Bronze Fennel Aphids . Feathery aromatic herb with culinary and medicinal uses. These pests can suck sap from tender leaves and. Small, flat, yellow flowerheads on tall stems appear in summer followed by brown fruits. Can i use bronze fennel as a natural pest repellent? Foliage and fruits are aniseed scented. I currently have a huge infestation of small green aphids. Hello, i grow bronze fennel to attract and feed black swallowtail caterpillars. Often mistaken for dill, foeniculum vulgare 'rubrum' is an upright, branching perennial herb with feathery, finely divided, aromatic, bronze leaves and large, flat umbels of tiny. Video created by laura barth for vegetables, herbs, fruits, and nuts , a plant identification. Fennel was one of the nine sacred curative herbs of medieval times. One of the biggest threats to bronze fennel is pests such as aphids and spider mites. Yes, bronze fennel can help deter certain pests, particularly aphids and.
from stearnsfarmcsa.org
Fennel was one of the nine sacred curative herbs of medieval times. Can i use bronze fennel as a natural pest repellent? Video created by laura barth for vegetables, herbs, fruits, and nuts , a plant identification. I currently have a huge infestation of small green aphids. Small, flat, yellow flowerheads on tall stems appear in summer followed by brown fruits. Often mistaken for dill, foeniculum vulgare 'rubrum' is an upright, branching perennial herb with feathery, finely divided, aromatic, bronze leaves and large, flat umbels of tiny. Hello, i grow bronze fennel to attract and feed black swallowtail caterpillars. Foliage and fruits are aniseed scented. One of the biggest threats to bronze fennel is pests such as aphids and spider mites. These pests can suck sap from tender leaves and.
The Bountiful Bronze Fennel Stearns Farm CSA
Bronze Fennel Aphids Small, flat, yellow flowerheads on tall stems appear in summer followed by brown fruits. Often mistaken for dill, foeniculum vulgare 'rubrum' is an upright, branching perennial herb with feathery, finely divided, aromatic, bronze leaves and large, flat umbels of tiny. Foliage and fruits are aniseed scented. Yes, bronze fennel can help deter certain pests, particularly aphids and. Feathery aromatic herb with culinary and medicinal uses. These pests can suck sap from tender leaves and. One of the biggest threats to bronze fennel is pests such as aphids and spider mites. Hello, i grow bronze fennel to attract and feed black swallowtail caterpillars. I currently have a huge infestation of small green aphids. Can i use bronze fennel as a natural pest repellent? Video created by laura barth for vegetables, herbs, fruits, and nuts , a plant identification. Small, flat, yellow flowerheads on tall stems appear in summer followed by brown fruits. Fennel was one of the nine sacred curative herbs of medieval times.
From www.agefotostock.com
Bronze fennel 'Purpureum' (Foeniculum vulgare), Stock Photo, Picture Bronze Fennel Aphids I currently have a huge infestation of small green aphids. Video created by laura barth for vegetables, herbs, fruits, and nuts , a plant identification. Can i use bronze fennel as a natural pest repellent? Small, flat, yellow flowerheads on tall stems appear in summer followed by brown fruits. Feathery aromatic herb with culinary and medicinal uses. Fennel was one. Bronze Fennel Aphids.
From www.rocketgardens.co.uk
Bronze Fennel Herb Plug Plants Rocket Gardens Bronze Fennel Aphids Often mistaken for dill, foeniculum vulgare 'rubrum' is an upright, branching perennial herb with feathery, finely divided, aromatic, bronze leaves and large, flat umbels of tiny. Can i use bronze fennel as a natural pest repellent? One of the biggest threats to bronze fennel is pests such as aphids and spider mites. Fennel was one of the nine sacred curative. Bronze Fennel Aphids.
From www.edenbrothers.com
Fennel Seeds Smokey Bronze Herb Seeds in Packets & Bulk Eden Brothers Bronze Fennel Aphids Yes, bronze fennel can help deter certain pests, particularly aphids and. These pests can suck sap from tender leaves and. Hello, i grow bronze fennel to attract and feed black swallowtail caterpillars. Video created by laura barth for vegetables, herbs, fruits, and nuts , a plant identification. Small, flat, yellow flowerheads on tall stems appear in summer followed by brown. Bronze Fennel Aphids.
From www.norfolkherbs.co.uk
Fennel, Bronze Foeniculum vulgare 'Purpureum' Buy from Norfolk Herbs Bronze Fennel Aphids Can i use bronze fennel as a natural pest repellent? I currently have a huge infestation of small green aphids. Hello, i grow bronze fennel to attract and feed black swallowtail caterpillars. Often mistaken for dill, foeniculum vulgare 'rubrum' is an upright, branching perennial herb with feathery, finely divided, aromatic, bronze leaves and large, flat umbels of tiny. One of. Bronze Fennel Aphids.
From stearnsfarmcsa.org
The Bountiful Bronze Fennel Stearns Farm CSA Bronze Fennel Aphids I currently have a huge infestation of small green aphids. Yes, bronze fennel can help deter certain pests, particularly aphids and. Fennel was one of the nine sacred curative herbs of medieval times. Foliage and fruits are aniseed scented. Can i use bronze fennel as a natural pest repellent? Hello, i grow bronze fennel to attract and feed black swallowtail. Bronze Fennel Aphids.
From www.agefotostock.com
Bronze fennel 'Purpureum' (Foeniculum vulgare), Stock Photo, Picture Bronze Fennel Aphids Feathery aromatic herb with culinary and medicinal uses. Foliage and fruits are aniseed scented. Hello, i grow bronze fennel to attract and feed black swallowtail caterpillars. Yes, bronze fennel can help deter certain pests, particularly aphids and. These pests can suck sap from tender leaves and. Can i use bronze fennel as a natural pest repellent? One of the biggest. Bronze Fennel Aphids.
From pbase.com
Bronze fennel photo GeneWard photos at Bronze Fennel Aphids Small, flat, yellow flowerheads on tall stems appear in summer followed by brown fruits. Hello, i grow bronze fennel to attract and feed black swallowtail caterpillars. Often mistaken for dill, foeniculum vulgare 'rubrum' is an upright, branching perennial herb with feathery, finely divided, aromatic, bronze leaves and large, flat umbels of tiny. Video created by laura barth for vegetables, herbs,. Bronze Fennel Aphids.
From britishgardenplants.co.uk
Fennel ‘Bronze’ British Garden Plants Bronze Fennel Aphids Fennel was one of the nine sacred curative herbs of medieval times. Foliage and fruits are aniseed scented. Feathery aromatic herb with culinary and medicinal uses. Video created by laura barth for vegetables, herbs, fruits, and nuts , a plant identification. Yes, bronze fennel can help deter certain pests, particularly aphids and. One of the biggest threats to bronze fennel. Bronze Fennel Aphids.
From marksvegplot.blogspot.com
Mark's Veg Plot Bronze Fennel Bronze Fennel Aphids Video created by laura barth for vegetables, herbs, fruits, and nuts , a plant identification. Small, flat, yellow flowerheads on tall stems appear in summer followed by brown fruits. Often mistaken for dill, foeniculum vulgare 'rubrum' is an upright, branching perennial herb with feathery, finely divided, aromatic, bronze leaves and large, flat umbels of tiny. Feathery aromatic herb with culinary. Bronze Fennel Aphids.
From www.pinterest.com
Aphids on bronze leaf fennel to destroy or not to destroy! Discussion Bronze Fennel Aphids Fennel was one of the nine sacred curative herbs of medieval times. Yes, bronze fennel can help deter certain pests, particularly aphids and. Feathery aromatic herb with culinary and medicinal uses. Video created by laura barth for vegetables, herbs, fruits, and nuts , a plant identification. These pests can suck sap from tender leaves and. Hello, i grow bronze fennel. Bronze Fennel Aphids.
From www.forestryimages.org
fennel aphid (Dysaphis foeniculus) Bronze Fennel Aphids Fennel was one of the nine sacred curative herbs of medieval times. Can i use bronze fennel as a natural pest repellent? Video created by laura barth for vegetables, herbs, fruits, and nuts , a plant identification. Yes, bronze fennel can help deter certain pests, particularly aphids and. Small, flat, yellow flowerheads on tall stems appear in summer followed by. Bronze Fennel Aphids.
From www.dreamstime.com
Inflorescences of a Darkleaf Fennel Atropurpureum with Aphids Stock Bronze Fennel Aphids These pests can suck sap from tender leaves and. Can i use bronze fennel as a natural pest repellent? Fennel was one of the nine sacred curative herbs of medieval times. Hello, i grow bronze fennel to attract and feed black swallowtail caterpillars. Often mistaken for dill, foeniculum vulgare 'rubrum' is an upright, branching perennial herb with feathery, finely divided,. Bronze Fennel Aphids.
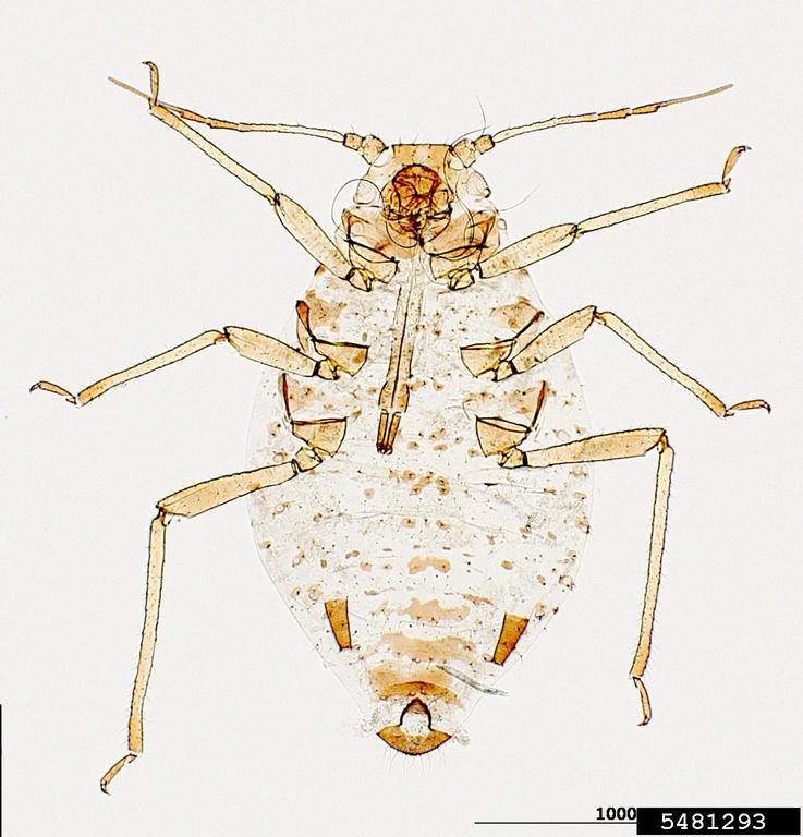
From www.insectimages.org
fennel aphid (Dysaphis foeniculus) Bronze Fennel Aphids Feathery aromatic herb with culinary and medicinal uses. Hello, i grow bronze fennel to attract and feed black swallowtail caterpillars. Video created by laura barth for vegetables, herbs, fruits, and nuts , a plant identification. One of the biggest threats to bronze fennel is pests such as aphids and spider mites. These pests can suck sap from tender leaves and.. Bronze Fennel Aphids.
From www.insectimages.org
fennel aphid (Dysaphis foeniculus) Bronze Fennel Aphids These pests can suck sap from tender leaves and. Hello, i grow bronze fennel to attract and feed black swallowtail caterpillars. Often mistaken for dill, foeniculum vulgare 'rubrum' is an upright, branching perennial herb with feathery, finely divided, aromatic, bronze leaves and large, flat umbels of tiny. I currently have a huge infestation of small green aphids. Foliage and fruits. Bronze Fennel Aphids.
From marksvegplot.blogspot.com
Mark's Veg Plot Bronze Fennel Bronze Fennel Aphids Can i use bronze fennel as a natural pest repellent? Fennel was one of the nine sacred curative herbs of medieval times. These pests can suck sap from tender leaves and. Feathery aromatic herb with culinary and medicinal uses. Yes, bronze fennel can help deter certain pests, particularly aphids and. Small, flat, yellow flowerheads on tall stems appear in summer. Bronze Fennel Aphids.
From www.whiteflowerfarm.com
Bronze Fennel White Flower Farm Bronze Fennel Aphids Yes, bronze fennel can help deter certain pests, particularly aphids and. Feathery aromatic herb with culinary and medicinal uses. Foliage and fruits are aniseed scented. Video created by laura barth for vegetables, herbs, fruits, and nuts , a plant identification. Can i use bronze fennel as a natural pest repellent? One of the biggest threats to bronze fennel is pests. Bronze Fennel Aphids.
From www.thenakedscientists.com
Aphids on fennel Naked Scientists Bronze Fennel Aphids I currently have a huge infestation of small green aphids. Small, flat, yellow flowerheads on tall stems appear in summer followed by brown fruits. Fennel was one of the nine sacred curative herbs of medieval times. Hello, i grow bronze fennel to attract and feed black swallowtail caterpillars. One of the biggest threats to bronze fennel is pests such as. Bronze Fennel Aphids.
From www.southernexposure.com
Fennel, Bronze Bronze Fennel Aphids Small, flat, yellow flowerheads on tall stems appear in summer followed by brown fruits. Video created by laura barth for vegetables, herbs, fruits, and nuts , a plant identification. I currently have a huge infestation of small green aphids. Yes, bronze fennel can help deter certain pests, particularly aphids and. One of the biggest threats to bronze fennel is pests. Bronze Fennel Aphids.
From marksvegplot.blogspot.com
Mark's Veg Plot Bronze Fennel Bronze Fennel Aphids Small, flat, yellow flowerheads on tall stems appear in summer followed by brown fruits. Hello, i grow bronze fennel to attract and feed black swallowtail caterpillars. Yes, bronze fennel can help deter certain pests, particularly aphids and. Often mistaken for dill, foeniculum vulgare 'rubrum' is an upright, branching perennial herb with feathery, finely divided, aromatic, bronze leaves and large, flat. Bronze Fennel Aphids.
From stearnsfarmcsa.org
Bronze Fennel Is Harvest Ready Stearns Farm CSA Bronze Fennel Aphids Foliage and fruits are aniseed scented. Feathery aromatic herb with culinary and medicinal uses. Video created by laura barth for vegetables, herbs, fruits, and nuts , a plant identification. Small, flat, yellow flowerheads on tall stems appear in summer followed by brown fruits. Hello, i grow bronze fennel to attract and feed black swallowtail caterpillars. Yes, bronze fennel can help. Bronze Fennel Aphids.
From www.wilsonbrosgardens.com
Buy Bronze Fennel (Foeniculum vulgare 'Purpureum') FREE SHIPPING Bronze Fennel Aphids Often mistaken for dill, foeniculum vulgare 'rubrum' is an upright, branching perennial herb with feathery, finely divided, aromatic, bronze leaves and large, flat umbels of tiny. Can i use bronze fennel as a natural pest repellent? These pests can suck sap from tender leaves and. I currently have a huge infestation of small green aphids. Small, flat, yellow flowerheads on. Bronze Fennel Aphids.
From www.premierseedsdirect.com
Herb Fennel Bronze Premier Seeds Direct Bronze Fennel Aphids Foliage and fruits are aniseed scented. I currently have a huge infestation of small green aphids. Feathery aromatic herb with culinary and medicinal uses. Yes, bronze fennel can help deter certain pests, particularly aphids and. Fennel was one of the nine sacred curative herbs of medieval times. Small, flat, yellow flowerheads on tall stems appear in summer followed by brown. Bronze Fennel Aphids.
From www.pinterest.com
A flock of bushtits arrived on the bronze fennel just after dawn for a Bronze Fennel Aphids Feathery aromatic herb with culinary and medicinal uses. These pests can suck sap from tender leaves and. Often mistaken for dill, foeniculum vulgare 'rubrum' is an upright, branching perennial herb with feathery, finely divided, aromatic, bronze leaves and large, flat umbels of tiny. Video created by laura barth for vegetables, herbs, fruits, and nuts , a plant identification. Yes, bronze. Bronze Fennel Aphids.
From stearnsfarmcsa.org
The Bountiful Bronze Fennel Stearns Farm CSA Bronze Fennel Aphids One of the biggest threats to bronze fennel is pests such as aphids and spider mites. Fennel was one of the nine sacred curative herbs of medieval times. Yes, bronze fennel can help deter certain pests, particularly aphids and. Hello, i grow bronze fennel to attract and feed black swallowtail caterpillars. Small, flat, yellow flowerheads on tall stems appear in. Bronze Fennel Aphids.
From www.agefotostock.com
Bronze fennel 'Purpureum' (Foeniculum vulgare), Stock Photo, Picture Bronze Fennel Aphids One of the biggest threats to bronze fennel is pests such as aphids and spider mites. Can i use bronze fennel as a natural pest repellent? Small, flat, yellow flowerheads on tall stems appear in summer followed by brown fruits. Feathery aromatic herb with culinary and medicinal uses. Fennel was one of the nine sacred curative herbs of medieval times.. Bronze Fennel Aphids.
From www.thedailygardener.com
How to Plant Fennel in Your Garden (Tricks to Care!) Bronze Fennel Aphids Hello, i grow bronze fennel to attract and feed black swallowtail caterpillars. One of the biggest threats to bronze fennel is pests such as aphids and spider mites. Small, flat, yellow flowerheads on tall stems appear in summer followed by brown fruits. Often mistaken for dill, foeniculum vulgare 'rubrum' is an upright, branching perennial herb with feathery, finely divided, aromatic,. Bronze Fennel Aphids.
From www.plantgoodseed.com
Bronze Fennel Seeds The Plant Good Seed Company Bronze Fennel Aphids Hello, i grow bronze fennel to attract and feed black swallowtail caterpillars. Video created by laura barth for vegetables, herbs, fruits, and nuts , a plant identification. Yes, bronze fennel can help deter certain pests, particularly aphids and. I currently have a huge infestation of small green aphids. These pests can suck sap from tender leaves and. Small, flat, yellow. Bronze Fennel Aphids.
From www.insectimages.org
fennel aphid (Dysaphis foeniculus) Bronze Fennel Aphids Video created by laura barth for vegetables, herbs, fruits, and nuts , a plant identification. Small, flat, yellow flowerheads on tall stems appear in summer followed by brown fruits. These pests can suck sap from tender leaves and. Foliage and fruits are aniseed scented. Fennel was one of the nine sacred curative herbs of medieval times. One of the biggest. Bronze Fennel Aphids.
From www.joyfulbutterfly.com
Bronze Fennel Seeds For Feeding Swallowtail Butterflies! Bronze Fennel Aphids Often mistaken for dill, foeniculum vulgare 'rubrum' is an upright, branching perennial herb with feathery, finely divided, aromatic, bronze leaves and large, flat umbels of tiny. One of the biggest threats to bronze fennel is pests such as aphids and spider mites. These pests can suck sap from tender leaves and. Feathery aromatic herb with culinary and medicinal uses. Foliage. Bronze Fennel Aphids.
From www.dreamstime.com
Inflorescences of a Darkleaf Fennel Atropurpureum with Aphids Stock Bronze Fennel Aphids Can i use bronze fennel as a natural pest repellent? Hello, i grow bronze fennel to attract and feed black swallowtail caterpillars. Fennel was one of the nine sacred curative herbs of medieval times. Small, flat, yellow flowerheads on tall stems appear in summer followed by brown fruits. One of the biggest threats to bronze fennel is pests such as. Bronze Fennel Aphids.
From www.localseeds.com.au
Bronze Fennel Local Seeds Bronze Fennel Aphids Small, flat, yellow flowerheads on tall stems appear in summer followed by brown fruits. One of the biggest threats to bronze fennel is pests such as aphids and spider mites. Foliage and fruits are aniseed scented. I currently have a huge infestation of small green aphids. Often mistaken for dill, foeniculum vulgare 'rubrum' is an upright, branching perennial herb with. Bronze Fennel Aphids.
From medium.com
What’s Bronze Fennel?. Everything you need to know about the… by Eat Bronze Fennel Aphids I currently have a huge infestation of small green aphids. Often mistaken for dill, foeniculum vulgare 'rubrum' is an upright, branching perennial herb with feathery, finely divided, aromatic, bronze leaves and large, flat umbels of tiny. These pests can suck sap from tender leaves and. One of the biggest threats to bronze fennel is pests such as aphids and spider. Bronze Fennel Aphids.
From aplusgardencenter.com
Fennel, Bronze A+ Garden Center Duluth, Minnesota Plants, Trees Bronze Fennel Aphids Yes, bronze fennel can help deter certain pests, particularly aphids and. One of the biggest threats to bronze fennel is pests such as aphids and spider mites. Feathery aromatic herb with culinary and medicinal uses. Small, flat, yellow flowerheads on tall stems appear in summer followed by brown fruits. Foliage and fruits are aniseed scented. Video created by laura barth. Bronze Fennel Aphids.
From chefsfarm.nl
BRONZE FENNEL Chef's Farm Bronze Fennel Aphids Foliage and fruits are aniseed scented. Fennel was one of the nine sacred curative herbs of medieval times. Feathery aromatic herb with culinary and medicinal uses. Can i use bronze fennel as a natural pest repellent? Hello, i grow bronze fennel to attract and feed black swallowtail caterpillars. I currently have a huge infestation of small green aphids. Small, flat,. Bronze Fennel Aphids.
From www.insectimages.org
fennel aphid (Dysaphis foeniculus) Bronze Fennel Aphids Feathery aromatic herb with culinary and medicinal uses. Hello, i grow bronze fennel to attract and feed black swallowtail caterpillars. Small, flat, yellow flowerheads on tall stems appear in summer followed by brown fruits. Yes, bronze fennel can help deter certain pests, particularly aphids and. One of the biggest threats to bronze fennel is pests such as aphids and spider. Bronze Fennel Aphids.