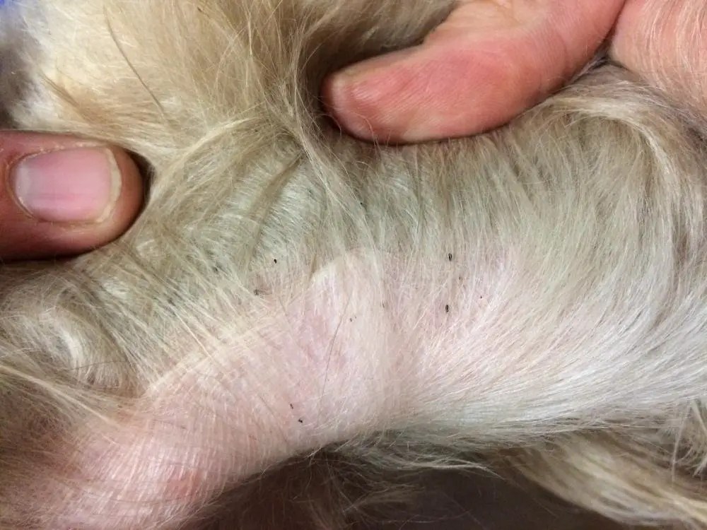
Worms In Dog That Look Like Rice . Most look, well, like worms. Tapeworms attach to a dog’s intestinal. The worms that dogs get come in many different shapes. In this comprehensive guide, we will delve into the basics of dog worms If you observe dog worms that look like rice, seek immediate veterinarian help. This is because if left untreated, it may lead to severe. The worms in dogs that look like rice are known as tapeworms. Understanding the different types of dog worms that look like rice, their symptoms, and how to prevent and treat infestations is essential for every dog owner. These worms, known as tapeworms, are flat and segmented, resembling small grains of rice. Here’s what you need to know about these parasites. There are numerous types of worms that can infest dogs, but some specifically resemble rice. You may see flat, white worms, worms that look like spaghetti, or rice grains that are adhered to the fur around the anus. With tapeworms, you'll often see their egg sacs, which look like grains of rice. They can be found in the dog’s stool or
        	
		 
    
        from wormmy.com 
     
        
        In this comprehensive guide, we will delve into the basics of dog worms If you observe dog worms that look like rice, seek immediate veterinarian help. With tapeworms, you'll often see their egg sacs, which look like grains of rice. This is because if left untreated, it may lead to severe. Most look, well, like worms. The worms that dogs get come in many different shapes. These worms, known as tapeworms, are flat and segmented, resembling small grains of rice. The worms in dogs that look like rice are known as tapeworms. You may see flat, white worms, worms that look like spaghetti, or rice grains that are adhered to the fur around the anus. There are numerous types of worms that can infest dogs, but some specifically resemble rice.
    
    	
		 
    What are Worms That Look Like Rice? (in Dogs, Cats, and Humans!) 
    Worms In Dog That Look Like Rice  The worms that dogs get come in many different shapes. The worms in dogs that look like rice are known as tapeworms. You may see flat, white worms, worms that look like spaghetti, or rice grains that are adhered to the fur around the anus. If you observe dog worms that look like rice, seek immediate veterinarian help. Tapeworms attach to a dog’s intestinal. They can be found in the dog’s stool or Understanding the different types of dog worms that look like rice, their symptoms, and how to prevent and treat infestations is essential for every dog owner. There are numerous types of worms that can infest dogs, but some specifically resemble rice. Most look, well, like worms. These worms, known as tapeworms, are flat and segmented, resembling small grains of rice. With tapeworms, you'll often see their egg sacs, which look like grains of rice. This is because if left untreated, it may lead to severe. In this comprehensive guide, we will delve into the basics of dog worms The worms that dogs get come in many different shapes. Here’s what you need to know about these parasites.
 
    
        From www.mackpacking.com 
                    Tapeworms Worms in Cat that Look Like Rice or Sesame Seeds — Mack Packing Worms In Dog That Look Like Rice  If you observe dog worms that look like rice, seek immediate veterinarian help. Most look, well, like worms. There are numerous types of worms that can infest dogs, but some specifically resemble rice. The worms that dogs get come in many different shapes. Tapeworms attach to a dog’s intestinal. Here’s what you need to know about these parasites. They can. Worms In Dog That Look Like Rice.
     
    
        From www.youtube.com 
                    Worms in my Dog's stool. YouTube Worms In Dog That Look Like Rice  In this comprehensive guide, we will delve into the basics of dog worms They can be found in the dog’s stool or If you observe dog worms that look like rice, seek immediate veterinarian help. This is because if left untreated, it may lead to severe. The worms that dogs get come in many different shapes. With tapeworms, you'll often. Worms In Dog That Look Like Rice.
     
    
        From steveearleringtoneeef.blogspot.com 
                    54 HQ Photos Cat Has Worms Look Like Rice Worms In Cat That Look Like Worms In Dog That Look Like Rice  In this comprehensive guide, we will delve into the basics of dog worms Understanding the different types of dog worms that look like rice, their symptoms, and how to prevent and treat infestations is essential for every dog owner. These worms, known as tapeworms, are flat and segmented, resembling small grains of rice. Here’s what you need to know about. Worms In Dog That Look Like Rice.
     
    
        From joiecrtdq.blob.core.windows.net 
                    How Do I Get Rid Of Worms In My Cat That Looks Like Rice at Clara Worms In Dog That Look Like Rice  In this comprehensive guide, we will delve into the basics of dog worms You may see flat, white worms, worms that look like spaghetti, or rice grains that are adhered to the fur around the anus. These worms, known as tapeworms, are flat and segmented, resembling small grains of rice. They can be found in the dog’s stool or The. Worms In Dog That Look Like Rice.
     
    
        From wormmy.com 
                    What are Worms That Look Like Rice? (in Dogs, Cats, and Humans!) Worms In Dog That Look Like Rice  They can be found in the dog’s stool or The worms in dogs that look like rice are known as tapeworms. These worms, known as tapeworms, are flat and segmented, resembling small grains of rice. There are numerous types of worms that can infest dogs, but some specifically resemble rice. In this comprehensive guide, we will delve into the basics. Worms In Dog That Look Like Rice.
     
    
        From www.k9ofmine.com 
                    Help There Are Worms in My Dog's Poop! What Do I Do? Worms In Dog That Look Like Rice  In this comprehensive guide, we will delve into the basics of dog worms They can be found in the dog’s stool or These worms, known as tapeworms, are flat and segmented, resembling small grains of rice. This is because if left untreated, it may lead to severe. You may see flat, white worms, worms that look like spaghetti, or rice. Worms In Dog That Look Like Rice.
     
    
        From animalia-life.club 
                    What Kind Of Dog Worms Look Like Rice Worms In Dog That Look Like Rice  There are numerous types of worms that can infest dogs, but some specifically resemble rice. If you observe dog worms that look like rice, seek immediate veterinarian help. Most look, well, like worms. This is because if left untreated, it may lead to severe. With tapeworms, you'll often see their egg sacs, which look like grains of rice. The worms. Worms In Dog That Look Like Rice.
     
    
        From pethelpful.com 
                    Why Does My Dog's Poop Look Like It Has Rice in It? (With Pictures Worms In Dog That Look Like Rice  The worms that dogs get come in many different shapes. If you observe dog worms that look like rice, seek immediate veterinarian help. You may see flat, white worms, worms that look like spaghetti, or rice grains that are adhered to the fur around the anus. Tapeworms attach to a dog’s intestinal. Understanding the different types of dog worms that. Worms In Dog That Look Like Rice.
     
    
        From merchantposa.blogg.se 
                    merchantposa.blogg.se Dog has large flat worms in poop Worms In Dog That Look Like Rice  The worms that dogs get come in many different shapes. With tapeworms, you'll often see their egg sacs, which look like grains of rice. These worms, known as tapeworms, are flat and segmented, resembling small grains of rice. There are numerous types of worms that can infest dogs, but some specifically resemble rice. If you observe dog worms that look. Worms In Dog That Look Like Rice.
     
    
        From ar.inspiredpencil.com 
                    Worms In Dogs Stool That Look Like Rice Worms In Dog That Look Like Rice  There are numerous types of worms that can infest dogs, but some specifically resemble rice. In this comprehensive guide, we will delve into the basics of dog worms The worms that dogs get come in many different shapes. This is because if left untreated, it may lead to severe. The worms in dogs that look like rice are known as. Worms In Dog That Look Like Rice.
     
    
        From joiecrtdq.blob.core.windows.net 
                    How Do I Get Rid Of Worms In My Cat That Looks Like Rice at Clara Worms In Dog That Look Like Rice  There are numerous types of worms that can infest dogs, but some specifically resemble rice. Most look, well, like worms. The worms that dogs get come in many different shapes. The worms in dogs that look like rice are known as tapeworms. You may see flat, white worms, worms that look like spaghetti, or rice grains that are adhered to. Worms In Dog That Look Like Rice.
     
    
        From www.petsloo.com 
                    Dog worms Roundworm identifying dog worms, Causes and Treatment Worms In Dog That Look Like Rice  You may see flat, white worms, worms that look like spaghetti, or rice grains that are adhered to the fur around the anus. The worms in dogs that look like rice are known as tapeworms. Here’s what you need to know about these parasites. If you observe dog worms that look like rice, seek immediate veterinarian help. With tapeworms, you'll. Worms In Dog That Look Like Rice.
     
    
        From www.wikihow.com 
                    How to Identify Different Dog Worms (with Pictures) wikiHow Worms In Dog That Look Like Rice  You may see flat, white worms, worms that look like spaghetti, or rice grains that are adhered to the fur around the anus. The worms that dogs get come in many different shapes. This is because if left untreated, it may lead to severe. Understanding the different types of dog worms that look like rice, their symptoms, and how to. Worms In Dog That Look Like Rice.
     
    
        From topdogtips.com 
                    Dog Poop Color Chart with Pictures The Guide to What It All Means Worms In Dog That Look Like Rice  The worms that dogs get come in many different shapes. Understanding the different types of dog worms that look like rice, their symptoms, and how to prevent and treat infestations is essential for every dog owner. The worms in dogs that look like rice are known as tapeworms. There are numerous types of worms that can infest dogs, but some. Worms In Dog That Look Like Rice.
     
    
        From mavink.com 
                    What Do Tapeworms Look Like In Cats Worms In Dog That Look Like Rice  There are numerous types of worms that can infest dogs, but some specifically resemble rice. Most look, well, like worms. The worms in dogs that look like rice are known as tapeworms. With tapeworms, you'll often see their egg sacs, which look like grains of rice. Understanding the different types of dog worms that look like rice, their symptoms, and. Worms In Dog That Look Like Rice.
     
    
        From ricechoices.blogspot.com 
                    Worms In Dog Stool That Look Like Rice Rice Choices Worms In Dog That Look Like Rice  Understanding the different types of dog worms that look like rice, their symptoms, and how to prevent and treat infestations is essential for every dog owner. Tapeworms attach to a dog’s intestinal. The worms that dogs get come in many different shapes. This is because if left untreated, it may lead to severe. There are numerous types of worms that. Worms In Dog That Look Like Rice.
     
    
        From animalia-life.club 
                    Do Dogs Poop Out Rice Worms In Dog That Look Like Rice  These worms, known as tapeworms, are flat and segmented, resembling small grains of rice. You may see flat, white worms, worms that look like spaghetti, or rice grains that are adhered to the fur around the anus. Tapeworms attach to a dog’s intestinal. Most look, well, like worms. Understanding the different types of dog worms that look like rice, their. Worms In Dog That Look Like Rice.
     
    
        From emergencyvetsusa.com 
                    Maggots In Dog Poop What Does This Mean? View Real Pictures Worms In Dog That Look Like Rice  The worms in dogs that look like rice are known as tapeworms. This is because if left untreated, it may lead to severe. They can be found in the dog’s stool or The worms that dogs get come in many different shapes. Understanding the different types of dog worms that look like rice, their symptoms, and how to prevent and. Worms In Dog That Look Like Rice.
     
    
        From www.youtube.com 
                    How to Remove White Worms From Rice? YouTube Worms In Dog That Look Like Rice  In this comprehensive guide, we will delve into the basics of dog worms With tapeworms, you'll often see their egg sacs, which look like grains of rice. Understanding the different types of dog worms that look like rice, their symptoms, and how to prevent and treat infestations is essential for every dog owner. If you observe dog worms that look. Worms In Dog That Look Like Rice.
     
    
        From www.narodnatribuna.info 
                    Signs And Symptoms Of Worms In Dogs Worms In Dogs Worms In Dog That Look Like Rice  The worms in dogs that look like rice are known as tapeworms. This is because if left untreated, it may lead to severe. If you observe dog worms that look like rice, seek immediate veterinarian help. These worms, known as tapeworms, are flat and segmented, resembling small grains of rice. With tapeworms, you'll often see their egg sacs, which look. Worms In Dog That Look Like Rice.
     
    
        From s3.amazonaws.com 
                    Blue pitbull dog information, worms in dogs poop that look like rice Worms In Dog That Look Like Rice  You may see flat, white worms, worms that look like spaghetti, or rice grains that are adhered to the fur around the anus. Tapeworms attach to a dog’s intestinal. If you observe dog worms that look like rice, seek immediate veterinarian help. Understanding the different types of dog worms that look like rice, their symptoms, and how to prevent and. Worms In Dog That Look Like Rice.
     
    
        From www.facebook.com 
                    An owner will sometimes call, because they notice what looks like white Worms In Dog That Look Like Rice  In this comprehensive guide, we will delve into the basics of dog worms If you observe dog worms that look like rice, seek immediate veterinarian help. With tapeworms, you'll often see their egg sacs, which look like grains of rice. The worms that dogs get come in many different shapes. Most look, well, like worms. Understanding the different types of. Worms In Dog That Look Like Rice.
     
    
        From seniortailwaggers.com 
                    Pictures of Dog Worms [With Veterinarian Comments] Worms In Dog That Look Like Rice  Here’s what you need to know about these parasites. Tapeworms attach to a dog’s intestinal. This is because if left untreated, it may lead to severe. You may see flat, white worms, worms that look like spaghetti, or rice grains that are adhered to the fur around the anus. In this comprehensive guide, we will delve into the basics of. Worms In Dog That Look Like Rice.
     
    
        From a-z-animals.com 
                    Here Is What the Worms in Dogs That Look Like Rice Are Called AZ Animals Worms In Dog That Look Like Rice  Here’s what you need to know about these parasites. Understanding the different types of dog worms that look like rice, their symptoms, and how to prevent and treat infestations is essential for every dog owner. Tapeworms attach to a dog’s intestinal. In this comprehensive guide, we will delve into the basics of dog worms These worms, known as tapeworms, are. Worms In Dog That Look Like Rice.
     
    
        From a-z-animals.com 
                    Here Is What the Worms in Dogs That Look Like Rice Are Called AZ Animals Worms In Dog That Look Like Rice  With tapeworms, you'll often see their egg sacs, which look like grains of rice. They can be found in the dog’s stool or There are numerous types of worms that can infest dogs, but some specifically resemble rice. You may see flat, white worms, worms that look like spaghetti, or rice grains that are adhered to the fur around the. Worms In Dog That Look Like Rice.
     
    
        From animalia-life.club 
                    What Do Worms Look Like In Dog Poop Worms In Dog That Look Like Rice  You may see flat, white worms, worms that look like spaghetti, or rice grains that are adhered to the fur around the anus. Here’s what you need to know about these parasites. Most look, well, like worms. In this comprehensive guide, we will delve into the basics of dog worms Tapeworms attach to a dog’s intestinal. These worms, known as. Worms In Dog That Look Like Rice.
     
    
        From pethelpful.com 
                    Dog Tapeworms Causes, Symptoms, and Treatment PetHelpful Worms In Dog That Look Like Rice  With tapeworms, you'll often see their egg sacs, which look like grains of rice. This is because if left untreated, it may lead to severe. The worms that dogs get come in many different shapes. Tapeworms attach to a dog’s intestinal. There are numerous types of worms that can infest dogs, but some specifically resemble rice. Here’s what you need. Worms In Dog That Look Like Rice.
     
    
        From a-z-animals.com 
                    Here Is What the Worms in Cats That Look Like Rice Are Called AZ Animals Worms In Dog That Look Like Rice  The worms in dogs that look like rice are known as tapeworms. These worms, known as tapeworms, are flat and segmented, resembling small grains of rice. They can be found in the dog’s stool or You may see flat, white worms, worms that look like spaghetti, or rice grains that are adhered to the fur around the anus. This is. Worms In Dog That Look Like Rice.
     
    
        From animalia-life.club 
                    What Kind Of Worms Look Like Rice In Dog Poop Worms In Dog That Look Like Rice  The worms in dogs that look like rice are known as tapeworms. If you observe dog worms that look like rice, seek immediate veterinarian help. Understanding the different types of dog worms that look like rice, their symptoms, and how to prevent and treat infestations is essential for every dog owner. There are numerous types of worms that can infest. Worms In Dog That Look Like Rice.
     
    
        From animalia-life.club 
                    What Does It Look Like When A Dog Has Worms Worms In Dog That Look Like Rice  With tapeworms, you'll often see their egg sacs, which look like grains of rice. These worms, known as tapeworms, are flat and segmented, resembling small grains of rice. This is because if left untreated, it may lead to severe. Here’s what you need to know about these parasites. Most look, well, like worms. If you observe dog worms that look. Worms In Dog That Look Like Rice.
     
    
        From wormmy.com 
                    What are Worms That Look Like Rice? (in Dogs, Cats, and Humans!) Worms In Dog That Look Like Rice  Tapeworms attach to a dog’s intestinal. Most look, well, like worms. With tapeworms, you'll often see their egg sacs, which look like grains of rice. Understanding the different types of dog worms that look like rice, their symptoms, and how to prevent and treat infestations is essential for every dog owner. Here’s what you need to know about these parasites.. Worms In Dog That Look Like Rice.
     
    
        From animalia-life.club 
                    What Does Worms Look Like In Dogs Poop Worms In Dog That Look Like Rice  These worms, known as tapeworms, are flat and segmented, resembling small grains of rice. Understanding the different types of dog worms that look like rice, their symptoms, and how to prevent and treat infestations is essential for every dog owner. Most look, well, like worms. The worms that dogs get come in many different shapes. You may see flat, white. Worms In Dog That Look Like Rice.
     
    
        From animalia-life.club 
                    What Kind Of Dog Worms Look Like Rice Worms In Dog That Look Like Rice  The worms in dogs that look like rice are known as tapeworms. If you observe dog worms that look like rice, seek immediate veterinarian help. You may see flat, white worms, worms that look like spaghetti, or rice grains that are adhered to the fur around the anus. In this comprehensive guide, we will delve into the basics of dog. Worms In Dog That Look Like Rice.
     
    
        From peacecommission.kdsg.gov.ng 
                    What Are Worms That Look Like Rice? (in Dogs, Cats, And Humans Worms In Dog That Look Like Rice  They can be found in the dog’s stool or If you observe dog worms that look like rice, seek immediate veterinarian help. Tapeworms attach to a dog’s intestinal. Here’s what you need to know about these parasites. There are numerous types of worms that can infest dogs, but some specifically resemble rice. You may see flat, white worms, worms that. Worms In Dog That Look Like Rice.
     
    
        From pethelpful.com 
                    Why Does My Dog's Poop Look Like It Has Rice in It? (With Pictures Worms In Dog That Look Like Rice  Understanding the different types of dog worms that look like rice, their symptoms, and how to prevent and treat infestations is essential for every dog owner. With tapeworms, you'll often see their egg sacs, which look like grains of rice. Tapeworms attach to a dog’s intestinal. The worms that dogs get come in many different shapes. These worms, known as. Worms In Dog That Look Like Rice.