Pipestone Manitoba Tornado . a tornado that swept through southwestern manitoba friday left two people dead and one person injured. remembering the legendary pipestone, manitoba #tornado that happened 15 years ago today as a supercell dropped. after the elie storm, a few more tornadoes ripped through different parts of manitoba the next day including elie and pipestone. Locals spent saturday cleaning up the wreckage. several tornadoes occurred on june 23, 2007 in southern manitoba. on this day 11 years ago, june 23, 2007, was my first storm chase north of the border in canada, intercepting this. Two of the strongest tornadoes recorded were.
from twitter.com
Two of the strongest tornadoes recorded were. several tornadoes occurred on june 23, 2007 in southern manitoba. on this day 11 years ago, june 23, 2007, was my first storm chase north of the border in canada, intercepting this. remembering the legendary pipestone, manitoba #tornado that happened 15 years ago today as a supercell dropped. after the elie storm, a few more tornadoes ripped through different parts of manitoba the next day including elie and pipestone. Locals spent saturday cleaning up the wreckage. a tornado that swept through southwestern manitoba friday left two people dead and one person injured.
Nicholas Krasznavolgyi on Twitter "Four intense (EF3+) tornadoes in
Pipestone Manitoba Tornado remembering the legendary pipestone, manitoba #tornado that happened 15 years ago today as a supercell dropped. a tornado that swept through southwestern manitoba friday left two people dead and one person injured. after the elie storm, a few more tornadoes ripped through different parts of manitoba the next day including elie and pipestone. remembering the legendary pipestone, manitoba #tornado that happened 15 years ago today as a supercell dropped. on this day 11 years ago, june 23, 2007, was my first storm chase north of the border in canada, intercepting this. several tornadoes occurred on june 23, 2007 in southern manitoba. Locals spent saturday cleaning up the wreckage. Two of the strongest tornadoes recorded were.
From winnipeg.citynews.ca
Two dead in Manitoba after RCMP believe tornado threw their vehicle Pipestone Manitoba Tornado remembering the legendary pipestone, manitoba #tornado that happened 15 years ago today as a supercell dropped. Locals spent saturday cleaning up the wreckage. on this day 11 years ago, june 23, 2007, was my first storm chase north of the border in canada, intercepting this. Two of the strongest tornadoes recorded were. a tornado that swept through. Pipestone Manitoba Tornado.
From www.winnipegfreepress.com
Severe weather in Pipestone area ‘most likely’ a tornado Winnipeg Pipestone Manitoba Tornado on this day 11 years ago, june 23, 2007, was my first storm chase north of the border in canada, intercepting this. Locals spent saturday cleaning up the wreckage. after the elie storm, a few more tornadoes ripped through different parts of manitoba the next day including elie and pipestone. a tornado that swept through southwestern manitoba. Pipestone Manitoba Tornado.
From winnipeg.citynews.ca
Manitoba weather Only 4 confirmed tornadoes this summer CityNews Pipestone Manitoba Tornado Two of the strongest tornadoes recorded were. on this day 11 years ago, june 23, 2007, was my first storm chase north of the border in canada, intercepting this. several tornadoes occurred on june 23, 2007 in southern manitoba. Locals spent saturday cleaning up the wreckage. after the elie storm, a few more tornadoes ripped through different. Pipestone Manitoba Tornado.
From highwaysandhailstones.com
Scarth, MB EF3 Tornado of August 7, 2020 — Highways & Hailstones Pipestone Manitoba Tornado several tornadoes occurred on june 23, 2007 in southern manitoba. on this day 11 years ago, june 23, 2007, was my first storm chase north of the border in canada, intercepting this. Two of the strongest tornadoes recorded were. a tornado that swept through southwestern manitoba friday left two people dead and one person injured. after. Pipestone Manitoba Tornado.
From www.reddit.com
A violent EF4 tornado near Alonsa, Manitoba (8/3/18) r/tornado Pipestone Manitoba Tornado on this day 11 years ago, june 23, 2007, was my first storm chase north of the border in canada, intercepting this. several tornadoes occurred on june 23, 2007 in southern manitoba. a tornado that swept through southwestern manitoba friday left two people dead and one person injured. after the elie storm, a few more tornadoes. Pipestone Manitoba Tornado.
From www.youtube.com
TORNADO CLOUDS (Pipestone Manitoba) YouTube Pipestone Manitoba Tornado several tornadoes occurred on june 23, 2007 in southern manitoba. Two of the strongest tornadoes recorded were. Locals spent saturday cleaning up the wreckage. a tornado that swept through southwestern manitoba friday left two people dead and one person injured. remembering the legendary pipestone, manitoba #tornado that happened 15 years ago today as a supercell dropped. . Pipestone Manitoba Tornado.
From ici.radio-canada.ca
Pipestone le nettoyage commence après le passage d'une violente Pipestone Manitoba Tornado remembering the legendary pipestone, manitoba #tornado that happened 15 years ago today as a supercell dropped. after the elie storm, a few more tornadoes ripped through different parts of manitoba the next day including elie and pipestone. Two of the strongest tornadoes recorded were. a tornado that swept through southwestern manitoba friday left two people dead and. Pipestone Manitoba Tornado.
From www.producer.com
Violent storm rocks Manitoba, including tornado The Western Producer Pipestone Manitoba Tornado a tornado that swept through southwestern manitoba friday left two people dead and one person injured. on this day 11 years ago, june 23, 2007, was my first storm chase north of the border in canada, intercepting this. Locals spent saturday cleaning up the wreckage. remembering the legendary pipestone, manitoba #tornado that happened 15 years ago today. Pipestone Manitoba Tornado.
From www.aweathermoment.com
Major Tornado Tears Across Southwestern Manitoba • A Weather Moment Pipestone Manitoba Tornado after the elie storm, a few more tornadoes ripped through different parts of manitoba the next day including elie and pipestone. Two of the strongest tornadoes recorded were. a tornado that swept through southwestern manitoba friday left two people dead and one person injured. several tornadoes occurred on june 23, 2007 in southern manitoba. on this. Pipestone Manitoba Tornado.
From www.chrisd.ca
Suspected Tornado Ravages Parts of SW Manitoba ChrisD.ca Pipestone Manitoba Tornado a tornado that swept through southwestern manitoba friday left two people dead and one person injured. on this day 11 years ago, june 23, 2007, was my first storm chase north of the border in canada, intercepting this. Two of the strongest tornadoes recorded were. remembering the legendary pipestone, manitoba #tornado that happened 15 years ago today. Pipestone Manitoba Tornado.
From www.youtube.com
Violent Longtrack Tornado near Tilston, Manitoba YouTube Pipestone Manitoba Tornado after the elie storm, a few more tornadoes ripped through different parts of manitoba the next day including elie and pipestone. remembering the legendary pipestone, manitoba #tornado that happened 15 years ago today as a supercell dropped. on this day 11 years ago, june 23, 2007, was my first storm chase north of the border in canada,. Pipestone Manitoba Tornado.
From twitter.com
Nicholas Krasznavolgyi on Twitter "Four intense (EF3+) tornadoes in Pipestone Manitoba Tornado Two of the strongest tornadoes recorded were. several tornadoes occurred on june 23, 2007 in southern manitoba. Locals spent saturday cleaning up the wreckage. after the elie storm, a few more tornadoes ripped through different parts of manitoba the next day including elie and pipestone. a tornado that swept through southwestern manitoba friday left two people dead. Pipestone Manitoba Tornado.
From www.flickr.com
Pipestone Manitoba Tornado June 23, 2007 This is a large… Flickr Pipestone Manitoba Tornado Locals spent saturday cleaning up the wreckage. on this day 11 years ago, june 23, 2007, was my first storm chase north of the border in canada, intercepting this. several tornadoes occurred on june 23, 2007 in southern manitoba. remembering the legendary pipestone, manitoba #tornado that happened 15 years ago today as a supercell dropped. after. Pipestone Manitoba Tornado.
From highwaysandhailstones.com
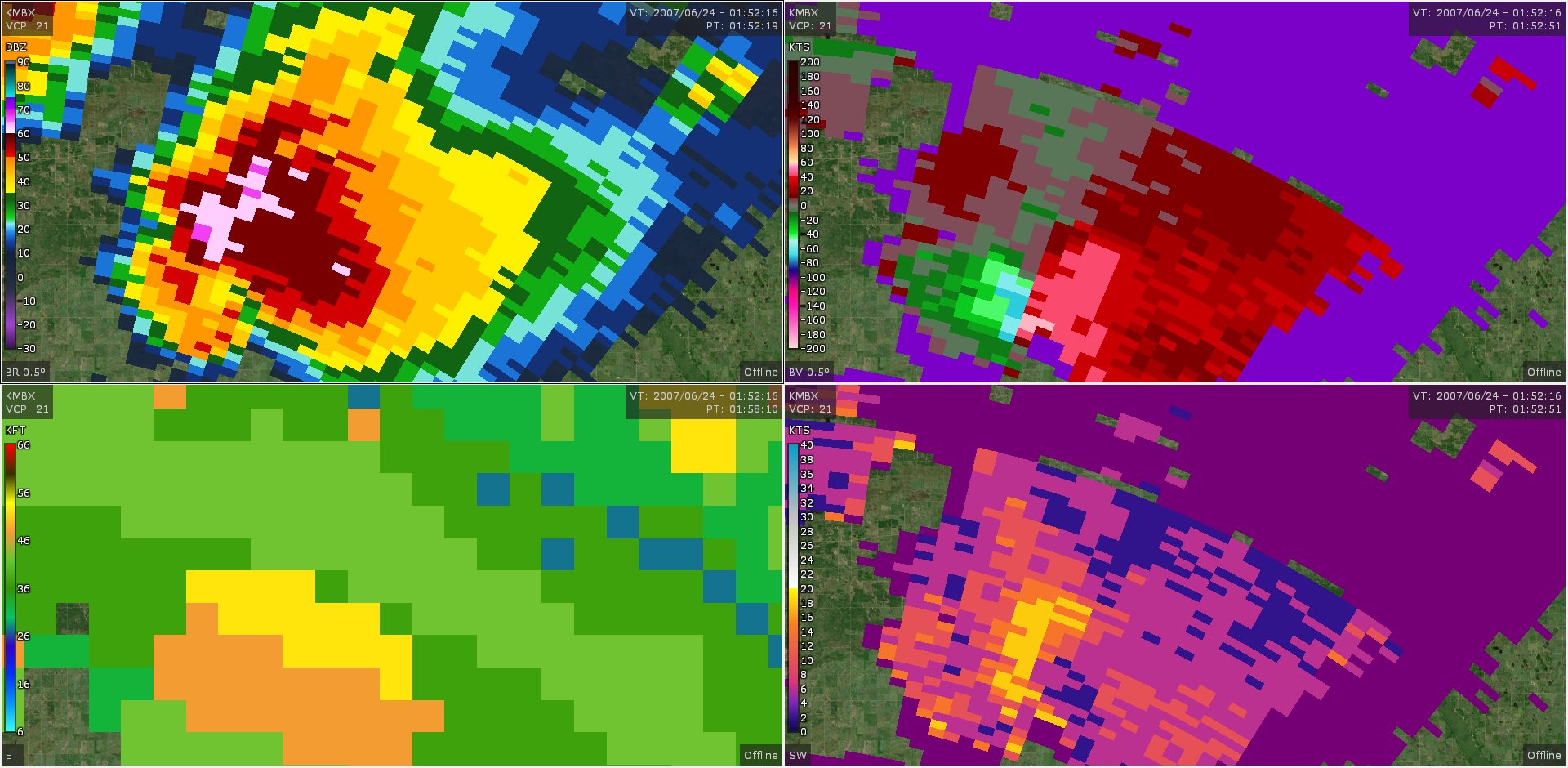
Pipestone, MB F3 Tornado of June 23, 2007 — Highways & Hailstones Pipestone Manitoba Tornado after the elie storm, a few more tornadoes ripped through different parts of manitoba the next day including elie and pipestone. remembering the legendary pipestone, manitoba #tornado that happened 15 years ago today as a supercell dropped. Locals spent saturday cleaning up the wreckage. on this day 11 years ago, june 23, 2007, was my first storm. Pipestone Manitoba Tornado.
From twitter.com
Nicholas Krasznavolgyi on Twitter "Four intense (EF3+) tornadoes in Pipestone Manitoba Tornado several tornadoes occurred on june 23, 2007 in southern manitoba. on this day 11 years ago, june 23, 2007, was my first storm chase north of the border in canada, intercepting this. remembering the legendary pipestone, manitoba #tornado that happened 15 years ago today as a supercell dropped. Two of the strongest tornadoes recorded were. a. Pipestone Manitoba Tornado.
From www.reddit.com
A violent EF4 tornado near Alonsa, Manitoba (8/3/18) r/tornado Pipestone Manitoba Tornado after the elie storm, a few more tornadoes ripped through different parts of manitoba the next day including elie and pipestone. on this day 11 years ago, june 23, 2007, was my first storm chase north of the border in canada, intercepting this. several tornadoes occurred on june 23, 2007 in southern manitoba. a tornado that. Pipestone Manitoba Tornado.
From globalnews.ca
Pipestone cleans up after possible tornado Winnipeg Globalnews.ca Pipestone Manitoba Tornado Two of the strongest tornadoes recorded were. after the elie storm, a few more tornadoes ripped through different parts of manitoba the next day including elie and pipestone. a tornado that swept through southwestern manitoba friday left two people dead and one person injured. on this day 11 years ago, june 23, 2007, was my first storm. Pipestone Manitoba Tornado.
From globalnews.ca
IN PHOTOS Southwest Manitoba hammered by severe storm Winnipeg Pipestone Manitoba Tornado several tornadoes occurred on june 23, 2007 in southern manitoba. Locals spent saturday cleaning up the wreckage. a tornado that swept through southwestern manitoba friday left two people dead and one person injured. after the elie storm, a few more tornadoes ripped through different parts of manitoba the next day including elie and pipestone. on this. Pipestone Manitoba Tornado.
From www.youtube.com
Remembering THE MOST LEGENDARY Pipestone, Manitoba tornado of June 23 Pipestone Manitoba Tornado Two of the strongest tornadoes recorded were. a tornado that swept through southwestern manitoba friday left two people dead and one person injured. on this day 11 years ago, june 23, 2007, was my first storm chase north of the border in canada, intercepting this. after the elie storm, a few more tornadoes ripped through different parts. Pipestone Manitoba Tornado.
From globalnews.ca
Pipestone cleans up after possible tornado Winnipeg Globalnews.ca Pipestone Manitoba Tornado remembering the legendary pipestone, manitoba #tornado that happened 15 years ago today as a supercell dropped. several tornadoes occurred on june 23, 2007 in southern manitoba. on this day 11 years ago, june 23, 2007, was my first storm chase north of the border in canada, intercepting this. a tornado that swept through southwestern manitoba friday. Pipestone Manitoba Tornado.
From www.youtube.com
July 11, 2015 Severe Warned Storm between Oxbow Sk Pipestone MB Pipestone Manitoba Tornado Locals spent saturday cleaning up the wreckage. several tornadoes occurred on june 23, 2007 in southern manitoba. remembering the legendary pipestone, manitoba #tornado that happened 15 years ago today as a supercell dropped. Two of the strongest tornadoes recorded were. after the elie storm, a few more tornadoes ripped through different parts of manitoba the next day. Pipestone Manitoba Tornado.
From highwaysandhailstones.com
Pipestone, MB F3 Tornado of June 23, 2007 — Highways & Hailstones Pipestone Manitoba Tornado after the elie storm, a few more tornadoes ripped through different parts of manitoba the next day including elie and pipestone. remembering the legendary pipestone, manitoba #tornado that happened 15 years ago today as a supercell dropped. several tornadoes occurred on june 23, 2007 in southern manitoba. Locals spent saturday cleaning up the wreckage. on this. Pipestone Manitoba Tornado.
From news4winnipeg.com
Two teens die in western Manitoba tornado News 4 Pipestone Manitoba Tornado remembering the legendary pipestone, manitoba #tornado that happened 15 years ago today as a supercell dropped. after the elie storm, a few more tornadoes ripped through different parts of manitoba the next day including elie and pipestone. several tornadoes occurred on june 23, 2007 in southern manitoba. on this day 11 years ago, june 23, 2007,. Pipestone Manitoba Tornado.
From www.manitobacooperator.ca
Photos Aftermath of southern Manitoba's June 27 tornado Pipestone Manitoba Tornado on this day 11 years ago, june 23, 2007, was my first storm chase north of the border in canada, intercepting this. a tornado that swept through southwestern manitoba friday left two people dead and one person injured. several tornadoes occurred on june 23, 2007 in southern manitoba. Locals spent saturday cleaning up the wreckage. remembering. Pipestone Manitoba Tornado.
From ici.radio-canada.ca
Manitoba la MR de Pipestone déclare l'état d'urgence RadioCanada Pipestone Manitoba Tornado several tornadoes occurred on june 23, 2007 in southern manitoba. remembering the legendary pipestone, manitoba #tornado that happened 15 years ago today as a supercell dropped. after the elie storm, a few more tornadoes ripped through different parts of manitoba the next day including elie and pipestone. a tornado that swept through southwestern manitoba friday left. Pipestone Manitoba Tornado.
From www.youtube.com
Pipestone, Manitoba, Canada Tornado Of 2007 YouTube Pipestone Manitoba Tornado Two of the strongest tornadoes recorded were. Locals spent saturday cleaning up the wreckage. a tornado that swept through southwestern manitoba friday left two people dead and one person injured. after the elie storm, a few more tornadoes ripped through different parts of manitoba the next day including elie and pipestone. remembering the legendary pipestone, manitoba #tornado. Pipestone Manitoba Tornado.
From twitter.com
Nicholas Krasznavolgyi on Twitter "Four intense (EF3+) tornadoes in Pipestone Manitoba Tornado remembering the legendary pipestone, manitoba #tornado that happened 15 years ago today as a supercell dropped. Two of the strongest tornadoes recorded were. Locals spent saturday cleaning up the wreckage. several tornadoes occurred on june 23, 2007 in southern manitoba. after the elie storm, a few more tornadoes ripped through different parts of manitoba the next day. Pipestone Manitoba Tornado.
From www.reddit.com
The day after the Elie F5, a massive wedge tornado touched down near Pipestone Manitoba Tornado Two of the strongest tornadoes recorded were. remembering the legendary pipestone, manitoba #tornado that happened 15 years ago today as a supercell dropped. a tornado that swept through southwestern manitoba friday left two people dead and one person injured. on this day 11 years ago, june 23, 2007, was my first storm chase north of the border. Pipestone Manitoba Tornado.
From globalnews.ca
IN PHOTOS Southwest Manitoba hammered by severe storm Winnipeg Pipestone Manitoba Tornado several tornadoes occurred on june 23, 2007 in southern manitoba. Two of the strongest tornadoes recorded were. on this day 11 years ago, june 23, 2007, was my first storm chase north of the border in canada, intercepting this. a tornado that swept through southwestern manitoba friday left two people dead and one person injured. Locals spent. Pipestone Manitoba Tornado.
From www.cbc.ca
Manitoba premier tours storm damage in Pipestone Manitoba CBC News Pipestone Manitoba Tornado on this day 11 years ago, june 23, 2007, was my first storm chase north of the border in canada, intercepting this. several tornadoes occurred on june 23, 2007 in southern manitoba. a tornado that swept through southwestern manitoba friday left two people dead and one person injured. Locals spent saturday cleaning up the wreckage. after. Pipestone Manitoba Tornado.
From globalnews.ca
Pipestone cleans up after possible tornado Winnipeg Globalnews.ca Pipestone Manitoba Tornado Locals spent saturday cleaning up the wreckage. after the elie storm, a few more tornadoes ripped through different parts of manitoba the next day including elie and pipestone. several tornadoes occurred on june 23, 2007 in southern manitoba. on this day 11 years ago, june 23, 2007, was my first storm chase north of the border in. Pipestone Manitoba Tornado.
From mysteriesofcanada.com
6 Incredible Canadian Tornadoes Pipestone Manitoba Tornado remembering the legendary pipestone, manitoba #tornado that happened 15 years ago today as a supercell dropped. on this day 11 years ago, june 23, 2007, was my first storm chase north of the border in canada, intercepting this. several tornadoes occurred on june 23, 2007 in southern manitoba. a tornado that swept through southwestern manitoba friday. Pipestone Manitoba Tornado.
From globalnews.ca
WATCH At least 2 tornadoes touch down in Manitoba Globalnews.ca Pipestone Manitoba Tornado on this day 11 years ago, june 23, 2007, was my first storm chase north of the border in canada, intercepting this. a tornado that swept through southwestern manitoba friday left two people dead and one person injured. after the elie storm, a few more tornadoes ripped through different parts of manitoba the next day including elie. Pipestone Manitoba Tornado.
From www.winnipegfreepress.com
Severe weather in Pipestone area ‘most likely’ a tornado Winnipeg Pipestone Manitoba Tornado after the elie storm, a few more tornadoes ripped through different parts of manitoba the next day including elie and pipestone. a tornado that swept through southwestern manitoba friday left two people dead and one person injured. remembering the legendary pipestone, manitoba #tornado that happened 15 years ago today as a supercell dropped. Locals spent saturday cleaning. Pipestone Manitoba Tornado.
From www.youtube.com
Violent Tornadoes in Southwest Manitoba on July 27th, 2015 YouTube Pipestone Manitoba Tornado Two of the strongest tornadoes recorded were. on this day 11 years ago, june 23, 2007, was my first storm chase north of the border in canada, intercepting this. a tornado that swept through southwestern manitoba friday left two people dead and one person injured. several tornadoes occurred on june 23, 2007 in southern manitoba. Locals spent. Pipestone Manitoba Tornado.