Rose Black Spot Pathogen Name . Learn about rose black spot, a fungal disease that causes purple or black spots on rose leaves and reduces plant vigour. Rose black spot is caused by a fungal pathogen called diplocarpon rosae, which infects rose plants and causes characteristic black spots on the leaves. Learn how to identify and manage black spot, a common fungal disease of roses that causes dark spots on leaves and canes. The fungus diplocarpon rosae causes black spot in roses. Diplocarpon rosae (sexual stage) and marssonina rosae (asexual stage) introduction. The pathogen overwinters on fallen leaves and. Find out how to identify,. Black spot of rose is one of the most common and important diseases of roses throughout the. Find out which rose cultivars are resistant and how to apply. Learn how to identify and control rose black spot, the most serious disease of roses, caused by a fungus that infects the leaves and reduces plant vigour. It causes black or purple spots on leaves with yellow halos, leaf drop, and reduced plant vigor. Rose black spot is a common and important disease of roses caused by the fungus diplocarpon rosae.
from www.flickr.com
Learn how to identify and control rose black spot, the most serious disease of roses, caused by a fungus that infects the leaves and reduces plant vigour. Black spot of rose is one of the most common and important diseases of roses throughout the. Rose black spot is caused by a fungal pathogen called diplocarpon rosae, which infects rose plants and causes characteristic black spots on the leaves. Learn about rose black spot, a fungal disease that causes purple or black spots on rose leaves and reduces plant vigour. The pathogen overwinters on fallen leaves and. Learn how to identify and manage black spot, a common fungal disease of roses that causes dark spots on leaves and canes. Diplocarpon rosae (sexual stage) and marssonina rosae (asexual stage) introduction. Rose black spot is a common and important disease of roses caused by the fungus diplocarpon rosae. It causes black or purple spots on leaves with yellow halos, leaf drop, and reduced plant vigor. The fungus diplocarpon rosae causes black spot in roses.
Rose Black spot Pathogen Diplocarpon rosae Read www.cta… Flickr
Rose Black Spot Pathogen Name Find out which rose cultivars are resistant and how to apply. Rose black spot is caused by a fungal pathogen called diplocarpon rosae, which infects rose plants and causes characteristic black spots on the leaves. Find out how to identify,. Rose black spot is a common and important disease of roses caused by the fungus diplocarpon rosae. Learn how to identify and manage black spot, a common fungal disease of roses that causes dark spots on leaves and canes. Learn how to identify and control rose black spot, the most serious disease of roses, caused by a fungus that infects the leaves and reduces plant vigour. Learn about rose black spot, a fungal disease that causes purple or black spots on rose leaves and reduces plant vigour. The fungus diplocarpon rosae causes black spot in roses. The pathogen overwinters on fallen leaves and. Diplocarpon rosae (sexual stage) and marssonina rosae (asexual stage) introduction. Find out which rose cultivars are resistant and how to apply. It causes black or purple spots on leaves with yellow halos, leaf drop, and reduced plant vigor. Black spot of rose is one of the most common and important diseases of roses throughout the.
From www.flickriver.com
Rose (Rosa sp.) Black spot a photo on Flickriver Rose Black Spot Pathogen Name The fungus diplocarpon rosae causes black spot in roses. Find out which rose cultivars are resistant and how to apply. Black spot of rose is one of the most common and important diseases of roses throughout the. The pathogen overwinters on fallen leaves and. Find out how to identify,. Rose black spot is a common and important disease of roses. Rose Black Spot Pathogen Name.
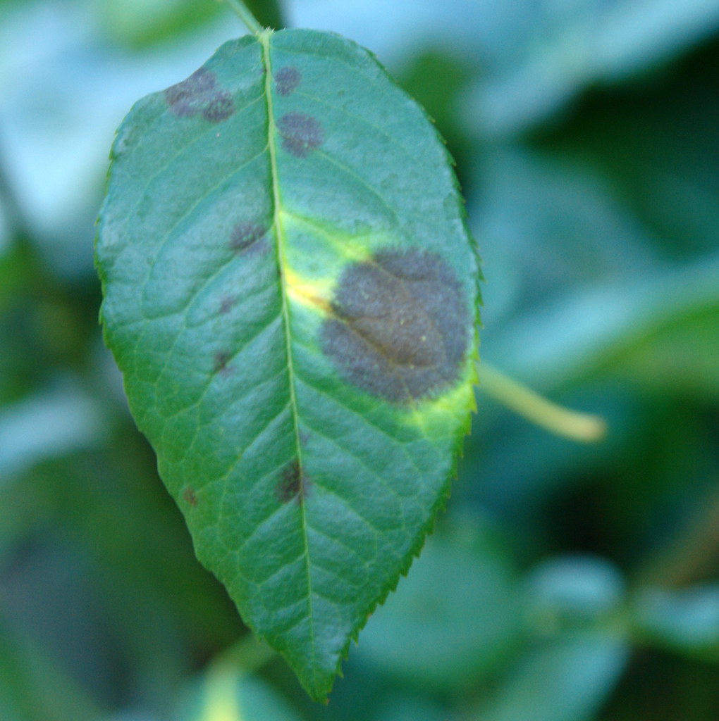
From apps.lucidcentral.org
Rose black spot (388) Rose Black Spot Pathogen Name The pathogen overwinters on fallen leaves and. It causes black or purple spots on leaves with yellow halos, leaf drop, and reduced plant vigor. The fungus diplocarpon rosae causes black spot in roses. Learn how to identify and control rose black spot, the most serious disease of roses, caused by a fungus that infects the leaves and reduces plant vigour.. Rose Black Spot Pathogen Name.
From www.flickr.com
Rose Black spot Pathogen Diplocarpon rosae Read www.cta… Flickr Rose Black Spot Pathogen Name Learn how to identify and control rose black spot, the most serious disease of roses, caused by a fungus that infects the leaves and reduces plant vigour. Find out how to identify,. Learn how to identify and manage black spot, a common fungal disease of roses that causes dark spots on leaves and canes. It causes black or purple spots. Rose Black Spot Pathogen Name.
From www.bbc.co.uk
Controlling the spread of plant disease Plant diseases AQA Synergy Rose Black Spot Pathogen Name Rose black spot is caused by a fungal pathogen called diplocarpon rosae, which infects rose plants and causes characteristic black spots on the leaves. Find out which rose cultivars are resistant and how to apply. Learn how to identify and manage black spot, a common fungal disease of roses that causes dark spots on leaves and canes. Learn how to. Rose Black Spot Pathogen Name.
From kisanvedika.bighaat.com
Rose Black Spot The Ultimate Guide for Healthy Roses Rose Black Spot Pathogen Name It causes black or purple spots on leaves with yellow halos, leaf drop, and reduced plant vigor. Rose black spot is a common and important disease of roses caused by the fungus diplocarpon rosae. Diplocarpon rosae (sexual stage) and marssonina rosae (asexual stage) introduction. The fungus diplocarpon rosae causes black spot in roses. Learn how to identify and manage black. Rose Black Spot Pathogen Name.
From www.sandiegouniontribune.com
How do you ward off plant disease in the rose garden? Just do the math Rose Black Spot Pathogen Name Rose black spot is a common and important disease of roses caused by the fungus diplocarpon rosae. Diplocarpon rosae (sexual stage) and marssonina rosae (asexual stage) introduction. The fungus diplocarpon rosae causes black spot in roses. The pathogen overwinters on fallen leaves and. Find out how to identify,. Black spot of rose is one of the most common and important. Rose Black Spot Pathogen Name.
From www.flickr.com
Rose Black spot Pathogen Diplocarpon rosae (fungus) Read… Flickr Rose Black Spot Pathogen Name Learn how to identify and manage black spot, a common fungal disease of roses that causes dark spots on leaves and canes. Diplocarpon rosae (sexual stage) and marssonina rosae (asexual stage) introduction. The pathogen overwinters on fallen leaves and. Rose black spot is caused by a fungal pathogen called diplocarpon rosae, which infects rose plants and causes characteristic black spots. Rose Black Spot Pathogen Name.
From www.flickr.com
Rose (Rosa sp.) Black spot Pathogen Diplocarpon rosae Re… Flickr Rose Black Spot Pathogen Name Rose black spot is caused by a fungal pathogen called diplocarpon rosae, which infects rose plants and causes characteristic black spots on the leaves. Find out how to identify,. Find out which rose cultivars are resistant and how to apply. Learn how to identify and control rose black spot, the most serious disease of roses, caused by a fungus that. Rose Black Spot Pathogen Name.
From www.plantura.garden
Rose black spot identification & treatment Plantura Rose Black Spot Pathogen Name Diplocarpon rosae (sexual stage) and marssonina rosae (asexual stage) introduction. Learn how to identify and manage black spot, a common fungal disease of roses that causes dark spots on leaves and canes. It causes black or purple spots on leaves with yellow halos, leaf drop, and reduced plant vigor. The pathogen overwinters on fallen leaves and. Find out how to. Rose Black Spot Pathogen Name.
From www.flickr.com
Rose Black spot Pathogen Diplocarpon rosae (fungus) Read… Flickr Rose Black Spot Pathogen Name Rose black spot is a common and important disease of roses caused by the fungus diplocarpon rosae. Diplocarpon rosae (sexual stage) and marssonina rosae (asexual stage) introduction. It causes black or purple spots on leaves with yellow halos, leaf drop, and reduced plant vigor. Rose black spot is caused by a fungal pathogen called diplocarpon rosae, which infects rose plants. Rose Black Spot Pathogen Name.
From www.thespruce.com
Growing Roses Dealing With Rose Diseases Rose Black Spot Pathogen Name Diplocarpon rosae (sexual stage) and marssonina rosae (asexual stage) introduction. Rose black spot is a common and important disease of roses caused by the fungus diplocarpon rosae. Find out which rose cultivars are resistant and how to apply. The pathogen overwinters on fallen leaves and. Learn how to identify and manage black spot, a common fungal disease of roses that. Rose Black Spot Pathogen Name.
From www.gardenia.net
Rose Black Spot Identify, Prevent and Treat it Rose Black Spot Pathogen Name Find out how to identify,. Learn how to identify and manage black spot, a common fungal disease of roses that causes dark spots on leaves and canes. The fungus diplocarpon rosae causes black spot in roses. It causes black or purple spots on leaves with yellow halos, leaf drop, and reduced plant vigor. Learn how to identify and control rose. Rose Black Spot Pathogen Name.
From www.pinterest.co.uk
How to Treat and Prevent Black Spots on Roses Black spot on roses Rose Black Spot Pathogen Name Find out how to identify,. Rose black spot is caused by a fungal pathogen called diplocarpon rosae, which infects rose plants and causes characteristic black spots on the leaves. Learn how to identify and control rose black spot, the most serious disease of roses, caused by a fungus that infects the leaves and reduces plant vigour. Rose black spot is. Rose Black Spot Pathogen Name.
From www.plantura.garden
Rose black spot identification & treatment Plantura Rose Black Spot Pathogen Name Learn about rose black spot, a fungal disease that causes purple or black spots on rose leaves and reduces plant vigour. Rose black spot is caused by a fungal pathogen called diplocarpon rosae, which infects rose plants and causes characteristic black spots on the leaves. Find out how to identify,. Diplocarpon rosae (sexual stage) and marssonina rosae (asexual stage) introduction.. Rose Black Spot Pathogen Name.
From www.dreamstime.com
Plant Disease, Black Spot on Rose`s Leaf, Fungal Disease Stock Photo Rose Black Spot Pathogen Name Diplocarpon rosae (sexual stage) and marssonina rosae (asexual stage) introduction. Learn about rose black spot, a fungal disease that causes purple or black spots on rose leaves and reduces plant vigour. Find out which rose cultivars are resistant and how to apply. Find out how to identify,. The fungus diplocarpon rosae causes black spot in roses. Black spot of rose. Rose Black Spot Pathogen Name.
From exokikiss.blob.core.windows.net
How Does Rose Black Spot Cause Disease at Daniel Perry blog Rose Black Spot Pathogen Name Rose black spot is caused by a fungal pathogen called diplocarpon rosae, which infects rose plants and causes characteristic black spots on the leaves. Learn how to identify and manage black spot, a common fungal disease of roses that causes dark spots on leaves and canes. Learn about rose black spot, a fungal disease that causes purple or black spots. Rose Black Spot Pathogen Name.
From stock.adobe.com
The rose black spot disease caused by the fungus Diplocarpon rosae. The Rose Black Spot Pathogen Name Diplocarpon rosae (sexual stage) and marssonina rosae (asexual stage) introduction. Find out how to identify,. Rose black spot is caused by a fungal pathogen called diplocarpon rosae, which infects rose plants and causes characteristic black spots on the leaves. Learn how to identify and manage black spot, a common fungal disease of roses that causes dark spots on leaves and. Rose Black Spot Pathogen Name.
From www.flickr.com
Black spot of rose Pathogen Diplocarpon rosae (fungus) … Flickr Rose Black Spot Pathogen Name The pathogen overwinters on fallen leaves and. Find out how to identify,. Learn how to identify and control rose black spot, the most serious disease of roses, caused by a fungus that infects the leaves and reduces plant vigour. It causes black or purple spots on leaves with yellow halos, leaf drop, and reduced plant vigor. Rose black spot is. Rose Black Spot Pathogen Name.
From www.freepik.com
Premium Photo The rose black spot disease caused by the fungus Rose Black Spot Pathogen Name Learn how to identify and manage black spot, a common fungal disease of roses that causes dark spots on leaves and canes. Find out how to identify,. Black spot of rose is one of the most common and important diseases of roses throughout the. Find out which rose cultivars are resistant and how to apply. The fungus diplocarpon rosae causes. Rose Black Spot Pathogen Name.
From apps.lucidcentral.org
Rose black spot (388) Rose Black Spot Pathogen Name Learn how to identify and control rose black spot, the most serious disease of roses, caused by a fungus that infects the leaves and reduces plant vigour. Learn about rose black spot, a fungal disease that causes purple or black spots on rose leaves and reduces plant vigour. It causes black or purple spots on leaves with yellow halos, leaf. Rose Black Spot Pathogen Name.
From flickr.com
Black spot of rose Pathogen Diplocarpon rosae (fungus) Scot Nelson Rose Black Spot Pathogen Name Learn how to identify and manage black spot, a common fungal disease of roses that causes dark spots on leaves and canes. Find out how to identify,. Rose black spot is caused by a fungal pathogen called diplocarpon rosae, which infects rose plants and causes characteristic black spots on the leaves. The fungus diplocarpon rosae causes black spot in roses.. Rose Black Spot Pathogen Name.
From naturery.net
Learn how to Establish and Handle Black Spot on Roses Rose Black Spot Pathogen Name Learn how to identify and manage black spot, a common fungal disease of roses that causes dark spots on leaves and canes. Diplocarpon rosae (sexual stage) and marssonina rosae (asexual stage) introduction. The pathogen overwinters on fallen leaves and. The fungus diplocarpon rosae causes black spot in roses. Learn how to identify and control rose black spot, the most serious. Rose Black Spot Pathogen Name.
From www.pinterest.com
Black spot solution GardenPests Black spot on roses, Rose bush care Rose Black Spot Pathogen Name The fungus diplocarpon rosae causes black spot in roses. Learn how to identify and control rose black spot, the most serious disease of roses, caused by a fungus that infects the leaves and reduces plant vigour. Rose black spot is caused by a fungal pathogen called diplocarpon rosae, which infects rose plants and causes characteristic black spots on the leaves.. Rose Black Spot Pathogen Name.
From www.flickr.com
Rose Black spot Pathogen Diplocarpon rosae (fungus) Read… Flickr Rose Black Spot Pathogen Name It causes black or purple spots on leaves with yellow halos, leaf drop, and reduced plant vigor. The pathogen overwinters on fallen leaves and. Learn about rose black spot, a fungal disease that causes purple or black spots on rose leaves and reduces plant vigour. Rose black spot is a common and important disease of roses caused by the fungus. Rose Black Spot Pathogen Name.
From www.semanticscholar.org
Survey and Pathogenicity of Black Spot Disease of Rose in Pakistan Rose Black Spot Pathogen Name Learn about rose black spot, a fungal disease that causes purple or black spots on rose leaves and reduces plant vigour. Learn how to identify and manage black spot, a common fungal disease of roses that causes dark spots on leaves and canes. The fungus diplocarpon rosae causes black spot in roses. It causes black or purple spots on leaves. Rose Black Spot Pathogen Name.
From exyrmdify.blob.core.windows.net
Roses Black Spot On Leaves at Charlene Moreno blog Rose Black Spot Pathogen Name Black spot of rose is one of the most common and important diseases of roses throughout the. Rose black spot is caused by a fungal pathogen called diplocarpon rosae, which infects rose plants and causes characteristic black spots on the leaves. Rose black spot is a common and important disease of roses caused by the fungus diplocarpon rosae. Learn how. Rose Black Spot Pathogen Name.
From ceajcslf.blob.core.windows.net
How To Remove Dark Spots Caused By Fungal Infection at Sidney Mccoy blog Rose Black Spot Pathogen Name Diplocarpon rosae (sexual stage) and marssonina rosae (asexual stage) introduction. Rose black spot is a common and important disease of roses caused by the fungus diplocarpon rosae. Learn about rose black spot, a fungal disease that causes purple or black spots on rose leaves and reduces plant vigour. Learn how to identify and manage black spot, a common fungal disease. Rose Black Spot Pathogen Name.
From www.flickr.com
Rose Black spot Pathogen Diplocarpon rosae Read www.cta… Flickr Rose Black Spot Pathogen Name Find out how to identify,. Rose black spot is a common and important disease of roses caused by the fungus diplocarpon rosae. The pathogen overwinters on fallen leaves and. It causes black or purple spots on leaves with yellow halos, leaf drop, and reduced plant vigor. Black spot of rose is one of the most common and important diseases of. Rose Black Spot Pathogen Name.
From balconygardenweb.com
Black Spots on Roses Common Reasons and Solutions Balcony Garden Rose Black Spot Pathogen Name Find out which rose cultivars are resistant and how to apply. Find out how to identify,. It causes black or purple spots on leaves with yellow halos, leaf drop, and reduced plant vigor. Black spot of rose is one of the most common and important diseases of roses throughout the. Diplocarpon rosae (sexual stage) and marssonina rosae (asexual stage) introduction.. Rose Black Spot Pathogen Name.
From today.oregonstate.edu
Fight ‘big four’ rose problems with prevention strategies Oregon Rose Black Spot Pathogen Name Rose black spot is caused by a fungal pathogen called diplocarpon rosae, which infects rose plants and causes characteristic black spots on the leaves. Learn how to identify and control rose black spot, the most serious disease of roses, caused by a fungus that infects the leaves and reduces plant vigour. Black spot of rose is one of the most. Rose Black Spot Pathogen Name.
From www.flickr.com
Black spot of rose Pathogen Diplocarpon rosae (fungus) … Flickr Rose Black Spot Pathogen Name Find out how to identify,. The pathogen overwinters on fallen leaves and. Learn how to identify and manage black spot, a common fungal disease of roses that causes dark spots on leaves and canes. The fungus diplocarpon rosae causes black spot in roses. Learn how to identify and control rose black spot, the most serious disease of roses, caused by. Rose Black Spot Pathogen Name.
From discover.hubpages.com
How to Treat and Prevent Black Spot Disease on Roses HubPages Rose Black Spot Pathogen Name Find out how to identify,. Rose black spot is caused by a fungal pathogen called diplocarpon rosae, which infects rose plants and causes characteristic black spots on the leaves. Learn how to identify and manage black spot, a common fungal disease of roses that causes dark spots on leaves and canes. Rose black spot is a common and important disease. Rose Black Spot Pathogen Name.
From www.freepik.com
Premium Photo The rose black spot disease caused by the fungus Rose Black Spot Pathogen Name Find out which rose cultivars are resistant and how to apply. Diplocarpon rosae (sexual stage) and marssonina rosae (asexual stage) introduction. Black spot of rose is one of the most common and important diseases of roses throughout the. The fungus diplocarpon rosae causes black spot in roses. Rose black spot is caused by a fungal pathogen called diplocarpon rosae, which. Rose Black Spot Pathogen Name.
From horticulture.co.uk
Phillip Harkness On Yellowing Rose Leaves 'Prevention Is Better Than Rose Black Spot Pathogen Name Learn about rose black spot, a fungal disease that causes purple or black spots on rose leaves and reduces plant vigour. Find out how to identify,. Find out which rose cultivars are resistant and how to apply. Diplocarpon rosae (sexual stage) and marssonina rosae (asexual stage) introduction. Rose black spot is a common and important disease of roses caused by. Rose Black Spot Pathogen Name.
From www.homesandgardens.com
Rose black spot how to prevent and beat this common disease Homes Rose Black Spot Pathogen Name Learn how to identify and manage black spot, a common fungal disease of roses that causes dark spots on leaves and canes. Find out how to identify,. Black spot of rose is one of the most common and important diseases of roses throughout the. Learn how to identify and control rose black spot, the most serious disease of roses, caused. Rose Black Spot Pathogen Name.