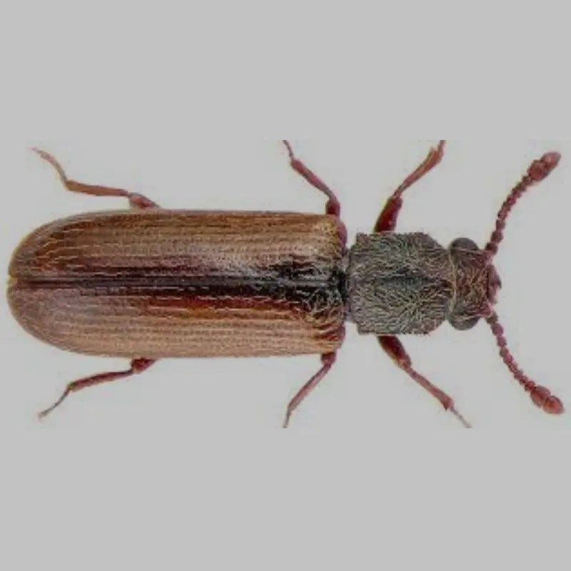
Powder Post Beetle Extermination . Find out how to use wood surface. There are a number of ways that you can do this such as the use of central heat, vapor barriers, and increased ventilation. Powderpost beetles are drawn to moist wood, so the first thing you’re going to want to do is lessen moisture content in wood to less than 20%. There are several things that can be done to get rid of and control powderpost beetles, starting with prevention. Read along to learn more about what powderpost beetles are, what an infestation looks like, and how to get rid of them. Read this comprehensive guide to understand powderpost beetles and how to prevent them in your home. As adults, they chew out of the wood and emerge through small round exit holes. These larvae, also known as woodworms, voraciously eat through the wood from the inside, creating tunnels (or galleries) inside the wood. Here you’ll learn how to identify powderpost beetles and get rid of them. Difficult to detect and quick to multiply, powderpost beetles can eat away at the wood parts of a home until the damage is devastating. A few common signs that powderpost beetles have invaded your home include small, round exit holes in the wood surfaces accompanied by a fine,.
from pestcontrolcanada.com
A few common signs that powderpost beetles have invaded your home include small, round exit holes in the wood surfaces accompanied by a fine,. As adults, they chew out of the wood and emerge through small round exit holes. Difficult to detect and quick to multiply, powderpost beetles can eat away at the wood parts of a home until the damage is devastating. There are a number of ways that you can do this such as the use of central heat, vapor barriers, and increased ventilation. Powderpost beetles are drawn to moist wood, so the first thing you’re going to want to do is lessen moisture content in wood to less than 20%. These larvae, also known as woodworms, voraciously eat through the wood from the inside, creating tunnels (or galleries) inside the wood. Here you’ll learn how to identify powderpost beetles and get rid of them. Read along to learn more about what powderpost beetles are, what an infestation looks like, and how to get rid of them. Read this comprehensive guide to understand powderpost beetles and how to prevent them in your home. Find out how to use wood surface.
Powder post beetles PEST CONTROL CANADA
Powder Post Beetle Extermination There are a number of ways that you can do this such as the use of central heat, vapor barriers, and increased ventilation. Difficult to detect and quick to multiply, powderpost beetles can eat away at the wood parts of a home until the damage is devastating. A few common signs that powderpost beetles have invaded your home include small, round exit holes in the wood surfaces accompanied by a fine,. Powderpost beetles are drawn to moist wood, so the first thing you’re going to want to do is lessen moisture content in wood to less than 20%. Read this comprehensive guide to understand powderpost beetles and how to prevent them in your home. There are a number of ways that you can do this such as the use of central heat, vapor barriers, and increased ventilation. Read along to learn more about what powderpost beetles are, what an infestation looks like, and how to get rid of them. As adults, they chew out of the wood and emerge through small round exit holes. Find out how to use wood surface. These larvae, also known as woodworms, voraciously eat through the wood from the inside, creating tunnels (or galleries) inside the wood. Here you’ll learn how to identify powderpost beetles and get rid of them. There are several things that can be done to get rid of and control powderpost beetles, starting with prevention.
From howigetridof.com
How To Get Rid of the Powder Post Beetle How I Get Rid Of Powder Post Beetle Extermination Here you’ll learn how to identify powderpost beetles and get rid of them. Find out how to use wood surface. Difficult to detect and quick to multiply, powderpost beetles can eat away at the wood parts of a home until the damage is devastating. There are several things that can be done to get rid of and control powderpost beetles,. Powder Post Beetle Extermination.
From bestatpestnyc.com
Powder Post Beetle Best Pest NYC Powder Post Beetle Extermination Here you’ll learn how to identify powderpost beetles and get rid of them. Find out how to use wood surface. There are several things that can be done to get rid of and control powderpost beetles, starting with prevention. Read this comprehensive guide to understand powderpost beetles and how to prevent them in your home. These larvae, also known as. Powder Post Beetle Extermination.
From secretpestcontrol.ca
Powderpost Beetle Control Toronto York Peel Regions & More Powder Post Beetle Extermination Read this comprehensive guide to understand powderpost beetles and how to prevent them in your home. Read along to learn more about what powderpost beetles are, what an infestation looks like, and how to get rid of them. There are a number of ways that you can do this such as the use of central heat, vapor barriers, and increased. Powder Post Beetle Extermination.
From www.qpm.ca
Powderpost Beetle Extermination Pest Control of Bed Bugs, Fleas and Cockroaches. Powder Post Beetle Extermination Difficult to detect and quick to multiply, powderpost beetles can eat away at the wood parts of a home until the damage is devastating. There are several things that can be done to get rid of and control powderpost beetles, starting with prevention. Find out how to use wood surface. Here you’ll learn how to identify powderpost beetles and get. Powder Post Beetle Extermination.
From antpestcontrol.com
Can Powder Post Beetle Damage Your Home? A.N.T Pest Control Powder Post Beetle Extermination Read this comprehensive guide to understand powderpost beetles and how to prevent them in your home. Difficult to detect and quick to multiply, powderpost beetles can eat away at the wood parts of a home until the damage is devastating. There are a number of ways that you can do this such as the use of central heat, vapor barriers,. Powder Post Beetle Extermination.
From www.maine.gov
Powderpost Beetles Got Pests? Board of Pesticides Control Maine DACF Powder Post Beetle Extermination Read this comprehensive guide to understand powderpost beetles and how to prevent them in your home. A few common signs that powderpost beetles have invaded your home include small, round exit holes in the wood surfaces accompanied by a fine,. Powderpost beetles are drawn to moist wood, so the first thing you’re going to want to do is lessen moisture. Powder Post Beetle Extermination.
From diypestcontrol.com
How to Get Rid of Powderpost Beetles DIY Pest Control Powder Post Beetle Extermination Read along to learn more about what powderpost beetles are, what an infestation looks like, and how to get rid of them. A few common signs that powderpost beetles have invaded your home include small, round exit holes in the wood surfaces accompanied by a fine,. Here you’ll learn how to identify powderpost beetles and get rid of them. There. Powder Post Beetle Extermination.
From pestextinct.com
How Do You Get Rid of Powderpost Beetles? Powder Post Beetle Extermination Powderpost beetles are drawn to moist wood, so the first thing you’re going to want to do is lessen moisture content in wood to less than 20%. There are several things that can be done to get rid of and control powderpost beetles, starting with prevention. A few common signs that powderpost beetles have invaded your home include small, round. Powder Post Beetle Extermination.
From www.pestcontrolgurus.com
How To Get Rid of Powderpost Beetles Pest Control Gurus Powder Post Beetle Extermination A few common signs that powderpost beetles have invaded your home include small, round exit holes in the wood surfaces accompanied by a fine,. Powderpost beetles are drawn to moist wood, so the first thing you’re going to want to do is lessen moisture content in wood to less than 20%. There are several things that can be done to. Powder Post Beetle Extermination.
From www.qpm.ca
Powderpost Beetle Extermination Pest Control of Bed Bugs, Fleas and Cockroaches. Powder Post Beetle Extermination A few common signs that powderpost beetles have invaded your home include small, round exit holes in the wood surfaces accompanied by a fine,. Powderpost beetles are drawn to moist wood, so the first thing you’re going to want to do is lessen moisture content in wood to less than 20%. Find out how to use wood surface. There are. Powder Post Beetle Extermination.
From sunrisepest.com
Sunrise Pest Management Powder Post Control in Washington Powder Post Beetle Extermination Read this comprehensive guide to understand powderpost beetles and how to prevent them in your home. Difficult to detect and quick to multiply, powderpost beetles can eat away at the wood parts of a home until the damage is devastating. These larvae, also known as woodworms, voraciously eat through the wood from the inside, creating tunnels (or galleries) inside the. Powder Post Beetle Extermination.
From www.pestwiki.com
Control Powder Post Beetles Naturally in Gardens (2018) Pest Wiki Powder Post Beetle Extermination A few common signs that powderpost beetles have invaded your home include small, round exit holes in the wood surfaces accompanied by a fine,. Powderpost beetles are drawn to moist wood, so the first thing you’re going to want to do is lessen moisture content in wood to less than 20%. These larvae, also known as woodworms, voraciously eat through. Powder Post Beetle Extermination.
From pestcontrolcanada.com
Powder post beetle PEST CONTROL CANADA Powder Post Beetle Extermination As adults, they chew out of the wood and emerge through small round exit holes. Here you’ll learn how to identify powderpost beetles and get rid of them. Find out how to use wood surface. Difficult to detect and quick to multiply, powderpost beetles can eat away at the wood parts of a home until the damage is devastating. There. Powder Post Beetle Extermination.
From www.biisc.org
Horned Powder Post Beetle Big Island Invasive Species Committee (BIISC) Powder Post Beetle Extermination Read along to learn more about what powderpost beetles are, what an infestation looks like, and how to get rid of them. As adults, they chew out of the wood and emerge through small round exit holes. These larvae, also known as woodworms, voraciously eat through the wood from the inside, creating tunnels (or galleries) inside the wood. Here you’ll. Powder Post Beetle Extermination.
From swatteamky.com
flathead powder post beetle damage Swat Team Pest Control Services of Kentucky Powder Post Beetle Extermination Read along to learn more about what powderpost beetles are, what an infestation looks like, and how to get rid of them. As adults, they chew out of the wood and emerge through small round exit holes. Find out how to use wood surface. There are several things that can be done to get rid of and control powderpost beetles,. Powder Post Beetle Extermination.
From www.suburbanexterminating.com
Powderpost Beetle Identification & Info Suburban Exterminating Pest Control & Extermination Powder Post Beetle Extermination These larvae, also known as woodworms, voraciously eat through the wood from the inside, creating tunnels (or galleries) inside the wood. Here you’ll learn how to identify powderpost beetles and get rid of them. There are a number of ways that you can do this such as the use of central heat, vapor barriers, and increased ventilation. There are several. Powder Post Beetle Extermination.
From antpestcontrol.com
Can Powder Post Beetle Damage Your Home? A.N.T Pest Control Powder Post Beetle Extermination Here you’ll learn how to identify powderpost beetles and get rid of them. There are several things that can be done to get rid of and control powderpost beetles, starting with prevention. A few common signs that powderpost beetles have invaded your home include small, round exit holes in the wood surfaces accompanied by a fine,. Read along to learn. Powder Post Beetle Extermination.
From www.qpm.ca
Powderpost Beetle Extermination Pest Control of Bed Bugs, Fleas and Cockroaches. Powder Post Beetle Extermination These larvae, also known as woodworms, voraciously eat through the wood from the inside, creating tunnels (or galleries) inside the wood. Read along to learn more about what powderpost beetles are, what an infestation looks like, and how to get rid of them. Powderpost beetles are drawn to moist wood, so the first thing you’re going to want to do. Powder Post Beetle Extermination.
From budgetpestcontrolpgh.com
Pittsburgh Powderpost Beetle Control Exterminator Budget Pest Control Powder Post Beetle Extermination As adults, they chew out of the wood and emerge through small round exit holes. These larvae, also known as woodworms, voraciously eat through the wood from the inside, creating tunnels (or galleries) inside the wood. Powderpost beetles are drawn to moist wood, so the first thing you’re going to want to do is lessen moisture content in wood to. Powder Post Beetle Extermination.
From www.championtermiteandpestcontrol.com
What To Know About Powderpost Beetles In Florida Powder Post Beetle Extermination Difficult to detect and quick to multiply, powderpost beetles can eat away at the wood parts of a home until the damage is devastating. Find out how to use wood surface. As adults, they chew out of the wood and emerge through small round exit holes. Read this comprehensive guide to understand powderpost beetles and how to prevent them in. Powder Post Beetle Extermination.
From www.foothillpest.com
Powder Post Beetles Foothill Sierra Pest Control Powder Post Beetle Extermination Here you’ll learn how to identify powderpost beetles and get rid of them. There are a number of ways that you can do this such as the use of central heat, vapor barriers, and increased ventilation. A few common signs that powderpost beetles have invaded your home include small, round exit holes in the wood surfaces accompanied by a fine,.. Powder Post Beetle Extermination.
From exoeqabqh.blob.core.windows.net
Powder Post Beetles Dangerous at Kent Reed blog Powder Post Beetle Extermination As adults, they chew out of the wood and emerge through small round exit holes. Powderpost beetles are drawn to moist wood, so the first thing you’re going to want to do is lessen moisture content in wood to less than 20%. These larvae, also known as woodworms, voraciously eat through the wood from the inside, creating tunnels (or galleries). Powder Post Beetle Extermination.
From www.servlabs.co.uk
Powder post Beetle ServLabs Powder Post Beetle Extermination Powderpost beetles are drawn to moist wood, so the first thing you’re going to want to do is lessen moisture content in wood to less than 20%. There are a number of ways that you can do this such as the use of central heat, vapor barriers, and increased ventilation. These larvae, also known as woodworms, voraciously eat through the. Powder Post Beetle Extermination.
From www.westernfumigation.com
Get Rid of Powderpost Beetles Western Fumigation Powder Post Beetle Extermination As adults, they chew out of the wood and emerge through small round exit holes. There are several things that can be done to get rid of and control powderpost beetles, starting with prevention. There are a number of ways that you can do this such as the use of central heat, vapor barriers, and increased ventilation. Read along to. Powder Post Beetle Extermination.
From ridabuginc.com
Powderpost Beetle Extermination Powder Post Beetle Extermination These larvae, also known as woodworms, voraciously eat through the wood from the inside, creating tunnels (or galleries) inside the wood. Difficult to detect and quick to multiply, powderpost beetles can eat away at the wood parts of a home until the damage is devastating. As adults, they chew out of the wood and emerge through small round exit holes.. Powder Post Beetle Extermination.
From scoutspestcontrol.com
Powderpost Beetle Damage Signs Every Homeowner Should Know Powder Post Beetle Extermination Read this comprehensive guide to understand powderpost beetles and how to prevent them in your home. Read along to learn more about what powderpost beetles are, what an infestation looks like, and how to get rid of them. As adults, they chew out of the wood and emerge through small round exit holes. There are a number of ways that. Powder Post Beetle Extermination.
From extremeexterminating.com
Powderpost Beetle Extermination Extreme Exterminating Powder Post Beetle Extermination Difficult to detect and quick to multiply, powderpost beetles can eat away at the wood parts of a home until the damage is devastating. There are a number of ways that you can do this such as the use of central heat, vapor barriers, and increased ventilation. There are several things that can be done to get rid of and. Powder Post Beetle Extermination.
From killroy.com
Powderpost Beetle Pest Control Services Killroy Pest Control Powder Post Beetle Extermination Powderpost beetles are drawn to moist wood, so the first thing you’re going to want to do is lessen moisture content in wood to less than 20%. Read along to learn more about what powderpost beetles are, what an infestation looks like, and how to get rid of them. Here you’ll learn how to identify powderpost beetles and get rid. Powder Post Beetle Extermination.
From pestcontrolcanada.com
Powder post beetles PEST CONTROL CANADA Powder Post Beetle Extermination Here you’ll learn how to identify powderpost beetles and get rid of them. These larvae, also known as woodworms, voraciously eat through the wood from the inside, creating tunnels (or galleries) inside the wood. Find out how to use wood surface. Read along to learn more about what powderpost beetles are, what an infestation looks like, and how to get. Powder Post Beetle Extermination.
From aaliantpestcontrol.com
Powder Post Beetle Damage Aaliant Pest Control Powder Post Beetle Extermination There are several things that can be done to get rid of and control powderpost beetles, starting with prevention. These larvae, also known as woodworms, voraciously eat through the wood from the inside, creating tunnels (or galleries) inside the wood. Find out how to use wood surface. There are a number of ways that you can do this such as. Powder Post Beetle Extermination.
From apexpestcontrolwnc.com
Powder Post Beetles Can Destroy Your Property Powder Post Beetle Extermination There are several things that can be done to get rid of and control powderpost beetles, starting with prevention. There are a number of ways that you can do this such as the use of central heat, vapor barriers, and increased ventilation. Find out how to use wood surface. As adults, they chew out of the wood and emerge through. Powder Post Beetle Extermination.
From prudentialpest.com
Powder Post Beetle Treatments Prudential Pest Solutions Powder Post Beetle Extermination Find out how to use wood surface. Here you’ll learn how to identify powderpost beetles and get rid of them. Read this comprehensive guide to understand powderpost beetles and how to prevent them in your home. Read along to learn more about what powderpost beetles are, what an infestation looks like, and how to get rid of them. As adults,. Powder Post Beetle Extermination.
From scoutspestcontrol.com
Powderpost Beetle Damage Signs Every Homeowner Should Know Powder Post Beetle Extermination Difficult to detect and quick to multiply, powderpost beetles can eat away at the wood parts of a home until the damage is devastating. These larvae, also known as woodworms, voraciously eat through the wood from the inside, creating tunnels (or galleries) inside the wood. There are several things that can be done to get rid of and control powderpost. Powder Post Beetle Extermination.
From extension.msstate.edu
Powder Post Beetles, Vol. 6, No. 6 Mississippi State University Extension Service Powder Post Beetle Extermination Here you’ll learn how to identify powderpost beetles and get rid of them. A few common signs that powderpost beetles have invaded your home include small, round exit holes in the wood surfaces accompanied by a fine,. Read along to learn more about what powderpost beetles are, what an infestation looks like, and how to get rid of them. There. Powder Post Beetle Extermination.
From www.aeropestcontrolfl.com
Powder Post Beetle Exterminator Aero Pest Control Powder Post Beetle Extermination A few common signs that powderpost beetles have invaded your home include small, round exit holes in the wood surfaces accompanied by a fine,. Read this comprehensive guide to understand powderpost beetles and how to prevent them in your home. As adults, they chew out of the wood and emerge through small round exit holes. There are a number of. Powder Post Beetle Extermination.