Easiest Fruit To Grow In Sc . Discover optimal care tips for successful growth and a bountiful harvest. Apple trees thrive in south carolina’s cold spring and cooler fall months. Learn about climate, soil, maintenance tips, and harvesting. These fruits thrive in the state’s. Get insights on what fruit trees flourish in south carolina's climate. Unlike other fruits, flowers, and fruit. Learn about local favorites like peaches and apples, interesting citrus types, berry bush varieties, and exotic offerings like avocado and loquat trees. From peaches to figs, we've got you covered with expert tips and advice. Some popular fruits grown in south carolina include peaches, strawberries, blueberries, and watermelon. Discover the best fruit trees to grow in south carolina's ideal climate! This article explores popular varieties like peaches, figs,. Discover the best fruit trees to grow in south carolina! Discover the perfect fruit trees for a thriving orchard in south carolina! In this blog post, we’ll explore the basics of planting fruit trees in south carolina, including the ideal time to plant, the best varieties to choose, and the essential care.
from www.wikihow.life
From peaches to figs, we've got you covered with expert tips and advice. Unlike other fruits, flowers, and fruit. This article explores popular varieties like peaches, figs,. Some popular fruits grown in south carolina include peaches, strawberries, blueberries, and watermelon. Discover the perfect fruit trees for a thriving orchard in south carolina! In this blog post, we’ll explore the basics of planting fruit trees in south carolina, including the ideal time to plant, the best varieties to choose, and the essential care. Discover the best fruit trees to grow in south carolina! These fruits thrive in the state’s. Discover optimal care tips for successful growth and a bountiful harvest. Get insights on what fruit trees flourish in south carolina's climate.
12 Fruits to Grow at Home Easy and BeginnerFriendly Picks
Easiest Fruit To Grow In Sc Get insights on what fruit trees flourish in south carolina's climate. Discover the best fruit trees to grow in south carolina! Discover the perfect fruit trees for a thriving orchard in south carolina! Discover the best fruit trees to grow in south carolina's ideal climate! This article explores popular varieties like peaches, figs,. Apple trees thrive in south carolina’s cold spring and cooler fall months. From peaches to figs, we've got you covered with expert tips and advice. Discover optimal care tips for successful growth and a bountiful harvest. Learn about climate, soil, maintenance tips, and harvesting. In this blog post, we’ll explore the basics of planting fruit trees in south carolina, including the ideal time to plant, the best varieties to choose, and the essential care. Some popular fruits grown in south carolina include peaches, strawberries, blueberries, and watermelon. Learn about local favorites like peaches and apples, interesting citrus types, berry bush varieties, and exotic offerings like avocado and loquat trees. Get insights on what fruit trees flourish in south carolina's climate. Unlike other fruits, flowers, and fruit. These fruits thrive in the state’s.
From www.pinterest.com
Easy Fruit to Grow in 2022 Fruit, Growing fruit, Winter fruit Easiest Fruit To Grow In Sc This article explores popular varieties like peaches, figs,. Unlike other fruits, flowers, and fruit. Apple trees thrive in south carolina’s cold spring and cooler fall months. Some popular fruits grown in south carolina include peaches, strawberries, blueberries, and watermelon. Discover optimal care tips for successful growth and a bountiful harvest. Learn about local favorites like peaches and apples, interesting citrus. Easiest Fruit To Grow In Sc.
From renovated.com
15 Easiest Fruits to Grow in Your Garden Renovated Easiest Fruit To Grow In Sc These fruits thrive in the state’s. Unlike other fruits, flowers, and fruit. Discover the best fruit trees to grow in south carolina's ideal climate! From peaches to figs, we've got you covered with expert tips and advice. Discover optimal care tips for successful growth and a bountiful harvest. Get insights on what fruit trees flourish in south carolina's climate. Discover. Easiest Fruit To Grow In Sc.
From lulubloom.com
Lulu Bloom Top 10 Easiest Fruits To Grow In Your Garden Easiest Fruit To Grow In Sc This article explores popular varieties like peaches, figs,. Learn about local favorites like peaches and apples, interesting citrus types, berry bush varieties, and exotic offerings like avocado and loquat trees. These fruits thrive in the state’s. In this blog post, we’ll explore the basics of planting fruit trees in south carolina, including the ideal time to plant, the best varieties. Easiest Fruit To Grow In Sc.
From www.diyncrafts.com
20 Easiest Fruits Anyone Can Grow [BeginnerFriendly Ideas] DIY & Crafts Easiest Fruit To Grow In Sc These fruits thrive in the state’s. Some popular fruits grown in south carolina include peaches, strawberries, blueberries, and watermelon. Discover the perfect fruit trees for a thriving orchard in south carolina! Apple trees thrive in south carolina’s cold spring and cooler fall months. Discover optimal care tips for successful growth and a bountiful harvest. Discover the best fruit trees to. Easiest Fruit To Grow In Sc.
From fruitsgardener.com
Best 11 Easy Fruits to Grow in Pots And Provide You Good Harvest Easiest Fruit To Grow In Sc Get insights on what fruit trees flourish in south carolina's climate. Unlike other fruits, flowers, and fruit. This article explores popular varieties like peaches, figs,. Discover the best fruit trees to grow in south carolina! Discover the best fruit trees to grow in south carolina's ideal climate! Learn about local favorites like peaches and apples, interesting citrus types, berry bush. Easiest Fruit To Grow In Sc.
From www.diyncrafts.com
20 Easiest Fruits Anyone Can Grow [BeginnerFriendly Ideas] DIY & Crafts Easiest Fruit To Grow In Sc Discover the best fruit trees to grow in south carolina's ideal climate! Unlike other fruits, flowers, and fruit. Discover the best fruit trees to grow in south carolina! From peaches to figs, we've got you covered with expert tips and advice. Some popular fruits grown in south carolina include peaches, strawberries, blueberries, and watermelon. Discover optimal care tips for successful. Easiest Fruit To Grow In Sc.
From thegardeningdad.com
11 BEST Fruit Trees to Grow in South Carolina (2023 Guide) The Easiest Fruit To Grow In Sc Apple trees thrive in south carolina’s cold spring and cooler fall months. Get insights on what fruit trees flourish in south carolina's climate. Discover the best fruit trees to grow in south carolina's ideal climate! Learn about climate, soil, maintenance tips, and harvesting. From peaches to figs, we've got you covered with expert tips and advice. Some popular fruits grown. Easiest Fruit To Grow In Sc.
From www.thespruce.com
9 Best Fruit Plants to Grow in Your Garden Easiest Fruit To Grow In Sc From peaches to figs, we've got you covered with expert tips and advice. Learn about local favorites like peaches and apples, interesting citrus types, berry bush varieties, and exotic offerings like avocado and loquat trees. Discover the best fruit trees to grow in south carolina! This article explores popular varieties like peaches, figs,. In this blog post, we’ll explore the. Easiest Fruit To Grow In Sc.
From tasteandcraze.com
20 Easiest Fruits to Grow Beginner Friendly Ideas • TasteAndCraze Easiest Fruit To Grow In Sc Discover the perfect fruit trees for a thriving orchard in south carolina! Some popular fruits grown in south carolina include peaches, strawberries, blueberries, and watermelon. Discover the best fruit trees to grow in south carolina! Discover the best fruit trees to grow in south carolina's ideal climate! Unlike other fruits, flowers, and fruit. Learn about local favorites like peaches and. Easiest Fruit To Grow In Sc.
From tasteandcraze.com
20 Easiest Fruits to Grow Beginner Friendly Ideas • TasteAndCraze Easiest Fruit To Grow In Sc In this blog post, we’ll explore the basics of planting fruit trees in south carolina, including the ideal time to plant, the best varieties to choose, and the essential care. Learn about climate, soil, maintenance tips, and harvesting. This article explores popular varieties like peaches, figs,. Discover the best fruit trees to grow in south carolina's ideal climate! Discover the. Easiest Fruit To Grow In Sc.
From www.youtube.com
Best 5 Fruit Tree, Plants fruits to grow in garden easy fruits to Easiest Fruit To Grow In Sc Learn about local favorites like peaches and apples, interesting citrus types, berry bush varieties, and exotic offerings like avocado and loquat trees. This article explores popular varieties like peaches, figs,. In this blog post, we’ll explore the basics of planting fruit trees in south carolina, including the ideal time to plant, the best varieties to choose, and the essential care.. Easiest Fruit To Grow In Sc.
From thenaturalfestival.com
5 Easy To Grow Fruits! Garden Tips and Tricks Happily Natural Easiest Fruit To Grow In Sc Unlike other fruits, flowers, and fruit. This article explores popular varieties like peaches, figs,. Get insights on what fruit trees flourish in south carolina's climate. Some popular fruits grown in south carolina include peaches, strawberries, blueberries, and watermelon. Discover the best fruit trees to grow in south carolina's ideal climate! Learn about local favorites like peaches and apples, interesting citrus. Easiest Fruit To Grow In Sc.
From www.diyncrafts.com
20 Easiest Fruits Anyone Can Grow [BeginnerFriendly Ideas] DIY & Crafts Easiest Fruit To Grow In Sc These fruits thrive in the state’s. Some popular fruits grown in south carolina include peaches, strawberries, blueberries, and watermelon. Unlike other fruits, flowers, and fruit. Discover optimal care tips for successful growth and a bountiful harvest. Discover the best fruit trees to grow in south carolina! Discover the best fruit trees to grow in south carolina's ideal climate! Learn about. Easiest Fruit To Grow In Sc.
From www.thompson-morgan.com
Top 10 Easy To Grow Fruit Trees & Plants Thompson & Easiest Fruit To Grow In Sc In this blog post, we’ll explore the basics of planting fruit trees in south carolina, including the ideal time to plant, the best varieties to choose, and the essential care. Unlike other fruits, flowers, and fruit. These fruits thrive in the state’s. Discover the perfect fruit trees for a thriving orchard in south carolina! Apple trees thrive in south carolina’s. Easiest Fruit To Grow In Sc.
From smenews.org
No! 20 Easiest Fruits Anyone Can Grow {Beginner Friendly Ideas} • 19/08 Easiest Fruit To Grow In Sc This article explores popular varieties like peaches, figs,. In this blog post, we’ll explore the basics of planting fruit trees in south carolina, including the ideal time to plant, the best varieties to choose, and the essential care. Apple trees thrive in south carolina’s cold spring and cooler fall months. Discover the perfect fruit trees for a thriving orchard in. Easiest Fruit To Grow In Sc.
From www.diyncrafts.com
20 Easiest Fruits Anyone Can Grow [BeginnerFriendly Ideas] DIY & Crafts Easiest Fruit To Grow In Sc Get insights on what fruit trees flourish in south carolina's climate. From peaches to figs, we've got you covered with expert tips and advice. These fruits thrive in the state’s. This article explores popular varieties like peaches, figs,. In this blog post, we’ll explore the basics of planting fruit trees in south carolina, including the ideal time to plant, the. Easiest Fruit To Grow In Sc.
From www.pinterest.com.au
10 Easy Fruit Trees To Grow In Containers Fruit trees, Fast growing Easiest Fruit To Grow In Sc These fruits thrive in the state’s. Learn about climate, soil, maintenance tips, and harvesting. Discover the perfect fruit trees for a thriving orchard in south carolina! Some popular fruits grown in south carolina include peaches, strawberries, blueberries, and watermelon. Unlike other fruits, flowers, and fruit. Apple trees thrive in south carolina’s cold spring and cooler fall months. Learn about local. Easiest Fruit To Grow In Sc.
From foodgardening.mequoda.com
15 Easiest Fruits to Grow at Home Food Gardening Network Easiest Fruit To Grow In Sc Learn about climate, soil, maintenance tips, and harvesting. Some popular fruits grown in south carolina include peaches, strawberries, blueberries, and watermelon. Discover the perfect fruit trees for a thriving orchard in south carolina! In this blog post, we’ll explore the basics of planting fruit trees in south carolina, including the ideal time to plant, the best varieties to choose, and. Easiest Fruit To Grow In Sc.
From www.plantmegreen.com
Top 5 EasyToGrow Fruit Trees for Beginners Easiest Fruit To Grow In Sc Get insights on what fruit trees flourish in south carolina's climate. These fruits thrive in the state’s. Discover the perfect fruit trees for a thriving orchard in south carolina! Unlike other fruits, flowers, and fruit. Discover the best fruit trees to grow in south carolina's ideal climate! In this blog post, we’ll explore the basics of planting fruit trees in. Easiest Fruit To Grow In Sc.
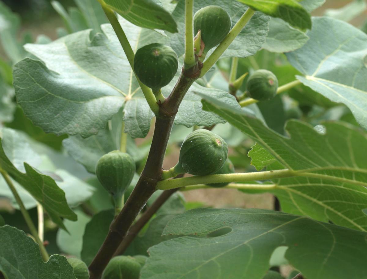
From www.postandcourier.com
Fig trees one of easiest fruits to grow in South Home and Garden Easiest Fruit To Grow In Sc These fruits thrive in the state’s. Some popular fruits grown in south carolina include peaches, strawberries, blueberries, and watermelon. Discover the best fruit trees to grow in south carolina! From peaches to figs, we've got you covered with expert tips and advice. Apple trees thrive in south carolina’s cold spring and cooler fall months. Get insights on what fruit trees. Easiest Fruit To Grow In Sc.
From www.gardeningchannel.com
12 Easiest Fruits to Grow in a Home Garden Gardening Channel Easiest Fruit To Grow In Sc Some popular fruits grown in south carolina include peaches, strawberries, blueberries, and watermelon. Discover the best fruit trees to grow in south carolina! Learn about climate, soil, maintenance tips, and harvesting. Apple trees thrive in south carolina’s cold spring and cooler fall months. Discover optimal care tips for successful growth and a bountiful harvest. Learn about local favorites like peaches. Easiest Fruit To Grow In Sc.
From gardeningmesh.blogspot.com
8 Best Fruits You Can Easily Grow in Garden Easiest Fruit To Grow In Sc Some popular fruits grown in south carolina include peaches, strawberries, blueberries, and watermelon. Learn about climate, soil, maintenance tips, and harvesting. Discover the best fruit trees to grow in south carolina's ideal climate! Apple trees thrive in south carolina’s cold spring and cooler fall months. Learn about local favorites like peaches and apples, interesting citrus types, berry bush varieties, and. Easiest Fruit To Grow In Sc.
From www.gardensall.com
The Easiest Fruit Trees to Grow (Indoors and Outdoors) GardensAll Easiest Fruit To Grow In Sc Some popular fruits grown in south carolina include peaches, strawberries, blueberries, and watermelon. Get insights on what fruit trees flourish in south carolina's climate. Discover optimal care tips for successful growth and a bountiful harvest. From peaches to figs, we've got you covered with expert tips and advice. In this blog post, we’ll explore the basics of planting fruit trees. Easiest Fruit To Grow In Sc.
From www.diyncrafts.com
20 Easiest Fruits Anyone Can Grow [BeginnerFriendly Ideas] DIY & Crafts Easiest Fruit To Grow In Sc Discover optimal care tips for successful growth and a bountiful harvest. From peaches to figs, we've got you covered with expert tips and advice. Learn about local favorites like peaches and apples, interesting citrus types, berry bush varieties, and exotic offerings like avocado and loquat trees. This article explores popular varieties like peaches, figs,. Learn about climate, soil, maintenance tips,. Easiest Fruit To Grow In Sc.
From morningchores.com
13 Best Fruits and Berries You Can Easily Grow in a Container Garden Easiest Fruit To Grow In Sc Unlike other fruits, flowers, and fruit. From peaches to figs, we've got you covered with expert tips and advice. Discover optimal care tips for successful growth and a bountiful harvest. Apple trees thrive in south carolina’s cold spring and cooler fall months. Learn about climate, soil, maintenance tips, and harvesting. This article explores popular varieties like peaches, figs,. Discover the. Easiest Fruit To Grow In Sc.
From www.myheartliveshere.com
What Fruit Trees Thrive in South Carolina's Climate? My Heart Lives Here Easiest Fruit To Grow In Sc Discover the best fruit trees to grow in south carolina! Some popular fruits grown in south carolina include peaches, strawberries, blueberries, and watermelon. Apple trees thrive in south carolina’s cold spring and cooler fall months. Discover the best fruit trees to grow in south carolina's ideal climate! In this blog post, we’ll explore the basics of planting fruit trees in. Easiest Fruit To Grow In Sc.
From empressofdirt.net
12 Best Fruits to Grow in Pots — Empress of Dirt Easiest Fruit To Grow In Sc In this blog post, we’ll explore the basics of planting fruit trees in south carolina, including the ideal time to plant, the best varieties to choose, and the essential care. Some popular fruits grown in south carolina include peaches, strawberries, blueberries, and watermelon. Learn about climate, soil, maintenance tips, and harvesting. Unlike other fruits, flowers, and fruit. From peaches to. Easiest Fruit To Grow In Sc.
From www.pinterest.com.au
You don’t need a large estate to grow a variety of fruits at home. If Easiest Fruit To Grow In Sc Unlike other fruits, flowers, and fruit. Discover optimal care tips for successful growth and a bountiful harvest. This article explores popular varieties like peaches, figs,. From peaches to figs, we've got you covered with expert tips and advice. Some popular fruits grown in south carolina include peaches, strawberries, blueberries, and watermelon. In this blog post, we’ll explore the basics of. Easiest Fruit To Grow In Sc.
From emilyhomesteader.blogspot.com
Emily Homesteader The EASIEST Fruit To Grow EVER! (How And Why To Grow Easiest Fruit To Grow In Sc Apple trees thrive in south carolina’s cold spring and cooler fall months. Discover optimal care tips for successful growth and a bountiful harvest. Discover the perfect fruit trees for a thriving orchard in south carolina! Get insights on what fruit trees flourish in south carolina's climate. Learn about climate, soil, maintenance tips, and harvesting. Discover the best fruit trees to. Easiest Fruit To Grow In Sc.
From www.wltx.com
How to grow citrus outdoors in South Carolina Easiest Fruit To Grow In Sc From peaches to figs, we've got you covered with expert tips and advice. Learn about local favorites like peaches and apples, interesting citrus types, berry bush varieties, and exotic offerings like avocado and loquat trees. Discover optimal care tips for successful growth and a bountiful harvest. Discover the best fruit trees to grow in south carolina! Learn about climate, soil,. Easiest Fruit To Grow In Sc.
From www.wikihow.life
12 Fruits to Grow at Home Easy and BeginnerFriendly Picks Easiest Fruit To Grow In Sc Discover the best fruit trees to grow in south carolina's ideal climate! Learn about local favorites like peaches and apples, interesting citrus types, berry bush varieties, and exotic offerings like avocado and loquat trees. These fruits thrive in the state’s. Discover optimal care tips for successful growth and a bountiful harvest. Some popular fruits grown in south carolina include peaches,. Easiest Fruit To Grow In Sc.
From www.artofit.org
6 easy fruits to grow in your garden Artofit Easiest Fruit To Grow In Sc Apple trees thrive in south carolina’s cold spring and cooler fall months. Discover the best fruit trees to grow in south carolina's ideal climate! Get insights on what fruit trees flourish in south carolina's climate. In this blog post, we’ll explore the basics of planting fruit trees in south carolina, including the ideal time to plant, the best varieties to. Easiest Fruit To Grow In Sc.
From tasteandcraze.com
20 Easiest Fruits to Grow Beginner Friendly Ideas • TasteAndCraze Easiest Fruit To Grow In Sc This article explores popular varieties like peaches, figs,. Get insights on what fruit trees flourish in south carolina's climate. Learn about local favorites like peaches and apples, interesting citrus types, berry bush varieties, and exotic offerings like avocado and loquat trees. Discover the best fruit trees to grow in south carolina! From peaches to figs, we've got you covered with. Easiest Fruit To Grow In Sc.
From www.tyrantfarms.com
Easiest fruit to grow organically in the southeastern US Tyrant Farms Easiest Fruit To Grow In Sc From peaches to figs, we've got you covered with expert tips and advice. Unlike other fruits, flowers, and fruit. Learn about climate, soil, maintenance tips, and harvesting. Discover the best fruit trees to grow in south carolina! This article explores popular varieties like peaches, figs,. In this blog post, we’ll explore the basics of planting fruit trees in south carolina,. Easiest Fruit To Grow In Sc.
From 1millionideas.com
17 Fruits You Can Easily Grow At Home And Enjoy Fresh Produce Easiest Fruit To Grow In Sc Unlike other fruits, flowers, and fruit. Learn about climate, soil, maintenance tips, and harvesting. Discover the best fruit trees to grow in south carolina's ideal climate! Apple trees thrive in south carolina’s cold spring and cooler fall months. Discover the best fruit trees to grow in south carolina! Get insights on what fruit trees flourish in south carolina's climate. Discover. Easiest Fruit To Grow In Sc.