Korea Bad Weather . at least eight people have died and 14 others have been injured as flooding caused by torrential rain hit parts of south korea's capital seoul. Jul 18, 2024, 11:24 am. seoul, south korea (ap) — heavy downpours lashed south korea for a ninth day on monday as rescue workers. twenty six people have died and thousands have evacuated their homes in south korea due to torrential rain that. at least 35 people have been killed by deadly flooding in the country, as torrential rainfall continues to batter. at least 40 people in south korea have died after a weekend of severe rains caused widespread flooding and. with at least 40 people dead, the current monsoon season is already proving to be a particularly dangerous one in south korea, with rain forecast to continue. Jul 18, 2024, 10:19 am.
from www.reddit.com
at least eight people have died and 14 others have been injured as flooding caused by torrential rain hit parts of south korea's capital seoul. Jul 18, 2024, 11:24 am. at least 35 people have been killed by deadly flooding in the country, as torrential rainfall continues to batter. with at least 40 people dead, the current monsoon season is already proving to be a particularly dangerous one in south korea, with rain forecast to continue. Jul 18, 2024, 10:19 am. twenty six people have died and thousands have evacuated their homes in south korea due to torrential rain that. at least 40 people in south korea have died after a weekend of severe rains caused widespread flooding and. seoul, south korea (ap) — heavy downpours lashed south korea for a ninth day on monday as rescue workers.
A lower pollution day in Seoul compared to yesterday r/korea
Korea Bad Weather seoul, south korea (ap) — heavy downpours lashed south korea for a ninth day on monday as rescue workers. Jul 18, 2024, 10:19 am. at least 35 people have been killed by deadly flooding in the country, as torrential rainfall continues to batter. Jul 18, 2024, 11:24 am. twenty six people have died and thousands have evacuated their homes in south korea due to torrential rain that. seoul, south korea (ap) — heavy downpours lashed south korea for a ninth day on monday as rescue workers. with at least 40 people dead, the current monsoon season is already proving to be a particularly dangerous one in south korea, with rain forecast to continue. at least 40 people in south korea have died after a weekend of severe rains caused widespread flooding and. at least eight people have died and 14 others have been injured as flooding caused by torrential rain hit parts of south korea's capital seoul.
From www.facebook.com
South Korea's 2022 Climate Change Report reveals abnormal weather Korea Bad Weather Jul 18, 2024, 10:19 am. at least 35 people have been killed by deadly flooding in the country, as torrential rainfall continues to batter. seoul, south korea (ap) — heavy downpours lashed south korea for a ninth day on monday as rescue workers. twenty six people have died and thousands have evacuated their homes in south korea. Korea Bad Weather.
From www.greenpeace.org
Climate crisis is now — South Korea’s 2020 monsoon and its aftermath Korea Bad Weather at least 40 people in south korea have died after a weekend of severe rains caused widespread flooding and. at least eight people have died and 14 others have been injured as flooding caused by torrential rain hit parts of south korea's capital seoul. at least 35 people have been killed by deadly flooding in the country,. Korea Bad Weather.
From www.aljazeera.com
Freezing weather hits North Korea Climate Crisis News Al Jazeera Korea Bad Weather twenty six people have died and thousands have evacuated their homes in south korea due to torrential rain that. seoul, south korea (ap) — heavy downpours lashed south korea for a ninth day on monday as rescue workers. at least eight people have died and 14 others have been injured as flooding caused by torrential rain hit. Korea Bad Weather.
From www.archyde.com
National Museum of Korea Weather Forecast Cloudy with Rampant Fine Korea Bad Weather at least 35 people have been killed by deadly flooding in the country, as torrential rainfall continues to batter. at least 40 people in south korea have died after a weekend of severe rains caused widespread flooding and. twenty six people have died and thousands have evacuated their homes in south korea due to torrential rain that.. Korea Bad Weather.
From www.youtube.com
Bad weather forces South Korean delegation to extend stay in North Korea Bad Weather at least eight people have died and 14 others have been injured as flooding caused by torrential rain hit parts of south korea's capital seoul. Jul 18, 2024, 11:24 am. seoul, south korea (ap) — heavy downpours lashed south korea for a ninth day on monday as rescue workers. Jul 18, 2024, 10:19 am. twenty six people. Korea Bad Weather.
From www.dreamstime.com
Sokcho City after the Typhoon in South Korea. Bad Weather on the Sea Korea Bad Weather Jul 18, 2024, 11:24 am. at least 35 people have been killed by deadly flooding in the country, as torrential rainfall continues to batter. with at least 40 people dead, the current monsoon season is already proving to be a particularly dangerous one in south korea, with rain forecast to continue. at least 40 people in south. Korea Bad Weather.
From www.severe-weather.eu
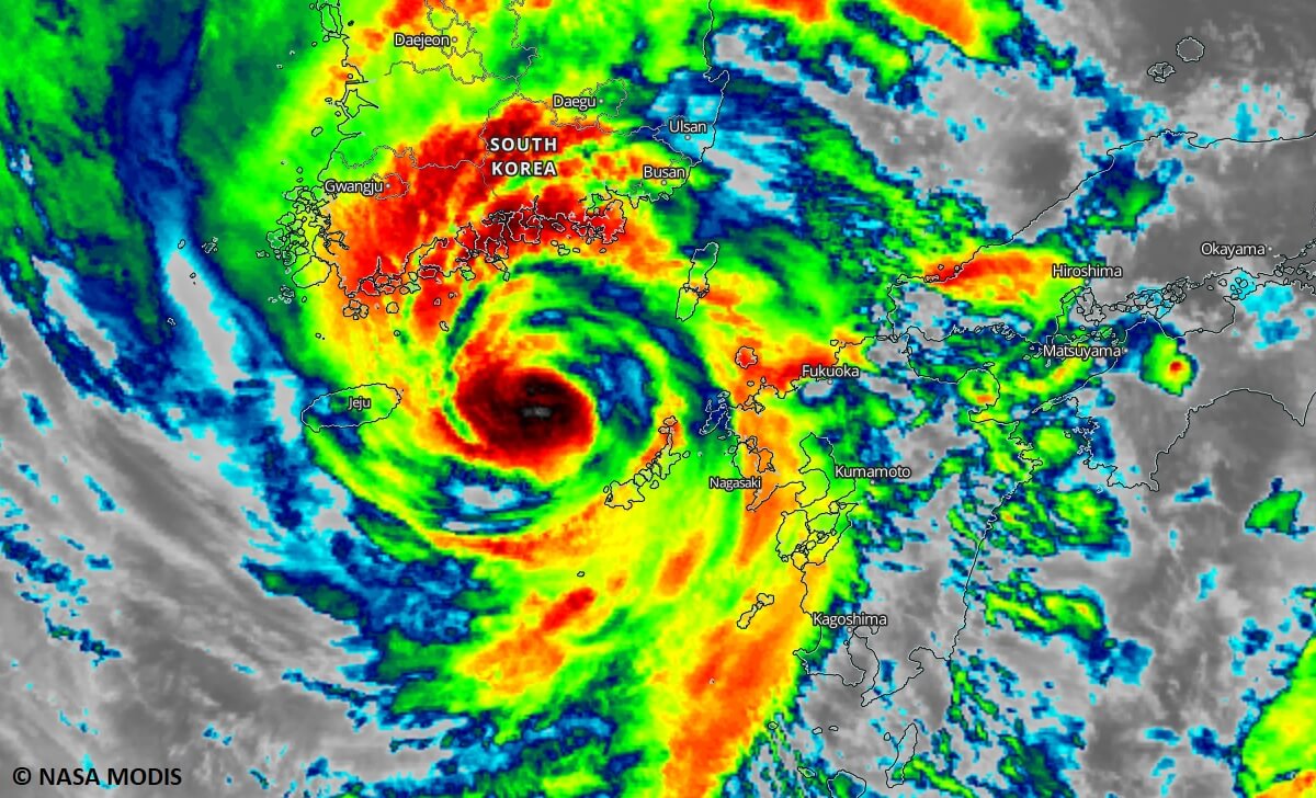
A dangerous typhoon Maysak will make landfall in South Korea tonight Korea Bad Weather with at least 40 people dead, the current monsoon season is already proving to be a particularly dangerous one in south korea, with rain forecast to continue. twenty six people have died and thousands have evacuated their homes in south korea due to torrential rain that. at least eight people have died and 14 others have been. Korea Bad Weather.
From news.yahoo.com
Days of torrential rain in S. Korea leave at least 30 dead Korea Bad Weather twenty six people have died and thousands have evacuated their homes in south korea due to torrential rain that. Jul 18, 2024, 11:24 am. Jul 18, 2024, 10:19 am. seoul, south korea (ap) — heavy downpours lashed south korea for a ninth day on monday as rescue workers. at least eight people have died and 14 others. Korea Bad Weather.
From www.severe-weather.eu
Typhoon Khanun will bring dangerous rainfall to South Korea after Korea Bad Weather at least 40 people in south korea have died after a weekend of severe rains caused widespread flooding and. Jul 18, 2024, 10:19 am. twenty six people have died and thousands have evacuated their homes in south korea due to torrential rain that. at least eight people have died and 14 others have been injured as flooding. Korea Bad Weather.
From www.newsdirectory3.com
Arctic Cold Wave 2024 Severe Weather Conditions and Heavy Snowfall in Korea Bad Weather Jul 18, 2024, 11:24 am. Jul 18, 2024, 10:19 am. with at least 40 people dead, the current monsoon season is already proving to be a particularly dangerous one in south korea, with rain forecast to continue. at least eight people have died and 14 others have been injured as flooding caused by torrential rain hit parts of. Korea Bad Weather.
From www.severe-weather.eu
korea Archives » Severe Weather Europe Korea Bad Weather at least eight people have died and 14 others have been injured as flooding caused by torrential rain hit parts of south korea's capital seoul. Jul 18, 2024, 10:19 am. at least 40 people in south korea have died after a weekend of severe rains caused widespread flooding and. Jul 18, 2024, 11:24 am. seoul, south korea. Korea Bad Weather.
From www.straitstimes.com
Schools closed, flights cancelled as coldest day of the season grips Korea Bad Weather Jul 18, 2024, 10:19 am. at least 35 people have been killed by deadly flooding in the country, as torrential rainfall continues to batter. Jul 18, 2024, 11:24 am. at least eight people have died and 14 others have been injured as flooding caused by torrential rain hit parts of south korea's capital seoul. seoul, south korea. Korea Bad Weather.
From www.rappler.com
Typhoon Khanun lashes southern Japan, South Korea, another storm looms Korea Bad Weather with at least 40 people dead, the current monsoon season is already proving to be a particularly dangerous one in south korea, with rain forecast to continue. Jul 18, 2024, 11:24 am. twenty six people have died and thousands have evacuated their homes in south korea due to torrential rain that. at least eight people have died. Korea Bad Weather.
From en.yna.co.kr
Aftermath of heavy rain in S. Korea Yonhap News Agency Korea Bad Weather at least eight people have died and 14 others have been injured as flooding caused by torrential rain hit parts of south korea's capital seoul. twenty six people have died and thousands have evacuated their homes in south korea due to torrential rain that. with at least 40 people dead, the current monsoon season is already proving. Korea Bad Weather.
From www.aljazeera.com
South Korea’s capital weathers snowstorm as cold spell bites Weather Korea Bad Weather at least 40 people in south korea have died after a weekend of severe rains caused widespread flooding and. at least eight people have died and 14 others have been injured as flooding caused by torrential rain hit parts of south korea's capital seoul. with at least 40 people dead, the current monsoon season is already proving. Korea Bad Weather.
From www.alamy.com
Winter in South Korea with severe cold, negative temperature, Cold Korea Bad Weather at least 35 people have been killed by deadly flooding in the country, as torrential rainfall continues to batter. with at least 40 people dead, the current monsoon season is already proving to be a particularly dangerous one in south korea, with rain forecast to continue. at least 40 people in south korea have died after a. Korea Bad Weather.
From www.aljazeera.com
South Korea’s capital weathers snowstorm as cold spell bites Weather Korea Bad Weather Jul 18, 2024, 10:19 am. seoul, south korea (ap) — heavy downpours lashed south korea for a ninth day on monday as rescue workers. with at least 40 people dead, the current monsoon season is already proving to be a particularly dangerous one in south korea, with rain forecast to continue. at least 35 people have been. Korea Bad Weather.
From ehkou.com
WION Climate Tracker Heavy snow causes chaos in South Korea as cold Korea Bad Weather at least 40 people in south korea have died after a weekend of severe rains caused widespread flooding and. Jul 18, 2024, 10:19 am. Jul 18, 2024, 11:24 am. at least 35 people have been killed by deadly flooding in the country, as torrential rainfall continues to batter. seoul, south korea (ap) — heavy downpours lashed south. Korea Bad Weather.
From time.com
South Korea Ferry Disaster Survivor Search Slowed by Bad Weather Time Korea Bad Weather at least eight people have died and 14 others have been injured as flooding caused by torrential rain hit parts of south korea's capital seoul. seoul, south korea (ap) — heavy downpours lashed south korea for a ninth day on monday as rescue workers. at least 35 people have been killed by deadly flooding in the country,. Korea Bad Weather.
From www.metro.us
Recovery underway in South Korea’s rainhit capital area Metro US Korea Bad Weather at least 35 people have been killed by deadly flooding in the country, as torrential rainfall continues to batter. with at least 40 people dead, the current monsoon season is already proving to be a particularly dangerous one in south korea, with rain forecast to continue. Jul 18, 2024, 11:24 am. seoul, south korea (ap) — heavy. Korea Bad Weather.
From www.metro.us
Days of torrential rain in South Korea leave at least 22 dead in Korea Bad Weather seoul, south korea (ap) — heavy downpours lashed south korea for a ninth day on monday as rescue workers. Jul 18, 2024, 11:24 am. Jul 18, 2024, 10:19 am. at least 40 people in south korea have died after a weekend of severe rains caused widespread flooding and. twenty six people have died and thousands have evacuated. Korea Bad Weather.
From newsinfo.inquirer.net
Thousands evacuate in S. Korea as heavy rains trigger flood, landslides Korea Bad Weather at least 35 people have been killed by deadly flooding in the country, as torrential rainfall continues to batter. Jul 18, 2024, 11:24 am. Jul 18, 2024, 10:19 am. seoul, south korea (ap) — heavy downpours lashed south korea for a ninth day on monday as rescue workers. with at least 40 people dead, the current monsoon. Korea Bad Weather.
From www.reddit.com
A lower pollution day in Seoul compared to yesterday r/korea Korea Bad Weather twenty six people have died and thousands have evacuated their homes in south korea due to torrential rain that. seoul, south korea (ap) — heavy downpours lashed south korea for a ninth day on monday as rescue workers. at least eight people have died and 14 others have been injured as flooding caused by torrential rain hit. Korea Bad Weather.
From www.aljazeera.com
Yoon orders allout effort after heavy rains kill 39 in S Korea Korea Bad Weather at least eight people have died and 14 others have been injured as flooding caused by torrential rain hit parts of south korea's capital seoul. at least 35 people have been killed by deadly flooding in the country, as torrential rainfall continues to batter. Jul 18, 2024, 10:19 am. twenty six people have died and thousands have. Korea Bad Weather.
From www.nytimes.com
Typhoon Hinnamnor Drenches South Korea The New York Times Korea Bad Weather Jul 18, 2024, 11:24 am. Jul 18, 2024, 10:19 am. seoul, south korea (ap) — heavy downpours lashed south korea for a ninth day on monday as rescue workers. at least 40 people in south korea have died after a weekend of severe rains caused widespread flooding and. at least 35 people have been killed by deadly. Korea Bad Weather.
From www.pinterest.com
Weather Events Record rainfall kills at least 9 in Seoul (South Korea Korea Bad Weather at least 35 people have been killed by deadly flooding in the country, as torrential rainfall continues to batter. Jul 18, 2024, 10:19 am. Jul 18, 2024, 11:24 am. at least eight people have died and 14 others have been injured as flooding caused by torrential rain hit parts of south korea's capital seoul. twenty six people. Korea Bad Weather.
From localweathertracker.com
Monsoon Wreaking Havoc in South Korea With Flooding Rains Local Korea Bad Weather seoul, south korea (ap) — heavy downpours lashed south korea for a ninth day on monday as rescue workers. twenty six people have died and thousands have evacuated their homes in south korea due to torrential rain that. at least 40 people in south korea have died after a weekend of severe rains caused widespread flooding and.. Korea Bad Weather.
From www.youtube.com
[Weather] Severe heatwave builds across Korea YouTube Korea Bad Weather Jul 18, 2024, 11:24 am. at least 35 people have been killed by deadly flooding in the country, as torrential rainfall continues to batter. twenty six people have died and thousands have evacuated their homes in south korea due to torrential rain that. at least eight people have died and 14 others have been injured as flooding. Korea Bad Weather.
From www.youtube.com
[Weather] Korea gripped by severe cold, freezing all day YouTube Korea Bad Weather Jul 18, 2024, 11:24 am. Jul 18, 2024, 10:19 am. twenty six people have died and thousands have evacuated their homes in south korea due to torrential rain that. seoul, south korea (ap) — heavy downpours lashed south korea for a ninth day on monday as rescue workers. at least 40 people in south korea have died. Korea Bad Weather.
From www.severe-weather.eu
Typhoon Bavi on its way towards the Korean peninsula Korea Bad Weather at least eight people have died and 14 others have been injured as flooding caused by torrential rain hit parts of south korea's capital seoul. seoul, south korea (ap) — heavy downpours lashed south korea for a ninth day on monday as rescue workers. Jul 18, 2024, 11:24 am. with at least 40 people dead, the current. Korea Bad Weather.
From www.improvethenews.org
South Korea Record Rainfall Drenches Seoul Korea Bad Weather Jul 18, 2024, 10:19 am. with at least 40 people dead, the current monsoon season is already proving to be a particularly dangerous one in south korea, with rain forecast to continue. at least eight people have died and 14 others have been injured as flooding caused by torrential rain hit parts of south korea's capital seoul. . Korea Bad Weather.
From www.upi.com
North Korea reports heavy rain after July dry spell Korea Bad Weather at least 35 people have been killed by deadly flooding in the country, as torrential rainfall continues to batter. at least 40 people in south korea have died after a weekend of severe rains caused widespread flooding and. at least eight people have died and 14 others have been injured as flooding caused by torrential rain hit. Korea Bad Weather.
From www.koreaboo.com
Seoul Suffers Severe Flooding—Korean Netizens Share Unbelievable POVs Korea Bad Weather at least 40 people in south korea have died after a weekend of severe rains caused widespread flooding and. seoul, south korea (ap) — heavy downpours lashed south korea for a ninth day on monday as rescue workers. twenty six people have died and thousands have evacuated their homes in south korea due to torrential rain that.. Korea Bad Weather.
From www.youtube.com
S. Korea continues to see heavy rainfall for 49 consecutive days YouTube Korea Bad Weather twenty six people have died and thousands have evacuated their homes in south korea due to torrential rain that. Jul 18, 2024, 10:19 am. with at least 40 people dead, the current monsoon season is already proving to be a particularly dangerous one in south korea, with rain forecast to continue. at least eight people have died. Korea Bad Weather.
From www.wunderground.com
South Korea's Relentless Monsoon Rains Kill at Least 18 Weather Korea Bad Weather Jul 18, 2024, 10:19 am. with at least 40 people dead, the current monsoon season is already proving to be a particularly dangerous one in south korea, with rain forecast to continue. Jul 18, 2024, 11:24 am. seoul, south korea (ap) — heavy downpours lashed south korea for a ninth day on monday as rescue workers. at. Korea Bad Weather.