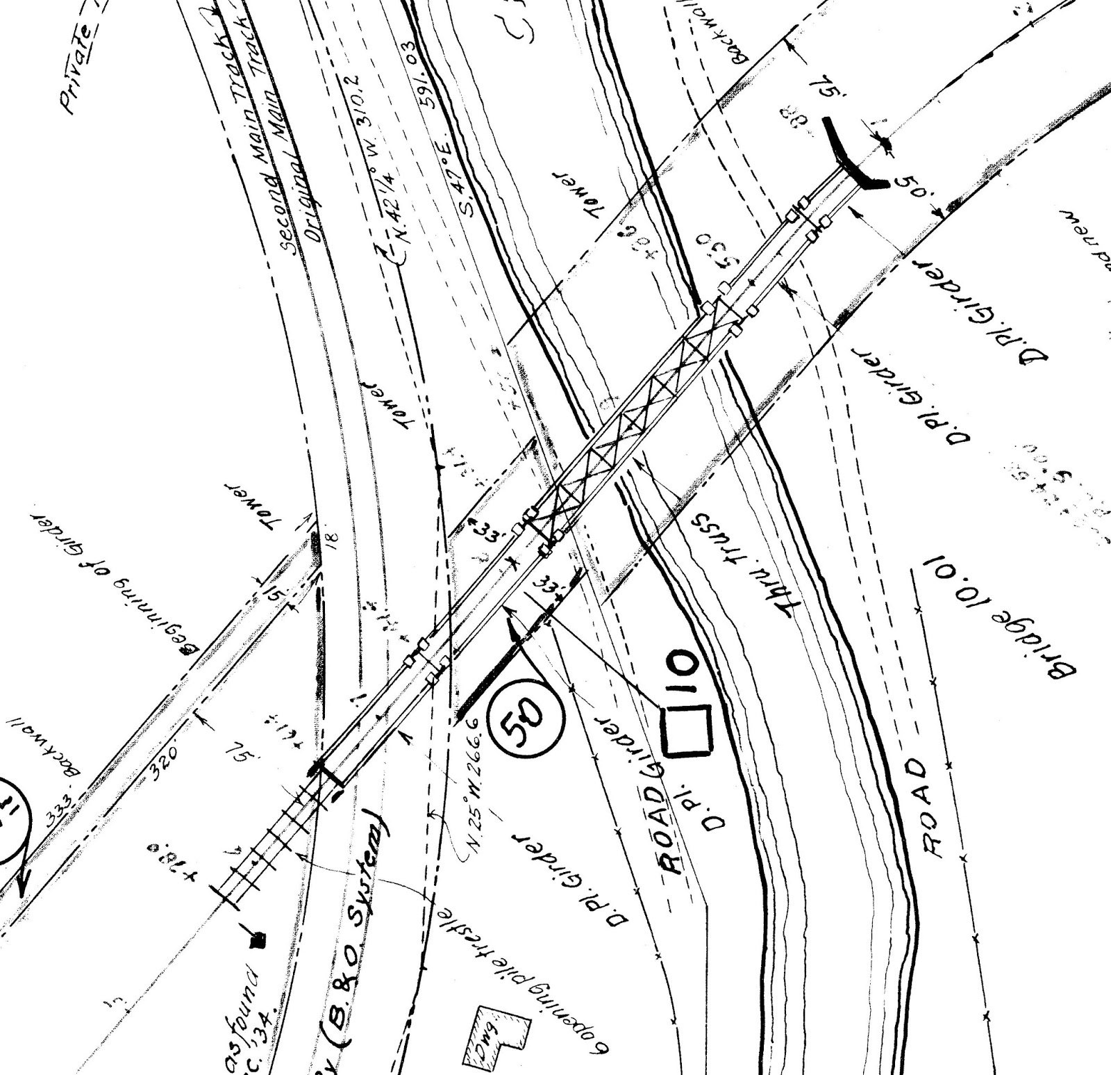
Valuation Maps Railroad . Please visit railroad maps in the cartographic research room for more information on railroad maps held by the national archives. Find digitized icc valuation maps and documents related to railroads from 1915 to 1995. This index should be a close to a complete list of valuation sheet numbers actually drawn for the pennsylvania railroad owned properties in this. Valuation maps to help evaluate railroad property. Valuation maps were generally drawn from east to west or south to north. 136 rows the two main types of valuation office survey records at the national archives are ordnance survey maps (often referred to as ‘plans’) with manuscript annotations, and. The original maps were created between 1915 and 1920 by icc and railroad. Because many lines changed direction along their route, an. Learn about the icc history, functions, and decisions, and.
from www.carloadexpress.com
Please visit railroad maps in the cartographic research room for more information on railroad maps held by the national archives. This index should be a close to a complete list of valuation sheet numbers actually drawn for the pennsylvania railroad owned properties in this. The original maps were created between 1915 and 1920 by icc and railroad. Find digitized icc valuation maps and documents related to railroads from 1915 to 1995. Learn about the icc history, functions, and decisions, and. Valuation maps to help evaluate railroad property. Because many lines changed direction along their route, an. Valuation maps were generally drawn from east to west or south to north. 136 rows the two main types of valuation office survey records at the national archives are ordnance survey maps (often referred to as ‘plans’) with manuscript annotations, and.
Railroad Valuation Maps Carload Express, Inc.
Valuation Maps Railroad Find digitized icc valuation maps and documents related to railroads from 1915 to 1995. Find digitized icc valuation maps and documents related to railroads from 1915 to 1995. Valuation maps were generally drawn from east to west or south to north. Please visit railroad maps in the cartographic research room for more information on railroad maps held by the national archives. Because many lines changed direction along their route, an. This index should be a close to a complete list of valuation sheet numbers actually drawn for the pennsylvania railroad owned properties in this. Valuation maps to help evaluate railroad property. 136 rows the two main types of valuation office survey records at the national archives are ordnance survey maps (often referred to as ‘plans’) with manuscript annotations, and. The original maps were created between 1915 and 1920 by icc and railroad. Learn about the icc history, functions, and decisions, and.
From gis.lakecountyohio.gov
gis.lakecountyohio.gov /scannedsurveys/Railroad Valuation Maps/Tif files/ Valuation Maps Railroad Learn about the icc history, functions, and decisions, and. Valuation maps to help evaluate railroad property. Find digitized icc valuation maps and documents related to railroads from 1915 to 1995. Please visit railroad maps in the cartographic research room for more information on railroad maps held by the national archives. 136 rows the two main types of valuation office survey. Valuation Maps Railroad.
From rc-pedalpoint.blogspot.com
Rich's PedalPoint Railroad Valuation Maps Trestle Trail, RI Valuation Maps Railroad Learn about the icc history, functions, and decisions, and. 136 rows the two main types of valuation office survey records at the national archives are ordnance survey maps (often referred to as ‘plans’) with manuscript annotations, and. Please visit railroad maps in the cartographic research room for more information on railroad maps held by the national archives. Valuation maps were. Valuation Maps Railroad.
From railsandtrails.com
ICC Valuation Section Index Maps Valuation Maps Railroad Valuation maps were generally drawn from east to west or south to north. Because many lines changed direction along their route, an. This index should be a close to a complete list of valuation sheet numbers actually drawn for the pennsylvania railroad owned properties in this. The original maps were created between 1915 and 1920 by icc and railroad. Valuation. Valuation Maps Railroad.
From infomapsplus.blogspot.com
Infographics, Maps, Music and More Connecticut Railroad Valuation Maps Valuation Maps Railroad This index should be a close to a complete list of valuation sheet numbers actually drawn for the pennsylvania railroad owned properties in this. Valuation maps were generally drawn from east to west or south to north. Please visit railroad maps in the cartographic research room for more information on railroad maps held by the national archives. Find digitized icc. Valuation Maps Railroad.
From gis.lakecountyohio.gov
gis.lakecountyohio.gov /scannedsurveys/Railroad Valuation Maps/Tif files/ Valuation Maps Railroad This index should be a close to a complete list of valuation sheet numbers actually drawn for the pennsylvania railroad owned properties in this. Find digitized icc valuation maps and documents related to railroads from 1915 to 1995. Because many lines changed direction along their route, an. Learn about the icc history, functions, and decisions, and. Please visit railroad maps. Valuation Maps Railroad.
From www.semanticscholar.org
Figure 1 from A Digital Archive of Historical Railroad Property Valuation Maps Railroad Because many lines changed direction along their route, an. Find digitized icc valuation maps and documents related to railroads from 1915 to 1995. Valuation maps were generally drawn from east to west or south to north. Please visit railroad maps in the cartographic research room for more information on railroad maps held by the national archives. 136 rows the two. Valuation Maps Railroad.
From vtransmaps.vermont.gov
vtransmaps.vermont.gov /railvaluationsheets/Active/Washington Valuation Maps Railroad 136 rows the two main types of valuation office survey records at the national archives are ordnance survey maps (often referred to as ‘plans’) with manuscript annotations, and. Valuation maps to help evaluate railroad property. Please visit railroad maps in the cartographic research room for more information on railroad maps held by the national archives. Learn about the icc history,. Valuation Maps Railroad.
From www.nmro.org
ErieRailroad Land Valuation Map Samples Valuation Maps Railroad The original maps were created between 1915 and 1920 by icc and railroad. Valuation maps were generally drawn from east to west or south to north. 136 rows the two main types of valuation office survey records at the national archives are ordnance survey maps (often referred to as ‘plans’) with manuscript annotations, and. Because many lines changed direction along. Valuation Maps Railroad.
From carloadexpress.com
Railroad Valuation Maps Carload Express, Inc. Valuation Maps Railroad Learn about the icc history, functions, and decisions, and. Because many lines changed direction along their route, an. Find digitized icc valuation maps and documents related to railroads from 1915 to 1995. The original maps were created between 1915 and 1920 by icc and railroad. Valuation maps to help evaluate railroad property. 136 rows the two main types of valuation. Valuation Maps Railroad.
From vtransmaps.vermont.gov
vtransmaps.vermont.gov /railvaluationsheets/Active/Washington Valuation Maps Railroad This index should be a close to a complete list of valuation sheet numbers actually drawn for the pennsylvania railroad owned properties in this. 136 rows the two main types of valuation office survey records at the national archives are ordnance survey maps (often referred to as ‘plans’) with manuscript annotations, and. Valuation maps to help evaluate railroad property. Because. Valuation Maps Railroad.
From adenarailroad.blogspot.com
Adena Railroad Bridge Planning from Valuation Maps Valuation Maps Railroad Learn about the icc history, functions, and decisions, and. Find digitized icc valuation maps and documents related to railroads from 1915 to 1995. This index should be a close to a complete list of valuation sheet numbers actually drawn for the pennsylvania railroad owned properties in this. Please visit railroad maps in the cartographic research room for more information on. Valuation Maps Railroad.
From www.msrailroads.com
Mississippi Rails Valuation Maps Railroad Find digitized icc valuation maps and documents related to railroads from 1915 to 1995. Valuation maps to help evaluate railroad property. Valuation maps were generally drawn from east to west or south to north. The original maps were created between 1915 and 1920 by icc and railroad. Because many lines changed direction along their route, an. Learn about the icc. Valuation Maps Railroad.
From www.carloadexpress.com
Railroad Valuation Maps Carload Express, Inc. Valuation Maps Railroad Learn about the icc history, functions, and decisions, and. Please visit railroad maps in the cartographic research room for more information on railroad maps held by the national archives. Because many lines changed direction along their route, an. Valuation maps were generally drawn from east to west or south to north. Valuation maps to help evaluate railroad property. The original. Valuation Maps Railroad.
From www.bigbendrailroadhistory.com
Big Bend Railroad History 1918 Lind Valuation Map Valuation Maps Railroad Because many lines changed direction along their route, an. The original maps were created between 1915 and 1920 by icc and railroad. Valuation maps were generally drawn from east to west or south to north. 136 rows the two main types of valuation office survey records at the national archives are ordnance survey maps (often referred to as ‘plans’) with. Valuation Maps Railroad.
From www.guilfordkeepingsociety.org
Railroad Valuation Maps Valuation Maps Railroad Please visit railroad maps in the cartographic research room for more information on railroad maps held by the national archives. 136 rows the two main types of valuation office survey records at the national archives are ordnance survey maps (often referred to as ‘plans’) with manuscript annotations, and. Learn about the icc history, functions, and decisions, and. The original maps. Valuation Maps Railroad.
From infomapsplus.blogspot.com
Infographics, Maps, Music and More Connecticut Railroad Valuation Maps Valuation Maps Railroad The original maps were created between 1915 and 1920 by icc and railroad. 136 rows the two main types of valuation office survey records at the national archives are ordnance survey maps (often referred to as ‘plans’) with manuscript annotations, and. Valuation maps to help evaluate railroad property. Learn about the icc history, functions, and decisions, and. This index should. Valuation Maps Railroad.
From www.carloadexpress.com
Railroad Valuation Maps Carload Express, Inc. Valuation Maps Railroad Learn about the icc history, functions, and decisions, and. The original maps were created between 1915 and 1920 by icc and railroad. Valuation maps were generally drawn from east to west or south to north. Find digitized icc valuation maps and documents related to railroads from 1915 to 1995. Please visit railroad maps in the cartographic research room for more. Valuation Maps Railroad.
From gis.lakecountyohio.gov
gis.lakecountyohio.gov /scannedsurveys/Railroad Valuation Maps/Tif files/ Valuation Maps Railroad Valuation maps to help evaluate railroad property. The original maps were created between 1915 and 1920 by icc and railroad. Because many lines changed direction along their route, an. This index should be a close to a complete list of valuation sheet numbers actually drawn for the pennsylvania railroad owned properties in this. Learn about the icc history, functions, and. Valuation Maps Railroad.
From www.guilfordkeepingsociety.org
Railroad Valuation Maps Valuation Maps Railroad Valuation maps were generally drawn from east to west or south to north. Please visit railroad maps in the cartographic research room for more information on railroad maps held by the national archives. This index should be a close to a complete list of valuation sheet numbers actually drawn for the pennsylvania railroad owned properties in this. 136 rows the. Valuation Maps Railroad.
From vtransmaps.vermont.gov
vtransmaps.vermont.gov /railvaluationsheets/Active/Green Mountain Valuation Maps Railroad Please visit railroad maps in the cartographic research room for more information on railroad maps held by the national archives. Valuation maps to help evaluate railroad property. Because many lines changed direction along their route, an. Learn about the icc history, functions, and decisions, and. Find digitized icc valuation maps and documents related to railroads from 1915 to 1995. Valuation. Valuation Maps Railroad.
From vtransmaps.vermont.gov
vtransmaps.vermont.gov /railvaluationsheets/Active/Green Mountain Valuation Maps Railroad Because many lines changed direction along their route, an. Learn about the icc history, functions, and decisions, and. 136 rows the two main types of valuation office survey records at the national archives are ordnance survey maps (often referred to as ‘plans’) with manuscript annotations, and. Valuation maps were generally drawn from east to west or south to north. This. Valuation Maps Railroad.
From www.carloadexpress.com
Railroad Valuation Maps Carload Express, Inc. Valuation Maps Railroad The original maps were created between 1915 and 1920 by icc and railroad. Please visit railroad maps in the cartographic research room for more information on railroad maps held by the national archives. Valuation maps were generally drawn from east to west or south to north. Learn about the icc history, functions, and decisions, and. Find digitized icc valuation maps. Valuation Maps Railroad.
From railroad.net
Patchogue 1918 valuation map Valuation Maps Railroad Find digitized icc valuation maps and documents related to railroads from 1915 to 1995. The original maps were created between 1915 and 1920 by icc and railroad. Valuation maps were generally drawn from east to west or south to north. Please visit railroad maps in the cartographic research room for more information on railroad maps held by the national archives.. Valuation Maps Railroad.
From www.msrailroads.com
Mississippi Rails Valuation Maps Railroad Valuation maps to help evaluate railroad property. This index should be a close to a complete list of valuation sheet numbers actually drawn for the pennsylvania railroad owned properties in this. Learn about the icc history, functions, and decisions, and. Valuation maps were generally drawn from east to west or south to north. Because many lines changed direction along their. Valuation Maps Railroad.
From www.guilfordkeepingsociety.org
Railroad Valuation Maps Valuation Maps Railroad This index should be a close to a complete list of valuation sheet numbers actually drawn for the pennsylvania railroad owned properties in this. Valuation maps to help evaluate railroad property. Valuation maps were generally drawn from east to west or south to north. Find digitized icc valuation maps and documents related to railroads from 1915 to 1995. Please visit. Valuation Maps Railroad.
From www.guilfordkeepingsociety.com
Railroad Valuation Maps Valuation Maps Railroad This index should be a close to a complete list of valuation sheet numbers actually drawn for the pennsylvania railroad owned properties in this. Because many lines changed direction along their route, an. The original maps were created between 1915 and 1920 by icc and railroad. Valuation maps were generally drawn from east to west or south to north. Find. Valuation Maps Railroad.
From gis.lakecountyohio.gov
gis.lakecountyohio.gov /scannedsurveys/Railroad Valuation Maps/NYC Valuation Maps Railroad Valuation maps were generally drawn from east to west or south to north. 136 rows the two main types of valuation office survey records at the national archives are ordnance survey maps (often referred to as ‘plans’) with manuscript annotations, and. Learn about the icc history, functions, and decisions, and. Because many lines changed direction along their route, an. Please. Valuation Maps Railroad.
From www.guilfordkeepingsociety.com
Railroad Valuation Maps Valuation Maps Railroad This index should be a close to a complete list of valuation sheet numbers actually drawn for the pennsylvania railroad owned properties in this. Valuation maps to help evaluate railroad property. Valuation maps were generally drawn from east to west or south to north. Because many lines changed direction along their route, an. Learn about the icc history, functions, and. Valuation Maps Railroad.
From infomapsplus.blogspot.com
Infographics, Maps, Music and More Connecticut Railroad Valuation Maps Valuation Maps Railroad Find digitized icc valuation maps and documents related to railroads from 1915 to 1995. Learn about the icc history, functions, and decisions, and. Please visit railroad maps in the cartographic research room for more information on railroad maps held by the national archives. Because many lines changed direction along their route, an. Valuation maps to help evaluate railroad property. Valuation. Valuation Maps Railroad.
From railsandtrails.com
ICC Valuation Section Index Maps Valuation Maps Railroad The original maps were created between 1915 and 1920 by icc and railroad. 136 rows the two main types of valuation office survey records at the national archives are ordnance survey maps (often referred to as ‘plans’) with manuscript annotations, and. This index should be a close to a complete list of valuation sheet numbers actually drawn for the pennsylvania. Valuation Maps Railroad.
From railsandtrails.com
ICC Valuation Section Index Maps Valuation Maps Railroad Find digitized icc valuation maps and documents related to railroads from 1915 to 1995. 136 rows the two main types of valuation office survey records at the national archives are ordnance survey maps (often referred to as ‘plans’) with manuscript annotations, and. This index should be a close to a complete list of valuation sheet numbers actually drawn for the. Valuation Maps Railroad.
From vtransmaps.vermont.gov
vtransmaps.vermont.gov /railvaluationsheets/Active/Washington Valuation Maps Railroad This index should be a close to a complete list of valuation sheet numbers actually drawn for the pennsylvania railroad owned properties in this. Because many lines changed direction along their route, an. Please visit railroad maps in the cartographic research room for more information on railroad maps held by the national archives. 136 rows the two main types of. Valuation Maps Railroad.
From nmro.org
RutlandRailroad Valuation Map Sample Valuation Maps Railroad Valuation maps to help evaluate railroad property. Learn about the icc history, functions, and decisions, and. This index should be a close to a complete list of valuation sheet numbers actually drawn for the pennsylvania railroad owned properties in this. Valuation maps were generally drawn from east to west or south to north. Please visit railroad maps in the cartographic. Valuation Maps Railroad.
From vtransmaps.vermont.gov
vtransmaps.vermont.gov /railvaluationsheets/Active/Washington Valuation Maps Railroad Find digitized icc valuation maps and documents related to railroads from 1915 to 1995. Because many lines changed direction along their route, an. Valuation maps were generally drawn from east to west or south to north. Please visit railroad maps in the cartographic research room for more information on railroad maps held by the national archives. 136 rows the two. Valuation Maps Railroad.
From gis.lakecountyohio.gov
gis.lakecountyohio.gov /scannedsurveys/Railroad Valuation Maps/Tif files/ Valuation Maps Railroad Valuation maps to help evaluate railroad property. 136 rows the two main types of valuation office survey records at the national archives are ordnance survey maps (often referred to as ‘plans’) with manuscript annotations, and. This index should be a close to a complete list of valuation sheet numbers actually drawn for the pennsylvania railroad owned properties in this. Because. Valuation Maps Railroad.