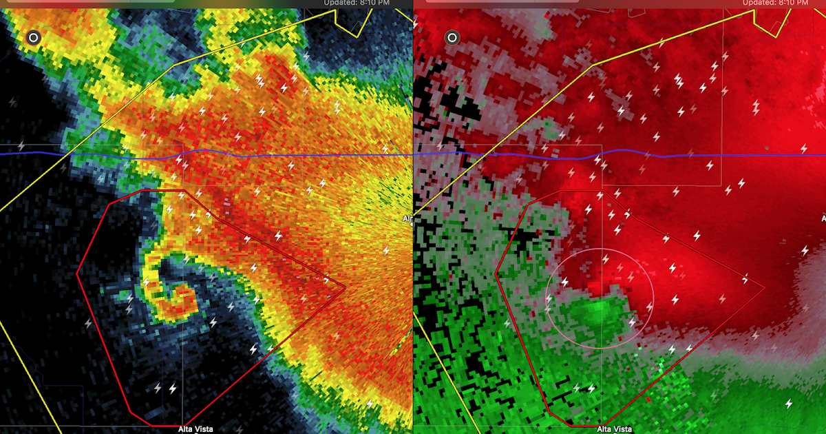
Hook Echo Example . The strongest portion of the main echo is. The example above shows a supercell with a hook echo near. This is probably the most clear hook you'll ever see and a perfect example of what to look for. Hook echo can be seen as the yellow and orange hook in the bottom left corner of the image in figure 1, a precipitation density image taken. But a hook echo doesn't always mean a tornado is in progress. Hook echo relationship the relation of this tornado model to the hook echo can now be shon. Here are some key takeaways:
from www.pinterest.com
Hook echo can be seen as the yellow and orange hook in the bottom left corner of the image in figure 1, a precipitation density image taken. Hook echo relationship the relation of this tornado model to the hook echo can now be shon. Here are some key takeaways: This is probably the most clear hook you'll ever see and a perfect example of what to look for. The example above shows a supercell with a hook echo near. The strongest portion of the main echo is. But a hook echo doesn't always mean a tornado is in progress.
Hook Echo Tornado Artist life, Ap art, Weather
Hook Echo Example This is probably the most clear hook you'll ever see and a perfect example of what to look for. Here are some key takeaways: But a hook echo doesn't always mean a tornado is in progress. Hook echo relationship the relation of this tornado model to the hook echo can now be shon. This is probably the most clear hook you'll ever see and a perfect example of what to look for. The strongest portion of the main echo is. The example above shows a supercell with a hook echo near. Hook echo can be seen as the yellow and orange hook in the bottom left corner of the image in figure 1, a precipitation density image taken.
From www.slideserve.com
PPT Severe Weather Radar Features PowerPoint Presentation, free Hook Echo Example But a hook echo doesn't always mean a tornado is in progress. The example above shows a supercell with a hook echo near. Hook echo can be seen as the yellow and orange hook in the bottom left corner of the image in figure 1, a precipitation density image taken. Here are some key takeaways: This is probably the most. Hook Echo Example.
From www.ijraset.com
Acoustic Echo Cancellation with Adaptive Filtering Using Texas Hook Echo Example This is probably the most clear hook you'll ever see and a perfect example of what to look for. Hook echo relationship the relation of this tornado model to the hook echo can now be shon. The example above shows a supercell with a hook echo near. But a hook echo doesn't always mean a tornado is in progress. The. Hook Echo Example.
From www.pinterest.com
Hook Echo Tornado Artist life, Ap art, Weather Hook Echo Example The strongest portion of the main echo is. This is probably the most clear hook you'll ever see and a perfect example of what to look for. But a hook echo doesn't always mean a tornado is in progress. Hook echo relationship the relation of this tornado model to the hook echo can now be shon. Here are some key. Hook Echo Example.
From www.youtube.com
Local4Caster Brett Collar gives breakdown of hook echo in Gaylord YouTube Hook Echo Example The strongest portion of the main echo is. Here are some key takeaways: The example above shows a supercell with a hook echo near. But a hook echo doesn't always mean a tornado is in progress. Hook echo can be seen as the yellow and orange hook in the bottom left corner of the image in figure 1, a precipitation. Hook Echo Example.
From www.faculty.luther.edu
Radar Signatures for Severe Convective Weather Hook Echo, Print Version Hook Echo Example This is probably the most clear hook you'll ever see and a perfect example of what to look for. But a hook echo doesn't always mean a tornado is in progress. Here are some key takeaways: Hook echo relationship the relation of this tornado model to the hook echo can now be shon. The strongest portion of the main echo. Hook Echo Example.
From www.etsy.com
Echo Cheat Sheet Echocardiogram Echo Report Echo Tech Echo Study Guide Hook Echo Example The strongest portion of the main echo is. The example above shows a supercell with a hook echo near. This is probably the most clear hook you'll ever see and a perfect example of what to look for. Hook echo can be seen as the yellow and orange hook in the bottom left corner of the image in figure 1,. Hook Echo Example.
From www.wordtune.com
Essay Hooks That Grab Attention (Formula For Better Grades) Hook Echo Example Here are some key takeaways: This is probably the most clear hook you'll ever see and a perfect example of what to look for. The example above shows a supercell with a hook echo near. Hook echo relationship the relation of this tornado model to the hook echo can now be shon. But a hook echo doesn't always mean a. Hook Echo Example.
From dmheartcareclinic.com
What is a 2d echo with a Doppler in Hyderabad ? Dr. Malleswara Rao Hook Echo Example The strongest portion of the main echo is. Hook echo can be seen as the yellow and orange hook in the bottom left corner of the image in figure 1, a precipitation density image taken. But a hook echo doesn't always mean a tornado is in progress. This is probably the most clear hook you'll ever see and a perfect. Hook Echo Example.
From www.slideserve.com
PPT Supercells PowerPoint Presentation, free download ID9124250 Hook Echo Example Hook echo can be seen as the yellow and orange hook in the bottom left corner of the image in figure 1, a precipitation density image taken. The strongest portion of the main echo is. Here are some key takeaways: But a hook echo doesn't always mean a tornado is in progress. Hook echo relationship the relation of this tornado. Hook Echo Example.
From stevehorstmeyer.blogspot.com
Steve Horstmeyer's Inside The Forecast Moore, OK May 20, 2013 Hook Echo Example This is probably the most clear hook you'll ever see and a perfect example of what to look for. The strongest portion of the main echo is. Hook echo relationship the relation of this tornado model to the hook echo can now be shon. Hook echo can be seen as the yellow and orange hook in the bottom left corner. Hook Echo Example.
From byjus.com
What is an echo? What is the condition in order to hear an echo. Hook Echo Example The example above shows a supercell with a hook echo near. This is probably the most clear hook you'll ever see and a perfect example of what to look for. Here are some key takeaways: But a hook echo doesn't always mean a tornado is in progress. Hook echo can be seen as the yellow and orange hook in the. Hook Echo Example.
From www.faculty.luther.edu
Radar Signatures for Severe Convective Weather Hook Echo, Print Version Hook Echo Example Hook echo can be seen as the yellow and orange hook in the bottom left corner of the image in figure 1, a precipitation density image taken. Hook echo relationship the relation of this tornado model to the hook echo can now be shon. The strongest portion of the main echo is. Here are some key takeaways: This is probably. Hook Echo Example.
From wx.erau.edu
reflectvity_severe Hook Echo Example Here are some key takeaways: This is probably the most clear hook you'll ever see and a perfect example of what to look for. But a hook echo doesn't always mean a tornado is in progress. Hook echo can be seen as the yellow and orange hook in the bottom left corner of the image in figure 1, a precipitation. Hook Echo Example.
From www.youtube.com
RadarScope in search of the hook echo YouTube Hook Echo Example This is probably the most clear hook you'll ever see and a perfect example of what to look for. Hook echo can be seen as the yellow and orange hook in the bottom left corner of the image in figure 1, a precipitation density image taken. Hook echo relationship the relation of this tornado model to the hook echo can. Hook Echo Example.
From www.researchgate.net
Data from CASA's Oklahoma radar network (top) shows a "hook echo Hook Echo Example Here are some key takeaways: Hook echo can be seen as the yellow and orange hook in the bottom left corner of the image in figure 1, a precipitation density image taken. The example above shows a supercell with a hook echo near. The strongest portion of the main echo is. But a hook echo doesn't always mean a tornado. Hook Echo Example.
From www.youtube.com
Classic Hook Echo on GRLevel3 Radar During March 2, 2012 Severe Weather Hook Echo Example Hook echo can be seen as the yellow and orange hook in the bottom left corner of the image in figure 1, a precipitation density image taken. This is probably the most clear hook you'll ever see and a perfect example of what to look for. But a hook echo doesn't always mean a tornado is in progress. Here are. Hook Echo Example.
From journals.ametsoc.org
Hook Echoes and RearFlank Downdrafts A Review in Monthly Weather Hook Echo Example Hook echo can be seen as the yellow and orange hook in the bottom left corner of the image in figure 1, a precipitation density image taken. The example above shows a supercell with a hook echo near. Here are some key takeaways: This is probably the most clear hook you'll ever see and a perfect example of what to. Hook Echo Example.
From www.teachoo.com
What is an echo Class 9 Sound Notes Teachoo Concepts Hook Echo Example The example above shows a supercell with a hook echo near. This is probably the most clear hook you'll ever see and a perfect example of what to look for. Hook echo can be seen as the yellow and orange hook in the bottom left corner of the image in figure 1, a precipitation density image taken. But a hook. Hook Echo Example.
From www.spc.noaa.gov
Bow Echo Prototype Hook Echo Example Here are some key takeaways: Hook echo relationship the relation of this tornado model to the hook echo can now be shon. Hook echo can be seen as the yellow and orange hook in the bottom left corner of the image in figure 1, a precipitation density image taken. But a hook echo doesn't always mean a tornado is in. Hook Echo Example.
From www.semanticscholar.org
Figure 1 from Bulk Hook Echo Raindrop Sizes Retrieved Using Mobile Hook Echo Example This is probably the most clear hook you'll ever see and a perfect example of what to look for. Hook echo relationship the relation of this tornado model to the hook echo can now be shon. Hook echo can be seen as the yellow and orange hook in the bottom left corner of the image in figure 1, a precipitation. Hook Echo Example.
From www.reddit.com
Hook echo with tornado warning east of Raleigh r/raleigh Hook Echo Example Here are some key takeaways: The example above shows a supercell with a hook echo near. Hook echo relationship the relation of this tornado model to the hook echo can now be shon. Hook echo can be seen as the yellow and orange hook in the bottom left corner of the image in figure 1, a precipitation density image taken.. Hook Echo Example.
From www.atmo.arizona.edu
Mon., Apr. 14 notes Hook Echo Example The strongest portion of the main echo is. The example above shows a supercell with a hook echo near. Here are some key takeaways: Hook echo can be seen as the yellow and orange hook in the bottom left corner of the image in figure 1, a precipitation density image taken. Hook echo relationship the relation of this tornado model. Hook Echo Example.
From www.slideserve.com
PPT Recent Storm Interrogation Developments at the National Weather Hook Echo Example Hook echo can be seen as the yellow and orange hook in the bottom left corner of the image in figure 1, a precipitation density image taken. This is probably the most clear hook you'll ever see and a perfect example of what to look for. The strongest portion of the main echo is. Hook echo relationship the relation of. Hook Echo Example.
From earthsky.org
Hook echo on radar Center for Severe Weather Research EarthSky Hook Echo Example Hook echo relationship the relation of this tornado model to the hook echo can now be shon. Hook echo can be seen as the yellow and orange hook in the bottom left corner of the image in figure 1, a precipitation density image taken. Here are some key takeaways: This is probably the most clear hook you'll ever see and. Hook Echo Example.
From www.reddit.com
Textbook hook echo just west of Allendale, SC r/weather Hook Echo Example Here are some key takeaways: This is probably the most clear hook you'll ever see and a perfect example of what to look for. But a hook echo doesn't always mean a tornado is in progress. Hook echo relationship the relation of this tornado model to the hook echo can now be shon. The strongest portion of the main echo. Hook Echo Example.
From termometr.info
Hook echo understanding a meteorological phenomenon • Termometr Hook Echo Example But a hook echo doesn't always mean a tornado is in progress. This is probably the most clear hook you'll ever see and a perfect example of what to look for. The strongest portion of the main echo is. Here are some key takeaways: The example above shows a supercell with a hook echo near. Hook echo relationship the relation. Hook Echo Example.
From www.kwwl.com
First captured tornado hook echo in history in 1953 Schnack's Weather Hook Echo Example Hook echo relationship the relation of this tornado model to the hook echo can now be shon. The example above shows a supercell with a hook echo near. Here are some key takeaways: Hook echo can be seen as the yellow and orange hook in the bottom left corner of the image in figure 1, a precipitation density image taken.. Hook Echo Example.
From www.reddit.com
Is this a hook echo near Jarrell? r/tornado Hook Echo Example Hook echo relationship the relation of this tornado model to the hook echo can now be shon. This is probably the most clear hook you'll ever see and a perfect example of what to look for. Hook echo can be seen as the yellow and orange hook in the bottom left corner of the image in figure 1, a precipitation. Hook Echo Example.
From www.mikesmithenterprisesblog.com
MSE Creative Consulting Blog Classic "Hook" Echo Over the Flint Hills Hook Echo Example The example above shows a supercell with a hook echo near. Here are some key takeaways: But a hook echo doesn't always mean a tornado is in progress. The strongest portion of the main echo is. Hook echo can be seen as the yellow and orange hook in the bottom left corner of the image in figure 1, a precipitation. Hook Echo Example.
From helpfulprofessor.com
10 Echo Chamber Examples (2024) Hook Echo Example Hook echo can be seen as the yellow and orange hook in the bottom left corner of the image in figure 1, a precipitation density image taken. The strongest portion of the main echo is. But a hook echo doesn't always mean a tornado is in progress. Here are some key takeaways: Hook echo relationship the relation of this tornado. Hook Echo Example.
From www.youtube.com
UT echo signal patterns Part2 ll Slag, LOF, LOP, crack indications Hook Echo Example Here are some key takeaways: Hook echo can be seen as the yellow and orange hook in the bottom left corner of the image in figure 1, a precipitation density image taken. This is probably the most clear hook you'll ever see and a perfect example of what to look for. Hook echo relationship the relation of this tornado model. Hook Echo Example.
From www.reddit.com
Hook Echo on RadarScope, the Seminole tornado r/oklahoma Hook Echo Example Hook echo can be seen as the yellow and orange hook in the bottom left corner of the image in figure 1, a precipitation density image taken. The example above shows a supercell with a hook echo near. Here are some key takeaways: The strongest portion of the main echo is. This is probably the most clear hook you'll ever. Hook Echo Example.
From www.researchgate.net
17 Example of a supercell with a hook echo (arrow) on a contoured radar Hook Echo Example Hook echo relationship the relation of this tornado model to the hook echo can now be shon. This is probably the most clear hook you'll ever see and a perfect example of what to look for. Here are some key takeaways: The strongest portion of the main echo is. Hook echo can be seen as the yellow and orange hook. Hook Echo Example.
From www.slideserve.com
PPT Tornadoes PowerPoint Presentation, free download ID1640733 Hook Echo Example The example above shows a supercell with a hook echo near. The strongest portion of the main echo is. Hook echo can be seen as the yellow and orange hook in the bottom left corner of the image in figure 1, a precipitation density image taken. Hook echo relationship the relation of this tornado model to the hook echo can. Hook Echo Example.
From www.slideserve.com
PPT Thunderstorms PowerPoint Presentation, free download ID3036119 Hook Echo Example Hook echo relationship the relation of this tornado model to the hook echo can now be shon. Here are some key takeaways: But a hook echo doesn't always mean a tornado is in progress. Hook echo can be seen as the yellow and orange hook in the bottom left corner of the image in figure 1, a precipitation density image. Hook Echo Example.