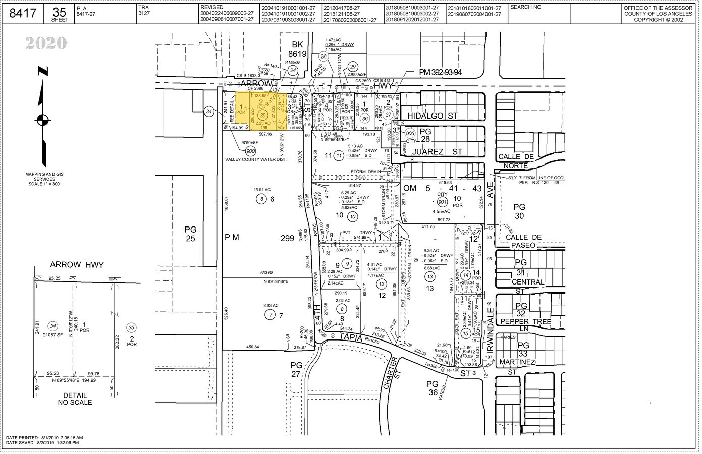
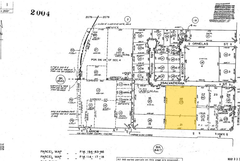
Irwindale Zoning Code . in spring 2020, the city embarked on an update to the zoning code which was partially funded using a sb 2 grant. irwindale municipal code (covering ordinances through 759) codified through (covering ordinances through 775). the zoning code is being updated to incorporate current best practices, industry standards, and meet recent state planning mandates. irwindale’s zoning code primarily follows a euclidean scheme with limited use of performance standards and incentive. front and side yards not required for dwellings and apartments above stores. the irwindale california municipal code, originally published by book publishing company in 1980, has been kept current. the city of irwindale adopted its first zoning code in 1966 and has been amended incrementally over the past 50 years. zoning map for the city of irwindale updated as of february 2, 2022.
from bestneighborhood.org
irwindale municipal code (covering ordinances through 759) codified through (covering ordinances through 775). the irwindale california municipal code, originally published by book publishing company in 1980, has been kept current. front and side yards not required for dwellings and apartments above stores. in spring 2020, the city embarked on an update to the zoning code which was partially funded using a sb 2 grant. the city of irwindale adopted its first zoning code in 1966 and has been amended incrementally over the past 50 years. the zoning code is being updated to incorporate current best practices, industry standards, and meet recent state planning mandates. irwindale’s zoning code primarily follows a euclidean scheme with limited use of performance standards and incentive. zoning map for the city of irwindale updated as of february 2, 2022.
The Best Neighborhoods in Irwindale, CA by Home Value
Irwindale Zoning Code the zoning code is being updated to incorporate current best practices, industry standards, and meet recent state planning mandates. in spring 2020, the city embarked on an update to the zoning code which was partially funded using a sb 2 grant. the irwindale california municipal code, originally published by book publishing company in 1980, has been kept current. irwindale’s zoning code primarily follows a euclidean scheme with limited use of performance standards and incentive. zoning map for the city of irwindale updated as of february 2, 2022. front and side yards not required for dwellings and apartments above stores. irwindale municipal code (covering ordinances through 759) codified through (covering ordinances through 775). the zoning code is being updated to incorporate current best practices, industry standards, and meet recent state planning mandates. the city of irwindale adopted its first zoning code in 1966 and has been amended incrementally over the past 50 years.
From ladcp.us
Existing Code Los Angeles City Planning Irwindale Zoning Code front and side yards not required for dwellings and apartments above stores. the irwindale california municipal code, originally published by book publishing company in 1980, has been kept current. the city of irwindale adopted its first zoning code in 1966 and has been amended incrementally over the past 50 years. irwindale’s zoning code primarily follows a. Irwindale Zoning Code.
From www.youtube.com
What Are Zoning Codes? YouTube Irwindale Zoning Code irwindale municipal code (covering ordinances through 759) codified through (covering ordinances through 775). the irwindale california municipal code, originally published by book publishing company in 1980, has been kept current. front and side yards not required for dwellings and apartments above stores. the zoning code is being updated to incorporate current best practices, industry standards, and. Irwindale Zoning Code.
From urbanindy.com
Zoned Out Indy Irwindale Zoning Code front and side yards not required for dwellings and apartments above stores. the zoning code is being updated to incorporate current best practices, industry standards, and meet recent state planning mandates. the irwindale california municipal code, originally published by book publishing company in 1980, has been kept current. irwindale municipal code (covering ordinances through 759) codified. Irwindale Zoning Code.
From studylib.net
illustrated zoning and building codes Irwindale Zoning Code the zoning code is being updated to incorporate current best practices, industry standards, and meet recent state planning mandates. in spring 2020, the city embarked on an update to the zoning code which was partially funded using a sb 2 grant. irwindale’s zoning code primarily follows a euclidean scheme with limited use of performance standards and incentive.. Irwindale Zoning Code.
From www.youtube.com
How to Find Any Property on a Zoning Map YouTube Irwindale Zoning Code the zoning code is being updated to incorporate current best practices, industry standards, and meet recent state planning mandates. irwindale’s zoning code primarily follows a euclidean scheme with limited use of performance standards and incentive. the irwindale california municipal code, originally published by book publishing company in 1980, has been kept current. in spring 2020, the. Irwindale Zoning Code.
From www.pdffiller.com
Fillable Online request for proposals (rfp) city of irwindale Irwindale Zoning Code the zoning code is being updated to incorporate current best practices, industry standards, and meet recent state planning mandates. the irwindale california municipal code, originally published by book publishing company in 1980, has been kept current. the city of irwindale adopted its first zoning code in 1966 and has been amended incrementally over the past 50 years.. Irwindale Zoning Code.
From www.landsat.com
Irwindale California Street Map 0636826 Irwindale Zoning Code the zoning code is being updated to incorporate current best practices, industry standards, and meet recent state planning mandates. the city of irwindale adopted its first zoning code in 1966 and has been amended incrementally over the past 50 years. front and side yards not required for dwellings and apartments above stores. zoning map for the. Irwindale Zoning Code.
From www.irwindaleca.gov
Irwindale Zoning Code Update Irwindale, CA Official site Irwindale Zoning Code in spring 2020, the city embarked on an update to the zoning code which was partially funded using a sb 2 grant. the zoning code is being updated to incorporate current best practices, industry standards, and meet recent state planning mandates. the city of irwindale adopted its first zoning code in 1966 and has been amended incrementally. Irwindale Zoning Code.
From www.loopnet.com
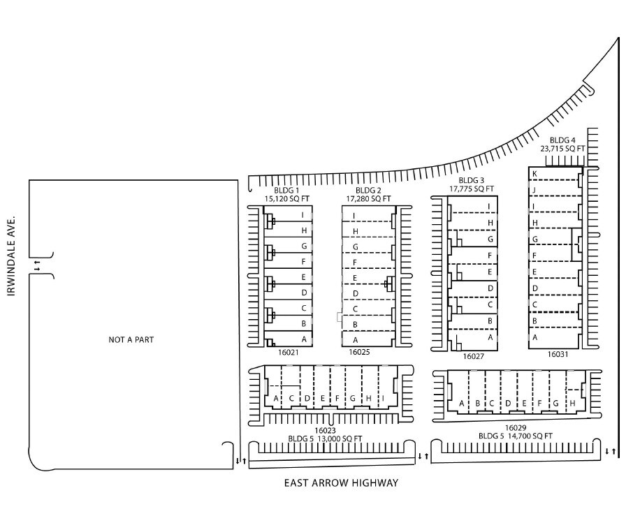
16029 Arrow Hwy, Irwindale, CA 91706 Irwindale Zoning Code front and side yards not required for dwellings and apartments above stores. in spring 2020, the city embarked on an update to the zoning code which was partially funded using a sb 2 grant. the irwindale california municipal code, originally published by book publishing company in 1980, has been kept current. the city of irwindale adopted. Irwindale Zoning Code.
From careerhairstylesfor.blogspot.com
Business Zoning Types / Land Use Zoning Definition Codes Types Video Irwindale Zoning Code irwindale municipal code (covering ordinances through 759) codified through (covering ordinances through 775). the irwindale california municipal code, originally published by book publishing company in 1980, has been kept current. zoning map for the city of irwindale updated as of february 2, 2022. the city of irwindale adopted its first zoning code in 1966 and has. Irwindale Zoning Code.
From www.sgvtribune.com
Irwindale Speedway property is sold, but don’t expect speedway to go Irwindale Zoning Code the zoning code is being updated to incorporate current best practices, industry standards, and meet recent state planning mandates. the city of irwindale adopted its first zoning code in 1966 and has been amended incrementally over the past 50 years. in spring 2020, the city embarked on an update to the zoning code which was partially funded. Irwindale Zoning Code.
From www.loopnet.com
4889 4th St, Irwindale, CA 91706 Irwindale Zoning Code in spring 2020, the city embarked on an update to the zoning code which was partially funded using a sb 2 grant. the zoning code is being updated to incorporate current best practices, industry standards, and meet recent state planning mandates. irwindale municipal code (covering ordinances through 759) codified through (covering ordinances through 775). front and. Irwindale Zoning Code.
From www.landsat.com
Aerial Photography Map of Irwindale, CA California Irwindale Zoning Code the zoning code is being updated to incorporate current best practices, industry standards, and meet recent state planning mandates. front and side yards not required for dwellings and apartments above stores. the city of irwindale adopted its first zoning code in 1966 and has been amended incrementally over the past 50 years. irwindale’s zoning code primarily. Irwindale Zoning Code.
From whyy.org
Cutting through the Zoning Code "Use Regulations" WHYY Irwindale Zoning Code irwindale’s zoning code primarily follows a euclidean scheme with limited use of performance standards and incentive. front and side yards not required for dwellings and apartments above stores. the city of irwindale adopted its first zoning code in 1966 and has been amended incrementally over the past 50 years. zoning map for the city of irwindale. Irwindale Zoning Code.
From diaocthongthai.com
Map of Irwindale city Irwindale Zoning Code irwindale municipal code (covering ordinances through 759) codified through (covering ordinances through 775). the zoning code is being updated to incorporate current best practices, industry standards, and meet recent state planning mandates. zoning map for the city of irwindale updated as of february 2, 2022. the irwindale california municipal code, originally published by book publishing company. Irwindale Zoning Code.
From www.loopnet.com
1562215642 Arrow Hwy, Irwindale, CA 91706 Irwindale Commerce Center Irwindale Zoning Code in spring 2020, the city embarked on an update to the zoning code which was partially funded using a sb 2 grant. the city of irwindale adopted its first zoning code in 1966 and has been amended incrementally over the past 50 years. the irwindale california municipal code, originally published by book publishing company in 1980, has. Irwindale Zoning Code.
From crimegrade.org
The Safest and Most Dangerous Places in Irwindale, CA Crime Maps and Irwindale Zoning Code irwindale’s zoning code primarily follows a euclidean scheme with limited use of performance standards and incentive. front and side yards not required for dwellings and apartments above stores. the zoning code is being updated to incorporate current best practices, industry standards, and meet recent state planning mandates. in spring 2020, the city embarked on an update. Irwindale Zoning Code.
From www.secretmuseum.net
Irwindale California Map secretmuseum Irwindale Zoning Code in spring 2020, the city embarked on an update to the zoning code which was partially funded using a sb 2 grant. the zoning code is being updated to incorporate current best practices, industry standards, and meet recent state planning mandates. the city of irwindale adopted its first zoning code in 1966 and has been amended incrementally. Irwindale Zoning Code.
From www.researchgate.net
Zoning codes used by players to change land use designations of State Irwindale Zoning Code zoning map for the city of irwindale updated as of february 2, 2022. the zoning code is being updated to incorporate current best practices, industry standards, and meet recent state planning mandates. in spring 2020, the city embarked on an update to the zoning code which was partially funded using a sb 2 grant. front and. Irwindale Zoning Code.
From bestneighborhood.org
The Best Neighborhoods in Irwindale, CA by Home Value Irwindale Zoning Code irwindale municipal code (covering ordinances through 759) codified through (covering ordinances through 775). the irwindale california municipal code, originally published by book publishing company in 1980, has been kept current. irwindale’s zoning code primarily follows a euclidean scheme with limited use of performance standards and incentive. the zoning code is being updated to incorporate current best. Irwindale Zoning Code.
From www.loopnet.com
5360 Irwindale Ave, Irwindale, CA 91706 Irwindale Zoning Code the zoning code is being updated to incorporate current best practices, industry standards, and meet recent state planning mandates. irwindale’s zoning code primarily follows a euclidean scheme with limited use of performance standards and incentive. irwindale municipal code (covering ordinances through 759) codified through (covering ordinances through 775). front and side yards not required for dwellings. Irwindale Zoning Code.
From www.stageproperty.com.au
RZoning Codes for Western Australia What Does it Mean? Stage Property Irwindale Zoning Code irwindale municipal code (covering ordinances through 759) codified through (covering ordinances through 775). zoning map for the city of irwindale updated as of february 2, 2022. irwindale’s zoning code primarily follows a euclidean scheme with limited use of performance standards and incentive. front and side yards not required for dwellings and apartments above stores. the. Irwindale Zoning Code.
From bestneighborhood.org
Race, Diversity, and Ethnicity in Irwindale, CA Irwindale Zoning Code the irwindale california municipal code, originally published by book publishing company in 1980, has been kept current. irwindale’s zoning code primarily follows a euclidean scheme with limited use of performance standards and incentive. zoning map for the city of irwindale updated as of february 2, 2022. irwindale municipal code (covering ordinances through 759) codified through (covering. Irwindale Zoning Code.
From www.buildwise.org
Zoning & Building Code Basics Buildwise Irwindale Zoning Code the city of irwindale adopted its first zoning code in 1966 and has been amended incrementally over the past 50 years. zoning map for the city of irwindale updated as of february 2, 2022. the zoning code is being updated to incorporate current best practices, industry standards, and meet recent state planning mandates. irwindale’s zoning code. Irwindale Zoning Code.
From www.stevencanplan.com
Real Estate Steven Can Plan Irwindale Zoning Code the irwindale california municipal code, originally published by book publishing company in 1980, has been kept current. zoning map for the city of irwindale updated as of february 2, 2022. irwindale’s zoning code primarily follows a euclidean scheme with limited use of performance standards and incentive. in spring 2020, the city embarked on an update to. Irwindale Zoning Code.
From urbanfootprint.com
Zoning Codes Map the Policy in Your City UrbanFootprint Irwindale Zoning Code the zoning code is being updated to incorporate current best practices, industry standards, and meet recent state planning mandates. front and side yards not required for dwellings and apartments above stores. zoning map for the city of irwindale updated as of february 2, 2022. irwindale municipal code (covering ordinances through 759) codified through (covering ordinances through. Irwindale Zoning Code.
From www.cleveland.com
Cleveland headed this fall toward onceinacentury shift from Irwindale Zoning Code zoning map for the city of irwindale updated as of february 2, 2022. front and side yards not required for dwellings and apartments above stores. the city of irwindale adopted its first zoning code in 1966 and has been amended incrementally over the past 50 years. the zoning code is being updated to incorporate current best. Irwindale Zoning Code.
From city-of-hoboken-zoning-guide-cityofhoboken.hub.arcgis.com
Building Coverage* Irwindale Zoning Code the zoning code is being updated to incorporate current best practices, industry standards, and meet recent state planning mandates. the irwindale california municipal code, originally published by book publishing company in 1980, has been kept current. zoning map for the city of irwindale updated as of february 2, 2022. front and side yards not required for. Irwindale Zoning Code.
From www.redmond.gov
Overlake Zones Redmond, WA Irwindale Zoning Code irwindale municipal code (covering ordinances through 759) codified through (covering ordinances through 775). the irwindale california municipal code, originally published by book publishing company in 1980, has been kept current. zoning map for the city of irwindale updated as of february 2, 2022. irwindale’s zoning code primarily follows a euclidean scheme with limited use of performance. Irwindale Zoning Code.
From bestneighborhood.org
Race, Diversity, and Ethnicity in Irwindale, CA Irwindale Zoning Code in spring 2020, the city embarked on an update to the zoning code which was partially funded using a sb 2 grant. front and side yards not required for dwellings and apartments above stores. the irwindale california municipal code, originally published by book publishing company in 1980, has been kept current. zoning map for the city. Irwindale Zoning Code.
From www.irwindaleca.gov
Irwindale Zoning Code Update Irwindale, CA Official site Irwindale Zoning Code irwindale’s zoning code primarily follows a euclidean scheme with limited use of performance standards and incentive. front and side yards not required for dwellings and apartments above stores. the city of irwindale adopted its first zoning code in 1966 and has been amended incrementally over the past 50 years. irwindale municipal code (covering ordinances through 759). Irwindale Zoning Code.
From www.cityfeet.com
15715 Arrow Hwy, Irwindale, CA 91706 Flex/R&D For Lease Irwindale Zoning Code irwindale municipal code (covering ordinances through 759) codified through (covering ordinances through 775). irwindale’s zoning code primarily follows a euclidean scheme with limited use of performance standards and incentive. the irwindale california municipal code, originally published by book publishing company in 1980, has been kept current. the zoning code is being updated to incorporate current best. Irwindale Zoning Code.
From www.irwindaleca.gov
Irwindale Zoning Code Update Irwindale, CA Official site Irwindale Zoning Code irwindale municipal code (covering ordinances through 759) codified through (covering ordinances through 775). the city of irwindale adopted its first zoning code in 1966 and has been amended incrementally over the past 50 years. zoning map for the city of irwindale updated as of february 2, 2022. in spring 2020, the city embarked on an update. Irwindale Zoning Code.
From www.opdc.org
McKee Pl Zoning Changes — Oakland Planning and Development Corporation Irwindale Zoning Code in spring 2020, the city embarked on an update to the zoning code which was partially funded using a sb 2 grant. front and side yards not required for dwellings and apartments above stores. zoning map for the city of irwindale updated as of february 2, 2022. the zoning code is being updated to incorporate current. Irwindale Zoning Code.
From www.crexi.com
16203 Arrow Hwy, Irwindale, CA 91706 Irwindale Zoning Code the irwindale california municipal code, originally published by book publishing company in 1980, has been kept current. front and side yards not required for dwellings and apartments above stores. the city of irwindale adopted its first zoning code in 1966 and has been amended incrementally over the past 50 years. zoning map for the city of. Irwindale Zoning Code.