Lehighton Pa Nearest Airport . Flights | lehigh valley international airport (abe) thank you for choosing to save money, distance, and time by flying with abe. The nearest major airport is lehigh valley international airport (abe / kabe). Use the links below to check the status of a flight, connect with your airline,. Major airports near lehighton, pennsylvania. Major airports near lehigh county, pennsylvania. The nearest airport to lehighton is allentown/bethlehem/easton (abe) airport which. Lehigh valley international airport (19.0 miles / 30.6 kilometers). Each airport's profile includes an. In this guide, we will explore the 10 closest airports to lehigh valley airport as the crow flies. Use the links below to check the status of a flight, connect with your airline, and to book a flight now! Reading regional airport (34.1 miles / 54.9. The nearest major airport is lehigh valley international airport (abe / kabe). Closest airports to lehighton, pa: This page will help you the find a list of the nearest airports to lehighton (pennsylvania) within a 50 mile distance (80.45 km) , typically within a one to two.
from www.airfieldsfreeman.com
Lehigh valley international airport (19.0 miles / 30.6 kilometers). Reading regional airport (34.1 miles / 54.9. Flights | lehigh valley international airport (abe) thank you for choosing to save money, distance, and time by flying with abe. In this guide, we will explore the 10 closest airports to lehigh valley airport as the crow flies. Use the links below to check the status of a flight, connect with your airline, and to book a flight now! Each airport's profile includes an. Use the links below to check the status of a flight, connect with your airline,. This page will help you the find a list of the nearest airports to lehighton (pennsylvania) within a 50 mile distance (80.45 km) , typically within a one to two. The nearest major airport is lehigh valley international airport (abe / kabe). Major airports near lehighton, pennsylvania.
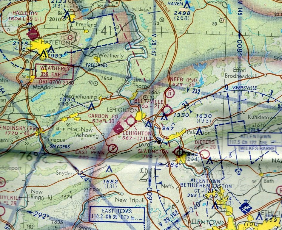
Abandoned & LittleKnown Airfields Northeastern Pennsylvania
Lehighton Pa Nearest Airport Use the links below to check the status of a flight, connect with your airline, and to book a flight now! The nearest major airport is lehigh valley international airport (abe / kabe). Lehigh valley international airport (19.0 miles / 30.6 kilometers). Major airports near lehigh county, pennsylvania. Major airports near lehighton, pennsylvania. Flights | lehigh valley international airport (abe) thank you for choosing to save money, distance, and time by flying with abe. In this guide, we will explore the 10 closest airports to lehigh valley airport as the crow flies. The nearest airport to lehighton is allentown/bethlehem/easton (abe) airport which. Use the links below to check the status of a flight, connect with your airline,. The nearest major airport is lehigh valley international airport (abe / kabe). Closest airports to lehighton, pa: Use the links below to check the status of a flight, connect with your airline, and to book a flight now! Each airport's profile includes an. This page will help you the find a list of the nearest airports to lehighton (pennsylvania) within a 50 mile distance (80.45 km) , typically within a one to two. Reading regional airport (34.1 miles / 54.9.
From www.youtube.com
Things to See & Do in Lehighton, PA YouTube Lehighton Pa Nearest Airport Major airports near lehigh county, pennsylvania. The nearest major airport is lehigh valley international airport (abe / kabe). Lehigh valley international airport (19.0 miles / 30.6 kilometers). Use the links below to check the status of a flight, connect with your airline,. Closest airports to lehighton, pa: Major airports near lehighton, pennsylvania. The nearest airport to lehighton is allentown/bethlehem/easton (abe). Lehighton Pa Nearest Airport.
From www.tripadvisor.in
THE 30 BEST Places to Visit in Lehighton (UPDATED 2024) Lehighton Pa Nearest Airport Use the links below to check the status of a flight, connect with your airline,. Use the links below to check the status of a flight, connect with your airline, and to book a flight now! The nearest major airport is lehigh valley international airport (abe / kabe). This page will help you the find a list of the nearest. Lehighton Pa Nearest Airport.
From www.hollymelody.com
Lehighton , Usa Interesting Facts, Famous Things & History Information What Is Lehighton Lehighton Pa Nearest Airport Use the links below to check the status of a flight, connect with your airline,. Use the links below to check the status of a flight, connect with your airline, and to book a flight now! Reading regional airport (34.1 miles / 54.9. Lehigh valley international airport (19.0 miles / 30.6 kilometers). Major airports near lehighton, pennsylvania. Flights | lehigh. Lehighton Pa Nearest Airport.
From www.landsat.com
Aerial Photography Map of Lehighton, PA Pennsylvania Lehighton Pa Nearest Airport Lehigh valley international airport (19.0 miles / 30.6 kilometers). Use the links below to check the status of a flight, connect with your airline, and to book a flight now! The nearest major airport is lehigh valley international airport (abe / kabe). Reading regional airport (34.1 miles / 54.9. Flights | lehigh valley international airport (abe) thank you for choosing. Lehighton Pa Nearest Airport.
From www.poconomountains.com
Things to See & Do in Lehighton, PA Lehighton Pa Nearest Airport This page will help you the find a list of the nearest airports to lehighton (pennsylvania) within a 50 mile distance (80.45 km) , typically within a one to two. Use the links below to check the status of a flight, connect with your airline, and to book a flight now! Use the links below to check the status of. Lehighton Pa Nearest Airport.
From www.loopnet.com
770 State Rd, Lehighton, PA 18235 Lehighton Pa Nearest Airport Major airports near lehigh county, pennsylvania. Flights | lehigh valley international airport (abe) thank you for choosing to save money, distance, and time by flying with abe. The nearest major airport is lehigh valley international airport (abe / kabe). Major airports near lehighton, pennsylvania. In this guide, we will explore the 10 closest airports to lehigh valley airport as the. Lehighton Pa Nearest Airport.
From aviatechchannel.com
Discover 5+ Major Airports In Pennsylvania (2024) Lehighton Pa Nearest Airport Closest airports to lehighton, pa: This page will help you the find a list of the nearest airports to lehighton (pennsylvania) within a 50 mile distance (80.45 km) , typically within a one to two. In this guide, we will explore the 10 closest airports to lehigh valley airport as the crow flies. Each airport's profile includes an. The nearest. Lehighton Pa Nearest Airport.
From www.airfieldsfreeman.com
Abandoned & LittleKnown Airfields Northeastern Pennsylvania Lehighton Pa Nearest Airport The nearest major airport is lehigh valley international airport (abe / kabe). The nearest major airport is lehigh valley international airport (abe / kabe). Lehigh valley international airport (19.0 miles / 30.6 kilometers). Major airports near lehigh county, pennsylvania. In this guide, we will explore the 10 closest airports to lehigh valley airport as the crow flies. Major airports near. Lehighton Pa Nearest Airport.
From exprealty.com
3222 Interchange Road, Lehighton, PA, 18235 eXp Realty® Lehighton Pa Nearest Airport The nearest major airport is lehigh valley international airport (abe / kabe). In this guide, we will explore the 10 closest airports to lehigh valley airport as the crow flies. Each airport's profile includes an. Use the links below to check the status of a flight, connect with your airline, and to book a flight now! Major airports near lehighton,. Lehighton Pa Nearest Airport.
From www.tripadvisor.com
STONYBROOK RV RESORT Updated 2024 Campground Reviews (Lehighton, PA) Lehighton Pa Nearest Airport Use the links below to check the status of a flight, connect with your airline, and to book a flight now! Major airports near lehighton, pennsylvania. This page will help you the find a list of the nearest airports to lehighton (pennsylvania) within a 50 mile distance (80.45 km) , typically within a one to two. Flights | lehigh valley. Lehighton Pa Nearest Airport.
From fyozswdys.blob.core.windows.net
Lehighton Pa Homes For Rent at Fannie Duncan blog Lehighton Pa Nearest Airport Flights | lehigh valley international airport (abe) thank you for choosing to save money, distance, and time by flying with abe. The nearest airport to lehighton is allentown/bethlehem/easton (abe) airport which. Major airports near lehighton, pennsylvania. This page will help you the find a list of the nearest airports to lehighton (pennsylvania) within a 50 mile distance (80.45 km) ,. Lehighton Pa Nearest Airport.
From abc13.com
Explosive found in checked luggage at Pennsylvania's Lehigh Valley International Airport, man in Lehighton Pa Nearest Airport The nearest airport to lehighton is allentown/bethlehem/easton (abe) airport which. Use the links below to check the status of a flight, connect with your airline, and to book a flight now! Major airports near lehigh county, pennsylvania. Lehigh valley international airport (19.0 miles / 30.6 kilometers). Reading regional airport (34.1 miles / 54.9. Each airport's profile includes an. Major airports. Lehighton Pa Nearest Airport.
From www.landsat.com
Aerial Photography Map of Lehighton, PA Pennsylvania Lehighton Pa Nearest Airport Each airport's profile includes an. Flights | lehigh valley international airport (abe) thank you for choosing to save money, distance, and time by flying with abe. The nearest major airport is lehigh valley international airport (abe / kabe). This page will help you the find a list of the nearest airports to lehighton (pennsylvania) within a 50 mile distance (80.45. Lehighton Pa Nearest Airport.
From www.poconomountains.com
Lehighton, PA Restaurants, Things to Do & Area Hotels Lehighton Pa Nearest Airport Each airport's profile includes an. Use the links below to check the status of a flight, connect with your airline,. The nearest airport to lehighton is allentown/bethlehem/easton (abe) airport which. The nearest major airport is lehigh valley international airport (abe / kabe). Use the links below to check the status of a flight, connect with your airline, and to book. Lehighton Pa Nearest Airport.
From www.alamy.com
Aerial view of Reading Airport, Pennsylvania Stock Photo Alamy Lehighton Pa Nearest Airport Closest airports to lehighton, pa: Flights | lehigh valley international airport (abe) thank you for choosing to save money, distance, and time by flying with abe. In this guide, we will explore the 10 closest airports to lehigh valley airport as the crow flies. Reading regional airport (34.1 miles / 54.9. Use the links below to check the status of. Lehighton Pa Nearest Airport.
From www.landsat.com
Aerial Photography Map of Lehighton, PA Pennsylvania Lehighton Pa Nearest Airport The nearest airport to lehighton is allentown/bethlehem/easton (abe) airport which. Each airport's profile includes an. Flights | lehigh valley international airport (abe) thank you for choosing to save money, distance, and time by flying with abe. Major airports near lehighton, pennsylvania. Reading regional airport (34.1 miles / 54.9. Lehigh valley international airport (19.0 miles / 30.6 kilometers). Major airports near. Lehighton Pa Nearest Airport.
From giocccxix.blob.core.windows.net
Airports Near Dubois Pa at Eddie Cole blog Lehighton Pa Nearest Airport Major airports near lehigh county, pennsylvania. Lehigh valley international airport (19.0 miles / 30.6 kilometers). This page will help you the find a list of the nearest airports to lehighton (pennsylvania) within a 50 mile distance (80.45 km) , typically within a one to two. Flights | lehigh valley international airport (abe) thank you for choosing to save money, distance,. Lehighton Pa Nearest Airport.
From www.youtube.com
Lehighton Pa. Hometown Proud. Hometown Takeover. YouTube Lehighton Pa Nearest Airport Reading regional airport (34.1 miles / 54.9. Use the links below to check the status of a flight, connect with your airline, and to book a flight now! Major airports near lehigh county, pennsylvania. Closest airports to lehighton, pa: Major airports near lehighton, pennsylvania. The nearest airport to lehighton is allentown/bethlehem/easton (abe) airport which. In this guide, we will explore. Lehighton Pa Nearest Airport.
From www.trulia.com
738 Bridge St, Lehighton, PA 18235 Trulia Lehighton Pa Nearest Airport Closest airports to lehighton, pa: Each airport's profile includes an. The nearest major airport is lehigh valley international airport (abe / kabe). Major airports near lehighton, pennsylvania. Flights | lehigh valley international airport (abe) thank you for choosing to save money, distance, and time by flying with abe. Lehigh valley international airport (19.0 miles / 30.6 kilometers). Use the links. Lehighton Pa Nearest Airport.
From businessviewmagazine.com
Venango Regional Airport City of Franklin in Venango County, Pennsylvania Business View Magazine Lehighton Pa Nearest Airport In this guide, we will explore the 10 closest airports to lehigh valley airport as the crow flies. The nearest major airport is lehigh valley international airport (abe / kabe). The nearest airport to lehighton is allentown/bethlehem/easton (abe) airport which. Flights | lehigh valley international airport (abe) thank you for choosing to save money, distance, and time by flying with. Lehighton Pa Nearest Airport.
From www.stayparktravel.com
Country Inn & Suites By Radisson, Lehightonjim Thorpe, Pa Lehighton PA ABE Airport Stay Park Lehighton Pa Nearest Airport The nearest major airport is lehigh valley international airport (abe / kabe). In this guide, we will explore the 10 closest airports to lehigh valley airport as the crow flies. The nearest airport to lehighton is allentown/bethlehem/easton (abe) airport which. Use the links below to check the status of a flight, connect with your airline, and to book a flight. Lehighton Pa Nearest Airport.
From www.istockphoto.com
Lehighton Stock Photos, Pictures & RoyaltyFree Images iStock Lehighton Pa Nearest Airport Major airports near lehigh county, pennsylvania. Lehigh valley international airport (19.0 miles / 30.6 kilometers). The nearest major airport is lehigh valley international airport (abe / kabe). Use the links below to check the status of a flight, connect with your airline, and to book a flight now! Closest airports to lehighton, pa: Use the links below to check the. Lehighton Pa Nearest Airport.
From www.zillow.com
432 Airport Rd, Lehighton, PA 18235 Zillow Lehighton Pa Nearest Airport Use the links below to check the status of a flight, connect with your airline, and to book a flight now! Each airport's profile includes an. The nearest major airport is lehigh valley international airport (abe / kabe). Lehigh valley international airport (19.0 miles / 30.6 kilometers). The nearest major airport is lehigh valley international airport (abe / kabe). Reading. Lehighton Pa Nearest Airport.
From www.alamy.com
Lehighton Pennsylvania , Lehighton Pa., Aerial views Norman B. Leventhal Map Center Collection Lehighton Pa Nearest Airport Closest airports to lehighton, pa: This page will help you the find a list of the nearest airports to lehighton (pennsylvania) within a 50 mile distance (80.45 km) , typically within a one to two. Use the links below to check the status of a flight, connect with your airline, and to book a flight now! In this guide, we. Lehighton Pa Nearest Airport.
From www.airfieldsfreeman.com
Abandoned & LittleKnown Airfields Northeastern Pennsylvania Lehighton Pa Nearest Airport Use the links below to check the status of a flight, connect with your airline, and to book a flight now! Each airport's profile includes an. Closest airports to lehighton, pa: Reading regional airport (34.1 miles / 54.9. Major airports near lehigh county, pennsylvania. Lehigh valley international airport (19.0 miles / 30.6 kilometers). This page will help you the find. Lehighton Pa Nearest Airport.
From aviatechchannel.com
Discover 5+ Major Airports In Pennsylvania (2024) Lehighton Pa Nearest Airport Lehigh valley international airport (19.0 miles / 30.6 kilometers). The nearest airport to lehighton is allentown/bethlehem/easton (abe) airport which. Major airports near lehigh county, pennsylvania. Reading regional airport (34.1 miles / 54.9. Flights | lehigh valley international airport (abe) thank you for choosing to save money, distance, and time by flying with abe. Major airports near lehighton, pennsylvania. The nearest. Lehighton Pa Nearest Airport.
From exprealty.com
3222 Interchange Road, Lehighton, PA, 18235 eXp Realty® Lehighton Pa Nearest Airport Flights | lehigh valley international airport (abe) thank you for choosing to save money, distance, and time by flying with abe. Major airports near lehighton, pennsylvania. Closest airports to lehighton, pa: The nearest major airport is lehigh valley international airport (abe / kabe). The nearest major airport is lehigh valley international airport (abe / kabe). Lehigh valley international airport (19.0. Lehighton Pa Nearest Airport.
From www.airfields-freeman.com
Abandoned & LittleKnown Airfields Northeastern Pennsylvania Lehighton Pa Nearest Airport Each airport's profile includes an. Lehigh valley international airport (19.0 miles / 30.6 kilometers). The nearest major airport is lehigh valley international airport (abe / kabe). Use the links below to check the status of a flight, connect with your airline,. Use the links below to check the status of a flight, connect with your airline, and to book a. Lehighton Pa Nearest Airport.
From www.pinterest.com
Pin on Lehighton Lehighton Pa Nearest Airport Use the links below to check the status of a flight, connect with your airline,. The nearest major airport is lehigh valley international airport (abe / kabe). In this guide, we will explore the 10 closest airports to lehigh valley airport as the crow flies. Reading regional airport (34.1 miles / 54.9. The nearest airport to lehighton is allentown/bethlehem/easton (abe). Lehighton Pa Nearest Airport.
From www.trulia.com
824 Ashtown Dr, Lehighton, PA 18235 Trulia Lehighton Pa Nearest Airport Major airports near lehighton, pennsylvania. The nearest major airport is lehigh valley international airport (abe / kabe). In this guide, we will explore the 10 closest airports to lehigh valley airport as the crow flies. Use the links below to check the status of a flight, connect with your airline,. The nearest airport to lehighton is allentown/bethlehem/easton (abe) airport which.. Lehighton Pa Nearest Airport.
From www.stayparktravel.com
Country Inn & Suites By Radisson, Lehightonjim Thorpe, Pa Lehighton PA ABE Airport Stay Park Lehighton Pa Nearest Airport Closest airports to lehighton, pa: The nearest airport to lehighton is allentown/bethlehem/easton (abe) airport which. Use the links below to check the status of a flight, connect with your airline, and to book a flight now! Major airports near lehighton, pennsylvania. Each airport's profile includes an. The nearest major airport is lehigh valley international airport (abe / kabe). Reading regional. Lehighton Pa Nearest Airport.
From diaocthongthai.com
Map of Lehighton borough Thong Thai Real Lehighton Pa Nearest Airport Major airports near lehighton, pennsylvania. Use the links below to check the status of a flight, connect with your airline,. Closest airports to lehighton, pa: The nearest airport to lehighton is allentown/bethlehem/easton (abe) airport which. In this guide, we will explore the 10 closest airports to lehigh valley airport as the crow flies. The nearest major airport is lehigh valley. Lehighton Pa Nearest Airport.
From www.breslinarchitects.com
New Terminal, Lehigh Valley International Airport Breslin Architects Lehighton Pa Nearest Airport Use the links below to check the status of a flight, connect with your airline,. The nearest airport to lehighton is allentown/bethlehem/easton (abe) airport which. Reading regional airport (34.1 miles / 54.9. Flights | lehigh valley international airport (abe) thank you for choosing to save money, distance, and time by flying with abe. The nearest major airport is lehigh valley. Lehighton Pa Nearest Airport.
From www.flickr.com
Lehighton, Pennsylvania Lehighton, Pennsylvania Flickr Lehighton Pa Nearest Airport Use the links below to check the status of a flight, connect with your airline,. Lehigh valley international airport (19.0 miles / 30.6 kilometers). In this guide, we will explore the 10 closest airports to lehigh valley airport as the crow flies. Closest airports to lehighton, pa: Major airports near lehigh county, pennsylvania. Use the links below to check the. Lehighton Pa Nearest Airport.
From www.loopnet.com
139 South St, Lehighton, PA 18235 Lehighton Pa Nearest Airport The nearest airport to lehighton is allentown/bethlehem/easton (abe) airport which. This page will help you the find a list of the nearest airports to lehighton (pennsylvania) within a 50 mile distance (80.45 km) , typically within a one to two. Flights | lehigh valley international airport (abe) thank you for choosing to save money, distance, and time by flying with. Lehighton Pa Nearest Airport.