Total Hip Replacement Canine . The goal of a total hip replacement is to restore normal function to the hip joint, and alleviate the pain and discomfort associated with hip dysplasia. A total hip replacement (thr) is a surgical procedure during which the entire hip joint is replaced. Total hip replacement surgery removes and replaces both the ball and socket with prostheses (artificial parts). Total hip replacement (thr) is used for dogs and cats of all ages. The thr procedure is commonly performed to treat pain and disability associated with hip dysplasia and degenerative osteoarthritis conditions. Prosthetic implants used in a thr fit with precision and mimic the original joint anatomy and function. This creates a new joint for the body. Most canine hip replacement prostheses have a metal ball at the top of the. The most frequent indication for total hip replacement in dogs is the relief of pain and lameness caused by severe arthritis secondary. Total hip replacement in dogs is a procedure where the entire arthritic hip joint is replaced with a prosthesis, including the stem (within the femur), ball (femoral head) and socket (acetabulum). There are different types of implants that can be used for your pet and vary in composition.
from www.kyon.ch
Total hip replacement surgery removes and replaces both the ball and socket with prostheses (artificial parts). There are different types of implants that can be used for your pet and vary in composition. Total hip replacement (thr) is used for dogs and cats of all ages. The most frequent indication for total hip replacement in dogs is the relief of pain and lameness caused by severe arthritis secondary. This creates a new joint for the body. A total hip replacement (thr) is a surgical procedure during which the entire hip joint is replaced. Most canine hip replacement prostheses have a metal ball at the top of the. The thr procedure is commonly performed to treat pain and disability associated with hip dysplasia and degenerative osteoarthritis conditions. Prosthetic implants used in a thr fit with precision and mimic the original joint anatomy and function. Total hip replacement in dogs is a procedure where the entire arthritic hip joint is replaced with a prosthesis, including the stem (within the femur), ball (femoral head) and socket (acetabulum).
THR Total Hip Replacement KYON
Total Hip Replacement Canine The goal of a total hip replacement is to restore normal function to the hip joint, and alleviate the pain and discomfort associated with hip dysplasia. Total hip replacement (thr) is used for dogs and cats of all ages. The goal of a total hip replacement is to restore normal function to the hip joint, and alleviate the pain and discomfort associated with hip dysplasia. Total hip replacement surgery removes and replaces both the ball and socket with prostheses (artificial parts). There are different types of implants that can be used for your pet and vary in composition. The thr procedure is commonly performed to treat pain and disability associated with hip dysplasia and degenerative osteoarthritis conditions. Total hip replacement in dogs is a procedure where the entire arthritic hip joint is replaced with a prosthesis, including the stem (within the femur), ball (femoral head) and socket (acetabulum). A total hip replacement (thr) is a surgical procedure during which the entire hip joint is replaced. The most frequent indication for total hip replacement in dogs is the relief of pain and lameness caused by severe arthritis secondary. This creates a new joint for the body. Prosthetic implants used in a thr fit with precision and mimic the original joint anatomy and function. Most canine hip replacement prostheses have a metal ball at the top of the.
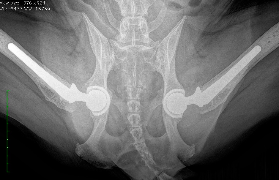
From ngvetspecialists.com
14 Most Helpful Questions about Total Hip Replacement North Veterinary Specialists Total Hip Replacement Canine Total hip replacement in dogs is a procedure where the entire arthritic hip joint is replaced with a prosthesis, including the stem (within the femur), ball (femoral head) and socket (acetabulum). The most frequent indication for total hip replacement in dogs is the relief of pain and lameness caused by severe arthritis secondary. There are different types of implants that. Total Hip Replacement Canine.
From vetbloom.com
Indications and candidate screening for total hip replacement in the dog VetBloom Total Hip Replacement Canine Prosthetic implants used in a thr fit with precision and mimic the original joint anatomy and function. A total hip replacement (thr) is a surgical procedure during which the entire hip joint is replaced. There are different types of implants that can be used for your pet and vary in composition. Total hip replacement in dogs is a procedure where. Total Hip Replacement Canine.
From www.globalvetspecialists.org
An Overview of Canine Hip Replacement Global Vet Blog Total Hip Replacement Canine Total hip replacement in dogs is a procedure where the entire arthritic hip joint is replaced with a prosthesis, including the stem (within the femur), ball (femoral head) and socket (acetabulum). There are different types of implants that can be used for your pet and vary in composition. This creates a new joint for the body. Prosthetic implants used in. Total Hip Replacement Canine.
From ucalgary.ca
Rosie's new hip Adopted rescue dog gets a new lease on life News University of Calgary Total Hip Replacement Canine Prosthetic implants used in a thr fit with precision and mimic the original joint anatomy and function. A total hip replacement (thr) is a surgical procedure during which the entire hip joint is replaced. The goal of a total hip replacement is to restore normal function to the hip joint, and alleviate the pain and discomfort associated with hip dysplasia.. Total Hip Replacement Canine.
From www.veterinary-practice.com
What’s hip in orthopaedics? Unilateral total hip replacement surgery and postoperative care Total Hip Replacement Canine This creates a new joint for the body. Total hip replacement in dogs is a procedure where the entire arthritic hip joint is replaced with a prosthesis, including the stem (within the femur), ball (femoral head) and socket (acetabulum). Most canine hip replacement prostheses have a metal ball at the top of the. The most frequent indication for total hip. Total Hip Replacement Canine.
From www.packerlandvet.com
Total Hip Replacement Packerland Veterinary Center Total Hip Replacement Canine Most canine hip replacement prostheses have a metal ball at the top of the. There are different types of implants that can be used for your pet and vary in composition. The goal of a total hip replacement is to restore normal function to the hip joint, and alleviate the pain and discomfort associated with hip dysplasia. Total hip replacement. Total Hip Replacement Canine.
From blog.vetbloom.com
Indications and candidate screening for total hip replacement in the dog VetBloom blog Total Hip Replacement Canine There are different types of implants that can be used for your pet and vary in composition. The most frequent indication for total hip replacement in dogs is the relief of pain and lameness caused by severe arthritis secondary. Total hip replacement in dogs is a procedure where the entire arthritic hip joint is replaced with a prosthesis, including the. Total Hip Replacement Canine.
From www.kyon.ch
THR Total Hip Replacement KYON Total Hip Replacement Canine The goal of a total hip replacement is to restore normal function to the hip joint, and alleviate the pain and discomfort associated with hip dysplasia. This creates a new joint for the body. Total hip replacement surgery removes and replaces both the ball and socket with prostheses (artificial parts). Most canine hip replacement prostheses have a metal ball at. Total Hip Replacement Canine.
From granitevetspecialists.com
Total Hip Replacement Granite Veterinary Specialists Total Hip Replacement Canine There are different types of implants that can be used for your pet and vary in composition. Prosthetic implants used in a thr fit with precision and mimic the original joint anatomy and function. The most frequent indication for total hip replacement in dogs is the relief of pain and lameness caused by severe arthritis secondary. This creates a new. Total Hip Replacement Canine.
From www.qldvetspecialists.com.au
Total Hip Replacement — Queensland Veterinary Specialists Total Hip Replacement Canine This creates a new joint for the body. Total hip replacement in dogs is a procedure where the entire arthritic hip joint is replaced with a prosthesis, including the stem (within the femur), ball (femoral head) and socket (acetabulum). There are different types of implants that can be used for your pet and vary in composition. The most frequent indication. Total Hip Replacement Canine.
From granitevetspecialists.com
Total Hip Replacement Granite Veterinary Specialists Total Hip Replacement Canine The thr procedure is commonly performed to treat pain and disability associated with hip dysplasia and degenerative osteoarthritis conditions. Total hip replacement (thr) is used for dogs and cats of all ages. Total hip replacement in dogs is a procedure where the entire arthritic hip joint is replaced with a prosthesis, including the stem (within the femur), ball (femoral head). Total Hip Replacement Canine.
From www.youtube.com
Dog's Total Hip Replacement Day 12 YouTube Total Hip Replacement Canine A total hip replacement (thr) is a surgical procedure during which the entire hip joint is replaced. Most canine hip replacement prostheses have a metal ball at the top of the. Prosthetic implants used in a thr fit with precision and mimic the original joint anatomy and function. The most frequent indication for total hip replacement in dogs is the. Total Hip Replacement Canine.
From www.packerlandvet.com
Total Hip Replacement Packerland Veterinary Center Total Hip Replacement Canine Total hip replacement in dogs is a procedure where the entire arthritic hip joint is replaced with a prosthesis, including the stem (within the femur), ball (femoral head) and socket (acetabulum). A total hip replacement (thr) is a surgical procedure during which the entire hip joint is replaced. The most frequent indication for total hip replacement in dogs is the. Total Hip Replacement Canine.
From biomedtrix.com
Total Hip Replacement BioMedtrix Total Hip Replacement Canine Total hip replacement in dogs is a procedure where the entire arthritic hip joint is replaced with a prosthesis, including the stem (within the femur), ball (femoral head) and socket (acetabulum). Total hip replacement (thr) is used for dogs and cats of all ages. The goal of a total hip replacement is to restore normal function to the hip joint,. Total Hip Replacement Canine.
From www.rvc.ac.uk
Joint Replacement in Dogs Total Hip Replacement Canine This creates a new joint for the body. The thr procedure is commonly performed to treat pain and disability associated with hip dysplasia and degenerative osteoarthritis conditions. The most frequent indication for total hip replacement in dogs is the relief of pain and lameness caused by severe arthritis secondary. Prosthetic implants used in a thr fit with precision and mimic. Total Hip Replacement Canine.
From www.arizonacanineorthopedics.com
Total Hip Replacement Arizona Canine Orthopedics & Sports Medicine Total Hip Replacement Canine Most canine hip replacement prostheses have a metal ball at the top of the. Total hip replacement (thr) is used for dogs and cats of all ages. A total hip replacement (thr) is a surgical procedure during which the entire hip joint is replaced. There are different types of implants that can be used for your pet and vary in. Total Hip Replacement Canine.
From www.greencrossvets.com.au
Total hip replacements for dogs Greencross Vets Total Hip Replacement Canine Most canine hip replacement prostheses have a metal ball at the top of the. The most frequent indication for total hip replacement in dogs is the relief of pain and lameness caused by severe arthritis secondary. Prosthetic implants used in a thr fit with precision and mimic the original joint anatomy and function. Total hip replacement (thr) is used for. Total Hip Replacement Canine.
From www.arizonacanineorthopedics.com
Total Hip Replacement Arizona Canine Orthopedics & Sports Medicine Total Hip Replacement Canine A total hip replacement (thr) is a surgical procedure during which the entire hip joint is replaced. Total hip replacement (thr) is used for dogs and cats of all ages. Most canine hip replacement prostheses have a metal ball at the top of the. This creates a new joint for the body. Prosthetic implants used in a thr fit with. Total Hip Replacement Canine.
From www.youtube.com
Dog Total Hip Replacement THR Cost & Recovery YouTube Total Hip Replacement Canine A total hip replacement (thr) is a surgical procedure during which the entire hip joint is replaced. There are different types of implants that can be used for your pet and vary in composition. Total hip replacement surgery removes and replaces both the ball and socket with prostheses (artificial parts). Most canine hip replacement prostheses have a metal ball at. Total Hip Replacement Canine.
From blog.vetbloom.com
Indications and candidate screening for total hip replacement in the dog VetBloom blog Total Hip Replacement Canine The goal of a total hip replacement is to restore normal function to the hip joint, and alleviate the pain and discomfort associated with hip dysplasia. Prosthetic implants used in a thr fit with precision and mimic the original joint anatomy and function. The most frequent indication for total hip replacement in dogs is the relief of pain and lameness. Total Hip Replacement Canine.
From www.youtube.com
Canine Total Hip Replacement Animation YouTube Total Hip Replacement Canine A total hip replacement (thr) is a surgical procedure during which the entire hip joint is replaced. Total hip replacement surgery removes and replaces both the ball and socket with prostheses (artificial parts). Prosthetic implants used in a thr fit with precision and mimic the original joint anatomy and function. Most canine hip replacement prostheses have a metal ball at. Total Hip Replacement Canine.
From blog.vetbloom.com
Indications and candidate screening for total hip replacement in the dog VetBloom blog Total Hip Replacement Canine Total hip replacement in dogs is a procedure where the entire arthritic hip joint is replaced with a prosthesis, including the stem (within the femur), ball (femoral head) and socket (acetabulum). Total hip replacement surgery removes and replaces both the ball and socket with prostheses (artificial parts). The thr procedure is commonly performed to treat pain and disability associated with. Total Hip Replacement Canine.
From animalia-life.club
How Much Is A Hip Replacement For A Dog Total Hip Replacement Canine Total hip replacement surgery removes and replaces both the ball and socket with prostheses (artificial parts). The goal of a total hip replacement is to restore normal function to the hip joint, and alleviate the pain and discomfort associated with hip dysplasia. A total hip replacement (thr) is a surgical procedure during which the entire hip joint is replaced. The. Total Hip Replacement Canine.
From vrcvet.com
Canine Total Hip Replacements VRCCO Total Hip Replacement Canine Total hip replacement in dogs is a procedure where the entire arthritic hip joint is replaced with a prosthesis, including the stem (within the femur), ball (femoral head) and socket (acetabulum). This creates a new joint for the body. Total hip replacement surgery removes and replaces both the ball and socket with prostheses (artificial parts). The thr procedure is commonly. Total Hip Replacement Canine.
From www.arizonacanineorthopedics.com
Total Hip Replacement Arizona Canine Orthopedics & Sports Medicine Total Hip Replacement Canine The most frequent indication for total hip replacement in dogs is the relief of pain and lameness caused by severe arthritis secondary. The goal of a total hip replacement is to restore normal function to the hip joint, and alleviate the pain and discomfort associated with hip dysplasia. Prosthetic implants used in a thr fit with precision and mimic the. Total Hip Replacement Canine.
From www.fitzpatrickreferrals.co.uk
Total Hip Replacement Fitzpatrick Referrals Total Hip Replacement Canine Most canine hip replacement prostheses have a metal ball at the top of the. Total hip replacement in dogs is a procedure where the entire arthritic hip joint is replaced with a prosthesis, including the stem (within the femur), ball (femoral head) and socket (acetabulum). Prosthetic implants used in a thr fit with precision and mimic the original joint anatomy. Total Hip Replacement Canine.
From www.animalsurgicalcenter.com
Animal Surgical Center of Michigan Veterinarian in Flint, MI Total Hip Replacement Canine Prosthetic implants used in a thr fit with precision and mimic the original joint anatomy and function. The most frequent indication for total hip replacement in dogs is the relief of pain and lameness caused by severe arthritis secondary. Total hip replacement (thr) is used for dogs and cats of all ages. The goal of a total hip replacement is. Total Hip Replacement Canine.
From www.vetpracticemag.com.au
Figure2PostoperativelateralradiographdemonstratingBiomedtixnanototalhipreplacement Total Hip Replacement Canine This creates a new joint for the body. Total hip replacement (thr) is used for dogs and cats of all ages. Most canine hip replacement prostheses have a metal ball at the top of the. Total hip replacement in dogs is a procedure where the entire arthritic hip joint is replaced with a prosthesis, including the stem (within the femur),. Total Hip Replacement Canine.
From news.cvm.ncsu.edu
Canine Hip Dysplasia Resolved with Total Hip Replacement Veterinary Medicine News Total Hip Replacement Canine Total hip replacement in dogs is a procedure where the entire arthritic hip joint is replaced with a prosthesis, including the stem (within the femur), ball (femoral head) and socket (acetabulum). There are different types of implants that can be used for your pet and vary in composition. The goal of a total hip replacement is to restore normal function. Total Hip Replacement Canine.
From www.semanticscholar.org
Figure 4 from Micro total hip replacement for dogs and cats surgical technique and Total Hip Replacement Canine Total hip replacement surgery removes and replaces both the ball and socket with prostheses (artificial parts). Total hip replacement (thr) is used for dogs and cats of all ages. Total hip replacement in dogs is a procedure where the entire arthritic hip joint is replaced with a prosthesis, including the stem (within the femur), ball (femoral head) and socket (acetabulum).. Total Hip Replacement Canine.
From www.asgscottsdale.com
Total Hip Replacement Arizona Canine Orthopedics & Sports Medicine Total Hip Replacement Canine Prosthetic implants used in a thr fit with precision and mimic the original joint anatomy and function. There are different types of implants that can be used for your pet and vary in composition. This creates a new joint for the body. A total hip replacement (thr) is a surgical procedure during which the entire hip joint is replaced. Total. Total Hip Replacement Canine.
From mooresortho.com
Total hip replacement the total low down Moores Orthopaedic Clinic Total Hip Replacement Canine There are different types of implants that can be used for your pet and vary in composition. Total hip replacement in dogs is a procedure where the entire arthritic hip joint is replaced with a prosthesis, including the stem (within the femur), ball (femoral head) and socket (acetabulum). The most frequent indication for total hip replacement in dogs is the. Total Hip Replacement Canine.
From www.greencrossvets.com.au
Total hip replacements for dogs Greencross Vets Total Hip Replacement Canine The thr procedure is commonly performed to treat pain and disability associated with hip dysplasia and degenerative osteoarthritis conditions. Most canine hip replacement prostheses have a metal ball at the top of the. A total hip replacement (thr) is a surgical procedure during which the entire hip joint is replaced. Total hip replacement in dogs is a procedure where the. Total Hip Replacement Canine.
From www.kyon.ch
Veterinary THR Total Hip Replacement Implant KYON Total Hip Replacement Canine There are different types of implants that can be used for your pet and vary in composition. Most canine hip replacement prostheses have a metal ball at the top of the. The thr procedure is commonly performed to treat pain and disability associated with hip dysplasia and degenerative osteoarthritis conditions. A total hip replacement (thr) is a surgical procedure during. Total Hip Replacement Canine.
From blog.vetbloom.com
Indications and candidate screening for total hip replacement in the dog VetBloom blog Total Hip Replacement Canine Prosthetic implants used in a thr fit with precision and mimic the original joint anatomy and function. This creates a new joint for the body. The goal of a total hip replacement is to restore normal function to the hip joint, and alleviate the pain and discomfort associated with hip dysplasia. The thr procedure is commonly performed to treat pain. Total Hip Replacement Canine.