Lamoine Maine Property Taxes . This is not a searchable database at this time, but the tax listings are in either alphabetic or. Property tax and utility payments disclaimer. For information regarding property taxes for property located in a town or city, please contact the local town office. The tax commitment book is now available in.pdf format by clicking the link below. To view an individual map, click on the map link below which will open up the pdf file for that map. Property taxes in lamoine average $2,600 annually, with a median assessed value of $286,500. Real estate tax personal property pers prop tax total tax homestead ex. Net tax due page 5 of 188 town of lamoine property tax records 2021/22. Land records in lamoine (maine) search our database of lamoine residential land records by address for free, including property ownership,.
from www.lamoine-me.gov
To view an individual map, click on the map link below which will open up the pdf file for that map. Net tax due page 5 of 188 town of lamoine property tax records 2021/22. The tax commitment book is now available in.pdf format by clicking the link below. Property tax and utility payments disclaimer. This is not a searchable database at this time, but the tax listings are in either alphabetic or. For information regarding property taxes for property located in a town or city, please contact the local town office. Property taxes in lamoine average $2,600 annually, with a median assessed value of $286,500. Real estate tax personal property pers prop tax total tax homestead ex. Land records in lamoine (maine) search our database of lamoine residential land records by address for free, including property ownership,.
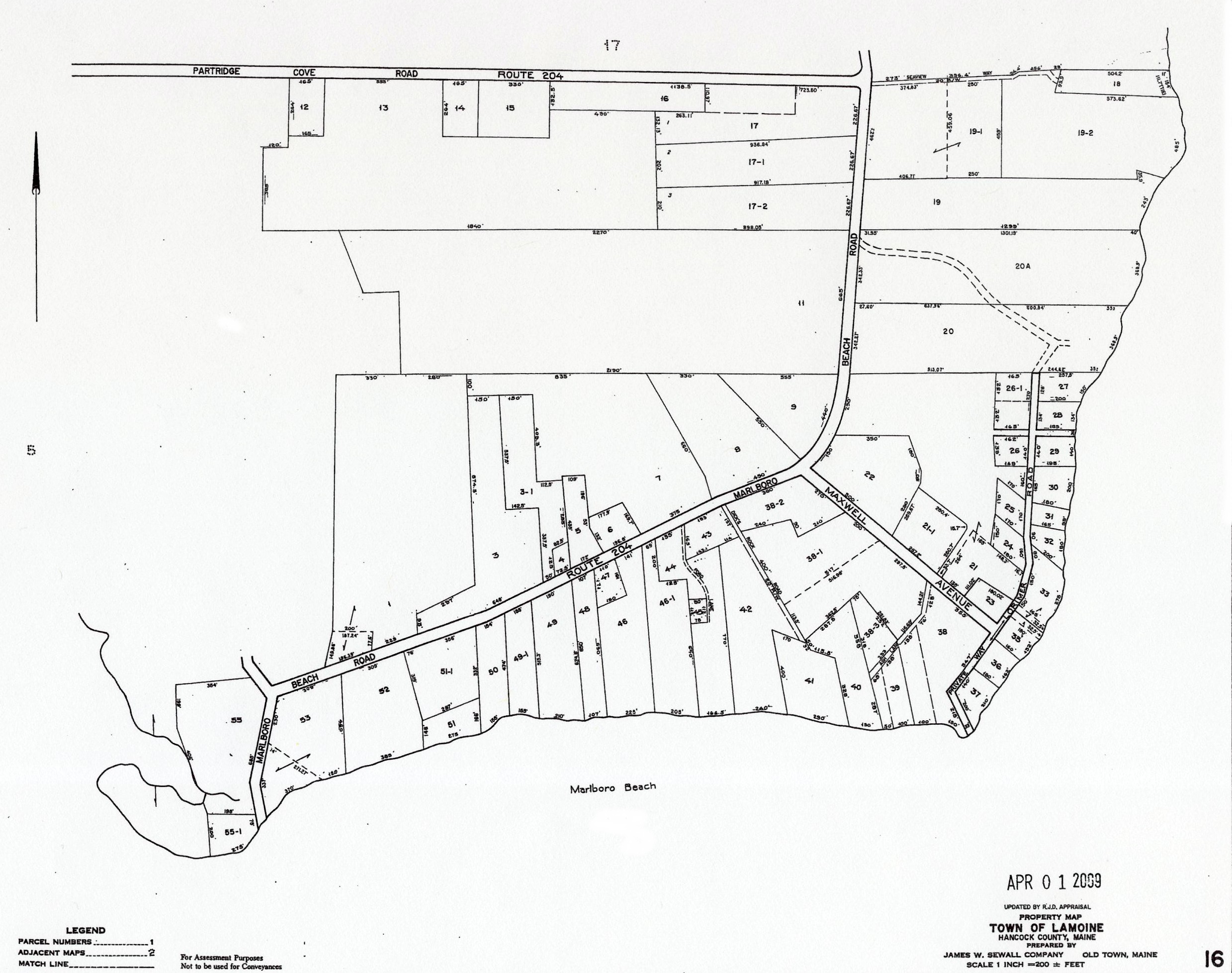
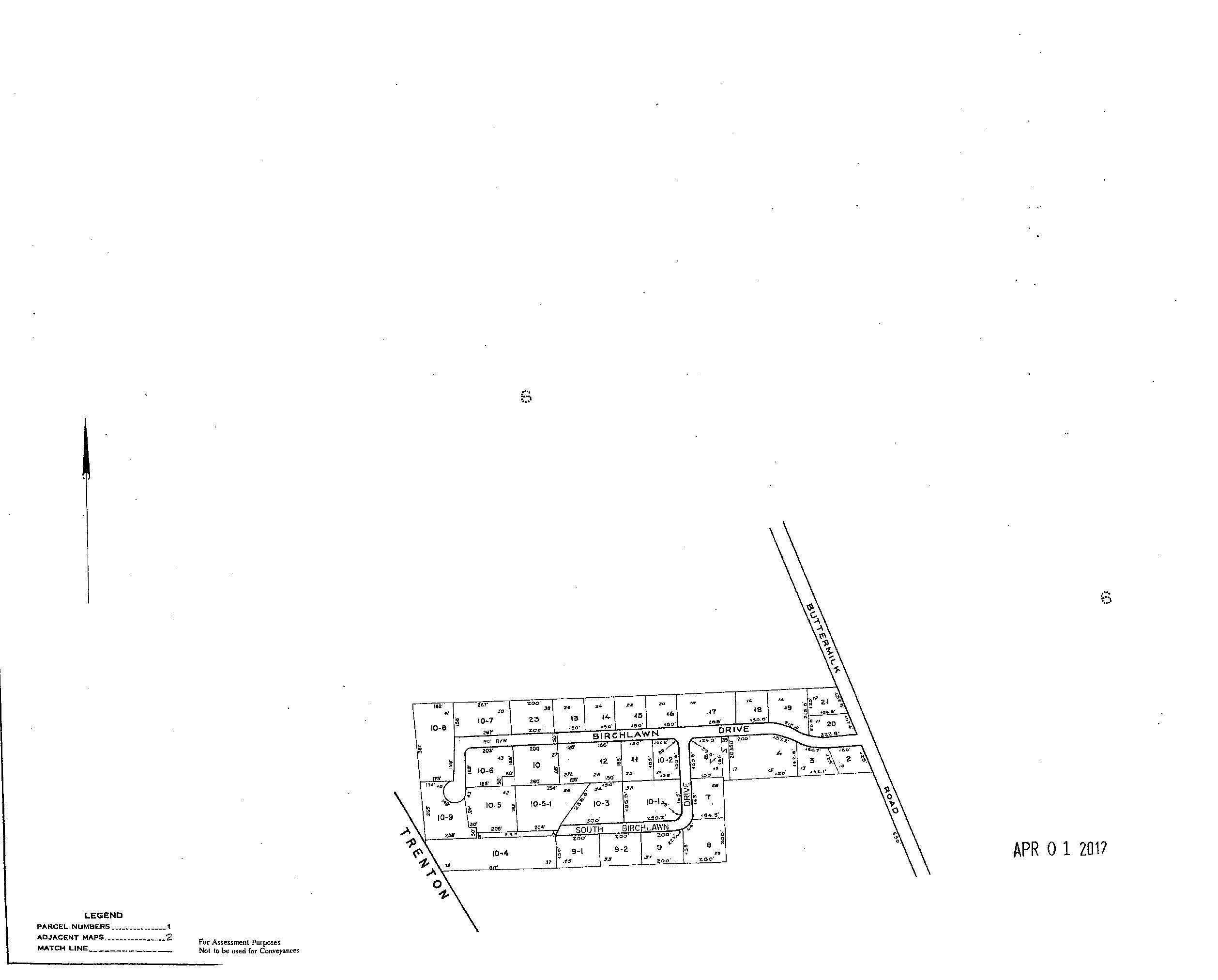
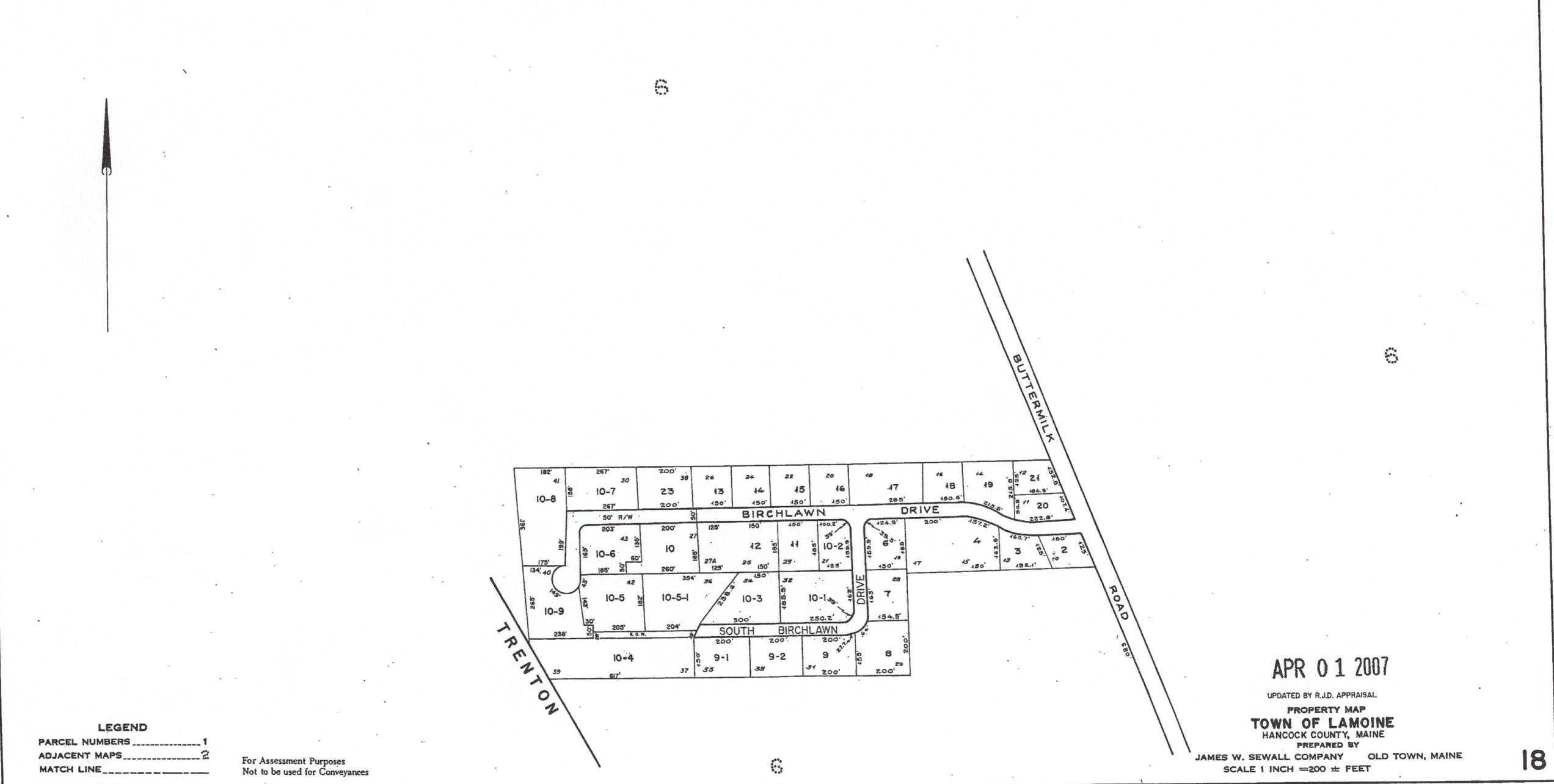
Tax Map Index
Lamoine Maine Property Taxes Property taxes in lamoine average $2,600 annually, with a median assessed value of $286,500. The tax commitment book is now available in.pdf format by clicking the link below. Property taxes in lamoine average $2,600 annually, with a median assessed value of $286,500. Real estate tax personal property pers prop tax total tax homestead ex. Property tax and utility payments disclaimer. To view an individual map, click on the map link below which will open up the pdf file for that map. For information regarding property taxes for property located in a town or city, please contact the local town office. This is not a searchable database at this time, but the tax listings are in either alphabetic or. Net tax due page 5 of 188 town of lamoine property tax records 2021/22. Land records in lamoine (maine) search our database of lamoine residential land records by address for free, including property ownership,.
From www.realtor.com
Lamoine, ME Real Estate Lamoine Homes for Sale Lamoine Maine Property Taxes Property tax and utility payments disclaimer. Land records in lamoine (maine) search our database of lamoine residential land records by address for free, including property ownership,. The tax commitment book is now available in.pdf format by clicking the link below. To view an individual map, click on the map link below which will open up the pdf file for that. Lamoine Maine Property Taxes.
From www.legacysir.com
Home for Sale 53 Marilyn Lane, Lamoine, Maine 795,000 Maine Real Lamoine Maine Property Taxes This is not a searchable database at this time, but the tax listings are in either alphabetic or. Property tax and utility payments disclaimer. Net tax due page 5 of 188 town of lamoine property tax records 2021/22. The tax commitment book is now available in.pdf format by clicking the link below. Property taxes in lamoine average $2,600 annually, with. Lamoine Maine Property Taxes.
From www.lamoine-me.gov
Lamoine Tax Maps 2009 Index Lamoine Maine Property Taxes The tax commitment book is now available in.pdf format by clicking the link below. This is not a searchable database at this time, but the tax listings are in either alphabetic or. For information regarding property taxes for property located in a town or city, please contact the local town office. Land records in lamoine (maine) search our database of. Lamoine Maine Property Taxes.
From www.lamoine-me.gov
Lamoine Tax Maps 2009 Index Lamoine Maine Property Taxes Property tax and utility payments disclaimer. To view an individual map, click on the map link below which will open up the pdf file for that map. Net tax due page 5 of 188 town of lamoine property tax records 2021/22. For information regarding property taxes for property located in a town or city, please contact the local town office.. Lamoine Maine Property Taxes.
From www.lamoine-me.gov
Tax Map Index Lamoine Maine Property Taxes This is not a searchable database at this time, but the tax listings are in either alphabetic or. Land records in lamoine (maine) search our database of lamoine residential land records by address for free, including property ownership,. To view an individual map, click on the map link below which will open up the pdf file for that map. For. Lamoine Maine Property Taxes.
From www.lamoine-me.gov
Lamoine Tax Maps 2009 Index Lamoine Maine Property Taxes Property tax and utility payments disclaimer. This is not a searchable database at this time, but the tax listings are in either alphabetic or. To view an individual map, click on the map link below which will open up the pdf file for that map. Land records in lamoine (maine) search our database of lamoine residential land records by address. Lamoine Maine Property Taxes.
From www.lamoine-me.gov
Lamoine Tax Maps 2009 Index Lamoine Maine Property Taxes Real estate tax personal property pers prop tax total tax homestead ex. Property taxes in lamoine average $2,600 annually, with a median assessed value of $286,500. To view an individual map, click on the map link below which will open up the pdf file for that map. Net tax due page 5 of 188 town of lamoine property tax records. Lamoine Maine Property Taxes.
From www.lamoine-me.gov
Lamoine Tax Maps 2009 Index Lamoine Maine Property Taxes To view an individual map, click on the map link below which will open up the pdf file for that map. Property taxes in lamoine average $2,600 annually, with a median assessed value of $286,500. Land records in lamoine (maine) search our database of lamoine residential land records by address for free, including property ownership,. The tax commitment book is. Lamoine Maine Property Taxes.
From www.realtor.com
Lamoine, ME Real Estate Lamoine Homes for Sale Lamoine Maine Property Taxes The tax commitment book is now available in.pdf format by clicking the link below. For information regarding property taxes for property located in a town or city, please contact the local town office. Property taxes in lamoine average $2,600 annually, with a median assessed value of $286,500. This is not a searchable database at this time, but the tax listings. Lamoine Maine Property Taxes.
From www.lamoine-me.gov
Lamoine Tax Maps 2009 Index Lamoine Maine Property Taxes Property tax and utility payments disclaimer. Net tax due page 5 of 188 town of lamoine property tax records 2021/22. The tax commitment book is now available in.pdf format by clicking the link below. For information regarding property taxes for property located in a town or city, please contact the local town office. Real estate tax personal property pers prop. Lamoine Maine Property Taxes.
From www.lamoine-me.gov
Lamoine Tax Maps 2009 Index Lamoine Maine Property Taxes Net tax due page 5 of 188 town of lamoine property tax records 2021/22. To view an individual map, click on the map link below which will open up the pdf file for that map. Real estate tax personal property pers prop tax total tax homestead ex. Property taxes in lamoine average $2,600 annually, with a median assessed value of. Lamoine Maine Property Taxes.
From www.lamoine-me.gov
Lamoine Tax Maps 2015 Lamoine Maine Property Taxes Land records in lamoine (maine) search our database of lamoine residential land records by address for free, including property ownership,. This is not a searchable database at this time, but the tax listings are in either alphabetic or. The tax commitment book is now available in.pdf format by clicking the link below. Property taxes in lamoine average $2,600 annually, with. Lamoine Maine Property Taxes.
From www.lamoine-me.gov
Lamoine Tax Maps 2009 Index Lamoine Maine Property Taxes Real estate tax personal property pers prop tax total tax homestead ex. Property tax and utility payments disclaimer. The tax commitment book is now available in.pdf format by clicking the link below. Property taxes in lamoine average $2,600 annually, with a median assessed value of $286,500. Net tax due page 5 of 188 town of lamoine property tax records 2021/22.. Lamoine Maine Property Taxes.
From www.lamoine-me.gov
Lamoine Tax Maps 2009 Index Lamoine Maine Property Taxes Land records in lamoine (maine) search our database of lamoine residential land records by address for free, including property ownership,. For information regarding property taxes for property located in a town or city, please contact the local town office. This is not a searchable database at this time, but the tax listings are in either alphabetic or. Real estate tax. Lamoine Maine Property Taxes.
From airdeed.com
Lamoine Homes For Sale Lamoine ME Real Estate Property Airdeed Homes Lamoine Maine Property Taxes Property tax and utility payments disclaimer. To view an individual map, click on the map link below which will open up the pdf file for that map. Real estate tax personal property pers prop tax total tax homestead ex. Net tax due page 5 of 188 town of lamoine property tax records 2021/22. The tax commitment book is now available. Lamoine Maine Property Taxes.
From www.lamoine-me.gov
Lamoine Tax Maps 2009 Index Lamoine Maine Property Taxes To view an individual map, click on the map link below which will open up the pdf file for that map. Property taxes in lamoine average $2,600 annually, with a median assessed value of $286,500. The tax commitment book is now available in.pdf format by clicking the link below. Land records in lamoine (maine) search our database of lamoine residential. Lamoine Maine Property Taxes.
From www.lamoine-me.gov
Lamoine Tax Maps 2009 Index Lamoine Maine Property Taxes Property taxes in lamoine average $2,600 annually, with a median assessed value of $286,500. This is not a searchable database at this time, but the tax listings are in either alphabetic or. Real estate tax personal property pers prop tax total tax homestead ex. Net tax due page 5 of 188 town of lamoine property tax records 2021/22. Land records. Lamoine Maine Property Taxes.
From www.lamoine-me.gov
Tax Map Index Lamoine Maine Property Taxes The tax commitment book is now available in.pdf format by clicking the link below. For information regarding property taxes for property located in a town or city, please contact the local town office. Property tax and utility payments disclaimer. Property taxes in lamoine average $2,600 annually, with a median assessed value of $286,500. Land records in lamoine (maine) search our. Lamoine Maine Property Taxes.
From cbplourde.com
1081 Shore Road Lamoine Maine Real Estate Listing MLS 1360425 Lamoine Maine Property Taxes Real estate tax personal property pers prop tax total tax homestead ex. This is not a searchable database at this time, but the tax listings are in either alphabetic or. Property taxes in lamoine average $2,600 annually, with a median assessed value of $286,500. For information regarding property taxes for property located in a town or city, please contact the. Lamoine Maine Property Taxes.
From exygxeswe.blob.core.windows.net
Albion Maine Tax Maps at Mary Russ blog Lamoine Maine Property Taxes Net tax due page 5 of 188 town of lamoine property tax records 2021/22. Property taxes in lamoine average $2,600 annually, with a median assessed value of $286,500. To view an individual map, click on the map link below which will open up the pdf file for that map. Land records in lamoine (maine) search our database of lamoine residential. Lamoine Maine Property Taxes.
From www.lamoine-me.gov
Lamoine Tax Maps 2009 Index Lamoine Maine Property Taxes Property tax and utility payments disclaimer. Land records in lamoine (maine) search our database of lamoine residential land records by address for free, including property ownership,. To view an individual map, click on the map link below which will open up the pdf file for that map. This is not a searchable database at this time, but the tax listings. Lamoine Maine Property Taxes.
From www.lamoine-me.gov
Lamoine Tax Maps 2009 Index Lamoine Maine Property Taxes To view an individual map, click on the map link below which will open up the pdf file for that map. Land records in lamoine (maine) search our database of lamoine residential land records by address for free, including property ownership,. For information regarding property taxes for property located in a town or city, please contact the local town office.. Lamoine Maine Property Taxes.
From www.lamoine-me.gov
Lamoine Tax Maps 2009 Index Lamoine Maine Property Taxes Property tax and utility payments disclaimer. This is not a searchable database at this time, but the tax listings are in either alphabetic or. To view an individual map, click on the map link below which will open up the pdf file for that map. Net tax due page 5 of 188 town of lamoine property tax records 2021/22. Property. Lamoine Maine Property Taxes.
From www.lamoine-me.gov
Lamoine Tax Maps 2009 Index Lamoine Maine Property Taxes For information regarding property taxes for property located in a town or city, please contact the local town office. The tax commitment book is now available in.pdf format by clicking the link below. Property taxes in lamoine average $2,600 annually, with a median assessed value of $286,500. Land records in lamoine (maine) search our database of lamoine residential land records. Lamoine Maine Property Taxes.
From cbplourde.com
79 Marlboro Beach Road Lamoine Maine Real Estate Listing MLS 1467746 Lamoine Maine Property Taxes Net tax due page 5 of 188 town of lamoine property tax records 2021/22. For information regarding property taxes for property located in a town or city, please contact the local town office. Property taxes in lamoine average $2,600 annually, with a median assessed value of $286,500. Real estate tax personal property pers prop tax total tax homestead ex. Land. Lamoine Maine Property Taxes.
From www.lamoine-me.gov
Lamoine Tax Maps 2009 Index Lamoine Maine Property Taxes Real estate tax personal property pers prop tax total tax homestead ex. Net tax due page 5 of 188 town of lamoine property tax records 2021/22. Land records in lamoine (maine) search our database of lamoine residential land records by address for free, including property ownership,. Property taxes in lamoine average $2,600 annually, with a median assessed value of $286,500.. Lamoine Maine Property Taxes.
From www.lamoine-me.gov
Lamoine Tax Maps 2009 Index Lamoine Maine Property Taxes To view an individual map, click on the map link below which will open up the pdf file for that map. This is not a searchable database at this time, but the tax listings are in either alphabetic or. Net tax due page 5 of 188 town of lamoine property tax records 2021/22. The tax commitment book is now available. Lamoine Maine Property Taxes.
From airdeed.com
Lamoine Homes For Sale Lamoine ME Real Estate Property Airdeed Homes Lamoine Maine Property Taxes This is not a searchable database at this time, but the tax listings are in either alphabetic or. Property tax and utility payments disclaimer. Real estate tax personal property pers prop tax total tax homestead ex. Property taxes in lamoine average $2,600 annually, with a median assessed value of $286,500. Land records in lamoine (maine) search our database of lamoine. Lamoine Maine Property Taxes.
From www.realtor.com
Lamoine, ME Real Estate Lamoine Homes for Sale Lamoine Maine Property Taxes The tax commitment book is now available in.pdf format by clicking the link below. This is not a searchable database at this time, but the tax listings are in either alphabetic or. For information regarding property taxes for property located in a town or city, please contact the local town office. Net tax due page 5 of 188 town of. Lamoine Maine Property Taxes.
From www.lamoine-me.gov
Lamoine Tax Maps 2009 Index Lamoine Maine Property Taxes The tax commitment book is now available in.pdf format by clicking the link below. This is not a searchable database at this time, but the tax listings are in either alphabetic or. Property tax and utility payments disclaimer. For information regarding property taxes for property located in a town or city, please contact the local town office. Land records in. Lamoine Maine Property Taxes.
From www.lamoine-me.gov
Lamoine Tax Maps 2009 Index Lamoine Maine Property Taxes To view an individual map, click on the map link below which will open up the pdf file for that map. For information regarding property taxes for property located in a town or city, please contact the local town office. Land records in lamoine (maine) search our database of lamoine residential land records by address for free, including property ownership,.. Lamoine Maine Property Taxes.
From www.lamoine-me.gov
Lamoine Tax Acquired Property 2013 Lamoine Maine Property Taxes Property taxes in lamoine average $2,600 annually, with a median assessed value of $286,500. To view an individual map, click on the map link below which will open up the pdf file for that map. Land records in lamoine (maine) search our database of lamoine residential land records by address for free, including property ownership,. Net tax due page 5. Lamoine Maine Property Taxes.
From www.lamoine-me.gov
Lamoine Tax Maps 2009 Index Lamoine Maine Property Taxes Property taxes in lamoine average $2,600 annually, with a median assessed value of $286,500. Real estate tax personal property pers prop tax total tax homestead ex. This is not a searchable database at this time, but the tax listings are in either alphabetic or. The tax commitment book is now available in.pdf format by clicking the link below. Land records. Lamoine Maine Property Taxes.
From www.realtor.com
Lamoine, ME Real Estate Lamoine Homes for Sale Lamoine Maine Property Taxes For information regarding property taxes for property located in a town or city, please contact the local town office. The tax commitment book is now available in.pdf format by clicking the link below. Property tax and utility payments disclaimer. Real estate tax personal property pers prop tax total tax homestead ex. Net tax due page 5 of 188 town of. Lamoine Maine Property Taxes.
From www.lamoine-me.gov
Lamoine Tax Maps 2009 Index Lamoine Maine Property Taxes This is not a searchable database at this time, but the tax listings are in either alphabetic or. Net tax due page 5 of 188 town of lamoine property tax records 2021/22. For information regarding property taxes for property located in a town or city, please contact the local town office. Real estate tax personal property pers prop tax total. Lamoine Maine Property Taxes.