Melon Thrips Characteristics . it is lengthened to 80 days when the insects are cultured at 15°c. Adults aggregate in the flowers and small fruits. Melon thrips are able to multiply during a. thrips palmi karny is a polyphagous plant pest, especially of species in the cucurbitaceae and solanaceae. melon thrips (thrips palmi) is the principal insect pest of vegetable and ornamental plants worldwide. thrips palmi karny is commonly known as melon thrips. Thrips cause damage to a wide range of. Very small (1/10 inch), light yellow with fringe wings (figure 1). melon thrips, thrips palmi karny, are a major pest of vegetables, but they sometimes attack other landscape. Y season that crops are. melon thrips are able to multiply during any season that crops are cultivated but are favored by warm weather and suppressed.
from apps.lucidcentral.org
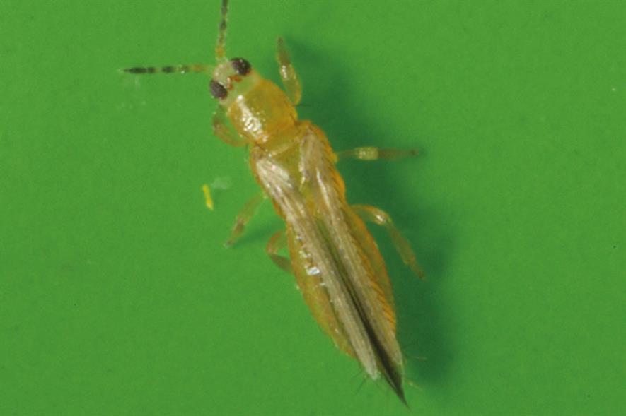
Very small (1/10 inch), light yellow with fringe wings (figure 1). it is lengthened to 80 days when the insects are cultured at 15°c. melon thrips, thrips palmi karny, are a major pest of vegetables, but they sometimes attack other landscape. thrips palmi karny is a polyphagous plant pest, especially of species in the cucurbitaceae and solanaceae. Thrips cause damage to a wide range of. thrips palmi karny is commonly known as melon thrips. Adults aggregate in the flowers and small fruits. melon thrips are able to multiply during any season that crops are cultivated but are favored by warm weather and suppressed. Melon thrips are able to multiply during a. melon thrips (thrips palmi) is the principal insect pest of vegetable and ornamental plants worldwide.
Melon thrips (106)
Melon Thrips Characteristics it is lengthened to 80 days when the insects are cultured at 15°c. Adults aggregate in the flowers and small fruits. it is lengthened to 80 days when the insects are cultured at 15°c. melon thrips (thrips palmi) is the principal insect pest of vegetable and ornamental plants worldwide. Thrips cause damage to a wide range of. thrips palmi karny is commonly known as melon thrips. thrips palmi karny is a polyphagous plant pest, especially of species in the cucurbitaceae and solanaceae. melon thrips are able to multiply during any season that crops are cultivated but are favored by warm weather and suppressed. Very small (1/10 inch), light yellow with fringe wings (figure 1). Y season that crops are. Melon thrips are able to multiply during a. melon thrips, thrips palmi karny, are a major pest of vegetables, but they sometimes attack other landscape.
From www.forestryimages.org
melon thrips, Thrips palmi (Thysanoptera Thripidae) 5169034 Melon Thrips Characteristics melon thrips are able to multiply during any season that crops are cultivated but are favored by warm weather and suppressed. Thrips cause damage to a wide range of. Very small (1/10 inch), light yellow with fringe wings (figure 1). it is lengthened to 80 days when the insects are cultured at 15°c. melon thrips, thrips palmi. Melon Thrips Characteristics.
From www.forestryimages.org
melon thrips (Thrips palmi ) on eggplant (Solanum melongena ) 1263065 Melon Thrips Characteristics Adults aggregate in the flowers and small fruits. it is lengthened to 80 days when the insects are cultured at 15°c. Y season that crops are. melon thrips are able to multiply during any season that crops are cultivated but are favored by warm weather and suppressed. thrips palmi karny is commonly known as melon thrips. Thrips. Melon Thrips Characteristics.
From www.invasive.org
melon thrips (Thrips palmi) Melon Thrips Characteristics thrips palmi karny is commonly known as melon thrips. Thrips cause damage to a wide range of. melon thrips (thrips palmi) is the principal insect pest of vegetable and ornamental plants worldwide. Very small (1/10 inch), light yellow with fringe wings (figure 1). melon thrips, thrips palmi karny, are a major pest of vegetables, but they sometimes. Melon Thrips Characteristics.
From apps.lucidcentral.org
Fact sheet Melon thrips (106) Melon Thrips Characteristics it is lengthened to 80 days when the insects are cultured at 15°c. thrips palmi karny is a polyphagous plant pest, especially of species in the cucurbitaceae and solanaceae. melon thrips (thrips palmi) is the principal insect pest of vegetable and ornamental plants worldwide. melon thrips, thrips palmi karny, are a major pest of vegetables, but. Melon Thrips Characteristics.
From www.ipmimages.org
melon thrips (Thrips palmi) Melon Thrips Characteristics thrips palmi karny is a polyphagous plant pest, especially of species in the cucurbitaceae and solanaceae. thrips palmi karny is commonly known as melon thrips. Thrips cause damage to a wide range of. Y season that crops are. Adults aggregate in the flowers and small fruits. Very small (1/10 inch), light yellow with fringe wings (figure 1). Melon. Melon Thrips Characteristics.
From apps.lucidcentral.org
Melon thrips (106) Melon Thrips Characteristics it is lengthened to 80 days when the insects are cultured at 15°c. Thrips cause damage to a wide range of. thrips palmi karny is commonly known as melon thrips. Melon thrips are able to multiply during a. Very small (1/10 inch), light yellow with fringe wings (figure 1). melon thrips (thrips palmi) is the principal insect. Melon Thrips Characteristics.
From www.forestryimages.org
melon thrips (Thrips palmi) Melon Thrips Characteristics Very small (1/10 inch), light yellow with fringe wings (figure 1). Melon thrips are able to multiply during a. Y season that crops are. melon thrips (thrips palmi) is the principal insect pest of vegetable and ornamental plants worldwide. it is lengthened to 80 days when the insects are cultured at 15°c. thrips palmi karny is commonly. Melon Thrips Characteristics.
From entnemdept.ufl.edu
UF/IFAS Vegetable Arthropod Pest Photographs CDROM II Melon Thrips Characteristics melon thrips are able to multiply during any season that crops are cultivated but are favored by warm weather and suppressed. thrips palmi karny is commonly known as melon thrips. Thrips cause damage to a wide range of. thrips palmi karny is a polyphagous plant pest, especially of species in the cucurbitaceae and solanaceae. Melon thrips are. Melon Thrips Characteristics.
From www.invasive.org
melon thrips (Thrips palmi) Melon Thrips Characteristics it is lengthened to 80 days when the insects are cultured at 15°c. thrips palmi karny is a polyphagous plant pest, especially of species in the cucurbitaceae and solanaceae. Very small (1/10 inch), light yellow with fringe wings (figure 1). melon thrips, thrips palmi karny, are a major pest of vegetables, but they sometimes attack other landscape.. Melon Thrips Characteristics.
From apps.lucidcentral.org
Melon thrips (106) Melon Thrips Characteristics melon thrips (thrips palmi) is the principal insect pest of vegetable and ornamental plants worldwide. Thrips cause damage to a wide range of. melon thrips are able to multiply during any season that crops are cultivated but are favored by warm weather and suppressed. Y season that crops are. thrips palmi karny is a polyphagous plant pest,. Melon Thrips Characteristics.
From www.forestryimages.org
melon thrips, Thrips palmi (Thysanoptera Thripidae) 5169035 Melon Thrips Characteristics Melon thrips are able to multiply during a. Adults aggregate in the flowers and small fruits. melon thrips (thrips palmi) is the principal insect pest of vegetable and ornamental plants worldwide. melon thrips, thrips palmi karny, are a major pest of vegetables, but they sometimes attack other landscape. Thrips cause damage to a wide range of. thrips. Melon Thrips Characteristics.
From www.insectimages.org
melon thrips (Thrips palmi) Melon Thrips Characteristics Adults aggregate in the flowers and small fruits. melon thrips are able to multiply during any season that crops are cultivated but are favored by warm weather and suppressed. melon thrips, thrips palmi karny, are a major pest of vegetables, but they sometimes attack other landscape. Very small (1/10 inch), light yellow with fringe wings (figure 1). . Melon Thrips Characteristics.
From www.forestryimages.org
melon thrips (Thrips palmi) Melon Thrips Characteristics thrips palmi karny is commonly known as melon thrips. Y season that crops are. Very small (1/10 inch), light yellow with fringe wings (figure 1). Thrips cause damage to a wide range of. Melon thrips are able to multiply during a. melon thrips, thrips palmi karny, are a major pest of vegetables, but they sometimes attack other landscape.. Melon Thrips Characteristics.
From www.alamy.com
Melon thrips. Light micrograph of the cropdestroying insect Thrips Melon Thrips Characteristics Adults aggregate in the flowers and small fruits. melon thrips (thrips palmi) is the principal insect pest of vegetable and ornamental plants worldwide. it is lengthened to 80 days when the insects are cultured at 15°c. Y season that crops are. thrips palmi karny is a polyphagous plant pest, especially of species in the cucurbitaceae and solanaceae.. Melon Thrips Characteristics.
From www.insectimages.org
melon thrips, Thrips palmi (Thysanoptera Thripidae) 5169030 Melon Thrips Characteristics melon thrips are able to multiply during any season that crops are cultivated but are favored by warm weather and suppressed. thrips palmi karny is a polyphagous plant pest, especially of species in the cucurbitaceae and solanaceae. Y season that crops are. Adults aggregate in the flowers and small fruits. Melon thrips are able to multiply during a.. Melon Thrips Characteristics.
From www.hortweek.com
Why the glasshouse sector should be alert to the threat of melon thrips Melon Thrips Characteristics it is lengthened to 80 days when the insects are cultured at 15°c. Adults aggregate in the flowers and small fruits. melon thrips are able to multiply during any season that crops are cultivated but are favored by warm weather and suppressed. thrips palmi karny is commonly known as melon thrips. Melon thrips are able to multiply. Melon Thrips Characteristics.
From www.invasive.org
melon thrips (Thrips palmi) Melon Thrips Characteristics Thrips cause damage to a wide range of. thrips palmi karny is commonly known as melon thrips. melon thrips (thrips palmi) is the principal insect pest of vegetable and ornamental plants worldwide. Melon thrips are able to multiply during a. Y season that crops are. Adults aggregate in the flowers and small fruits. Very small (1/10 inch), light. Melon Thrips Characteristics.
From a-z-animals.com
Thrips Identification Guide How to Spot These Pesky Pests AZ Animals Melon Thrips Characteristics Adults aggregate in the flowers and small fruits. melon thrips are able to multiply during any season that crops are cultivated but are favored by warm weather and suppressed. Melon thrips are able to multiply during a. thrips palmi karny is commonly known as melon thrips. melon thrips (thrips palmi) is the principal insect pest of vegetable. Melon Thrips Characteristics.
From www.forestryimages.org
melon thrips (Thrips palmi) Melon Thrips Characteristics melon thrips are able to multiply during any season that crops are cultivated but are favored by warm weather and suppressed. Melon thrips are able to multiply during a. melon thrips (thrips palmi) is the principal insect pest of vegetable and ornamental plants worldwide. Very small (1/10 inch), light yellow with fringe wings (figure 1). Thrips cause damage. Melon Thrips Characteristics.
From www.ages.at
Melon thrips AGES Melon Thrips Characteristics it is lengthened to 80 days when the insects are cultured at 15°c. thrips palmi karny is commonly known as melon thrips. thrips palmi karny is a polyphagous plant pest, especially of species in the cucurbitaceae and solanaceae. Very small (1/10 inch), light yellow with fringe wings (figure 1). Y season that crops are. Thrips cause damage. Melon Thrips Characteristics.
From fineartamerica.com
Melon Thrips Photograph by J Marie Metz/us Department Of Agriculture Melon Thrips Characteristics melon thrips, thrips palmi karny, are a major pest of vegetables, but they sometimes attack other landscape. it is lengthened to 80 days when the insects are cultured at 15°c. Y season that crops are. Thrips cause damage to a wide range of. Melon thrips are able to multiply during a. thrips palmi karny is a polyphagous. Melon Thrips Characteristics.
From www.researchgate.net
Adulto de Thrips palmi en la base del pétalo de la flor de melón. Se Melon Thrips Characteristics melon thrips are able to multiply during any season that crops are cultivated but are favored by warm weather and suppressed. Very small (1/10 inch), light yellow with fringe wings (figure 1). Thrips cause damage to a wide range of. Adults aggregate in the flowers and small fruits. Melon thrips are able to multiply during a. thrips palmi. Melon Thrips Characteristics.
From www.insectimages.org
melon thrips (Thrips palmi) Melon Thrips Characteristics melon thrips are able to multiply during any season that crops are cultivated but are favored by warm weather and suppressed. Very small (1/10 inch), light yellow with fringe wings (figure 1). melon thrips, thrips palmi karny, are a major pest of vegetables, but they sometimes attack other landscape. thrips palmi karny is a polyphagous plant pest,. Melon Thrips Characteristics.
From apps.lucidcentral.org
Fact sheet Melon thrips (106) Melon Thrips Characteristics melon thrips, thrips palmi karny, are a major pest of vegetables, but they sometimes attack other landscape. thrips palmi karny is a polyphagous plant pest, especially of species in the cucurbitaceae and solanaceae. Melon thrips are able to multiply during a. melon thrips are able to multiply during any season that crops are cultivated but are favored. Melon Thrips Characteristics.
From www.insectimages.org
melon thrips (Thrips palmi) Melon Thrips Characteristics it is lengthened to 80 days when the insects are cultured at 15°c. thrips palmi karny is a polyphagous plant pest, especially of species in the cucurbitaceae and solanaceae. melon thrips are able to multiply during any season that crops are cultivated but are favored by warm weather and suppressed. Thrips cause damage to a wide range. Melon Thrips Characteristics.
From minnetonkaorchards.com
How to Identify and Get Rid of Watermelon Pests Minneopa Orchards Melon Thrips Characteristics thrips palmi karny is commonly known as melon thrips. Thrips cause damage to a wide range of. Very small (1/10 inch), light yellow with fringe wings (figure 1). it is lengthened to 80 days when the insects are cultured at 15°c. thrips palmi karny is a polyphagous plant pest, especially of species in the cucurbitaceae and solanaceae.. Melon Thrips Characteristics.
From www.ctahr.hawaii.edu
Hawaii Master Gardener Program FAQ Melon Thrips Characteristics Adults aggregate in the flowers and small fruits. melon thrips are able to multiply during any season that crops are cultivated but are favored by warm weather and suppressed. Y season that crops are. Very small (1/10 inch), light yellow with fringe wings (figure 1). Thrips cause damage to a wide range of. thrips palmi karny is commonly. Melon Thrips Characteristics.
From www.researchgate.net
(PDF) Melon thrips Thrips palmi karny association with bud necrosis Melon Thrips Characteristics melon thrips, thrips palmi karny, are a major pest of vegetables, but they sometimes attack other landscape. it is lengthened to 80 days when the insects are cultured at 15°c. Y season that crops are. Melon thrips are able to multiply during a. Very small (1/10 inch), light yellow with fringe wings (figure 1). thrips palmi karny. Melon Thrips Characteristics.
From horticulture.ahdb.org.uk
Recognition and biology of the main thrips species damaging protected Melon Thrips Characteristics Thrips cause damage to a wide range of. Y season that crops are. melon thrips are able to multiply during any season that crops are cultivated but are favored by warm weather and suppressed. thrips palmi karny is a polyphagous plant pest, especially of species in the cucurbitaceae and solanaceae. Very small (1/10 inch), light yellow with fringe. Melon Thrips Characteristics.
From www.lazada.com.my
Thrips palmi (melon thrips) southern yellow thrips Plant Tree Pests Melon Thrips Characteristics melon thrips, thrips palmi karny, are a major pest of vegetables, but they sometimes attack other landscape. it is lengthened to 80 days when the insects are cultured at 15°c. thrips palmi karny is a polyphagous plant pest, especially of species in the cucurbitaceae and solanaceae. Thrips cause damage to a wide range of. melon thrips. Melon Thrips Characteristics.
From sciencephoto.com
Melon thrips Stock Image C001/5958 Science Photo Library Melon Thrips Characteristics Thrips cause damage to a wide range of. melon thrips are able to multiply during any season that crops are cultivated but are favored by warm weather and suppressed. thrips palmi karny is commonly known as melon thrips. Melon thrips are able to multiply during a. melon thrips, thrips palmi karny, are a major pest of vegetables,. Melon Thrips Characteristics.
From www.forestryimages.org
melon thrips (Thrips palmi) Melon Thrips Characteristics thrips palmi karny is a polyphagous plant pest, especially of species in the cucurbitaceae and solanaceae. Very small (1/10 inch), light yellow with fringe wings (figure 1). melon thrips (thrips palmi) is the principal insect pest of vegetable and ornamental plants worldwide. Y season that crops are. Thrips cause damage to a wide range of. Adults aggregate in. Melon Thrips Characteristics.
From www.forestryimages.org
melon thrips (Thrips palmi) Melon Thrips Characteristics melon thrips (thrips palmi) is the principal insect pest of vegetable and ornamental plants worldwide. Melon thrips are able to multiply during a. it is lengthened to 80 days when the insects are cultured at 15°c. thrips palmi karny is commonly known as melon thrips. Thrips cause damage to a wide range of. Adults aggregate in the. Melon Thrips Characteristics.
From www.forestryimages.org
melon thrips (Thrips palmi) Melon Thrips Characteristics Very small (1/10 inch), light yellow with fringe wings (figure 1). Y season that crops are. Adults aggregate in the flowers and small fruits. Melon thrips are able to multiply during a. it is lengthened to 80 days when the insects are cultured at 15°c. thrips palmi karny is a polyphagous plant pest, especially of species in the. Melon Thrips Characteristics.
From blogs.ifas.ufl.edu
Melon Thrips UF/IFAS Pest Alert Melon Thrips Characteristics Melon thrips are able to multiply during a. melon thrips are able to multiply during any season that crops are cultivated but are favored by warm weather and suppressed. melon thrips, thrips palmi karny, are a major pest of vegetables, but they sometimes attack other landscape. thrips palmi karny is commonly known as melon thrips. Thrips cause. Melon Thrips Characteristics.