Vance Weather Radar . View the current and future weather conditions for vance air force base, located in enid, oklahoma. View the current and hourly weather radar for vance air force base, ok. View the latest radar images of precipitation and storms near vance air force base, oklahoma. See the temperature, humidity, wind. Mesonet is a joint project of the university of. Easy to use weather radar at your fingertips! View weather radar maps for enid, oklahoma and surrounding areas. See the radar map, temperature, wind, air quality, and allergy. Zoom in and out, switch between color and composite modes,. Animate, zoom, select frames, delay, and save images of precipitation, storm. See rain, snow, ice and lightning maps, as well as temperature, air quality and. Learn how to interpret reflectivity, dbz values, and rainfall. View the latest radar images and weather advisories for vance air force base, oklahoma. View animated radar images of weather conditions at vance air force base in oklahoma.
from www.whio.com
See the radar map, temperature, wind, air quality, and allergy. View weather radar maps for enid, oklahoma and surrounding areas. Learn how to interpret reflectivity, dbz values, and rainfall. Animate, zoom, select frames, delay, and save images of precipitation, storm. View the latest radar images and weather advisories for vance air force base, oklahoma. Easy to use weather radar at your fingertips! Zoom in and out, switch between color and composite modes,. View the current and future weather conditions for vance air force base, located in enid, oklahoma. View animated radar images of weather conditions at vance air force base in oklahoma. Mesonet is a joint project of the university of.
TRACK THE LATEST CONDITIONS Live Doppler 7 Radar WHIO TV 7 and WHIO
Vance Weather Radar View the current and future weather conditions for vance air force base, located in enid, oklahoma. View the latest radar images of precipitation and storms near vance air force base, oklahoma. View animated radar images of weather conditions at vance air force base in oklahoma. View the current and hourly weather radar for vance air force base, ok. Zoom in and out, switch between color and composite modes,. Animate, zoom, select frames, delay, and save images of precipitation, storm. Mesonet is a joint project of the university of. See the temperature, humidity, wind. View the current and future weather conditions for vance air force base, located in enid, oklahoma. See the radar map, temperature, wind, air quality, and allergy. View weather radar maps for enid, oklahoma and surrounding areas. Learn how to interpret reflectivity, dbz values, and rainfall. View the latest radar images and weather advisories for vance air force base, oklahoma. See rain, snow, ice and lightning maps, as well as temperature, air quality and. Easy to use weather radar at your fingertips!
From www.qsl.net
Recent Events TC Vance March 1999 Vance Weather Radar View animated radar images of weather conditions at vance air force base in oklahoma. View the current and future weather conditions for vance air force base, located in enid, oklahoma. See rain, snow, ice and lightning maps, as well as temperature, air quality and. View the current and hourly weather radar for vance air force base, ok. View weather radar. Vance Weather Radar.
From www.kadn.com
Jeff Vance Does the Weather! Video Vance Weather Radar See rain, snow, ice and lightning maps, as well as temperature, air quality and. View the latest radar images and weather advisories for vance air force base, oklahoma. View the current and future weather conditions for vance air force base, located in enid, oklahoma. Animate, zoom, select frames, delay, and save images of precipitation, storm. View animated radar images of. Vance Weather Radar.
From twitter.com
Spectrum News 1 OH on Twitter "RADAR ON THE 1s Here is the latest Vance Weather Radar View the current and hourly weather radar for vance air force base, ok. View animated radar images of weather conditions at vance air force base in oklahoma. Learn how to interpret reflectivity, dbz values, and rainfall. Easy to use weather radar at your fingertips! View the current and future weather conditions for vance air force base, located in enid, oklahoma.. Vance Weather Radar.
From weather.com
Tropical Storm Vance May Threaten Mexico's Pacific Coast Next Week Vance Weather Radar View weather radar maps for enid, oklahoma and surrounding areas. View the latest radar images and weather advisories for vance air force base, oklahoma. View the current and hourly weather radar for vance air force base, ok. View animated radar images of weather conditions at vance air force base in oklahoma. Easy to use weather radar at your fingertips! See. Vance Weather Radar.
From www.news5cleveland.com
How meteorologists use radar data to track and predict storms Vance Weather Radar Easy to use weather radar at your fingertips! See the radar map, temperature, wind, air quality, and allergy. View animated radar images of weather conditions at vance air force base in oklahoma. View the latest radar images of precipitation and storms near vance air force base, oklahoma. See rain, snow, ice and lightning maps, as well as temperature, air quality. Vance Weather Radar.
From twitter.com
Carolina Weather Group on Twitter "RAH extends time of Flash Flood Vance Weather Radar View weather radar maps for enid, oklahoma and surrounding areas. See the temperature, humidity, wind. Easy to use weather radar at your fingertips! Animate, zoom, select frames, delay, and save images of precipitation, storm. Mesonet is a joint project of the university of. View the latest radar images and weather advisories for vance air force base, oklahoma. View animated radar. Vance Weather Radar.
From www.weather.gov
April 26th 2009 tornadoes and straight line winds Vance Weather Radar View animated radar images of weather conditions at vance air force base in oklahoma. See rain, snow, ice and lightning maps, as well as temperature, air quality and. View the latest radar images and weather advisories for vance air force base, oklahoma. View the current and hourly weather radar for vance air force base, ok. View the current and future. Vance Weather Radar.
From www.researchgate.net
Location and measurement extent of NEXRAD radar station at Vance Air Vance Weather Radar See the radar map, temperature, wind, air quality, and allergy. Zoom in and out, switch between color and composite modes,. View the latest radar images and weather advisories for vance air force base, oklahoma. Animate, zoom, select frames, delay, and save images of precipitation, storm. View animated radar images of weather conditions at vance air force base in oklahoma. View. Vance Weather Radar.
From www.whio.com
TRACK THE LATEST CONDITIONS Live Doppler 7 Radar WHIO TV 7 and WHIO Vance Weather Radar See the temperature, humidity, wind. View weather radar maps for enid, oklahoma and surrounding areas. Easy to use weather radar at your fingertips! View the latest radar images and weather advisories for vance air force base, oklahoma. View the current and future weather conditions for vance air force base, located in enid, oklahoma. Mesonet is a joint project of the. Vance Weather Radar.
From www.qt.com.au
Monsters of March 12 times autumn cyclones hit Australia Queensland Vance Weather Radar Mesonet is a joint project of the university of. Animate, zoom, select frames, delay, and save images of precipitation, storm. View the latest radar images and weather advisories for vance air force base, oklahoma. See rain, snow, ice and lightning maps, as well as temperature, air quality and. See the temperature, humidity, wind. View weather radar maps for enid, oklahoma. Vance Weather Radar.
From www.weather.gov
The May 24, 2011 Tornado Outbreak in Oklahoma Vance Weather Radar See the radar map, temperature, wind, air quality, and allergy. Mesonet is a joint project of the university of. View animated radar images of weather conditions at vance air force base in oklahoma. View the current and future weather conditions for vance air force base, located in enid, oklahoma. View the latest radar images and weather advisories for vance air. Vance Weather Radar.
From www.vance.af.mil
Snow forecasted for region Vance Weather Radar Mesonet is a joint project of the university of. Easy to use weather radar at your fingertips! Zoom in and out, switch between color and composite modes,. View the current and hourly weather radar for vance air force base, ok. Learn how to interpret reflectivity, dbz values, and rainfall. View the current and future weather conditions for vance air force. Vance Weather Radar.
From www.radarmonster.com
VANCE AFB, OK (KVNX) Radar Monster Vance Weather Radar Zoom in and out, switch between color and composite modes,. View the current and hourly weather radar for vance air force base, ok. View animated radar images of weather conditions at vance air force base in oklahoma. View weather radar maps for enid, oklahoma and surrounding areas. See the radar map, temperature, wind, air quality, and allergy. View the latest. Vance Weather Radar.
From www.avfoil.com
Weather radar Seeing the danger ahead Vance Weather Radar View weather radar maps for enid, oklahoma and surrounding areas. View the current and future weather conditions for vance air force base, located in enid, oklahoma. View the current and hourly weather radar for vance air force base, ok. Mesonet is a joint project of the university of. View the latest radar images and weather advisories for vance air force. Vance Weather Radar.
From wsvn.com
Vance Air Force Base says 2 aircraft involved in ‘mishap’ WSVN 7News Vance Weather Radar See the temperature, humidity, wind. Learn how to interpret reflectivity, dbz values, and rainfall. View the current and future weather conditions for vance air force base, located in enid, oklahoma. View the latest radar images of precipitation and storms near vance air force base, oklahoma. View weather radar maps for enid, oklahoma and surrounding areas. Mesonet is a joint project. Vance Weather Radar.
From www.vance.af.mil
Steadytone sirens can save your life in a tornado > Vance Air Force Vance Weather Radar View the latest radar images and weather advisories for vance air force base, oklahoma. View the current and hourly weather radar for vance air force base, ok. Learn how to interpret reflectivity, dbz values, and rainfall. Easy to use weather radar at your fingertips! Mesonet is a joint project of the university of. View animated radar images of weather conditions. Vance Weather Radar.
From www.weather.gov
April 24th 2006 Wichita hail storm! Vance Weather Radar See the radar map, temperature, wind, air quality, and allergy. Animate, zoom, select frames, delay, and save images of precipitation, storm. Easy to use weather radar at your fingertips! View animated radar images of weather conditions at vance air force base in oklahoma. View the current and future weather conditions for vance air force base, located in enid, oklahoma. View. Vance Weather Radar.
From www.vance.af.mil
Vance forecaster named top weather civilian in command Vance Weather Radar See the temperature, humidity, wind. View the current and hourly weather radar for vance air force base, ok. See rain, snow, ice and lightning maps, as well as temperature, air quality and. Easy to use weather radar at your fingertips! Mesonet is a joint project of the university of. View the current and future weather conditions for vance air force. Vance Weather Radar.
From abc17news.com
The science behind radars ABC17NEWS Vance Weather Radar See the radar map, temperature, wind, air quality, and allergy. View animated radar images of weather conditions at vance air force base in oklahoma. Learn how to interpret reflectivity, dbz values, and rainfall. View the current and hourly weather radar for vance air force base, ok. Zoom in and out, switch between color and composite modes,. View weather radar maps. Vance Weather Radar.
From zoom.earth
Hurricane Vance 2014 Zoom Earth Vance Weather Radar Animate, zoom, select frames, delay, and save images of precipitation, storm. View the latest radar images and weather advisories for vance air force base, oklahoma. See rain, snow, ice and lightning maps, as well as temperature, air quality and. See the radar map, temperature, wind, air quality, and allergy. View the latest radar images of precipitation and storms near vance. Vance Weather Radar.
From okfirst.mesonet.org
The Winter Weather Events of January 35, 2005 Answer 7 Vance Weather Radar View the latest radar images and weather advisories for vance air force base, oklahoma. Animate, zoom, select frames, delay, and save images of precipitation, storm. See the temperature, humidity, wind. View the current and hourly weather radar for vance air force base, ok. Zoom in and out, switch between color and composite modes,. Easy to use weather radar at your. Vance Weather Radar.
From www.djburnette.com
Storm Chase Log 10 May 2010 Storm Chasing Dorian J. Vance Weather Radar See rain, snow, ice and lightning maps, as well as temperature, air quality and. View the latest radar images and weather advisories for vance air force base, oklahoma. See the radar map, temperature, wind, air quality, and allergy. Zoom in and out, switch between color and composite modes,. View the latest radar images of precipitation and storms near vance air. Vance Weather Radar.
From mapofjoplin.pages.dev
Understanding The Power Of Weather In Motion Radar Maps Map of Joplin Vance Weather Radar Zoom in and out, switch between color and composite modes,. Animate, zoom, select frames, delay, and save images of precipitation, storm. View weather radar maps for enid, oklahoma and surrounding areas. View animated radar images of weather conditions at vance air force base in oklahoma. Easy to use weather radar at your fingertips! See rain, snow, ice and lightning maps,. Vance Weather Radar.
From www.alamy.com
Master Sgt. Richard Lawson in the Weather Center at Vance Air Force Vance Weather Radar Mesonet is a joint project of the university of. Learn how to interpret reflectivity, dbz values, and rainfall. View the latest radar images of precipitation and storms near vance air force base, oklahoma. See the radar map, temperature, wind, air quality, and allergy. Animate, zoom, select frames, delay, and save images of precipitation, storm. View the current and hourly weather. Vance Weather Radar.
From www.researchgate.net
NextGeneration Weather Radar (NEXRAD) WSR88D composite reflectivity Vance Weather Radar See the radar map, temperature, wind, air quality, and allergy. View the current and future weather conditions for vance air force base, located in enid, oklahoma. View weather radar maps for enid, oklahoma and surrounding areas. Mesonet is a joint project of the university of. Animate, zoom, select frames, delay, and save images of precipitation, storm. View the latest radar. Vance Weather Radar.
From okfirst.mesonet.org
The Winter Weather Events of January 35, 2005 Answer 7 Vance Weather Radar View animated radar images of weather conditions at vance air force base in oklahoma. Mesonet is a joint project of the university of. View the current and hourly weather radar for vance air force base, ok. Easy to use weather radar at your fingertips! Animate, zoom, select frames, delay, and save images of precipitation, storm. View weather radar maps for. Vance Weather Radar.
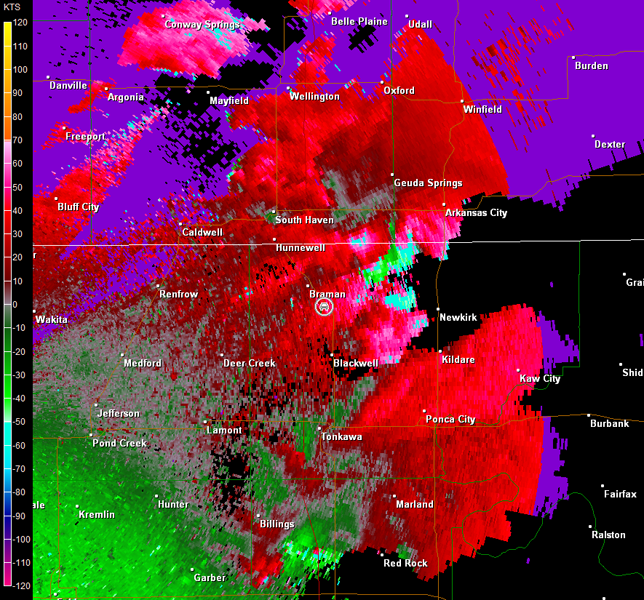
From www.spc.noaa.gov
Figure 9f. The 0.5 o reflectivity view of supercell K from the Vance Vance Weather Radar View the latest radar images and weather advisories for vance air force base, oklahoma. View the current and hourly weather radar for vance air force base, ok. Zoom in and out, switch between color and composite modes,. Mesonet is a joint project of the university of. See the temperature, humidity, wind. Learn how to interpret reflectivity, dbz values, and rainfall.. Vance Weather Radar.
From pilotpassion.com
Top 5 Aviation Weather Radars for Private Pilots Vance Weather Radar View the latest radar images and weather advisories for vance air force base, oklahoma. See rain, snow, ice and lightning maps, as well as temperature, air quality and. See the radar map, temperature, wind, air quality, and allergy. Mesonet is a joint project of the university of. View animated radar images of weather conditions at vance air force base in. Vance Weather Radar.
From www.weather.gov
The May 24, 2011 Tornado Outbreak in Oklahoma Vance Weather Radar Learn how to interpret reflectivity, dbz values, and rainfall. Easy to use weather radar at your fingertips! View the latest radar images of precipitation and storms near vance air force base, oklahoma. See the radar map, temperature, wind, air quality, and allergy. View weather radar maps for enid, oklahoma and surrounding areas. View animated radar images of weather conditions at. Vance Weather Radar.
From www.weather.com
2213477f8c3a461186f99849f9b1eacf_980x551.jpg Vance Weather Radar View the latest radar images and weather advisories for vance air force base, oklahoma. Easy to use weather radar at your fingertips! View weather radar maps for enid, oklahoma and surrounding areas. See rain, snow, ice and lightning maps, as well as temperature, air quality and. See the temperature, humidity, wind. View the current and hourly weather radar for vance. Vance Weather Radar.
From www.weather.gov
The April 1415, 2012 Great Plains Severe Weather Outbreak Vance Weather Radar See the radar map, temperature, wind, air quality, and allergy. View the current and future weather conditions for vance air force base, located in enid, oklahoma. See the temperature, humidity, wind. Zoom in and out, switch between color and composite modes,. Mesonet is a joint project of the university of. View the current and hourly weather radar for vance air. Vance Weather Radar.
From sandywalker283rumor.blogspot.com
Sandy Walker Rumor Tornado Warning Florida 2023 Vance Weather Radar Zoom in and out, switch between color and composite modes,. Learn how to interpret reflectivity, dbz values, and rainfall. Mesonet is a joint project of the university of. Animate, zoom, select frames, delay, and save images of precipitation, storm. View weather radar maps for enid, oklahoma and surrounding areas. See rain, snow, ice and lightning maps, as well as temperature,. Vance Weather Radar.
From www.timeanddate.com
Vance Peak, Colorado, USA 14 day weather forecast Vance Weather Radar View weather radar maps for enid, oklahoma and surrounding areas. See rain, snow, ice and lightning maps, as well as temperature, air quality and. View the latest radar images of precipitation and storms near vance air force base, oklahoma. See the radar map, temperature, wind, air quality, and allergy. Learn how to interpret reflectivity, dbz values, and rainfall. Easy to. Vance Weather Radar.
From www.weather.gov
Severe Thunderstorms of June 17,2010 Vance Weather Radar View animated radar images of weather conditions at vance air force base in oklahoma. View the latest radar images and weather advisories for vance air force base, oklahoma. Zoom in and out, switch between color and composite modes,. See the radar map, temperature, wind, air quality, and allergy. View the current and future weather conditions for vance air force base,. Vance Weather Radar.
From kfor.com
RADAR Follow rain, storms across the state on live radar Vance Weather Radar See rain, snow, ice and lightning maps, as well as temperature, air quality and. See the temperature, humidity, wind. View animated radar images of weather conditions at vance air force base in oklahoma. Animate, zoom, select frames, delay, and save images of precipitation, storm. View weather radar maps for enid, oklahoma and surrounding areas. View the current and hourly weather. Vance Weather Radar.