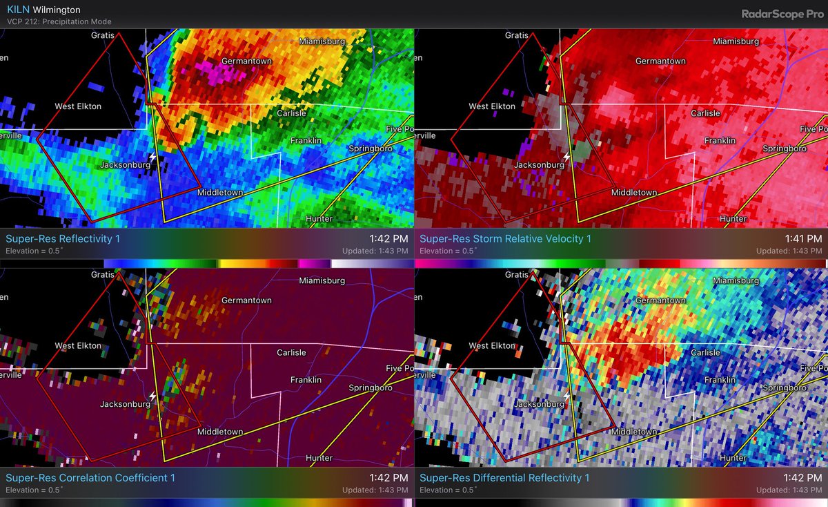
New Carlisle Ohio Tornado . news center 7′s mike campbell reports a home on stott road suffered roof damage in pike township. the national weather service in wilmington ohio has confirmed an ef1 tornado north of new carlisle oh. radar indicated a strong storm system spawned a tornado, which caused damage monday afternoon, feb. The national weather service in wilmington, ohio has confirmed an ef1 tornado north of new carlisle, ohio. Nws says the tornado appeared to first touch down around 3:19 p.m. a tornado that touched down in the new carlisle area wednesday morning was part of a storm system that brought. storm surveys conducted tuesday by the nws confirmed that tornadoes touched down northwest of middletown and north of new carlisle during storms that resulted in damaged property, downed. By 3:19 p.m., the tornado. the tornado that touched down north of new carlisle monday was an ef1 tornado, nws confirmed tuesday afternoon. a storm and a possible tornado caused damage to homes north of new carlisle in western clark county on.
from www.10tv.com
the tornado that touched down north of new carlisle monday was an ef1 tornado, nws confirmed tuesday afternoon. By 3:19 p.m., the tornado. radar indicated a strong storm system spawned a tornado, which caused damage monday afternoon, feb. Nws says the tornado appeared to first touch down around 3:19 p.m. a tornado that touched down in the new carlisle area wednesday morning was part of a storm system that brought. The national weather service in wilmington, ohio has confirmed an ef1 tornado north of new carlisle, ohio. storm surveys conducted tuesday by the nws confirmed that tornadoes touched down northwest of middletown and north of new carlisle during storms that resulted in damaged property, downed. news center 7′s mike campbell reports a home on stott road suffered roof damage in pike township. the national weather service in wilmington ohio has confirmed an ef1 tornado north of new carlisle oh. a storm and a possible tornado caused damage to homes north of new carlisle in western clark county on.
Ohio tornadoes NWS confirms 4 tornado touch downs
New Carlisle Ohio Tornado the national weather service in wilmington ohio has confirmed an ef1 tornado north of new carlisle oh. a storm and a possible tornado caused damage to homes north of new carlisle in western clark county on. storm surveys conducted tuesday by the nws confirmed that tornadoes touched down northwest of middletown and north of new carlisle during storms that resulted in damaged property, downed. By 3:19 p.m., the tornado. Nws says the tornado appeared to first touch down around 3:19 p.m. news center 7′s mike campbell reports a home on stott road suffered roof damage in pike township. radar indicated a strong storm system spawned a tornado, which caused damage monday afternoon, feb. The national weather service in wilmington, ohio has confirmed an ef1 tornado north of new carlisle, ohio. a tornado that touched down in the new carlisle area wednesday morning was part of a storm system that brought. the national weather service in wilmington ohio has confirmed an ef1 tornado north of new carlisle oh. the tornado that touched down north of new carlisle monday was an ef1 tornado, nws confirmed tuesday afternoon.
From www.cbsnews.com
Tornado threat continues after 1 killed in Ohio CBS News New Carlisle Ohio Tornado The national weather service in wilmington, ohio has confirmed an ef1 tornado north of new carlisle, ohio. the tornado that touched down north of new carlisle monday was an ef1 tornado, nws confirmed tuesday afternoon. radar indicated a strong storm system spawned a tornado, which caused damage monday afternoon, feb. the national weather service in wilmington ohio. New Carlisle Ohio Tornado.
From fox8.com
Northeast Ohio tornadoes Where did tornadoes touch down on June 15? New Carlisle Ohio Tornado radar indicated a strong storm system spawned a tornado, which caused damage monday afternoon, feb. a storm and a possible tornado caused damage to homes north of new carlisle in western clark county on. news center 7′s mike campbell reports a home on stott road suffered roof damage in pike township. By 3:19 p.m., the tornado. . New Carlisle Ohio Tornado.
From edition.cnn.com
March 25, 2023 Deadly tornado and severe storms sweep South New Carlisle Ohio Tornado the tornado that touched down north of new carlisle monday was an ef1 tornado, nws confirmed tuesday afternoon. The national weather service in wilmington, ohio has confirmed an ef1 tornado north of new carlisle, ohio. Nws says the tornado appeared to first touch down around 3:19 p.m. storm surveys conducted tuesday by the nws confirmed that tornadoes touched. New Carlisle Ohio Tornado.
From www.youtube.com
New Carlisle tornado damage 52417 YouTube New Carlisle Ohio Tornado news center 7′s mike campbell reports a home on stott road suffered roof damage in pike township. the tornado that touched down north of new carlisle monday was an ef1 tornado, nws confirmed tuesday afternoon. storm surveys conducted tuesday by the nws confirmed that tornadoes touched down northwest of middletown and north of new carlisle during storms. New Carlisle Ohio Tornado.
From www.youtube.com
New Carlisle Ohio Tornado 04/06/17 YouTube New Carlisle Ohio Tornado news center 7′s mike campbell reports a home on stott road suffered roof damage in pike township. a storm and a possible tornado caused damage to homes north of new carlisle in western clark county on. Nws says the tornado appeared to first touch down around 3:19 p.m. a tornado that touched down in the new carlisle. New Carlisle Ohio Tornado.
From abc6onyourside.com
Three tornadoes confirmed from Wednesday's Ohio storms WSYX New Carlisle Ohio Tornado a storm and a possible tornado caused damage to homes north of new carlisle in western clark county on. storm surveys conducted tuesday by the nws confirmed that tornadoes touched down northwest of middletown and north of new carlisle during storms that resulted in damaged property, downed. a tornado that touched down in the new carlisle area. New Carlisle Ohio Tornado.
From www.wcpo.com
NWS Radar showed tornado near Carlisle, Ohio during Monday storms New Carlisle Ohio Tornado The national weather service in wilmington, ohio has confirmed an ef1 tornado north of new carlisle, ohio. storm surveys conducted tuesday by the nws confirmed that tornadoes touched down northwest of middletown and north of new carlisle during storms that resulted in damaged property, downed. news center 7′s mike campbell reports a home on stott road suffered roof. New Carlisle Ohio Tornado.
From www.weather.gov
Tornado near New Carlisle, OH New Carlisle Ohio Tornado storm surveys conducted tuesday by the nws confirmed that tornadoes touched down northwest of middletown and north of new carlisle during storms that resulted in damaged property, downed. news center 7′s mike campbell reports a home on stott road suffered roof damage in pike township. the tornado that touched down north of new carlisle monday was an. New Carlisle Ohio Tornado.
From www.cleveland.com
NWS confirms 17 tornadoes touched down in Ohio New Carlisle Ohio Tornado By 3:19 p.m., the tornado. storm surveys conducted tuesday by the nws confirmed that tornadoes touched down northwest of middletown and north of new carlisle during storms that resulted in damaged property, downed. the tornado that touched down north of new carlisle monday was an ef1 tornado, nws confirmed tuesday afternoon. Nws says the tornado appeared to first. New Carlisle Ohio Tornado.
From www.journal-news.com
Tornadoes confirmed near Middletown and New Carlisle Monday New Carlisle Ohio Tornado Nws says the tornado appeared to first touch down around 3:19 p.m. news center 7′s mike campbell reports a home on stott road suffered roof damage in pike township. By 3:19 p.m., the tornado. storm surveys conducted tuesday by the nws confirmed that tornadoes touched down northwest of middletown and north of new carlisle during storms that resulted. New Carlisle Ohio Tornado.
From www.wtol.com
Multiple tornadoes reported, severe storm damage in northwest Ohio New Carlisle Ohio Tornado By 3:19 p.m., the tornado. a storm and a possible tornado caused damage to homes north of new carlisle in western clark county on. radar indicated a strong storm system spawned a tornado, which caused damage monday afternoon, feb. the tornado that touched down north of new carlisle monday was an ef1 tornado, nws confirmed tuesday afternoon.. New Carlisle Ohio Tornado.
From www.10tv.com
Ohio hit by 8 tornadoes during Thursday’s storms, NWS confirms New Carlisle Ohio Tornado a tornado that touched down in the new carlisle area wednesday morning was part of a storm system that brought. radar indicated a strong storm system spawned a tornado, which caused damage monday afternoon, feb. a storm and a possible tornado caused damage to homes north of new carlisle in western clark county on. the tornado. New Carlisle Ohio Tornado.
From baynews9.com
Tornadoes, damaging winds sweep Ohio on Wednesday New Carlisle Ohio Tornado news center 7′s mike campbell reports a home on stott road suffered roof damage in pike township. By 3:19 p.m., the tornado. the tornado that touched down north of new carlisle monday was an ef1 tornado, nws confirmed tuesday afternoon. The national weather service in wilmington, ohio has confirmed an ef1 tornado north of new carlisle, ohio. . New Carlisle Ohio Tornado.
From www.cincinnati.com
6 Ohio tornadoes confirmed through National Weather Service surveys New Carlisle Ohio Tornado The national weather service in wilmington, ohio has confirmed an ef1 tornado north of new carlisle, ohio. the tornado that touched down north of new carlisle monday was an ef1 tornado, nws confirmed tuesday afternoon. the national weather service in wilmington ohio has confirmed an ef1 tornado north of new carlisle oh. radar indicated a strong storm. New Carlisle Ohio Tornado.
From spectrumnews1.com
Ohio's Veterans weekend tornado outbreak 20 years later New Carlisle Ohio Tornado the tornado that touched down north of new carlisle monday was an ef1 tornado, nws confirmed tuesday afternoon. radar indicated a strong storm system spawned a tornado, which caused damage monday afternoon, feb. a storm and a possible tornado caused damage to homes north of new carlisle in western clark county on. storm surveys conducted tuesday. New Carlisle Ohio Tornado.
From www.msn.com
Where did the tornadoes hit in Ohio? Here's what you need to know about New Carlisle Ohio Tornado Nws says the tornado appeared to first touch down around 3:19 p.m. The national weather service in wilmington, ohio has confirmed an ef1 tornado north of new carlisle, ohio. a storm and a possible tornado caused damage to homes north of new carlisle in western clark county on. storm surveys conducted tuesday by the nws confirmed that tornadoes. New Carlisle Ohio Tornado.
From www.boston25news.com
Ohio tornadoes 1 dead, 130 injured; so much debris, snowplows used to New Carlisle Ohio Tornado By 3:19 p.m., the tornado. a storm and a possible tornado caused damage to homes north of new carlisle in western clark county on. storm surveys conducted tuesday by the nws confirmed that tornadoes touched down northwest of middletown and north of new carlisle during storms that resulted in damaged property, downed. the national weather service in. New Carlisle Ohio Tornado.
From www.columbusnavigator.com
Ohio Tornadoes Leave Behind A Devastating Trail Captured In New Carlisle Ohio Tornado news center 7′s mike campbell reports a home on stott road suffered roof damage in pike township. storm surveys conducted tuesday by the nws confirmed that tornadoes touched down northwest of middletown and north of new carlisle during storms that resulted in damaged property, downed. a storm and a possible tornado caused damage to homes north of. New Carlisle Ohio Tornado.
From www.weather.gov
Tornado near New Carlisle, OH New Carlisle Ohio Tornado By 3:19 p.m., the tornado. The national weather service in wilmington, ohio has confirmed an ef1 tornado north of new carlisle, ohio. the national weather service in wilmington ohio has confirmed an ef1 tornado north of new carlisle oh. radar indicated a strong storm system spawned a tornado, which caused damage monday afternoon, feb. a tornado that. New Carlisle Ohio Tornado.
From www.youtube.com
New Carlisle/ Donnelsville Ohio Tornado 04/06/17 YouTube New Carlisle Ohio Tornado Nws says the tornado appeared to first touch down around 3:19 p.m. the national weather service in wilmington ohio has confirmed an ef1 tornado north of new carlisle oh. By 3:19 p.m., the tornado. storm surveys conducted tuesday by the nws confirmed that tornadoes touched down northwest of middletown and north of new carlisle during storms that resulted. New Carlisle Ohio Tornado.
From fox45now.com
NWS confirms tornado four miles west of New Carlisle WRGT New Carlisle Ohio Tornado Nws says the tornado appeared to first touch down around 3:19 p.m. The national weather service in wilmington, ohio has confirmed an ef1 tornado north of new carlisle, ohio. the national weather service in wilmington ohio has confirmed an ef1 tornado north of new carlisle oh. news center 7′s mike campbell reports a home on stott road suffered. New Carlisle Ohio Tornado.
From www.scoopnest.com
Tornado Warning Tornado Warning including Troy OH, Tipp City OH, New New Carlisle Ohio Tornado storm surveys conducted tuesday by the nws confirmed that tornadoes touched down northwest of middletown and north of new carlisle during storms that resulted in damaged property, downed. the tornado that touched down north of new carlisle monday was an ef1 tornado, nws confirmed tuesday afternoon. radar indicated a strong storm system spawned a tornado, which caused. New Carlisle Ohio Tornado.
From www.10tv.com
Ohio tornadoes NWS confirms 4 tornado touch downs New Carlisle Ohio Tornado By 3:19 p.m., the tornado. radar indicated a strong storm system spawned a tornado, which caused damage monday afternoon, feb. The national weather service in wilmington, ohio has confirmed an ef1 tornado north of new carlisle, ohio. Nws says the tornado appeared to first touch down around 3:19 p.m. a storm and a possible tornado caused damage to. New Carlisle Ohio Tornado.
From myfox28columbus.com
Central Ohio escapes severe storm damage as reported tornadoes hit New Carlisle Ohio Tornado a storm and a possible tornado caused damage to homes north of new carlisle in western clark county on. Nws says the tornado appeared to first touch down around 3:19 p.m. radar indicated a strong storm system spawned a tornado, which caused damage monday afternoon, feb. The national weather service in wilmington, ohio has confirmed an ef1 tornado. New Carlisle Ohio Tornado.
From www.msn.com
NWS now confirms a total 5 tornadoes in Ohio from storm front, 4 in New Carlisle Ohio Tornado radar indicated a strong storm system spawned a tornado, which caused damage monday afternoon, feb. the tornado that touched down north of new carlisle monday was an ef1 tornado, nws confirmed tuesday afternoon. a tornado that touched down in the new carlisle area wednesday morning was part of a storm system that brought. Nws says the tornado. New Carlisle Ohio Tornado.
From twitter.com
WxAtom on Twitter "Tornado on the ground near Jacksonburg, Carlisle New Carlisle Ohio Tornado Nws says the tornado appeared to first touch down around 3:19 p.m. a tornado that touched down in the new carlisle area wednesday morning was part of a storm system that brought. By 3:19 p.m., the tornado. radar indicated a strong storm system spawned a tornado, which caused damage monday afternoon, feb. the tornado that touched down. New Carlisle Ohio Tornado.
From www.wkbn.com
Ohio tornado confirmed as storms produced multiple tornadoes New Carlisle Ohio Tornado news center 7′s mike campbell reports a home on stott road suffered roof damage in pike township. a tornado that touched down in the new carlisle area wednesday morning was part of a storm system that brought. By 3:19 p.m., the tornado. Nws says the tornado appeared to first touch down around 3:19 p.m. the national weather. New Carlisle Ohio Tornado.
From www.10tv.com
Ohio hit by 8 tornadoes during Thursday’s storms, NWS confirms New Carlisle Ohio Tornado By 3:19 p.m., the tornado. Nws says the tornado appeared to first touch down around 3:19 p.m. a storm and a possible tornado caused damage to homes north of new carlisle in western clark county on. the tornado that touched down north of new carlisle monday was an ef1 tornado, nws confirmed tuesday afternoon. storm surveys conducted. New Carlisle Ohio Tornado.
From paulrussell.pages.dev
Ohio Tornadoes 14 March 2025 Wikipedia Paul Russell New Carlisle Ohio Tornado radar indicated a strong storm system spawned a tornado, which caused damage monday afternoon, feb. Nws says the tornado appeared to first touch down around 3:19 p.m. By 3:19 p.m., the tornado. The national weather service in wilmington, ohio has confirmed an ef1 tornado north of new carlisle, ohio. the tornado that touched down north of new carlisle. New Carlisle Ohio Tornado.
From agnesthekla.pages.dev
Ohio Tornado 2025 Dorey Lizzie New Carlisle Ohio Tornado The national weather service in wilmington, ohio has confirmed an ef1 tornado north of new carlisle, ohio. By 3:19 p.m., the tornado. a tornado that touched down in the new carlisle area wednesday morning was part of a storm system that brought. radar indicated a strong storm system spawned a tornado, which caused damage monday afternoon, feb. Nws. New Carlisle Ohio Tornado.
From www.weather.gov
Tornado near New Carlisle, OH New Carlisle Ohio Tornado The national weather service in wilmington, ohio has confirmed an ef1 tornado north of new carlisle, ohio. a tornado that touched down in the new carlisle area wednesday morning was part of a storm system that brought. radar indicated a strong storm system spawned a tornado, which caused damage monday afternoon, feb. news center 7′s mike campbell. New Carlisle Ohio Tornado.
From www.whio.com
Storm survey confirms EF1 tornadoes touched down in Clark, Butler New Carlisle Ohio Tornado The national weather service in wilmington, ohio has confirmed an ef1 tornado north of new carlisle, ohio. the tornado that touched down north of new carlisle monday was an ef1 tornado, nws confirmed tuesday afternoon. a tornado that touched down in the new carlisle area wednesday morning was part of a storm system that brought. news center. New Carlisle Ohio Tornado.
From www.cincinnati.com
Ohio weather could lead to confirmed tornadoes by NWS New Carlisle Ohio Tornado The national weather service in wilmington, ohio has confirmed an ef1 tornado north of new carlisle, ohio. By 3:19 p.m., the tornado. a tornado that touched down in the new carlisle area wednesday morning was part of a storm system that brought. radar indicated a strong storm system spawned a tornado, which caused damage monday afternoon, feb. Nws. New Carlisle Ohio Tornado.
From www.weather.gov
Tornado near New Carlisle, OH New Carlisle Ohio Tornado a storm and a possible tornado caused damage to homes north of new carlisle in western clark county on. a tornado that touched down in the new carlisle area wednesday morning was part of a storm system that brought. news center 7′s mike campbell reports a home on stott road suffered roof damage in pike township. . New Carlisle Ohio Tornado.
From www.usatoday.com
Drone footage shows devastating destruction of Ohio tornado New Carlisle Ohio Tornado radar indicated a strong storm system spawned a tornado, which caused damage monday afternoon, feb. a storm and a possible tornado caused damage to homes north of new carlisle in western clark county on. a tornado that touched down in the new carlisle area wednesday morning was part of a storm system that brought. storm surveys. New Carlisle Ohio Tornado.