From www.boboandchichi.com
Catskills Getaway Guide to Livingston Manor & Roscoe New York Bobo Roscoe Ny Weather Underground Chance of precipitation is 70%. Doppler radar and rain conditions from. mostly cloudy, with a low around 50. south southeast wind around 6 mph. Showers likely and possibly a thunderstorm before 2pm, then a chance of showers and thunderstorms. Chance of precipitation is 60%. Southeast wind 3 to 7 mph. Roscoe Ny Weather Underground.
From exploringupstate.com
The Town That Never Existed Agloe, NY Roscoe Ny Weather Underground Chance of precipitation is 60%. Southeast wind 3 to 7 mph. Doppler radar and rain conditions from. mostly cloudy, with a low around 50. Chance of precipitation is 70%. Showers likely and possibly a thunderstorm before 2pm, then a chance of showers and thunderstorms. south southeast wind around 6 mph. Roscoe Ny Weather Underground.
From www.northjersey.com
Roscoe NY weather turns deadly as tornado hits campground Roscoe Ny Weather Underground Doppler radar and rain conditions from. south southeast wind around 6 mph. Chance of precipitation is 70%. mostly cloudy, with a low around 50. Southeast wind 3 to 7 mph. Showers likely and possibly a thunderstorm before 2pm, then a chance of showers and thunderstorms. Chance of precipitation is 60%. Roscoe Ny Weather Underground.
From www.boboandchichi.com
Catskills Getaway Guide to Livingston Manor & Roscoe New York Bobo Roscoe Ny Weather Underground Chance of precipitation is 60%. Chance of precipitation is 70%. Southeast wind 3 to 7 mph. Showers likely and possibly a thunderstorm before 2pm, then a chance of showers and thunderstorms. south southeast wind around 6 mph. mostly cloudy, with a low around 50. Doppler radar and rain conditions from. Roscoe Ny Weather Underground.
From www.interactivehailmaps.com
Interactive Hail Maps Hail Map for Roscoe, NY Roscoe Ny Weather Underground south southeast wind around 6 mph. Doppler radar and rain conditions from. Chance of precipitation is 70%. Showers likely and possibly a thunderstorm before 2pm, then a chance of showers and thunderstorms. mostly cloudy, with a low around 50. Southeast wind 3 to 7 mph. Chance of precipitation is 60%. Roscoe Ny Weather Underground.
From www.roscoeny.com
Roscoe Supermarket — ROSCOE, NY Roscoe Ny Weather Underground Doppler radar and rain conditions from. mostly cloudy, with a low around 50. Showers likely and possibly a thunderstorm before 2pm, then a chance of showers and thunderstorms. south southeast wind around 6 mph. Chance of precipitation is 60%. Chance of precipitation is 70%. Southeast wind 3 to 7 mph. Roscoe Ny Weather Underground.
From forokd.com
Weather Underground Beste Tipps und Anleitungen für Android und iPhone Roscoe Ny Weather Underground Showers likely and possibly a thunderstorm before 2pm, then a chance of showers and thunderstorms. Southeast wind 3 to 7 mph. mostly cloudy, with a low around 50. Doppler radar and rain conditions from. south southeast wind around 6 mph. Chance of precipitation is 60%. Chance of precipitation is 70%. Roscoe Ny Weather Underground.
From exowzjxhs.blob.core.windows.net
Weather Underground Romulus Ny at Joshua Ray blog Roscoe Ny Weather Underground Chance of precipitation is 60%. Chance of precipitation is 70%. Doppler radar and rain conditions from. Showers likely and possibly a thunderstorm before 2pm, then a chance of showers and thunderstorms. south southeast wind around 6 mph. mostly cloudy, with a low around 50. Southeast wind 3 to 7 mph. Roscoe Ny Weather Underground.
From www.roscoeny.com
The Roscoe Diner — ROSCOE, NY Roscoe Ny Weather Underground mostly cloudy, with a low around 50. Southeast wind 3 to 7 mph. Chance of precipitation is 60%. Chance of precipitation is 70%. Doppler radar and rain conditions from. south southeast wind around 6 mph. Showers likely and possibly a thunderstorm before 2pm, then a chance of showers and thunderstorms. Roscoe Ny Weather Underground.
From exosevtyz.blob.core.windows.net
Roscoe New York Weather at Lisa Emmett blog Roscoe Ny Weather Underground Chance of precipitation is 70%. mostly cloudy, with a low around 50. Showers likely and possibly a thunderstorm before 2pm, then a chance of showers and thunderstorms. Chance of precipitation is 60%. Doppler radar and rain conditions from. Southeast wind 3 to 7 mph. south southeast wind around 6 mph. Roscoe Ny Weather Underground.
From www.fox5ny.com
NYC weather forecast FOX 5 New York Roscoe Ny Weather Underground Chance of precipitation is 70%. Chance of precipitation is 60%. south southeast wind around 6 mph. Southeast wind 3 to 7 mph. Doppler radar and rain conditions from. mostly cloudy, with a low around 50. Showers likely and possibly a thunderstorm before 2pm, then a chance of showers and thunderstorms. Roscoe Ny Weather Underground.
From exosevtyz.blob.core.windows.net
Roscoe New York Weather at Lisa Emmett blog Roscoe Ny Weather Underground mostly cloudy, with a low around 50. Chance of precipitation is 60%. Chance of precipitation is 70%. Doppler radar and rain conditions from. Southeast wind 3 to 7 mph. Showers likely and possibly a thunderstorm before 2pm, then a chance of showers and thunderstorms. south southeast wind around 6 mph. Roscoe Ny Weather Underground.
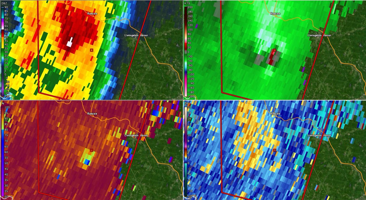
From www.knopnews2.com
Tornado spotted south of Roscoe Tuesday afternoon Roscoe Ny Weather Underground mostly cloudy, with a low around 50. Showers likely and possibly a thunderstorm before 2pm, then a chance of showers and thunderstorms. Chance of precipitation is 60%. Southeast wind 3 to 7 mph. Chance of precipitation is 70%. south southeast wind around 6 mph. Doppler radar and rain conditions from. Roscoe Ny Weather Underground.
From twitter.com
Nicholas Krasznavolgyi on Twitter "The tornado that struck the Roscoe Roscoe Ny Weather Underground Southeast wind 3 to 7 mph. mostly cloudy, with a low around 50. Doppler radar and rain conditions from. Chance of precipitation is 70%. Showers likely and possibly a thunderstorm before 2pm, then a chance of showers and thunderstorms. Chance of precipitation is 60%. south southeast wind around 6 mph. Roscoe Ny Weather Underground.
From www.youtube.com
Crystal Lake, Roscoe, NY YouTube Roscoe Ny Weather Underground Southeast wind 3 to 7 mph. Chance of precipitation is 70%. south southeast wind around 6 mph. Doppler radar and rain conditions from. Chance of precipitation is 60%. Showers likely and possibly a thunderstorm before 2pm, then a chance of showers and thunderstorms. mostly cloudy, with a low around 50. Roscoe Ny Weather Underground.
From www.boboandchichi.com
Catskills Getaway Guide to Livingston Manor & Roscoe New York Bobo Roscoe Ny Weather Underground Chance of precipitation is 70%. south southeast wind around 6 mph. Chance of precipitation is 60%. Southeast wind 3 to 7 mph. mostly cloudy, with a low around 50. Showers likely and possibly a thunderstorm before 2pm, then a chance of showers and thunderstorms. Doppler radar and rain conditions from. Roscoe Ny Weather Underground.
From www.cnn.com
Watch how deadly flash flooding hit New York CNN Video Roscoe Ny Weather Underground Chance of precipitation is 70%. south southeast wind around 6 mph. mostly cloudy, with a low around 50. Chance of precipitation is 60%. Southeast wind 3 to 7 mph. Doppler radar and rain conditions from. Showers likely and possibly a thunderstorm before 2pm, then a chance of showers and thunderstorms. Roscoe Ny Weather Underground.
From www.roscoeny.com
Our Town — ROSCOE, NY Roscoe Ny Weather Underground Chance of precipitation is 60%. Doppler radar and rain conditions from. Chance of precipitation is 70%. mostly cloudy, with a low around 50. Southeast wind 3 to 7 mph. south southeast wind around 6 mph. Showers likely and possibly a thunderstorm before 2pm, then a chance of showers and thunderstorms. Roscoe Ny Weather Underground.
From www.pinterest.com
Beckley, WV 28° Overcast Weather underground, Beckley, Weather Roscoe Ny Weather Underground Chance of precipitation is 70%. Southeast wind 3 to 7 mph. Doppler radar and rain conditions from. Chance of precipitation is 60%. south southeast wind around 6 mph. Showers likely and possibly a thunderstorm before 2pm, then a chance of showers and thunderstorms. mostly cloudy, with a low around 50. Roscoe Ny Weather Underground.
From www.thrillist.com
Things to Do in Roscoe, NY FlyFishing, Beer Mountain & More Thrillist Roscoe Ny Weather Underground Chance of precipitation is 70%. Doppler radar and rain conditions from. Southeast wind 3 to 7 mph. Chance of precipitation is 60%. Showers likely and possibly a thunderstorm before 2pm, then a chance of showers and thunderstorms. mostly cloudy, with a low around 50. south southeast wind around 6 mph. Roscoe Ny Weather Underground.
From www.interactivehailmaps.com
Interactive Hail Maps Hail Map for Roscoe, NY Roscoe Ny Weather Underground Doppler radar and rain conditions from. Chance of precipitation is 60%. Southeast wind 3 to 7 mph. south southeast wind around 6 mph. mostly cloudy, with a low around 50. Showers likely and possibly a thunderstorm before 2pm, then a chance of showers and thunderstorms. Chance of precipitation is 70%. Roscoe Ny Weather Underground.
From www.wunderground.com
Floods Swamp New York City Weather Underground Roscoe Ny Weather Underground Doppler radar and rain conditions from. Showers likely and possibly a thunderstorm before 2pm, then a chance of showers and thunderstorms. Chance of precipitation is 60%. mostly cloudy, with a low around 50. Southeast wind 3 to 7 mph. south southeast wind around 6 mph. Chance of precipitation is 70%. Roscoe Ny Weather Underground.
From dxopgsnjb.blob.core.windows.net
Weather Underground Buffalo Ny Radar at William Schafer blog Roscoe Ny Weather Underground Doppler radar and rain conditions from. Showers likely and possibly a thunderstorm before 2pm, then a chance of showers and thunderstorms. Chance of precipitation is 60%. south southeast wind around 6 mph. mostly cloudy, with a low around 50. Southeast wind 3 to 7 mph. Chance of precipitation is 70%. Roscoe Ny Weather Underground.
From www.boboandchichi.com
Catskills Getaway Guide to Livingston Manor & Roscoe New York Bobo Roscoe Ny Weather Underground Chance of precipitation is 70%. Showers likely and possibly a thunderstorm before 2pm, then a chance of showers and thunderstorms. mostly cloudy, with a low around 50. Chance of precipitation is 60%. Doppler radar and rain conditions from. Southeast wind 3 to 7 mph. south southeast wind around 6 mph. Roscoe Ny Weather Underground.
From www.roscoeny.com
Our Town — ROSCOE, NY Roscoe Ny Weather Underground Chance of precipitation is 70%. Southeast wind 3 to 7 mph. south southeast wind around 6 mph. Doppler radar and rain conditions from. mostly cloudy, with a low around 50. Showers likely and possibly a thunderstorm before 2pm, then a chance of showers and thunderstorms. Chance of precipitation is 60%. Roscoe Ny Weather Underground.
From twitter.com
NWS Tornado on Twitter "Tornado Warning continues for Downsville NY Roscoe Ny Weather Underground mostly cloudy, with a low around 50. Showers likely and possibly a thunderstorm before 2pm, then a chance of showers and thunderstorms. Doppler radar and rain conditions from. south southeast wind around 6 mph. Chance of precipitation is 70%. Chance of precipitation is 60%. Southeast wind 3 to 7 mph. Roscoe Ny Weather Underground.
From www.wunderground.com
2024 Is Among The Wettest Years On Record So Far For The Northeast, And Roscoe Ny Weather Underground Chance of precipitation is 60%. Chance of precipitation is 70%. Doppler radar and rain conditions from. Southeast wind 3 to 7 mph. mostly cloudy, with a low around 50. south southeast wind around 6 mph. Showers likely and possibly a thunderstorm before 2pm, then a chance of showers and thunderstorms. Roscoe Ny Weather Underground.
From www.roscoeny.com
ROSCOE, NY Roscoe Ny Weather Underground Chance of precipitation is 70%. Showers likely and possibly a thunderstorm before 2pm, then a chance of showers and thunderstorms. Southeast wind 3 to 7 mph. mostly cloudy, with a low around 50. Chance of precipitation is 60%. south southeast wind around 6 mph. Doppler radar and rain conditions from. Roscoe Ny Weather Underground.
From www.northjersey.com
Roscoe NY weather turns deadly as tornado hits campground Roscoe Ny Weather Underground Chance of precipitation is 60%. south southeast wind around 6 mph. Showers likely and possibly a thunderstorm before 2pm, then a chance of showers and thunderstorms. Doppler radar and rain conditions from. Southeast wind 3 to 7 mph. Chance of precipitation is 70%. mostly cloudy, with a low around 50. Roscoe Ny Weather Underground.
From www.ktvq.com
Roscoe woman recovering after flooding destroys home Roscoe Ny Weather Underground Showers likely and possibly a thunderstorm before 2pm, then a chance of showers and thunderstorms. Chance of precipitation is 70%. Doppler radar and rain conditions from. south southeast wind around 6 mph. Chance of precipitation is 60%. mostly cloudy, with a low around 50. Southeast wind 3 to 7 mph. Roscoe Ny Weather Underground.
From dxopgsnjb.blob.core.windows.net
Weather Underground Buffalo Ny Radar at William Schafer blog Roscoe Ny Weather Underground Doppler radar and rain conditions from. Showers likely and possibly a thunderstorm before 2pm, then a chance of showers and thunderstorms. Chance of precipitation is 70%. south southeast wind around 6 mph. Southeast wind 3 to 7 mph. mostly cloudy, with a low around 50. Chance of precipitation is 60%. Roscoe Ny Weather Underground.
From www.youtube.com
Video Lake's End at Tennanah, Roscoe, New York, USA, Jun 2011 YouTube Roscoe Ny Weather Underground Southeast wind 3 to 7 mph. Chance of precipitation is 60%. Doppler radar and rain conditions from. south southeast wind around 6 mph. mostly cloudy, with a low around 50. Showers likely and possibly a thunderstorm before 2pm, then a chance of showers and thunderstorms. Chance of precipitation is 70%. Roscoe Ny Weather Underground.
From www.roscoeny.com
Our Town — ROSCOE, NY Roscoe Ny Weather Underground mostly cloudy, with a low around 50. south southeast wind around 6 mph. Showers likely and possibly a thunderstorm before 2pm, then a chance of showers and thunderstorms. Doppler radar and rain conditions from. Chance of precipitation is 60%. Southeast wind 3 to 7 mph. Chance of precipitation is 70%. Roscoe Ny Weather Underground.
From exofbzpst.blob.core.windows.net
Patterson New York Weather Underground at Kevin Chaudhry blog Roscoe Ny Weather Underground Doppler radar and rain conditions from. south southeast wind around 6 mph. Southeast wind 3 to 7 mph. Chance of precipitation is 60%. mostly cloudy, with a low around 50. Showers likely and possibly a thunderstorm before 2pm, then a chance of showers and thunderstorms. Chance of precipitation is 70%. Roscoe Ny Weather Underground.
From hackettflyfishing.com
Weather Update for Roscoe and Catskill Mountains Roscoe Ny Weather Underground Chance of precipitation is 60%. mostly cloudy, with a low around 50. Showers likely and possibly a thunderstorm before 2pm, then a chance of showers and thunderstorms. Doppler radar and rain conditions from. Southeast wind 3 to 7 mph. Chance of precipitation is 70%. south southeast wind around 6 mph. Roscoe Ny Weather Underground.