Galveston Weather Bug . Isolated showers anear the coast along with breezy winds. Galveston 7 day weather forecast including weather warnings, temperature, rain, wind, visibility, humidity and uv. Daylight saving time ends sunday 11/3. Check out our current live radar and weather forecasts for galveston, texas to help plan your. Want to know what the weather is now? Weatherbug has current and extended local and national weather forecasts, news, temperature, live radar, lightning, hurricane alerts and more. Galveston, tx weather forecast, with current conditions, wind, air quality, and what to expect for the next 3 days. 9 9 miles per hour.
from www.reddit.com
Want to know what the weather is now? Daylight saving time ends sunday 11/3. 9 9 miles per hour. Isolated showers anear the coast along with breezy winds. Galveston 7 day weather forecast including weather warnings, temperature, rain, wind, visibility, humidity and uv. Check out our current live radar and weather forecasts for galveston, texas to help plan your. Galveston, tx weather forecast, with current conditions, wind, air quality, and what to expect for the next 3 days. Weatherbug has current and extended local and national weather forecasts, news, temperature, live radar, lightning, hurricane alerts and more.
Storm rolling into Galveston this evening. r/houston
Galveston Weather Bug Weatherbug has current and extended local and national weather forecasts, news, temperature, live radar, lightning, hurricane alerts and more. Isolated showers anear the coast along with breezy winds. Galveston 7 day weather forecast including weather warnings, temperature, rain, wind, visibility, humidity and uv. Galveston, tx weather forecast, with current conditions, wind, air quality, and what to expect for the next 3 days. 9 9 miles per hour. Weatherbug has current and extended local and national weather forecasts, news, temperature, live radar, lightning, hurricane alerts and more. Daylight saving time ends sunday 11/3. Want to know what the weather is now? Check out our current live radar and weather forecasts for galveston, texas to help plan your.
From www.visitgalveston.com
Galveston, TX Weather Conditions Visit Galveston Galveston Weather Bug Daylight saving time ends sunday 11/3. Isolated showers anear the coast along with breezy winds. Check out our current live radar and weather forecasts for galveston, texas to help plan your. Galveston 7 day weather forecast including weather warnings, temperature, rain, wind, visibility, humidity and uv. Want to know what the weather is now? Galveston, tx weather forecast, with current. Galveston Weather Bug.
From montgomerycountypolicereporter.com
NWS Houston/Galveston Weather Update Hazardous Weather Outlook Galveston Weather Bug Galveston, tx weather forecast, with current conditions, wind, air quality, and what to expect for the next 3 days. Want to know what the weather is now? Check out our current live radar and weather forecasts for galveston, texas to help plan your. Galveston 7 day weather forecast including weather warnings, temperature, rain, wind, visibility, humidity and uv. Daylight saving. Galveston Weather Bug.
From www.houstonchronicle.com
Galveston fights tidal flooding but spared Beta’s heavier rains Galveston Weather Bug Want to know what the weather is now? Galveston, tx weather forecast, with current conditions, wind, air quality, and what to expect for the next 3 days. Daylight saving time ends sunday 11/3. Galveston 7 day weather forecast including weather warnings, temperature, rain, wind, visibility, humidity and uv. Check out our current live radar and weather forecasts for galveston, texas. Galveston Weather Bug.
From www.galvnews.com
Tornado Watch in effect as strong storms approach Galveston County Galveston Weather Bug Daylight saving time ends sunday 11/3. Isolated showers anear the coast along with breezy winds. Check out our current live radar and weather forecasts for galveston, texas to help plan your. 9 9 miles per hour. Want to know what the weather is now? Galveston, tx weather forecast, with current conditions, wind, air quality, and what to expect for the. Galveston Weather Bug.
From www.galvnews.com
Weather Watch Severe weather alerts continue in Galveston County Galveston Weather Bug Galveston 7 day weather forecast including weather warnings, temperature, rain, wind, visibility, humidity and uv. Weatherbug has current and extended local and national weather forecasts, news, temperature, live radar, lightning, hurricane alerts and more. Galveston, tx weather forecast, with current conditions, wind, air quality, and what to expect for the next 3 days. Daylight saving time ends sunday 11/3. Want. Galveston Weather Bug.
From www.youtube.com
1/29/23 Galveston Weather Forecast on NOAA Weather Radio YouTube Galveston Weather Bug Weatherbug has current and extended local and national weather forecasts, news, temperature, live radar, lightning, hurricane alerts and more. Daylight saving time ends sunday 11/3. Galveston 7 day weather forecast including weather warnings, temperature, rain, wind, visibility, humidity and uv. Want to know what the weather is now? 9 9 miles per hour. Galveston, tx weather forecast, with current conditions,. Galveston Weather Bug.
From www.expressnews.com
Galveston nears recordbreaking minimum temperature Galveston Weather Bug Weatherbug has current and extended local and national weather forecasts, news, temperature, live radar, lightning, hurricane alerts and more. Galveston, tx weather forecast, with current conditions, wind, air quality, and what to expect for the next 3 days. Isolated showers anear the coast along with breezy winds. Want to know what the weather is now? Check out our current live. Galveston Weather Bug.
From abc13.com
Today in weather history 1915 Galveston hurricane ABC13 Houston Galveston Weather Bug Weatherbug has current and extended local and national weather forecasts, news, temperature, live radar, lightning, hurricane alerts and more. Check out our current live radar and weather forecasts for galveston, texas to help plan your. Galveston, tx weather forecast, with current conditions, wind, air quality, and what to expect for the next 3 days. Galveston 7 day weather forecast including. Galveston Weather Bug.
From www.galvnews.com
Storm Surge Warning issued for Galveston area Weather Man Stan The Galveston Weather Bug Check out our current live radar and weather forecasts for galveston, texas to help plan your. Daylight saving time ends sunday 11/3. Isolated showers anear the coast along with breezy winds. Weatherbug has current and extended local and national weather forecasts, news, temperature, live radar, lightning, hurricane alerts and more. 9 9 miles per hour. Galveston 7 day weather forecast. Galveston Weather Bug.
From www.youtube.com
CW39 Galveston Weather Forecast for April 21 will be sunny with Galveston Weather Bug Isolated showers anear the coast along with breezy winds. Galveston 7 day weather forecast including weather warnings, temperature, rain, wind, visibility, humidity and uv. Want to know what the weather is now? Check out our current live radar and weather forecasts for galveston, texas to help plan your. Daylight saving time ends sunday 11/3. Galveston, tx weather forecast, with current. Galveston Weather Bug.
From fyosvxpkm.blob.core.windows.net
Galveston Weather In October at Napier blog Galveston Weather Bug Want to know what the weather is now? Isolated showers anear the coast along with breezy winds. Weatherbug has current and extended local and national weather forecasts, news, temperature, live radar, lightning, hurricane alerts and more. Galveston, tx weather forecast, with current conditions, wind, air quality, and what to expect for the next 3 days. Galveston 7 day weather forecast. Galveston Weather Bug.
From www.interactivehailmaps.com
Interactive Hail Maps Hail Map for Galveston, TX Galveston Weather Bug 9 9 miles per hour. Galveston 7 day weather forecast including weather warnings, temperature, rain, wind, visibility, humidity and uv. Want to know what the weather is now? Check out our current live radar and weather forecasts for galveston, texas to help plan your. Isolated showers anear the coast along with breezy winds. Galveston, tx weather forecast, with current conditions,. Galveston Weather Bug.
From www.reddit.com
Storm rolling into Galveston this evening. r/houston Galveston Weather Bug Want to know what the weather is now? Galveston, tx weather forecast, with current conditions, wind, air quality, and what to expect for the next 3 days. Daylight saving time ends sunday 11/3. 9 9 miles per hour. Weatherbug has current and extended local and national weather forecasts, news, temperature, live radar, lightning, hurricane alerts and more. Isolated showers anear. Galveston Weather Bug.
From www.sunheron.com
Galveston weather and climate Sunheron Galveston Weather Bug Want to know what the weather is now? 9 9 miles per hour. Galveston 7 day weather forecast including weather warnings, temperature, rain, wind, visibility, humidity and uv. Daylight saving time ends sunday 11/3. Isolated showers anear the coast along with breezy winds. Galveston, tx weather forecast, with current conditions, wind, air quality, and what to expect for the next. Galveston Weather Bug.
From emergency.rice.edu
April 13 Severe Weather Alert from NWS Houston Galveston Emergency Galveston Weather Bug Galveston, tx weather forecast, with current conditions, wind, air quality, and what to expect for the next 3 days. Daylight saving time ends sunday 11/3. Check out our current live radar and weather forecasts for galveston, texas to help plan your. Weatherbug has current and extended local and national weather forecasts, news, temperature, live radar, lightning, hurricane alerts and more.. Galveston Weather Bug.
From montgomerycountypolicereporter.com
NWS Houston Galveston Tropical Weather Outlook Tuesday_0822_Page_2 Galveston Weather Bug 9 9 miles per hour. Check out our current live radar and weather forecasts for galveston, texas to help plan your. Daylight saving time ends sunday 11/3. Want to know what the weather is now? Galveston 7 day weather forecast including weather warnings, temperature, rain, wind, visibility, humidity and uv. Isolated showers anear the coast along with breezy winds. Galveston,. Galveston Weather Bug.
From montgomerycountypolicereporter.com
NWS Houston/Galveston Heat, Fire and Tropical Weather Update Galveston Weather Bug Check out our current live radar and weather forecasts for galveston, texas to help plan your. Weatherbug has current and extended local and national weather forecasts, news, temperature, live radar, lightning, hurricane alerts and more. Daylight saving time ends sunday 11/3. Galveston 7 day weather forecast including weather warnings, temperature, rain, wind, visibility, humidity and uv. Want to know what. Galveston Weather Bug.
From www.chron.com
Waterspout comes ashore in Galveston Galveston Weather Bug Check out our current live radar and weather forecasts for galveston, texas to help plan your. Isolated showers anear the coast along with breezy winds. Daylight saving time ends sunday 11/3. 9 9 miles per hour. Galveston 7 day weather forecast including weather warnings, temperature, rain, wind, visibility, humidity and uv. Want to know what the weather is now? Weatherbug. Galveston Weather Bug.
From www.interactivehailmaps.com
Interactive Hail Maps Hail Map for Galveston, TX Galveston Weather Bug Want to know what the weather is now? Daylight saving time ends sunday 11/3. 9 9 miles per hour. Isolated showers anear the coast along with breezy winds. Galveston 7 day weather forecast including weather warnings, temperature, rain, wind, visibility, humidity and uv. Check out our current live radar and weather forecasts for galveston, texas to help plan your. Galveston,. Galveston Weather Bug.
From www.facebook.com
WeatherBug Here's a look at Galveston, Texas, where it's... Galveston Weather Bug Check out our current live radar and weather forecasts for galveston, texas to help plan your. Want to know what the weather is now? 9 9 miles per hour. Isolated showers anear the coast along with breezy winds. Galveston 7 day weather forecast including weather warnings, temperature, rain, wind, visibility, humidity and uv. Weatherbug has current and extended local and. Galveston Weather Bug.
From klagvzwpg.blob.core.windows.net
Galveston Tx Hourly Weather at Megan Canfield blog Galveston Weather Bug 9 9 miles per hour. Galveston, tx weather forecast, with current conditions, wind, air quality, and what to expect for the next 3 days. Daylight saving time ends sunday 11/3. Check out our current live radar and weather forecasts for galveston, texas to help plan your. Galveston 7 day weather forecast including weather warnings, temperature, rain, wind, visibility, humidity and. Galveston Weather Bug.
From www.interactivehailmaps.com
Interactive Hail Maps Hail Map for Galveston, TX Galveston Weather Bug Weatherbug has current and extended local and national weather forecasts, news, temperature, live radar, lightning, hurricane alerts and more. Galveston 7 day weather forecast including weather warnings, temperature, rain, wind, visibility, humidity and uv. 9 9 miles per hour. Daylight saving time ends sunday 11/3. Isolated showers anear the coast along with breezy winds. Want to know what the weather. Galveston Weather Bug.
From www.fox26houston.com
Galveston keeps breaking heat records FOX 26 Houston Galveston Weather Bug Galveston, tx weather forecast, with current conditions, wind, air quality, and what to expect for the next 3 days. Weatherbug has current and extended local and national weather forecasts, news, temperature, live radar, lightning, hurricane alerts and more. Daylight saving time ends sunday 11/3. Galveston 7 day weather forecast including weather warnings, temperature, rain, wind, visibility, humidity and uv. Check. Galveston Weather Bug.
From www.weatherbug.com
On This Day Great Galveston Hurricane of 1900 Occurs WeatherBug Galveston Weather Bug Galveston, tx weather forecast, with current conditions, wind, air quality, and what to expect for the next 3 days. Weatherbug has current and extended local and national weather forecasts, news, temperature, live radar, lightning, hurricane alerts and more. Check out our current live radar and weather forecasts for galveston, texas to help plan your. 9 9 miles per hour. Daylight. Galveston Weather Bug.
From www.youtube.com
Severe TStorms Over Galveston, TX. TimeLapse. May 27, 2020 YouTube Galveston Weather Bug Galveston, tx weather forecast, with current conditions, wind, air quality, and what to expect for the next 3 days. Galveston 7 day weather forecast including weather warnings, temperature, rain, wind, visibility, humidity and uv. Want to know what the weather is now? Weatherbug has current and extended local and national weather forecasts, news, temperature, live radar, lightning, hurricane alerts and. Galveston Weather Bug.
From glorianawjenda.pages.dev
Galveston Weather March 2024 Lita Sherri Galveston Weather Bug Check out our current live radar and weather forecasts for galveston, texas to help plan your. 9 9 miles per hour. Weatherbug has current and extended local and national weather forecasts, news, temperature, live radar, lightning, hurricane alerts and more. Galveston, tx weather forecast, with current conditions, wind, air quality, and what to expect for the next 3 days. Want. Galveston Weather Bug.
From abc13.com
Galveston County residents drying out after nearly 9 inches of rain Galveston Weather Bug 9 9 miles per hour. Isolated showers anear the coast along with breezy winds. Galveston, tx weather forecast, with current conditions, wind, air quality, and what to expect for the next 3 days. Galveston 7 day weather forecast including weather warnings, temperature, rain, wind, visibility, humidity and uv. Check out our current live radar and weather forecasts for galveston, texas. Galveston Weather Bug.
From www.weather.gov
NWS Houston/Galveston Hurricane and Severe Weather Guide 2023 Galveston Weather Bug Want to know what the weather is now? Isolated showers anear the coast along with breezy winds. Galveston, tx weather forecast, with current conditions, wind, air quality, and what to expect for the next 3 days. Daylight saving time ends sunday 11/3. 9 9 miles per hour. Weatherbug has current and extended local and national weather forecasts, news, temperature, live. Galveston Weather Bug.
From loetkqgyf.blob.core.windows.net
Galveston Weather Monthly at Thomas Seaton blog Galveston Weather Bug Check out our current live radar and weather forecasts for galveston, texas to help plan your. Weatherbug has current and extended local and national weather forecasts, news, temperature, live radar, lightning, hurricane alerts and more. Want to know what the weather is now? Galveston, tx weather forecast, with current conditions, wind, air quality, and what to expect for the next. Galveston Weather Bug.
From www.themeateater.com
12,000 Gone in Galveston America’s Deadliest Storm MeatEater Galveston Weather Bug Want to know what the weather is now? Isolated showers anear the coast along with breezy winds. Galveston 7 day weather forecast including weather warnings, temperature, rain, wind, visibility, humidity and uv. Check out our current live radar and weather forecasts for galveston, texas to help plan your. Daylight saving time ends sunday 11/3. Weatherbug has current and extended local. Galveston Weather Bug.
From heavy.com
Hurricane Harvey Galveston Latest Forecast for August 25 Galveston Weather Bug Isolated showers anear the coast along with breezy winds. Galveston 7 day weather forecast including weather warnings, temperature, rain, wind, visibility, humidity and uv. Galveston, tx weather forecast, with current conditions, wind, air quality, and what to expect for the next 3 days. Want to know what the weather is now? Daylight saving time ends sunday 11/3. Check out our. Galveston Weather Bug.
From www.weatherbug.com
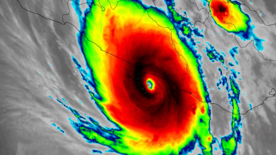
Otis From Tropical Storm to Category 5 in 12 Hours WeatherBug Galveston Weather Bug Check out our current live radar and weather forecasts for galveston, texas to help plan your. Want to know what the weather is now? Galveston 7 day weather forecast including weather warnings, temperature, rain, wind, visibility, humidity and uv. 9 9 miles per hour. Daylight saving time ends sunday 11/3. Isolated showers anear the coast along with breezy winds. Weatherbug. Galveston Weather Bug.
From www.cbs19.tv
ON THIS DAY September 8, 1900 — Nation's deadliest natural disaster Galveston Weather Bug Check out our current live radar and weather forecasts for galveston, texas to help plan your. Isolated showers anear the coast along with breezy winds. Daylight saving time ends sunday 11/3. Galveston 7 day weather forecast including weather warnings, temperature, rain, wind, visibility, humidity and uv. Galveston, tx weather forecast, with current conditions, wind, air quality, and what to expect. Galveston Weather Bug.
From www.gcoem.org
Galveston County, TX Home EmergencyManagement Galveston Weather Bug Galveston 7 day weather forecast including weather warnings, temperature, rain, wind, visibility, humidity and uv. Check out our current live radar and weather forecasts for galveston, texas to help plan your. Want to know what the weather is now? Daylight saving time ends sunday 11/3. Weatherbug has current and extended local and national weather forecasts, news, temperature, live radar, lightning,. Galveston Weather Bug.
From www.chron.com
Galveston surfer takes advantage of Hurricane Harvey's big waves Galveston Weather Bug Galveston, tx weather forecast, with current conditions, wind, air quality, and what to expect for the next 3 days. Check out our current live radar and weather forecasts for galveston, texas to help plan your. Galveston 7 day weather forecast including weather warnings, temperature, rain, wind, visibility, humidity and uv. Isolated showers anear the coast along with breezy winds. 9. Galveston Weather Bug.