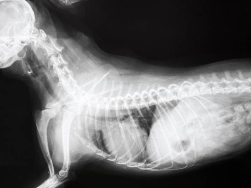
Can A Dog Die From A Collapsed Trachea . Here's how to best support your dog with this condition. The disease is caused by a defect in the cartilage rings that support the windpipe. Can dogs die from a collapsed trachea? A collapsed trachea in your dog is a serious condition, but it something that they can live with. Tracheal collapse (also known as collapsed trachea or collapsing trachea) is the narrowing of the windpipe that prevents the dog from getting enough oxygen and from getting rid of heat effectively. Dogs experiencing tracheal collapse will have: Tracheal collapse is a progressive respiratory condition that occurs when these tracheal rings of cartilage collapse. Read about how you can help your dog with this condition. In a dog with a collapsing trachea, the rings have lost some of their rigidity due to deterioration, so they squish down and enable that membrane of tissue to dip into the airway when a dog. A dry, chronic cough that makes them sounds like a honking goose; Symptoms of collapsed trachea in dogs. A dog with a collapsed trachea coughs like a honking goose.
from www.dogster.com
Tracheal collapse (also known as collapsed trachea or collapsing trachea) is the narrowing of the windpipe that prevents the dog from getting enough oxygen and from getting rid of heat effectively. A dog with a collapsed trachea coughs like a honking goose. Symptoms of collapsed trachea in dogs. The disease is caused by a defect in the cartilage rings that support the windpipe. In a dog with a collapsing trachea, the rings have lost some of their rigidity due to deterioration, so they squish down and enable that membrane of tissue to dip into the airway when a dog. A collapsed trachea in your dog is a serious condition, but it something that they can live with. A dry, chronic cough that makes them sounds like a honking goose; Here's how to best support your dog with this condition. Tracheal collapse is a progressive respiratory condition that occurs when these tracheal rings of cartilage collapse. Can dogs die from a collapsed trachea?
Tracheal Collapse in Dogs Causes, Signs & Treatment Dogster
Can A Dog Die From A Collapsed Trachea Here's how to best support your dog with this condition. A collapsed trachea in your dog is a serious condition, but it something that they can live with. Tracheal collapse (also known as collapsed trachea or collapsing trachea) is the narrowing of the windpipe that prevents the dog from getting enough oxygen and from getting rid of heat effectively. Symptoms of collapsed trachea in dogs. A dog with a collapsed trachea coughs like a honking goose. In a dog with a collapsing trachea, the rings have lost some of their rigidity due to deterioration, so they squish down and enable that membrane of tissue to dip into the airway when a dog. Can dogs die from a collapsed trachea? The disease is caused by a defect in the cartilage rings that support the windpipe. Dogs experiencing tracheal collapse will have: Tracheal collapse is a progressive respiratory condition that occurs when these tracheal rings of cartilage collapse. A dry, chronic cough that makes them sounds like a honking goose; Here's how to best support your dog with this condition. Read about how you can help your dog with this condition.
From animalia-life.club
How To Help My Dog With A Collapsed Trachea Can A Dog Die From A Collapsed Trachea Can dogs die from a collapsed trachea? In a dog with a collapsing trachea, the rings have lost some of their rigidity due to deterioration, so they squish down and enable that membrane of tissue to dip into the airway when a dog. The disease is caused by a defect in the cartilage rings that support the windpipe. Tracheal collapse. Can A Dog Die From A Collapsed Trachea.
From www.youtube.com
Tracheal Collapse in Dogs Vet Explains YouTube Can A Dog Die From A Collapsed Trachea Read about how you can help your dog with this condition. Tracheal collapse (also known as collapsed trachea or collapsing trachea) is the narrowing of the windpipe that prevents the dog from getting enough oxygen and from getting rid of heat effectively. Can dogs die from a collapsed trachea? A dog with a collapsed trachea coughs like a honking goose.. Can A Dog Die From A Collapsed Trachea.
From dogdiscoveries.com
Ask the Vet Can Dogs Die From a Collapsed Trachea? Dog Discoveries Can A Dog Die From A Collapsed Trachea A dry, chronic cough that makes them sounds like a honking goose; Here's how to best support your dog with this condition. The disease is caused by a defect in the cartilage rings that support the windpipe. Symptoms of collapsed trachea in dogs. In a dog with a collapsing trachea, the rings have lost some of their rigidity due to. Can A Dog Die From A Collapsed Trachea.
From animalia-life.club
How Is A Collapsed Trachea Treated In Dogs Can A Dog Die From A Collapsed Trachea Symptoms of collapsed trachea in dogs. A dog with a collapsed trachea coughs like a honking goose. Dogs experiencing tracheal collapse will have: A dry, chronic cough that makes them sounds like a honking goose; A collapsed trachea in your dog is a serious condition, but it something that they can live with. The disease is caused by a defect. Can A Dog Die From A Collapsed Trachea.
From animalia-life.club
How To Help My Dog With A Collapsed Trachea Can A Dog Die From A Collapsed Trachea A dog with a collapsed trachea coughs like a honking goose. Symptoms of collapsed trachea in dogs. Tracheal collapse (also known as collapsed trachea or collapsing trachea) is the narrowing of the windpipe that prevents the dog from getting enough oxygen and from getting rid of heat effectively. A collapsed trachea in your dog is a serious condition, but it. Can A Dog Die From A Collapsed Trachea.
From vcahospitals.com
Tracheal Collapse in Dogs VCA Animal Hospital Can A Dog Die From A Collapsed Trachea A collapsed trachea in your dog is a serious condition, but it something that they can live with. Tracheal collapse (also known as collapsed trachea or collapsing trachea) is the narrowing of the windpipe that prevents the dog from getting enough oxygen and from getting rid of heat effectively. A dog with a collapsed trachea coughs like a honking goose.. Can A Dog Die From A Collapsed Trachea.
From dtlavets.com
Tracheal Collapse in Dogs dtlavets Can A Dog Die From A Collapsed Trachea Read about how you can help your dog with this condition. A dry, chronic cough that makes them sounds like a honking goose; Tracheal collapse (also known as collapsed trachea or collapsing trachea) is the narrowing of the windpipe that prevents the dog from getting enough oxygen and from getting rid of heat effectively. Tracheal collapse is a progressive respiratory. Can A Dog Die From A Collapsed Trachea.
From animalia-life.club
Can A Dog Recover From A Collapsed Trachea Can A Dog Die From A Collapsed Trachea Read about how you can help your dog with this condition. The disease is caused by a defect in the cartilage rings that support the windpipe. Tracheal collapse is a progressive respiratory condition that occurs when these tracheal rings of cartilage collapse. A dog with a collapsed trachea coughs like a honking goose. Symptoms of collapsed trachea in dogs. A. Can A Dog Die From A Collapsed Trachea.
From todaysveterinarypractice.com
Tracheal Collapse Today's Veterinary Practice Can A Dog Die From A Collapsed Trachea A dry, chronic cough that makes them sounds like a honking goose; Can dogs die from a collapsed trachea? The disease is caused by a defect in the cartilage rings that support the windpipe. A collapsed trachea in your dog is a serious condition, but it something that they can live with. Tracheal collapse is a progressive respiratory condition that. Can A Dog Die From A Collapsed Trachea.
From exotdaqog.blob.core.windows.net
What Can You Do For A Dog With A Collapsed Trachea at James Gibson blog Can A Dog Die From A Collapsed Trachea Tracheal collapse (also known as collapsed trachea or collapsing trachea) is the narrowing of the windpipe that prevents the dog from getting enough oxygen and from getting rid of heat effectively. Dogs experiencing tracheal collapse will have: Read about how you can help your dog with this condition. A dog with a collapsed trachea coughs like a honking goose. Here's. Can A Dog Die From A Collapsed Trachea.
From www.pinterest.com
Collapsed Trachea in Pets How You Can Support Your Pet Naturally Can A Dog Die From A Collapsed Trachea In a dog with a collapsing trachea, the rings have lost some of their rigidity due to deterioration, so they squish down and enable that membrane of tissue to dip into the airway when a dog. A collapsed trachea in your dog is a serious condition, but it something that they can live with. A dog with a collapsed trachea. Can A Dog Die From A Collapsed Trachea.
From learnaboutpet.com
When To Euthanize A Dog With Tracheal Collapse? 4 Conclusive Canine Can A Dog Die From A Collapsed Trachea Tracheal collapse is a progressive respiratory condition that occurs when these tracheal rings of cartilage collapse. Read about how you can help your dog with this condition. In a dog with a collapsing trachea, the rings have lost some of their rigidity due to deterioration, so they squish down and enable that membrane of tissue to dip into the airway. Can A Dog Die From A Collapsed Trachea.
From k9.rocks
19 Facts About Dogs with Collapsed Tracheas K9 Rocks Can A Dog Die From A Collapsed Trachea Dogs experiencing tracheal collapse will have: A collapsed trachea in your dog is a serious condition, but it something that they can live with. Here's how to best support your dog with this condition. A dog with a collapsed trachea coughs like a honking goose. Symptoms of collapsed trachea in dogs. Tracheal collapse (also known as collapsed trachea or collapsing. Can A Dog Die From A Collapsed Trachea.
From petsynse.com
Collapsed Trachea In Dogs Causes, Symptoms & Treatment Petsynse Can A Dog Die From A Collapsed Trachea Here's how to best support your dog with this condition. Symptoms of collapsed trachea in dogs. Can dogs die from a collapsed trachea? Tracheal collapse is a progressive respiratory condition that occurs when these tracheal rings of cartilage collapse. Read about how you can help your dog with this condition. Dogs experiencing tracheal collapse will have: A dry, chronic cough. Can A Dog Die From A Collapsed Trachea.
From animalia-life.club
Can Dogs Die From Tracheal Collapse Can A Dog Die From A Collapsed Trachea A collapsed trachea in your dog is a serious condition, but it something that they can live with. Here's how to best support your dog with this condition. Symptoms of collapsed trachea in dogs. Can dogs die from a collapsed trachea? Tracheal collapse (also known as collapsed trachea or collapsing trachea) is the narrowing of the windpipe that prevents the. Can A Dog Die From A Collapsed Trachea.
From puppysimply.com
Understand the Lifespan of Dogs With Collapsed Trachea Can A Dog Die From A Collapsed Trachea Can dogs die from a collapsed trachea? A dry, chronic cough that makes them sounds like a honking goose; A dog with a collapsed trachea coughs like a honking goose. In a dog with a collapsing trachea, the rings have lost some of their rigidity due to deterioration, so they squish down and enable that membrane of tissue to dip. Can A Dog Die From A Collapsed Trachea.
From pethelpful.com
Collapsed Tracheas in Dogs PetHelpful Can A Dog Die From A Collapsed Trachea Dogs experiencing tracheal collapse will have: In a dog with a collapsing trachea, the rings have lost some of their rigidity due to deterioration, so they squish down and enable that membrane of tissue to dip into the airway when a dog. A collapsed trachea in your dog is a serious condition, but it something that they can live with.. Can A Dog Die From A Collapsed Trachea.
From tierarzt-karlsruhe-durlach.de
Tracheal collapse (collapsed windpipe) in dogs Veterinarian Karlsruhe Can A Dog Die From A Collapsed Trachea A dry, chronic cough that makes them sounds like a honking goose; Here's how to best support your dog with this condition. A dog with a collapsed trachea coughs like a honking goose. Read about how you can help your dog with this condition. Tracheal collapse (also known as collapsed trachea or collapsing trachea) is the narrowing of the windpipe. Can A Dog Die From A Collapsed Trachea.
From animalia-life.club
Can A Dog Recover From A Collapsed Trachea Can A Dog Die From A Collapsed Trachea Can dogs die from a collapsed trachea? Tracheal collapse is a progressive respiratory condition that occurs when these tracheal rings of cartilage collapse. Symptoms of collapsed trachea in dogs. Dogs experiencing tracheal collapse will have: Here's how to best support your dog with this condition. A dry, chronic cough that makes them sounds like a honking goose; Read about how. Can A Dog Die From A Collapsed Trachea.
From animalia-life.club
Can A Dog Recover From A Collapsed Trachea Can A Dog Die From A Collapsed Trachea Here's how to best support your dog with this condition. A dog with a collapsed trachea coughs like a honking goose. Can dogs die from a collapsed trachea? Symptoms of collapsed trachea in dogs. The disease is caused by a defect in the cartilage rings that support the windpipe. A dry, chronic cough that makes them sounds like a honking. Can A Dog Die From A Collapsed Trachea.
From www.cliniciansbrief.com
Tracheal Collapse in a Dog Clinician's Brief Can A Dog Die From A Collapsed Trachea Dogs experiencing tracheal collapse will have: A dry, chronic cough that makes them sounds like a honking goose; Tracheal collapse (also known as collapsed trachea or collapsing trachea) is the narrowing of the windpipe that prevents the dog from getting enough oxygen and from getting rid of heat effectively. Read about how you can help your dog with this condition.. Can A Dog Die From A Collapsed Trachea.
From todaysveterinarypractice.com
Tracheal Collapse Today's Veterinary Practice Can A Dog Die From A Collapsed Trachea A collapsed trachea in your dog is a serious condition, but it something that they can live with. In a dog with a collapsing trachea, the rings have lost some of their rigidity due to deterioration, so they squish down and enable that membrane of tissue to dip into the airway when a dog. Read about how you can help. Can A Dog Die From A Collapsed Trachea.
From animalia-life.club
Can A Dog Recover From A Collapsed Trachea Can A Dog Die From A Collapsed Trachea Read about how you can help your dog with this condition. Tracheal collapse is a progressive respiratory condition that occurs when these tracheal rings of cartilage collapse. Here's how to best support your dog with this condition. A dry, chronic cough that makes them sounds like a honking goose; Tracheal collapse (also known as collapsed trachea or collapsing trachea) is. Can A Dog Die From A Collapsed Trachea.
From exotdaqog.blob.core.windows.net
What Can You Do For A Dog With A Collapsed Trachea at James Gibson blog Can A Dog Die From A Collapsed Trachea Tracheal collapse (also known as collapsed trachea or collapsing trachea) is the narrowing of the windpipe that prevents the dog from getting enough oxygen and from getting rid of heat effectively. A collapsed trachea in your dog is a serious condition, but it something that they can live with. Here's how to best support your dog with this condition. Can. Can A Dog Die From A Collapsed Trachea.
From www.dogster.com
Tracheal Collapse in Dogs Causes, Signs & Treatment Dogster Can A Dog Die From A Collapsed Trachea Symptoms of collapsed trachea in dogs. A dog with a collapsed trachea coughs like a honking goose. Tracheal collapse is a progressive respiratory condition that occurs when these tracheal rings of cartilage collapse. Dogs experiencing tracheal collapse will have: In a dog with a collapsing trachea, the rings have lost some of their rigidity due to deterioration, so they squish. Can A Dog Die From A Collapsed Trachea.
From animalia-life.club
Can A Dog Recover From A Collapsed Trachea Can A Dog Die From A Collapsed Trachea Symptoms of collapsed trachea in dogs. Read about how you can help your dog with this condition. In a dog with a collapsing trachea, the rings have lost some of their rigidity due to deterioration, so they squish down and enable that membrane of tissue to dip into the airway when a dog. A dry, chronic cough that makes them. Can A Dog Die From A Collapsed Trachea.
From ourpetshealth.com
Tracheal Collapse in Dogs a Complete Guide — Our Pet's Health Can A Dog Die From A Collapsed Trachea Dogs experiencing tracheal collapse will have: Can dogs die from a collapsed trachea? Here's how to best support your dog with this condition. A collapsed trachea in your dog is a serious condition, but it something that they can live with. A dry, chronic cough that makes them sounds like a honking goose; Tracheal collapse (also known as collapsed trachea. Can A Dog Die From A Collapsed Trachea.
From animalia-life.club
Can Dogs Die From Tracheal Collapse Can A Dog Die From A Collapsed Trachea Here's how to best support your dog with this condition. The disease is caused by a defect in the cartilage rings that support the windpipe. In a dog with a collapsing trachea, the rings have lost some of their rigidity due to deterioration, so they squish down and enable that membrane of tissue to dip into the airway when a. Can A Dog Die From A Collapsed Trachea.
From animalia-life.club
Can A Dog Recover From A Collapsed Trachea Can A Dog Die From A Collapsed Trachea Tracheal collapse is a progressive respiratory condition that occurs when these tracheal rings of cartilage collapse. A collapsed trachea in your dog is a serious condition, but it something that they can live with. A dog with a collapsed trachea coughs like a honking goose. Dogs experiencing tracheal collapse will have: Can dogs die from a collapsed trachea? Tracheal collapse. Can A Dog Die From A Collapsed Trachea.
From animalia-life.club
Can A Dog Recover From A Collapsed Trachea Can A Dog Die From A Collapsed Trachea Dogs experiencing tracheal collapse will have: A dog with a collapsed trachea coughs like a honking goose. A dry, chronic cough that makes them sounds like a honking goose; Tracheal collapse (also known as collapsed trachea or collapsing trachea) is the narrowing of the windpipe that prevents the dog from getting enough oxygen and from getting rid of heat effectively.. Can A Dog Die From A Collapsed Trachea.
From animalia-life.club
Is A Collapsed Trachea In Dogs Painful Can A Dog Die From A Collapsed Trachea Tracheal collapse is a progressive respiratory condition that occurs when these tracheal rings of cartilage collapse. In a dog with a collapsing trachea, the rings have lost some of their rigidity due to deterioration, so they squish down and enable that membrane of tissue to dip into the airway when a dog. The disease is caused by a defect in. Can A Dog Die From A Collapsed Trachea.
From dunedinamc.com
Tracheal Collapse in Dogs Dunedin Animal Medical Center Can A Dog Die From A Collapsed Trachea A collapsed trachea in your dog is a serious condition, but it something that they can live with. The disease is caused by a defect in the cartilage rings that support the windpipe. A dry, chronic cough that makes them sounds like a honking goose; Tracheal collapse is a progressive respiratory condition that occurs when these tracheal rings of cartilage. Can A Dog Die From A Collapsed Trachea.
From ourpetshealth.com
Tracheal Collapse in Dogs a Complete Guide — Our Pet's Health Can A Dog Die From A Collapsed Trachea Tracheal collapse is a progressive respiratory condition that occurs when these tracheal rings of cartilage collapse. In a dog with a collapsing trachea, the rings have lost some of their rigidity due to deterioration, so they squish down and enable that membrane of tissue to dip into the airway when a dog. The disease is caused by a defect in. Can A Dog Die From A Collapsed Trachea.
From www.vetsmall.theclinics.com
An Update on Tracheal and Airway Collapse in Dogs Veterinary Clinics Can A Dog Die From A Collapsed Trachea A dog with a collapsed trachea coughs like a honking goose. In a dog with a collapsing trachea, the rings have lost some of their rigidity due to deterioration, so they squish down and enable that membrane of tissue to dip into the airway when a dog. The disease is caused by a defect in the cartilage rings that support. Can A Dog Die From A Collapsed Trachea.
From animalia-life.club
Can A Dog Recover From A Collapsed Trachea Can A Dog Die From A Collapsed Trachea Can dogs die from a collapsed trachea? A dry, chronic cough that makes them sounds like a honking goose; In a dog with a collapsing trachea, the rings have lost some of their rigidity due to deterioration, so they squish down and enable that membrane of tissue to dip into the airway when a dog. Symptoms of collapsed trachea in. Can A Dog Die From A Collapsed Trachea.