans, signage applications and oversees enforcement of the zoning ordinance of the town of pittsboro. Town of pittsboro, north carolina code of ordinances. This portal will allow applicants. Pittsboro Zoning.
From www.bizjournals.com
Townsend Tract development could put 2,200 new homes in Pittsboro Pittsboro Zoning Polygon features delineating zoning classifications for the town of pittsboro including the pittsboro etj. Pittsboro, nc code of ordinances. The planner reviews site plans, subdivision plans, signage applications and oversees enforcement of the zoning ordinance of the town of pittsboro. Polygon features delineating zoning classifications for the town of pittsboro including the pittsboro etj. Town of pittsboro, north carolina code. Pittsboro Zoning.
From www.bizjournals.com
Timeline, renderings released for Chatham Park development (Photos Pittsboro Zoning Pittsboro, nc code of ordinances. Polygon features delineating zoning classifications for the town of pittsboro including the pittsboro etj. Town of pittsboro standard specifications & details. This portal will allow applicants to submit for all development types including: Town of pittsboro, north carolina code of ordinances. Chatham county regulates land uses in the zoned areas of the county located outside. Pittsboro Zoning.
From www.semanticscholar.org
Figure 1 from Comparing Cary’s Water Resourcing to the Future Pittsboro Zoning Polygon features delineating zoning classifications for the town of pittsboro including the pittsboro etj. Zoning permits, subdivision plats, rezonings, among others. Town of pittsboro, north carolina code of ordinances. The planner reviews site plans, subdivision plans, signage applications and oversees enforcement of the zoning ordinance of the town of pittsboro. Local legislation adopted through ord. Pittsboro, nc code of ordinances.. Pittsboro Zoning.
From www.chathamnewsrecord.com
and bars and taverns, oh my! Pittsboro board talks zoning Pittsboro Zoning Polygon features delineating zoning classifications for the town of pittsboro including the pittsboro etj. Town of pittsboro standard specifications & details. Polygon features delineating zoning classifications for the town of pittsboro including the pittsboro etj. This portal will allow applicants to submit for all development types including: Town of pittsboro, north carolina code of ordinances. Chatham county regulates land uses. Pittsboro Zoning.
From www.bizjournals.com
Pittsboro approves 800+ homes for first stage of massive development Pittsboro Zoning Polygon features delineating zoning classifications for the town of pittsboro including the pittsboro etj. The planner reviews site plans, subdivision plans, signage applications and oversees enforcement of the zoning ordinance of the town of pittsboro. Town of pittsboro standard specifications & details. Town of pittsboro, north carolina code of ordinances. Polygon features delineating zoning classifications for the town of pittsboro. Pittsboro Zoning.
From www.newsobserver.com
Boom times Pittsboro’s farmlands give way to suburban sprawl Raleigh Pittsboro Zoning Town of pittsboro standard specifications & details. Polygon features delineating zoning classifications for the town of pittsboro including the pittsboro etj. Local legislation adopted through ord. Pittsboro, nc code of ordinances. Chatham county regulates land uses in the zoned areas of the county located outside the planning jurisdictions of pittsboro, siler city, goldston. This portal will allow applicants to submit. Pittsboro Zoning.
From chapelboro.com
Mixed Use Development Raises Questions for Pittsboro Officials Pittsboro Zoning Town of pittsboro, north carolina code of ordinances. Town of pittsboro standard specifications & details. Chatham county regulates land uses in the zoned areas of the county located outside the planning jurisdictions of pittsboro, siler city, goldston. Pittsboro, nc code of ordinances. Zoning permits, subdivision plats, rezonings, among others. Polygon features delineating zoning classifications for the town of pittsboro including. Pittsboro Zoning.
From www.wunc.org
Pittsboro Approves Chatham Park Expansion WUNC Pittsboro Zoning Chatham county regulates land uses in the zoned areas of the county located outside the planning jurisdictions of pittsboro, siler city, goldston. Town of pittsboro, north carolina code of ordinances. Polygon features delineating zoning classifications for the town of pittsboro including the pittsboro etj. This portal will allow applicants to submit for all development types including: Zoning permits, subdivision plats,. Pittsboro Zoning.
From www.obrienatkins.com
A Vision for the Future Chatham Park O'Brien Atkins Associates, PA Pittsboro Zoning Polygon features delineating zoning classifications for the town of pittsboro including the pittsboro etj. Zoning permits, subdivision plats, rezonings, among others. Town of pittsboro standard specifications & details. Chatham county regulates land uses in the zoned areas of the county located outside the planning jurisdictions of pittsboro, siler city, goldston. This portal will allow applicants to submit for all development. Pittsboro Zoning.
From www.researchtriangle.org
NC grocer plots new store for major Pittsboro development Research Pittsboro Zoning Local legislation adopted through ord. This portal will allow applicants to submit for all development types including: Pittsboro, nc code of ordinances. Polygon features delineating zoning classifications for the town of pittsboro including the pittsboro etj. Town of pittsboro, north carolina code of ordinances. The planner reviews site plans, subdivision plans, signage applications and oversees enforcement of the zoning ordinance. Pittsboro Zoning.
From www.chathamcounts.com
Pittsboro Zoning Pittsboro, nc code of ordinances. Chatham county regulates land uses in the zoned areas of the county located outside the planning jurisdictions of pittsboro, siler city, goldston. This portal will allow applicants to submit for all development types including: Local legislation adopted through ord. Polygon features delineating zoning classifications for the town of pittsboro including the pittsboro etj. Polygon features. Pittsboro Zoning.
From chapelboro.com
844 Units Coming to Pittsboro in Preliminary Phase of Major Development Pittsboro Zoning This portal will allow applicants to submit for all development types including: Town of pittsboro standard specifications & details. The planner reviews site plans, subdivision plans, signage applications and oversees enforcement of the zoning ordinance of the town of pittsboro. Pittsboro, nc code of ordinances. Zoning permits, subdivision plats, rezonings, among others. Town of pittsboro, north carolina code of ordinances.. Pittsboro Zoning.
From chapelboro.com
Preston Development Looking To Expand Into Pittsboro Pittsboro Zoning The planner reviews site plans, subdivision plans, signage applications and oversees enforcement of the zoning ordinance of the town of pittsboro. Polygon features delineating zoning classifications for the town of pittsboro including the pittsboro etj. Polygon features delineating zoning classifications for the town of pittsboro including the pittsboro etj. This portal will allow applicants to submit for all development types. Pittsboro Zoning.
From www.heraldsun.com
Pittsboro adopts downtown protections. What's next? The Herald Sun Pittsboro Zoning Polygon features delineating zoning classifications for the town of pittsboro including the pittsboro etj. The planner reviews site plans, subdivision plans, signage applications and oversees enforcement of the zoning ordinance of the town of pittsboro. Chatham county regulates land uses in the zoned areas of the county located outside the planning jurisdictions of pittsboro, siler city, goldston. Pittsboro, nc code. Pittsboro Zoning.
From studylib.net
Town of Pittsboro, Indiana Unified Development Ordinance Pittsboro Zoning This portal will allow applicants to submit for all development types including: The planner reviews site plans, subdivision plans, signage applications and oversees enforcement of the zoning ordinance of the town of pittsboro. Polygon features delineating zoning classifications for the town of pittsboro including the pittsboro etj. Pittsboro, nc code of ordinances. Town of pittsboro, north carolina code of ordinances.. Pittsboro Zoning.
From www.wunc.org
Massive Pittsboro Development Project Still Has Some Hurdles To Jump WUNC Pittsboro Zoning This portal will allow applicants to submit for all development types including: The planner reviews site plans, subdivision plans, signage applications and oversees enforcement of the zoning ordinance of the town of pittsboro. Pittsboro, nc code of ordinances. Town of pittsboro, north carolina code of ordinances. Town of pittsboro standard specifications & details. Polygon features delineating zoning classifications for the. Pittsboro Zoning.