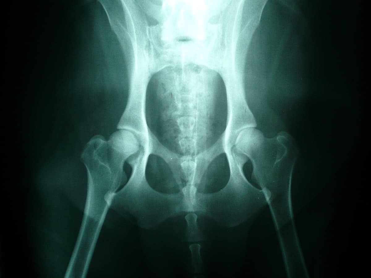
Can Hip Dysplasia Cause Knee Pain In Dogs . your dog’s lifestyle can affect the degree of pain. Working dogs may exhibit more pain than less active house pets. if you suspect your dog has hip dysplasia, see your veterinarian for proper diagnosis. hip dysplasia is a common inherited disease in dogs. This causes unusual wear and tear on. but when a dog suffers from hip dysplasia, the ball and socket elements that make up their hip joint rub and grind unpleasantly. It can be very painful and can cause other conditions, such as arthritis. dysplasia (meaning ‘abnormality of development’) is when a dog’s hip joint grows abnormally. Germai what is hip dysplasia in dogs? hip dysplasia in dogs is a developmental disorder caused by a loose hip joint, which can be painful for your dog.
from pawsaday.com
This causes unusual wear and tear on. Working dogs may exhibit more pain than less active house pets. if you suspect your dog has hip dysplasia, see your veterinarian for proper diagnosis. dysplasia (meaning ‘abnormality of development’) is when a dog’s hip joint grows abnormally. hip dysplasia is a common inherited disease in dogs. It can be very painful and can cause other conditions, such as arthritis. your dog’s lifestyle can affect the degree of pain. but when a dog suffers from hip dysplasia, the ball and socket elements that make up their hip joint rub and grind unpleasantly. Germai what is hip dysplasia in dogs? hip dysplasia in dogs is a developmental disorder caused by a loose hip joint, which can be painful for your dog.
Hip Dysplasia in Dogs What You Should Know to Prevent
Can Hip Dysplasia Cause Knee Pain In Dogs hip dysplasia in dogs is a developmental disorder caused by a loose hip joint, which can be painful for your dog. but when a dog suffers from hip dysplasia, the ball and socket elements that make up their hip joint rub and grind unpleasantly. dysplasia (meaning ‘abnormality of development’) is when a dog’s hip joint grows abnormally. your dog’s lifestyle can affect the degree of pain. Germai what is hip dysplasia in dogs? This causes unusual wear and tear on. hip dysplasia in dogs is a developmental disorder caused by a loose hip joint, which can be painful for your dog. Working dogs may exhibit more pain than less active house pets. if you suspect your dog has hip dysplasia, see your veterinarian for proper diagnosis. It can be very painful and can cause other conditions, such as arthritis. hip dysplasia is a common inherited disease in dogs.
From pethelpful.com
A Simple Guide to Hip Dysplasia in Dogs PetHelpful Can Hip Dysplasia Cause Knee Pain In Dogs dysplasia (meaning ‘abnormality of development’) is when a dog’s hip joint grows abnormally. hip dysplasia in dogs is a developmental disorder caused by a loose hip joint, which can be painful for your dog. if you suspect your dog has hip dysplasia, see your veterinarian for proper diagnosis. but when a dog suffers from hip dysplasia,. Can Hip Dysplasia Cause Knee Pain In Dogs.
From www.globalvetspecialists.org
Hip Dysplasia Is My Pet in Pain? Global Vet Blog Can Hip Dysplasia Cause Knee Pain In Dogs It can be very painful and can cause other conditions, such as arthritis. dysplasia (meaning ‘abnormality of development’) is when a dog’s hip joint grows abnormally. This causes unusual wear and tear on. Germai what is hip dysplasia in dogs? hip dysplasia is a common inherited disease in dogs. hip dysplasia in dogs is a developmental disorder. Can Hip Dysplasia Cause Knee Pain In Dogs.
From thehappypuppysite.com
Hip Dysplasia In Dogs The Happy Puppy Site Can Hip Dysplasia Cause Knee Pain In Dogs This causes unusual wear and tear on. but when a dog suffers from hip dysplasia, the ball and socket elements that make up their hip joint rub and grind unpleasantly. Working dogs may exhibit more pain than less active house pets. hip dysplasia in dogs is a developmental disorder caused by a loose hip joint, which can be. Can Hip Dysplasia Cause Knee Pain In Dogs.
From pethelpful.com
How to Tell If Your Dog Has Hip Dysplasia PetHelpful By fellow Can Hip Dysplasia Cause Knee Pain In Dogs Working dogs may exhibit more pain than less active house pets. hip dysplasia in dogs is a developmental disorder caused by a loose hip joint, which can be painful for your dog. dysplasia (meaning ‘abnormality of development’) is when a dog’s hip joint grows abnormally. It can be very painful and can cause other conditions, such as arthritis.. Can Hip Dysplasia Cause Knee Pain In Dogs.
From www.greatpetcare.com
Hip Dysplasia in Dogs Great Pet Care Can Hip Dysplasia Cause Knee Pain In Dogs your dog’s lifestyle can affect the degree of pain. It can be very painful and can cause other conditions, such as arthritis. if you suspect your dog has hip dysplasia, see your veterinarian for proper diagnosis. but when a dog suffers from hip dysplasia, the ball and socket elements that make up their hip joint rub and. Can Hip Dysplasia Cause Knee Pain In Dogs.
From www.artofit.org
How to help a dog with hip dysplasia Artofit Can Hip Dysplasia Cause Knee Pain In Dogs It can be very painful and can cause other conditions, such as arthritis. hip dysplasia in dogs is a developmental disorder caused by a loose hip joint, which can be painful for your dog. dysplasia (meaning ‘abnormality of development’) is when a dog’s hip joint grows abnormally. your dog’s lifestyle can affect the degree of pain. . Can Hip Dysplasia Cause Knee Pain In Dogs.
From poodlemixworld.com
What Causes Hip Dysplasia In Dogs And Hip Scores Explained Can Hip Dysplasia Cause Knee Pain In Dogs hip dysplasia in dogs is a developmental disorder caused by a loose hip joint, which can be painful for your dog. hip dysplasia is a common inherited disease in dogs. if you suspect your dog has hip dysplasia, see your veterinarian for proper diagnosis. but when a dog suffers from hip dysplasia, the ball and socket. Can Hip Dysplasia Cause Knee Pain In Dogs.
From www.fitzpatrickreferrals.co.uk
Hip dysplasia Fitzpatrick Referrals Can Hip Dysplasia Cause Knee Pain In Dogs if you suspect your dog has hip dysplasia, see your veterinarian for proper diagnosis. your dog’s lifestyle can affect the degree of pain. dysplasia (meaning ‘abnormality of development’) is when a dog’s hip joint grows abnormally. Germai what is hip dysplasia in dogs? This causes unusual wear and tear on. hip dysplasia is a common inherited. Can Hip Dysplasia Cause Knee Pain In Dogs.
From www.youtube.com
How to treat dog hip dysplasia at home? how to cure hip dysplasia in Can Hip Dysplasia Cause Knee Pain In Dogs It can be very painful and can cause other conditions, such as arthritis. your dog’s lifestyle can affect the degree of pain. if you suspect your dog has hip dysplasia, see your veterinarian for proper diagnosis. This causes unusual wear and tear on. Working dogs may exhibit more pain than less active house pets. hip dysplasia is. Can Hip Dysplasia Cause Knee Pain In Dogs.
From www.globalvetspecialists.org
Hip Dysplasia and Its Causes Global Vet Blog Can Hip Dysplasia Cause Knee Pain In Dogs hip dysplasia in dogs is a developmental disorder caused by a loose hip joint, which can be painful for your dog. but when a dog suffers from hip dysplasia, the ball and socket elements that make up their hip joint rub and grind unpleasantly. It can be very painful and can cause other conditions, such as arthritis. . Can Hip Dysplasia Cause Knee Pain In Dogs.
From graceveterinary.com
Hip Dysplasia in Dogs · Grace Veterinary Services Can Hip Dysplasia Cause Knee Pain In Dogs Working dogs may exhibit more pain than less active house pets. Germai what is hip dysplasia in dogs? your dog’s lifestyle can affect the degree of pain. It can be very painful and can cause other conditions, such as arthritis. This causes unusual wear and tear on. hip dysplasia in dogs is a developmental disorder caused by a. Can Hip Dysplasia Cause Knee Pain In Dogs.
From exynilbtd.blob.core.windows.net
Can Injury Cause Hip Dysplasia In Dogs at Jeffrey Gonzalez blog Can Hip Dysplasia Cause Knee Pain In Dogs Working dogs may exhibit more pain than less active house pets. dysplasia (meaning ‘abnormality of development’) is when a dog’s hip joint grows abnormally. It can be very painful and can cause other conditions, such as arthritis. This causes unusual wear and tear on. your dog’s lifestyle can affect the degree of pain. but when a dog. Can Hip Dysplasia Cause Knee Pain In Dogs.
From animalia-life.club
How Early Can Hip Dysplasia Be Detected In Dogs Can Hip Dysplasia Cause Knee Pain In Dogs hip dysplasia is a common inherited disease in dogs. Germai what is hip dysplasia in dogs? but when a dog suffers from hip dysplasia, the ball and socket elements that make up their hip joint rub and grind unpleasantly. Working dogs may exhibit more pain than less active house pets. This causes unusual wear and tear on. It. Can Hip Dysplasia Cause Knee Pain In Dogs.
From atlantic-points.com
How to Treat Hip Dysplasia in Dogs With Acupressure? Atlantic Points Can Hip Dysplasia Cause Knee Pain In Dogs if you suspect your dog has hip dysplasia, see your veterinarian for proper diagnosis. Germai what is hip dysplasia in dogs? your dog’s lifestyle can affect the degree of pain. It can be very painful and can cause other conditions, such as arthritis. dysplasia (meaning ‘abnormality of development’) is when a dog’s hip joint grows abnormally. . Can Hip Dysplasia Cause Knee Pain In Dogs.
From myvetanimalhospital.com.au
Hip Dysplasia What You Need To Know My Vet Animal Hospital Can Hip Dysplasia Cause Knee Pain In Dogs but when a dog suffers from hip dysplasia, the ball and socket elements that make up their hip joint rub and grind unpleasantly. It can be very painful and can cause other conditions, such as arthritis. hip dysplasia is a common inherited disease in dogs. This causes unusual wear and tear on. your dog’s lifestyle can affect. Can Hip Dysplasia Cause Knee Pain In Dogs.
From butterwickanimalrehab.co.uk
Hip Dysplasia in dogs Butterwick Animal Rehab Clinic Can Hip Dysplasia Cause Knee Pain In Dogs This causes unusual wear and tear on. hip dysplasia is a common inherited disease in dogs. Germai what is hip dysplasia in dogs? your dog’s lifestyle can affect the degree of pain. hip dysplasia in dogs is a developmental disorder caused by a loose hip joint, which can be painful for your dog. but when a. Can Hip Dysplasia Cause Knee Pain In Dogs.
From vetic.in
Hip Dysplasia in Dogs Does Your Pupper Have it? Can Hip Dysplasia Cause Knee Pain In Dogs your dog’s lifestyle can affect the degree of pain. dysplasia (meaning ‘abnormality of development’) is when a dog’s hip joint grows abnormally. This causes unusual wear and tear on. Germai what is hip dysplasia in dogs? Working dogs may exhibit more pain than less active house pets. if you suspect your dog has hip dysplasia, see your. Can Hip Dysplasia Cause Knee Pain In Dogs.
From pawsandmorevet.com.au
Dog Hip Dysplasia Everything You Need to Know Paws and More Vet Can Hip Dysplasia Cause Knee Pain In Dogs This causes unusual wear and tear on. dysplasia (meaning ‘abnormality of development’) is when a dog’s hip joint grows abnormally. It can be very painful and can cause other conditions, such as arthritis. if you suspect your dog has hip dysplasia, see your veterinarian for proper diagnosis. Germai what is hip dysplasia in dogs? hip dysplasia in. Can Hip Dysplasia Cause Knee Pain In Dogs.
From animalso.com
Unilateral Hip Dysplasia in Dogs (Nutrition, Excercise, and Pain Relief Can Hip Dysplasia Cause Knee Pain In Dogs hip dysplasia is a common inherited disease in dogs. hip dysplasia in dogs is a developmental disorder caused by a loose hip joint, which can be painful for your dog. Germai what is hip dysplasia in dogs? your dog’s lifestyle can affect the degree of pain. but when a dog suffers from hip dysplasia, the ball. Can Hip Dysplasia Cause Knee Pain In Dogs.
From www.yourvetonline.com
Hip Dysplasia In Dogs Causes, Symptoms, Treatment Your Vet Online Can Hip Dysplasia Cause Knee Pain In Dogs This causes unusual wear and tear on. hip dysplasia in dogs is a developmental disorder caused by a loose hip joint, which can be painful for your dog. Working dogs may exhibit more pain than less active house pets. dysplasia (meaning ‘abnormality of development’) is when a dog’s hip joint grows abnormally. if you suspect your dog. Can Hip Dysplasia Cause Knee Pain In Dogs.
From www.petietec.com
Dog Hip Dysplasia Causes, Signs and Treatments PetieTec Can Hip Dysplasia Cause Knee Pain In Dogs dysplasia (meaning ‘abnormality of development’) is when a dog’s hip joint grows abnormally. Germai what is hip dysplasia in dogs? your dog’s lifestyle can affect the degree of pain. This causes unusual wear and tear on. hip dysplasia in dogs is a developmental disorder caused by a loose hip joint, which can be painful for your dog.. Can Hip Dysplasia Cause Knee Pain In Dogs.
From myhipdysplasiaindogs.com
Hip Dysplasia in Dogs and Stairs What You Need to Know Hip Dysplasia Can Hip Dysplasia Cause Knee Pain In Dogs your dog’s lifestyle can affect the degree of pain. dysplasia (meaning ‘abnormality of development’) is when a dog’s hip joint grows abnormally. This causes unusual wear and tear on. hip dysplasia is a common inherited disease in dogs. Working dogs may exhibit more pain than less active house pets. but when a dog suffers from hip. Can Hip Dysplasia Cause Knee Pain In Dogs.
From www.caninejournal.com
Canine Hip Dysplasia Signs, Symptoms, Prevention, Treatment, End Stage Can Hip Dysplasia Cause Knee Pain In Dogs if you suspect your dog has hip dysplasia, see your veterinarian for proper diagnosis. dysplasia (meaning ‘abnormality of development’) is when a dog’s hip joint grows abnormally. hip dysplasia in dogs is a developmental disorder caused by a loose hip joint, which can be painful for your dog. hip dysplasia is a common inherited disease in. Can Hip Dysplasia Cause Knee Pain In Dogs.
From www.petietec.com
German Shepherd Hip Dysplasia Signs and Treatments petietec Can Hip Dysplasia Cause Knee Pain In Dogs hip dysplasia in dogs is a developmental disorder caused by a loose hip joint, which can be painful for your dog. Germai what is hip dysplasia in dogs? dysplasia (meaning ‘abnormality of development’) is when a dog’s hip joint grows abnormally. Working dogs may exhibit more pain than less active house pets. your dog’s lifestyle can affect. Can Hip Dysplasia Cause Knee Pain In Dogs.
From animalia-life.club
Can Hip Dysplasia In Dogs Cause Death Can Hip Dysplasia Cause Knee Pain In Dogs but when a dog suffers from hip dysplasia, the ball and socket elements that make up their hip joint rub and grind unpleasantly. dysplasia (meaning ‘abnormality of development’) is when a dog’s hip joint grows abnormally. Working dogs may exhibit more pain than less active house pets. hip dysplasia in dogs is a developmental disorder caused by. Can Hip Dysplasia Cause Knee Pain In Dogs.
From www.k9web.com
What to know and how to deal with Hip Dysplasia in dogs K9 Can Hip Dysplasia Cause Knee Pain In Dogs It can be very painful and can cause other conditions, such as arthritis. dysplasia (meaning ‘abnormality of development’) is when a dog’s hip joint grows abnormally. your dog’s lifestyle can affect the degree of pain. if you suspect your dog has hip dysplasia, see your veterinarian for proper diagnosis. Germai what is hip dysplasia in dogs? . Can Hip Dysplasia Cause Knee Pain In Dogs.
From blog.parnell.com
What You Need to Know about Hip Dysplasia in Dogs Can Hip Dysplasia Cause Knee Pain In Dogs Working dogs may exhibit more pain than less active house pets. dysplasia (meaning ‘abnormality of development’) is when a dog’s hip joint grows abnormally. It can be very painful and can cause other conditions, such as arthritis. your dog’s lifestyle can affect the degree of pain. hip dysplasia is a common inherited disease in dogs. if. Can Hip Dysplasia Cause Knee Pain In Dogs.
From animalso.com
Unilateral Hip Dysplasia in Dogs (Nutrition, Excercise, and Pain Relief Can Hip Dysplasia Cause Knee Pain In Dogs hip dysplasia in dogs is a developmental disorder caused by a loose hip joint, which can be painful for your dog. Working dogs may exhibit more pain than less active house pets. dysplasia (meaning ‘abnormality of development’) is when a dog’s hip joint grows abnormally. This causes unusual wear and tear on. but when a dog suffers. Can Hip Dysplasia Cause Knee Pain In Dogs.
From k9-kare.com
Hip Dysplasia in Dogs Causes, Symptoms, and Treatment Can Hip Dysplasia Cause Knee Pain In Dogs Germai what is hip dysplasia in dogs? dysplasia (meaning ‘abnormality of development’) is when a dog’s hip joint grows abnormally. hip dysplasia in dogs is a developmental disorder caused by a loose hip joint, which can be painful for your dog. your dog’s lifestyle can affect the degree of pain. It can be very painful and can. Can Hip Dysplasia Cause Knee Pain In Dogs.
From www.dogzone.com.au
Hip Dysplasia in Dogs DogZone Australia Can Hip Dysplasia Cause Knee Pain In Dogs It can be very painful and can cause other conditions, such as arthritis. your dog’s lifestyle can affect the degree of pain. Germai what is hip dysplasia in dogs? Working dogs may exhibit more pain than less active house pets. This causes unusual wear and tear on. if you suspect your dog has hip dysplasia, see your veterinarian. Can Hip Dysplasia Cause Knee Pain In Dogs.
From www.petnewslive.com
Hip Dysplasia in Dogs VetVid Dog Care Video Pet News Live Can Hip Dysplasia Cause Knee Pain In Dogs if you suspect your dog has hip dysplasia, see your veterinarian for proper diagnosis. This causes unusual wear and tear on. Germai what is hip dysplasia in dogs? dysplasia (meaning ‘abnormality of development’) is when a dog’s hip joint grows abnormally. hip dysplasia in dogs is a developmental disorder caused by a loose hip joint, which can. Can Hip Dysplasia Cause Knee Pain In Dogs.
From germanshepherdcountry.com
Canine Hip Dysplasia Facts and Symptoms German Shepherd Country Can Hip Dysplasia Cause Knee Pain In Dogs This causes unusual wear and tear on. Working dogs may exhibit more pain than less active house pets. your dog’s lifestyle can affect the degree of pain. hip dysplasia is a common inherited disease in dogs. dysplasia (meaning ‘abnormality of development’) is when a dog’s hip joint grows abnormally. It can be very painful and can cause. Can Hip Dysplasia Cause Knee Pain In Dogs.
From www.sfmc.zoetispetcare.com
Recognizing the Signs of Hip Dysplasia in Dogs Zoetis Petcare Can Hip Dysplasia Cause Knee Pain In Dogs but when a dog suffers from hip dysplasia, the ball and socket elements that make up their hip joint rub and grind unpleasantly. Germai what is hip dysplasia in dogs? hip dysplasia is a common inherited disease in dogs. It can be very painful and can cause other conditions, such as arthritis. if you suspect your dog. Can Hip Dysplasia Cause Knee Pain In Dogs.
From www.handicappedpets.com
Caring for a Dog With Hip Dysplasia Canine Hip Dysplasia Can Hip Dysplasia Cause Knee Pain In Dogs dysplasia (meaning ‘abnormality of development’) is when a dog’s hip joint grows abnormally. Working dogs may exhibit more pain than less active house pets. hip dysplasia is a common inherited disease in dogs. if you suspect your dog has hip dysplasia, see your veterinarian for proper diagnosis. your dog’s lifestyle can affect the degree of pain.. Can Hip Dysplasia Cause Knee Pain In Dogs.
From pawsaday.com
Hip Dysplasia in Dogs What You Should Know to Prevent Can Hip Dysplasia Cause Knee Pain In Dogs if you suspect your dog has hip dysplasia, see your veterinarian for proper diagnosis. It can be very painful and can cause other conditions, such as arthritis. This causes unusual wear and tear on. your dog’s lifestyle can affect the degree of pain. hip dysplasia in dogs is a developmental disorder caused by a loose hip joint,. Can Hip Dysplasia Cause Knee Pain In Dogs.