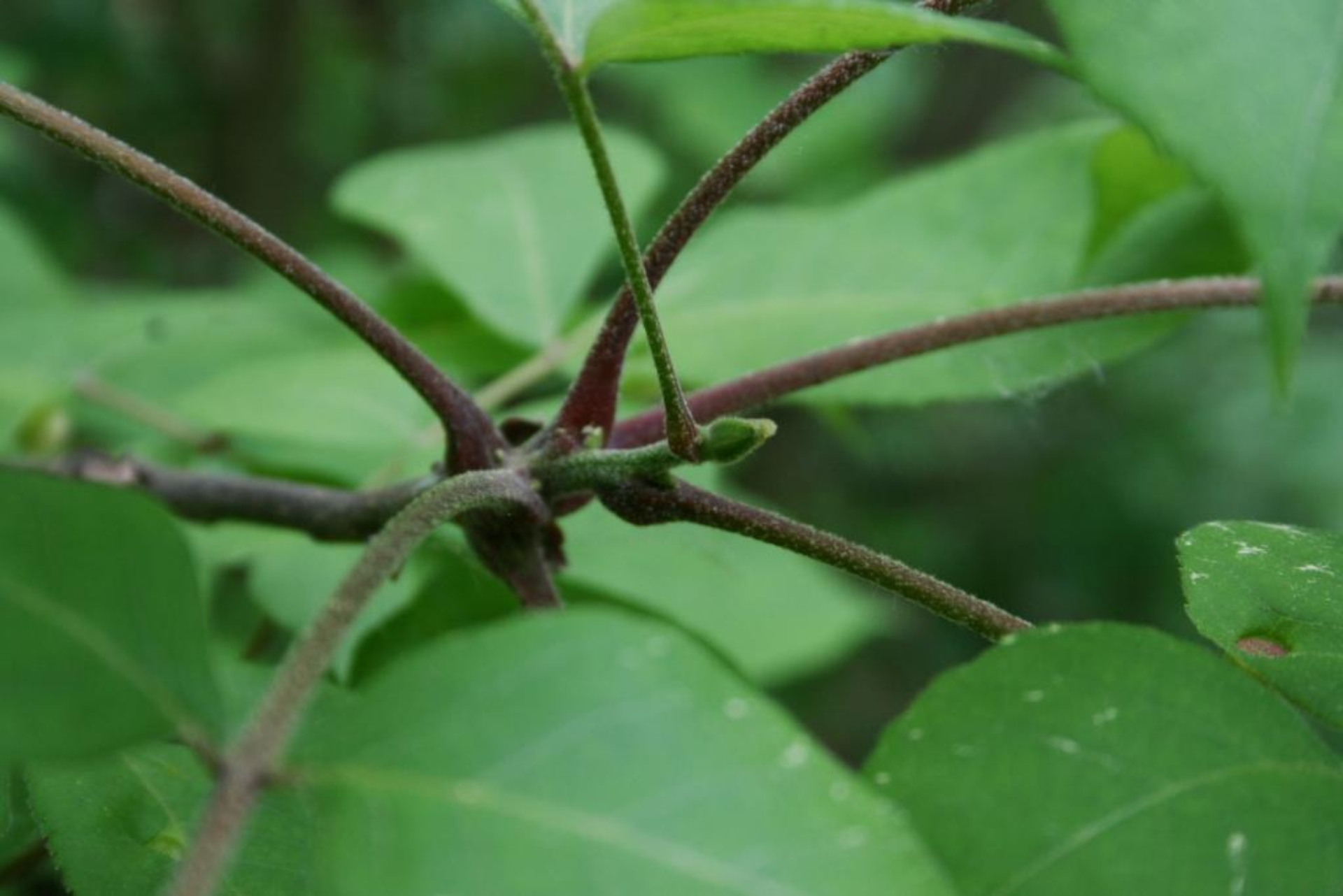
Nutmeg Hickory Buds . Ala., ark., la., miss., n.c.,. Intermediate in character between the true and pecan hickories, it has the potential to make handsome. The bud scales of nutmeg hickory are valvate, while those of sand hickory are imbricate. No other hickory species has twigs, buds, leaves, and nuts coated with golden or silvery metallic scales. Nutmeg hickory is one of the most easily recognized carya species, having characteristics of buds, leaves, fruit and bark which are. Nutmeg hickory is a most uncommon tree, both in the wild and in cultivation. The more closely related bitternut hickory (carya. Nutmeg hickory is one of the most easily recognized carya species, having characteristics of buds, leaves, fruit and bark which are. River bottomlands, edges of streams, bluffs, and hillsides, often on calcareous prairie soils and marl ridges; Pale hickory (carya pallida) leaflets.
from richmondtreestewards.org
Nutmeg hickory is one of the most easily recognized carya species, having characteristics of buds, leaves, fruit and bark which are. Intermediate in character between the true and pecan hickories, it has the potential to make handsome. Pale hickory (carya pallida) leaflets. Nutmeg hickory is a most uncommon tree, both in the wild and in cultivation. No other hickory species has twigs, buds, leaves, and nuts coated with golden or silvery metallic scales. River bottomlands, edges of streams, bluffs, and hillsides, often on calcareous prairie soils and marl ridges; The more closely related bitternut hickory (carya. Nutmeg hickory is one of the most easily recognized carya species, having characteristics of buds, leaves, fruit and bark which are. Ala., ark., la., miss., n.c.,. The bud scales of nutmeg hickory are valvate, while those of sand hickory are imbricate.
hickory buds Richmond Tree Stewards
Nutmeg Hickory Buds No other hickory species has twigs, buds, leaves, and nuts coated with golden or silvery metallic scales. Nutmeg hickory is a most uncommon tree, both in the wild and in cultivation. Nutmeg hickory is one of the most easily recognized carya species, having characteristics of buds, leaves, fruit and bark which are. Intermediate in character between the true and pecan hickories, it has the potential to make handsome. The more closely related bitternut hickory (carya. Ala., ark., la., miss., n.c.,. No other hickory species has twigs, buds, leaves, and nuts coated with golden or silvery metallic scales. River bottomlands, edges of streams, bluffs, and hillsides, often on calcareous prairie soils and marl ridges; The bud scales of nutmeg hickory are valvate, while those of sand hickory are imbricate. Nutmeg hickory is one of the most easily recognized carya species, having characteristics of buds, leaves, fruit and bark which are. Pale hickory (carya pallida) leaflets.
From badgersettresearch.blogspot.com
The Badgersett Growers Blog Hickory buds Nutmeg Hickory Buds Ala., ark., la., miss., n.c.,. Pale hickory (carya pallida) leaflets. Nutmeg hickory is one of the most easily recognized carya species, having characteristics of buds, leaves, fruit and bark which are. Nutmeg hickory is a most uncommon tree, both in the wild and in cultivation. The more closely related bitternut hickory (carya. The bud scales of nutmeg hickory are valvate,. Nutmeg Hickory Buds.
From mortonarb.org
Mockernut hickory The Morton Arboretum Nutmeg Hickory Buds Pale hickory (carya pallida) leaflets. The more closely related bitternut hickory (carya. Intermediate in character between the true and pecan hickories, it has the potential to make handsome. Nutmeg hickory is one of the most easily recognized carya species, having characteristics of buds, leaves, fruit and bark which are. Nutmeg hickory is a most uncommon tree, both in the wild. Nutmeg Hickory Buds.
From www.dreamstime.com
Pignut Hickory Leaf Bud 19 stock photo. Image of nature 230832050 Nutmeg Hickory Buds Nutmeg hickory is one of the most easily recognized carya species, having characteristics of buds, leaves, fruit and bark which are. The bud scales of nutmeg hickory are valvate, while those of sand hickory are imbricate. Pale hickory (carya pallida) leaflets. Ala., ark., la., miss., n.c.,. Nutmeg hickory is one of the most easily recognized carya species, having characteristics of. Nutmeg Hickory Buds.
From richmondtreestewards.org
hickory buds Richmond Tree Stewards Nutmeg Hickory Buds Nutmeg hickory is one of the most easily recognized carya species, having characteristics of buds, leaves, fruit and bark which are. The more closely related bitternut hickory (carya. No other hickory species has twigs, buds, leaves, and nuts coated with golden or silvery metallic scales. Nutmeg hickory is one of the most easily recognized carya species, having characteristics of buds,. Nutmeg Hickory Buds.
From www.dreamstime.com
Pignut Hickory Leaf Bud 16 stock image. Image of leaf 230832027 Nutmeg Hickory Buds Ala., ark., la., miss., n.c.,. Pale hickory (carya pallida) leaflets. Nutmeg hickory is a most uncommon tree, both in the wild and in cultivation. Nutmeg hickory is one of the most easily recognized carya species, having characteristics of buds, leaves, fruit and bark which are. Nutmeg hickory is one of the most easily recognized carya species, having characteristics of buds,. Nutmeg Hickory Buds.
From www.lireo.com
Photo of the Week Shagbark Hickory in Spring Lireo Designs Nutmeg Hickory Buds Ala., ark., la., miss., n.c.,. Pale hickory (carya pallida) leaflets. Nutmeg hickory is a most uncommon tree, both in the wild and in cultivation. The bud scales of nutmeg hickory are valvate, while those of sand hickory are imbricate. Nutmeg hickory is one of the most easily recognized carya species, having characteristics of buds, leaves, fruit and bark which are.. Nutmeg Hickory Buds.
From wondermyway.com
The Dividends of Noticing wondermyway Nutmeg Hickory Buds Pale hickory (carya pallida) leaflets. Ala., ark., la., miss., n.c.,. The bud scales of nutmeg hickory are valvate, while those of sand hickory are imbricate. No other hickory species has twigs, buds, leaves, and nuts coated with golden or silvery metallic scales. Nutmeg hickory is a most uncommon tree, both in the wild and in cultivation. The more closely related. Nutmeg Hickory Buds.
From leafyplace.com
Hickory Trees Types, Bark, Leaves, Nuts (Pictures) Identification Guide Nutmeg Hickory Buds Nutmeg hickory is one of the most easily recognized carya species, having characteristics of buds, leaves, fruit and bark which are. Ala., ark., la., miss., n.c.,. Nutmeg hickory is a most uncommon tree, both in the wild and in cultivation. No other hickory species has twigs, buds, leaves, and nuts coated with golden or silvery metallic scales. The bud scales. Nutmeg Hickory Buds.
From www.etsy.com
Nutmeg Myristica Fragrans Hickory Nut Bitternut Mockernut Etsy Nutmeg Hickory Buds Nutmeg hickory is one of the most easily recognized carya species, having characteristics of buds, leaves, fruit and bark which are. Pale hickory (carya pallida) leaflets. Nutmeg hickory is a most uncommon tree, both in the wild and in cultivation. The bud scales of nutmeg hickory are valvate, while those of sand hickory are imbricate. Nutmeg hickory is one of. Nutmeg Hickory Buds.
From www.dreamstime.com
Pignut Hickory Leaf Bud 16 stock image. Image of leaf 230832027 Nutmeg Hickory Buds Nutmeg hickory is one of the most easily recognized carya species, having characteristics of buds, leaves, fruit and bark which are. Nutmeg hickory is a most uncommon tree, both in the wild and in cultivation. Ala., ark., la., miss., n.c.,. River bottomlands, edges of streams, bluffs, and hillsides, often on calcareous prairie soils and marl ridges; Intermediate in character between. Nutmeg Hickory Buds.
From etc.usf.edu
Branch of Nutmeg Hickory ClipArt ETC Nutmeg Hickory Buds Ala., ark., la., miss., n.c.,. The bud scales of nutmeg hickory are valvate, while those of sand hickory are imbricate. Nutmeg hickory is one of the most easily recognized carya species, having characteristics of buds, leaves, fruit and bark which are. Nutmeg hickory is a most uncommon tree, both in the wild and in cultivation. Nutmeg hickory is one of. Nutmeg Hickory Buds.
From ssl.acesag.auburn.edu
Plant Database Nutmeg Hickory Nutmeg Hickory Buds The more closely related bitternut hickory (carya. No other hickory species has twigs, buds, leaves, and nuts coated with golden or silvery metallic scales. Pale hickory (carya pallida) leaflets. River bottomlands, edges of streams, bluffs, and hillsides, often on calcareous prairie soils and marl ridges; Ala., ark., la., miss., n.c.,. Nutmeg hickory is one of the most easily recognized carya. Nutmeg Hickory Buds.
From treescanadensis.ca
Carya cordiformis Bitternut Hickory Trees Canadensis Nutmeg Hickory Buds The more closely related bitternut hickory (carya. Ala., ark., la., miss., n.c.,. No other hickory species has twigs, buds, leaves, and nuts coated with golden or silvery metallic scales. Nutmeg hickory is a most uncommon tree, both in the wild and in cultivation. Nutmeg hickory is one of the most easily recognized carya species, having characteristics of buds, leaves, fruit. Nutmeg Hickory Buds.
From dawesarb.arboretumexplorer.org
Carya myristiciformis nutmeg hickory The Dawes Arboretum Nutmeg Hickory Buds Nutmeg hickory is one of the most easily recognized carya species, having characteristics of buds, leaves, fruit and bark which are. Nutmeg hickory is a most uncommon tree, both in the wild and in cultivation. Ala., ark., la., miss., n.c.,. Nutmeg hickory is one of the most easily recognized carya species, having characteristics of buds, leaves, fruit and bark which. Nutmeg Hickory Buds.
From davesgarden.com
PlantFiles Pictures Carya Species, Shagbark Hickory, Shellbark Hickory Nutmeg Hickory Buds River bottomlands, edges of streams, bluffs, and hillsides, often on calcareous prairie soils and marl ridges; The more closely related bitternut hickory (carya. Pale hickory (carya pallida) leaflets. Nutmeg hickory is one of the most easily recognized carya species, having characteristics of buds, leaves, fruit and bark which are. The bud scales of nutmeg hickory are valvate, while those of. Nutmeg Hickory Buds.
From plants.ces.ncsu.edu
Carya tomentosa (Bigbud Hickory, Mockernut Hickory, Squarenut, White Nutmeg Hickory Buds The more closely related bitternut hickory (carya. Intermediate in character between the true and pecan hickories, it has the potential to make handsome. Nutmeg hickory is one of the most easily recognized carya species, having characteristics of buds, leaves, fruit and bark which are. River bottomlands, edges of streams, bluffs, and hillsides, often on calcareous prairie soils and marl ridges;. Nutmeg Hickory Buds.
From www.russelltreeexperts.com
Russell Tree Experts — Are Hickory nuts better than Pecans? Nutmeg Hickory Buds River bottomlands, edges of streams, bluffs, and hillsides, often on calcareous prairie soils and marl ridges; Pale hickory (carya pallida) leaflets. The bud scales of nutmeg hickory are valvate, while those of sand hickory are imbricate. Ala., ark., la., miss., n.c.,. Nutmeg hickory is one of the most easily recognized carya species, having characteristics of buds, leaves, fruit and bark. Nutmeg Hickory Buds.
From regionalgardening.com
5 Native Hickory Trees In Oklahoma (Photos & Identification) Regional Nutmeg Hickory Buds The bud scales of nutmeg hickory are valvate, while those of sand hickory are imbricate. The more closely related bitternut hickory (carya. No other hickory species has twigs, buds, leaves, and nuts coated with golden or silvery metallic scales. River bottomlands, edges of streams, bluffs, and hillsides, often on calcareous prairie soils and marl ridges; Nutmeg hickory is one of. Nutmeg Hickory Buds.
From plants.ces.ncsu.edu
Carya myristiciformis (Bitter Hickory, Bitter Water Hickory, Nutmeg Nutmeg Hickory Buds The bud scales of nutmeg hickory are valvate, while those of sand hickory are imbricate. No other hickory species has twigs, buds, leaves, and nuts coated with golden or silvery metallic scales. The more closely related bitternut hickory (carya. Ala., ark., la., miss., n.c.,. Nutmeg hickory is a most uncommon tree, both in the wild and in cultivation. Nutmeg hickory. Nutmeg Hickory Buds.
From www.flickr.com
Carya myristiciformis (Nutmeg Hickory) Bud 3 Carya myristi… Flickr Nutmeg Hickory Buds Nutmeg hickory is a most uncommon tree, both in the wild and in cultivation. Nutmeg hickory is one of the most easily recognized carya species, having characteristics of buds, leaves, fruit and bark which are. River bottomlands, edges of streams, bluffs, and hillsides, often on calcareous prairie soils and marl ridges; Intermediate in character between the true and pecan hickories,. Nutmeg Hickory Buds.
From www.sfadendro.com
SFA Dendro Juglandaceae Carya myristiciformis nutmeg hickory (Lab 11) Nutmeg Hickory Buds River bottomlands, edges of streams, bluffs, and hillsides, often on calcareous prairie soils and marl ridges; Nutmeg hickory is a most uncommon tree, both in the wild and in cultivation. The more closely related bitternut hickory (carya. The bud scales of nutmeg hickory are valvate, while those of sand hickory are imbricate. Nutmeg hickory is one of the most easily. Nutmeg Hickory Buds.
From www.dreamstime.com
Pignut Hickory Leaf Bud 07 stock photo. Image of natural 230831866 Nutmeg Hickory Buds Pale hickory (carya pallida) leaflets. Nutmeg hickory is a most uncommon tree, both in the wild and in cultivation. The more closely related bitternut hickory (carya. River bottomlands, edges of streams, bluffs, and hillsides, often on calcareous prairie soils and marl ridges; Nutmeg hickory is one of the most easily recognized carya species, having characteristics of buds, leaves, fruit and. Nutmeg Hickory Buds.
From www.alamy.com
Shagbark hickory leaf buds, in deciduous spring forest Stock Photo Alamy Nutmeg Hickory Buds Nutmeg hickory is one of the most easily recognized carya species, having characteristics of buds, leaves, fruit and bark which are. Nutmeg hickory is a most uncommon tree, both in the wild and in cultivation. Ala., ark., la., miss., n.c.,. Pale hickory (carya pallida) leaflets. The more closely related bitternut hickory (carya. No other hickory species has twigs, buds, leaves,. Nutmeg Hickory Buds.
From sheffields.com
Carya myristiciformis Hardwood Nutmeg Hickory Nutmeg Hickory Buds Nutmeg hickory is one of the most easily recognized carya species, having characteristics of buds, leaves, fruit and bark which are. Ala., ark., la., miss., n.c.,. The more closely related bitternut hickory (carya. Nutmeg hickory is a most uncommon tree, both in the wild and in cultivation. Nutmeg hickory is one of the most easily recognized carya species, having characteristics. Nutmeg Hickory Buds.
From davesgarden.com
PlantFiles Pictures Bitternut Hickory, Yellowbud Hickory (Carya Nutmeg Hickory Buds River bottomlands, edges of streams, bluffs, and hillsides, often on calcareous prairie soils and marl ridges; Nutmeg hickory is one of the most easily recognized carya species, having characteristics of buds, leaves, fruit and bark which are. Nutmeg hickory is a most uncommon tree, both in the wild and in cultivation. Intermediate in character between the true and pecan hickories,. Nutmeg Hickory Buds.
From www.inaturalist.org
nutmeg hickory in June 2023 by John Kees · iNaturalist Nutmeg Hickory Buds The more closely related bitternut hickory (carya. Intermediate in character between the true and pecan hickories, it has the potential to make handsome. The bud scales of nutmeg hickory are valvate, while those of sand hickory are imbricate. No other hickory species has twigs, buds, leaves, and nuts coated with golden or silvery metallic scales. Ala., ark., la., miss., n.c.,.. Nutmeg Hickory Buds.
From www.dreamstime.com
Pignut Hickory Leaf Bud 10 stock photo. Image of outdoor 230831956 Nutmeg Hickory Buds Pale hickory (carya pallida) leaflets. Nutmeg hickory is one of the most easily recognized carya species, having characteristics of buds, leaves, fruit and bark which are. The more closely related bitternut hickory (carya. Intermediate in character between the true and pecan hickories, it has the potential to make handsome. Ala., ark., la., miss., n.c.,. The bud scales of nutmeg hickory. Nutmeg Hickory Buds.
From www.dreamstime.com
Pignut Hickory Leaf Bud 05 stock photo. Image of branch 230831840 Nutmeg Hickory Buds Pale hickory (carya pallida) leaflets. The bud scales of nutmeg hickory are valvate, while those of sand hickory are imbricate. No other hickory species has twigs, buds, leaves, and nuts coated with golden or silvery metallic scales. Intermediate in character between the true and pecan hickories, it has the potential to make handsome. Ala., ark., la., miss., n.c.,. The more. Nutmeg Hickory Buds.
From www.flickr.com
Bitternut Hickory Carya cordiformis colcrk_1193 yellowbud… Flickr Nutmeg Hickory Buds Nutmeg hickory is one of the most easily recognized carya species, having characteristics of buds, leaves, fruit and bark which are. River bottomlands, edges of streams, bluffs, and hillsides, often on calcareous prairie soils and marl ridges; Ala., ark., la., miss., n.c.,. Nutmeg hickory is a most uncommon tree, both in the wild and in cultivation. Nutmeg hickory is one. Nutmeg Hickory Buds.
From ssl.acesag.auburn.edu
Plant Database Nutmeg Hickory Nutmeg Hickory Buds Ala., ark., la., miss., n.c.,. No other hickory species has twigs, buds, leaves, and nuts coated with golden or silvery metallic scales. Nutmeg hickory is a most uncommon tree, both in the wild and in cultivation. Intermediate in character between the true and pecan hickories, it has the potential to make handsome. Nutmeg hickory is one of the most easily. Nutmeg Hickory Buds.
From www.gabotsoc.org
Hickory Collage Photos Botanical Society Nutmeg Hickory Buds The more closely related bitternut hickory (carya. No other hickory species has twigs, buds, leaves, and nuts coated with golden or silvery metallic scales. Nutmeg hickory is one of the most easily recognized carya species, having characteristics of buds, leaves, fruit and bark which are. Nutmeg hickory is a most uncommon tree, both in the wild and in cultivation. Intermediate. Nutmeg Hickory Buds.
From gobotany.nativeplanttrust.org
Carya ovata (shagbark hickory) Go Botany Nutmeg Hickory Buds Ala., ark., la., miss., n.c.,. Nutmeg hickory is one of the most easily recognized carya species, having characteristics of buds, leaves, fruit and bark which are. River bottomlands, edges of streams, bluffs, and hillsides, often on calcareous prairie soils and marl ridges; No other hickory species has twigs, buds, leaves, and nuts coated with golden or silvery metallic scales. Intermediate. Nutmeg Hickory Buds.
From www.dreamstime.com
Pignut Hickory Leaf Bud 16 stock image. Image of leaf 230832027 Nutmeg Hickory Buds Nutmeg hickory is one of the most easily recognized carya species, having characteristics of buds, leaves, fruit and bark which are. River bottomlands, edges of streams, bluffs, and hillsides, often on calcareous prairie soils and marl ridges; The more closely related bitternut hickory (carya. Intermediate in character between the true and pecan hickories, it has the potential to make handsome.. Nutmeg Hickory Buds.
From footstepsintheforest.com
The Mockernut Hickory Tree Footsteps in the Forest Nutmeg Hickory Buds Intermediate in character between the true and pecan hickories, it has the potential to make handsome. Nutmeg hickory is one of the most easily recognized carya species, having characteristics of buds, leaves, fruit and bark which are. Nutmeg hickory is a most uncommon tree, both in the wild and in cultivation. Nutmeg hickory is one of the most easily recognized. Nutmeg Hickory Buds.
From www.flickr.com
Carya myristiciformis (Nutmeg Hickory) Carya myristiciform… Flickr Nutmeg Hickory Buds Nutmeg hickory is a most uncommon tree, both in the wild and in cultivation. No other hickory species has twigs, buds, leaves, and nuts coated with golden or silvery metallic scales. Nutmeg hickory is one of the most easily recognized carya species, having characteristics of buds, leaves, fruit and bark which are. Pale hickory (carya pallida) leaflets. Nutmeg hickory is. Nutmeg Hickory Buds.