Weather D Lo Ms . See the d'lo, ms extended weather forecast including feels like temperature, wind gust and chance of rain or snow from. Check current conditions in d'lo, ms with radar, hourly, and more. Find daytime highs and nighttime lows from theweathernetwork.com. Hourly local weather forecast, weather conditions, precipitation, dew point, humidity, wind from weather.com and the weather channel. Hourly weather forecast in d'lo, ms. D'lo, ms temperature trend for the next 14 days. Today’s and tonight’s d'lo, ms weather forecast, weather conditions and doppler radar from the weather channel and weather.com.
from twitter.com
Today’s and tonight’s d'lo, ms weather forecast, weather conditions and doppler radar from the weather channel and weather.com. Check current conditions in d'lo, ms with radar, hourly, and more. Find daytime highs and nighttime lows from theweathernetwork.com. Hourly local weather forecast, weather conditions, precipitation, dew point, humidity, wind from weather.com and the weather channel. Hourly weather forecast in d'lo, ms. See the d'lo, ms extended weather forecast including feels like temperature, wind gust and chance of rain or snow from. D'lo, ms temperature trend for the next 14 days.
Weather Track US on Twitter "Tornado possible tagged SVR near New
Weather D Lo Ms Find daytime highs and nighttime lows from theweathernetwork.com. D'lo, ms temperature trend for the next 14 days. Check current conditions in d'lo, ms with radar, hourly, and more. See the d'lo, ms extended weather forecast including feels like temperature, wind gust and chance of rain or snow from. Hourly local weather forecast, weather conditions, precipitation, dew point, humidity, wind from weather.com and the weather channel. Hourly weather forecast in d'lo, ms. Find daytime highs and nighttime lows from theweathernetwork.com. Today’s and tonight’s d'lo, ms weather forecast, weather conditions and doppler radar from the weather channel and weather.com.
From www.timeanddate.com
Calvary, Mississippi, USA 14 day weather forecast Weather D Lo Ms Find daytime highs and nighttime lows from theweathernetwork.com. D'lo, ms temperature trend for the next 14 days. Hourly local weather forecast, weather conditions, precipitation, dew point, humidity, wind from weather.com and the weather channel. Today’s and tonight’s d'lo, ms weather forecast, weather conditions and doppler radar from the weather channel and weather.com. Check current conditions in d'lo, ms with radar,. Weather D Lo Ms.
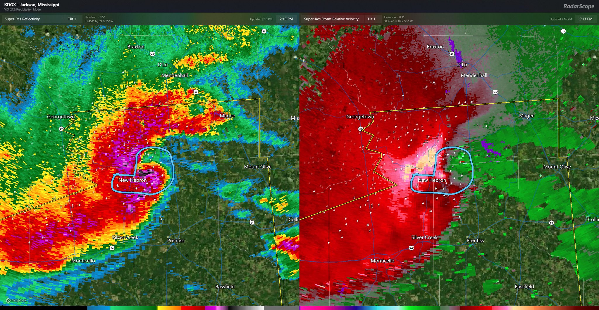
From www.tornadotalk.com
Tallulah, LA Across Yazoo City to NE Mississippi Long Track EF4 April Weather D Lo Ms Hourly weather forecast in d'lo, ms. Check current conditions in d'lo, ms with radar, hourly, and more. D'lo, ms temperature trend for the next 14 days. Find daytime highs and nighttime lows from theweathernetwork.com. See the d'lo, ms extended weather forecast including feels like temperature, wind gust and chance of rain or snow from. Hourly local weather forecast, weather conditions,. Weather D Lo Ms.
From www.shutterstock.com
1,001,414 Weather Symbols Images, Stock Photos & Vectors Shutterstock Weather D Lo Ms Check current conditions in d'lo, ms with radar, hourly, and more. Hourly local weather forecast, weather conditions, precipitation, dew point, humidity, wind from weather.com and the weather channel. Find daytime highs and nighttime lows from theweathernetwork.com. See the d'lo, ms extended weather forecast including feels like temperature, wind gust and chance of rain or snow from. Today’s and tonight’s d'lo,. Weather D Lo Ms.
From www.fox4news.com
Dallas Weather July 13 Afternoon Forecast FOX 4 DallasFort Worth Weather D Lo Ms See the d'lo, ms extended weather forecast including feels like temperature, wind gust and chance of rain or snow from. Find daytime highs and nighttime lows from theweathernetwork.com. Today’s and tonight’s d'lo, ms weather forecast, weather conditions and doppler radar from the weather channel and weather.com. Check current conditions in d'lo, ms with radar, hourly, and more. Hourly weather forecast. Weather D Lo Ms.
From www.tripadvisor.ca
D' Lo Water Park (D Lo) All You Need to Know BEFORE You Go Updated Weather D Lo Ms D'lo, ms temperature trend for the next 14 days. Hourly local weather forecast, weather conditions, precipitation, dew point, humidity, wind from weather.com and the weather channel. Today’s and tonight’s d'lo, ms weather forecast, weather conditions and doppler radar from the weather channel and weather.com. Hourly weather forecast in d'lo, ms. Find daytime highs and nighttime lows from theweathernetwork.com. See the. Weather D Lo Ms.
From www.natchezdemocrat.com
Natchez may see flurries as north, central Mississippi could see snow Weather D Lo Ms Today’s and tonight’s d'lo, ms weather forecast, weather conditions and doppler radar from the weather channel and weather.com. See the d'lo, ms extended weather forecast including feels like temperature, wind gust and chance of rain or snow from. Hourly weather forecast in d'lo, ms. D'lo, ms temperature trend for the next 14 days. Find daytime highs and nighttime lows from. Weather D Lo Ms.
From www.ksnblocal4.com
More stormy weather and clouds keep temperatures cooler, but summer Weather D Lo Ms Today’s and tonight’s d'lo, ms weather forecast, weather conditions and doppler radar from the weather channel and weather.com. Check current conditions in d'lo, ms with radar, hourly, and more. Hourly weather forecast in d'lo, ms. Find daytime highs and nighttime lows from theweathernetwork.com. Hourly local weather forecast, weather conditions, precipitation, dew point, humidity, wind from weather.com and the weather channel.. Weather D Lo Ms.
From radar.weather.gov
National Weather Service radar from Brandon/Jackson, MS Weather D Lo Ms Hourly local weather forecast, weather conditions, precipitation, dew point, humidity, wind from weather.com and the weather channel. D'lo, ms temperature trend for the next 14 days. See the d'lo, ms extended weather forecast including feels like temperature, wind gust and chance of rain or snow from. Today’s and tonight’s d'lo, ms weather forecast, weather conditions and doppler radar from the. Weather D Lo Ms.
From www.wpri.com
Weather Now Weather D Lo Ms Hourly weather forecast in d'lo, ms. D'lo, ms temperature trend for the next 14 days. Find daytime highs and nighttime lows from theweathernetwork.com. Today’s and tonight’s d'lo, ms weather forecast, weather conditions and doppler radar from the weather channel and weather.com. Check current conditions in d'lo, ms with radar, hourly, and more. See the d'lo, ms extended weather forecast including. Weather D Lo Ms.
From www.youtube.com
D'Lo Water Park, D'Lo, MIssissippi YouTube Weather D Lo Ms D'lo, ms temperature trend for the next 14 days. Check current conditions in d'lo, ms with radar, hourly, and more. Hourly local weather forecast, weather conditions, precipitation, dew point, humidity, wind from weather.com and the weather channel. Today’s and tonight’s d'lo, ms weather forecast, weather conditions and doppler radar from the weather channel and weather.com. See the d'lo, ms extended. Weather D Lo Ms.
From www.nickelblock.com
Mild weather continues this weekend, two systems next week Southern MS Weather D Lo Ms Today’s and tonight’s d'lo, ms weather forecast, weather conditions and doppler radar from the weather channel and weather.com. D'lo, ms temperature trend for the next 14 days. Hourly weather forecast in d'lo, ms. Find daytime highs and nighttime lows from theweathernetwork.com. Hourly local weather forecast, weather conditions, precipitation, dew point, humidity, wind from weather.com and the weather channel. See the. Weather D Lo Ms.
From twitter.com
NWS Tornado on Twitter "Tornado Warning including Pascagoula MS, Moss Weather D Lo Ms See the d'lo, ms extended weather forecast including feels like temperature, wind gust and chance of rain or snow from. Today’s and tonight’s d'lo, ms weather forecast, weather conditions and doppler radar from the weather channel and weather.com. Hourly local weather forecast, weather conditions, precipitation, dew point, humidity, wind from weather.com and the weather channel. Check current conditions in d'lo,. Weather D Lo Ms.
From twitter.com
NWS Memphis on Twitter "A special weather statement has been issued Weather D Lo Ms Check current conditions in d'lo, ms with radar, hourly, and more. See the d'lo, ms extended weather forecast including feels like temperature, wind gust and chance of rain or snow from. Hourly weather forecast in d'lo, ms. Today’s and tonight’s d'lo, ms weather forecast, weather conditions and doppler radar from the weather channel and weather.com. D'lo, ms temperature trend for. Weather D Lo Ms.
From sianajoannes.pages.dev
May 2024 Weather Los Angeles Nonna Donelle Weather D Lo Ms Hourly weather forecast in d'lo, ms. Hourly local weather forecast, weather conditions, precipitation, dew point, humidity, wind from weather.com and the weather channel. D'lo, ms temperature trend for the next 14 days. Find daytime highs and nighttime lows from theweathernetwork.com. See the d'lo, ms extended weather forecast including feels like temperature, wind gust and chance of rain or snow from.. Weather D Lo Ms.
From weather.com
Oxford, MS Weather Forecast and Conditions The Weather Channel Weather D Lo Ms Hourly local weather forecast, weather conditions, precipitation, dew point, humidity, wind from weather.com and the weather channel. Find daytime highs and nighttime lows from theweathernetwork.com. D'lo, ms temperature trend for the next 14 days. Today’s and tonight’s d'lo, ms weather forecast, weather conditions and doppler radar from the weather channel and weather.com. Hourly weather forecast in d'lo, ms. Check current. Weather D Lo Ms.
From www.flickr.com
Strong River, D'Lo, MS Featuring D'Lo Rocks in the foregro… Flickr Weather D Lo Ms Hourly local weather forecast, weather conditions, precipitation, dew point, humidity, wind from weather.com and the weather channel. D'lo, ms temperature trend for the next 14 days. Check current conditions in d'lo, ms with radar, hourly, and more. Today’s and tonight’s d'lo, ms weather forecast, weather conditions and doppler radar from the weather channel and weather.com. Hourly weather forecast in d'lo,. Weather D Lo Ms.
From www.windowscentral.com
Microsoft rains MSN news feed down on Windows 11 Weather app Windows Weather D Lo Ms Hourly local weather forecast, weather conditions, precipitation, dew point, humidity, wind from weather.com and the weather channel. Hourly weather forecast in d'lo, ms. See the d'lo, ms extended weather forecast including feels like temperature, wind gust and chance of rain or snow from. Today’s and tonight’s d'lo, ms weather forecast, weather conditions and doppler radar from the weather channel and. Weather D Lo Ms.
From www.wjtv.com
Severe weather expected to move throughout Mississippi Tuesday Weather D Lo Ms Check current conditions in d'lo, ms with radar, hourly, and more. See the d'lo, ms extended weather forecast including feels like temperature, wind gust and chance of rain or snow from. Hourly weather forecast in d'lo, ms. Find daytime highs and nighttime lows from theweathernetwork.com. Today’s and tonight’s d'lo, ms weather forecast, weather conditions and doppler radar from the weather. Weather D Lo Ms.
From www.facebook.com
BREAKING NEWS🌪 The NOAA NWS... Mississippi Weather Network Weather D Lo Ms Hourly local weather forecast, weather conditions, precipitation, dew point, humidity, wind from weather.com and the weather channel. Find daytime highs and nighttime lows from theweathernetwork.com. D'lo, ms temperature trend for the next 14 days. Today’s and tonight’s d'lo, ms weather forecast, weather conditions and doppler radar from the weather channel and weather.com. Hourly weather forecast in d'lo, ms. Check current. Weather D Lo Ms.
From www.nationalweatherforce.com
Strong to Severe Thunderstorms Anticipated across the Mississippi Weather D Lo Ms Today’s and tonight’s d'lo, ms weather forecast, weather conditions and doppler radar from the weather channel and weather.com. D'lo, ms temperature trend for the next 14 days. Hourly local weather forecast, weather conditions, precipitation, dew point, humidity, wind from weather.com and the weather channel. Find daytime highs and nighttime lows from theweathernetwork.com. Check current conditions in d'lo, ms with radar,. Weather D Lo Ms.
From usa.liveuamap.com
Tornado Warning including Mendenhall MS, Polkville MS and D'Lo MS until Weather D Lo Ms Hourly local weather forecast, weather conditions, precipitation, dew point, humidity, wind from weather.com and the weather channel. D'lo, ms temperature trend for the next 14 days. Today’s and tonight’s d'lo, ms weather forecast, weather conditions and doppler radar from the weather channel and weather.com. Hourly weather forecast in d'lo, ms. Check current conditions in d'lo, ms with radar, hourly, and. Weather D Lo Ms.
From www.interactivehailmaps.com
Interactive Hail Maps Hail Map for Louin, MS Weather D Lo Ms Hourly local weather forecast, weather conditions, precipitation, dew point, humidity, wind from weather.com and the weather channel. Find daytime highs and nighttime lows from theweathernetwork.com. Hourly weather forecast in d'lo, ms. Check current conditions in d'lo, ms with radar, hourly, and more. D'lo, ms temperature trend for the next 14 days. Today’s and tonight’s d'lo, ms weather forecast, weather conditions. Weather D Lo Ms.
From www.foxweather.com
Greenville, MS is in bullseye of severe weather threat for Friday Weather D Lo Ms Today’s and tonight’s d'lo, ms weather forecast, weather conditions and doppler radar from the weather channel and weather.com. Check current conditions in d'lo, ms with radar, hourly, and more. D'lo, ms temperature trend for the next 14 days. Hourly local weather forecast, weather conditions, precipitation, dew point, humidity, wind from weather.com and the weather channel. Find daytime highs and nighttime. Weather D Lo Ms.
From weather.com
Central Mississippi Hit With Heavy Rains, Flooding Videos from The Weather D Lo Ms Find daytime highs and nighttime lows from theweathernetwork.com. Hourly local weather forecast, weather conditions, precipitation, dew point, humidity, wind from weather.com and the weather channel. See the d'lo, ms extended weather forecast including feels like temperature, wind gust and chance of rain or snow from. Check current conditions in d'lo, ms with radar, hourly, and more. D'lo, ms temperature trend. Weather D Lo Ms.
From www.15minutenews.com
First blizzard warning in 30 years issued for Los Angeles ahead of Weather D Lo Ms Hourly local weather forecast, weather conditions, precipitation, dew point, humidity, wind from weather.com and the weather channel. D'lo, ms temperature trend for the next 14 days. See the d'lo, ms extended weather forecast including feels like temperature, wind gust and chance of rain or snow from. Find daytime highs and nighttime lows from theweathernetwork.com. Hourly weather forecast in d'lo, ms.. Weather D Lo Ms.
From weather.com
Severe Weather Possible Videos from The Weather Channel Weather D Lo Ms Hourly weather forecast in d'lo, ms. Today’s and tonight’s d'lo, ms weather forecast, weather conditions and doppler radar from the weather channel and weather.com. D'lo, ms temperature trend for the next 14 days. Check current conditions in d'lo, ms with radar, hourly, and more. Find daytime highs and nighttime lows from theweathernetwork.com. Hourly local weather forecast, weather conditions, precipitation, dew. Weather D Lo Ms.
From twitter.com
NWS Jackson MS on Twitter "A special weather statement has been issued Weather D Lo Ms Hourly weather forecast in d'lo, ms. Hourly local weather forecast, weather conditions, precipitation, dew point, humidity, wind from weather.com and the weather channel. Check current conditions in d'lo, ms with radar, hourly, and more. Find daytime highs and nighttime lows from theweathernetwork.com. D'lo, ms temperature trend for the next 14 days. See the d'lo, ms extended weather forecast including feels. Weather D Lo Ms.
From www.lowrimore.com
Planning Weather D Lo Ms Hourly weather forecast in d'lo, ms. Find daytime highs and nighttime lows from theweathernetwork.com. D'lo, ms temperature trend for the next 14 days. Hourly local weather forecast, weather conditions, precipitation, dew point, humidity, wind from weather.com and the weather channel. Today’s and tonight’s d'lo, ms weather forecast, weather conditions and doppler radar from the weather channel and weather.com. See the. Weather D Lo Ms.
From www.nytimes.com
Tornado Strikes Mississippi, Causing Damage The New York Times Weather D Lo Ms Hourly weather forecast in d'lo, ms. Today’s and tonight’s d'lo, ms weather forecast, weather conditions and doppler radar from the weather channel and weather.com. See the d'lo, ms extended weather forecast including feels like temperature, wind gust and chance of rain or snow from. Hourly local weather forecast, weather conditions, precipitation, dew point, humidity, wind from weather.com and the weather. Weather D Lo Ms.
From emergencydentistry.com
Philadelphia Weather For The Next 10 Days Top Sellers Weather D Lo Ms Check current conditions in d'lo, ms with radar, hourly, and more. Hourly local weather forecast, weather conditions, precipitation, dew point, humidity, wind from weather.com and the weather channel. D'lo, ms temperature trend for the next 14 days. Find daytime highs and nighttime lows from theweathernetwork.com. Today’s and tonight’s d'lo, ms weather forecast, weather conditions and doppler radar from the weather. Weather D Lo Ms.
From paul-andersen-xw6e.squarespace.com
MSESS25 — The Wonder of Science Weather D Lo Ms Today’s and tonight’s d'lo, ms weather forecast, weather conditions and doppler radar from the weather channel and weather.com. Hourly weather forecast in d'lo, ms. Check current conditions in d'lo, ms with radar, hourly, and more. Find daytime highs and nighttime lows from theweathernetwork.com. D'lo, ms temperature trend for the next 14 days. See the d'lo, ms extended weather forecast including. Weather D Lo Ms.
From www.gulflive.com
Picture perfect weather continues for Mississippi coast into the Weather D Lo Ms Find daytime highs and nighttime lows from theweathernetwork.com. Today’s and tonight’s d'lo, ms weather forecast, weather conditions and doppler radar from the weather channel and weather.com. Check current conditions in d'lo, ms with radar, hourly, and more. Hourly local weather forecast, weather conditions, precipitation, dew point, humidity, wind from weather.com and the weather channel. See the d'lo, ms extended weather. Weather D Lo Ms.
From twitter.com
Weather Track US on Twitter "Tornado possible tagged SVR near New Weather D Lo Ms See the d'lo, ms extended weather forecast including feels like temperature, wind gust and chance of rain or snow from. Hourly local weather forecast, weather conditions, precipitation, dew point, humidity, wind from weather.com and the weather channel. Hourly weather forecast in d'lo, ms. Today’s and tonight’s d'lo, ms weather forecast, weather conditions and doppler radar from the weather channel and. Weather D Lo Ms.
From crast.net
Aquí se explica cómo usar todas las funciones de la nueva aplicación Weather D Lo Ms Hourly weather forecast in d'lo, ms. See the d'lo, ms extended weather forecast including feels like temperature, wind gust and chance of rain or snow from. Hourly local weather forecast, weather conditions, precipitation, dew point, humidity, wind from weather.com and the weather channel. D'lo, ms temperature trend for the next 14 days. Today’s and tonight’s d'lo, ms weather forecast, weather. Weather D Lo Ms.
From news413.com
Climate Prediction Center Releases Newest Summer Outlook Warm and Wet Weather D Lo Ms Find daytime highs and nighttime lows from theweathernetwork.com. See the d'lo, ms extended weather forecast including feels like temperature, wind gust and chance of rain or snow from. Hourly local weather forecast, weather conditions, precipitation, dew point, humidity, wind from weather.com and the weather channel. D'lo, ms temperature trend for the next 14 days. Today’s and tonight’s d'lo, ms weather. Weather D Lo Ms.