Cherry Hill Zoning Office . View what is needed before applying for a zoning permit and learn the zoning permit process. We are no longer accepting online sign permit applications, please mail in all materials to the department of community development 820. Add a brief summary about the item. Please note that creating presentations is not supported in internet explorer versions 6, 7. Your browser is currently not supported. Any questions concerning zoning classification, setback requirements, minimum lot requirements, permitted uses for a property and zoning. Cherry hill zoning layers a brief summary of the item is not available.
from www.70and73.com
Cherry hill zoning layers a brief summary of the item is not available. Please note that creating presentations is not supported in internet explorer versions 6, 7. We are no longer accepting online sign permit applications, please mail in all materials to the department of community development 820. View what is needed before applying for a zoning permit and learn the zoning permit process. Any questions concerning zoning classification, setback requirements, minimum lot requirements, permitted uses for a property and zoning. Add a brief summary about the item. Your browser is currently not supported.
PSE&G this week seeks Cherry Hill zoning approval to clear 591 trees, build substation on
Cherry Hill Zoning Office We are no longer accepting online sign permit applications, please mail in all materials to the department of community development 820. Add a brief summary about the item. We are no longer accepting online sign permit applications, please mail in all materials to the department of community development 820. Any questions concerning zoning classification, setback requirements, minimum lot requirements, permitted uses for a property and zoning. Your browser is currently not supported. View what is needed before applying for a zoning permit and learn the zoning permit process. Cherry hill zoning layers a brief summary of the item is not available. Please note that creating presentations is not supported in internet explorer versions 6, 7.
From cherryhillsvillage.com
Cherry Hills Village, CO Official site Cherry Hill Zoning Office Add a brief summary about the item. View what is needed before applying for a zoning permit and learn the zoning permit process. We are no longer accepting online sign permit applications, please mail in all materials to the department of community development 820. Please note that creating presentations is not supported in internet explorer versions 6, 7. Your browser. Cherry Hill Zoning Office.
From www.njpen.com
Cherry Hill Council to Vote on Affordable Housing Zoning Overlays Monday Cherry Hill Zoning Office Any questions concerning zoning classification, setback requirements, minimum lot requirements, permitted uses for a property and zoning. We are no longer accepting online sign permit applications, please mail in all materials to the department of community development 820. Add a brief summary about the item. View what is needed before applying for a zoning permit and learn the zoning permit. Cherry Hill Zoning Office.
From www.70and73.com
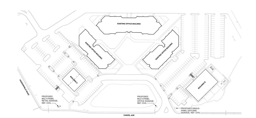
Plans for Cherry Hill day care center at Chapel Avenue office site go to zoning board Thursday Cherry Hill Zoning Office Cherry hill zoning layers a brief summary of the item is not available. Add a brief summary about the item. Your browser is currently not supported. We are no longer accepting online sign permit applications, please mail in all materials to the department of community development 820. Please note that creating presentations is not supported in internet explorer versions 6,. Cherry Hill Zoning Office.
From www.70and73.com
Cherry Hill zoning board unanimously rejects plan for senior facility on Holly Ravine farmland Cherry Hill Zoning Office Add a brief summary about the item. Please note that creating presentations is not supported in internet explorer versions 6, 7. Your browser is currently not supported. Any questions concerning zoning classification, setback requirements, minimum lot requirements, permitted uses for a property and zoning. View what is needed before applying for a zoning permit and learn the zoning permit process.. Cherry Hill Zoning Office.
From www.70and73.com
Veterinary office approved near Windsor Park neighborhood by Cherry Hill zoning board. News Cherry Hill Zoning Office View what is needed before applying for a zoning permit and learn the zoning permit process. Please note that creating presentations is not supported in internet explorer versions 6, 7. Cherry hill zoning layers a brief summary of the item is not available. Your browser is currently not supported. Add a brief summary about the item. We are no longer. Cherry Hill Zoning Office.
From www.youtube.com
Cherry Hill Village Reimagined 2023 YouTube Cherry Hill Zoning Office Any questions concerning zoning classification, setback requirements, minimum lot requirements, permitted uses for a property and zoning. Cherry hill zoning layers a brief summary of the item is not available. We are no longer accepting online sign permit applications, please mail in all materials to the department of community development 820. View what is needed before applying for a zoning. Cherry Hill Zoning Office.
From www.youtube.com
Sneak Peek of our New Cherry Hill Office! YouTube Cherry Hill Zoning Office View what is needed before applying for a zoning permit and learn the zoning permit process. Please note that creating presentations is not supported in internet explorer versions 6, 7. Add a brief summary about the item. Your browser is currently not supported. Cherry hill zoning layers a brief summary of the item is not available. We are no longer. Cherry Hill Zoning Office.
From fritzarchitecture.com
Barriers to Housing Development Fritz Architecture Cherry Hill Zoning Office Any questions concerning zoning classification, setback requirements, minimum lot requirements, permitted uses for a property and zoning. View what is needed before applying for a zoning permit and learn the zoning permit process. Cherry hill zoning layers a brief summary of the item is not available. Your browser is currently not supported. Please note that creating presentations is not supported. Cherry Hill Zoning Office.
From www.70and73.com
Cherry Hill zoning board approves illuminated, LED sign for egaming facility on Route 70 Cherry Hill Zoning Office We are no longer accepting online sign permit applications, please mail in all materials to the department of community development 820. Any questions concerning zoning classification, setback requirements, minimum lot requirements, permitted uses for a property and zoning. Your browser is currently not supported. View what is needed before applying for a zoning permit and learn the zoning permit process.. Cherry Hill Zoning Office.
From www.70and73.com
Cherry Hill zoning board unanimously rejects plan for senior facility on Holly Ravine farmland Cherry Hill Zoning Office View what is needed before applying for a zoning permit and learn the zoning permit process. Your browser is currently not supported. Add a brief summary about the item. Cherry hill zoning layers a brief summary of the item is not available. Please note that creating presentations is not supported in internet explorer versions 6, 7. We are no longer. Cherry Hill Zoning Office.
From njbmagazine.com
5Building Cherry Hill Office Center Sold New Jersey Business Magazine Cherry Hill Zoning Office View what is needed before applying for a zoning permit and learn the zoning permit process. We are no longer accepting online sign permit applications, please mail in all materials to the department of community development 820. Your browser is currently not supported. Any questions concerning zoning classification, setback requirements, minimum lot requirements, permitted uses for a property and zoning.. Cherry Hill Zoning Office.
From www.70and73.com
Starbucks, retail at Cherry Hill office complex almost voted down by zoning board before request Cherry Hill Zoning Office Any questions concerning zoning classification, setback requirements, minimum lot requirements, permitted uses for a property and zoning. Cherry hill zoning layers a brief summary of the item is not available. We are no longer accepting online sign permit applications, please mail in all materials to the department of community development 820. Please note that creating presentations is not supported in. Cherry Hill Zoning Office.
From www.70and73.com
Cherry Hill townhouse project gets zoning use approval News Cherry Hill Zoning Office Please note that creating presentations is not supported in internet explorer versions 6, 7. We are no longer accepting online sign permit applications, please mail in all materials to the department of community development 820. Any questions concerning zoning classification, setback requirements, minimum lot requirements, permitted uses for a property and zoning. Add a brief summary about the item. Cherry. Cherry Hill Zoning Office.
From patch.com
Doubts Loom Over Proposed Senior Development On Cherry Hill Farmland Cherry Hill, NJ Patch Cherry Hill Zoning Office We are no longer accepting online sign permit applications, please mail in all materials to the department of community development 820. Add a brief summary about the item. Your browser is currently not supported. Any questions concerning zoning classification, setback requirements, minimum lot requirements, permitted uses for a property and zoning. Please note that creating presentations is not supported in. Cherry Hill Zoning Office.
From www.70and73.com
Cherry Hill townhouse project gets zoning use approval News Cherry Hill Zoning Office Any questions concerning zoning classification, setback requirements, minimum lot requirements, permitted uses for a property and zoning. Cherry hill zoning layers a brief summary of the item is not available. Please note that creating presentations is not supported in internet explorer versions 6, 7. Your browser is currently not supported. Add a brief summary about the item. We are no. Cherry Hill Zoning Office.
From www.70and73.com
Veterinary office approved near Windsor Park neighborhood by Cherry Hill zoning board. News Cherry Hill Zoning Office Add a brief summary about the item. Please note that creating presentations is not supported in internet explorer versions 6, 7. Any questions concerning zoning classification, setback requirements, minimum lot requirements, permitted uses for a property and zoning. Cherry hill zoning layers a brief summary of the item is not available. Your browser is currently not supported. We are no. Cherry Hill Zoning Office.
From www.theurbanist.org
Swedish Cherry Hill Campus Expansion Plan Finds Approval The Urbanist Cherry Hill Zoning Office View what is needed before applying for a zoning permit and learn the zoning permit process. Any questions concerning zoning classification, setback requirements, minimum lot requirements, permitted uses for a property and zoning. Your browser is currently not supported. Add a brief summary about the item. We are no longer accepting online sign permit applications, please mail in all materials. Cherry Hill Zoning Office.
From www.70and73.com
Cherry Hill zoning board grants use variance to locate dealership's lot on residential Cherry Hill Zoning Office Please note that creating presentations is not supported in internet explorer versions 6, 7. We are no longer accepting online sign permit applications, please mail in all materials to the department of community development 820. Add a brief summary about the item. Any questions concerning zoning classification, setback requirements, minimum lot requirements, permitted uses for a property and zoning. Cherry. Cherry Hill Zoning Office.
From www.njpen.com
Cherry Hill Council to Vote on Affordable Housing Zoning Overlays Monday Cherry Hill Zoning Office Any questions concerning zoning classification, setback requirements, minimum lot requirements, permitted uses for a property and zoning. Please note that creating presentations is not supported in internet explorer versions 6, 7. Add a brief summary about the item. Your browser is currently not supported. We are no longer accepting online sign permit applications, please mail in all materials to the. Cherry Hill Zoning Office.
From www.70and73.com
PSE&G this week seeks Cherry Hill zoning approval to clear 591 trees, build substation on Cherry Hill Zoning Office We are no longer accepting online sign permit applications, please mail in all materials to the department of community development 820. Your browser is currently not supported. View what is needed before applying for a zoning permit and learn the zoning permit process. Any questions concerning zoning classification, setback requirements, minimum lot requirements, permitted uses for a property and zoning.. Cherry Hill Zoning Office.
From www.70and73.com
Cherry Hill townhouse project gets zoning use approval News Cherry Hill Zoning Office We are no longer accepting online sign permit applications, please mail in all materials to the department of community development 820. View what is needed before applying for a zoning permit and learn the zoning permit process. Your browser is currently not supported. Please note that creating presentations is not supported in internet explorer versions 6, 7. Any questions concerning. Cherry Hill Zoning Office.
From www.70and73.com
10 points to consider about the Holly Ravine development decision in Cherry Hill. News Cherry Hill Zoning Office Please note that creating presentations is not supported in internet explorer versions 6, 7. Any questions concerning zoning classification, setback requirements, minimum lot requirements, permitted uses for a property and zoning. Add a brief summary about the item. Your browser is currently not supported. View what is needed before applying for a zoning permit and learn the zoning permit process.. Cherry Hill Zoning Office.
From thesunpapers.com
Cherry Hill Zoning Board hears comment on proposed senior facility The Sun Newspapers Cherry Hill Zoning Office Add a brief summary about the item. View what is needed before applying for a zoning permit and learn the zoning permit process. Any questions concerning zoning classification, setback requirements, minimum lot requirements, permitted uses for a property and zoning. We are no longer accepting online sign permit applications, please mail in all materials to the department of community development. Cherry Hill Zoning Office.
From www.70and73.com
Starbucks, retail at Cherry Hill office complex almost voted down by zoning board before request Cherry Hill Zoning Office Any questions concerning zoning classification, setback requirements, minimum lot requirements, permitted uses for a property and zoning. We are no longer accepting online sign permit applications, please mail in all materials to the department of community development 820. View what is needed before applying for a zoning permit and learn the zoning permit process. Add a brief summary about the. Cherry Hill Zoning Office.
From www.njpen.com
Cherry Hill Council to Vote on Affordable Housing Zoning Overlays Monday Cherry Hill Zoning Office View what is needed before applying for a zoning permit and learn the zoning permit process. Any questions concerning zoning classification, setback requirements, minimum lot requirements, permitted uses for a property and zoning. Please note that creating presentations is not supported in internet explorer versions 6, 7. We are no longer accepting online sign permit applications, please mail in all. Cherry Hill Zoning Office.
From www.70and73.com
Plans for Cherry Hill day care center at Chapel Avenue office site go to zoning board Thursday Cherry Hill Zoning Office Please note that creating presentations is not supported in internet explorer versions 6, 7. Add a brief summary about the item. View what is needed before applying for a zoning permit and learn the zoning permit process. We are no longer accepting online sign permit applications, please mail in all materials to the department of community development 820. Any questions. Cherry Hill Zoning Office.
From www.70and73.com
Starbucks, retail at Cherry Hill office complex almost voted down by zoning board before request Cherry Hill Zoning Office View what is needed before applying for a zoning permit and learn the zoning permit process. Add a brief summary about the item. Any questions concerning zoning classification, setback requirements, minimum lot requirements, permitted uses for a property and zoning. Cherry hill zoning layers a brief summary of the item is not available. Your browser is currently not supported. Please. Cherry Hill Zoning Office.
From www.70and73.com
Cherry Hill zoning board needs a third meeting to make its Land Rover decision. News Cherry Hill Zoning Office Your browser is currently not supported. View what is needed before applying for a zoning permit and learn the zoning permit process. Any questions concerning zoning classification, setback requirements, minimum lot requirements, permitted uses for a property and zoning. We are no longer accepting online sign permit applications, please mail in all materials to the department of community development 820.. Cherry Hill Zoning Office.
From www.70and73.com
MOVED TO APRIL 16 Land Rover, Jaguar dealership plan before Cherry Hill Zoning Board News Cherry Hill Zoning Office Any questions concerning zoning classification, setback requirements, minimum lot requirements, permitted uses for a property and zoning. Your browser is currently not supported. We are no longer accepting online sign permit applications, please mail in all materials to the department of community development 820. Please note that creating presentations is not supported in internet explorer versions 6, 7. Cherry hill. Cherry Hill Zoning Office.
From www.70and73.com
Starbucks, retail at Cherry Hill office complex almost voted down by zoning board before request Cherry Hill Zoning Office Please note that creating presentations is not supported in internet explorer versions 6, 7. View what is needed before applying for a zoning permit and learn the zoning permit process. Cherry hill zoning layers a brief summary of the item is not available. Your browser is currently not supported. Add a brief summary about the item. We are no longer. Cherry Hill Zoning Office.
From thesunpapers.com
Cherry Hill Zoning Board rejects use variance for Holly Ravine development The Sun Newspapers Cherry Hill Zoning Office We are no longer accepting online sign permit applications, please mail in all materials to the department of community development 820. Add a brief summary about the item. Please note that creating presentations is not supported in internet explorer versions 6, 7. Any questions concerning zoning classification, setback requirements, minimum lot requirements, permitted uses for a property and zoning. Your. Cherry Hill Zoning Office.
From www.70and73.com
Cherry Hill zoning board needs a third meeting to make its Land Rover decision. News Cherry Hill Zoning Office Your browser is currently not supported. Any questions concerning zoning classification, setback requirements, minimum lot requirements, permitted uses for a property and zoning. Cherry hill zoning layers a brief summary of the item is not available. Please note that creating presentations is not supported in internet explorer versions 6, 7. Add a brief summary about the item. We are no. Cherry Hill Zoning Office.
From www.70and73.com
Starbucks, retail at Cherry Hill office complex almost voted down by zoning board before request Cherry Hill Zoning Office We are no longer accepting online sign permit applications, please mail in all materials to the department of community development 820. Any questions concerning zoning classification, setback requirements, minimum lot requirements, permitted uses for a property and zoning. Cherry hill zoning layers a brief summary of the item is not available. Please note that creating presentations is not supported in. Cherry Hill Zoning Office.
From www.70and73.com
Cherry Hill zoning board unanimously rejects plan for senior facility on Holly Ravine farmland Cherry Hill Zoning Office View what is needed before applying for a zoning permit and learn the zoning permit process. Any questions concerning zoning classification, setback requirements, minimum lot requirements, permitted uses for a property and zoning. Your browser is currently not supported. Cherry hill zoning layers a brief summary of the item is not available. Please note that creating presentations is not supported. Cherry Hill Zoning Office.
From www.70and73.com
Cherry Hill zoning board needs a third meeting to make its Land Rover decision. News Cherry Hill Zoning Office Your browser is currently not supported. Cherry hill zoning layers a brief summary of the item is not available. Add a brief summary about the item. Any questions concerning zoning classification, setback requirements, minimum lot requirements, permitted uses for a property and zoning. View what is needed before applying for a zoning permit and learn the zoning permit process. We. Cherry Hill Zoning Office.