Cumberland Va Land Records . Learn about real estate taxation, assessment, and billing in cumberland county, va. Cumberland county, virginia julie a. π search cumberland county, va property records for land, tax, appraisal, ownership, transaction histories, and more. Access property cards for cumberland county, virginia by owner name, parcel number, or address. Please generate a cover sheet. Phillips, mcr, commissioner of the revenue: Effective january 1, 2019, virginia land record cover sheets will be required on all land and deed book recordings. The completeness, timeliness and availability of data are not. Find out how to access the 2024 live real estate values, deeds. The purpose of this web site is to provide general information. Find cumberland county, va land records online through official portals, including property ownership, deed records, land surveys, and gis. The connect cumberland broadband initiative is well on its way to bringing broadband to unserved and underserved areas of cumberland county!
from landandfarm.com
π search cumberland county, va property records for land, tax, appraisal, ownership, transaction histories, and more. Learn about real estate taxation, assessment, and billing in cumberland county, va. The connect cumberland broadband initiative is well on its way to bringing broadband to unserved and underserved areas of cumberland county! Effective january 1, 2019, virginia land record cover sheets will be required on all land and deed book recordings. Find cumberland county, va land records online through official portals, including property ownership, deed records, land surveys, and gis. The purpose of this web site is to provide general information. The completeness, timeliness and availability of data are not. Please generate a cover sheet. Find out how to access the 2024 live real estate values, deeds. Phillips, mcr, commissioner of the revenue:
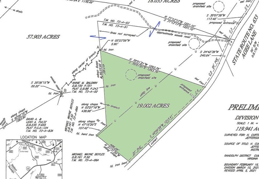
19 Acres, Agee Lane, Cumberland, VA 23040 Land and Farm
Cumberland Va Land Records Please generate a cover sheet. Cumberland county, virginia julie a. Find cumberland county, va land records online through official portals, including property ownership, deed records, land surveys, and gis. π search cumberland county, va property records for land, tax, appraisal, ownership, transaction histories, and more. Effective january 1, 2019, virginia land record cover sheets will be required on all land and deed book recordings. Access property cards for cumberland county, virginia by owner name, parcel number, or address. Find out how to access the 2024 live real estate values, deeds. Phillips, mcr, commissioner of the revenue: The connect cumberland broadband initiative is well on its way to bringing broadband to unserved and underserved areas of cumberland county! Please generate a cover sheet. Learn about real estate taxation, assessment, and billing in cumberland county, va. The completeness, timeliness and availability of data are not. The purpose of this web site is to provide general information.
From www.landandfarm.com
Lot 78C Kenny Drive, Cumberland, VA 23040 Land and Farm Cumberland Va Land Records Please generate a cover sheet. Phillips, mcr, commissioner of the revenue: π search cumberland county, va property records for land, tax, appraisal, ownership, transaction histories, and more. Learn about real estate taxation, assessment, and billing in cumberland county, va. The completeness, timeliness and availability of data are not. The connect cumberland broadband initiative is well on its way to bringing. Cumberland Va Land Records.
From www.youtube.com
Where Can I Find Virginia Property Records? YouTube Cumberland Va Land Records Phillips, mcr, commissioner of the revenue: π search cumberland county, va property records for land, tax, appraisal, ownership, transaction histories, and more. The completeness, timeliness and availability of data are not. Effective january 1, 2019, virginia land record cover sheets will be required on all land and deed book recordings. Find out how to access the 2024 live real estate. Cumberland Va Land Records.
From www.landwatch.com
Columbia, Cumberland County, VA Recreational Property, Timberland Cumberland Va Land Records Learn about real estate taxation, assessment, and billing in cumberland county, va. π search cumberland county, va property records for land, tax, appraisal, ownership, transaction histories, and more. Find cumberland county, va land records online through official portals, including property ownership, deed records, land surveys, and gis. Cumberland county, virginia julie a. The connect cumberland broadband initiative is well on. Cumberland Va Land Records.
From www.landmodo.com
5.9 Acres for Sale in Cumberland County Virginia for 399 a month Cumberland Va Land Records Find out how to access the 2024 live real estate values, deeds. The purpose of this web site is to provide general information. π search cumberland county, va property records for land, tax, appraisal, ownership, transaction histories, and more. Cumberland county, virginia julie a. Effective january 1, 2019, virginia land record cover sheets will be required on all land and. Cumberland Va Land Records.
From www.familysearch.org
Cumberland County, Virginia Genealogy β’ FamilySearch Cumberland Va Land Records Effective january 1, 2019, virginia land record cover sheets will be required on all land and deed book recordings. Access property cards for cumberland county, virginia by owner name, parcel number, or address. The connect cumberland broadband initiative is well on its way to bringing broadband to unserved and underserved areas of cumberland county! π search cumberland county, va property. Cumberland Va Land Records.
From ccclerknj.com
Public Land Records Cumberland County Clerkβs Office Cumberland Va Land Records The completeness, timeliness and availability of data are not. Access property cards for cumberland county, virginia by owner name, parcel number, or address. Cumberland county, virginia julie a. Find cumberland county, va land records online through official portals, including property ownership, deed records, land surveys, and gis. Effective january 1, 2019, virginia land record cover sheets will be required on. Cumberland Va Land Records.
From www.landwatch.com
Cumberland, Cumberland County, VA Farms and Ranches, Undeveloped Land Cumberland Va Land Records The purpose of this web site is to provide general information. Access property cards for cumberland county, virginia by owner name, parcel number, or address. Learn about real estate taxation, assessment, and billing in cumberland county, va. Please generate a cover sheet. Cumberland county, virginia julie a. Phillips, mcr, commissioner of the revenue: The completeness, timeliness and availability of data. Cumberland Va Land Records.
From begatsandbequeathalsasouthernusfamilydocumented.com
Thomas Whitlock (abt. 1745 1830) of Louisa and Wythe Counties Cumberland Va Land Records Find cumberland county, va land records online through official portals, including property ownership, deed records, land surveys, and gis. Please generate a cover sheet. Find out how to access the 2024 live real estate values, deeds. Effective january 1, 2019, virginia land record cover sheets will be required on all land and deed book recordings. The connect cumberland broadband initiative. Cumberland Va Land Records.
From www.landsearch.com
85.48 Acres of Land for Sale in Cumberland, Virginia LandSearch Cumberland Va Land Records Find out how to access the 2024 live real estate values, deeds. Please generate a cover sheet. Access property cards for cumberland county, virginia by owner name, parcel number, or address. Learn about real estate taxation, assessment, and billing in cumberland county, va. Cumberland county, virginia julie a. Effective january 1, 2019, virginia land record cover sheets will be required. Cumberland Va Land Records.
From www.pdffiller.com
Fillable Online Modernizing Land Records in Virginia Department of Cumberland Va Land Records Phillips, mcr, commissioner of the revenue: Find out how to access the 2024 live real estate values, deeds. Please generate a cover sheet. Effective january 1, 2019, virginia land record cover sheets will be required on all land and deed book recordings. The connect cumberland broadband initiative is well on its way to bringing broadband to unserved and underserved areas. Cumberland Va Land Records.
From landandfarm.com
19 Acres, Agee Lane, Cumberland, VA 23040 Land and Farm Cumberland Va Land Records Effective january 1, 2019, virginia land record cover sheets will be required on all land and deed book recordings. Cumberland county, virginia julie a. Phillips, mcr, commissioner of the revenue: Find out how to access the 2024 live real estate values, deeds. The purpose of this web site is to provide general information. The connect cumberland broadband initiative is well. Cumberland Va Land Records.
From hxexaiqjg.blob.core.windows.net
Cumberland County Real Property Records at Jon Helmick blog Cumberland Va Land Records Access property cards for cumberland county, virginia by owner name, parcel number, or address. Cumberland county, virginia julie a. Phillips, mcr, commissioner of the revenue: The connect cumberland broadband initiative is well on its way to bringing broadband to unserved and underserved areas of cumberland county! Effective january 1, 2019, virginia land record cover sheets will be required on all. Cumberland Va Land Records.
From www.landwatch.com
Cumberland, Cumberland County, VA House for sale Property ID 418327917 Cumberland Va Land Records Access property cards for cumberland county, virginia by owner name, parcel number, or address. The completeness, timeliness and availability of data are not. Please generate a cover sheet. π search cumberland county, va property records for land, tax, appraisal, ownership, transaction histories, and more. Find cumberland county, va land records online through official portals, including property ownership, deed records, land. Cumberland Va Land Records.
From www.landwatch.com
Farmville, Cumberland County, VA Recreational Property, Timberland Cumberland Va Land Records π search cumberland county, va property records for land, tax, appraisal, ownership, transaction histories, and more. Phillips, mcr, commissioner of the revenue: The connect cumberland broadband initiative is well on its way to bringing broadband to unserved and underserved areas of cumberland county! Please generate a cover sheet. Find out how to access the 2024 live real estate values, deeds.. Cumberland Va Land Records.
From fyofmwggb.blob.core.windows.net
Land Records County Virginia at Christopher Tinsley blog Cumberland Va Land Records The connect cumberland broadband initiative is well on its way to bringing broadband to unserved and underserved areas of cumberland county! Phillips, mcr, commissioner of the revenue: Please generate a cover sheet. Learn about real estate taxation, assessment, and billing in cumberland county, va. The purpose of this web site is to provide general information. Effective january 1, 2019, virginia. Cumberland Va Land Records.
From begatsandbequeathalsasouthernusfamilydocumented.com
Thomas Whitlock (abt. 1745 1830) of Louisa and Wythe Counties Cumberland Va Land Records Please generate a cover sheet. Access property cards for cumberland county, virginia by owner name, parcel number, or address. Find cumberland county, va land records online through official portals, including property ownership, deed records, land surveys, and gis. Find out how to access the 2024 live real estate values, deeds. Learn about real estate taxation, assessment, and billing in cumberland. Cumberland Va Land Records.
From www.dhr.virginia.gov
Trenton DHR Cumberland Va Land Records Phillips, mcr, commissioner of the revenue: Cumberland county, virginia julie a. Access property cards for cumberland county, virginia by owner name, parcel number, or address. The completeness, timeliness and availability of data are not. Effective january 1, 2019, virginia land record cover sheets will be required on all land and deed book recordings. Learn about real estate taxation, assessment, and. Cumberland Va Land Records.
From www.land.com
5.93 acres in Cumberland County, Virginia Cumberland Va Land Records The purpose of this web site is to provide general information. π search cumberland county, va property records for land, tax, appraisal, ownership, transaction histories, and more. Find out how to access the 2024 live real estate values, deeds. Effective january 1, 2019, virginia land record cover sheets will be required on all land and deed book recordings. Phillips, mcr,. Cumberland Va Land Records.
From fyopcthnb.blob.core.windows.net
Land Records Cumberland Ri at James Fell blog Cumberland Va Land Records Access property cards for cumberland county, virginia by owner name, parcel number, or address. The connect cumberland broadband initiative is well on its way to bringing broadband to unserved and underserved areas of cumberland county! Find out how to access the 2024 live real estate values, deeds. Phillips, mcr, commissioner of the revenue: π search cumberland county, va property records. Cumberland Va Land Records.
From www.landwatch.com
Dillwyn, Cumberland County, VA Undeveloped Land for sale Property ID Cumberland Va Land Records Find out how to access the 2024 live real estate values, deeds. Access property cards for cumberland county, virginia by owner name, parcel number, or address. Learn about real estate taxation, assessment, and billing in cumberland county, va. The completeness, timeliness and availability of data are not. Effective january 1, 2019, virginia land record cover sheets will be required on. Cumberland Va Land Records.
From fyopcthnb.blob.core.windows.net
Land Records Cumberland Ri at James Fell blog Cumberland Va Land Records Please generate a cover sheet. π search cumberland county, va property records for land, tax, appraisal, ownership, transaction histories, and more. Find out how to access the 2024 live real estate values, deeds. The purpose of this web site is to provide general information. Effective january 1, 2019, virginia land record cover sheets will be required on all land and. Cumberland Va Land Records.
From www.publicrecords.com
Cumberland County VA Public Records Search Cumberland Va Land Records Find cumberland county, va land records online through official portals, including property ownership, deed records, land surveys, and gis. Access property cards for cumberland county, virginia by owner name, parcel number, or address. Find out how to access the 2024 live real estate values, deeds. Effective january 1, 2019, virginia land record cover sheets will be required on all land. Cumberland Va Land Records.
From www.museosdelima.com
Land Record By Name Cumberland Va Land Records Effective january 1, 2019, virginia land record cover sheets will be required on all land and deed book recordings. Please generate a cover sheet. The connect cumberland broadband initiative is well on its way to bringing broadband to unserved and underserved areas of cumberland county! The purpose of this web site is to provide general information. Learn about real estate. Cumberland Va Land Records.
From www.goodreads.com
Essex County, Virginia Land Records, 17611772 by Mary Marshall Brewer Cumberland Va Land Records Please generate a cover sheet. Effective january 1, 2019, virginia land record cover sheets will be required on all land and deed book recordings. Access property cards for cumberland county, virginia by owner name, parcel number, or address. The connect cumberland broadband initiative is well on its way to bringing broadband to unserved and underserved areas of cumberland county! Find. Cumberland Va Land Records.
From www.oldhouses.com
c. 1735 Colonial in Cumberland, Virginia Cumberland Va Land Records Find cumberland county, va land records online through official portals, including property ownership, deed records, land surveys, and gis. π search cumberland county, va property records for land, tax, appraisal, ownership, transaction histories, and more. Cumberland county, virginia julie a. The purpose of this web site is to provide general information. Learn about real estate taxation, assessment, and billing in. Cumberland Va Land Records.
From www.bol.com
York County, Virginia Land Records, 16941713, Mary Marshall Brewer Cumberland Va Land Records Find cumberland county, va land records online through official portals, including property ownership, deed records, land surveys, and gis. Cumberland county, virginia julie a. π search cumberland county, va property records for land, tax, appraisal, ownership, transaction histories, and more. Please generate a cover sheet. Learn about real estate taxation, assessment, and billing in cumberland county, va. The purpose of. Cumberland Va Land Records.
From www.landwatch.com
Cumberland, Cumberland County, VA Undeveloped Land for sale Property ID Cumberland Va Land Records Cumberland county, virginia julie a. Phillips, mcr, commissioner of the revenue: Find cumberland county, va land records online through official portals, including property ownership, deed records, land surveys, and gis. Learn about real estate taxation, assessment, and billing in cumberland county, va. The completeness, timeliness and availability of data are not. Please generate a cover sheet. Find out how to. Cumberland Va Land Records.
From www.landwatch.com
Cumberland, Cumberland County, VA Recreational Property, Homesites for Cumberland Va Land Records Learn about real estate taxation, assessment, and billing in cumberland county, va. Cumberland county, virginia julie a. The completeness, timeliness and availability of data are not. Effective january 1, 2019, virginia land record cover sheets will be required on all land and deed book recordings. Phillips, mcr, commissioner of the revenue: The connect cumberland broadband initiative is well on its. Cumberland Va Land Records.
From genealogical.com
Virginia Land Records Cumberland Va Land Records Learn about real estate taxation, assessment, and billing in cumberland county, va. The completeness, timeliness and availability of data are not. The connect cumberland broadband initiative is well on its way to bringing broadband to unserved and underserved areas of cumberland county! The purpose of this web site is to provide general information. Find out how to access the 2024. Cumberland Va Land Records.
From www.land.com
1 acres in Cumberland County, Virginia Cumberland Va Land Records Learn about real estate taxation, assessment, and billing in cumberland county, va. The purpose of this web site is to provide general information. Effective january 1, 2019, virginia land record cover sheets will be required on all land and deed book recordings. The connect cumberland broadband initiative is well on its way to bringing broadband to unserved and underserved areas. Cumberland Va Land Records.
From begatsandbequeathalsasouthernusfamilydocumented.com
Thomas Whitlock (abt. 1745 1830) of Louisa and Wythe Counties Cumberland Va Land Records Effective january 1, 2019, virginia land record cover sheets will be required on all land and deed book recordings. Phillips, mcr, commissioner of the revenue: The completeness, timeliness and availability of data are not. Access property cards for cumberland county, virginia by owner name, parcel number, or address. Find out how to access the 2024 live real estate values, deeds.. Cumberland Va Land Records.
From www.youtube.com
Land Records A Comprehensive Guide YouTube Cumberland Va Land Records π search cumberland county, va property records for land, tax, appraisal, ownership, transaction histories, and more. The connect cumberland broadband initiative is well on its way to bringing broadband to unserved and underserved areas of cumberland county! Find out how to access the 2024 live real estate values, deeds. Cumberland county, virginia julie a. Phillips, mcr, commissioner of the revenue:. Cumberland Va Land Records.
From www.vrogue.co
Cumberland County Virginia 1864 Old Map Reprint Old M vrogue.co Cumberland Va Land Records The connect cumberland broadband initiative is well on its way to bringing broadband to unserved and underserved areas of cumberland county! π search cumberland county, va property records for land, tax, appraisal, ownership, transaction histories, and more. Learn about real estate taxation, assessment, and billing in cumberland county, va. Find out how to access the 2024 live real estate values,. Cumberland Va Land Records.
From activerain.com
Just Listed Cumberland Co VA Morningside Farm For Sale Cumberland Va Land Records Find out how to access the 2024 live real estate values, deeds. Cumberland county, virginia julie a. The connect cumberland broadband initiative is well on its way to bringing broadband to unserved and underserved areas of cumberland county! Phillips, mcr, commissioner of the revenue: The completeness, timeliness and availability of data are not. Effective january 1, 2019, virginia land record. Cumberland Va Land Records.
From www.mygenealogyhound.com
Cumberland County, Tennessee 1888 Map Cumberland Va Land Records π search cumberland county, va property records for land, tax, appraisal, ownership, transaction histories, and more. The purpose of this web site is to provide general information. Find cumberland county, va land records online through official portals, including property ownership, deed records, land surveys, and gis. Phillips, mcr, commissioner of the revenue: Please generate a cover sheet. The completeness, timeliness. Cumberland Va Land Records.