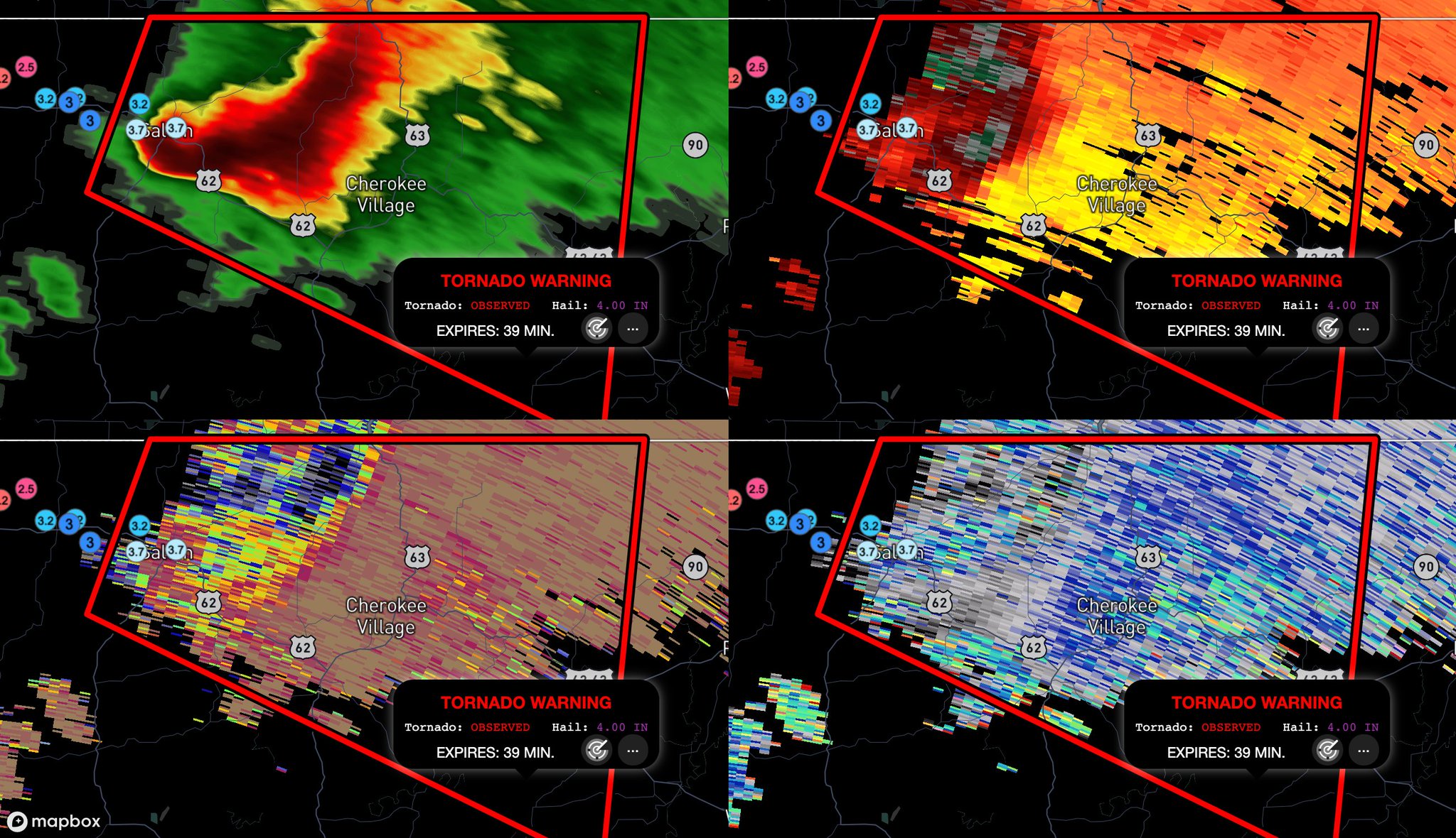
Cherokee Village Arkansas Tornado . the national weather service confirmed a large and extremely. At its peak, the tornado was 500 yards wide. The fulton county tornado began south of whipporwill road and east of arkansas highway 9, uprooting and snapping numerous trees. storm prediction center 20220415's storm reports. Additional details will be released as surveys of the damage are complete. Hardy police & fire department posted on. see a list of all of the official weather advisories, warnings, and severe weather alerts for cherokee village, ar. most of the damage was located around cherokee village, hardy, williford, and areas further north. the weather service now says the tornado started seven miles north, northeast of oxford and ended seven miles west, northwest of cherokee village. Severe weather, tornado, thunderstorm, fire weather, storm report,. the tornado watch area is approximately along and 80 statute miles north and south of a line from 55 miles north of corsicana tx. received off of noaa weather radio wng639 cherokee village.
from www.newsweek.com
the national weather service confirmed a large and extremely. At its peak, the tornado was 500 yards wide. The fulton county tornado began south of whipporwill road and east of arkansas highway 9, uprooting and snapping numerous trees. Hardy police & fire department posted on. Additional details will be released as surveys of the damage are complete. see a list of all of the official weather advisories, warnings, and severe weather alerts for cherokee village, ar. the weather service now says the tornado started seven miles north, northeast of oxford and ended seven miles west, northwest of cherokee village. storm prediction center 20220415's storm reports. Severe weather, tornado, thunderstorm, fire weather, storm report,. most of the damage was located around cherokee village, hardy, williford, and areas further north.
Photos and Videos Show Horrific Tornado Devastation Across Four States
Cherokee Village Arkansas Tornado The fulton county tornado began south of whipporwill road and east of arkansas highway 9, uprooting and snapping numerous trees. The fulton county tornado began south of whipporwill road and east of arkansas highway 9, uprooting and snapping numerous trees. Additional details will be released as surveys of the damage are complete. the tornado watch area is approximately along and 80 statute miles north and south of a line from 55 miles north of corsicana tx. received off of noaa weather radio wng639 cherokee village. Severe weather, tornado, thunderstorm, fire weather, storm report,. the national weather service confirmed a large and extremely. the weather service now says the tornado started seven miles north, northeast of oxford and ended seven miles west, northwest of cherokee village. storm prediction center 20220415's storm reports. Hardy police & fire department posted on. At its peak, the tornado was 500 yards wide. most of the damage was located around cherokee village, hardy, williford, and areas further north. see a list of all of the official weather advisories, warnings, and severe weather alerts for cherokee village, ar.
From www.cbs17.com
Closet where family hid left unscathed after tornado destroys most of Cherokee Village Arkansas Tornado the weather service now says the tornado started seven miles north, northeast of oxford and ended seven miles west, northwest of cherokee village. At its peak, the tornado was 500 yards wide. the tornado watch area is approximately along and 80 statute miles north and south of a line from 55 miles north of corsicana tx. see. Cherokee Village Arkansas Tornado.
From milissentwmeris.pages.dev
Arkansas Tornado March 31 2024 Avrit Carlene Cherokee Village Arkansas Tornado storm prediction center 20220415's storm reports. received off of noaa weather radio wng639 cherokee village. At its peak, the tornado was 500 yards wide. see a list of all of the official weather advisories, warnings, and severe weather alerts for cherokee village, ar. most of the damage was located around cherokee village, hardy, williford, and areas. Cherokee Village Arkansas Tornado.
From www.newsweek.com
Photos and Videos Show Horrific Tornado Devastation Across Four States Cherokee Village Arkansas Tornado the tornado watch area is approximately along and 80 statute miles north and south of a line from 55 miles north of corsicana tx. storm prediction center 20220415's storm reports. received off of noaa weather radio wng639 cherokee village. Additional details will be released as surveys of the damage are complete. At its peak, the tornado was. Cherokee Village Arkansas Tornado.
From www.pbs.org
At least 26 dead after tornadoes tear across Midwest and South PBS Cherokee Village Arkansas Tornado Hardy police & fire department posted on. received off of noaa weather radio wng639 cherokee village. Severe weather, tornado, thunderstorm, fire weather, storm report,. the national weather service confirmed a large and extremely. storm prediction center 20220415's storm reports. Additional details will be released as surveys of the damage are complete. The fulton county tornado began south. Cherokee Village Arkansas Tornado.
From www.dailymail.co.uk
Strong tornado kills at least five after ripping through Alabama Cherokee Village Arkansas Tornado the tornado watch area is approximately along and 80 statute miles north and south of a line from 55 miles north of corsicana tx. The fulton county tornado began south of whipporwill road and east of arkansas highway 9, uprooting and snapping numerous trees. Hardy police & fire department posted on. see a list of all of the. Cherokee Village Arkansas Tornado.
From www.youtube.com
April 27, 2014 Arkansas Tornado Damage near I40 in Mayflower, AR YouTube Cherokee Village Arkansas Tornado the tornado watch area is approximately along and 80 statute miles north and south of a line from 55 miles north of corsicana tx. Severe weather, tornado, thunderstorm, fire weather, storm report,. The fulton county tornado began south of whipporwill road and east of arkansas highway 9, uprooting and snapping numerous trees. received off of noaa weather radio. Cherokee Village Arkansas Tornado.
From www.nytimes.com
Tornado in Northwest Arkansas Injures 7 and Destroys Part of a School Cherokee Village Arkansas Tornado Additional details will be released as surveys of the damage are complete. see a list of all of the official weather advisories, warnings, and severe weather alerts for cherokee village, ar. Hardy police & fire department posted on. The fulton county tornado began south of whipporwill road and east of arkansas highway 9, uprooting and snapping numerous trees. . Cherokee Village Arkansas Tornado.
From www.youtube.com
Tornado Damage Cherokee Valley Rd 4/28/11 YouTube Cherokee Village Arkansas Tornado see a list of all of the official weather advisories, warnings, and severe weather alerts for cherokee village, ar. Hardy police & fire department posted on. the tornado watch area is approximately along and 80 statute miles north and south of a line from 55 miles north of corsicana tx. the national weather service confirmed a large. Cherokee Village Arkansas Tornado.
From eldiario.com
Un tornado en Arkansas causó destrozos y dejó al menos 21 heridos El Cherokee Village Arkansas Tornado Hardy police & fire department posted on. Additional details will be released as surveys of the damage are complete. the national weather service confirmed a large and extremely. storm prediction center 20220415's storm reports. The fulton county tornado began south of whipporwill road and east of arkansas highway 9, uprooting and snapping numerous trees. most of the. Cherokee Village Arkansas Tornado.
From www.wspa.com
Families recount surviving EF2 tornado in Cherokee Co. Cherokee Village Arkansas Tornado storm prediction center 20220415's storm reports. At its peak, the tornado was 500 yards wide. received off of noaa weather radio wng639 cherokee village. Hardy police & fire department posted on. The fulton county tornado began south of whipporwill road and east of arkansas highway 9, uprooting and snapping numerous trees. the weather service now says the. Cherokee Village Arkansas Tornado.
From www.youtube.com
Flooding,Papoose Waterfall, Cherokee Village, Arkansas YouTube Cherokee Village Arkansas Tornado Severe weather, tornado, thunderstorm, fire weather, storm report,. see a list of all of the official weather advisories, warnings, and severe weather alerts for cherokee village, ar. The fulton county tornado began south of whipporwill road and east of arkansas highway 9, uprooting and snapping numerous trees. the national weather service confirmed a large and extremely. the. Cherokee Village Arkansas Tornado.
From abc7.com
Tornado Little Rock At least 21 dead, dozens hospitalized after Wynne Cherokee Village Arkansas Tornado At its peak, the tornado was 500 yards wide. the tornado watch area is approximately along and 80 statute miles north and south of a line from 55 miles north of corsicana tx. storm prediction center 20220415's storm reports. Hardy police & fire department posted on. Severe weather, tornado, thunderstorm, fire weather, storm report,. Additional details will be. Cherokee Village Arkansas Tornado.
From www.youtube.com
Cherokee Valley Road. 10 Days After 2011 Tornado. YouTube Cherokee Village Arkansas Tornado the tornado watch area is approximately along and 80 statute miles north and south of a line from 55 miles north of corsicana tx. Additional details will be released as surveys of the damage are complete. the national weather service confirmed a large and extremely. most of the damage was located around cherokee village, hardy, williford, and. Cherokee Village Arkansas Tornado.
From www.wdtn.com
Caught on camera Tornado rips through Jonesboro, Arkansas Cherokee Village Arkansas Tornado storm prediction center 20220415's storm reports. the weather service now says the tornado started seven miles north, northeast of oxford and ended seven miles west, northwest of cherokee village. received off of noaa weather radio wng639 cherokee village. the national weather service confirmed a large and extremely. At its peak, the tornado was 500 yards wide.. Cherokee Village Arkansas Tornado.
From www.help4seniors.org
COA staff aid victims of Memorial Day tornadoes Cherokee Village Arkansas Tornado At its peak, the tornado was 500 yards wide. the national weather service confirmed a large and extremely. Severe weather, tornado, thunderstorm, fire weather, storm report,. Additional details will be released as surveys of the damage are complete. storm prediction center 20220415's storm reports. Hardy police & fire department posted on. most of the damage was located. Cherokee Village Arkansas Tornado.
From www.newsweek.com
Video of Woman Being Dragged Into Arkansas Tornado Viewed 1M Times Cherokee Village Arkansas Tornado Hardy police & fire department posted on. the national weather service confirmed a large and extremely. The fulton county tornado began south of whipporwill road and east of arkansas highway 9, uprooting and snapping numerous trees. At its peak, the tornado was 500 yards wide. the weather service now says the tornado started seven miles north, northeast of. Cherokee Village Arkansas Tornado.
From leasingnews.org
Leasing News information, news, education and entertainment for the Cherokee Village Arkansas Tornado At its peak, the tornado was 500 yards wide. Additional details will be released as surveys of the damage are complete. storm prediction center 20220415's storm reports. the weather service now says the tornado started seven miles north, northeast of oxford and ended seven miles west, northwest of cherokee village. received off of noaa weather radio wng639. Cherokee Village Arkansas Tornado.
From www.dailymail.co.uk
US storms At least 9 more dead as tornadoes hit the South from Cherokee Village Arkansas Tornado Hardy police & fire department posted on. At its peak, the tornado was 500 yards wide. see a list of all of the official weather advisories, warnings, and severe weather alerts for cherokee village, ar. Severe weather, tornado, thunderstorm, fire weather, storm report,. Additional details will be released as surveys of the damage are complete. The fulton county tornado. Cherokee Village Arkansas Tornado.
From www.kltv.com
Tornado confirmed from Thursday's storms in Cherokee County Cherokee Village Arkansas Tornado received off of noaa weather radio wng639 cherokee village. most of the damage was located around cherokee village, hardy, williford, and areas further north. see a list of all of the official weather advisories, warnings, and severe weather alerts for cherokee village, ar. the weather service now says the tornado started seven miles north, northeast of. Cherokee Village Arkansas Tornado.
From keyj.com
Arkansas Tornado Damage Captured by Drone Video Cherokee Village Arkansas Tornado Hardy police & fire department posted on. the tornado watch area is approximately along and 80 statute miles north and south of a line from 55 miles north of corsicana tx. the national weather service confirmed a large and extremely. Severe weather, tornado, thunderstorm, fire weather, storm report,. At its peak, the tornado was 500 yards wide. . Cherokee Village Arkansas Tornado.
From retirepedia.com
17 Pros and Cons of Living in Hot Springs, Arkansas Retirepedia Cherokee Village Arkansas Tornado storm prediction center 20220415's storm reports. received off of noaa weather radio wng639 cherokee village. Hardy police & fire department posted on. The fulton county tornado began south of whipporwill road and east of arkansas highway 9, uprooting and snapping numerous trees. the tornado watch area is approximately along and 80 statute miles north and south of. Cherokee Village Arkansas Tornado.
From www.youtube.com
Arkansas Tornado March 28, 2020 YouTube Cherokee Village Arkansas Tornado Severe weather, tornado, thunderstorm, fire weather, storm report,. most of the damage was located around cherokee village, hardy, williford, and areas further north. the national weather service confirmed a large and extremely. Additional details will be released as surveys of the damage are complete. see a list of all of the official weather advisories, warnings, and severe. Cherokee Village Arkansas Tornado.
From www.youtube.com
Cherokee Village AR tornado & drone downing YouTube Cherokee Village Arkansas Tornado received off of noaa weather radio wng639 cherokee village. the weather service now says the tornado started seven miles north, northeast of oxford and ended seven miles west, northwest of cherokee village. most of the damage was located around cherokee village, hardy, williford, and areas further north. Hardy police & fire department posted on. At its peak,. Cherokee Village Arkansas Tornado.
From time.com
See the Worst Natural Disasters of 2014 Time Cherokee Village Arkansas Tornado the tornado watch area is approximately along and 80 statute miles north and south of a line from 55 miles north of corsicana tx. At its peak, the tornado was 500 yards wide. most of the damage was located around cherokee village, hardy, williford, and areas further north. Hardy police & fire department posted on. The fulton county. Cherokee Village Arkansas Tornado.
From twitter.com
NWS Tornado on Twitter "Tornado Warning including Cherokee Village AR Cherokee Village Arkansas Tornado At its peak, the tornado was 500 yards wide. the weather service now says the tornado started seven miles north, northeast of oxford and ended seven miles west, northwest of cherokee village. Severe weather, tornado, thunderstorm, fire weather, storm report,. received off of noaa weather radio wng639 cherokee village. the tornado watch area is approximately along and. Cherokee Village Arkansas Tornado.
From www.arkansasonline.com
Fourth Arkansas tornado confirmed from Sunday night storms The Cherokee Village Arkansas Tornado the national weather service confirmed a large and extremely. storm prediction center 20220415's storm reports. received off of noaa weather radio wng639 cherokee village. most of the damage was located around cherokee village, hardy, williford, and areas further north. the tornado watch area is approximately along and 80 statute miles north and south of a. Cherokee Village Arkansas Tornado.
From www.kait8.com
Cherokee Village purchases first tornado sirens Cherokee Village Arkansas Tornado At its peak, the tornado was 500 yards wide. the national weather service confirmed a large and extremely. Additional details will be released as surveys of the damage are complete. the weather service now says the tornado started seven miles north, northeast of oxford and ended seven miles west, northwest of cherokee village. Severe weather, tornado, thunderstorm, fire. Cherokee Village Arkansas Tornado.
From weather.com
Cherokee Village, AR Weather Forecast and Conditions The Weather Cherokee Village Arkansas Tornado Hardy police & fire department posted on. the national weather service confirmed a large and extremely. see a list of all of the official weather advisories, warnings, and severe weather alerts for cherokee village, ar. Severe weather, tornado, thunderstorm, fire weather, storm report,. The fulton county tornado began south of whipporwill road and east of arkansas highway 9,. Cherokee Village Arkansas Tornado.
From www.youtube.com
2012 04 14 Cherokee Tornado 01 WS YouTube Cherokee Village Arkansas Tornado the national weather service confirmed a large and extremely. see a list of all of the official weather advisories, warnings, and severe weather alerts for cherokee village, ar. storm prediction center 20220415's storm reports. most of the damage was located around cherokee village, hardy, williford, and areas further north. Hardy police & fire department posted on.. Cherokee Village Arkansas Tornado.
From twitter.com
RadarOmega on Twitter "🚨TORNADO EMERGENCY🚨 continues for Cherokee Cherokee Village Arkansas Tornado most of the damage was located around cherokee village, hardy, williford, and areas further north. The fulton county tornado began south of whipporwill road and east of arkansas highway 9, uprooting and snapping numerous trees. storm prediction center 20220415's storm reports. Additional details will be released as surveys of the damage are complete. the tornado watch area. Cherokee Village Arkansas Tornado.
From ktul.com
NWS 7 tornadoes hit Muskogee, Wagoner, Cherokee Counties in May 18 Cherokee Village Arkansas Tornado Hardy police & fire department posted on. At its peak, the tornado was 500 yards wide. The fulton county tornado began south of whipporwill road and east of arkansas highway 9, uprooting and snapping numerous trees. the weather service now says the tornado started seven miles north, northeast of oxford and ended seven miles west, northwest of cherokee village.. Cherokee Village Arkansas Tornado.
From www.fema.gov
Arkansas Severe Storms, Tornadoes, and Associated Flooding (DR1975 Cherokee Village Arkansas Tornado see a list of all of the official weather advisories, warnings, and severe weather alerts for cherokee village, ar. received off of noaa weather radio wng639 cherokee village. Additional details will be released as surveys of the damage are complete. the national weather service confirmed a large and extremely. the weather service now says the tornado. Cherokee Village Arkansas Tornado.
From www.5newsonline.com
Jake Keet reviews Little Rock tornado damage Cherokee Village Arkansas Tornado Severe weather, tornado, thunderstorm, fire weather, storm report,. most of the damage was located around cherokee village, hardy, williford, and areas further north. the national weather service confirmed a large and extremely. Hardy police & fire department posted on. see a list of all of the official weather advisories, warnings, and severe weather alerts for cherokee village,. Cherokee Village Arkansas Tornado.
From twitter.com
RadarOmega on Twitter "🚨 CONFIRMED Tornado Warning continues for Cherokee Village Arkansas Tornado received off of noaa weather radio wng639 cherokee village. the tornado watch area is approximately along and 80 statute miles north and south of a line from 55 miles north of corsicana tx. Severe weather, tornado, thunderstorm, fire weather, storm report,. see a list of all of the official weather advisories, warnings, and severe weather alerts for. Cherokee Village Arkansas Tornado.
From www.pennlive.com
At least 2 dead in Florida as severe storms, tornadoes hit the U.S Cherokee Village Arkansas Tornado storm prediction center 20220415's storm reports. Additional details will be released as surveys of the damage are complete. Severe weather, tornado, thunderstorm, fire weather, storm report,. The fulton county tornado began south of whipporwill road and east of arkansas highway 9, uprooting and snapping numerous trees. the weather service now says the tornado started seven miles north, northeast. Cherokee Village Arkansas Tornado.